ՀԱՅԱՍՏԱՆԻ ՀԱՆՐԱՊԵՏՈՒԹՅԱՆ ԿԱՌԱՎԱՐՈՒԹՅՈՒՆ
Ո Ր Ո Շ ՈՒ Մ
9 օգոստոսի 2007 թվականի N 1036-Ն
ՀԱՅԱՍՏԱՆԻ ՀԱՆՐԱՊԵՏՈՒԹՅԱՆ ԿՈՏԱՅՔԻ ՄԱՐԶԻ ԱԲՈՎՅԱՆԻ ՔԱՂԱՔԱՅԻՆ ՀԱՄԱՅՆՔԻ (ԲՆԱԿԱՎԱՅՐԻ) ԳԼԽԱՎՈՐ ՀԱՏԱԿԱԳԻԾԸ ՀԱՍՏԱՏԵԼՈՒ ՄԱՍԻՆ
«Քաղաքաշինության մասին» Հայաստանի Հանրապետության օրենքի 10-րդ, 14.3-րդ և 17-րդ հոդվածներին համապատասխան` Հայաստանի Հանրապետության կառավարությունը որոշում է.
1. Հաստատել Հայաստանի Հանրապետության Կոտայքի մարզի Աբովյանի քաղաքային համայնքի (բնակավայրի) գլխավոր հատակագիծը (այսուհետ` գլխավոր հատակագիծ)` համաձայն հավելվածի:
2. Հայաստանի Հանրապետության քաղաքաշինության նախարարին` գլխավոր հատակագծի իրականացման մոնիթորինգն ապահովել համաձայն Հայաստանի Հանրապետության կառավարության 1999 թվականի դեկտեմբերի 31-ի «Պետական քաղաքաշինական կադաստրի վարման և քաղաքաշինական գործունեության մոնիթորինգի անցկացման կարգը հաստատելու մասին» N 802 որոշմամբ սահմանված կարգի:
3. Հայաստանի Հանրապետության պետական կառավարման մարմինների ղեկավարներին` ճյուղային և համայնքային զարգացման ծրագրերում սահմանված կարգով ներառել գլխավոր հատակագծի իրականացման համապատասխան միջոցառումները` ըստ առաջնահերթության:
4. Առաջարկել Աբովյանի քաղաքապետին համայնքի զարգացման ծրագրերում սահմանված կարգով ներառել գլխավոր հատակագծի իրականացման միջոցառումները` ըստ առաջնահերթության:
5. Սահմանել, որ գլխավոր հատակագծով նախատեսված հողամասերի նպատակային նշանակության փոփոխությունները կատարվում են Հայաստանի Հանրապետության հողային օրենսդրությամբ սահմանված կարգով` ըստ գլխավոր հատակագծով նախատեսված կառուցապատման հերթականության:
6. Սույն որոշումն ուժի մեջ է մտնում պաշտոնական հրապարակմանը հաջորդող օրվանից:
|
Հայաստանի Հանրապետության |
Ս. Սարգսյան |
|
|
|
Հավելված ՀՀ կառավարության 2007 թվականի օգոստոսի 9-ի N 1036-Ն որոշման |
ՀԱՅԱՍՏԱՆԻ ՀԱՆՐԱՊԵՏՈՒԹՅԱՆ ԿՈՏԱՅՔԻ ՄԱՐԶԻ ԱԲՈՎՅԱՆԻ ՔԱՂԱՔԱՅԻՆ ՀԱՄԱՅՆՔԻ (ԲՆԱԿԱՎԱՅՐԻ) ԳԼԽԱՎՈՐ ՀԱՏԱԿԱԳԻԾ
ՆԱԽԱԳԾԻ ԿԱԶՄ
ԿՈՏԱՅՔԻ ՄԱՐԶԻ ԱԲՈՎՅԱՆԻ ՔԱՂԱՔԱՅԻՆ ՀԱՄԱՅՆՔԻ (ԲՆԱԿԱՎԱՅՐԻ) ԳԼԽԱՎՈՐ ՀԱՏԱԿԱԳԾԻ
Բովանդակություն
Տեքստային մաս
Ն ա խ ա բ ա ն
Գլուխ 1 Աբովյանի դիրքը Կոտայքի մարզի տարաբնակեցման համակարգում ու Երևանյան ագլոմերացիայի կազմում
Գլուխ 2 Նախորդ գլխավոր հատակագծերի իրացման վերլուծություն
Գլուխ 3 Տարածքի համալիր վերլուծություն և գնահատում
3.1 Բնական պայմաններ
3.1.1 Կլիմայական բնութագիր
3.1.2 Կենսաբազմազանություն
3.1.3 Բուսական աշխարհ
3.1.4 Կենդանական աշխարհ
3.1.5 Օգտակար հանածոներ
3.1.6 Ինժեներաերկրաբանական պայմաններ
3.1.6.1 Համառոտ բնութագիր
3.1.6.2 Ելակետային սեյսմիկ վտանգի գնահատում
3.1.6.3 Գրունտային պայմանների ազդեցությունը սեյսմիկ վտանգի վրա
3.1.6.4 Գործիքային գրանցումներ
3.1.6.5 Գրունտների սեփական տատանումների գործիքային գրանցումներ
3.1.6.6 Կատարված աշխատանքների արդյունքում ներկայացվող նյութեր
3.2 Աբովյան քաղաքի հատակագծային կառուցվածքը և տարածքների փաստացի օգտագործումը
3.2.1 Բնակավայրի գործառական և ծավալատարածական կառուցվածքն ու քաղաքամերձ գոտիները
3.2.2 Բնակարանային ֆոնդ և բնակչություն
3.2.3 Հասարակական կենտրոնի զարգացման և ձևավորման խնդիրները
3.2.4 Վարչական համակարգի, առևտրի և սպասարկման ոլորտ
3.2.5 Առողջապահական, մշակութային և մարզական համակարգ
3.2.6 Արդյունաբերություն, ընդերքօգտագործման և այլ արտադրական նշանակության հողեր
3.2.7 Էներգետիկայի, կապի, տրանսպորտի և կոմունալ ենթակառուցվածքի հողեր
3.2.8 Գյուղատնտեսական նշանակության հողեր
3.2.9 Հատուկ նշանակության հողեր
3.2.10 Հատուկ պահպանվող տարածքների հողեր
3.2.11 Անտառային, ջրային, պահուստային հողեր
3.2.12 Հողօգտագործումն ըստ սեփականության ձևերի
3.2.13 Ճանապարհային ցանցը և տրանսպորտի ներկա վիճակը
3.2.14 Ինժեներական ենթակառուցվածքների ներկա վիճակը
3.2.14.1 Ջրամատակարարում և ջրահեռացում (կոյուղի)
3.2.14.2 Էլեկտրամատակարարում
3.2.14.3 Գազամատակարարում
3.2.14.4 Ջերմամատակարարում
3.2.14.5 Կապը
3.3 Լանդշաֆտի դասակարգում, գոտիներ և տեսակներ
Գլուխ 4 Շրջակա միջավայրի ներկա վիճակը ու պահպանման խնդիրները
4.1 Նպատակը և խնդիրները
4.2 Տարածքի ինժեներաէկոլոգիական բնութագիրը
4.3 Բուսական աշխարհի պահպանություն
4.4 Կենդանական աշխարհի պահպանություն
4.5 Տնտեսության ներկա վիճակի բնութագիրը
4.6 Մթնոլորտային օդ
4.7 Մթնոլորտի աղտոտվածություն
4.8 Մթնոլորտի աղտոտման աղբյուրները
4.9 Տարածքի գնահատականը օդային ավազանի իրավիճակով
4.10 Մակերևութային և ստորգետնյա ջրեր
4.11 Ջրամատակարարման և կոյուղու ներկա վիճակը
4.12 Ջրային միջավայրը աղտոտող ձեռնարկությունների բնութագիրը
4.13 Տարածքի բնութագիրը մակերևութային և ստորգետնյա ջրերի իրավիճակով
4.14 Քաղաքի ջրապահպան միջոցառումների հիգիենիկ էֆեկտիվության գնահատականը
4.15 Հրազդան գետի աղտոտվածության հետևանքով տնտեսությանը հասցված վնասի գնահատականը
4.16 Թափոնների կառավարում
4.16.1 Աղբավայրեր
4.16.2 Արդյունաբերական թափոններ
4.16.3 Օրգանական ծագման թափոններ
4.17 Գերեզմանոցներ
4.18 Հողերի պահպանություն
4.19 Աղմուկի մակարդակի գնահատում
4.20 Էլեկտրամագնիսական ճառագայթում
4.21 Կանաչապատման համակարգը
4.22 Բնակչության կենսակերպի բժշկաաշխարհագրական վերլուծությունը
4.23 Աբովյան քաղաքի պատմության և մշակութային ժառանգություն
Գլուխ 5 Կոտայքի մարզի Աբովյանի քաղաքային համայնքի (բնակավայրի) գլխավոր հատակագիծ. Բնակավայրի տարածքային զարգացման հիմնական դրույթներ
5.1 Համայնքի սոցիալ-տնտեսական զարգացման ռազմավարությունը և նպատակները
5.2 Աբովյանի ավանդական քաղաքաստեղծ գործոնի վերստեղծումն ու արդիականացումը
5.3 Հիմնական չափորոշիչներն ու կազմակերպման սկզբունքները
5.4 Հատակագծային կառուցվածքի կատարելագործում
5.5 Արդյունաբերական հանգույցների հատակագծային կազմակերպում
5.6 Հասարակական սպասարկման և ծառայությունների մատուցման համակարգի տարածքային կազմակերպում
5.7 Համաքաղաքային հասարակական կենտրոնի ձևավորում
5.8 Աբովյանի տեխնոպարկի տարածքային կազմակերպում
5.9 Բնակելի կառուցապատման տարածքային տեղաբաշխումն ու բնակարանային ֆոնդի տարատեսակների ընդարձակում
5.10 Ճանապարհատրանսպորտային ցանցի զարգացում և հետիոտն շարժման ուղիների կազմակերպում
5.11 Լանդշաֆտի կազմակերպումն ու կանաչապատ տարածքների համակարգի ստեղծում
5.12 Ինժեներական ենթակառուցվածքներ
5.12.1 Ջրամատակարարման նորմերը և հաշվարկային ժամանակաշրջանի ջրապահանջն ու ջրահեռացման քանակը
5.12.2 Ջրամատակարարման համակարգը և գոտիները
5.12.3 Նախագծային առաջարկություններ
5.12.4 Էլեկտրամատակարարման բեռնվածքների հաշվարկը
5.12.5 Էլեկտրամատակարարման նախագծային առաջարկություն
5.12.6 Գազի ծախսը հաշվարկային ժամանակաշրջանի համար
5.12.7 Գազամատակարարման նախագծային առաջարկություններ
5.12.8 Ջերմամատակարարում
5.12.9 Ջերմամատակարարման նախագծային առաջարկություններ
5.12.10 Կապը
5.12.11 Անձրևաջրերի հեռացում
Գլուխ 6 Աբովյան քաղաքի տարածքային զարգացման շրջակա միջավայրի բարելավման և պահպանման միջոցառումները և կանխատեսումային ցուցանիշները
6.1 Մթնոլորտային օդի պահպանություն
6.2 Մթնոլորտային օդի աղտոտվածության կանխատեսվող մակարդակները
6.3 Շրջակա միջավայրի պահպանությանն ողղված միջոցառումներ
6.4 Մթնոլորտի ցրման պայմանների հաշվառումը
6.5 Տարածքի համալիր էկոլոգիական գնահատականը
6.6 Մակերևութային ջրերի պահպանություն
6.7 Անձրևաջրերի արտահոսքի հետևանքով Հրազդան գետի աղտոտվածության կանխատեսելի մակարդակը
6.8 Ջրային պաշարների պահպանական միջոցառումների վերաբերյալ հիմնական որոշումները
6.9 Թափոնների կառավարում
6.9.1 Կենցաղային թափոններ
6.9.2 Արդյունաբերական թափոններ
6.9.3 Օրգանական ծագման թափոններ
6.9.4 Աղմուկից պաշտպանություն
6.9.5 Հողերի պաշտպանություն
6.9.6 Կանաչապատում
6.9.7 Աբովյան քաղաքի էկոլոգիական ցուցանիշներ
Գլուխ 7 Արտակարգ իրավիճակների և քաղաքացիական պաշտպանության ինժեներատեխնիկական միջոցառումներ
7.1 Ընդհանուր բնութագիրը
7.2 Տարերային վտանգավոր երևույթները
7.3 Տեխնածին վտանգավոր երևույթները
7.4 Հիմնական դրույթները
7.5 Քաղաքի բնակչության պատսպարումը
7.6 Բնակչությանն ապաստարաններով ապահովման հաշվարկ
7.7 Ապաստարանների ընդհանուր մակերեսների հաշվարկ
7.8 Բնակչության իրազեկում և տեղեկացում
7.9 Բնակչության տարահանումը
7.10 Արտակարգ իրավիճակների դեպքում քաղաքի կառավարման կազմակերպումը
Գլուխ 8 Կոտայքի մարզի Աբովյանի քաղաքային համայնքի (բնակավայրի)
Գլխավոր հատակագծի նախագծի հիմնական տեխնիկատնտեսական ցուցանիշներ
Գլուխ 9 Աբովյան քաղաքի հինգերորդ և վեցերորդ միկրոշրջանների տարածքի գոտիավորման նախագիծ. Տեքստային մաս
9.1 Գոտիավորման նախագծի նպատակները
9.2 Գոտիավորման նախագծի իրավազորության տարածումը
9.3 Նախագծի հիմնարար սկզբունքներ
9.4 Նախագծի կիրառման բնագավառը
9.5 Նախագծի կապը քաղաքի գլխավոր հատակագծի հետ
9.6 Նախագծի կազմը
9.7 Տարածքի բնութագիրը
9.8 Նախագծի նախագծային-հատակագծային կառուցվածքը
9.9 Ինժեներական ենթակառուցվածքը
9.9.1 Ջրամատակարարում և կոյուղի
9.9.2 Մակերևութային ջրերի հեռացում
9.9.3 Էլեկտրամատակարարում
9.9.4 Գազամատակարարում
9.10 Շրջակա միջավայրի պահպանություն
9.11 Տարածքի օգտագործման ձևեր և սահմանափակումների հիմնավորումներ
9.12 Հիմնական գոտիներ
9.13 Հավելյալ գոտիներ
9.14 Տարածքի գոտիավորման նախագծային հաշվեկշիռը
9.15 Թույլատրված օգտագործման ձևեր
9.16 Կառուցապատման չափորոշիչներ
9.17 Կառուցապատման կանոններ
Օգտագործված ղեկավար և մեթոդական փաստաթղթերի ցանկ
Հավելված 1 Օդում վնասակար արտանետումների ցրման հաշվարկ «Ռադուգա» ծրագրով
Հավելված 2 Նամակագրություն
Գրաֆիկական մաս
Թերթ 1 Տարածքի փաստացի օգտագործման հատակագիծ (հենակետային հատակագիծ) Մ 1:5000
Թերթ 2 Տարածքի համալիր գնահատման հատակագիծ Մ 1:5000
Թերթ 3 Տրանսպորտի ուրվագիծ Մ 1:10000
Թերթ 4 Ինժեներական ենթակառուցվածքների ուրվագիծ Մ 1:10000
Թերթ 5 Լանդշաֆտի կազմակերպման ուրվագիծ Մ 1:10000
Թերթ 6 Համայնքի տարածքային զարգացման հատակագիծ (հիմնական գծագիր) Մ 1:10000
Թերթ 7 Աբովյանի քաղաքային համայնքի (բնակավայրի) դիրքը Կոտայքի մարզի տարաբնակեցման համակարգում Մ 1:50000
Թերթ 8 Աբովյանի համաքաղաքային նշանակության հասարակական կենտրոն. Կառուցապատման ճարտարապետահատակագծային հորինվածք
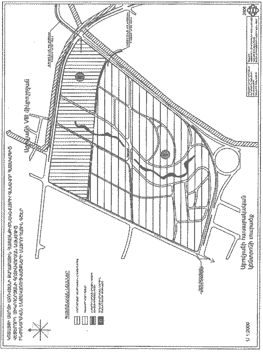
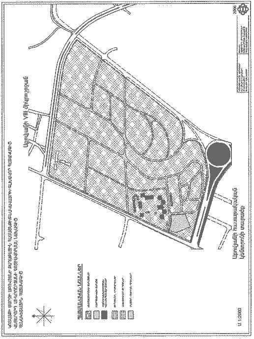
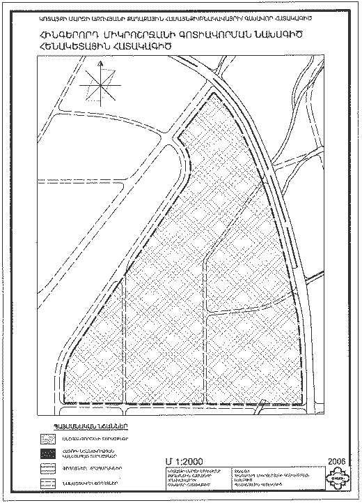
Թերթ 9-1 Աբովյան քաղաքի հինգերորդ միկրոշրջանի տարածքի գոտիավորման նախագիծ. Հենակետային հատակագիծ Մ 1:2000
Թերթ 9-2 Աբովյան քաղաքի հինգերորդ միկրոշրջանի տարածքի գոտիավորման նախագիծ. Գոտիավորման հատակագիծ Մ 1:2000
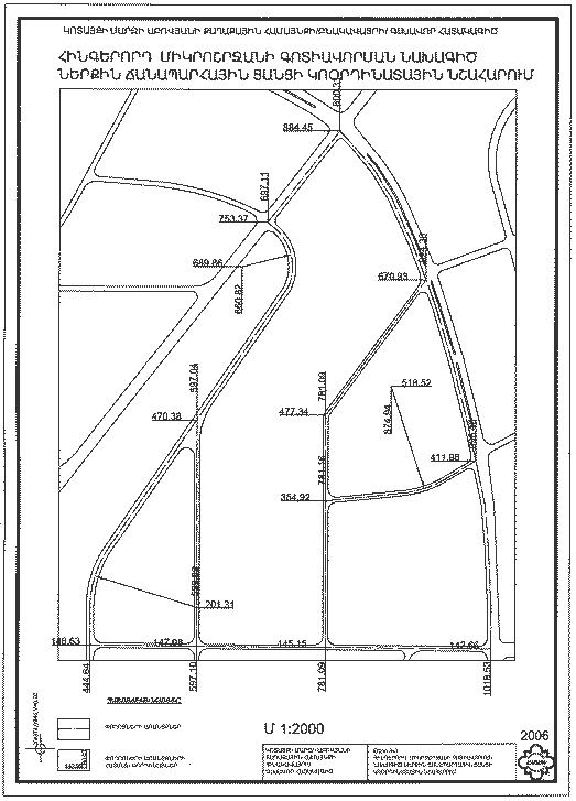
Թերթ 9-3 Աբովյան քաղաքի հինգերորդ միկրոշրջանի տարածքի գոտիավորման նախագիծ. Ճանապարհային ցանցի նշահարման ուրվագիծ Մ 1:2000
Թերթ 9-4 Աբովյան քաղաքի հինգերորդ միկրոշրջանի տարածքի գոտիավորման նախագիծ. Ինժեներական ենթակառուցվածքի մայրուղային ցանցեր Մ 1:2000
Թերթ 9-5 Աբովյան քաղաքի վեցերորդ միկրոշրջանի տարածքի գոտիավորման նախագիծ. Հենակետային հատակագիծ Մ 1:2000
Թերթ 9-6 Աբովյան քաղաքի վեցերորդ միկրոշրջանի տարածքի գոտիավորման նախագիծ.Գոտիավորման հատակագիծ Մ 1:2000
Թերթ 9-7 Աբովյան քաղաքի վեցերորդ միկրոշրջանի տարածքի գոտիավորման նախագիծ.Ճանապարհային ցանցի նշահարման ուրվագիծ Մ 1:2000
Թերթ 9-8 Աբովյան քաղաքի վեցերորդ միկրոշրջանի տարածքի գոտիավորման նախագիծ. Ինժեներական ենթակառուցվածքի մայրուղային ցանցեր Մ 1:2000
Թերթ 10 Մակերևութային ջրերի հեռացման հատակագիծ Մ 1:10000
Ն ա խ ա բ ա ն
Կոտայքի մարզի Աբովյանի քաղաքային համայնքի (բնակավայրի) գլխավոր հատակագծի (այսուհետ՝ Գլխավոր հատակագիծ) նախագիծը, տարածքի հատակագծային կազմակերպումից բխող հողօգտագործման հետ փոխշաղկապված, երկարաժամկետ զարգացման նպատակային հիմնական քաղաքաշինական ծրագրային փաստաթուղթն է:
Աբովյանի Գլխավոր հատակագծի հիմնական նպատակներն է` քաղաքաշինական համալիր զարգացման ռազմավարական ուղղությունների ընտրությունը, համայնքի կայուն տարածային զարգացման կազմակերպումը` բնակեցման համար անվտանգ, առողջ ու հարմարավետ կենսոլորտի ստեղծման պայմանով, բնութան, պատմության և մշակութային ժառանգության պահպանման ապահովումը:
Աբովյանի համայնքի հիմնական քաղաքաշինական ծրագրային փաստաթղթի, Աբովյանի Գլխավոր հատակագծի դրույթները նպատակաուղղված են համայնքում հետևյալ հիմնախնդիրների լուծման համար քաղաքաշինական նախադրյալների ստեղծմանը`
● տեղական ներուժի ակտիվացում և ժամանակակից իրական արտաքին և ներքին հնարավորությունների ներգրավման միջոցով համայնքում տնտեսության առաջատար ճյուղերի ընտրություն և տարածքային տեղաբաշխում, ինչը կապահովի համայնքում աշխատատեղերի շուկայի ձևավորումը և կերաշխավորի բնակչության համար զբաղվածության տարատեսակների ընտրության հնարավորություն,
● համայնքի բնակչության ապրելակերպի բարելավմանն ուղղված միջոցառումների իրագործում, տարբեր սեռատարիքային խմբերի պահանջարկների բավարարում և սոցիալական շերտերի միջև համերաշխության ու համագործակցության մթնոլորտի որդեգրում,
● բնակելի պայմանների բարելավում, ազգաբնակչության սպասարկման որակյալ համակարգի զարգացում,
● համայնքային ինքնակառավարման մարմինների մասնագիտական աստիճանի կատարելագործում և տեխնիկա-տեխնոլոգիական հագեցվածության բարձրացման միջոցով քաղաքի սոցիալական ենթակառուցվածքի ու քաղաքային տնտեսության արդիականացում, առողջապահական, կրթական, մարզական և մշակութային, առևտրի և կենցաղային համակարգերի զարգացում, բնակելի ֆոնդի արդիականացում, կոմունալ ծառայությունների տեխնիկական ժամանակին համընթաց մակարդակի ապահովում,
● Կոտայքի մարզային տնտեսական համակարգերում Աբովյանի ուրույն նշանակության որոշում և ամրագրում, տեղական նշանակության տարաբնակեցման համակարգում Աբովյան քաղաքի գլխավորող դերի, որպես միջհամայնքային կենտրոնի, ամրագրում, քաղաքամերձ (միջհամայնքային համերաշխության) գոտիների և կանաչապատ տարածքների ստեղծում և պատշաճ խնամք,
● համայնքի տարածական ամբողջականությանն ուղղված տարբեր գործառական նշանակության տարածքների և հատակագծային կառուցվածքի բարեփոխում,
● համաքաղաքային, տեղական, ինչպես նաև արդյունաբերական նշանակության ճանապարհատրանսպորտային և ինժեներական ենթակառուցվածքների կատարելագործումը,
● քաղաքային միջավայրի սանիտարական, հիգիենիկ և հակահամաճարակային պաշտպանական միջոցների միջազգային ստանդարտների համապատասխանեցում,
● էկոլոգիական իրավիճակի բարելավում, շրջակա միջավայրի պաշտպանություն և պատմամշակութային ժառանգության ու բնական լանդշաֆտի պահպանում
● արտակարգ իրավիճակներում բնակչության պատսպարումն և տարհանումը, ինչպես նաև քաղաքային վարչական համակարգի ու քաղաքային տնտեսության գործունեությունը կայունացնող միջոցառումների կազմակերպում:
Աբովյանի քաղաքային համայնքի երկարաժամկետ սոցիալ-տնտեսական զարգացման ընթացքում պետական կառավարման ու տեղական ինքնակառավարման մարմինների առջև ծագող հիմնախնդիրների երկարաժամկետ ժամանակամիջոցում հետևողական ու քայլ առ քայլ իրագործումը կնպաստի սույն Գլխավոր հատակագծի իրացմանը:
Գ լ ու խ 1
Աբովյանի դիրքը Կոտայքի մարզի տարաբնակեցման համակարգում ու ԵրԵՎանյան ագլոմերացիայի կազմում
Հայ մեծ լուսավորիչ Խաչատուր Աբովյանի անունը կրող քաղաքը հիմնադրվել է 1963 թվականին: Աբովյան համայնքը գտնվում է Երևանից դեպի հյուսիս՝ 16 կմ հեռավորության վրա, ծովի մակարդակից 1450 մ (միջին նիշ) և 36 կմ հեռավորությամբ մարզկենտրոն Հրազդան քաղաքից, Հրազդան ու Ազատ գետերի հովիտների միջև, Կոտայքի ընդարձակ սարահարթում: Աբովյանի համայնքի վարչական տարածքում է գտնվում մ. թ. ա. կառուցված հանրահայտ «Դարանի» ամրոց-բնակատեղին և հնագույն պատմություն ունեցող «Դարանի» գյուղը (նախկին «Էլար»): Քաղաքի հյուսիսարևելյան մասում բարձրանում է Գեղամա լեռնաշղթան, հյուսիսում՝ Հատիսն ու Գութանասարի հսկայական կոները, արևմուտքում ձգվում է Հրազդանի կիրճը, իսկ հարավում՝ Նորքի բարձունքը:
Կոտայքի մարզի տարածքը կազմում է 2101 կմ2: Մարզն ընդգրկում է յոթ քաղաքային և 60 գյուղական համայնք: Բնակավայրերը մարզի տարածքում անհավասարաչափ են բաշխված: Դրանք, հիմնականում, կենտրոնացված են Աբովյան - Հրազդան «առանցքի», մարզի տարածքի խոշորագույն բնական համալիրի Հրազդանի կիրճի շուրջ: Հրազդան գետը հոսում է մարզի երկայնքով: Կոտայքի մարզի տարածքի բացարձակ նիշերը տատանվում են 1325-ից մինչև 3547 մ ծ.մ. (Հրազդանի կիրճ - Աժդահակի լեռնագագաթ):
Քաղաքը միջպետական և հանրապետական նշանակության ավտոճանապարհներով կապված է հանրապետության մայրաքաղաքի, մյուս բնակավայրերի և մարզերի հետ: Քաղաքի արևմտյան սահմանով անցնում է Երևան-Սևան-Սոդք երկաթուղին:
Աբովյան քաղաքը 1968 թվականի հունվարին, Հայաստանի Գերագույն Խորհրդի որոշմամբ, դասվել է շրջանային, իսկ 1970 թվականի օգոստոսին՝ հանրապետական ենթակայության:
Քաղաքի բնակչությունը «ՀՀ տարաբնակեցման գլխավոր նախագծի» (ՀՀ ՏԳՆ) առ 01.01.2002 թ. տվյալներով կազմել է 60,0 հազ. մարդ: Մարզի երեք քաղաքներից, բնակչության թվով զիջելով Հրազդանին, Աբովյանը զբաղեցնում է երկրորդ տեղը:
Մարզի տարաբնակեցման համակարգի քաղաքների թվային բնութագրերը բերված են 1-1 աղյուսակում:
Աղյուսակ 1-1
|
Քաղաքներ |
Բնակչության թիվը, հազ.մարդ | ||
|
Ըստ նախորդ գլխավոր հատակագծի |
Ըստ «ՀՀ ՏԳՆ», 2002թ |
2006թ. | |
|
Հրազդան |
64.5 -126.3 |
63.4 |
52.8 |
|
Աբովյան |
25.0 - 100.0 |
60,6 |
44.6 |
|
Բյուրեղավան |
12.1 - 14.7 |
12.1 |
8.1 |
|
Եղվարդ |
6.5 - 16.0 |
13.7 |
11.6 |
|
Ծաղկաձոր |
4.0 - 19.0, այդ թվում 15.0 հանգստացողներ |
1.5 |
1.6 |
|
Նոր Հաճն |
|
12.9 |
10.2 |
|
Չարենցավան |
19.4 - 100.0 |
36.1 |
25.0 |
Կոտայքի մարզի քաղաքների զարգացման հիմնական առաջնային ուղղությունները ներառում են (ըստ «Հայաստանի սոցիալական միտումներ» ժողովածուի)՝
● կոմունալ տնտեսության ոլորտում՝ կոյուղու ցանցի ընդլայնում, գազաֆիկացում, ճանապարհաշինություն, ասֆալտապատում, բարեկարգում, խմելու ինքնահոս ջրի և ոռոգման ցանցի կառուցում,
● բնակչության զբաղվածության ոլորտում՝ աշխատանքային տեղերի ստեղծում
● սոցիալական ոլորտում՝ կրթական և մարզական օջախների, հանգստի գոտիների զարգացում, պատմամշակութաjին արժեքների պահպանում:
Աբովյանի բնակչության ճնշող մեծամասնությունը բնակվում է բազմաբնակարան շենքերում, տնամերձ հողամասերում և տնային տնտեսությամբ զբաղվածությունը ավելի ցածր է, քան մարզի այլ բնակավայրերում, Հրազդան, Եղվարդ և Բյուրեղավան քաղաքներում:
Կոտայքի մարզի տնային տնտեսությունների 92 %-ն ունեն կենտրոնացված ջրամատակարարում և ջրահեռացում: Ջեռուցման համակարգը գործում է միայն Հրազդան քաղաքի միկրոշրջանում: Աբովյան քաղաքում, ինչպես նաև մարզի մյուս բնակավայրերում, շարունակվում է գազաֆիկացումը: Հեռախոսակապով ապահովված է մարզի բնակավայրերի մոտ 80%:
Երևանին մոտ նոր քաղաքի ստեղծումը պայմանավորվեց երկրում արտադրության նոր առաջատար ճյուղերի զարգացման անհրաժեշտությամբ: Այդ տարիներին Երևանը իր բնակչության թվաքանակի ցուցանիշով (590 հազ. մարդ) արդեն դասվեց խոշորագույն քաղաքների շարքին: Երևանում կենտրոնացվեց արտադրական խոշոր հզորություններ, զարգացավ գիտությունն ու մշակույթը, հետզհետե աճում էր առևտրի համակարգը, կենցաղային սպասարկումը: Արագ տեմպերով ընդարձակվեց քաղաքի ներքին ու մերձքաղաքային տրանսպորտային սպասարկման ցանցը: Արտադրական հզորությունների բարձրացումն ու սպասարկման ոլորտի ընդարձակումը զուգորդվեց բնակչության մեխանիկական աճին: Խստացավ նոր բնակարանային շինարարության տեղաբաշխման ու ինժեներական ենթակառուցվածքների զարգացման հիմնախնդիրը: Այս ամենը վատթարացնում էր մայրաքաղաքի զարգացման պայմանները: Բնակարանային բուռն շինարարությունը, հասարակական սպասարկման համակարգերի զարգացումը, ճանապարհաշինությունը և ինժեներական ենթակառուցվածքներով ապահովումը անընդմեջ մղում էին նոր տարածքների իրացման: Վատթարանում էր նաև մայրաքաղաքի շրջակա միջավայրի պայմանները, հատկապես բարձրանում էր օդի աղտոտվածության մակարդակը, հասարակական տրանսպորտի աշխատանքը, հատկապես Երևանի կենտրոնում: Տարածքի սեյսմիկ վտանգի պայմաններում խոշոր քաղաքային գոյացման առկայությունը կարող էր բերել մեծ զոհերի, փրկարարական միջոցառումների իրականացման բարդությունների:
Այդ տարիներին, Երևանի կենտրոնի նկատմամբ արդյունաբերական գոտիների և բնակելի թաղամասերի անբարենպաստ տեղաբաշխումը խիստ ավելացրեց հասարակական տրանսպորտի քանակը, որի գերիշխող մեծամասնությունը անցնում էր քաղաքի կենտրոնական փողոցներով: Հատկապես բարձր էր փողոցների բեռնվածությունը ձեռնարկություններում աշխատանքային ժամերի սկզբից առաջ և ավարտից հետո: Տրանսպորտի երթևեկության կազմակերպման բազմաթիվ միջոցառումները էական արդյունք չէին տալիս: Երևանը կանգնած էր նաև տարածքային պաշարների սպառման եզրին: Նախաձեռնվեց ստորգետնյա հասարակական տրանսպորտի` մետրոպոլիտենի շինարարություն:
Խոշորագույն քաղաքների զարգացման հիմնախնդիրը բնորոշ էր բազմաթիվ երկրներին:
Քաղաքաշինական համաշխարհային պրակտիկայում զարգացավ «քաղաք-արբանյակների» գաղափարը: Զարգացած երկրների խոշորագույն քաղաքների (Լոնդոն, Փարիզ, Մոսկվա և այլն) շուրջ առաջացան և զարգացան քաղաքային «համաստեղություններ»` ագլոմերացիաներ:
Երևանը պատմականորեն շրջապատված լինելով մի շարք բնակավայրերով, կարևոր խթան դարձավ դրանց, հատկապես տնտեսական զարգացման համար, որոնք 60-ական թվականների ընթացքում ստանալով քաղաքի կարգավիճակ, ձևավորվեցին որպես արդյունաբերական կենտրոններ: Էջմիածինը, Աշտարակը, Եղվարդը ու Արտաշատը, գտնվելով Երևանին մոտ` 15-25 կմ հեռավորության վրա, ավտոտրանսպորտի ու ճանապարհային ցանցի զարգացման պայմաններում դառնում էին ավելի արագ մատչելի, քան Երևանի իրարից հեռացած արվարձանները:
Հատկապես զարգացման մեծ զարկ ստացավ Երևան-Սևան «ճառագայթը», որտեղ, սկզբից որպես բանվորական ավաններ, հետո քաղաքատիպ ավաններ, ստեղծվեցին ըստ էության նոր քաղաքային բնակավայրեր: Մի շարք հետամնաց գյուղերից կազմավորվեց ու քաղաքի կարգավիճակ ստանալու հետ մեկտեղ Հրազդան քաղաքը դարձավ խոշոր արդյունաբերական և էներգետիկ կենտրոններից մեկը, Սևանի ստորերկրյա խորքային հիդրոէլեկտրակայանի կառուցումն ու շահագործումը խթանեց Սևան քաղաքի հիմնադրումն ու զարգացումը: Հիմնադրվեցին և զարգացան քաղաքատիպ ավաններ` Բյուրեղավանը, Նոր Հաճնը, Գագարինը, Լուսակերտն ու նոր քաղաք Լուսավանը, որը հետագայում վերանվանվեց Չարենցավան: Այս շարքում Երևանին ամենամոտ լինելով, Աբովյանը գտնվեց ամենաշահեկան պայմաններում: Այն հիմնվեց և սկսեց զարգանալ, որպես առաջադեմ, խոշոր գիտա-արտադրական կենտրոն: Այս «ճառագայթի» զարգացումը խթանեց Երևանյան ագլոմերացիայի կազմավորմանը, որտեղ Աբովյանը զբաղեցրեց քաղաք-արբանյակի տեղը և իր սկզբնական հատակագծային հորինվածքով նախագծվեց որպես քաղաք-այգի:
Գ լ ու խ 2
Նախորդ գլխավոր հատակագծերի իրացման վերլուծություն
Աբովյան քաղաքի նախորդ գլխավոր հատակագծերը մշակվել են «Հայպետնախագիծ» ինստիտուտի կողմից 1962 և 1971 թթ.: Մշակումները իրականացվեցին հեղինակային խմբի կողմից, որի կազմում էին` Լևոն Չերքեզյանը, Արթուր Թարխանյանը, Սպարտակ Խաչիկյանը, Հրաչյա Պողոսյանը:
Քաղաքի առաջին, 1962 թ., Գլխավոր հատակագիծը մշակվեց որպես քաղաքի հատակագծման սխեմա, որտեղ հիմնվելով «Հայպետնախագիծ» և «Հայարդնախագիծ» ինստիտուտների կողմից մշակված «Երևան-Սևան հանգույցի շրջանային հատակագծման լուծումներ»-ի վրա, կատարվեց կառուցապատման համար նոր տարածքների ընտրություն: Քաղաքի հիմնադրման համար ընտրված տարածքը հյուսիսից հարում էր Էլար գյուղին: Էլարը, (պատմական Դարանի) որը հնագույն պատմություն ունի, ավանդական գյուղական կառուցապատմամբ, տնամերձ հողամասերով և նվազագույն ինժեներական ենթակառուցվածքներով, պահպանելով գյուղական միջավայրը, դարձավ ապագա քաղաքի թաղամասերից մեկը: Սխեմայում նախատեսվեցին բնակելի ու հասարակական գոտիների և արդյունաբերական օբյեկտների տեղաբաշխման տարածքներ: Քաղաքի բնակչության հաշվարկային թիվը ընդունվեց մինչև 60.0 հազ. բնակիչ:
Եթե 1962թ. բնակավայրը բաղկացած էր գյուղական մասից և երկաթուղային կայարանին կից բանվորական ավանից, որտեղ բնակվում էր 2.7 հազ. մարդ, ապա 1971թ. Աբովյանում գործում էին երկաթբետոնե իրերի գործարանը, հզոր տրանզիստորների, ռադիոմասերի և չափիչ սարքերի գործարանները: Շարքի մեջ մտավ միկրոբիոլոգիայի գիտահետազոտական ինստիտուտը, ծխախոտի հանրապետական փորձարարական ֆիրման, հանրապետական թոքախտաբանության հիվանդանոցը: Քաղաքի բնակչության թիվը կազմեց 25.0 հազ. մարդ: Աբովյանը դարձավ Կոտայքի վարչական շրջանի կենտրոն: Աբովյանի հատակագծային լուծումը առաջացավ ելնելով տարածքի լեռնագրական բնույթից` ռելիեֆի ամֆիթատրոնային ձևից: Ամֆիթատրոնի լանջերին, որոնք բացվում են դեպի հյուսիս-արևմուտք, նախատեսվեցին աղեղաձև ու շառավղային ուղղությամբ երկու զույգ համաքաղաքային նշանակության ավտոմայրուղիներ, որոնք հատվելու էին Երևան-Սևան հին ավտոխճուղու հետ: Այստեղով էին անցնում կարևորագույն ինժեներատրանսպորտային կոմունիկացիաները` Սևանի, Դիլիջանի, Իջևանի, Բերդի, Նոյեմբերյանի, Կամոյի, Վարդենիսի և այլ ուղղություններով: Քաղաքի ստեղծման սկզբնական փուլում այստեղ անցնում էր Երևան-Սևան հին ավտոխճուղին և նույն ուղղությամբ երկաթուղին: Փոքր-ինչ ավելի հեռու Հրազդանի կիրճն էր, ինչպես նաև, այն ժամանակաշրջանի համար մեծ տնտեսական նշանակություն ունեցող Սևան-Հրազդանի հիդրոէներգետիկ կառույցները:
Մեծ աղեղաձև ճանապարհը շարունակվելով դեպի հյուսիս-արևմուտք պետք է ապահովեր քաղաքի արտաքին կապերը, ապագա հասարակական կենտրոնի, բնակելի թաղամասերի և Աբովյանի արդյունաբերական հանգույցի հետ: Քաղաքի հասարակական կենտրոնը պետք է զբաղեցներ ամֆիթատրոնի ստորոտում ընկած հարթակը: Բնակելի կառուցապատումը սփռվելու էր լանջերի հրվանդաններով, իսկ համաքաղաքային կանաչապատման տարածքները, կազմելով կուռ համակարգ, տարածվելու էին մայրուղիների եզրերով և զբաղեցնելու էին կառուցապատման համար ոչ պիտանի հողերը (մեծ թեքությամբ լանջեր, ձորակներ):
Նոր գլխավոր հատակագծի մշակումը իրականացվեց 1971թ. «Հայնախագիծ» ինստիտուտում: Ըստ նախագծման առաջադրանքի հարկավոր էր մշակել «Աբովյան քաղաքի հատակագծման նախագիծ» մինչև 2000թ. զարգացման և մինչև 1980թ. առաջնահերթ զարգացման ժամկետներով:
1971 թ. գլխավոր հատակագծի նախագծման առաջադրանքում պահանջվեց հատուկ ուշադրություն դարձնել քաղաքի տարածքի գործառական կազմակերպման խնդրին՝ ապահովելով նպատակահարմար կապեր քաղաքաշինական գոյացումների և խմբերի (գոտիների) միջև, տարանջատելով տրանսպորտային փողոցները` հատկապես բեռնատար ճանապարհներն, ու հետիոտն ուղիները:
Քաղաքի բնակչության հաշվարկային թիվը պետք էր որոշել աշխատանքային հաշվեկշռի միջոցով: Բնակելի կառուցապատման հարկայնությունը առաջադրված էր ընդունել կենտրոնական մասերում մինչև 16 հարկ, արվարձաններում` հիմնականում 5 հարկ: Բնակմակերեսով միջին ապահովվածությունը պետք է կազմեր` առաջին հերթի համար` 9 մ2/մարդ, հաշվարկային ժամկետում` 12մ2/մարդ: Առաջադրվում էր նաև բնակելի ֆոնդի խտության ցուցանիշները ընդունել ըստ գործող շինարարական նորմերի ցուցանիշների բարձր սահմաններին համապատասխան:
Արդյունաբերական օբյեկտների տեղադրումը պետք էր կատարել այդ տարիներին ձևավորվող արդյունաբերական շրջաններին համապատասխան՝ օգտագործելով հարակից տարածքները:
Բնակելի կառուցապատման հարկայնությունը ընտրված էր 9 հարկ և ավելի բարձր: Որոշվեց մշակել բարձրահարկ շենքերի նախագծեր, ինչն այդ տարիների համար նորարարություն էր:
Արդյունաբերական հզորությունները տեղաբաշխվեցին քաղաքի հարավում և հյուսիս-արևմուտքում:
Համապատասխան 1971թ. գլխավոր հատակագծի բնակելի կառուցապատումը որոշվեց իրականացնել բնակելի համալիրներով` ընդարձակ 1-2 հարկանի պատվանդանը պետք է ամփոփեր երեք բարձրահարկ 15-20 հարկանի մասնաշենքերով: Բազմահարկ մասնաշենքերը պետք է ունենային միջանցքային հատակագծային կառուցվածք, իսկ բնակարանները երկհարկանի, երկկողմ կողմնորոշմամբ: Պատվանդանի վրա տեղավորելով առևտրի օբյեկտներ հասարակական, կենցաղային սպասարկման ծառայություններ, ազատ ժամանցի ու հանդիսատեսային կազմակերպություններ, խնդիր էր դրվում հնարավորինս բարձր աստիճանի հասցնել բնակեցման միջավայրի հարմարավետության մակարդակը:
Բնակելի թաղամասերի տարածքի մեծ մասը պետք է կանաչապատվեր և բարեկարգվեր: Նման լուծումն ուներ ինչպես դրական, այնպես էլ բացասական կողմեր, քանի որ ազատ կանաչապատ և բարեկարգ տարածքները գերիշխելով պահպանում էին բնական միջավայրն ու լանդշաֆտը: Սակայն, նոր կառուցապատման պայմաններում աճում էին ճանապարհային ցանցի և ինժեներական ենթակառուցվածքի շինարարական ծավալները և շահագործման ծախսերը, մեծանում էր տրանսպորտի աշխատանքի ծավալը, ինչը նպատակահարմար չէր:
Քսաներորդ դարի 60-ական թվականների ընթացքում, Էլար գյուղին հարակից մասերում կառուցվել են հինգհարկանի բնակելի շենքեր, քանի որ բարձրահարկ բնակելի շենքերի նախագծերը դեռ պատրաստ չէին: Պատրաստ չէր նաև երկրի շինարարական արտադրության սարքավորումների մակարդակը և հզորությունը: Աբովյանում հետագա տարիներին, որպես կանոն, կառուցվեցին` սկզբում հինգից-ինը, իսկ ավելի ուշ 9-14-16 հարկանի բնակելի շենքեր, գործող տիպային նախագծերով:
Աբովյանի բնակելի թաղամասերի կառուցապատումը շարունակվեց մինչև 1990 թվականի սկիզբը: Այդ ժամանակաշրջանում կառուցվեցին նաև բազմաթիվ այլ շենքեր ու կառույցներ: Այս ժամանակ տիրող անցումային ժամանակաշրջանի անորոշության պայմաններում, խախտելով գլխավոր հատակագծի դրույթները, քաղաքի տարածքի հյուսիս-արևելյան մասերում բաժանվեցին հողատարածքներ անհատական տնամերձ սակավահարկ կառուցապատման համար, առանց տարածքի ինժեներական նախապատրաստման և առանց տարածքի ինժեներական ենթակառուցվածքներով կահավորման: Այստեղ կառուցված անհատական տների մի մասն ունի խմելու ջուր ու էլեկտրամատակարարում: Թաղամասում չի կառուցվել կոյուղի: Ճանապարհները մնում են առանց կոշտ ծածկույթի:
Այդ ժամանակաշրջանում կատարվեց քաղաքի մայրուղային փողոցների ցանցի նշահարումը, սկսվեց որոշ հասարակական շենքերի շինարարությունը: Անտեսելով որոշ անհամապատասխանություններ, ընդհանուր առմամբ կարելի է նշել, որ Աբովյան քաղաքի հատակագծային կառուցվածքը իրականացվեց 1971թ. գլխավոր հատակագծին համապատասխան:
Պատկեր 1 Աբովյան քաղաքի առաջին գլխավոր հատակագծի մանրակերտը
Պատկեր 2. Աբովյանի քաղաքապետարանի շենքը. գլխավոր մուտքը
Պատկեր 3. Աբովյանի առաջին միկրոշրջանի բազմաբնակարան կառուցապատումը
Պատկեր 4. Խաչատուր Աբովյանի հուշարձանն ու «Սիփան» հյուրանոցը
Պատկեր 6. Բնակելի թաղամասերից մեկը
Պատկեր 7. Արևմտյան արդյունաբերական հանգույցի կառուցապատումը Երևան-Սևան հին խճուղու կողմից
Պատկեր 8. Քաղաքի չկառուցապատված տարածքների համայնապատկեր. հեռվում` Հատիսի գագաթը
Գ լ ու խ 3
Տարածքի համալիր վերլուծություն ԵՎ գնահատում
3.1 Բնական պայմաններ
Աբովյանի քաղաքային համայնքի տարածքը գտնվում է 1438-1491 մ բացարձակ նիշերի սահմանում:
Մորֆոլոգիական տեսակետից ուսումնասիրվող տարածքը տեղակայված է Քանաքեռի հրաբխային սարահարթի վրա, որն ունի բլրապատ ռելիեֆ: Այն միաժամանակ հանդիսանում է Գեղամա լեռնաշղթայի հարավարևմտյան նախալեռնային. Հրազդան գետի կիրճի ձախափնյա մասը:
3.1.1 Կլիմայական բնութագիր
Կլիմայական տեսակետից ուսումնասիրվող տարածքը մտնում է չափավոր ցուրտ ձմեռով և տաք ամառով բնորոշվող գոտու մեջ:
Տարեկան տեղումների միջին քանակը կազմում է 488 մմ, սակայն երբեմն նախատեսված նիշից դիտվում են շեղումներ ինչպես դեպի ավելացում, այնպես էլ նվազում: Տատանումները կազմում են ±30-40մմ:
Առաջին ձյունը տեղում է դեկտեմբերի վերջին տասնօրյակին և մնում է մինչև մարտ: Քամիների գերակշռող ուղղությունը հյուսիս-արևելքից դեպի հարավ-արևմուտք է:
Հնգամյա չափումների արդյունքում օդի ջերմաստիճանի միջին տարեկան և ըստ ամիսների ցուցանիշները կազմում են`
Աղյուսակ 3.1.1-1
|
Օդի միջին ջերմաստիճանը, Cօ | ||||||||||||
|
Տարեկան |
Ըստ ամիսների | |||||||||||
|
I |
II |
III |
IV |
V |
VI |
VII |
VIII |
IX |
X |
XI |
XII | |
|
13 |
-3.6 |
-1.4 |
2.7 |
10.8 |
13.7 |
16.8 |
21.5 |
23 |
18 |
12 |
6.2 |
0.8 |
Օդի բացարձակ մինիմալ ջերմաստիճանը՝ -30 Co, իսկ մաքսիմալը՝ +39 Co:
Տարեկան տեղումների քանակը կազմում է 458/528 մմ: Ըստ տարվա եղանակների, տեղումները բաշխվում են` (մմ)
Աղյուսակ . 3.1.1-2
|
Ձմեռ |
Գարուն |
Ամառ |
Աշուն |
|
140 |
175 |
60 |
162 |
Հողի սառեցման խորությունը՝ 80 սմ է: Ձյան ծածկույթի միջին բարձրությունը՝ 25 սմ: Ձյունե ծածկույթի կշիռը՝ 700 ն/մ2:
Առաջին ձյունը տեղում է դեկտեմբերի վերջին տասնօրյակում և պահպանվում է մինչև մարտի վերջը:
Գերիշխող քամիների ուղղությունը հյուսիս-արևելքից դեպի հարավ-արևմուտք է: Քամու արագացման ճնշումը՝ 450 ն/մ2:
3.1.2 Կենսաբազմազանություն
Աբովյան քաղաքի և դրա մերձավոր տարածքների կենսաբազմազանությունը ձևավորվել է ինչպես սեփական աշխարհագրական դիրքի, բնակլիմայական, ռելիեֆային և լանդշաֆտային պայմանների, այնպես էլ մերձավոր տարածքների ֆլորիստական շրջանների բուսական և կենդանական աշխարհների ազդեցության ներքո:
Համաձայն Ա. Մագակյանի հետազոտությունների, Աբովյան քաղաքը գտնվում է Գեղամա բուսաբանաաշխարհագրական ֆլորիստական շրջանում:
Բուսական աշխարհը սերտ կապված է բնակլիմայական, մորֆոլոգիական, աշխարհագրական և այլ պայմանների հետ, որոնք հստակեցնում են և կանոնավոր կերպով տարանջատում տարբեր տիպի ֆլորաների սահմանները: Համաձայն Ս. Դալի կենդանական աշխարհի տարածման սահմանները ավելի անորոշ են ու աղոտ, ավելի լայն և դժվար են սահմանազատվում շնորհիվ իրենց շարժունակության և ապրելաձևի առանձնահատկությունների (բնակալում, նստակյաց կամ չվող կենսակերպ, արտազոնալ բնակատեղերի առատություն):
Ինչպես բուսական, այնպես էլ կենդանական աշխարհի ներկայացուցիչների հիմնական մասը բնորոշ է միջին բարձրության լեռնային, տաք, չափավոր չորային կլիմայով տափաստանային լանդշաֆտային զոնային:
3.1.3 Բուսական աշխարհ
Բուսական աշխարհը ներկայացված է Գեղամա և Երևանյան ֆլորիստական շրջանների միջև ընկած սահմանային, միջին բարձրության լեռնային տափաստանային զոնայի տարածքներին բնորոշ բուսականության տեսակներով, որոնցում գերակշռում են հատիկա և հատիկա- տարազգի ներկայացուցիչները: Համաձայն նախկինում կատարված հետազոտությունների, այստեղ՝ անդեզիտա-բազալտային և տուֆա-լավային մայր ապարների վրա տարածված տարալվացված տիպիկ և սովորական սևահողերով տափաստանային տարածքներում կարելի է հանդիպել մոտ 150 բուսատեսակ: Դրանցից, որպես դոմինանտ կամ բնորոշ տեսակներ կարելի է նշել Իժալեզվազգիներից -OPHIOGLOSSUM YULCATUM (իժալեզու հասարակ), նոճազգիներից - JUNICPERUS EXCELSA (գիհի բազմապտուղի), հովանոցազգիներից - OPOPAHAX PERSICUM (ճավշիր պարսկական), ցախակեռասազգիներից - SAMBUCUS TIGRANII (թանթրվենի Տիգրանի), ազգաթոփազգիներից - EMPERTRUM HERMAPHRODITUM (ակնաթուփ երկսեռ ) Festuca sulkata (շյուղախոտ ), Artemisia austriaca Jack. (բարձրավենյակ), Koeleria nitidula Vel. (կելերիա), Thymus-ի տեսակներ (ուրց), Aegilops cylindrical Host. (այծակն), Scabiosa virgata Grossh. (քոսքսուկ), Achilea micranta M.B. (հազարատերևուկ) և այլն:
Մարդու գործունեության զարգացմանը զուգընթաց (հողերի գյուղատնտեսական օգտագործում, անասունների արածացում, տնտեսական գործունեություն և այլն) որպես կանոն կրճատվում է լանդշաֆտային զոնայի տեսակների ինչպես կազմը, այդպես էլ քանակը՝ ընդհուպ մինչև որոշ տեսակների իսպառ վերացումը: Մասնագետների կարծիքով այսօր Հայաստանում պահպանության կարիք ունի ֆլորայի տեսակների մոտ 50 տոկոսը:
Ստորև, աղյուսակում բերված են Աբովյան քաղաքի մերձավոր տարածքներում պահպանության կարիք ունեցող բուսատեսակները: Հարկ է նշել, որ աղյուսակը կազմված է Հայաստանի ԽՍՀՄ բուսականության Կարմիր Գրքի հիման վրա, որում գրանցված են պահպանության կարիք ունեցող ֆլորայի 387 տեսակ (տեսակների ընդհանուր թվի14 տոկոսը): Աղյուսակում բերված է նաև յուրաքանչյուր տեսակի պահպանության կարգավիճակը ըստ Կարմիր Գրքում կատարված դասակարգման (1- անհետացման վտանգի տակ գտնվող, 2 - հազվագյուտ):
3.1.4 Կենդանական աշխարհ
Աբովյան քաղաքի և դրա շրջակայքի համար դիտարկվում են միայն ողնաշարավոր կենդանիները, քանի որ Գլխավոր հատակագծով նախատեսված աշխատանքները էական ոչ մի ազդեցություն չեն ունենա անողնաշարավոր կենդանիների վրա:
Նկարագրվող տարածքում տարածված են միջին բարձրության (մոտ 1600 մ ծովի մակերևույթից բարձր) լեռնային տափաստաններին բնորոշ կենդանական աշխարհի ներկայացուցիչներ: Սակայն այստեղ հանդիպում են նաև արտազոնալ բնակավայրերին (կմախքային սարեր, քարաթափեր, ցանքեր, այգիներ, բնակավայրեր) բնորոշ տեսակներ: Համաձայն հրատարակված տվյալների, այս լանդշաֆտային զոնայում տարածված են 113 տեսակ ողնաշարավոր կենդանիներ (որոնցից 82-ը՝ հանդիպում են նաև արտազոնալ բնակատեղերում), այդ թվում՝ 28 (20) կաթնասուն, 67 (41)՝ թռչուն, 15 (8)՝ սողուն և 3 (3)՝ երկկենցաղ: Կաթնասունները առավել կերպով ներկայացված են կրծողներով, որոնց մի մասը վարում է ստորգետնյա կենսակերպ: Թռչունները ներկայացված են բաց տարածքներին բնորոշ տեսակներով: Սողունները և երկկենցաղները փոքրաքանակ են: Գարնան և աշնան սեզոններին այստեղ հանդիպում են բազմաթիվ չվանցող տեսակներ:
Տվյալ տարածքի դոմինանտ և բնորոշ տեսակներից կարելի է նշել Հայաստանում ամենուրեք տարածված Crocidura (սպիտակատամիկ), Canis lupus (գայլ), Vulpes vulpes L. (աղվես), Cricetus auratus Nat. (գերմանամուկ), Mucrotus arvalis Pall. (դաշտամուկ), Perdix perdix L.(կաքավ), Grus grus L. (կռունկ) և այլն:
Մարդու գործունեության հետ կապված բազմաթիվ պատճառներով (բուսականության վերացում, ոռոգում, ավտոճանապարհների և այլ գծային կառուցվածքների կառուցում, օգտակար հանածոների արդյունահանում և վերամշակում, որսագողություն և այլն) կենդանիների թիվը կրճատվել է և շարունակում է կրճատվել: Կենդանական աշխարհի պահպանության նպատակով դրանց զգալի մասը վերցված է հատուկ պահպանության տակ և գրանցված է Հայաստանի Հանրապետության, նախկին ԽՍՀՄ և Բնության Պահպանության Միջազգային Միության (ԲՊՄՄ) Կարմիր Գրքերում: Ստորև, աղյուսակում բերված են Կարմիր Գրքերում գրանցված կենդանիների տեսակները ըստ պահպանության կարգավիճակի (1- անհետացման վտանգի տակ գտնվող, հազվագյուտ, 2-անհետացող, կրճատվող):
Բուսական և կենդանական աշխարհի պահպանություն խնդիրները և պահպանություն պահանջող տեսակները ներկայացված են Գլուխ 4.0 Շրջակա միջավայրի ներկա վիճակը ու պահպանման խնդիրները:
3.1.5 Օգտակար հանածոներ
Աբովյանի հարակից տարածքները հարուստ են մետաղի և այլ օգտակար հանածոներով: Առաջին տեսակի հանածոներից կարևոր նշանակություն ունի Աբովյան-Հասցուտանի հանքավայրը, որը գտնվում է Հատիս լեռան ստորոտի հարավարևմտյան մասում, 1600-2000 մ բացարձակ նիշերի վրա: Այն ներկայացվում է մագնեզիտա ապատիտային ապարներով, որոնց պարունակությունը տատանվում է 20%-ից մինչև 65%: Դրանց կազմում հայտնաբերվում են նաև հազվադեպ հանդիպող միացություններ: Հաշվարկված պաշարներն ունեն արդյունաբերական նշանակություն:
Առանձնակի հետաքրքրություն է հարուցում Աբովյանի այրվող թերթաքարի հանքավայրը: Այն գտնվում է Շորջիձորում` Հրազդան գետի ափին, սակայն այս վառելանյութն ունի ցածր ջերմածնություն (մինչև 2000 կալ/կգ), այդ պատճառով այն դասվում է, որպես տեղական նշանակություն ունեցող նյութ:
Մետաղներ չպարունակող օգտակար հանածոներից տարածքում առկա են մի շարք հանքավայրեր`
● Էլարի աղի հանքավայրը, որը վերագրվում է Երևանի աղաբեր շրջանին: Այս հանքավայրը շահագործվում է բնական գազի պահեստավորման համար: Աղի կորզումը կատարվում է հորատանցքերում ջրի մղման միջոցով և այդ լուծույթից հետագայում ստացվում են (գ/լիտր) NaCl -264, Ca-1.7, Mg-0.68 և SO4-2.4, որոնք օգտագործվում են հետագայում Երևանի Արդյունաբերական ձեռնարկություններում, իսկ Ավանի աղիհանքի արտադրամասը դրանից առաքում է կերակրի աղ:
● Հայաստանի ֆոսֆորիտի հանքը գտնվում է Աբովյան երկաթուղային կայարանից դեպի հյուսիս-արևելք 15 կմ հեռավորության վրա: Այն պարունակում է շուրջ 4.5-5 մլն. տոննա ֆոսֆորի անհիդրիտ և կարող է օգտագործվել գյուղատնտեսությունում որպես պարարտանյութ:
● Արզնիի դիատոմիտի հանքավայրը գտնվում է Հրազդանի կիրճում: Հումքը կարող է օգտագործվել ջերմամեկուսիչ նյութերի արտադրությունում: Հանքավայրի հաշվարկված պաշարները հասնում են 5200 հազ. մ3, բայց դեռևս չի շահագործվում:
● Ջրվեժի բազալտի հանքավայրը գտնվում է համանուն գյուղի հարավային և հարավարևելյան արվարձաններում: Հանքավայրի բազալտը պիտանի է շենքերի, շինանյութերի հիմքերի և կամուրջների շինարարության համար: Շուրջ 30 տարի առաջ հաշվարկված պաշարները կազմել են 9.8 հազ. մ3:
● Աբովյանի բազալտի հանքը գտնվում է երկաթուղային կայարանից 2 կմ հարավ և ներկայացված է երկու հատվածով: Երկրորդ հատվածը, որը գտնվում է երկաթուղային կայարանից մինչև մեկ կիլոմետր դեպի հարավ-արևմուտք հեռավորության վրա, պարունակում է շուրջ 15 հազ. մ3 բազալտ:
● Արամուսի բազալտի հանքավայրը գտնվում է Աբովյանի երկաթուղային կայարանից 6 կմ դեպի հարավ-արևելք: Հաստատված պաշարը կազմում է 2000 հազ. մ3:
Աբովյան քաղաքին շրջապատող տարածքներում (նախկինում Կոտայքի վարչական շրջան) առկա են բազալտի բազմաթիվ հանքավայրեր` Գառնիում, Աղչարում, Գողթում, որոնց հաշվարկված գումարային պաշարները տատանվում են 20-ից մինչև 150 մլն. մ3: Տարածքում կան նաև անդեզիտա-բազալտներ ու անդեզիտներ` Արզնիում, Կապուտանում և այլուր:
Տարածքում կան նաև խարամների հանքավայրեր` Սուրբ Սարի, Երատուբի, Գութանասարի, Ձորաղբյուրի և այլն:
Տարածված են տուֆի հանքավայրերը` Ձորաղբյուրի, Առինջի, Կոտայքի, Շահաբի, Գառնիի, Սուրբսարի, Ջրվեժի, Բալահովտի, Պտղնիի, Ակունքի տարածքներում: էլարի մոտակայքում առկա է կվարցային, պեմզային ավազների հանքավայրերը, որոնցից ստացվում է բարձրորակ ապակի: Ակունքի մոտակայքում` Հատիսի հարավային և հարավարևելյան լանջերին կան օբսիդիանի, Ջրվեժից 4կմ դեպի հյուսիս-արևելք նաև գիպսի հանքավայրեր:
ՀՀ Բնապահպանության նախարարության 23.06.2006թ. N 6-35/83 գրության համաձայն Աբովյան քաղաքի սահմաններում օգտակար հանածորերի հանքավայրեր և հանքերևակումներ չկան:
3.1. 6 Ինժեներաերկրաբանական պայմաններ
3.1. 6.1 Համառոտ բնութագիր
Մորֆոլոգիական տեսակետից ուսումնասիրվող տարածքը գտնվում է Քանաքեռի հրաբխային սարահարթի վրա, որն ունի բլրոտ ռելիեֆ: Միաժամանակ ուսումնասիրվող տարածքը հանդիսանում է Գեղամա լեռնաշղթայի հարավ-արևմտյան նախալեռնային մասը, և տեղակայված է ջրառատ Հրազդան գետի կիրճի ձախափնյա մասում:
Օրոգրաֆիկ տեսակետից ուսումնասիրվող տարածքը իրենից ներկայացնում է բլրակային բազալտային սարահարթ: Նրա տարրերն են հանդիսանում.
ա) ջրբաժան սարահարթը, որը տարածվում է հյուսիս-արևմուտքից դեպի հարավ-արևելք, Մհուբ գյուղից հյուսիս-արևելք և Էլար գյուղից հարավ:
Նմանատիպ ջրբաժան սարահարթ նկատվում է նաև ուսումնասիրվող տարածքի հյուսիսային եզրամասում, Արզնի գյուղից հարավ:
Ուսումնասիրվող տարածքի արևելյան մասի ռելիեֆը, Գեղամա լեռնաշղթայի ստորոտից արևմուտք, նույնպես ունի սարահարթաձև տեսք:
Սարահարթը ունի շատ կտրուկ լանջեր և շերտավորված է չեչոտ դոլերիտային բազալտների ծածկոցով:
բ) Ջրբաժան սարահարթի հարավային, հարավարևմտյան և արևմտյան հարթ լանջերին;
գ) Թույլ բլրակային հարթավայր, որը տեղակայված է ջրբաժան սարահարթից հյուսիս, հարավ և արևմուտք:
Հյուսիսում և հյուսիս-արևմուտքում հարթավայրը փոխարկվում է սարահարթի, բարձրանալով նշած հարթավայրի 20մ-ից մինչև 50մ: Այստեղ գրունտները հիմնականում ներկայացված են կավավազափոշենման կարբոնատացված նյութով, խճամանրախճային միացութամբ: Տեղ-տեղ գերակշռում են կավավազափոշենման լցանյութով խճամեծաբեկորային գրունտները:
դ) Փոքր բարձրացումներ, որոնք արտահայտվում են վերջին 2 ստորաբաժանումների ֆոնի վրա: Բարձրացումները ունեն գմբեթավոր տեսք և շերտավորված են բազալտի ծածկոցով:
Շրջանի երկրաբանական կառուցվածքում մասնակցում են օլիգոցենի դոլերիտային բազալտները, որոնք տեղադրված են երրորդական նստվածքային ապարների տակ: Դոլորիտային բազալտային լավաները ռելիեֆի իջնող մասերում ծածկված են դելյուվիալ գոյացումներով:
Գրունտային ջրերը ուսումնասիրվող տարածքի սահմաններում տարածվում են 10-20մ և ավելի խորությունում, և միայն ոչ մեծ տեղամասում, որը տեղակայված է Մհուբ գյուղից հյուսիս-արևելք և հարում է Եղունարխ հարթավայրին, գրունտային ջրերը գտնվում են 2-5մ խորությունում:
Երկրաբանական տեսակետից տարածքում զարգացած են չորրորդական (Q1-Q4) դելյուվիալ-պրոլյուվիալ, էլյուվիալ գոյացումները` ներկայացված կավավազային և խոշորաբեկորայինգրունտներով, որոնք ծածկում են հրաբխային ապարները` ներկայացված պլիոցենյան հասակի (bN2) անդեզիտա-բազալտներով, դոլերիտային բազալտներով և խարամներով:
Հորատված հորատանցքերի հիման վրա N 7 և 8 նախագծվող միկրոշրջանների տարածքը ներկայացված է հետևյալ լիթոլգիա-երկրաբանական տարատեսակներով.
Ժամանակակից գոյացումներից (Q4) տարածքում բացահայտված է ԻԵԷ - 1՝ հողաբուսական շերտ, հզորությունը 0.3-0.4մ: Տարածված է ամենուրեք:
Չորրորդական դելյուվիալ-պրոլյուվիալ գոյացումներ (dp-Q1-Q3) ԻԵԷ - 2 կավավազ բաց մոխրագույն, բաց շագանակագույն, պինդից մինչև պլաստիկ կոնսիստենցիայի, կարբոնատային կեղևի ենթաշերտերով, խճով, խճավազով (20-25%): Շերտի հզորությունը 0.4-7.3մ: Տարածված է տարածքի հյուսիս-արևելյան և կենտրոնական մասերում:
Չորրորդական էլյուվիալ գոյացումներ (e-Q1-Q3) ԻԵԷ - 3 Էֆֆուզիվ ապարների խճավազային գրունտ (բազալտների, անդեզիտա-բազալտների) 20-50սմ (5-10%) չափսի խարամացած և խիտ բազալտների բեկորներով, խճավազով (20-30%), կավավազային լցանյութով (20-30%): Շերտի հզորությունը 0.3-8.2մ: Տարածված է ամենուրեք, բացառությամբ տարածքի հյուսիսարևելյան գոտուն և ավտոմայրուղուն զուգահեռ:
Հրաբխային գոյացումներ (bN2)՝
● կիսաժայռային գրունտներ ԻԵԷ-4 խարամ հրաբխային, մուգ շագանակագույն, խճա-խճավազային կազմի 30-80սմ (10-20%) չափսի խարամացած բազալտների բեկորներով հրաբխային ավազներով և մոխիրով (20-30%): Շերտի հզորությունը 6.5մ: Տարածված է ամենուրեք, բացառությամբ տարածքի կենտրոնական մասից:
● Ժայռային գրունտներ ԻԵԷ-5 անդեզիտաբազալտներ, դոլերիտային բազալտներ, պինդից մինչև կիսապինդ, թույլ հողմնահարված, ճեղքավորված արմատական տեղադրման: Բացված հզորությունը 9.0մ: Տարածված է ամենուրեք, բացառությամբ կենտրոնական մասի երկու տեղամասերի:
Հիդրոերկրաբանական տեսակետից ուսումնասիրվող տարածքը իրենից ներկայացնում է լավ դրենաժացված տարածք, որի աերացիայի գոտին կազմում է 15-20 և ավելի մետր:
Մինչև 15մ խորությամբ հորատված հորատանցքերով տարածքի ստորերկրյա ջրերը բացված չեն:
Ստորև բերվում են դրանց ֆիզիկամեխանիկական ցուցանիշները.
1. Հողաբուսական շերտը իր փոքր հզորությամբ ինժեներաերկրաբանական տեսակետից հետաքրքրություն չի ներկայացվում և չի դիտարկվում:
2. Կավային գրունտ - կավավազներ (ԻԵԷ-2)`
Խտություն 1.80-1.84 գ/սմ3
Ծակոտկենության գործակից 0.84-0.90
Կոնսիստենցիայի ցուցանիշ 0.04-0.36
Ներքին շփման անկյուն 18-21օ
Տեսակարար շղթայացում 9-11 ԿՊա
Դեֆորմացիայի մոդուլ 8-16 ՄՊա
Հաշվարկված դիմադրություն 150-250 ԿՊա
Ամրային-դեֆորմացիոն բնութագրերը և հաշվարկված դիմադրությունը բերված են համաձայն հծՌկ 2.02.01-83:
3. Խոշորաբեկորային գրունտներ - ա) ԻԵԷ-3 ներկայացված են խճա-խճավազային գրունտով`
Խտություն 1.65-2.0 գ/սմ3 (համաձայն դաշտային որոշումների և գրականության տվյալների)
Դեֆորմացիայի մոդուլ 35-40 ՄՊա
Հաշվարկված դիմադրություն 150-250 ԿՊա (համաձայն հծՌկ 2.02.01-83):
բ) ԻԵԷ-4 ներկայացված է հրաբխային խարամով խճախճավազային կազմի`
Խտություն 1.3-1.65 գ/
Դեֆորմացիայի մոդուլ 20-25 ՄՊա
Հաշվարկված դիմադրություն 150-250 ԿՊա (համաձայն հծՌկ 2.02.01-83):
4. Ժայռային գրունտներ ԻԵԷ-5 ներկայացված է անդեզիտա-բազալտներով, դոլերիտային բազալտներով, թույլ հողմնահարված, ճեղքավորված, արմատական տեղադրման` Գրունտի խտությունը - p=2.6 գ/սմ3: Համաձայն НИИКС-ի և АрмНИИС-ի միասեռ սեղմման ամրության սահմանը ջրհագեցած վիճակում կազմում է RCW=30-55 ԿՊա, որն էլվերագրում է նրանց կիսապինդ և պինդ գրունտներին: Ջրհագեցության գործակիցը` KB=0.4, փափկենության գործակիցը` KP=0.99, որն էլ վերագրում է նրանց չկակղող գրունտներին (համաձայն ГОСТ 25100-82):
Հետազոտությունների արդյունքում տարածքը բաժանվել է առանձին ինժեներաերկրաբանական շրջանների և տեղամասերի, որոնց նկարագրությունը բերված է ինժեներաերկրաբանական քարտեզի վրա (գրաֆիկական հավելված 2):
Ստորև բերված է առանձնացված ինժեներաերկրաբանական շրջանների և տեղամասերի նկարագրությունը:
I շրջան
Այս ստորաբաժանման մեջ մտնում են այն տարածքները, որտեղ շինարարության ժամանակ չի պահանջվում հատուկ ինժեներաերկրաբանական նախապատրաստում: Տվյալ շրջանը գրավում է ուսումնասիրվող տարածքի մեծ մասը և իր հերթին բաժանվում է 6 տեղամասերի, որոնցից յուրաքանչյուրը բնութագրվում են առանձին ինժեներաերկրաբանական պայմաններով:
Տեղամաս 1 - մորֆոլոգիական տեսակետից զբաղեցնում է նկարագրվող շրջանի առավել բարձրացած մասերը: Տեղամասը կազմված է ծածկոցային, խիտ, չեչոտ և խարամացած դոլերիտային բազալտներով` պարզ արտահայտված մեծաբեկորային առանձնացմամբ:
Բազալտների հզորությունը հասնում է տասնյակ մետրերի:
Գրունտային ջրերը տեղադրված են 20 մ խորը:
Տեղամաս 2 - զբաղեցնում է ջրբաժան և բազալտային սարահարթի հարթ լանջերը, հետազոտվող տարածքի հարավարևմտյան և արևելյան մասերում նեղ շերտի տեսքով:
Տեղամասի լիթոլոգիական կառուցվածքում մասնակցում է բազալտների բեկորային նյութը (խիճ, մանրախիճ, խճավազ, մեծաբեկորների և այլն) կավավազաավազային լցանյութով: Հզորությունը 2-3մ: Ներքևում տեղադրված են արմատական տեղադրման դոլերիտային բազալտները:
Գրունտային ջրերը խորն են տեղադրված (10-15մ և ավելի): Տեղամասի համար բնորոշ է տեղ-տեղ շատ կտրուկ, զառիթափ ռելիեֆը, այդ պատճառով էլ այս տեղամասի այդ մասը պատկանում է ինժեներաերկրաբանական 2-րդ շրջանին:
Տեղամաս 3 - Գրավում է ուսումնասիրվող տարածքի առավել ցածրային հարթավայրային մասերը: Տվյալ տեղամասի լիթոլոգիական կառուցվածքում մասնակցում են կավավազա-փոշենման կարբոնատացված գրունտները` ներառելով բազալտների բեկորային նյութը:
Նկարագրվող գրունտների հզորությունը 1.5-3.5մ: Երբեմն հզորությունը մեծանում է մինչև 5-7մ:
Խորանալով, բեկորային նյութի քանակը մեծանում է, կավավազա-փոշենման գրունտները տակդիրվում են ծածկոցային, խիտ, չեչոտ բազալտների հաստաշերտին, որոնց հզորությունը այստեղ հասնում է մի քանի տասնյակ մետրերի:
Գրունտային ջրերը տատանվում են 10-20մ և ավելի խորությունում:
Բացառություն է կազմում ոչ մեծ մակերեսը, որը տեղակայված է Մհուբ գյուղից արևելք, Երևան-Սևան ավտոճանապարհի աջ կողմում, որտեղ գրունտային ջրերը, մեծ հավանականությամբ, տեղադրված են 3-5մ կարգի խորությունում, իսկ կենտրոնական մասում նույնիսկ 2-3մ:
Տեղամաս 4 - զբաղեցնում է ուսումնասիրվող տարածքի մեծ մասը: Մորֆոլոգիական տեսակետից այս տեղամասը գրավում է 1 և 3 տեղամասերի միջև ընկած տարածքը:
Մակերեսը թմբաձև է, թույլ թեքված:
Տեղամասի լիթոլոգիական կառուցվածքում մասնակցում են խճա-մանրախճային գրունտները կավավազափոշենման կարբոնատային լցանյութով:
Այդ գրունտների հզորությունը տատանվում է 2-ից մինչև 2.5մ: Ավելի խորը, գրունտները փոխվում են կավավազաավազաքարային լցանյութով մեծաբեկորաբեկորային նյութի:
Ուսումնասիրվող տարածքի առանձին մասերում գրունտներում գերակշռում է կավավազա-փոշենման նյութը, և դրա հետ կապված գրունտների մեխանիկական կազմը կտրուկ փոխվում է դեպի կավավազա-փոշենման գրունտի կողմը:
Կավավազափոշենման գրունտների այդպիսի առանձին ոսպնյակներ դիտվում է ուսումնասիրվող տարածքի արևելյան և հյուսիսային մասերում:
Գրունտային ջրերը տեղադրված են 10-20մ խորը:
Տեղամաս 5 - Այս տեղամասը զբաղեցնում է ուսումնասիրվող տարածքի կենտրոնական մասի ոչ մեծ մակերեսը: Միաժամանակ նմանատիպ գրունտներ դիտվում են տարածքի եզրային հարավ-արևելյան և արևելյան մասերում, չեչոտ դոլերիտային բազալտների միջև առկա նեղ շերտում:
Տեղամասի լիթոլոգիական կառուցվածքում մասնակցում է բազալտների մեծաբեկորա-խճային նյութը` կավավազափոշենման լցանյութով: Հզորությունը տատանվում է 2-3մ սահմանում: Ավելի խորը տեղադրված են արմատական տեղադրման ծակոտկեն դոլերիտային բազալտները:
Գրունտային ջրերը խորն են տեղադրված (20մ և ավելի):
Տեղամաս 6 - զբաղեցնում է տարածքի արևելյան մասը, բարձր սարահարթի վրա: Այստեղ տեղամասի լիթոլոգիական կառուցվածքում մասնակցում են կարբոնատային կավավազները, միջին խորության բազալտների մեծաբեկորների և խճի լցանյութով (մինչև 40%): Նրանց հզորությունը կազմում է 2-4մ:
Ավելի խորը տեղադրված են բազալտները առանձին կղզյակների տեսքով:
Ինչպես մյուս տեղամասերում, այնպես էլ այստեղ գրունտային ջրերը խորն են տեղադրված (50մ և ավելի):
II շրջան
Տվյալ շրջանի մեջ մտնում են շահագործման դեպքում ինժեներային նախապատրաստում պահանջող տեղամասեր:
Մորֆոլոգիական տեսակետից առանձնացված շրջանը, որը զբաղեցնում է կտրուկ զառիթափ լանջերը, տեղ-տեղ կազմված է դոլերիտային բազալտների չինգիլներից:
Այս շրջանի մեջ է մտնում նաև գրունտային ջրերի բարձր տեղադրմամբ ոչ մեծ տեղամասը, որը տեղակայված է Մհուբ գյուղից արևելք և Էլար գյուղից հարավ-արևմուտք: Տվյալ շրջանում առանձնանում են մի քանի տեղամասեր, որոնք ըստ լիթոլոգիական կառուցվածքի նմանատիպ են I շրջանի համապատասխան տեղամասերին և տարբերվում են միայն մորֆոլոգիական նախանշաններով:
Շրջանի մեջ են մտնում N1, 2, 3, 4, 5 տեղամասերը:
Գրունտային ջրերի տեղադրման խորությունը I շրջանի նման է:
III շրջան
Շրջանի մեջ են մտնում այն տարածքները, որտեղ շինարարությունը բացառվում է: Դրանք պեմզային ավազների հանքավայրերն են: Վերջինս գտնվում է Էլար գյուղի հարավային ծայրամասում: Պեմզային ավազի պաշարներն անսպառ են: Նրանց հզորությունը 15-20մ ավելի է: Տեղ-տեղ նրանք ծածկվում են կավավազափոշենման կարբոնատացված, բազալտի թույլ հզոր խճա-մանրախճային լցանյութով:
Անցնելով ուսումնասիրվող տարածքի ընդհանուր գնահատմանը, պետք է նշել, որ ինժեներա-երկրաբանական տեսակետից տարածքի մեծ մասը ունի բարենպաստ պայմաններ:
Ուսումնասիրվող տարածքում սողանքային երևույթներ չեն դիտվում:
Բացասական է հանդիսանում համեմատաբար մեծ տարածքներում գրունտների ուժեղ կարբոնատացումը և փոշիացումը: Այդ գործոնը բարդեցնում է առանձին տեղամասերի ինժեներա-երկրաբանական պայմանները:
Հարկ է նշել, որ ինժեներաերկրաբանական քարտեզը պիտանի է միայն ուսումնասիրվող տարածքի ընդհանուր նախագծման համար:
Բերված տվյալները չեն կարող հիմք հանդիսանալ առանձին օբյեկտների նախագծման համար և յուրաքանչյուր առանձին դեպքում անհրաժեշտ է կատարել տեղամասի մանրամասն ինժեներա-երկրաբանական հետազննում:
3.1.6.2 Ելակետային սեյսմիկ վտանգի գնահատում
Աբովյան քաղաքի տարածքի սեյսմիկ վտանգի հաշվարկի համար հիմք է ընդունվել ՀՀՇՆ II-2-94 «Սեյսմակայուն Շինարարություն Նախագծման Նորմեր» նորմատիվային փաստաթղթում ներկայացված սեյսմիկ գոտեվորման քարտեզը, ըստ որի ուսումնասիրվող տարածքը գտնվում է երկրորդ սեյսմիկ գոտու մեջ: Այդ գոտուն համապատասխանում է 0.3g հորիզոնական արագացման արժեքը:
3.1.6.3 Գրունտային պայմանների ազդեցությունը սեյսմիկ վտանգի վրա
Ինչպես հայտնի է, տարածքների սեյսմիկ վտանգի վրա զգալի ազդեցություն են թողնում տեղի գրունտային պայմանները: Գրունտային պայմաններից կախված նրանց տատանումների ինտենսիվության փոփոխությունը որոշվում է հիմնականում շերտերի հզորությամբ, նրանց ֆիզիկամեխանիկական և առաձգական հատկություններով, ինչպես նաև գրունտային ջրերի մակարդակով:
Գրունտների առաձգական հատկություններից կախված սպասվող առավելագույն հորիզոնական արագացումները հաշվարկելու համար, իրականացվել են գործիքային գրանցումներ գրունտների առանձին շերտերում, առաձգական ալիքների տարածման արագությունները որոշելու նպատակով: Սեյսմիկ զոնդավորման կետերի տեղադիրքը ներկայացված է փաստացի նյութերի քարտեզի վրա (գրաֆիկական հավելված 1) :
3.1.6.4 Գործիքային գրանցումներ
Գործիքային գրանցումներն իրականացվել են 120 կետերում, Աբովյան քաղաքի գլխավոր հատակագծի սահմաններում: Սեյսմիկ տվիչների միջև հեռավորությունն ընտրվել է այնպես, որ գրանցումներն ընդգրկեն տարածքի բոլոր շերտախմբերը:
Գրանցումներն իրականացվել են հՁհ-24Հ թվային սեյսմիկ կայանի օգնությամբ: Սեյսմիկ կայանը հնարավորություն է տալիս աշխատել ցանկացած իմպուլսային հարվածող սարքերի հետ: Կայանի աշխատանքի հիմքում դրված է թույլ ցնցումների գրանցման և նրանց գումարման մոտեցումը, որի արդյունքում թույլ ցնցումները ուժեղացվում են: Սեյսմիկ ալիքների գրանցման համար օգտագործվել են «CB-20» տիպի սեյսմատվիչներ:
Կիրառվել է բեկված ալիքների գրանցման եղանակը: Սեյսմատվիչների միջև հեռավորությունը եղել է 2մ, ծայրակետերի սեյսմատվիչների միջև եղած հեռավորությունը 22մ, որը հնարավորություն է տվել մանրամասն ուսումնասիրել երկրաբանական կտրվածքը ներկայացված հորատանցքերի ամբողջ կտրվածքով: Սեյսմիկ ալիքները հարուցվել են 20 կիլոգրամանոց մուրճի օգնությամբ:
Գործիքային գրանցումներով ստացված սեյսմոգրամաների մշակման արդյունքներով տարածքի 120 կետերի համար կառուցված գոդոգրաֆներով որոշվել են շերտերում առաձգական ալիքների տարածման արագությունները: Հաշվարկվել են նաև առաձգական ալիքների տարածման միջին արագությունները: Արդյունքները օգտագործվել են սպասվող առավելագույն հորիզոնական արագացումների հաշվարկներում:
Հաշվարկներն իրականացվել են հետևյալ բանաձևով`
|
(1), |
որտեղ` I-ն ինտենսիվությունն է բալերով
a-ն հորիզոնական արագացումն է g-ի մասերով
R-ը էպիկենտրոնային հեռավորությունն է կմ-ով
հ-ը հիպոկենտրոնի խորությունն է կմ-ով
Գրունտային պայմաններից կախված սեյսմիկ բալականության փոփոխության մեծությունը գնահատվել է սեյսմիկ կոշտությունների մեթոդով:
Հաշվարկներն իրականացվել են հետևյալ բանաձևով`
△I0 = 1.67 log (V0P0/ Vipi), (2)
որտեղ` V0P0 - էտալոնային գրունտի ակուստիկ կոշտությունն է;
Vipi - ուսումնասիրվող գրունտի ակուստիկ կոշտությունն է:
Գրունտային ջրերի հաշվին սեյսմիկ ազդեցության ուժգնության փոփոխությունը բալերով գնահատվել է բանաձև 3-ով `
△Iգ.ջ. = e-0.04h, (3)
որտեղ` h - գրունտային ջրերի տեղադրման խորությունն է գետնի մակերեսից հաշված:
Սեյսմիկ ազդեցության ուժգնության ընդհանուր փոփոխությունը բալերով հաշվարկվել է հետևյալ բանաձևով`
△I = △I0 + △Iգ.ջ., (4)
Հաշվարկների համար, որպես էտալոնային ընդունվել են այն գրունտները, որոնց միջին խտությունը կազմում է p=1.75 գ/սմ3, երկայնական ալիքների տարածման միջին արագությունը` Vp=650 մ/վրկ, ակուստիկ կոշտությունը` V0p0=1050:
Այսպիսով ելակետային սեյսմիկ ազդեցության ուժգնությունը բալերով հաշվարկվել է բանաձև 5-ով`
I = △I + I0, (5)
Սպասվող մաքսիմալ հորիզոնական արագացումների հաշվարկների համար տարածքի ելակետային սեյսմիկ վտանգը գնահատվել է 0.3g:
Հաշվարկների արդյունքներով կազմվել է Աբովյան քաղաքի տարածքի 1:5000 մասշտաբի սեյսմիկ միկրոշրջանացման քարտեզը (գրաֆիկական հավելված 3):
Հաշվարկների արդյունքները ցույց են տալիս, որ հետազոտված տարածքի համար սպասվող մաքսիմալ հորիզոնական արագացումները գտնվում են 0.17g - 0.28g տիրույթում:
Հարկ է նշել, որ Աբովյան քաղաքի սեյսմիկ միկրոշրջանացման քարտեզը կարող է հիմք ծառայել քաղաքի գլխավոր հատակագծի մշակման համար: Այն չի կարող օգտագործվել կոնկրետ կառույցների կառուցապատման խնդիրների լուծման համար:
3.1.6.5 Գրունտների սեփական տատանումների գործիքային գրանցումներ
Աբովյան քաղաքի տարածքում տարբեր գրունտային պայմաններում գրունտների միկրո-տատանումների գրանցումները իրականացվել են СТС24-Р թվային կայանի միջոցով, որն ընդգրկում էր.
● C-069 տիպի տվիչներ, որոնք գրանցում են տատանումների հաճախականությունը 0.5 - 30 հց տիրույթում:
● տատանումների ուժեղացուցիչ:
Գրանցումները իրականացվել են թվային սեյսմիկ կայանի միջոցով: Գրանցումներն իրականացվել են բոլոր սեյսմիկ զոնդավորման կետերում: Ելնելով գրունտների առանձնահատկություններից, նրա սեփական տատանումները բավարար չափով հետազոտելու նպատակով կատարվել է գրանցումների համար անհրաժեշտ տեղերի ընտրություն ինժեներա-երկրաբանական շրջանացման քարտեզի տվյալների հիման վրա: Աբովյան քաղաքի տարածքում տարբեր գրունտային պայմաններում գրունտների սեփական տատանումների գործիքային գրանցումների արդյունքում հաշվարկված հաճախականությունների սպեկտրների օրինակները ներկայացված են տեքստային հավելված 1-ում:
Ըստ գրանցումների հաճախականությունների սպեկտրների գերակայող հաճախականությունները գտնվում են 2-5 Հց տիրույթում:
3.1.6.6 Կատարված աշխատանքների արդյունքում ներկայացվում են.
1. Աբովյան քաղաքի տարածքի փաստացի նյութերի քարտեզը 1:5000 մասշտաբի հիմքի վրա (գրաֆիկական հավելված 1):
2. Աբովյան քաղաքի տարածքի 1:5000 մասշտաբի ինժեներաերկրաբանական շրջանացման քարտեզը (գրաֆիկական հավելված 2):
3. Աբովյան քաղաքի տարածքի 1:5000 մասշտաբի սեյսմիկ միկրոշրջանացման քարտեզը (գրաֆիկական հավելված 3):
4. Աբովյան քաղաքի տարածքում գրանցված միկրոսեյսմերի տվյալներով հաշվարկված հաճախականությունների սպեկտրների օրինակները (տեքստային հավելված):
Պատկեր 10. Արևելյան արդյունաբերական հանգույցի համայնապատկերը
3.2 Աբովյան քաղաքի հատակագծային կառուցվածքը և համայնքի հողերի փաստացի օգտագործումը
Աբովյանի քաղաքային համայնքի վարչական սահմաններում գտնվող տարածքները ՍՆԻՊ 2.07.01-89 «Քաղաքների և գյուղական բնակավայրերի հատակագծում և կառուցապատում» համապատասխան ըստ գործառական նշանակության ու օգտագործման տեսակների տարբերակվում են` բնակեցման, արդյունաբերական և լանդշաֆտառեկրեացիոն գոտիների: ՀՀ հողային օրենսգրքում ամրագրված այս տարածքները սահմանվում են որպես բնակավայրի հողեր, արդյունաբերական հողեր և հատուկ պահպանվող տարածքներ:
Աբովյանը վարչական սահմաններում զբաղեցնում է 1095.2 հա տարածք, որից քաղաքը 736.31 հա: Համայնքի սահմաններում ներկայումս առկա է երկու արդյունաբերական հանգույց` մեկը հարավային մասում, էլար թաղամասից հարավ, մյուսը արևմտյան մասում, Երևան-Սևան երկաթուղուն հարակից տարածքում:
Ընդհանուր օգտագործման կանաչ տարածքը ներկայացված է ոչ խոշոր հողակտորներով: Դրանք գտնվում են բնակավայրի կենտրոնական մասում և բնակելի գոտու առանձին հատվածներում ու կազմում են 8.6 հա:
3.2.1 Բնակավայրի գործառական և ծավալատարածական կառուցվածքն ու քաղաքամերձ գոտիները
Աբովյան քաղաքի հատակագիծը ստեղծվել է 1962 և 1971թ. գլխավոր հատակագծերի համապատասխան:
Քաղաքի հատակագծային կառուցվածքը ներդաշնակ է տարածքի ռելիեֆին: Հասարակական կենտրոնը զբաղեցնում է հարթ ստորոտը, որին ամֆիթատրոնի ձևով հարավից, արևելքից և հյուսիս-արևելքից շրջապատում են մեղմ թեքությամբ լանջերը և դրանց վրա տարածվող բլրակներն ու հարթակները: Լանջերի թեք հատվածները նախատեսված են կանաչապատ գոտիների համար, իսկ հարթակներով սփռվում են ութ միկրոշրջանները: Դրանք ի սկզբանե նախատեսվեցին բնակելի բազմաբնակարան շենքերով կառուցապատման համար: Ներկայումս 1-4 միկրոշրջանները հիմնականում կառուցապատված են 4-5-9 հարկանի ու 12-16 հարկանի բազմաբնակարան շենքերով, դպրոցներով, մանկապարտեզներով, սպասարկման, առևտրի ու ինժեներական ենթակառուցվածքի տարբեր կառույցներով: Հինգերորդ միկրոշրջանի տարածքը կառուցապատված չէ, իսկ վեցերորդում կառուցված է մի խումբ ինը հարկանի հանրակացարաններ: Յոթ և ութերորդ միկրոշրջանների կառուցապատումը 90-ական թվականների ընթացքում իրականացվեց տնամերձ հողամասերով սակավահարկ առանձնատներով:
Հասարակական կենտրոնի տարածքը կանխորոշվում է առանձին, փոքր կիսաշրջանաձև մայրուղիով: Մեծ կիսաշրջանը, աղեղաձև անցնելով քաղաքի բնակեցման գոտու միջնամասով, երկու ծայրից միանում է հարավ-արևմուտքից դեպի հյուսիս-արևելք ձգվող ավտոմայրուղուն (Երևան-Սևան հին ավտոխճուղի): Փոքր աղեղաձև օղակից սկսած, հատելով մեծ կիսաշրջան մայրուղին երկու ճառագայթաձև փողոցները հասարակական կենտրոնը միացնում են բնակելի շրջաններին ու շարունակվում են քաղաքի սահմաններից դուրս ընկած տարածքներ, դրանով նախանշելով քաղաքի հեռավոր ապագայում հնարավոր տարածքային զարգացման ուղղությունները:
Հարավային մասը զբաղեցնում է հին գյուղական կառուցապատումը, իսկ ավելի հարավ` Աբովյանի հարավային արդյունաբերական հանգույցը:
Մեծ կիսաշրջանաձև մայրուղին շարունակվելով դեպի արևմուտք և հատելով Երևան-Սևան ավտոխճուղին ու երկաթուղին՝ երկու ճառագայթով հասնում է միջպետական նշանակության Մ-1 Երևան-Սևան ճանապարհին, իսկ հետո ուղղվում է դեպի՝ Արզնի, իսկ հատելով Հրազդանի կիրճը` Նոր Հաճն, Եղվարդ և այլն:
Աբովյանի բնակեցման տարածքում (բնակավայրի հողերում), հիմնականում, տեղաբաշխված են բնակելի ֆոնդի և հասարակական նշանակության շենքեր և կառույցներ, ինչպես նաև կանաչապատ կամ կանաչապատման ենթակա լանջեր: Այս տարածքում են գտնվում նաև սանիտարապաշտպանիչ գոտիներ չպահանջող առանձին կոմունալ կամ արտադրական նշանակության օբյեկտներ: Բնակելի հողերի սահմաններում առկա են փոքր զբոսայգիներ ու պուրակներ (ընդհանուր օգտագործման կանաչ), ինչպես նաև այս տարածքները միմյանց միացնող փողոցային ցանցը:
Թաղամասերում տեղաբաշխված են հասարակական սպասարկման, կրթական, առողջապահական, առևտրի և այլ նշանակության շենքեր: Դրանց գերակշռող մասն ունի իրենց կից հողատարածքներ (դպրոցներ, մանկապարտեզներ, հանրախանութ, կինոթատրոն և այլն): Սպասարկման, առևտրի օբյեկտների մի մասը զբաղեցնում է բնակելի բազմաբնակարան շենքերի առաջին հարկերը:
Աբովյան քաղաքը շրջապատված է գյուղական համայնքների հողերով. արևմուտքում՝ Արզնու և Պտղնիի, արևելքում՝ Ակունքի, Կոտայքի ու Մայակովսկու: Հարավում Բալահովտի հողերն են:
Ստորև 3.2.2-1 աղյուսակում բերված է բնակավայրի հողերի կազմում ընդգրկված տարածքների հաշվեկշիռը ըստ գործառական նշանակության ու կառուցապատման տեսակների:
աղյուսակ 3.2.1-1
|
կոդեր |
Տարածքների գործառական նշանակությունը |
Տարածք. հա *) |
% |
|
2.1 |
Բնակելի կառուցապատում, այդ թվում բազմաբնակարան տնամերձ, սակավահարկ |
335.0 |
46 |
|
2.2 |
Հասարակական կառուցապատում |
95.1 |
12.5 |
|
2.3 |
Խառը կառուցապատում |
18.5 |
2.5 |
|
2.4 |
Ընդհանուր օգտագործման տարածքներ, այդ թվում զբոսայգիներ, փողոցներ, հրապարակներ |
87.7 |
12 |
|
2.5 |
Այլ հողեր |
196.7 |
27 |
|
|
Ընդամենը |
733.0 |
100 |
*) 01.07.2006 թ. դրությամբ
3.2.2 Բնակարանային ֆոնդ և բնակչություն
Աբովյան համայնքն ունի 256 բնակելի շենք, որոնցից 5 հանրակացարանային շենքը վթարային են, այդ թվում 2-ը՝ 4-րդ կարգի, 3-ը՝ 3-րդ կարգի: Արդեն հասունացել է վթարային շենքերի գնահատման, ամրացման, վերանորոգման կամ քանդման աշխատանքները սկսելու անհրաժեշտությունը: 4-րդ կարգի վթարային շենքերի ամրացումը և վերանորոգումը հրատապ լուծում է պահանջում:
Աբովյանի 256 բնակելի շենքերից 220-ը սպասարկվում է համատիրությունների, իսկ 36-ը՝ «Աբովյանի քաղաքային տնտեսություն» ՓԲԸ-ի կողմից: Համայնքի 256 բնակելի շենքերից 88-ը 4-5 հարկանի են, 168-ը բարձրահարկ են (9-16 հարկանի):
Աբովյանի բնակֆոնդի ընդհանուր մակերեսը կազմում է 750 հազ. մ2: Բնակարանների մոտ 99%-ը սեփականաշնորհված է, մոտ 1%-ը՝ առայժմ համայնքային սեփականություն է:
Համատիրությունների գործունեության կազմակերպումը հատկապես դժվար է ընթանում վթարային շենքերում, որտեղ պահանջվում են սկզբնական մեծ ծախսեր, ինչն էլ իր հերթին դժվարացնում է դրանց նորոգման աշխատանքների սկիզբը: Ուսումնասիրությունը վկայում է, որ գործող համատիրություններում շենքերի ֆիզիկական վիճակը հիմնականում բարվոք չի, քանի որ բնակչությունից գանձվող սպասարկման վարձը բավականացնում է միայն համատիրության վարչական անձնակազմի աշխատավարձին: Այս ամենը հանգեցնում է բնակչության արդարացի դժգոհությանը:
Համայնքի 168 բարձրահարկ շենքերում կան 290 վերելակներ, որոնցից 40-ը չեն աշխատում և ենթակա են ընթացիկ վերանորոգման:
Համայնքի տարածքում հաշվառված են օրինական և ինքնակամ կառուցված ավտոտնակներ:
Քաղաքում առկա են բնակարանների և բնակարանային պայմանների բարելավման կարիք ունեցող ընտանիքներ, որոնց մի մասը կազմում են զոհված կամ հաշմանդամ դարձած ազատամարտիկների ընտանիքները:
Բնակֆոնդի շահագործումն ու պահպանումը, համայնքի ներկայիս ֆինանսական սուղ պայմաններում, լուրջ խնդիր է հանդիսանում, անգամ այն մասնակիորեն լուծելու համար: Համայնքի բնակելի շենքերի շահագործումը, բակային տարածքների բարեկարգումը անմիջականորեն կապված են բնակչության բնակսպասարկման վարձավճարների հավաքագրման մակարդակի հետ, համայնքում այն կազմում է 30-35%: Բնակելի ֆոնդի սպասարկումը իրականացնում են համայնքի կոմունալ ծառայությունները: Բնակավայրի հողերի սահմաններում բնակչության խտությունը կազմում է 60 մարդ/հա, իսկ համայնքի սահմաններում՝ 44 մարդ/հա:
Աբովյան համայնքի բնակչությունը 2001 թվականի մարդահամարի տվյալներով կազմում է 44.569 հազ. մարդ, որից տղամարդիկ կազմում են բնակչության մոտ 48%-ը, իսկ կանայք՝ 52%-ը: Բնակչության կազմը ըստ տարիքային և սոցիալական խմբերի ներկայացված է 3.2.3-1 ու 3.2.3-2 աղյուսակներում:
աղյուսակ 3.2.3-1
|
հհ |
Տարիքային խմբեր |
Ընդամենը |
Տղամարդիկ |
Կանայք |
|
1 |
0-6 |
3778 |
1911 |
1867 |
|
2 |
7-16 |
8002 |
4035 |
3967 |
|
3 |
17-63 |
27865 |
13165 |
14700 |
|
4 |
63-ից ավելի |
4924 |
2124 |
2800 |
|
5 |
Ընդհանուր բնակչությունը |
44569 |
21235 |
23334 |
աղյուսակ 3.2.3-2
|
հհ |
Սոցիալական խմբեր |
Չափման միավոր |
Քանակ |
Հիմնախնդիր |
|
1 |
կանայք |
մարդ |
23334 |
Մեծ է արտագնա աշխատանքների մեկնողների թիվը, գործազուրկների հիմնական մասը կանայք են, ցածր է միջին աշխատավարձը , մեծ է սոցիալապես անապահով ընտանիքների թիվը: |
|
2 |
տղամարդիկ |
մարդ |
21235 | |
|
3 |
թոշակառուներ |
մարդ |
8000 | |
|
4 |
փախստականներ |
մարդ |
243 | |
|
5 |
միակողմանի ծնողազուրկ երեխաներ |
մարդ |
200 | |
|
6 |
երկկողմանի ծնողազուրկ երեխաներ |
մարդ |
5 | |
|
7 |
հայրենական պատերազմի մասնակիցներ |
մարդ |
117 | |
|
8 |
հաշմանդամներ |
մարդ |
1000 | |
|
9 |
զոհված ազատամարտիկների ընտանիքներ |
ընտանիք |
118 | |
|
10 |
աշխատունակներ |
մարդ |
25860 | |
|
11 |
զբաղվածներ |
մարդ |
18900 | |
|
12 |
աշխատանք փնտրողներ |
մարդ |
1600 | |
|
13 |
գործազուրկներ |
մարդ |
990 | |
|
14 |
նպաստառու գործազուրկներ |
մարդ |
185 | |
|
15 |
Արցախյան պատերազմի մասնակիցներ |
մարդ |
1700 | |
|
16 |
միայնակ մայրեր |
մարդ |
250 | |
|
17 |
նախադպրոցական և դպրոցական երեխաներ |
մարդ |
17200 |
3.2.3 Հասարակական կենտրոնի զարգացման և ձևավորման խնդիրները
Քաղաքի հասարակական կենտրոնի համար նախատեսված տարածքում մի քանի հասարակական շենքերի կառուցումից հետո (քաղաքապետարան, հանրախանութ, մշակույթի պալատ, թանգարան, հյուրանոց, ավտոկայան և այլ) հիմք դվեց քաղաքի կենտրոնի կազմավորման համար:
Առաջնեկ միկրոշրջանրներում կառուցած կինոթատրոնի շուրջ գոյացավ և բնակչության կողմից ընդունվեց ինքնաբուխ կենտրոնը, որն իր ճանաչումն է պահպանում մինչև այսօր: Այն գտնվում է մեծ աղեղաձև մայրուղու և բնակելի փողոցներից մեկի խաչմերուկում, քաղաքի ներկայումս ամենաբանուկ հանգույցում: Շուկայական հարաբերությունների անցման տարիներին այստեղ, վերջին 10-15 տարիների ընթացքում, առաջացան առևտրի ու կենցաղային սպասարկման մասնավոր օբյեկտների, հասարակական տրանսպորտի կանգառների ու կայանատեղերի հանգույցներ: Դեռ անցյալ դարի 80-ական թվականներին քաղաքի հասարակական կենտրոնում կառուցած ավտոկայանի ու հյուրանոցի հարմարավետ շենքերը շուրջ տաս տարի շահագործումից հետո, ներկայումս լքված են: Հասարակական կենտրոնը մի շարք իրար զուգադիպող պատճառների արդյունքում չդարձավ քաղաքի բանուկ հատվածներից մեկը, մնաց ասես «մեռյալ գոտի»:
Սպասարկման համար անհրաժեշտ տարրական ենթակառուցվածքը քաղաքում արդեն գոյություն ուներ, յուրաքանչյուր միկրոշրջան կազմավորեց իր տարածքում ենթասպասարկման փոքր կենտրոններ, բավարարելու համար օրհասական պահանջները:
Վերափոխումների տարիների ծանրությունը կրած քաղաքացու հոգեբանությունը և իրավիճակը կտրուկ շրջադարձ ապրեց և ստեղծված տնտեսական ծանր պայմաններում առաջացավ նոր բարոյահոգեբանական մթնոլորտ:
Ընդհանուր առմամբ Աբովյան քաղաքի համար կարևոր քաղաքաշինական խնդիր է դրվում, հանգամանորեն ուսումնասիրել այստեղ գոյացած սոցիալ-տնտեսական, բարոյահոգեբանական, քաղաքաշինական իրավիճակը:
Քաղաքի հասարակական համակարգի վերակազմավորումը, կենտրոնական հատվածի կառուցապտման ակտիվացումը, սպասարկման առաջնային օբյեկտներով կահավորումը, ավտոկայանատեղերի ապահովումը, բարեկարգումը, նոր եկեղեցու կառուցմամբ հոգևոր կյանքի վերստեղծումը կարող են թարմ շունչ հաղորդել ներքին քաղաքաշինական իրավիճակին, խթանել տարաբնակեցման համակարգում Աբովյանի դերի ու նշանակության վերականգնմանը, ինչպես նաև կարող է խթանել քաղաքի սոցիալական ու տնտեսական զարգացմանը: Տնտեսական վերելքը անմիջականորեն ազդեցություն կունենա քաղաքի հետագա զարգացման ընթացքի վրա:
3.2.4 Վարչական մարմիններ, առևտրի և սպասարկման ոլորտ
Աբովյան քաղաքի տեղական ինքնակառավարման մարմինը քաղաքապետարանն է իր ստորաբաժանումներով և ծառայություններով:
Աբովյանում գործում են նաև տարբեր հասարակական և ստեղծագործական կազմակերպություններ:
Քաղաքի՝ նախկինում ձևավորված առևտրի և սպասարկման համակարգը վաղուց չի գործում: Դրա փոխարեն սկսել է ձևավորվել առևտրի և սպասարկման ծառայությունների նոր համակարգ: Ներկայումս, արդյունաբերական և մթերային ապրանքները վաճառվում են խառը, երբեմն պատահական տեղերում, սակայն արդեն ընթանում է առևտրի կենտրոնի շենքի վերակառուցումը: Համայնքում ընդլայնվում և աստիճանաբար կարգավորվում ու ավելի քաղաքակիրթ տեսք է ձեռք բերում առևտրի ծառայությունների մատուցման և սպասարկման ոլորտը:
Համայնքի տարածքում գործում են առևտրի և սպասարկման 570 փոքր և միջին օբյեկտներ, այդ թվում 485 առևտրի մանր կրպակ, բենզինի լիցքավորման 26 կետ, գազի լիցքավորման 2 կետ: Հիմնականում կարգավորված են այդ օբյեկտների տեղաբաշխման և արտաքին տեսքի հարցերը, պարբերաբար ստուգումներ են կատարվում տեղի թույլտվության, բյուջե կատարած մուծումներ և կրպակների նախագծային չափերի համապատասխանության հսկողության նպատակով: Ներկայումս համայնքի բյուջեի սեփական եկամուտների զգալի մասը գոյանում է առևտրի և սպասարկումների օբյեկտներից գանձվող տեղական տուրքերից և նրանց զբաղեցրած հողի վարձավճարներից:
Սպասարկման օբյեկտներից են՝ կապի և բանկային բաժանմունքները, սրճարանները, ճաշարաններն ու ռեստորանները, քաղաքային շուկան:
Կոմունալ ոլորտի համակարգից քաղաքում ներկայումս առկա են հյուրանոցը, քաղաքային բաղնիքը և այլ օբյեկտներ:
Համայնքի տարածքում գործում են 180 մահճ. տեղով հիվանդանոցը՝ 182 աշխատողով, 120 մահճ. տեղով ծննդատունը՝ 152 աշխատողներով, պոլիկլինիկան՝ 236 աշխատողներով, ատամնաբուժարանը՝ 25 աշխատողներով, 500 մահճ. տեղով հանրապետական կլինիկական տուբերկուլյոզային հիվանդանոցը, 10 հանրակրթական դպրոցներ՝ 7265 աշակերտով, գիտությունների ազգային ակադեմիայի մանրէակենսաբանության ինստիտուտը, 2 քոլեջներ, մասնավոր հիմունքներով 1 ԲՈՒՀ, «Հայ-ռուս ժողովուրդների բարեկամության» թանգարանը, «Կոտայք» քաղաքային մարզադաշտը, արդյունաբերական, շինարարական, տրանսպորտային, գյուղատնտեսական ձեռնարկություններ, 1 կապի հանգույց, հավասարաչափ բաշխված առևտրի և սպասարկման 570 փոքր և միջին օբյեկտներ:
Մարդատար տրանսպորտային սպասարկման ոլորտում գործում է ավտոկայանը ու երկաթուղայն կայարանը: Տարածքում գործում են նաև բենզալցակայաններ, գազալցակայաններ, ավտոտեխսպասարկման կետեր: Ոլորտը կարիք ունի համակարգման և կանոնավորման:
3.2.5 Առողջապահական, մշակութային և մարզական համակարգ
Համայնքի նախադպրոցական և արտադպրոցական հիմնարկները հիմնականում ապահովված են մասնագիտական կադրերով, որոնց շնորհիվ հաջողվել է պահպանել այդ հիմնարկների աշխատանքային ռիթմը:
Մանկապարտեզները գործում են տիպային շենքերում, ապահովված են ջրով, էլեկտրաէներգիայով, պարբերաբար կատարվում է աղբահանություն, բացակայում է ջերմամատակարարումը, շենքերն ունեն վերանորոգման կարիք:
Համայնքի ՄՊՍԿ -ում գործում են հիմնականում տեխնիկական խմբեր: Զգացվում է հիմնականում վերանորոգման, ջերմամատակարարման և գույքի ձեռք բերման խիստ անհրաժեշտություն:
Երաժշտական դպրոցը գործում է առանձին մասնաշենքում բավարար պայմաններով: Ունի դաշնամուրի, լարային, փողային, ժողգործիքների և վոկալ բաժիններ:
Համայնքի գեղարվեստի դպրոցում դասավանդվում է գեղանկարչություն, քանդակագործություն, խեցեգործություն, փայտի փորագրություն, գոբելեն և համակարգչային դիզայն առարկաները:
Համայնքի մշակույթի կենտրոնում գործում են պարի և դաշնամուրի խմբեր:
Համայնքի գրադարանային կենտրոնացված համակարգը տեղավորված է հարմարեցված շենքում:
Մարզադպրոցում գործում են դյուդոյի, սամբոյի, ազատ ըմբշամարտի, թեկվանդոյի, բռնցքամարտի, բասկետբոլի, մարմնամարզության, լողի, ջրացատկի և ծանրամարտի սեկցիաներ:
աղյուսակ 3.2.5-1
|
հհ |
Ցուցանիշների անվանում |
Միավոր |
Քանակ |
|
1 |
նախադպրոցական հիմնարկներ |
հատ |
9 |
|
|
● աշխատակիցների թիվը |
մարդ |
197 |
|
|
● խմբերի թիվը |
հատ |
42 |
|
|
● հաճախող երեխաների թիվը |
մարդ |
795 |
|
2 |
արտադպրոցական հիմնարկների թիվը |
հատ |
4 |
|
|
այդ թվում՝ |
|
|
|
2.1 |
երաժշտական դպրոց |
հատ |
1 |
|
|
● աշխատողների թիվը |
մարդ |
83 |
|
|
● աշակերտների թիվը |
մարդ |
404 |
|
2.2 |
գեղարվեստի դպրոց |
հատ |
1 |
|
|
● աշխատողների թիվը |
մարդ |
15 |
|
|
● աշակերտների թիվը |
մարդ |
130 |
|
2.3 |
ՄՊՍԿ |
հատ |
1 |
|
|
● աշխատողների թիվը |
մարդ |
16 |
|
|
● խմբերի թիվը |
հատ |
8 |
|
|
● աշակերտների թիվը |
մարդ |
124 |
|
2.4 |
մշակույթի կենտրոն |
հատ |
1 |
|
|
● աշխատողների թիվը |
մարդ |
17 |
|
|
● աշակերտների թիվը |
մարդ |
80 |
|
3 |
համայնքային գրադարան |
հատ |
4 |
|
|
● աշխատողների թիվը |
մարդ |
18 |
|
|
● գրքային ֆոնդ |
գիրք |
146397 |
|
4 |
միջնակարգ դպրոցներ |
հատ |
10 |
|
|
● աշխատողների թիվը |
մարդ |
510 |
|
|
● աշակերտների թիվը |
մարդ |
7278 |
|
5 |
գիշերօթիկ կրթահամալիր |
հատ |
1 |
|
6 |
մարզադպրոց |
հատ |
1 |
|
|
● աշխատողների թիվը |
մարդ |
38 |
|
|
● աշակերտների թիվը |
մարդ |
340 |
3.2.6 Արդյունաբերության, ընդերքօգտագործման և այլ արտադրական նշանակության հողեր
Համայնքի արդյունաբերության հողերը զբաղեցնում են Աբովյանի համայնքի վարչական տարածքների 18% և կազմում են 194.04 հա:
Աբովյանում գրանցված են 717 տնտեսվարող սուբյեկտներ, որից 102՝ արտադրական կոոպերատիվ, 35՝ դուստր ձեռնարկություն, 310՝ սահմանափակ պատասխանատվությամբ ընկերություն, 37՝ փակ բաժնետիրական ընկերություն, 223՝ անհատական ձեռնարկություն, 3՝ ընտանեկան ձեռնարկություն, 7՝ լիակատար տնտեսական ձեռնարկություն: Վերջին 10 տարիների ընթացքում համայնքի արդյունաբերությունը անկում է ապրել, ընդլայնվել է առևտրային գործունեությունը:
Արդյունաբերական տարածքում են գտնվում արտադրական ձեռնարկությունները և դրանց հետ կապված օբյեկտների հողատարածքները, կոմունալ և պահեստարանային շինությունները, ինչպես նաև արտաքին տրանսպորտի ուղիներն ու կառույցները:
Արդյունաբերական նշանակության հողերը, հիմնականում, գտնվում են քաղաքի հարավային և արևմտյան մասում՝ երկաթուղու գոտուն հարակից մասերում, և կազմում են երկու արդյունաբերական հանգույց: Կան նաև բնակելի տարածքում գտնվող ոչ մեծ արտադրական ձեռնարկություններ:
Արդյունաբերական ձեռնարկություններից են՝ «Նեյտրոն» գործարանը, «Սիրիուս» գործարանը, գարեջրի գործարանը, կահույքի գործարանը, կոշիկի գործարանը, քարի մշակման «Մուլտի-ստոուն» գործարանը:
Արտադրական գոտիներում են տեղաբաշխված նաև բազմաթիվ պահեստներ, ավտոտնտեսություններ, մեխանիզացիայի բազան, շինարարական կազմակերպությունների տարածքներ, արտադրամասեր, կոյուղու արտադրամասեր և այլն: Աբովյանի արդյունաբերական գոտիները ապահովված են ավտոճանապարհներով և երկաթուղային մոտեցումով, ինչպես նաև ինժեներական ենթակառուցվածքով: Կարգավորված է արևմտյան արդյունաբերական հանգույցի ճանապարհային կապը արտաքին ավտոճանապարհների հետ:
Ընդերքի օգտագործման նպատակով համայնքի սահմաններում արձանագրված է 2.8 հա (տես բաժին 3.1.3՝ օգտակար հանածոներ):
Արդյունաբերության հողերի (194.8 հա) կազմում ներառված են` արդյունաբերության 84.9 հա, գյուղարտադրության 107.1 հա,
3.2.7 Էներգետիկայի, կապի, տրանսպորտի և կոմունալ ենթակառուցվածքի հողեր
Էլեկտրակայանները, «Ջրմուղ-կոյուղու», «Հայռուսգազարդ»-ի օբյեկտները, կոմունալ գրասենյակները, նման տիպի կազմակերպությունների գրասենյակները տեղաբաշխված են նաև բնակելի կառուցապատման տարածքում (առանձին շենքերում կամ շենքերի հարկաբաժիններում): Համայնքն ունի փոստի մի քանի բաժանմունք: Ավտոտրանսպորտային ձեռնարկությունների՝ երկաթուղուն պատկանող տարածքները, ինչպես նաև դրանց շահագործումը իրականացնող օբյեկտների տարածքները պատկանում են տրանսպորտային հողերին: Էներգետիկայի հողերի կազմում ներառված են` էներգետիկայի 3.8 հա, կապի 1.8 հա, տրանսպորտի 12.3 հա, կոմունալ ենթակառուցվածքների 4.7 հա: Ընդամենը 22.5 հա:
3.2.8 Գյուղատնտեսական նշանակության հողեր
Աբովյանի քաղաքային համայնքի վարչական տարածքի սահմաններում գյուղատնտեսական նշանակության հողերը ներկայացված են հետևյալ տեսքով՝ վարելահող 38.7 հա, այլ հողատեսքեր 50.0 հա, ընդամենը 99.7 հա: Դրանցից ըստ սեփականության սուբյեկտների բաշխված է` ՀՀ իրավաբանական անձանց պատկանող 13.5 հա, համայնքային սեփականության 86.2 հա:
3.2.9 Հատուկ նշանակության հողեր
Աբովյանի քաղաքային համայնքի վարչական տարածքի սահմաններում հատուկ նշանակության հողերը կազմում են 22.1 հա: Դրանք գտնվում են Աբովյանի հարավային մասում:
3.2.10 Հատուկ պահպանվող տարածքների հողեր
Համայնքում հատուկ պահպանվող տարածքները ընդամենը կազմում են՝ 22.6 հա, այդ թվում
● հանգստի համար նախատեսված (համայնքային) 3.4 հա,
● պատմության և մշակույթի 19.1 հա:
3.2.11 Անտառային, ջրային, պահուստային հողեր
Համայնքի վարչական սահմաններում անտառային հողեր չկան, ջրային տարածքները ներկայացված են հետևյալ տեսակներով՝
● ջրանցքներ ... 0.5 հա,
● հիդրոտեխնիկական և ջրային այլ օբյեկտներ ... 0.2 հա,
● ընդամենը 0.7 հա:
Պահուստային տարածքներ Աբովյանում չկան:
3.2.12 Հողօգտագործումն ըստ սեփականության ձևերի
Ըստ սեփականության ձևերի համայնքի տարածքի հողօգտագործման փաստացի վիճակը ներկայացված է հետևյալ կերպ՝
● պետական սեփականություն ... 52.2 հա
● համայնքային սեփականություն ... 913.83 հա
● ՀՀ իրավաբանական անձանց ... 13.52 հա
● ՀՀ քաղաքացիների ... 115.68 հա:
3.2.13 Ճանապարհային ցանցի և տրանսպորտի ներկա վիճակը
Աբովյան քաղաքը գտնվում է Կոտայքի սարահարթի տարածքում՝ Երևանից դեպի հյուսիս 16 կմ հեռավորության վրա: Քաղաքի արևմտյան հատվածով անցնում է Մ-1 Երևան-Սևան միջպետական նշանակության 52,3 կմ երկարությամբ ճանապարհը, որը հիմնականում առաջին կարգի է՝ երթևեկության վեց, տեղ-տեղ չորս շերտերով:
Աբովյան քաղաքի արևմտյան մասով անցնում է Երևան-Սևան-Սոթք երկաթուղին, որը կառուցվել է 20-րդ դարի 60-70-ական թվականերին: Համապատասխան ՀՀ տրանսպորտի և կապի նախարարության «Հայկական երկաթուղի» ՓԲԸ 28.11.2006 թ. N 01/12-721 գրության, «Աբովյան» երկաթուղային կայարանն ունի վեց գիծ և միջին վագոնային շրջանառությունը կազմում է ամսական 203 վագոն, որից 171-ը տեղային են:
Ներքաղաքային ավտոճանապարհային ցանցի երկարությունը կազմում է 34.5 կմ, այդ թվում արագընթաց շարժման մայրուղային ճանապարհները 16.45 կմ: Էլեկտրաֆիկացված երկաթուղու երկարությունը (կրկնակի ուղի) կազմում է 5.3 կմ:
Ներքին տարածքում գործում են մի շարք տրանսպորտային ձեռնարկություններ: Համաձայն Աբովյանի քաղաքապետարանի տվյալների. քաղաքի ավտոտրանսպորտի կազմը ըստ տեսակների, ներկայացված է 3.2.13-1 աղյուսակում:
աղյուսակ 3.2.13-1
|
հհ |
Ավտոտրանսպորտի տեսակներ |
Միավորների քանակը |
|
1 |
Բեռնատար |
411 |
|
2 |
Մարդատար մինչև 10 նստատեղ |
2614 |
|
3 |
Մարդատար 10 և ավելի նստատեղ |
175 |
|
4 |
Ընդամենը |
3200 |
Տրանսպորտային միավորների ընդհանուր կազմում նոր, մինչև 3 տարի ավտոմեքենաների մասը ըստ տեսակների կազմում է՝
● բեռնատար 10%
● մարդատար, մինչև 10 նստատեղ 25%
● մարդատար, 10 և ավելի նստատեղ 12%
Տրանսպորտային միավորների ընդհանուր կազմում հին, 8 և ավելի տարի ավտոմեքենաների մասը ըստ տեսակների կազմում է՝
● բեռնատար 65%
● մարդատար, մինչև 10 նստատեղ 75%
● մարդատար, 10 և ավելի նստատեղ 55%
Անհատական օգտագործման ավտոմեքենաները կայանում են ըստ տեղերի բնակության վայրի (բնակելի շենք, առանձնատուն): Տնամերձ հողամասերով սակավահարկ անհատական տներում բնակվողների ավտոմեքենաները տեղավորվում են իրենց հողամասում և քաղաքում դրանց կայանման հետ կապված խնդիրներ չեն առաջանում: Լուրջ դժվարություններ է ստեղծում բազմաբնակարան շենքերում բնակվողների ավտոմեքենաների կայանման խնդիրը: Դրանք զբաղեցնում են ներբակային և միջբակային տարածքները, իրենց անկազմակերպ և հակաէսթետիկ տեսքով ապականում են բնակելի միջավայրը, զբաղեցնում են կանաչապատման, մանկական խաղահրապարակների, տարիքավոր բնակչության հանգստի համար նախատեսված տարածքները: Ինչպես այլ քաղաքներում, նույն թվում Երևանում և հիմա արդեն Աբովյան քաղաքում ևս խնդիրը համապատասխան լուծում է պահանջում:
3.2.14 Ինժեներական ենթակառուցվածքների ներկա վիճակը
3.2.14.1 Ջրամատակարարում և ջրահեռացում (կոյուղի)
Աբովյան քաղաքի խմելու կենցաղային և արտադրական ձեռնարկությունների խմելու որակի ջրամատակարարումը իրականացվում է Հրազդան քաղաքի տարածքում գտնվող «Մաքրավան-4» աղբյուրների (հզորությունը 400-500լ/վրկ) գլխամասային կառուցվածքներից պոմպերի միջոցով: Մաքրավան - Աբովյան ջրատարը մետաղական խողովակներից է, ընդհանուր երկարությունը 41.0 կմ է, իսկ տրամագիծը 600-700 մմ: Ջրատարի տեխնիկական վիճակը բավարար է, ջրի վարակազերծումը կատարվում է գլխամասային կառույցներում հեղուկ քլորով: Գլխամասային կառույցները ունեն սանիտարական պահպանության գոտի:
Քաղաքի ջրամատակարարման ներքին ցանցը բաժանված է երկու գոտու, իրենց օրվա կարգավորիչ ջրամբարներով (Օ.Կ.Ջ):
Ջրամատակարարման առաջին գոտու Օ.Կ.Ջ-ի ընդհանուր ծավալը 8000խմ է (4x2000 խ.մ), հատակի նիշը 1457մ, ունի սան. պահպանության գոտի, որը ենթակա է հիմնանորոգման:
Ջրամատակարարման երկրորդ գոտու Օ.Կ.Ջ-ի ընդհանուր ծավալը 9000խմ է (3x3000 խ.մ), հատակի նիշը 1506մ.: Ջրամբարներից մեկը գտնվում է վթարային վիճակում և չի գործում:
Ջրամատակարարման ներքաղաքային ցանցի ընդհանուր երկարությունը 115կմ է, իսկ տրամագիծը` 50-500 մմ: Ցանցը գտնվում է անբավարար վիճակում (մեծ են կորուստները) և դրա ընդհանուր երկարության մոտ 70% կարիք ունի վերակառուցման: Ներկայումս քաղաքի որոշ հատվածներում սպառողների ջրամատակարարումը իրականացվում է պոմպերի միջոցով, հատկապես հինգ հարկից բարձր շենքերինը:
Քաղաքի ջրամատակարարումը իրականացվում է 15.0 հազ. խ.մ այդ թվում խմելու և տնտեսական կարիքների համար 3.0 հազ. խ.մ., իսկ արտադրական կարիքների համար 0.3 հազ.խ.մ: Ներկայումս սպառողներին ջուրը տրվում է օրական երկու անգամ. առավոտյան և երեկոյան երկուական ժամով:
Քաղաքը ներկայումս կոյուղացված է 90%-ով: Էլար թաղամասի առանձնատների որոշ հատվածը և 7-8 միկրոշրջանները ամբողջությամբ չի կոյուղացված: Կոյուղու գործող ցանցի ընդհանուր երկարությունը 86կմ է, իսկ տրամագիծը` 150-1000մմ: Դիտահորերի և կոյուղագծերի շուրջ 70% -ը ենթակա է հիմնանորոգման: Քաղաքի կեղտաջրերը հեռացվում են 600-1000մմ տրամագծի երկաթե և երկաթբետոնե գլխավոր կոյուղատարով, երկարությունը 6.5 կմ է և միանում է «Չարենցավան-Երևան» կոյուղու կոլեկտորին:
3.2.14.2 Էլեկտրամատակարարում
Ներկայումս Աբովյան քաղաքի էլեկտրամատակարարման գլխավոր իջեցնող բարձր լարման ենթակայաններն են`
- «Աբովյան» ե/կ 110/35/10կվ լարման 2x40 ՄՎԱ հզորությամբ
- «Էլար-1» ե/կ 35/10 կվ լարման 1 x 6.3 ՄՎԱ հզորությամբ
- «Էլար-2» ե/կ 35/10 կվ լարման 2 x 10 ՄՎԱ հզորությամբ
- «Գարեջուր» 35/10 կվ լարման 2 x 4 ՄՎԱ հզորությամբ:
Գոյություն ունեցող բարձր լարման իջեցնող ենթակայանների տրանսֆորմատորների ընդհանուր հզորությունը 114.3 ՄՎԱ է: Ներկայումս կապը հանրապետության էլեկտրահամակարգի հետ իրականացվում է «Մուշ» 110 կվ լարման 17 կմ երկարությամբ օդային գծերով «Մարաշ» 220/110/35/10 կվ լարման ենթակայանից, հզորությունը 1 x 250.2 x 125 ՄՎԱ:
Քաղաքի բնակելի, հասարակական, տնտեսական, արտադրական ձեռնարկությունների և արտաքին լուսավորության պահանջները բավարարում են վերը նշված գլխավոր գործող ենթակայաններից քաղաքում գործող չորս բաշխիչ կետերի (բ.կ.) և 10/0.4 լարման ցանցային 86 ենթակայանների միջոցով, որոնցից 39-ը մեկ տրանսֆորմատորային: Քաղաքի ներքին բաշխիչ ցանցի մալուխային 10կվ լարման գծերի երկարությունը 117 կմ, օդային գծերինը 31 կմ:
Ներկայումս էլեկտրաէներգիայի տարեկան ծախսը 38972 հազ.կվտ/ ժամ է, որից կոմունալ կենցաղայինը 16120 հազ. կվտ/ժամ է:
Մեկ բաժանորդի տարեկան միջին ծախսը 2000 կվտ/ժամ է:
Էլեկտրամատակարարման համակարգի տեխնիկական վիճակը բավարար է:
3.2.14.3 Գազամատակարարում
Ներկայումս Աբովյան քաղաքը գազաֆիկացված է ոչ լրիվ: Բնակավայրում շարունակվում են վերագազաֆիկացման աշխատանքները: Գազամատակարարման աղբյուր է հանդիսանում հանրապետության գործող գազամատակարարման համակարգի «Սևան-Երևան» հատվածի բարձր ճնշման 700 մմ տրամագծով գազատարը, գազաբաշխիչ երկու կայանների միջով` «Արզնի» ԳԲԿ «ԲԳԿ-1», որոնցից սկիզբ են առնում քաղաքը սնող միջին ճնշման 500-600 մմ տրամագծերով գազատարերը: Սպառողներին տրվող միջին և ցածր ճնշումը իրականացվում է գործող 20 պահարանային գազակարգավորիչ կետերի միջոցով: Բնակավայրի ներկայումս գործող բաշխիչ ցանցի ընդհանուր երկարությունը մոտ 41.0 կմ է, որից` միջին ճնշմանը 15.4 կմ, ցածր ճնշմանը` 25.3 կմ: Փաստացի բաժանորդների քանակը մոտ 8500 է:
Համաձայն «Հայռուսգազարդ» ՓԲԸ և Աբովյանի գազաֆիկացման և գազամատակարարման մասնաճյուղի տվյալների գազի տարեկան օգտագործումը 2005 թվին 18.25 մլն. խ.մ. է կազմել, որից կոմունալ կենցաղային կարիքների համար` 5.23 մլն. խ.մ., արտադրական կարիքների համար` 12.9 մլն. խ.մ.: Քաղաքի գազամատակարարման վիճակը բավարար է:
3.2.14.4 Ջերմամատակարարում
Աբովյան քաղաքում նախկինում գործող կենտրոնացված ջեռուցման համակարգը չի գործում: Ամբողջ ջերմային ցանցերը, հանգույցները երկար տարիներ չգործելու հետևանքով քայքայվել, շարքից դուրս են եկել, սպառել գերնորմատիվային ժամկետները:
Պետք է նշել նաև, որ ջերմային կորուստները բաշխիչ ցանցում հասնում էին 40%-ի, այդ իսկ պատճառով, անցնելով գազասպասարկման, ավելանում է գազի ծախսը:
Ներկայումս հանրապետության մեծ և փոքր քաղաքներում կենտրոնացված ջերմամատակարարում չի իրականացվում: Այդ իսկ պատճառով անցնում են ապակենտրոնացված համակարգի, որի դեպքում ջերմություն արտադրող աղբյուրները հնարավորին չափ մոտեցնում են սպառողներին՝ նախատեսվում են մեկ կամ երկու-երեք շենքերի համար փոքր հզորության կաթսայատներ:
3.2.14.5 Կապ
Քաղաքի հեռախոսային կապը իրականացվում է «Արմենտել» ՓԲԸ-ի Աբովյանի մասնաճյուղի կողմից: Կայանի հզորությունը 14.0 հազ. հեռախոսահամար է, որից գործում է 9.0 հազ. համարը:
3.3 Լանդշաֆտի դասակարգում, գոտիներ և տեսակներ
Քաղաքային միջավայրի առողջացումը, օդի, ջրի և հողի մաքրությունը խախտված տարածքների ռեկուլտիվացումը, արտադրական և այլ մնացորդների վերամշակումը, աղմուկի և տատանումների նվազեցումն արդիական խնդիրներ են` քաղաքների վերակառուցման և նոր թաղամասերի, արդյունաբերական ձեռնարկությունների կառուցման և տրանսպորտային ծանրաբեռնվածությունների հզորացման ծավալների աճի պայմաններում: Խնդիրների լուծման ուղիները պահանջում են համալիր վերլուծություն և առկա իրավիճակի գնահատման մեթոդների կիրառում, ինչպես նաև` նախագծային լուծումներ և նրանց իրականացման ուղիներ:
Համալիր վերլուծության անհրաժեշտությունը պայմանավորված է քաղաքային միջավայրի և իր նյութական առարկայական հիմքի պահպանության և բարելավման խնդրի բազմակողմանիությամբ և բարդությամբ:
Քաղաքային միջավայրը բնական և անտրոպոգեն գործոնների, այդ թվում տնտեսական, մասնավորապես կոնկրետ տարածքի վրա շինարարական գործունեության փոխադարձ կապերի և ներազդեցությունների միահյուսված արդյունքն է: Քաղաքի բնական և անտրոպոգեն բաղադրիչների տարանջատված ուսումնասիրության մեթոդը և բնաշինարարական պայմանների գնահատումը թույլ կտան վեր հանել առանձին գործընթացներ և հիմնավորել մասնավոր լուծումները: Սակայն այն հնարավորություն չի տալիս վերլուծել և օբյեկտիվորեն գնահատել քաղաքային միջավայրի վիճակը` վերջինիս վրա ներազդող գործոնների համակցությամբ:
Առաջ եկող սողքերը, քայքայումը և կանաչ տնկարկների կործանումը, ինչպես նաև բազմաթիվ այլ բացասական երևույթները հետևանք են ոչ լրիվ և ոչ հստակ պատկերացումների այն մասին, թե ինչ է տեղի ունենում կամ ինչ կարող է տեղի ունենալ քաղաքային միջավայրի հետ տարածքների յուրացման, նրանց օգտագործման և կառուցապատման արդյունքում: Քաղաքային հողերի գնահատումը, քաղաքի լանդշաֆտի կոնցեպցիայի տեսանկյունից, պահանջում է քաղաքային միջավայրի բնական և անտրոպոգեն բաղադրիչներում տեղի ունեցող պրոցեսների վերաբերյալ հավաստի տեղեկատվության անհրաժեշտություն:
Քաղաքը շրջապատող տարածքներում գերակայում է գյուղատնտեսական` վարելահողերի, արոտահողերի լանդշաֆտը, տրանսպորտային և էներգետիկ կառույցներով փոփոխված տարածքները և Հրազդանի կիրճը, որի բնական կազմավորման բլոկն իր հերթին զգալի տեխնածին ներազդեցության բեռ է կրում:
Այս բնագավառում քաղաքի լանդշաֆտը վերլուծվում է որպես բնական և անտրոպոգեն բաղադրիչների փոխկապակցվածության և ներազդեցությունների արդյունք իր նյութական-առարկայական հիմքում: Սա թույլ է տալիս իրականացնել համալիր մոտեցում քաղաքաշինական խնդիրները լուծելիս: Լանդշաֆտաէկոլոգիական մեթոդը իր էությամբ հնարավորություն է տալիս օբյեկտիվորեն գնահատել ձևավորված և նախագծվող բնական տարածքային ընդհանրությունները, կանխատեսել նրանց դինամիկան և զարգացումը, կարգավորել պրոցեսը` վերացնելով բացասական գործոնների ազդեցությունը: Հիմնվելով քաղաքի լանդշաֆտի վերաբերյալ այսպիսի դրույթի վրա` կարելի է ճանաչել քաղաքի նյութաառարկայական հիմքի բարդ հիդրոերկրաբանական ցանցը, որն արմատապես ազդում է հիմնաքարային և երեսարկային բաղադրիչների հատկությունների վրա, ակտիվորեն մասնակցում է լանդշաֆտի հատկությունների ձևավորման մեջ: Այստեղ հողը, բուսական և կենդանական աշխարհը, հանդես են գալիս, որպես առավել հեշտ փոփոխվող և խոցելի բաղադրիչ:
Անտրոպոգեն բեռնվածությունների ազդեցություններից առաջացած փոփոխությունները վերաճում են քարաբանականից (լիտոգեն) հիդրոգեն և բիոգեն հիմքերի, այսպիսով առավել շատ փոփոխվում են բիոգեն խմբի բաղադրիչները:
Անտրոպոգեն (մարդածին) կամ տեխնածին ազդեցություններին բնական բաղադրիչների տարբեր աստիճանի արձագանքումը պահանջում է դիֆերենցված վերլուծություն: Այսպես, օրինակ’ քաղաքային տարածքի ռելիեֆը, որպես փոփոխությունների առավել դժվար ենթարկվող բնական բաղադրիչ` թելադրում է հատակագծման և կառուցապատման, ինժեներական ցանցերի և միջոցառումների ձևավորումը:
Բնական բաղադրիչը պահպանողական է, քիչ և դժվար փոփոխելի և ներազդում է տարածքի զարգացման անտրոպոգեն բաղադրիչների վրա: Ռելիեֆի նման, քաղաքային տարածքի ձևավորման վրա ներազդում է նաև հիդրոգրաֆիկ ցանցը: Բնական համալիրների և նրանց բաղադրիչների հիմնական հատկությունների բացահայտումը և գնահատումը, նրանց օգտագործման տեսակների հարաբերակցության մեջ, թույլ է տալիս բավական հավաստիորեն սահմանափակել քաղաքների տարածքներն ըստ բնական համալիրների գերիշխող հատկանիշների: Քաղաքաշինական գործունեությունը քաղաքի լանդշաֆտի ձևավորման հիմնական գործոնն է: Գործունեության ֆունկցիոնալ անհամասեռությունը քաղաքի լանդշաֆտի դիֆերենցման գործոնն է:
Բնական համալիրների իրացումը ուղղված է քաղաքային միջավայրի կայունությանը: Քաղաքի կենսագործունեության արդյունքում տեղի է ունենում անտրոպոգեն էլեմենտների և նրանց բաղադրիչների` ֆունկցիոնալ գոտիների, բնակելի կամ արդյունաբերական կառուցապատման թաղամասերի, տարածքների ինժեներական կառույցների և կոմունիկացիաների պատճառով լանդշաֆտի դիֆերենցում: Բնական համալիրների վրա անտրոպոգեն (տեխնոգեն) բեռնվածության ազդեցությունների բնույթը և աստիճանը թույլատրում է տարանջատել մի շարք հատկություններով, ուր բնական կոմպլեքսի կերպարանափոխությունները կրում են տարբեր աստիճանների փոխազդեցություն: Այսպես, օրինակ` բնական համալիրների կամ լանդշաֆտների առավել խորը կերպարանափոխությունները տեղի են ունենում խոշորամասշտաբ՝ բնակելի զանգվածների, խոշոր օբյեկտների, արդյունաբերական հանգույցների, տրանսպորտային, հիդրոտեխնիկական և ինժեներական կառույցների շինարարության արդյունքում: Այսպիսի տարածքները բնութագրվում են առավելապես տեխնոգեն բաղադրիչներով և ավելի քիչ` բնական բաղադրիչներով:
Ոչ կապիտալ կառուցապատմանը հատուկ են բնական միջավայրի վրա առավել քիչ ներազդեցություններ: Այս դեպքում զարգացումը տեղի է ունենում բնականոն: Այսպիսի համալիրներն առանձնանում են բնական-անտրոպոգեն խմբում:
Քաղաքաշինական բնօգտագործման տևողությունը որոշակի տարածքի վրա որոշում է շինարարական և բնական բաղադրիչների համադրման բազմությունը և բազմաձևությունը` ձևավորելով պատմական շերտերն ու հատվածները, տարածական և հատակագծային կառուցվածքները, շինարարական զանգվածների և բաց տարածությունների հարաբերակցությունը: Քաղաքաշինական գործունեությունը, քաղաքաստեղծ օբյեկտների բնութագրով և կազմով, ազդում է քաղաքի լանդշաֆտի վրա:
Քաղաքաստեղծ օբյեկտների տեղաբաշխման մշտական փոփոխությունները, հատկապես զարգացման նախորդ փուլերում, բերել է տարբեր ֆունկցիաներ ունեցող քաղաքաստեղծ օբյեկտների շերտավորված տեղաբաշխման: Դա ծնել է քաղաքային լանդշաֆտի նոր ձևավորվող անտրոպոգեն-բնական կամ բնական-անտրոպոգեն տեսակների տարածական անհամասեռության: Անտրոպոգեն և բնական բաղադրիչների փոխազդեցությունը ձևավորում է քաղաքի լանդշաֆտի կառուցվածքը:
Պատկեր 11. Աբովյանի բնական լանդշաֆտը
Պատկեր 12. Աբովյանի արհեստական լանդշաֆտը
Փոխազդեցության արդյունքը բերում է լանդշաֆտային տարբերությունների ձևավորման, իսկ դրանց ամբողջությունը ձևավորում է լանդշաֆտային ենթաշրջաններ, շրջաններ կամ լանդշաֆտային շրջանների խմբեր:
Լանդշաֆտային տարբերությունների քանակը և բազմաձևությունը կամ միօրինակությունը կախված է երկու գործոններից` շրջանի բնական լանդշաֆտների բազմաձևությունից և անտրոպոգեն բեռնվածության քաղաքաշինական տակսոնոմիա: Այսպիսով, լանդշաֆտային տարբերությունները, որպես առաջնային կառուցվածքային տարրեր, հանդիսանում են բնական բաղադրիչների անհամասեռության և քաղաքային տարածքի ֆունկցիոնալ օգտագործման բազմաթիվ տեսակների արդյունք:
Ըստ բնական և անտրոպոգեն փոխազդեցությունների գործոնների` կարելի է տարբերել քաղաքային լանդշաֆտի հինգ հիմնական տեսակ.
● բնական համալիրի հատկություններին ենթակա ֆունկցիոնալ անհամասեռ (ոչ հիմնական, հիմնականում ոչ կապիտալ, կառուցապատում), կամ տարածքի օգտագործման նման ձև,
● ֆունկցիոնալ համասեռ հիմնական կառուցապատում համասեռ բնական համալիրի սահմաններում,
● ֆունկցիոնալ համասեռ հիմնական կառուցապատում տարբեր (երկու և ավել) բնական համալիրների պայմաններում,
● բազմաֆունկցիոնալ (երկու և ավել) հիմնական կառուցապատում մեկ բնական կոմպլեքսի պայմաններում,
● բազմաֆունկցիոնալ (երկու և ավելի ֆունկցիաներ) հիմնական կառուցապատում տարբեր (երկու և ավելի) բնական համալիրների սահմաններում:
Լանդշաֆտային տարբերությունների և շրջանների ձևավորման մեխանիզմների համեմատությունը ցույց է տալիս, որ լանդշաֆտի կառուցվածքում անտրոպոգեն և բնական բաղադրիչները գրավում են առաջնային կամ երկրորդական դիրք:
Կոտայքի մարզի հողային ծածկույթն իրենից ներկայացնում է, ՀՀ տարածքի տարբեր մասերում հանդիպող, տարաբնույթ հողածածկեր:
Արդեն նշվել է, որ Աբովյանը գտնվում է Հրազդան գետի ձախ ափի հարթակներից մեկի վրա: Այստեղ լավային հոսքերը հասել են Գեղամա լեռնավահանի հյուսիս-արևմտյան հատվածից, և պետրոգրաֆիական տեսակետից իրենցից ներկայացնում են բազալտներ, անդեզիտներ, անդեզիտաբազալտներ, և, մասամբ, դացիտներ ու օբսիդիաններ` խարամների խառնուրդով, որոնք բացվում են Երևան-Սևան մայրուղու աջակողմյան և, մասամբ, Աբովյանի տեղամասում ձախակողմյան հատվածներում: Քաղաքի տարածքի բարձրությունը ծովի մակարդակից կազմում է 1450 մ:
Մորֆոլոգիական տեսակետից ուսումնասիրվող տարածքը գտնվում է Քանաքեռի հրաբխային սարահարթի վրա, որն ունի բլրոտ ռելիեֆ: Միաժամանակ ուսումնասիրվող տարածքը հանդիսանում է Գեղամա լեռնաշղթայի հարավ-արևմտյան նախալեռնային մասը, և տեղակայված է ջրառատ Հրազդան գետի կիրճի ձախափնյա մասում:
Կլիմայական տեսակետից ուսումնասիրվող տարածքը մտնում է չափավոր ցուրտ ձմեռով և տաք ամառով բնորոշվող գոտու մեջ: Տարեկան տեղումների միջին քանակը կազմում է 488մմ, սակայն երբեմն նախատեսված նիշից դիտվում են շեղումներ ինչպես դեպի ավելացում, այնպես էլ նվազում: Տատանումները կազմում են ±30-40մմ:
Առաջին ձյունը տեղում է դեկտեմբերի վերջին տասնօրյակին և մնում է մինչև մարտ: Քամիների գերակշռելի ուղղությունը հյուսիս-արևելքից դեպի հարավ-արևմուտք է:
Օրեգրաֆիկ տեսակետից ուսումնասիրվող տարածքը իրենից ներկայացնում է բլրակային բազալտային սարահարթ: Նրա տարրերն են հանդիսանում.
ա) ջրբաժան սարահարթը, որը տարածվում է հյուսիս-արևմուտքից դեպի հարավ-արևելք, Մհուբ գյուղից հյուսիս-արևելք և Էլար գյուղից հարավ:
Նմանատիպ ջրբաժան սարահարթ նկատվում է նաև ուսումնասիրվող տարածքի հյուսիսային եզրամասում, Արզնի գյուղից հարավ:
Ուսումնասիրվող տարածքի արևելյան մասի ռելիեֆը, Գեղամա լեռնաշղթայի ստորոտից արևմուտք, նույնպես ունի սարահարթաձև տեսք:
Սարահարթն ունի շատ կտրուկ լանջեր և շերտավորված է չեչոտ դոլերիտային բազալտների ծածկոցով:
ա) Վերը նկարագրված ջրբաժան սարահարթի հարավային և արևմտյան հարթ լանջեր,
բ) Թույլ բլրակային հարթավայր, որը տեղակայված է ջրբաժան սարահարթից հյուսիս, հարավ և արևմուտք,
Հյուսիսում և հյուսիս-արևմուտքում հարթավայրը փոխարկվում է սարահարթի, բարձրանալով նշած հարթավայրից 20մ-ից մինչև 50մ: Այստեղ գրունտները հիմնականում ներկայացված են կավավազափոշանման կարբոնատացված նյութով, խճա-մանրախճային միացութամբ: Տեղ-տեղ գերակշռում են կավավազա-փոշանման լցանյութով խճա-մեծաբեկորային գրունտները:
գ) Փոքր բարձրացումներ, որոնք արտահայտվում են վերջին 2 ստորաբաժանումների ֆոնի վրա: Բարձրացումներն ունեն գմբեթավոր տեսք և շերտավորված են բազալտի ծածկոցով:
Շրջանի երկրաբանական կառուցվածքում մասնակցում են օլիգոցենային դոլերիտային բազալտները, որոնք տակդիր են երրորդական նստվածքային ապարներին: Դոլորիտային բազալտային լավաները ռելիեֆի իջնող մասերում ծածկված են դելյուվիալ գոյացումներով:
Գրունտային ջրերը ուսումնասիրվող տարածքի սահմաններում տարածվում են 10-20մ և ավելի խորությունում, և միայն ոչ մեծ տեղամասում, որը տեղակայված է Մհուբ գյուղից հյուսիս-արևելք և հարում է Եղունարխ հարթավայրին, գրունտային ջրերը գտնվում են 2-5մ խորությունում: Հետազոտությունների արդյունքում տարածքը բաժանվում է առանձին ինժեներաերկրաբանական շրջանների և տեղամասերի, որոնց նկարագրությունը բերված է սխեմատիկ ինժեներաերկրաբանական քարտեզի վրա:
Ամփոփելով Աբովյանի և իր շրջանի լադշաֆտի բնութագիրը` պետք է նշել, որ տարածքների տեխնածին ակտիվ հողօգտագործումը (արտադրական օբյեկտների և բնակելի զանգվածների շինարարություն` դրանց ինժեներական ենթակառուցվածքներով հանդերձ) արմատապես ձևափոխել և ճնշելով նվազեցրել է լանդշաֆտի կազմավորման առաջնային մասնակից՝ բնական տարրեր, գործոնները:
Ներկայումս Աբովյանի սահմաններում առկա են, թե´ արդյունաբերական և թե´ քաղաքային լանդշաֆտի տեսակները: Զբոսայգիները և, տարբեր կազմակերպությունների տարածքներում գտնվող, սահմանափակ օգտագործման կանաչը միայն լրացնում են նշված լանդշաֆտային երկու տեսակները:
Աբովյանի շրջանի լանդշաֆտները տեխնածին ակտիվ հողօգտագործման արդյունքում (արտադրական օբյեկտների և բնակելի զանգվածների շինարարություն` դրանց ինժեներական ենթակառուցվածքներով հանդերձ, և համայնքի սահմաններից դուրս գյուղատնտեսություն) արմատապես ձևափոխվել են: Տեխնածին գործոնները, ճնշելով, նվազեցրել են լանդշաֆտի կազմավորման առաջնային մասնակից` բնական տարրերի, գործոնների հատկությունները:
Տարածքի կլիմայական պայմանները նպաստավոր են հանգստավայրերի, այդ թվում լեռնային և առողջարանների տեղաբաշխման համար:
Պատկեր 13. Աբովյանի կենտրոնական մասի մշակված քաղաքային լանդշաֆտը
Պատկեր 14. Աբովյանի բնակելի կառուցապատման մշակված քաղաքային լանդշաֆտը
Պատկեր 15. Արտադրական կառուցապատման տարածքների ձևափոխված լանդշաֆտը
Պատկեր 16. Տարածքների իրացման առաջին փուլում մասամբ խախտված և լքված լանդշաֆտը
Գ լ ու խ 4
Շրջակա միջավայրի վիճակն ու պահպանման խնդիրները
4.1 Նպատակը և խնդիրները
Սույն բաժնի հիմնական նպատակն է՝ վերլուծել տարածքի շրջակա միջավայրի առկա վիճակը, քաղաքի զարգացման կանխատեսումների համար շրջակա միջավայրի պահպանման վերաբերյալ հիմնավորված միջոցառումներ նախատեսելու համար:
Բաժնի խնդիրներն են` բնական պաշարների (օդ, ջուր, հող, բուսականություն և այլ) վրա քաղաքային ենթակառուցվածքներից ներկայումս առաջացող բացասական ազդեցության վերլուծություն և գնահատում, շրջակա միջավայրի բաղադրիչների հատկությունների բացահայտում, հետագայում թույլ չտալու իրավիճակի վատթարացման և առավելագույնս իջեցնելու շրջակա միջավայրի վրա բացասական ազդեցությունը:
Աշխատանքը կատարված է (1,2) մեթոդական ցուցումների հիման վրա, գործող նորմատիվների, պետական ստանդարտների, բնապահպանական օրենքների հիման վրա:
4.2 Տարածքի ինժեներաէկոլոգիական բնութագիրը
Տարածքի ընդհանուր էկոլոգիական բնութագրման նպատակը կայանում է շրջակա միջավայրի բացահայտման, ինչպես նաև տարածքի էկոլոգիական պարամետրերի՝ ինժեներաէկոլոգիական բնութագրերի և ինդեքսների որոշման մեջ:
Տարածքի ժողովրդագրական ծավալը կամ շեմային ժողովրդագրական ծավալը, դա բնակչության առավելագույն թիվն է, որը կարող է տեղակայվել տվյալ տարածքի սահմաններում՝ պայմանով, որ պետք է բավարարվեն բնակչության ամենօրյա կարևոր պահանջները տեղանքի պաշարների հաշվին, առանց էկոլոգիական հավասարակշռության խախտման:
Արդյունաբերական և քաղաքացիական շինարարության համար պիտանի տարածքների առկայությամբ ժողովրդագրական ծավալը կազմում է.
|
, որտեղ. |
Ti - T-րդ տարածքն է, որը ստացել է առավելագույն գնահատականը, հա:
Ti =975,5
H - Հազար բնակչին անհրաժեշտ տարածքն է, կախված տարածքի արտադրական բազայի բնույթից:
H=20 (բնակելի տարածքի համար) , H=15(արդյունաբերական շրջանի համար)
Di = 65000 մարդ
-----------------------
2. Տարածքի ժողովրդագրական ծավալը ըստ ջրային պաշարներով ապահովման որոշվում է.
D=D2 + D3, որտեղ.
D - Տարածքի ընդհանուր ժողովրդագրական ծավալն է, ըստ ջրային պաշարների, մարդ:
D2 - Մասնակի ժողովրդագրական ծավալն է, ըստ մակերևութային ջրերի, մարդ:
D3 - Մասնակի ժողովրդագրական ծավալն է, ըստ խորքային ջրերի:
| D2= |
n |
(P ∙ K ∙ 1000)/P |
P - Նորման է 1000 բնակչի համար վերցնում ենք 1000մ3/օր:
K- 0,25
P=12500մ3/օր (Աբովյան քաղաքի արդյունաբերական շրջանի նախագծերից)
|
մարդ |
| D3 = |
n |
Э ∙ ТР ∙ 1000/P0 |
ն - Ընդերքային ջրերի շահագործային մոդուլն է, մ3/(օր. կմ)2
TP - Նախագծվող շրջանի տարածքն է, կմ2
TP=1.095 ; P0=40մ3/օր; ն=250
D3=68437 մարդ
------------------
D=71562,5 մարդ
3. Ռեկրեացիոն պաշարների առումով տարածքի ժողովրդագրական ծավալը որոշվում է. D=D4+D5 բանաձևով
D4 = Tp●Л●0,5●1000/100●H●M
TP - Տարածքի մակերեսն է - 975,5հա
խ - Տարածքի անտառապատվածությունը % - 3% բուսականություն գետի մոտ:
H - 2 կմ2
M - 0.3
D4=24387 մարդ
4. Ջրային ավազանի մոտ հանգստի կազմակերպման պայմաններով տարածքի ծավալը որոշվում է.
D5=2.B.C.1000/0,5.M1 մարդ, որտեղ՝
B - Գետի հատվածն է, որտեղ կարելի է լողալ կմ-3կմ
C - գործակից, որը հաշվի առնում լողափերի կազմակերպման հնարավորությունը, տափաստանային գոտու համար C=0,3:
0,5 – 1000 բնակչին անհրաժեշտ լողափերի մոտավոր նորմատիվն է:
M1 - գործակից, որը հաշվի է առնում հանգստացողների տեղաբաշխումը անտառում և ջրի մոտ - M1=0,1÷0,15 - չափավոր կլիմա ունեցող շրջանի համար:
D5=36000 մարդ D=60387 մարդ:
Այսպիսով ստացված տվյալների համաձայն որպես ժողովրդագրական ծավալի վերջնական ցուցանիշ ընտրված է 60 հազար մարդ:
5. Տարածքի վերարտադրողական ունակությունը մթնոլորտային թթվածնի օգտագործմամբ որոշվում է.
|
տ, որտեղ. |
Пk - Արգասավորությունն է ըստ թթվածնի, տ
Ci - Օրգանական նյութի տարեկան արտադրողականությունն է i-րդ բուսական խմբավորումից, տ/տարի - 6տ/հա
K1 - Անցման գործակից - 1,45
T - Կանաչապատ տարածքների մակերեսն է, հա T=44հա
կՍ=385,8տ
6. Ջրային պաշարների վերարտադրողական ունակությունը որոշվում է՝
|
, որտեղ՝ |
l =200 լ/մ2
K2=0,5
T1=975,5 հա
ПB=975,5.0,5.200=97550 մ3
7. Տարածքի վերարտադրողական ունակությունը բուսականությունով որոշվում է՝
|
որտեղ՝ |
ПP - Տարածքի վերարտադրողականությունն է ըստ բուսական մասսայի, տ
Ci- 1 հա բուսականությամբ տարածքի տարեկան վերարտադրողականությունն է, տ
T - Կանաչապատ տարածքն է, հա - 44հա
ПP=264տ
8. Տարածքի դիմադրողականությունը ֆիզիկական բեռնվածությանը:
Սա բնութագրում է այս կամ այն լանդշաֆտային դիմադրողականությունը ֆիզիկական անտրոպոգեն ազդեցություններին (ռեակրացիոն, տրանսպորտային և ուրիշ ազդեցություններ):
Տարածքի հարաբերական դիմադրողականությունը ֆիզիկական ազդեցություններին որոշվում է.
|
, որտեղ. |
УФ - Տարածքի դիմացկունության գործակիցն է , որը միշտ < 1:
Уi - i-րդ տարածքի դիմացկունությունն է, մարդ/հա - 61:
Ti - i -րդ տեղամասի մակերեսն է, հա - 975,5:
У1 - Էտալոնային լանդշաֆտի դիմացկունությունն է ֆիզիկական ազդեցություններին, մարդ/հա - 200:
T - Տարածքի մակերեսն է, հա - 1095
| Уф = |
61 ∙ 975,5 |
= |
59505,5 |
= 0,27 < 1 |
|
|
| |||
|
200 ∙ 1095 |
219000 |
4.3 Բուսական աշխարհի պահպանություն
Անհետացման վտանգի տակ գտնվող, հազվագյուտ, պահպանության կարիք ունեցող բուսատեսակներին վնաս չի հասցվի, քանի որ նախագծով նախատեսված միջոցառումները իրագործվում են արդեն իսկ գոյություն ունեցող կառույցների սահմաններում և նոր տարածքներ գրեթե չեն ներառում: Սակայն շինարարության և բարեկարգման ընթացքում անհրաժեշտ է լինում, թեկուզ և սահմանափակ քանակով հատել առանձին թփեր և ծառեր: Ծառաթփային բուսականության վրա բացասական ազդեցության ի սկզբանե կանխարգելման և պահպանության նկատառումներից ելնելով կառուցապատման նախագծերի մշակման ընթացքում պետք է հնարավորին նվազագույն չափով հատվեն ծառերն ու թփերը: Հիմնականում այդ խնդիրը հաջողվել է լուծել կառուցապատման համար ընտրելով այն տարածքները, որտեղ գրեթէ բացակայում է ծառային բուսականությունը և առավելապես բնական կանաչապատ տարածքներում նախատեսվում է քաղաքային զբոսայգիների, պուրակների կամ կանաչապատ շերտերի զարգացումը: Տեղական մարմինների հետ համաձայնեցմամբ առաջարկվում է ավանդույթ դարձնել քաղաքում գարնան և աշնան ամիսներին կատարել կանաչապատման աշխատանքներ, ներգրավելով բնակչության տարբեր խմբեր, հասարակական և այլ, այդ թվում տեղական ինքնակառավարման համակարգի և պետական կազմակերպություններ: Քաղաքի տարածքում գործող մասնավոր ձեռնարկությունների մասնակցությամբ առաջարկվում է կազմակերպել համապատասխան քանակությամբ ծառաթփային տնկարկային նյութի ձեռքբերումը:
Պահպանության կարիք ունեցող ֆլորայի տեսակները
աղյուսակ 4.3-1
|
Հ/հ |
Բուսատեսակների անվանումը |
Պահպանության կարգավիճակ |
|
|
|
Լատիներեն |
Հայերեն |
|
|
1 |
Centaurea Takhtajanii |
Տերեփուկ Թախտաջյանի |
1 |
|
2 |
Hieracium pannosum |
Ճառակախոտ փրչոտ |
1 |
|
3 |
Campanula Massalskyi |
Զանգակ Մասալսկու |
2 |
|
4 |
Cephalaria Tchihatchevii |
Ջիվան Չիխաչովի |
2 |
|
5 |
Astragalus Massalskyi |
Գազ Մասալսկու |
2 |
|
6 |
Aloea Sophial |
Տուղտավարդ Սոֆիայի |
1 |
|
7 |
Rheum Ribez L. |
Խավրծիլ հազարջանման |
1 |
|
8 |
Acantholimon avenaceum |
Ոզնաթուփ վարսակային |
2 |
|
9 |
Augeloass grassa |
Այծակն հաստ |
1 |
|
10 |
Scrophularia atropatana |
Խլածաղիկ ատրոպատանյան |
1 |
|
11 |
Erincium Wanaturii |
Երջակ Վանատուրի |
1 |
|
12 |
Sambucus Tigranii |
Թանթրվենի Տիգրանի |
2 |
|
13 |
Telephium olicispermum |
Տելեփ սակավասերմ |
2 |
|
14 |
Astragalus eriopidus |
Գազ թավուտ |
1 |
4.4 Կենդանական աշխարհի պահպանություն
Կենդանական աշխարհի վրա հնարավոր ազդեցությունը նվազագույնի հասցնելու նպատակով տարբեր կառույցների իրականացման ընթացքում պայթեցման և ամենաինտենսիվ շինարարական աշխատանքները պետք է իրականացվեն մինչև ձվադրման և բնադրման ժամանակաշրջանը (ապրիլ- մայիս) կամ դրանից հետո: Պայթեցումների ազդեցությունը նվազագույնի հասցնելու նպատակով դրանք կիրականացվեն փոքր հզորության լիցքերով:
Ընդհանուր առմամբ, համակարգերի վերակառուցման աշխատանքների ազդեցությունները կկրեն լոկալ և ժամանակավոր բնույթ, որի ընթացքում հնարավոր է, որ վախի գործոնը կենդանիներին ստիպի որոնել առավել հուսալի կացարաններ և հեռանալ մերձավոր՝ շատ ավելի մեծ մակերեսներ և նման պայմաններ ունեցող տարածքներ, ինչի շնորհիվ կենդանիներին հասցվող վնասը կլինի նվազագույն: Քաղաքի սահմաններում կառուցապատման համար նոր տարածքները ընտրված են դեռ նախորդ գլխավոր հատակագծի մշակման ժամանակաշրջանում և քսաներորդ դարի 90-ական թվականներին կապիտալ շինարարության դադարեցման պատճառով առայժմ մնացել են չկառուցապատված: Սույն գլխավոր հատակագծի շրջանակներում առաջարկվում է այդ տարածքների իրացումը քաղաքի բնակելի նոր թաղամասերի, հասարակական և այլ կառուցապատումը իրականացնելու, ինչպես նաև նոր զբոսայգիների ու պուրակների ստեղծման նպատակով: Այս նպատակների համար օգտագործվող տարածքներում կառուցապատման աշխատանքների սկզբնական փուլում պետք է իրականացվեն տարածքի նախապատրաստման կամ հարթեցման աշխատանքները, ինչը թույլ կտա կենդանական աշխարհի ներկայացուցիչներին տեղափոխվելու քաղաքի սահմանից դուրս գտնվող անվտանգ գոտիներ:
Պահպանության կարիք ունեցող ֆաունայի տեսակները
աղյուսակ 4.4-1
|
հհ |
Կենդանիների անվանումը |
Գրանցման Կարմիր գրքի անվանում | |||
|
Լատիներեն |
Հայերեն |
ՀՀ |
ԽՍՀՄ |
ԲՊՄՄ | |
|
1 |
Vormela peregusna |
Հարավռուսական խայտաքիս |
2 |
2 |
- |
|
2 |
Circaetus gollicus Gmelin |
Եվրոպական օձակեր |
1 |
1 |
- |
|
3 |
Luscinia svecica occidentalis |
Իրանական կապտափող |
2 |
- |
- |
|
4 |
Lacerta oarva Boulenger |
Փոքրասիական մողես |
1 |
1 |
- |
|
5 |
Rhinolophus Mehelyi |
Մեհելիի պայտաքիթ |
1 |
1 |
- |
|
6 |
Barbastella leucomelas Gretzschmer |
Ասիական լայնականջ չղջիկ |
2 |
- |
- |
|
7 |
Capra aegagrus erxleben |
Բեզոարյան այծ |
2 |
2 |
- |
|
8 |
Mabuya aurata Linneaus |
Ոսկեգույն մաբուա |
1 |
1 |
- |
|
9 |
Elaphe hohenakeri strauch |
Անդրկովկասյան սահնաօձ |
1 |
1 |
- |
|
10 |
Telescopus fallax iberus eichwaldi |
Կովկասյան կատվաօձ |
1 |
1 |
- |
4.5 Տնտեսության ներկա վիճակի բնութագիրը
Աբովյան քաղաքի բնակելի թաղամասերի տարածքը կազմում է 975,5 հա: Բնակչությունը կազմում է ըստ տեղական իշխանությունների հաշվարկի 44,6 հազար մարդ:
Աբովյան քաղաքում տեղակայված են երկու արդյունաբերական հանգույցներ` հարավարևելյան և հյուսիսարևմտյան:
Արդյունաբերական հանգույցներում տեղակայված են 20-ից ավելի ձեռնարկություններ, որոնցից կիսով չափ գործում են հինգը: Դրանց մեջ մասնագիտացված ճյուղը էլեկտրատեխնիկական և շինարարական արդյունաբերությունն է:
Քաղաքում կան նաև սննդի, թեթև արդյունաբերության արտադրություններ, ինչպես նաև գյուղմթերքի վերամշակման, հացաթխման գործարան, «Վյակ» ՍՊԸ նավթամթերքի բազա, տրավերտինի մշակման գործարան, գարեջրի գործարան, դեղորայքի արտադրության գործարան:
Նշված արտադրությունների մեծ մասը սեփականաշնորհված է:
Հեռանկարում նախատեսվում է արդյունաբերական ձեռնարկությունների առավել արդյունավետ շահագործում և վերազինում:
4.6 Մթնոլորտային օդ
Որպես որոշիչ կոնցեպցիա ընդունված է՝ առաջնահերթ միջոցառումների առանձնացումը, որոնց իրականացումը թույլ չի տա օդային ավազանի աղտոտվածության մակարդակի բարձրացում: Օդային ավազանի աղտոտվածության վիճակի գնահատականը ընդգրկում է հետևյալ էտապները՝
● առաջնային ձեռնարկությունների և վնասակար նյութերի դասակարգումը (ռանգավորումը):
● մթնոլորտ համախառն արտանետումների որոշումը (գումարային և ինգրեդիենտներով) արդյունաբերության, էներգետիկայի, ավտոտրանսպորտի արտանետումների տեսակարար կշռի գնահատմամբ:
● ամբողջական աղբյուրների արտանետումներից մթնոլորտային օդի աղտոտվածության մակարդակների որոշումը և ցրման արեալների որոշումը:
● մթնոլորտային օդի աղտոտվածության գոտիների գնահատումը հիգիենիկ իրավիճակով
● քաղաքի տարածքի գնահատումը ըստ օդային ավազանի աղտոտվածության իրավիճակի բարենպաստության աստիճանի:
Արդյունաբերական ձեռնարկությունների համախառն արտանետումների մասին տեղեկությունները վերցված են ՍԹԱ-ի նախագծերից և «2Ձկ - օդ» տարեկան հաշվետվություններից: Ձեռնարկությունների և կոմունալ կաթսայատների արտանետումները որոշված են հաշվարկային եղանակով, կաթսաների և վառելիքի քանակի հիման վրա:
Ավտոտրանսպորտի արտանետումները որոշված են քաղաքում հաշվառված ավտոմեքենաների քանակից և խմբերից ելնելով (քաղաքի պետավտոտեսչության տրամադրած տվյալները):
Մթնոլորտային օդի աղտոտվածության մակարդակները (առավելագույն մերձգետնյա կոնցենտրացիաները) և տեխնոգեն ցրման արեալները որոշված են հաշվարկային եղանակով, համակարգչով՝ «Ռադուգա» ծրագրով:
Տարածքի գնահատականը օդային ավազանի իրավիճակով տրված է բազմաբնույթ անալիզի հիման վրա՝ մետեոպոտենցիալի, ուլտրամանուշակագույն ճառագայթման, տեղումների, ռելիեֆի և սոցիալ-տնտեսական ցուցանիշների (բնակչության խտություն, արդյունաբերական պոտենցիալ, ավտոճանապարհների խտություն, ֆոնային աղտոտվածություն) հաշվառմամբ:
Տեխնոգեն ցրման ստացված արեալները իրենց բնութագրերով ցույց է տրված 1:5000 մասշտաբի հատակագծի վրա:
Աշխատանքում բոլոր տվյալները բերված են 01.01.2005թ. դրությամբ:
4.7 Մթնոլորտի աղտոտվածություն
ՀՀ բնապահպանության նախարարության շրջակա միջավայրի մոնիտորինգի կենտրոնի տվյալները մթնոլորտի աղտոտվածության մակարդակների վերաբերյալ բերված են 4.7-1 աղյուսակում:
Աղյուսակ 4.7-1
|
հհ |
Աղտոտող նյութերի կոդերը և անվանումները |
ՍԹԿ-ն բնակելի գոտում, մգ/մ3 |
Ֆոնային կոնցենտրացիաների արժեքները, մգ/մ3 |
|
1 |
002 – Փոշի |
0.5 |
0.3 |
|
2 |
701 – Ծծմբի երկօքսիդ |
0.5 |
0.05 |
|
3 |
200 – Ազոտի երկօքսիդ |
0.085 |
0.015 |
|
4 |
322 – Ածխածնի օքսիդ |
5 |
0.8 |
Ինչպես երևում է 4.7-1 աղյուսակից Աբովյան քաղաքի մթնոլորտային օդի աղտոտվածության մակարդակները գտնվում են բնակելի գոտու համար սահմանված նորմերում:
Աբովյան քաղաքը տեղակայված է ծովի մակերևույթից 1420 մ բարձրության վրա: Կլիմայական շրջանը` ցուրտ: Ամառը զով է, քամիներով:
Քաղաքի բնակելի տարածքը տեղակայված է Աբովյանի արդյունաբերական շրջանի հարավային մասում: Քամու գերակշռող ուղղությունը` ՀՅԱ-28%, որի դեպքում արդյունաբերական շրջանի արտանետումները չեն տարածվում դեպի քաղաք: Բայց հարավային քամիների (22%) դեպքում քաղաքը աղտոտվում է արդյունաբերական շրջանի արտանետումներով:
Քաղաքի ֆիզիկաաշխարհագրական և կլիմայական պայմանները խոչընդոտում են մթնոլորտում վնասակար նյութերի ցրմանը` ինչի հետ կապված տարածքը դասվում է մթնոլորտի աղտոտվածության բարձր պոտենցիալ ունեցող գոտիների շարքը:
4.8 Մթնոլորտի աղտոտման աղբյուրները
Աբովյան քաղաքի մթնոլորտի աղտոտման հիմնական աղբյուրները հանդիսանում են արդյունաբերական շրջանում տեղակայված ձեռնարկությունները, կաթսայատները և ավտոտրանսպորտը:
Աբովյանի արդյունաբերական շրջանի ձեռնարկությունները այժմ գործում են իրենց հզորությունների 10-20%-ի չափով: Բացի դրանից քաղաքում գործում են մի շարք փոքր ձեռնարկություններ, որոնք քաղաքի աղտոտվածության մակարդակում որոշիչ ներդրում ունեցող աղբյուրներ չեն հանդիսանում:
Ձեռնարկությունների դասակարգման ընդհանրացված չափանիշը կամ վնասակարության ինդեքսը մաքուր օդի պայմանական ծավալն է, որն անհրաժեշտ է աղտոտող նյութերը մինչև ՍԹԿ նոսրացման համար (5):
Դասակարգումը կատարված է՝
|
բանաձևով՝ ինգրեդիենտների համար, |
|
ձեռնարկությունների համար, որտեղ՝ |
ri - ինգրեդիենտների վնասակարության ինդեքս
r - բերված համախառն արտանետում;
M - վնասակար արտանետումների տարեկան քանակն է, տ/տարի
ՍԹԿմմ - մաքսիմալ միանգամյա ՍԹԿ-ների արժեքներն են, մգ/մ3:
ՍԹԿ միջ. օր - միջին օրական ՍԹԿ-ներ
Ձեռնարկությունների և վնասակար արտանետումների գերակայությունների ցանկը բերված են 4.8-1 և 4.8-2 աղյուսակներում:
Աղյուսակ 4.8-1
|
հհ |
Ձեռնարկությունների անվանումը |
Համախառն արտանետումներ տ/տարի |
Ձեռնարկության դասը |
Սանիտարապաշտպանիչ գոտու չափը, մ |
|
1 |
Կահույքի ֆաբրիկա |
4,85 |
V |
50 |
|
2 |
«Կոտայք» գարեջրի գործարան |
17,0 |
V |
50 |
|
3 |
Արդյունաբերական շրջանների կաթսայատներ |
15,35 |
- |
- |
|
4 |
Մեքենաշին (կարտինգ) |
3,9 |
V |
50 |
|
5 |
«Թամարա» ՍՊԸ |
6,42 |
V |
50 |
|
6 |
Կոշիկի ֆաբրիկա |
3,5 |
V |
50 |
|
7 |
«Ս. Օսիպյան» ՍՊԸ Ապակի |
5,04 |
IV |
100 |
|
8 |
Հացի գործարաններ |
4,6 |
V |
50 |
|
9 |
Երկաթբետոնյա կոնստրուկցիաների գործարան |
3,9 |
IV |
100 |
|
10 |
«Զորեղ-Վահագն» սպորտհամալիր |
1,88 |
- |
- |
|
11 |
Ռադիոգործարան |
0,43 |
V |
50 |
|
12 |
Ավտոտրանսպորտային ձեռնարկություն |
3,36 |
V |
50 |
|
13 |
«Վյակ» նավթի բազա |
1,42 |
- |
30 |
|
14 |
«Սիրիուս» գործարան |
0,51 |
V |
50 |
|
15 |
«Հատիս» կարի ֆաբրիկա |
0,3 |
V |
50 |
|
16 |
«Դինամո» տրիկոտաժի ֆաբրիկա |
0,3 |
V |
50 |
|
17 |
Սրբիչների ֆաբրիկա |
0,2 |
V |
50 |
|
18 |
Ամինաթթուների արտադրության գործարան |
0,14 |
V |
50 |
|
19 |
«Մուլտի ստոուն» քարի մշակման արտադրություն |
0,07 |
V |
50 |
|
|
ԸՆԴԱՄԵՆԸ |
73,17 |
|
|
Աղյուսակ 4.8-2
|
հհ |
Անվանումը |
Արտանետումների տարեկան քանակը, տ |
Վտանգավորության դասը |
|
1 |
Ազոտի օքսիդներ |
10,84 |
2 |
|
2 |
Էթիլացետատ |
3,5 |
4 |
|
3 |
Նատրիումի կարբոնատ |
0,61 |
- |
|
4 |
Ֆորմալդեհիդ |
0,5 |
2 |
|
5 |
Քսիլոլ |
2,3 |
3 |
|
6 |
Ածխածնի օքսիդ |
40,57 |
4 |
|
7 |
Խճի և ավազի փոշի |
3,57 |
3 |
|
8 |
Յուղի աերոզոլ |
0,26 |
- |
|
9 |
Դեսմոդուր |
0,005 |
- |
|
10 |
Փայտափոշի |
2,13 |
3 |
|
11 |
Եռակցման աերոզոլ |
1,75 |
3 |
|
12 |
Երկաթի օքսիդներ |
0,126 |
3 |
|
13 |
Մանգանի օքսիդներ |
0,026 |
2 |
|
14 |
Աբրազիվ և մետաղական փոշի |
1,2 |
3 |
|
15 |
Ամիակ |
0,42 |
4 |
|
16 |
Կապարի աերոզոլ |
0,0006 |
1 |
|
17 |
Հիմքեր |
0,015 |
- |
|
18 |
Ցեմենտ |
0,4 |
3 |
|
19 |
Էթիլսպիրտ |
2,8 |
4 |
|
20 |
Տոլուոլ |
0,3 |
3 |
|
21 |
Ածխաջրածիններ |
0,5 |
4 |
|
22 |
Դիզելային վառելիք |
0,43 |
- |
|
23 |
Բենզին |
0,9 |
4 |
|
24 |
Աղաթթու |
0,018 |
2 |
|
25 |
Քացախաթթու |
0,01 |
3 |
|
26 |
Ծծմբային անհիդրիդ |
0,007 |
3 |
|
|
ԸՆԴԱՄԵՆԸ |
73,18 |
|
Մթնոլորտի աղտոտման մեջ զգալի բաժինը ընկնում է ավտոտրանսպորտի վրա, որի արտանետումների քանակը ներկա իրավիճակում բերված են 4.8-3 աղյուսակում:
Աղյուսակ 4.8-3
Ավտոտրանսպորտից վնասակար արտանետումները մթնոլորտ
|
Տրանսպորտի տեսակները |
Աղտոտող նյութերը, տ/տարի | |||
|
Ածխածնի օքսիդ |
Ազոտի օքսիդներ |
Ածխաջրածիններ |
Ընդամենը | |
|
1. Բեռնատար |
390,2 |
34,6 |
88,0 |
512,8 |
|
2. Ավտոբուսներ |
261,9 |
11,7 |
32,6 |
306,2 |
|
3. Մարդատար |
96,8 |
5,7 |
13,2 |
115,7 |
|
Ընդամենը |
748,9 |
52,0 |
133,8 |
934,7 |
Ներկայումս քաղաքի ջերմամատակարարումը իրականացվում է անհատական, գազային վառարաններով: Կոմունալ և արդյունաբերական կաթսայատները հիմնականում չեն գործում: Քաղաքը հիմնականում գազիֆիկացված է: Աշխատում են միայն մի քանի ձեռնարկությունների կաթսայատները:
Աբովյան քաղաքի մթնոլորտն աղտոտող աղբյուրների բնութագիրը աղտոտման ծավալներով և տնտեսությանը հասցված տնտեսական վնասի գնահատականով բերված է 4.8-4 աղյուսակում:
Աղյուսակ 4.8-4
Մթնոլորտ արտանետումների տարեկան քանակները և հասցված տնտեսական վնասները
|
հհ |
Անվանումը |
Արտանետումների քանակը, տ/տարի ներդրման % |
Տնտեսությանը հասցված տնտեսական վնասը, հազ. դրամ/տարի |
|
1 |
Արդյունաբերական ձեռնարկություններ |
73,17 |
11136,7 |
|
2 |
Ավտոտրանսպորտ |
934,7 |
30491,6 |
|
3 |
Կաթսայատներ |
47,6 |
3653,4 |
|
4 |
Ընդամենը՝ |
1055,5 |
45281,7 |
Աբովյան քաղաքի արդյունաբերական ձեռնարկություններից ներկա իրավիճակում մթնոլորտ են արտանետվում տարեկան 73,1 տ վնասակար նյութեր:
Առաջնային վնասակար նյութեր են հանդիսանում 26 ինգրիդիենտ՝ 3-4 դասի վտանգավորության:
Ավտոտրանսպորտից մթնոլորտ արտանետումները ներկա իրավիճակում կազմում են տարեկան 934,7 տ, իսկ կաթսայատներից` 47.6 տ:
Ներկա իրավիճակում համախառն արտանետումների 6,9%-ը բաժին է ընկնում արդյունաբերական ձեռնարկություններին, 88%-ը ավտոտրանսպորտին:
Մթնոլորտ վնասակար արտանետումներից տնտեսությանը հասցված վնասը ներկա իրավիճակում գնահատվում է տարեկան 45 մլն դրամ:
4.9 Տարածքի գնահատականը օդային ավազանի իրավիճակով
Տարածքի համալիր գնահատականը մշակված է «Рекомендации по охране окружаюшей среды в районной планировке» (2)-ի հիման վրա: Տարածքի համալիր գնահատականը տրված է տեղանքի կլիմայական պայմանների, մթնոլորտային օդի աղտոտվածության մակարդակի, արդյունաբերական պոտենցիալի, բնակչության և ավտոտրանսպորտի խտության ցուցանիշների հաշվառմամբ:
Օդային ավազանի գնահատականը անտրոպոգեն ազդեցությամբ, հիգիենիկ իրավիճակով և տարածքի համալիր գնահատականը բերված է 4.9-1աղյուսակում:
Աղյուսակ 4.9-1
|
Անվանումը |
գնահատականը |
Աղտոտման մակերեսը բնակելի գոտում, հա | ||
|
անտրոպոգեն ազդեցությամբ |
հիգիենիկ իրավիճակով |
տարածքի համալիր գնահատականը | ||
|
Քաղաքի տարածք |
թույլ ազդեցության գոտի |
վտանգ չի հարուցում |
բարենպաստ |
975,5 |
Տարածքի համալիր գնահատականը օդային ավազանի իրավիճակով գնահատվում է բարենպաստ:
4.10 Մակերևութային և ստորգետնյա ջրեր
Բաժինը ընդգրկում է գումարային տվյալների արդյունքների և քաղաքի ջրային միջավայրի վիճակի պահպանման վերաբերյալ առաջարկությունների շարադրում:
Բաժնի հիմնական փուլերը ընդգրկում են՝
- մեթոդակարգային հիմնավորում
- ներկա վիճակի վերլուծություն
- կանխատեսելի էկոլոգիական արդյունքներ և միջոցառումների տնտեսական էֆեկտիվություն
- շրջակա ջրային ավազանի պահպանման միջոցառումների վերաբերյալ հիմնական դրույթներ
Ինչպես հիմնական էկոլոգիական հայտանիշներ ընդունված են՝
- աղտոտվածության ծավալի գնահատման համար վնասակարության ինդեքս (ԼԹ);
- աղտոտվածության ինտենսիվության բնութագրման համար - նոսրացման բազմապատիկությունը մինչև սահմանային-թույլատրելի նորմաները:
4.11 Ջրամատակարարման և կոյուղու ներկա վիճակը
Քաղաքում գործում է խմելու ջրի ջրամատակարարման և կոյուղու կենտրոնացված համակարգ: Այս ծառայությունների սպասարկման անբավարար մակարդակը հետևանք է տնտեսական ճգնաժամի և ջրամատակարարման ցանցի մաշվածության: Ջրմուղի և կոյուղու խողովակների մաշվածության պատճառով կեղտաջրերը կարող են թափանցել ջրամատակարարման համակարգ, հարուցելով աղիքային հիվանդություններ:
Խմելու ջրի ջրամատակարարումը կատարվում է ընդհատումներով, ջրի օրական միջին ծախսը մեկ շնչի հաշվով վերջին տարիների ընթացքում անընդհատ նվազում է:
Աբովյան քաղաքի ջրամատակարարումն իրականացվում է Հրազդան քաղաքի տարածքում գտնվող «Մաքրավան-4» աղբյուրների գլխամասային կառուցվածքներից, պոմպերի միջոցով: Մաքրավան-Աբովյան ջրատարի ընդհանուր երկարությունը 41կմ է: Ջրատարի տեխնիկական վիճակը բավարար է: Գլխամասային կառույցներում կատարվում է ջրի վարակազերծում հեղուկ քլորով: Գլխամասային կառույցները ունեն սանիտարապաշտպանիչ գոտի:
Քաղաքի ջրամատակարարման ցանցը բաժանվում է երկու գոտու, իրենց օրվա կարգավորիչ ջրամբարներով՝
I գոտի - 4x2000մ3 ծավալով, ունի սանիտարապաշտպանիչ գոտի, որը ենթակա է կապիտալ վերանորոգման: Ջրամբարներից մեկը՝ 2000 մ3 ծավալով այժմ չի գործում, կատարվում են շինվերանորոգման աշխատանքներ:
II գոտի - 3x3000մ3 ծավալով, ունի սանիտարապաշտպանիչ գոտի, որը նույնպես ենթակա է կապիտալ վերանորոգման: Ջրամբարներից մեկը գտնվում է վթարային վիճակում:
Քաղաքի ջրամատակարարումն իրականացվում է 15,0 հազար խորանարդ մետր ջրաքանակով, որից իրացվում է շուրջ 3,3 հազար խոր.մ, այդ թվում՝
● տնտեսակենցաղային կարիքների համար - 3,0 հազ. մ3/օր;
● արտադրական կարիքների համար - 0,3 հազ. մ3/օր;
Քաղաքը ներկայումս կոյուղացված է 90%-ով:
Կենցաղային և արտադրական հոսքաջրերը հեռացվում են կոյուղու համակարգով, որը միանում է Չարենցավան-Երևան կոյուղագծին:
Հոսքաջրերի ընդհանուր ելքը կազմում է 3 հազ մ3/օր, այդ թվում՝
● կենցաղային հոսքաջրեր - 2,7 հազ. մ3/օր;
● արտադրական հոսքաջրեր - 0,3 հազ. մ3/օր:
Քաղաքի անձրևային հոսքաջրերը թափվում են Հրազդան գետը:
Աբովյան քաղաքի տարածքից Հրազդան գետի աղտոտվածության վրա նկատելի ազդեցություն են գործում՝
● արդյունաբերական հանգույցների ձեռնարկությունները, որոնցում լոկալ մաքրման կայանների բացակայության հետևանքով «Չարենցավան-Երևան» կոլեկտոր են թափվում Երևանի կեղտաջրերի մաքրման կայանում կենսաբանական մաքրման չենթարկվող հոսքաջրեր:
● տնտեսակենցաղային հոսքաջրերը,
● անձրևային հոսքաջրերը:
4.12 Ջրային միջավայրը աղտոտող ձեռնարկությունների բնութագիրը
Ձեռնարկությունների բնութագիրը տրված է ըստ վնասակարության ինդեքսի և տնտեսությանը հասցված վնասի:
ԼԹ=V.n; որտեղ՝
V- հոսքաջրերի փաստացի ծավալը, մ3/տարի;
n - նոսրացման բազմապատիկ՝ անգամ
Ձեռնարկությունների վերաբերյալ տվյալները տրամադրել է ՀՀ Բնապահպանության նախարարությունը (2ТП -ջուր, ԹՍԱ-ի նորմաներ):
Ձեռնարկությունների բնութագիրը ըստ վնասակարության ինդեքսի (կմ3/տարի)
|
0.025 |
|
| ||||||||||
|
1 |
0.0058 |
| ||||||||||
|
2 |
0.00375 |
| ||||||||||
|
3 |
0.0034 |
| ||||||||||
|
4 |
0.0032 |
| ||||||||||
|
5 |
0.0025 |
| ||||||||||
|
6 |
0.0016 |
| ||||||||||
|
7 |
0.001 |
| ||||||||||
|
8 |
0.0002 |
| ||||||||||
|
9 |
0.00016 |
| ||||||||||
|
10 |
0.000075 |
| ||||||||||
|
11 |
0.000065 | |||||||||||
|
12 | ||||||||||||
|
Ջրմուղ- կոյուղի Աբովյանի մասնաճյուղ |
«Կոտայք» գարեջրի գործարան |
Մաքրված ամինա-թթուների գործարան |
«Սավա» հյութերի գործարան |
Դեղորայքի գործարան |
«Թամարա» ՍՊԸ |
Ավտոբազա |
«Մուլտի Ստոուն» քարի մշակման գործարան |
Աբովյանի տարաների գործարան |
Հացի գործա-րան |
«Արփի» ջրերի գործա- րան |
Կահույքի ֆաբրիկա |
Ձեռնար. անվա- նումը |
Գրաֆիկից երևում է , որ ձեռնարկությունների շարքը գլխավորում է «Ջրմուղ-կոյուղի» ՓԲԸ Աբովյանի մասնաճյուղը:
Հաջորդ տեղերը զբաղեցնում են սննդի արդյունաբերության ձեռնարկությունները
4.13 Տարածքի բնութագիրը մակերևութային և ստորգետնյա ջրերի իրավիճակով
Աբովյան քաղաքի տարածքը գտնվում է Հրազդան գետի ջրհավաք ավազանում:
1. Օգտագործվել են Հրազդան գետի հիդրոերկրաբանական տվյալները
2. Հրազդան գետի ֆոնային աղտոտվածությունների մակարդակները, մգ/դմ3 , որոնք տրամադրել է ՀՀ Բնապահպանության նախարարության բնական միջավայրի մոնիտորինգի կենտրոնը:
3. Հրազդան գետի ափերի անտառապատվածությունը, լանջի ցուցադրանքը: Տարածքի գնահատականը տրված է (2) հիման վրա:
Հաշվարկների արդյունքները բերված են 6-1 աղյուսակում:
Տարածքը մակերևութային ջրերի վիճակով բնութագրվում է որպես սահմանափակ բարենպաստ, ստորգետնյա ջրերի վիճակով՝ բարենպաստ:
Աղյուսակ 4.13-1
Տարածքի գնահատականը մակերևութային և ստորգետնյա ջրերի վիճակով
|
հհ |
Գործոն |
Չափման միավոր |
Փաստացի մակարդակը |
Էքսպերտային գնահատականը |
Բարենպաստության աստիճանը |
|
1 |
2 |
3 |
4 |
5 |
5 |
|
Մակերևութային ջրեր | |||||
|
1. |
Ջրառատություն |
մ3/վրկ |
7,33 |
1 |
ոչ բարենպաստ |
|
2. |
Հոսանքի արագությունը |
մ/վրկ |
0,95 |
5 |
բարենպաստ |
|
3. |
Ջրի ջերմաստիճանը (ամառային) |
0C |
17.5 |
3 |
սահմանափակ բարենպաստ |
|
4. |
Լանջի ցուցադրանքը |
կողմնորոշումը |
Արևելք և արևմուտք |
3 |
սահմանափակ բարենպաստ |
|
5. |
Ափերի անտառապատվածությունը |
% |
3 |
1 |
ոչ բարենպաստ |
|
6. |
Բնակչության խտությունը |
մարդ/կմ2 |
4000 >200 |
1 |
ոչ բարենպաստ |
|
7. |
Արդյունաբերական պոտենցիալը |
վտանգավորության դասը |
IV և V |
3 |
բարենպաստ |
|
8. |
Տրանսպորտի առկայությունը |
- |
- |
1 |
ոչ բարենպաստ |
|
9. |
Ֆոնային կոնցենտրացիան |
ՍԹԿ միավոր |
>1 |
1 |
ոչ բարենպաստ |
|
10. |
ԹԿՊ |
մգ Օ/լ |
2.3 |
5 |
բարենպաստ |
|
11. |
Ջրածնային իոնների կոնցենտրացիան |
pH |
8.05 |
5 |
բարենպաստ |
|
12. |
Էքսպերտային գնահատականը |
- |
- |
- |
սահմանափակ բարենպաստ |
|
Ստորգետնյա ջրեր | |||||
|
1 |
Պահպանման շերտի առկայությունը |
հաստությունը, մ |
>1 |
5 |
բարենպաստ |
|
2 |
Բուսականության առկայությունը |
անտառապատվածությունը % |
<5 |
1 |
ոչ բարենպաստ |
|
3 |
Բնակչության խտությունը |
մարդ/կմ2 |
<50 |
5 |
բարենպաստ |
|
4 |
Արդյունաբերական պոտենցիալը |
աղտոտվածության հիմնական աստիճանը |
IV և V |
5 |
բարենպաստ |
|
5 |
Էքսպերտային գնահատականը |
|
|
- |
բարենպաստ |
4.14 Քաղաքի ջրապահպան միջոցառումների հիգիենիկ էֆեկտիվության գնահատականը
Եթե քաղաքամերձ տարածքով հոսում է գետ, ապա քաղաքի ջրապահպան միջոցառումների մասին կարելի է դատել ելնելով գետի աղտոտվածության մակարդակից՝ քաղաքից վերև և ներքև ընկած հատվածում:
Ջրապահպան միջոցառումների հիգիենիկ էֆեկտիվության գնահատականը տրված է համաձայն՝ (14, 15)
1. Методические рекомендации обработки данных, характеризующие санитарное состояние водных объектов. Минздрав РСФСР Москва 1983 г.
2. Методические рекомендации оценки гигиенической эффективности водоохранных мероприятий. Минздрав РСФСР Москва 1989 г.
Ինչպես հետազոտման ենթակա հատված վերցված է Հրազդան գետը Աբովյան քաղաքից վերև, Արգել գյուղից ներքև և Արզնի Հէկից ներքև ընկած հատվածը: Հրազդան գետի աղտոտվածության մակարդակը 2005 թ. տրամադրել է Հայէկոմոնիտորինգը:
Կատարվել է ստացված տվյալների խմբավորում ըստ ՝
- օրգանոլեպտիկ ցուցանիշների;
- սանիտարատոկսիկ ցուցանիշների:
Բոլոր փաստացի տվյալները բերվել են պայմանական անչափ միավորների:
|
, որտեղ |
δi - փաստացի ցուցանիշի բազային գնահատականն է,
Ci - փաստացի աղտոտվածության ցուցանիշն է, գ/մ3,
Ni - նորմատիվային ցուցանիշն է, գ/մ3:
Նորմատիվային ցուցանիշները վերցված են կուլտուր-կենցաղային օգտագործման ջրավազանների նորմերով:
Այն դեպքում, երբ Ci ≤ Ni, բազային գնահատականը վերցվում է 1:
Յուրաքանչյուր խմբի առանձին ցուցանիշների համար հաշվարկվում է համալիր ցուցանիշ:
Համալիր ցուցանիշը հաշվարկված է՝
W = ∑ (di - 1) + 1 բանաձևով, որտեղ`
W - համալիր ցուցանիշն է (համապատասխանաբար օրգանոլեպտիկ, սանիտարատոկսիկ);
di - փաստացի ցուցանիշի բազային գնահատական է:
Մշակված տվյալներից արվել է եզրակացություն՝
Հրազդան գետի աղտոտվածության մակարդակը Արգել գյուղից ներքև ընկած հատվածում գնահատվում է՝ ըստ օրգանոլեպտիկ ցուցանիշների` թույլատրելի, ըստ սանիտարատոկսիկ ցուցանիշների՝ արտակարգ բարձր:
Նմանատիպ հաշվարկների միջոցով գնահատվել է նաև Հրազդան գետի աղտոտվածության մակարդակը Արզնի ՀԷԿ-ի ներքևի հատվածում: Ըստ օրգանոլեպտիկ ցուցանիշների` գնահատականը 1,32 է: Ըստ սանիտարատոկսիկ ցուցանիշների գնահատականը կազմում է 12,63 բալ:
Գետի աղտոտվածության մակարդակը Արզնի ՀԷԿ-ից ներքև հատվածում գնահատվում է՝ 2005թ Հրազդան գետի Արգել գյուղից ներքև ընկած հատվածներից վերցրած փորձանմուշներում որոշված միացությունների միջին տարեկան կոնցենտրացիաները (տես 4.14-1 և 4.14-2 աղյուսակներ):
աղյուսակ 4.14-1
|
Միացությունները |
Կոնցենտրացիաները (մգ/դմ3) |
|
PH (ՍԹԿ - 6,5 - 8,5) |
7,84 |
|
Պերմանգանատային օքսիդացվածություն (մգՕ2/դմ3) |
2,3 |
|
ԹԿՊ5 (ՍԹԿ - 3,0 մգ/դմ3) |
2,3 |
|
ԹՔՊ (ՍԹԿ - 20 մգ/դմ3) |
28,5 |
|
Կախված մասնիկներ |
12,4 |
|
Լուծված թթվածին (ՍԹԿ - ոչ պակաս 6,0 մգ/դմ3-ից) |
8,6 |
|
Ածխաթթու գազ |
6,42 |
|
Կալցիում իոն (ՍԹԿ - 180 մգ/դմ3) |
50,5 |
|
Մագնեզիում իոն (ՍԹԿ - 40 մգ/դմ3) |
25 |
|
Հիդրոկարբոնատ իոն |
242,8 |
|
Սուլֆատ իոն (ՍԹԿ - 500 մգ/դմ3) |
20,9 |
|
Քլոր իոն (ՍԹԿ - 350 մգ/դմ3) |
70,3 |
|
Նատրիում + կալիում իոն (ՍԹԿ - 170 մգ/դմ3) |
61,7 |
|
Ամոնիում իոն (ՍԹԿ - 0,39 մգ/դմ3) |
0.94 (մգ N /դմ3) |
|
Նիտրիտ իոն (ՍԹԿ - 0,024 մգ/դմ3) |
0.017 (մգ N /դմ3) |
|
Նիտրատ իոն (ՍԹԿ - 9,0 մգ/դմ3) |
10.34 (մգ N /դմ3) |
|
Հանքայնացում (ՍԹԿ - 1000 մգ/դմ3) |
387 |
|
Ֆոսֆոր |
0.12 |
|
Ընդհանուր երկաթ (ՍԹԿ - 0,5 մգ/դմ3) |
0.11 |
|
Սիլիցիում |
12.4 |
|
Կոշտություն |
4.6 (մգ Էկվ /դմ3) |
|
Քրոմ (ՍԹԿ - 0,001 մգ/դմ3) |
0.001 |
|
Մանգան (ՍԹԿ - 0,01 մգ/դմ3) |
0.01 |
|
Պղինձ իոն (ՍԹԿ - 0,001 մգ/դմ3) |
0.002 |
|
Ցինկ իոն (ՍԹԿ - 0,01 մգ/դմ3) |
0.004 |
|
Արսեն (ՍԹԿ - 0,05 մգ/դմ3) |
0,02 |
|
Ստրոնցիում (ՍԹԿ - 2 մգ/դմ3) |
0,4 |
|
Սելեն (ՍԹԿ - 0,001 մգ/դմ3) |
0,001 |
|
Վանադիում (ՍԹԿ - 0,001 մգ/դմ3) |
0,01 |
|
Բրոմ (ՍԹԿ - 0,2 մգ/դմ3) |
0,2 |
աղյուսակ 4.14-2
|
Միացությունները |
Կոնցենտրացիաները (մգ/դմ3) |
|
PH (ՍԹԿ - 6,5 - 8,5) |
8,05 |
|
Պերմանգանատային օքսիդացվածություն (մգՕ2/դմ3) |
2,2 |
|
ԹԿՊ5 (ՍԹԿ - 3,0 մգ/դմ3) |
1,7 |
|
ԹՔՊ (ՍԹԿ - 20 մգ/դմ3) |
27,5 |
|
Կախված մասնիկներ |
26,4 |
|
Լուծված թթվածին (ՍԹԿ - ոչ պակաս 6,0 մգ/դմ3-ից) |
8,3 |
|
Ածխաթթու գազ |
4,23 |
|
Կալցիում իոն (ՍԹԿ - 180 մգ/դմ3) |
38,6 |
|
Մագնեզիում իոն (ՍԹԿ - 40 մգ/դմ3) |
28,4 |
|
Հիդրոկարբոնատ իոն |
242,5 |
|
Սուլֆատ իոն (ՍԹԿ - 500 մգ/դմ3) |
37,3 |
|
Քլոր իոն (ՍԹԿ - 350 մգ/դմ3) |
97,7 |
|
Նատրիում + կալիում իոն (ՍԹԿ - 170 մգ/դմ3) |
86,9 |
|
Ամոնիում իոն (ՍԹԿ - 0,39 մգ/դմ3) |
0.83 (մգ N /դմ3) |
|
Նիտրիտ իոն (ՍԹԿ - 0,024 մգ/դմ3) |
0,022 (մգ N /դմ3) |
|
Նիտրատ իոն (ՍԹԿ - 9,0 մգ/դմ3) |
8,742 (մգ N /դմ3) |
|
Հանքայնացում (ՍԹԿ - 1000 մգ/դմ3) |
456 |
|
Ֆոսֆոր |
0,09 |
|
Ընդհանուր երկաթ (ՍԹԿ - 0,5 մգ/դմ3) |
0,17 |
|
Սիլիցիում |
11,3 |
|
Կոշտություն |
4.29 (մգ Էկվ /դմ3) |
|
Քրոմ (ՍԹԿ - 0,001 մգ/դմ3) |
0,002 |
|
Մանգան (ՍԹԿ - 0,01 մգ/դմ3) |
0.02 |
|
Պղինձ իոն (ՍԹԿ - 0,001 մգ/դմ3) |
0.001 |
|
Ցինկ իոն (ՍԹԿ - 0,01 մգ/դմ3) |
0,003 |
|
Արսեն (ՍԹԿ - 0,05 մգ/դմ3) |
0,01 |
|
Ստրոնցիում (ՍԹԿ - 2 մգ/դմ3) |
0,4 |
|
Սելեն (ՍԹԿ - 0,001 մգ/դմ3) |
0,001 |
|
Վանադիում (ՍԹԿ - 0,001 մգ/դմ3) |
0,009 |
|
Բրոմ (ՍԹԿ - 0,2 մգ/դմ3) |
0,1 |
- ըստ օրգանոլեպտիկ ցուցանիշների - չափավոր
- ըստ սանիտարատոկսիկ ցուցանիշների - արտակարգ բարձր:
Հրազդան գետի ռանգավորման հիման վրա հիգիենիկ դասակարգման օգտագործմամբ բնութագրվում է քաղաքում ներդրված ջրապահպան միջոցառումների արդյունավետությունը:
Քաղաքից վերև և ներքև փաստացի ցուցանիշների բազային գնահատականների տարբերությունը՝
△W=Wներքև - W վերև= 0.32>0 (ըստ օրգանոլեպտիկ ցուցանիշների)
△W=Wներքև - W վերև= 0,08>0 (ըստ սանիտարատոկսիկ ցուցանիշների)
Այսպիսով ինչպես օրգանոլեպտիկ ցուցանիշներով, այնպես էլ սանիտարատոկսիկ ցուցանիշներով տեղի է ունեցել գետի ջրի աղտոտվածության չնչին քանակով ավելացում:
Գետի ջրում նկատվում են ալյումինի իոնների կոնցենտրացիայի ավելացում, սահմանային թույլատրելի նորմերից ~1,5 անգամ, քրոմի իոններինը՝ 2 անգամ, կախյալ մասնիկներինը՝ 1,32 անգամ:
Տեղի է ունեցել գետի թթվածնային ռեժիմի անկում՝ լուծված թթվածինը նվազել է 8,6-ից դառնալով 8,3:
Ներկա դրությամբ քաղաքի ջրապահպան միջոցառումները կարելի է գնահատել անբավարար:
4.15 Հրազդան գետի աղտոտվածության հետևանքով տնտեսությանը հասցված վնասի գնահատականը
Հրազդան գետի հնարավոր աղտոտվածության հիմնական աղբյուր կարող են լինել Աբովյան քաղաքի արդյունաբերական ձեռնարկությունների և անձրևաջրերի արտահոսքը դեպի գետ:
Անձրևաջրերի լոկալ մաքրման կայաններ արդյունաբերական ձեռնարկություններում բացակայում են: Քաղաքի անձրևաջրերի մաքրման կայան նույնպես չկա:
Անձրևաջրերի քանակը արդյունաբերական ձեռնարկությունների տարածքից - 929451,6 մ3/տարի
Աբովյան քաղաքի անձրևատար կոյուղու արտահոսքից տնտեսությանը հասցված տնտեսական վնասը գնահատվում է տարեկան ~40,9մլն դրամ:
4.16 Թափոնների կառավարում
4.16.1 Աղբավայրեր
Աբովյան քաղաքում աղբահեռացումը կատարվում է կենտրոնացված ճանապարհով, հատուկ մասնագիտացված ձեռնարկության կողմից:
Բարձրահարկ շենքերում կենցաղային աղբը կուտակվում է այդ շենքերի աղբախցերում, իսկ մնացած շենքերի կենցաղային աղբը կուտակվում է համայնքի տարածքում հավասարաչափ տեղադրված 120 աղբարկղերի մեջ: Կուտակված աղբը ամեն օր սահմանված գրաֆիկով Աբովյանի համայնքային «Կոմունալ տնտեսություն» ՓԲԸ աղբատար ավտոմեքենաներով տեղափոխվում է համայնքի սահմաններից դուրս գտնվող բացօթյա աղբավայր և պարբերաբար ծածկվում է հողի շերտով:
Աղբահանությունը տարեկան կազմում է 6240 տոննա, այդ թվում բնակչությունից՝ 6180 տոննա: Մաքրման ենթակա ընդհանուր տարածքը 935.0 հազ. քառ.մ է, այդ թվում 535.0 հազ. քառ.մ համայնքային նշանակության 19 փողոցներ և 400.0 հազ. քառ.մ բակային և այլ տարածքներ: Սանմաքրման աշխատանքները կատարվում են ամեն օր մեքենայացված և ձեռքի միջոցով:
Աբովյանի համայնքային «Կոմունալ տնտեսություն» ՓԲԸ-ում առկա մեքենայական պարկը կազմում է 14 միավոր մեքենամասնագիտացված հատուկ աղբատարներ`
2(3) ____//_____ - ինքնաթափ բեռնատար
1(1) ____//______ - ջրցան լվացող
4(4) ____//_____ - տրակտոր
1(1) ____//______ - ասինիզացիոն մեքենա
Ամբողջ շարժակազմը ժամկետանց է, գտնվում է բարոյապես և ֆիզիկապես մաշված վիճակում, կարիք է զգում թարմացման և վերանորոգման: Նորոգման կարիք է զգում նաև փողոցներում տեղադրված 120 աղբարկղներից մեծ մասը:
Աբովյան քաղաքում առաջացած կենցաղային կոշտ թափոնների (ԿԿԹ) կազմը բերված է 4.16-1 աղյուսակում:
Աղյուսակ 4.16.1-1
|
ԿԿԹ |
Ընդհանուր քանակից բաժնեմասը, % |
Թափոնների ընդհանուր քանակը, տ/տարի |
|
Ապակի |
3.5 |
218.4 |
|
Մետաղ |
3.9 |
243.36 |
|
Պլաստիկ շշեր |
2.65 |
165.36 |
|
Այլ պլաստիկ իրեր |
4.35 |
271.44 |
|
Թուղթ |
3.1 |
193.44 |
|
Այլ թափոններ |
82.5 |
5148 |
|
Ընդամենը՝ |
100 |
6240 |
4.16.2 Արդյունաբերական թափոններ
Արդյունաբերական թափոնները հիմնականում առաջանում են արդյունաբերական շրջանների ձեռնարկություններում:
Արդյունաբերական թափոնների ընդհանուր քանակը կազմում է 2000 տ/տարի:
Թափոնները բաժանվում են 2 խմբի՝ օգտագործման ենթակա և ոչ օգտագործելի:
Օգտագործման ենթակա թափոնները առաջանում են հիմնականում սննդի արդյունաբերության, կահույքի, ապակե տարաների և շինարարական ձեռնարկություններում: Դրանք իրենցից ներկայացնում են թեփեր, փայտատաշեղներ, ապակու մնացորդներ, քարի մշակման գործընթացում առաջացած քարի մնացորդներ:
Նշված թափոնները պատկանում են վտանգավորության V դասին:
Սննդի արդյունաբերության թափոնները օգտագործվում են որպես անասնակեր մոտակա գյուղերի բնակիչների կողմից: Թեփերը, փայտատաշեղները նույնպես օգտագործվում են գյուղական բնակչության կողմից:
Քարի մնացորդները ենթակա են օգտագործման ճանապարհաշինության բնագավառում: Ապակու մնացորդները օգտագործվում են տարաների պատրաստման համար:
Օգտագործման ենթակա թափոնների քանակը կազմում է 800տ/տարի:
Ոչ օգտագործելի թափոնների շարքին են դասվում շինարարական աղբը, դեղորայքի արտադրությունում հումքի օգտագործումից հետո մնացած տարաները (ցելոֆանե, թղթե պարկեր, կարտոնե թմբուկներ և տուփեր, պլաստիկ շշեր):
Ոչ օգտագործելի թափոնների ընդհանուր քանակը կազմում է ~1200տ/տարի:
Արդյունաբերական թափոնների կազմը և տարեկան քանակները բերված են 4.16.2-1 աղյուսակում:
Աղյուսակ 4.16.2-1
|
հհ |
Արդյունաբերական թափոնների բաղադրիչները |
Ընդհանուր քանակը տ/տարի |
Ընդհանուր քանակից բաժնեմասը, % |
|
1 |
Օգտագործման ենթակա թափոններ՝ թեփեր, փայտատաշեղներ, ապակու մնացորդներ, քարի մնացորդներ |
800 |
40 |
|
2 |
Ոչ օգտագործելի թափոններ՝ շինարարական աղբ, հումքի օգտագործումից մնացած տարաներ, այդ թվում՝ |
1200
0,5 |
60 |
|
3 |
Ընդամենը |
2000 |
100 |
Քանի որ, քաղաքը չունի արդյունաբերական թափոնների համար առանձին աղբավայր, ուստի նշված թափոնները թափվում են կենցաղային աղբավայրում, ինչը հանգեցնում է հողի աղտոտվածության:
4.16.3 Օրգանական ծագման թափոններ
Թափոնները առաջանում են նաև առողջապահության բնագավառի հաստատություններում և դասակարգվում են (19)`
● Ոչ վարակիչ թափոններ: Այս թափոնները կազմում են ընդհանուր թափոնների ~90%-ը: Սրանք իրենց բաղադրությամբ նման են կենցաղային թափոններին, քանի որ վարակի տարածման մանրէներ չեն պարունակում: Այս թափոնների շարքին են պատկանում գրասենյակային աղբը` թուղթ, ստվարաթուղթ, փաթեթավորման նյութեր, թերթեր և այլն: Տարեկան քանակը կազմում է 0,5-1տ: Այս թափոնները հեռացվում են ՀՀԿ-ի կողմից հատկացված աղբավայր:
● Վարակիչ թափոնները օրգանական ծագման թափոններն են և դասակարգվում են`
N 1 կարգ - մարդու անատոմիական թափոններ (հյուսվածքներ, օրգաններ, մարմնի մասեր):
N 4 կարգ - Առարկաներ և պլաստմասայից թափոններ (ներարկիչներ, ճկափողեր և այլն):
N 6 կարգ - Օրգանական նյութերով աղտոտված թափոններ (արյունով և այլ նյութերով աղտոտված բամբակը և այլն):
Ընդհանուր քանակը հասնում է 80կգ/օր: Այս թափոնների հնարավոր վարակազերծումը համարվում է քիմիական վնասազերծումը սպիրտի և ֆորմալինի լուծույթով և խորը թաղումը գերեզմանատանը հատկացված տարածքում:
4.17 Գերեզմանոցներ
Քաղաքն ունի երկու գերեզմանոց, որոնցից համաճարակաբանական տեսակետից, վտանգ է ներկայացնում թիվ 1 գերեզմանատունը: Մասնավորապես գերեզմանատունը ընդլայնվելով մոտենում է օրվա կարգավորիչ ջրամբարների սանիտարապաշտպանիչ գոտուն:
4.18 Հողերի պահպանություն
Աբովյանը տեղակայված է Հարավկովկասյան լեռնատափաստանային շրջանի Սևանի ենթաշրջանում (16):
Քաղաքի տարածքը բաժանվում է առանձին ինժեներաերկրաբանական շրջանների և տեղամասերի, որոնց նկարագրությունը բերված է ինժեներաերկրաբանական քարտեզի վրա (տես 3.1.4 բաժին): Տարածքում սողանքային ու էռոզիոն երևույթներ չեն դիտարկվում: Անապատացման երևույթները քաղաքի սահմաններում բացակայում են, դրանք բնորոշ են Աբովյանից 5-7 կմ հեռավորության վրա գտնվող Ջրաբերի ավազահանքի հարակից տարածքներում:
Հողի հիմնական աղտոտումը կատարվում է արդյունաբերական ձեռնարկությունների և ավտոտրանսպորտի արտանետումներից, կենցաղային և արդյունաբերական թափոնների աղբավայրերից և թափոնակույտերից:
Հողի աղտոտման հիմնական աղբյուրներ են հանդիսանում՝
● արդյունաբերական ձեռնարկությունների փոշեգազային մթնոլորտային արտանետումները;
● արդյունաբերական և կենցաղային թափոնների կազմակերպված և չկազմակերպված աղբյուրները:
Քաղաքի հողային տարածքի աղտոտվածության ամփոփիչ ցուցանիշները բերված են 4.18-1 աղյուսակում:
Աղյուսակ 4.18-1
|
Ինգրեդիենտների անվանումը |
Ներկա իրավիճակ | |
|
տ/հա |
գ/մ2 | |
|
Փոշի |
0,007 |
0,7 |
|
Մանգանի օքսիդներ |
0,000027 |
0,0027 |
|
Կապարի աերոզոլ |
0,6.10-6 |
0,6.10-4 |
|
Երկաթի օքսիդներ |
0,00013 |
0,013 |
Մթնոլորտային օդի, մակերևութային և ստորգետնյա ջրերի աղտոտվածությունից պահպանման միջոցառումները, քաղաքի կանաչապատումը, թափոնների կառավարումը դասվում են հողի աղտոտման կանխարգելման միջոցառումների շարքին:
4.19 Աղմուկի մակարդակի գնահատում
Գտնվելով մայրաքաղաք Երևանից ոչ մեծ հեռավորության վրա, Աբովյան քաղաքը ապահովված է տրանսպորտային բավարար կապերով: Այսպես, քաղաքից արևմուտք, մոտ 0,5 կմ հեռավորությամբ անցնում է միջպետական նշանակության Մ-4 Երևան-Սևան-Իջևան-Ադրբեջանի սահման ճանապարհը:
Հրազդան գետի աջ ափով է անցնում նույնպես հանրապետական նշանակության Նոր Գեղի-Արգել-Հրազդան Հ-5 ճանապարհը:
Աբովյանի արևելյան եզրով է անցնում Երևան-Սևան-Վարդենիս-Սոթք երկաթուղին, դեռ աշխատում է թերբեռնված ռեժիմով:
Մոտակա օդանավակայանը Երևանի «Զվարթնոցն» է:
Քաղաքն ընկած է ծովի մակերևույթից 1420 մ բարձրության վրա:
Տեղական նշանակության ճանապարհներով և փողոցներով երթևեկության ինտենսիվությունը բարձր չէ (ամենամեծը՝ 240 միավոր ժամում):
Ավտոտրանսպորտից առաջացած աղմուկի մակարդակը որոշվում է՝
LАтер= LАэкв - △LАрас - △LАэкр - △LАзел բանաձևով (СНиП 11.12-77):
LАэкв=73 դբա
△LАрас=2 դբա
△LАэкр = 0
△LАзел=5 դբա
LАтер= 73-2-5=66 դբա (նորման 70դբա):
Աղմուկի մակարդակը գտնվում է բնակելի գոտու համար սահմանված նորմերում:
4.20 Էլեկտրամագնիսական ճառագայթում
Աբովյան քաղաքում էլեկտրամագնիսական ճառագայթման աղբյուրներ են հանդիսանում էլեկտրամատակարարման գլխավոր սնուցող ենթակայանները:
Ներկայումս Աբովյան քաղաքի էլեկտրամատակարարման գլխավոր սնուցող ենթակայաններն են՝ «Աբովյան» 110/35/10 կՎ լարման 2x40000 ԿՎԱ հզորության «Էլար-1» 35/10ԿՎ լարման 1x6300 ԿՎԱ հզորության, «Էլար-2» 35/10ԿՎ լարման 2x10000 ԿՎԱ հզորության, «Գարեջուր» 35/10ԿՎ լարման 2x4000 ԿՎԱ հզորության: ՀՀ էլեկտրահամակարգի հետ իրականացվում է բարձր լարման օդային գծերով:
Քաղաքի բնակելի, հասարակական, արտադրական ձեռնարկությունների և արտաքին լուսավորության պահանջները բավարարվում են վերը նշված գլխավոր սնուցող 4 ենթակայաններից: Քաղաքում գործող 4 հատ բաշխիչ կետերի և 10/0,4 ԿՎ լարման ցանցային 86 հատ ենթակայաններից, որից 39 հատը մեկ տրանսֆորմատորային:
Քաղաքում գործող մալուխային գծերի երկարությունը 117,0 կմ է, օդային գծերինը՝ 31 կմ:
Էլեկտրաէներգիայի տարեկան գումարային ծախսը 47100 ՄՎԱ է, որից կոմունալ-կենցաղային 16120 ՄՎԱ, արտադրական կարիքներինը՝ 22852 ՄՎԱ: Մեկ բաժանորդի տարեկան միջին ծախսը 2012ԿՎտ ժամ: Էներգամատակարարման համակարգի տեխնիկական վիճակը բավարար է:
Էլեկտրամագնիսական ճառագայթման աղբյուրներ են հանդիսանում նաև «Արմենթել» և «Viva-Cell» փոխանցող ալեհավաքները - 7ԿՎտ - 2 հատ:
Համաձայն մեթոդակարգի (1, 2) էլեկտրամագնիսական ճառագայթման վերը նշված աղբյուրները համարվում են սակավահզոր և չեն դիտարկվում ինչպես մթնոլորտի աղտոտման աղբյուրներ:
4.21 Կանաչապատման համակարգը
Աբովյան քաղաքի մեծածավալ կանաչապատումը սկսվել է քաղաքի կառուցապատմանը զուգընթաց: Կանաչապատված են փողոցները, կան ֆունկցիոնալ նշանակության կանաչ զանգվածներ:
Ներկա դրությամբ Աբովյան քաղաքի կանաչ տնկարկների ընդհանուր մակերեսը կազմում է 167հա, ընդհանուր մակերեսի 22.68%-ը:
Քաղաքի ընդհանուր կանաչապատ տարածքների առկայությամբ մեկ բնակչի ապահովվածությունը կազմում է 37,44 մ2/մարդ, սակայն ընդհանուր օգտագործման կանաչապատ տարածքները 8.6 հա, չեն բավարարում քաղաքաշինական նորմատիվներին (10 մ2/մարդ):
Սահմանափակ օգտագործման կանաչապատված մակերեսները ներկա դրությամբ կազմում են 146հա (բազմաբնակարան շենքերի բակեր, անհատական հողամասեր, ձեռնարկությունների և հասարակական օբյեկտների կանաչապատում), հատուկ նշանակության՝ 12,4հա:
Քաղաքի կանաչ զանգվածների ցուցանիշները բերված են 4.21-1 աղյուսակում:
Աղյուսակ 4.21-1
|
հհ |
Կանաչ զանգվածների ֆունկցիոնալ նշանակությունը |
Ընդհանուր կանաչ զանգված | |
|
հա |
մ2/մարդ | ||
|
1. |
Ընդհանուր օգտագործման |
8,6 |
1,93 |
|
2. |
Սահմանափակ օգտագործման |
146 |
32,73 |
|
3. |
Հատուկ նշանակության |
12,4 |
2,78 |
|
|
ԸՆԴԱՄԵՆԸ |
167 |
37,44 |
4.22 Բնակչության կենսակերպի բժշկա-աշխարհագրական վերլուծությունը
Վերլուծությունը կատարված է եղանակի ֆիզիոլոգահիգիենիկ գնահատականի արդյունքների, ինչպես նաև ռելիեֆի, հողի, բուսական և կենդանական աշխարհի, ջրային պաշարների և մթնոլորտի համալիր գնահատականների հիման վրա:
Ըստ մարդու ջերմակարգավորիչ ապարատում տարբեր աստիճանի լարվածություն առաջացնող եղանակի կրկնության, Աբովյան քաղաքը դասվում է այն տարածքների շարքը, որտեղ գերակշռում է չափավոր լարվածություն առաջացնող եղանակը, ինչը որոշակի ազդեցություն չի թողնում մրսածության հիվանդությունների աճի վրա:
Քաղաքում կան կենսաերկրաքիմիական էնդեմիկ հիվանդությունների առաջացման նախադրյալներ, կապված ջրում, հողում, բուսական և կենդանական սննդում միկրոէլեմենտների դիսբալանսի հետ:
Ներկայումս նկատվում է էնդեմիկ զոբ հիվանդությունը: Քանի որ, քաղաքը գտնվում է բնական աղբյուրներում յոդի պակասության գոտում, այդ իսկ պատճառով համարվում է զոբի էնդեմիկ շրջան: Զոբից բացի, հաճախ հանդիպում են վահանային գեղձի բորբոքային հիվանդություններ:
Կոյուղու և ջրատար ցանցերի հնացման հետևանքով և նրանց վերանորոգման համար բավարար միջոցների բացակայության, ինչպես նաև բնակչության կենսակերպի սանիտարահիգիենիկ պայմանների ընդհանուր վատթարացման պատճառով, ավելացել է սուր-վարակիչ հիվանդությունների բռնկումների թիվը, որոնք ունեն ջրային և կղանքաբերանային տարածման ուղի: Ներկայումս առաջին պլան են մղվում հիմնախնդիրները, որոնք կապված են բնապահպանական պայմանների վատթարացման հետ:
Ոչ պակաս կարևոր են նաև աղքատ հասարակությանը հատուկ բժշկական այն հիմնախնդիրները, որոնք կապված են թոքախտային, ինֆեկցիոն և այլ հիվանդությունների հետ:
Հիմնախնդրային են համարվում շնչառական և ներվային համակարգերի, ուռուցքաբանական, հոգեկան հիվանդությունները:
Աբովյան քաղաքում սանիտարահիգիենիկ և համաճարակային իրավիճակի բարելավումը համալիր հիմնախնդիր է և կարող է լուծվել հետևյալ միջոցառումների իրականացման հաշվին.
● կյանքի մակարդակի աստիճանական բարձրացման և աղքատության կրճատման (նոր աշխատատեղերի ստեղծում), բնակարանային պայմանների որակի բարձրացման, ջեռուցման և գազիֆիկացման;
● հանգստի լիարժեք գոտիների ստեղծման, ջրային միջավայրի աղտոտման կանխարգելման, չարտոնված աղբավայրերի չեզոքացման և քաղաքային թափոնների վնասազերծման տեխնոլոգիաների կատարելագործման, ջրատար և կոյուղու ցանցերի վերականգնման և ընդլայնման;
● շրջակա միջավայրի վիճակի բարելավման՝ կանաչ տնկարկների մակերեսների ընդլայնման;
● հյուսիսային քամիների պատճառով Ջրաբերի ավազահանքերից լիթոիդային ավազի փոշուց պաշտպանելու համար հանքերի սպառված պաշարների հատվածների վերամշակում (ռեկուլտիվացիա), քաղաքի հյուսիսային տարածքներում գտնվող համայնքների հողերում անտառապատ սանիտարապաշտպանիչ գոտիների ստեղծում: Նշված միջոցառումները պետք է նախատեսվեն Կոտայքի մարզի շրջանային հատակագծման կամ տարաբնակեցման նախագծի մշակման կազմում:
4.23 Աբովյան քաղաքի պատմության և մշակութային ժառանգություն
Աբովյան քաղաքի տարածքում գտնվող Էլար գյուղը Հայաստանի հինավուրց բնակավայրերից է, մարդը այստեղ բնակություն է հաստատել քարե դարից սկսած: Ստեփանոս Օրբելյանի տեղեկության համաձայն, Իվանե Աթաբեկը Էլարը շնորհել է Լիպարիտ Օրբելյանին որպես կալվածք (13-րդ դ.): 19-րդ դ. վերջին Էլարը 25-30 տնից բաղկացած գյուղ էր և պահակակետ պետական սահմանի վրա:
19-րդ դ. 60-ական թթ. Մեսրոպ Սմբատյանն առաջին անգամ հրատարակեց Էլարում գտնված Արգիշտի Ա-ի ուրարտական սեպագիր արձանագրությունը, որտեղ խոսվում էր ՈՒլուանի երկիր՝ Դուրանի (Էլարի նախաուրարտական շրջանի անունը) քաղաքի նվաճման մասին: Էլարում պեղումներ են կատարել Ե. Լալայանը (1927թ.), Ե Բայբուրդյանը (1929թ.) և Է. Խանզադյանը (1960-61, 1969, 1973 թթ.): Հայտնաբերված նյութերն ապացուցում են, որ Էլարը բնակեցված է եղել սկսած մ.թ.ա. 4-րդ հզմ. վերջից: Վաղ բրոնզեդարյան հինգ բնակատեղիների, ամրոցի և դամբարանադաշտի պեղումներից ի հայտ են եկել բրոնզե դարի երեք փուլերի աշխատանքի գործիքներ, սև փայլեցրած խեցեղեն, գունազարդ խեցեղեն, զենքեր, պերճանքի առարկաներ, որոնք վկայում են Էլարի սերտ կապերի մասին Անդրկովկասի ու Մերձավոր Արևելքի մշակութային կենտրոնների հետ:
Աբովյան քաղաքի պատմամշակութային ժառանգությունը ներկայացված է ստորև բերված ՀՀ պատմության և մշակույթի հուշարձանների պահպանման պետական ցանկում:
«Դարանի» հանրախանութի մոտ գերեզմանոցում (20-րդ դ. կես, գազի նախկին գրասենյակի շենքի ետնամասում) թաղված են 2-րդ աշխարհամարտի ռազմագերիները:
Սբ. Ստեփանոս եկեղեցին 1851թ. հվ. եզրին՝ Էլար թաղամասում: Եռանավ, խորանի երկու կողմերում ավանդատներով, մուտքը հվ.-ից, փայտաշեն ծածկով եկեղեցի է (11.88X8.20 մ չափերով): Եկեղեցին կառուցված է տեղական տուֆից, անկյունաքարերը, լուսամուտների շրջանակները, մուտքի շրջանակը՝ սրբատաշ տուֆով, խուլ պատերը շարված են ճեղքված կիսամշակած քարով, խառն շարվածքով և կրաշաղախով: Մուտքի բարավորի վրայի շինարձանագրության համաձայն կառուցվել է 1851թ.: Փայտաշեն ծածկը պահում են երկու զույգ փայտե մույթերը: Տանիքը երկթեք է, փայտաշեն: Հվ.-ից կից է քառանկյուն հատակագծով (3.85 X3.87 մ) զանգակատունը՝ ռոտոնդայով: Զանգակատան պատերի մեջ ագուցված են 12-17-րդ դդ. տապանաքարեր և խաչքար: Տապանաքարերից մեկը արձանագիր է՝ 1612թ.: Եկեղեցու շուրջ տարածվում է գերեզմանոցը 15-20-րդ դդ., տապանաքարերից մեկը թվագրվում է 1689թ.՝ արձանագիր է: Ակնառու է 5-6-րդ դդ. կոթողը
Կոթող «Կապույտ խաչ»-քաղաքի կենտրոնում, թիվ 34 շենքի բակում՝ եկեղեցուց 2 կմ հս.: 1981թ. այս կոթողը եկեղեցու մոտ էր տեղափոխվել այստեղից: 2003թ. սեպտեմբերին ետ է տեղափոխվել թիվ 34 շենքի մոտ: Կերտված է անտաշ կապտավուն բազալտից, ունի 2.1 մ բարձրություն: Մշակված է միայն հվ. երեսը, որի վրա քանդակված են ուղղահայաց դասավորված երեք հիմնախաչեր: Կարելի է թվագրել 17-րդ դարին:
աղյուսակ 4.23-1
|
հհ |
Անվանումը |
Ժամանակը |
Դիրքը |
Նշան-նը |
Վիճակը |
|
1 |
Ամրոց «Դարանի» |
Ք.ա. 3-1 հազ. |
Էլար թաղամասում |
Հ |
|
|
1.1 |
Միջնաբերդ |
Ք.ա. 3-1 հազ. |
|
Հ |
|
|
1.2 |
Դամբարանադաշտ |
Ք.ա. 3-1 հազ. |
միջնաբերդից ամ |
Հ |
|
|
1.3 |
Դամբարանադաշտ |
Ք.ա. 3-1 հազ. |
ավազահանքի մոտ |
Հ |
ավերված |
|
2. |
բացօթյա կայանների համալիր |
հին քարի դար |
քաղաքի եզրին՝ դեպի Հատիս |
Հ |
|
|
2.1 |
բացօթյա կայան Աբովյան-1 |
հին քարի դար |
|
Հ |
|
|
2.2 |
բացօթյա կայան Աբովյան-2 |
հին քարի դար |
|
Հ |
|
|
2.3 |
բացօթյա կայան Աբովյան-3 |
հին քարի դար |
|
Հ |
|
|
2.4 |
բացօթյա կայան Աբովյան-4 |
հին քարի դար |
|
Հ |
|
|
2.5 |
բացօթյա կայան Աբովյան-5 |
հին քարի դար |
|
Հ |
|
|
2.6 |
բացօթյա կայան Աբովյան-6 |
հին քարի դար |
|
Հ |
|
|
3. |
2-րդ աշխարհամարտի ռազմագերիների գերեզմանոց |
20-րդ դ. կես |
գազի նախկին գրասենյակի շենքի ու «Դարանի» հանրախանութի մոտ |
Հ |
|
|
4. |
եկեղեցի Սբ. Ստեփանոս |
1851թ. |
Էլար թաղամասում |
Հ |
|
|
4.1 |
Զանգակատուն |
19-րդ դ. |
կից եկեղեցուն հվ.-ից |
Տ |
|
|
4.1.1 |
Խաչքար |
12-13-րդ դդ. |
ագուցված հվ. պատի մեջ |
Հ |
|
|
4.1.2 |
Տապանաքար |
1612թ. |
ագուցված հվ. պատի մեջ |
Տ |
արձանագիր |
|
4.1.3 |
Տապանաքար |
16-17-րդ դդ. |
ագուցված հվ. պատի մեջ |
Տ |
|
|
4.2 |
գերեզմանոց |
15-20-րդ դդ. |
եկեղեցու շուրջը |
Տ |
|
|
4.2.1 |
Խաչքար |
16-17-րդ դդ. |
եկեղեցու բակում |
Հ |
|
|
4.2.2 |
Կոթող |
5-6-րդ դդ. |
եկեղեցու պարսպի վրա կանգնեցված |
Հ |
|
|
4.2.3 |
Տապանաքար |
1689թ. |
|
Տ |
արձանագիր |
|
5. |
Կոթող «Կապույտ խաչ» |
|
քաղաքի կենտրոնում, թիվ 34 շենքի բակում՝ եկեղեցուց 2 կմ հս |
Հ |
|
|
6. |
Հուշահամալիր՝ Հայաստանը Ռուսաստանին միացման 150-ամյակի |
1978թ. |
քաղաքի կենտրոնում |
Հ |
ճարտ. Ս. Բարխուդարյան |
|
6.1 |
Հայ-ռուս ժող. բարեկամության թանգարան |
1978թ. |
քաղաքի վարչական կենտրոնում |
Հ |
ճարտ. Ս. Բարխուդարյան |
|
6.2 |
Հուշարձան Խաչատուր Աբովյանին |
1978թ. |
թանգարանի առջև, |
Հ |
քանդ. Ս. Բաղդասարյան |
|
7. |
Հուշաղբյուր |
1974թ. |
Էլար թաղամասում |
Հ |
|
|
8. |
Հուշարձան ԵԱԶ |
1977թ. |
քաղաքի կենտրոնում |
Հ |
|
|
9. |
Հուշարձան ԵԱԶ |
|
Էլար թաղամասում |
Հ |
|
|
10. |
Հուշարձան Տրդատ Գ. արքային |
1976թ. |
Սարալանջ թաղամասում |
Հ |
քանդ. Կ. Նուրիջանյան |
Հուշահամալիր՝ Հայաստանը Ռուսաստանին միացման 150-ամյակին նվիրված, տեղադրված 1987թ. քաղաքի կենտրոնում (ճարտ. Ս. Բարխուդարյան): Հանդիսավոր բացումը կատարվել է 1987թ. հոկտեմբերի 7-ին, ՀԽՍՀ-ում ՌՍՖՍՀ-ի գրականության ու արվեստի տասնօրյակի օրերին: Քաղաքի վարչական կենտրոնում գտնվող հուշահամալիրը զբաղեցնում է 3 հա տարածք: Գլխավոր ճակատը դիրքորոշված է դեպի Ռոսիա պողոտան:
Համալիրի 1-ին պլանում՝ երկաստիճան կարմիր գրանիտե հարթակին, սպիտակ ուղղանկյուն պատվանդանին տեղադրված է հայ լուսավորիչ Խ. Աբովյանի պղնձաձույլ կիսանդրին (քանդ. Ս. Բաղդասարյան, թանգարանի շենքի առջև): 2-րդ պլանում՝ հզոր պատվանդանին, կանգնեցված են ռուս զինվորի և հայ կամավորականի 8 մ բարձրությամբ արձանները: Զինվորների գլխավերևում խաչաձևած սուրն ու հրացանը պսակված են հավերժությունը իմաստավորող դափնե ճյուղերով:
Հուշարձան Տրդատ Գ. արքային - 1976թ. Սարալանջ թաղամասում, քանդ. Կ. Նուրիջանյան: Գտնվում է քաղաքի հվ. արլ. մասում, բնական, անմշակ որձաքարերով կառուցված արհեստական բլրակի վրա տեղադրված է 5.0 X 4.0 X 1.0 մ չափերով հարթակ-պատվանդանը, որի վրա ամրացված է ամեհի ցուլի դեմ գոտեմարտող Տրդատ արքայի պղնձաձույլ արձանը:
Քաղաքի ճարտարապետական կերպարը ամբողջացնելու ակնկալիքով, առաջարկում ենք Պետցուցակի մեջ ընդգրկել, Աբովյան քաղաքի զարգացման ամենածաղկուն ժամանակաշրջանում կառուցված մշակույթի պալատը և հասարակական կենտրոնի մի շարք այլ շենքեր, որպես տեղական նշանակության հուշարձաններ:
Գ լ ու խ 5
Կոտայքի մարզի Աբովյանի քաղաքային համայնքի (բնակավայրի) գլխավոր հատակագիծ
Բնակավայրի տարածքային զարգացման հիմնական դրույթներ
5.1 Համայնքի սոցիալ-տնտեսական զարգացման ռազմավարությունը և նպատակները
Քսանմեկերորդ դարի առաջին տասնամյակում ՀՀ սոցիալ-տնտեսական առաջընթացի պայմաններում կարևորվում են նաև բնակավայրերի քաղաքաշինական զարգացման, տարածքային պլանավորման խնդիրները: Բնակավայրերի տարածքային պլանավորման համար, որպես հիմնական քաղաքաշինական ծրագրային փաստաթուղթ, հանդիսանում է քաղաքի (բնակավայրի) գլխավոր հատակագիծը: Գլխավոր հատակագծի միջոցով է կատարվում բնակավայրի համալիր տարածքային զարգացման ռազմավարական ուղղությունների ընտրությունը: Քաղաքի (բնակավայրի) կայուն տարածքային զարգացման հիմնախնդիրը` բնակեցման համար անվտանգ, առողջ ու հարմարավետ կենսոլորտի ստեղծման կազմակերպումն է, բնության արժեքավոր տարրերի, լանդշաֆտի, պատմության և մշակութային ժառանգության պահպանման պայմանով, հողային պաշարների խնայողաբար և արդյունավետ օգտագործումն ու տարածքների վերարտադրման ապահովումն է: Քաղաքի գլխավոր հատակագիծը` բնակավայրի տարածքային զարգացման երկարաժամկետ ծրագիրն է, որի օգնությամբ լուծվում է համայնքի սոցիալ-տնտեսական զանազան ծրագրերի իրականացման տարածքային կազմակերպման խնդիրները:
Բնակավայրի տարածքային պլանավորման երկարաժամկետ ծրագիրն իրականացնելու համար համայնքի սոցիալ-տնտեսական զարգացման ծրագրում պետք է ամրագրվեն կառուցողական այն միտումները, որոնց իրականացումը կնպաստի պետական, ռեգիոնալ և միջռեգիոնալ ծրագրերում տեղական ինքնակառավարման մարմինների ու բնակչության տարբեր սոցիալական խմբերի մասնակցության ակտիվացմանը, համայնքում տնտեսական աճի ու գործարարության զարգացմանը:
Համայնքի բնակչության սոցիալական ու տնտեսական ակտիվության մակարդակը, առողջական վիճակն ու կրթության մակարդակը աջակցում են համայնքում գործարարության զարգացմանը, բնակավայրի տարածքային կայուն զարգացմանը: Բնակավայրի տարածքային զարգացման քաղաքականությունը պետք է բավարարի համայնքի բնակչության տարբեր խմբերի շահերին: Բնակչության սոցիալական ակտիվությունը խթանում է բնակավայրի տարածքային զարգացումը և նպաստում բնակության համար որակյալ միջավայրի ստեղծմանը:
Տարածքային զարգացումը խթանելու համար կարևոր է` կորպորատիվ գործարարության սկզբունքով համայնքում ձեռնարկել տարածքային խոշոր ծրագրերի իրականացում: Կոօպերացման և համակեցության ձևերի ներդրմամբ ձևավորել և կիրառել անշարժ գույքի նկատմամբ ազատ տնտեսավարման կառավարվող և կարգավորվող շուկայական հարաբերություններ: Դրանց շարքին կարող են դասվել` բանկային վարկավորման մեխանիզմների գործարկումը, բնակարանային շինարարության համար հիպոթեկային ֆինանսավորման միջոցների տրամադրումը և այլն:
Համայնքի սոցիալ-տնտեսական զարգացման ռազմավարությունը նպատակաուղղված պետք է լինի հետևողական բարեփոխումներ իրականացնելու ճանապարհով` բարելավել համայնքի բնակչության սոցիալ-տնտեսական պայմանները, Աբովյանը դարձնել բնակվելու, աշխատանքի և հանգստի համար մաքուր և առողջ միջավայրով գրավիչ բնակավայր:
Համայնքի երկարաժամկետ զարգացման հիմքում պետք է դրվեն երկրում ընթացող սոցիալ-տնտեսական բարեփոխումների հիմնական ուղղությունները, որոնք ներառում են`
● Տեղական ինքնակառավարման մարմինների և բնակչության նախաձեռնությունների ակտիվացում, տնտեսական և սոցիալական համագործակցության պայմանների ստեղծում,
● Ռեգիոնալ սոցիալական քաղաքականության առաջնային ուղղությունների կիրառում, բնակչության սոցիալական պաշտպանության և զանազան սոցիալական պահանջները բավարարելու համար պայմանների ստեղծում,
● Փոքր և միջին ձեռնարկատիրության ոլորտում իրական մրցակցային իրավական դաշտի կատարելագործում,
● Բնակարանային ֆոնդի պահպանման ու շահագործման, ինչպես նաև, տարածքի բարեկարգման որակի բարձրացում,
● Ժամանակակից ինֆորմացիոն համակարգերի և միջոցների ներդրում, դրանց օգտագործման ընդլայնում, կրթության և լուսավորչության մակարդակների բարձրացում և կատարելագործում,
● Համայնքում աշխատանքի շուկայի ստեղծում ու ընտրության հնարավորությունների ընդլայնում, արտադրական, ծառայողական և սպասարկման ոլորտների միջև արդյունավետ համաչափությունների համակարգում,
● Կոմունալ (քաղաքային կամ համայնքային) տնտեսության ծառայությունների անխափան մատուցում, այդ թվում` մասնավոր տնտեսավարման նախաձեռնությունների միջոցով,
● Տարածքի սոցիալական և ներդրումային գրավչությանը նպաստող ծրագրերի գործարկում,
● Առևտրի և կենցաղային սպասարկման համակարգերի կատարելագործում, իջեցված գներով ապրանքների և ծառայությունների մատուցում, առաջին հերթին, փոքր և միջին ձեռնարկատիրության շուկայում արդար մրցակցության դաշտի ապահովման միջոցով,
● Էկոլոգիական իրավիճակի և կյանքի անվտանգության ապահովության մակարդակի բարձրացում,
● Արտակարգ իրավիճակների պայմաններում բնակչության անվտանգության և քաղաքային ինժեներական ենթակառուցվածքի գործունեության ապահովում,
● Պատմության և մշակութի, ինչպես նաև բնության ժառանգության պահպանման դերի ու նշանակության կարևորում,
● Երիտասարդության համար ամենօրյա ազատ ժամանցի և զվարճալի միջոցառումների կազմակերպում:
Քաղաքի տարածքային երկարաժամկետ կայուն զարգացումը կարող է իրական դառնալ նոր ծրագրերի ձեռնարկման նպատակով սոցիալական և տնտեսական ներդրումային գրավչության մեծացման դեպքում: Ձեռնարկումները պետք է անդրադառնան հիմնական արտադրական ֆոնդերի արդիականացման, առաջատար տեխնոլոգիաների կիրառման, գիտական և գիտատեխնիկական ոլորտների և քաղաքային (կոմունալ) տնտեսության զարգացմանը, նոր բնակելի թաղամասերի կառուցմանն ու հնացած բնակելի միջավայրի արդիականացման խնդիրներին: Աբովյանի համար կարևորվում է նաև համաքաղաքային նշանակության համակարգերի` քաղաքի հասարակական կենտրոնի ու թաղամասային կենտրոնների ձևավորման խնդիրը, ռեզերվային ազատ հողատարածքների քաղաքի բնակչության համար առավելապես շահեկան օգտագործումը:
Աբովյան քաղաքի տարածքային զարգացումը անընդմեջ շարունակվող գործընթաց է: Այն պետք է կատարվի քաղաքաշինական գոտևորման ու տարածքային պլանավորման հաջորդական փուլերով` նախագծում, շինարարություն, նոր թաղամասերի շահագործում, հին ֆոնդերի արդիականացում և վերակառուցում:
Տարածքային կայուն զարգացումը ներառում է նաև ճանապարհատրանսպորտային և ինժեներական ենթակառուցվածքի ցանցերի ու կառույցների անընդհատ արդիականացումն ու կատարելագործումը: Այն պետք է նպատակաուղղված լինի բնակավայրի էկոլոգիական իրավիճակի բարելավմանը, պատմամշակութային ժառանգության, ինչպես նաև քաղաքային բարի ավանդույթների պահպանմանը:
5.2 Աբովյանի ավանդական քաղաքաստեղծ գործոնի վերստեղծումն ու արդիականացումը
Աբովյան քաղաքի հիմնադրումն ու ստեղծումը պայմանավորված է եղել XX դարի 60-70-ական թվականներին Հայաստանի գիտատեխնիկական աճի, համապատասխան աշխատանքային ներուժի առկայությամբ, ռեգիոնում առաջադեմ տեխնոլոգիաների գիտաարտադրական կենտրոն ունենալու պահանջով: Աբովյանի արտադրական համակարգերի ձևավորումը հիմնված էր գիտատար, սակավաքանակ նյութատար և էներգատար ոլորտների` էլեկտրոնային, միկրոէլեկտրոնային սարքավորումների ստեղծման ու միկրոկենսաբանական մշակումների վրա: XX դարի վերջին տասնամյակում ՍՍՀՄ փլուզումը առաջացրեց սոցիալ-տնտեսական կապերի կտրուկ խզում: Հայաստանի, որպես ինքնիշխան անկախ պետության ստեղծումը, զուգորդվեց հարկադրված պատերազմով, էներգետիկ ճգնաժամով, գործազրկությամբ, արտադրության և տնտեսության տարբեր ոլորտների անկումով: Ինչպես երկրում, այնպես էլ Աբովյան քաղաքում դադարեց արդյունաբերական համակարգերի աշխատանքը: Արդյունաբերական ու բնակարանային կապիտալ շինարարությունը զուրկ մնաց պետական ֆինանսավորման աղբյուրներից: ՀՀ կառավարության կողմից ձեռնարկվող շարունակական բարեփոխումների շնորհիվ ներկայումս աստիճանաբար հաջողվում է հաղթահարել ճգնաժամի բացասական ազդեցությունը: Երկրում ներկայումս զգալի են ինչպես սոցիալական, այնպես էլ տնտեսական առաջընթացի արդյունքները: Հետևողականորեն իրականացնելով բարեփոխումների գործընթացը, ՀՀ-ն միջազգային հարաբերություններում տարեցտարի ավելի է հաստատում իր քաղաքական ու տնտեսական նշանակությունը և ներգրավվում է համաշխարհային գործարարության համակարգում, հատկապես առաջադիմական ոլորտներում:
XXI դարի սկզբում Աբովյանի հեռանկարային զարգացմանը նոր զարկ տալու նպատակով, հաշվի առնելով ՀՀ սոցիալ-տնտեսական զարգացման հիմնական ուղղություններում ՀՀ կառավարության կողմից ինովացիոն գործունեության ու բարձր տեխնոլոգիաների ոլորտի նկատմամբ ձեռնարկվող միջոցառումները ու դրանց կարևորումը (ՀՀ կառավարության 20 հունվարի 2005 թ. նիստի արձանագրություն «ՀՀ ինովացիոն գործունեության հայեցակարգի մասին»), ինչպես նաև բարձր տեխնոլոգիաների ոլորտի համաշխարհային փորձն ու Աբովյանի քաղաքային տնտեսության ու արտադրական ենթակառուցվածքների առկայությունը, առաջարկում է, որպես քաղաքի սոցիալ-տնտեսական զարգացման հիմնական խթան, տարածքային զարգացման քաղաքաստեղծ գործոն, հիմք ընդունել Աբովյանում ժամանակակից պահանջներին համապատասխանող, դեպի համաշխարհային ճանաչում ու նշանակություն նպատակաուղղված, ինովացիոն գործունեության ու բարձր տեխնոլոգիաների կենտրոնի` «Աբովյանի տեխնոպարկի» ստեղծումը:
Տեղի ընտրությունը պայմանավորված է ՀՀ տարաբնակեցման համակարգում ու Երևանյան ագլոմերացիայում Աբովյանի զբաղեցրած բարենպաստ դիրքով:
Տեխնոպարկն իր աշխատանքային կահավորումը, հարմարավետ մակերեսներն ու տարածքը պետք է տրամադրի տարբեր` թե մեծ, թե փոքր կազմակերպություններին, որպես վարձակալներ, տարբեր «օգտագործող - կիրառողներին», իրենց գործունեությունը ծավալելու համար: Տեխնոպարկը լավագույն պայմաններ պետք է ապահովի «օգտագործող - կիրառողներին»` գիտական, տեխնոլոգիական, դիզայներական և այլ ստեղծագործական աշխատանքների արդյունքում մշակված ծրագրերի, սարքերի-սարքավորումների կամ առարկաների փորձարարական նմուշների պատրաստման ու լրամշակման համար դրանց կատարելագործումը հասցնելով մինչև բազմաքանակ արտադրության համար պիտանի աստիճանի:
Տեխնոպարկը` իր ամբողջ միջավայրով, շենքերով ու շինություններով, սպասարկման համակարգով, կոմունիկացիոն ցանցերով, տրանսպորտով, ճանապարհներով, ինժեներական կահավորմամբ, բարեկարգ ակտիվ ու պասիվ հանգստի, ժամանցի կազմակերպմամբ, պետք է պատրաստ լինի, համապատասխան հնարավորություններ ունենա տարբեր հաճախորդներին (վարձակալ, օգտագործող)` համաշխարհային ժամանակակից առաջադեմ ու նորագույն ինֆորմացիոն (համակարգչային, օպտիկամանրաթելային և այլ) սարքերի ու կահավորանքի տեղադրման և շահագործման համար:
Տեխնոպարկի գործունեությունը պետք է կարգավորվի պետական կառավարման և տեղական ինքնակառավարման մարմինների կողմից համաձայնեցված, համաշխարհային ստանդարտներին բավարարող, միջազգային իրավական կազմակերպությունների կողմից վավերացված համապատասխան իրավական փաստաթղթերով, որոնք բարենպաստ և հավասար պայմաններ կապահովեն տարբեր հաճախորդներին (վարձակալ, օգտագործող) տեխնոպարկի սահմաններում իրենց գործունեությունը ծավալելու համար: Նման ստանդարտների կիրառման նպատակն է` երաշխավորել տեխնոպարկի զարգացումը, որպես լոջիստիկ, կոմերցիոն, գործարարական, արդյունաբերական, ինֆորմացիոն ու կոմունիկացիոն տեխնոլոգիաների հայաստանյան կենտրոն:
Աբովյանում տեխնոպարկի ստեղծումը ռազմավարական կարևոր նշանակություն կունենա քաղաքի տարածքային զարգացման, իսկ ռեգիոնը կդարձնի տնտեսապես առավել շահավետ ներդրումների և գործարարության համար:
Աբովյանի տեխնոպարկը առաջարկված է դարձնել հանրապետական, համահայկական, միջազգային և ռեգիոնալ նշանակության գիտահետազոտական, արտադրական, ուսումնակրթական ու նորարարական (ինովացիոն) համալիր: Այսօր նման պետական ծրագրի գործարկման համար տարածքում առկա են համապատասխան բոլոր նախադրյալներն ու հնարավորությունները:
«Աբովյանի տեխնոպարկի» տարածքի տնտեսական գրավչությունը բարձրացնելու նպատակով անհրաժեշտ է կիրառել տարբեր տնտեսաիրավական լծակներ` ընդհուպ ստեղծելով ազատ տնտեսավարման գոտի: Դրա համար պետք է մշակվի պետական հատուկ ծրագիր և ընդունվի կառավարության որոշում «Աբովյանի տեխնոպարկի ստեղծման մասին», տարածքին շնորհելով տնտեսավարման համապատասխան կարգավիճակ: Այդ կարգավիճակը պետք է նպաստի ներքին և արտաքին ներդրումների համար գրավիչ պայմանների ձևավորմանը:
Աբովյան քաղաքի (կամ դրա տարածքի) նկատմամբ գրավչությունը կարող է աճել համայնքում հարմարավետ կեցության պայմանների ներդրման դեպքում: Բնակեցման, բնակարանային ֆոնդի տարատեսակների ընտրության ու բնակչության տարբեր սոցիալական և տարիքային խմբերի կողմից հանրօգուտ աշխատանքի կատարման հնարավորությունների ընդլայնումը, նրանց պոտենցիալի (հնարավորությունների) հաստատուն օգտագործման պահանջարկը ավելի կբարձրացնեն, ինչպես համայնքի բնակչության հասարակական ակտիվությունը, այնպես էլ բնակավայրի հանդեպ ներքին և արտաքին գործարար շրջանների հետաքրքրությունը: Ներկայումս ընթացող բարեփոխումների պայմաններում ինովացիոն գործունեության ու գործարարության ընդլայնումը, գիտական և արտադրական, հանրօգուտ ակտիվ գործունեության ունակություններով օժտված կադրերն են հանդիսանում արդյունավետ տարածքային զարգացման խթանիչը: Ինովացիոն գործունեությունն ու բարձր տեխնոլոգիաների կիրառումը հիմնական քաղաքաստեղծ գործոն է հանդիսանում Աբովյան քաղաքի սոցիալ-տնտեսական ու տարածքային կայուն զարգացման համար: Պետական կառավարման ու համայնքի տեղական ինքնակառավարման մարմինների համար հիմնախնդիր պետք է դառնա` խթանել Աբովյանում բարեփոխումների իրականացման համար բարենպաստ պայմանների ձևավորումը, աջակցել բնակավայրի նկատմամբ սոցիալական և գործարարական գրավչության բարձրացմանը: Այս խնդրում կարևոր է խրախուսել երկրի ու սփյուռքի, այլ օտարերկրյա գործարար աշխարհի, ինչպես նաև ոչ պետական ու հասարակական կազմակերպությունների ակտիվ մասնակցությունը: Աշխարհում տեխնոպարկերի ստեղծումը ճանաչվել է որպես բարձր տեխնոլոգիաների ոլորտի և ինովացիոն գործունեության զարգացման համար բարենպաստ և առաջադիմական տարածքային կազմակերպման ձև:
5.3 Տարածքային զարգացման հիմնական չափորոշիչներն ու կազմակերպման սկզբունքները
Գործող քաղաքաշինական հիմնական նորմատիվային փաստաթղթերի պահանջներին համապատասխան քաղաքի գլխավոր հատակագծի նախագծումը կատարվում է երկրի կամ մարզի տարաբնակեցման ուրվագծի և նախագծերի դրույթների հիման վրա՝ օգտագործելով համապատասխան քաղաքաշինական և ծրագրային այլ փաստաթղթերի պահանջները, ինչպես նաև համայնքի սոցիալ-տնտեսական զարգացման ծրագրերը: Գլխավոր հատակագծի նախագծում պետք է հաշվի առնված լինեն տարածքային համալիր բնապահպանական ուրվագիծը, տարածքների և բնակավայրերի վտանգավոր երկրաբանական և հիդրոերկրաբանական գործընթացներից պաշտպանելու ուրվագծերը և համարժեք այլ մշակումների դրույթները (ՍՆԻՊ 2.07.01-89):
Համաձայն ՀՀ տարաբնակեցման գլխավոր նախագծի (այսուհետ ՀՀՏԳՆ) Աբովյան քաղաքը տարաբնակեցման համակարգում դիտարկվում է, որպես հատակագծային երկրորդ մակարդակի քաղաք, տեղական նշանակության տարաբնակեցման համակարգի հիմնական տարրերից մեկը, իբրև այդ համակարգի կազմակերպման կենտրոն, ինչն ապահովում է դրա սոցիալական, առողջապահական, կրթական, աշխատանքային շուկայի, կենցաղային, ինժեներատրանսպորտային և այլ ենթակառուցվածքների միասնական գործունեության համակարգումը Կոտայքի մարզում:
ՀՀՏԳՆ-ում ՀՀ տարածքը ըստ քաղաքաշինական և տնտեսական յուրացվածության աստիճանի առանձնացվել են հանրապետության ինտենսիվ և թույլ յուրացված գոտիներ: Ինտենսիվ յուրացված գոտիները ընդգրկում են Երևանը, Կոտայքի, Արմավիրի, Արարատի ու Արագածոտնի մարզերի հարթավայրերն ու սարահարթերի ստորադիր մասերը: Ըստ ՀՀՏԳՆ-ի ինտենսիվ յուրացված գոտիներում բնակչության խտությունը գերազանցում է էկոլոգիական շեմային չափանիշները (200 մարդ/կմ2)` հասնելով մոտ 600 մարդ/կմ2: Այստեղ կենտրոնացված է արդյունաբերությունը, ինտենսիվ մշակվում են գյուղատնտեսական հողերը, ճանապարհային ցանցի խտությունը նույնպես գերազանցում է նորմերը, առաջացել են էկոլոգիական կոնֆլիկտային իրավիճակներ: Տարածքի յուրացվածությունը բնորոշվում է բնական և տեխնիկական պայմանների համադրությունների ածանցյալով: Որպես կանոն, մարդու առաջանալու հետ մեկտեղ, իր իսկ կողմից աստիճանաբար յուրացվել և մինչ այսօր յուրացվում են երկրագնդի այն հատվածները, որտեղ առկա են իր գոյատևման համար անհրաժեշտ և իր ներուժին համաչափ պայմաններ: Ինտենսիվ յուրացված գոտիները ձևավորվել են այն տարածքներում, որտեղ առկա է բնակության համար բարենպաստ բնական միջավայր և հնարավոր է ստեղծել պահանջվող տեխնածին ենթակառուցվածքը, այն է` ճանապարհային և ինժեներական ցանցեր, արտադրական, բնակելի ու հասարակական կառուցապատում: Քաղաքաշինական և տնտեսական ավելի ցածր աստիճանի յուրացվածության գոտիների առկայությունը պայմանավորված է այդ տարածքների յուրացման համար ավելի անբարենպաստ պայմաններով, ենթակառուցվածքների ստեղծման ու շահագործման համար ավելի մեծ նյութական և աշխատանքային ռեսուրսների ներդրման պահանջով և, որպես կանոն, դրանց ավելի ցածր արդյունավետությամբ:
Տարածքների գոտևորումը պետք է կատարվի բնական ներուժի յուրացման ու ենթակառուցվածքի ստեղծման համար առկա հնարավորությունների ու պահանջվող ներդրումների բազմակողմանի վերլուծության, ինչպես նաև այդ գոտիների ինտենսիվ յուրացման շնորհիվ վերջնական էական արդյունքի ստացման շահավետության կամ ծայրահեղ անհրաժեշտության համալիր բազմակողմանի գնահատման հիման վրա: Տարածքների գոտևորման հիմնահարցերից է նաև շրջակա միջավայրի վրա անխուսափելի բացասական ազդեցության տարածման, բնական միջավայրին անդառնալի վնաս պատճառելու վտանգի գնահատումը:
Թույլ յուրացված գոտիները պետք է պահպանվեն հնարավորինս անաղարտ վիճակում, քանի որ դրանք երկրի բնության անհատուցելի արժեքների շտեմարաններն են, դրանք պետք է յուրացվեն կարգավորված ռեժիմով և ծառայեն բնակչության հանգստի կազմակերպման համար, առողջարարական, պատմության, մշակույթի ու բնության պահպանման, ինչպես նաև գիտության զարգացման նպատակներով:
Երևան քաղաքը, որպես հզոր, բազմաֆունկցիոնալ խոշորագույն կենտրոն, անգնահատելի կառուցողական ազդեցությամբ խթանել է «Երևանյան ագլոմերացիայի» ձևավորմանը, Կոտայքի մարզի տարածքում քաղաքաշինական-տնտեսական ինտենսիվ յուրացված գոտու առաջացմանը: «Երևանյան ագլոմերացիայի» առավելապես ուժեղ հատակագծային ճառագայթը (Երևան-Սևան ուղղություն) ընդգրկում է մի շարք տնտեսապես զարգացած քաղաքային բնակավայրեր, երկրի գիտական, գիտատեխնիկական և գիտաարտադրական կենտրոններ: Այդ շարքում, Աբովյան քաղաքը, որը ստեղծվել և զարգացել է որպես Երևանի «արբանյակ-քաղաք», գտնվելով Երևանյան ագլոմերացիայի կազմում, ինտենսիվ յուրացված գոտում, օժտված է եղել ամենաառաջադեմ գիտաարտադրական ներուժով: Այդ ներուժի ժամանակակից պահանջներին համապատասխան վերստեղծումը կարևոր նշանակություն ունի ՀՀ ներկայիս և հեռանկարային սոցիալ-տնտեսական զարգացման, երկրի միջազգային ասպարեզում պատշաճ մակարդակով ներկայանալու և ինտեգրվելու համար:
ՀՀՏԳՆ քաղաքաշինական-տնտեսապես ինտենսիվ յուրացված գոտիներում, էկոլոգիական հավասարակշռության խախտման վտանգից խուսափելու նպատակով, առաջարկված է կիրառել զարգացման սահմանափակման ռեժիմ, որը ներառում է.
● հատակագծային կառուցվածքի կարգավորում և արդիականացում,
● կառուցապատված և կառուցապատման համար նախատեսվող տարածքների օգտագործման ինտենսիֆիկացում` սանիտարական և շինարարական նորմերի պահպանումով,
● առաջատար արտադրական տեխնոլոգիաների ներդրում և արմատավորում,
● շրջակա միջավայրի վրա բացասական ազդեցություն ունեցող արտադրությունների վերապրոֆիլավորում, համալիր բնապահպանական միջոցառումների կիրառում,
● ներքաղաքային կանաչապատ համակարգերի, այդ թվում սանիտարապաշտպանիչ և քաղաքամերձ գոտիների ու հանգստի համակարգերի ձևավորում,
● ինժեներական ենթակառուցվածքների արդիականացում,
● գյուղատնտեսական հողերի հաշվին քաղաքային բնակավայրերի տարածքային աճի բացառում կամ խիստ սահմանափակում:
Լրացնելով ՀՀՏԳՆ` պետք է նշել, որ բնակավայրերի տարածքային զարգացման հիմնահարցերի լուծումը պետք է կատարվի դրանց նկատմամբ համակարգված մոտեցման սկզբունքով, տարաբնակեցման տարբեր աստիճանների՝ մարզային, տեղական նշանակության համակարգերի հիմնախնդիրները հաշվի առնելով: Յուրաքանչյուր քաղաքային կամ գյուղական բնակավայր կազմում է տարաբնակեցման համակարգի մեկ հատակագծային տարր: Կախված թե համայնքի (բնակավայրի) սահմաններում իրականացվող սոցիալական և տնտեսական առաջընթացից կամ ետընթացից բարձրանում կամ նվազում է տվյալ համայնքի նշանակությունը տարաբնակեցման համակարգում: Բնակավայրի (համայնքի) շուրջը ձևավորվում է համապատասխան մեծության ու նշանակության տարաբնակեցման համակարգ: Այդպես, օրինակ Երևանի շուրջ ձևավորվել է Երևանյան ագլոմերացիայի համակարգը, որն իր մեծությամբ ու իր նշանակությամբ դասվում է խոշորագույն քաղաքային տարաբնակեցման համակարգերի շարքին: Համապատասխանաբար, միջին կամ փոքր քաղաքներն իրենց ազդեցությունը տարածելով փոքր քաղաքների ու մոտակա գյուղերի վրա, ստեղծում են փոքր կամ, միջին դասի տարաբնակեցման համակարգեր` կատարելով այդ համակարգում առաջատար դեր:
Աբովյանը, լինելով Երևանյան ագլոմերացիայի տարրերից մեկը, գլխավորում է տեղական նշանակության մի համակարգ, որն իր մեջ է ընդգրկում` Նոր Հաճն ու Բյուրեղավան քաղաքները ու իր ազդեցության գոտում ներառում է շուրջ քսան գյուղական բնակավայրեր, այդ թվում Գեղամա լեռների ստորոտներում տեղաբաշխված՝ Կապուտանը, Հատիսը, Զովաշենը, Սևաբերդը, որոնք գտնվում են քաղաքաշինական և տնտեսական թույլ իրացված գոտում: Աբովյանի ազդեցության գոտին տարածվում է նաև դեպի Ազատի գետահովտում գտնվող Հացավանը, Գառնին, Գողթն ու Գեղարդը: Նշված բնակավայրերի համար Աբովյան քաղաքի սոցիալ-տնտեսական ներուժը, իր արտադրական ձեռնարկությունների աշխատանքային տեղերով, մշակութային, մարզական և կրթական օջախներով, ժամանակակից լրատվական դաշտով, ձգողական կենտրոնի դեր է կատարում: Աբովյանի նման ձգողական ազդեցությունը հատկապես գնահատելի է, քանի որ այն որոշ չափով նվազեցնում է Երևանի քաղաքաշինական-տնտեսական գերյուրացվածության աստիճանը: Ավելացնելով Աբովյանի վրա ընկնող քաղաքաշինական-տնտեսական յուրացվածության աստիճանը` հնարավորություն կընձեռվի հնարավորինս սահմանափակել Երևանի բեռնվածությունը, կկանխի գործառական գերհագեցման ու դրա միջավայրի վատթարացումը:
Այս ամենը կարևոր նշանակություն ունի Աբովյանի տարածքային զարգացման հիմնախնդիրները սահմանելու ու զարգացման ռազմավարության ուղղությունները ընտրելու համար:
Աբովյանի տարածքային զարգացման հեռանկարները սահմանելու համար բնակչության ելակետային հաշվարկային թիվը պետք է ընդունվի համապատասխան ՀՀ տարաբնակեցման նախագծի կազմում ներկայացված «առավելագույն հնարավորությանը»: Աբովյան քաղաքի բնակչության թվի «առավելագույն հնարավորությունը» ըստ ՀՀ տարաբնակեցման գլխավոր նախագծի (քաղվածք Ը-7 աղյուսակից) բերված է 5.-1 աղյուսակում:
Աղյուսակ 5.-1
|
հհ |
Մարզերի և քաղաքների անվանումը |
Քաղաքային բնակչությունը հազ. մարդ |
Քաղաքային բնակչության հեռանկարային աճի գործակից |
Դերը մարզային տարաբնակեցման համակարգում | |
|
առ 01.01.2002 թ. |
գերադասելի առավելագույն բնակչությունը. դեմոգրաֆիական տարողությունը | ||||
|
27 |
Աբովյան |
60.6 |
65. 0 |
0. 93 |
Մարզի տարաբնակեցման համակարգի երկրորդական կենտրոն |
Ծանոթություն. բնակչության հեռանկարային զարգացման գործակիցը` գոյություն ունեցող բնակչության (սյուն.3) և հեռանկարային բնակչության (սյուն.4) հարաբերությունն է։
ՀՀ քաղաքային բնակավայրերի առավելագույն քանակի ապահովման համար ժամկետներ չեն նախատեսվում, քանի որ այն կախված է Հայաստանի Հանրապետության մարզի, քաղաքի ընդհանուր սոցիալ-տնտեսական զարգացման ընձեռած հնարավորություններից, բնակչության պահանջարկից։
5.3-1 աղյուսակում ներկայացված 3 սյունակի ցուցանիշները արդեն չեն համապատասխանում ներկայացված արժեքներին: Աբովյանի բնակչությունը ըստ քաղաքապետարանի 01.01.2006 թ. տվյալների կազմում է 44.5 հազար մարդ: Այստեղից հետևում է, որ բնակչության հեռանկարային աճի գործակիցը արդեն կազմում է 44.5 : 65.0 = 0,68:
Աբովյանի տարածքային զարգացման հեռանկարային հարաչափերը որոշելու համար սույն գլխավոր հատակագծով բնակչության հեռանկարային աճի գործակիցը ենթարկվում է կորրելացման 0.75-ի սահմաններում: Դրանից ելնելով բնակչության հեռանկարային հաշվարկային թիվը կազմում է` 44.5 x 0.75 = 59.3 հազ. մարդ և սկզբնական ժամանակաշրջանի համար որոշակի սահմանափակմամբ ընդունվում է մինչև 60 հազ. մարդ, իսկ հետագայում, ավելի երկարաժամկետ հեռանկարը մինչև 65 հազ. մարդ, ինչը համապատասխան զարգացման ժամանակաշրջանում պետք է ենթարկվի ճշգրտման: Հիմնական ցուցանիշներից մեկի հաշվառումը հնարավորություն է ընձեռում պահպանել նախորդ գլխավոր հատակագծերով նախատեսված ու արդեն ձևավորված հատակագծային կառուցվածքը, դրա որոշ տարրերի կատարելագործմամբ և կառուցողական ավանդույթների պահպանման պայմանով:
Բնակավայրի տարածքների պլանավորման կարևոր չափորոշիչ է հանդիսանում դրա տարածքային ռեզերվների բացահայտումն ու համակարգումը:
Վերջին չորս-հինգ տարիների ընթացքում ՀՀ-ում իրականացված վերափոխումները, երկրի սոցիալական և տնտեսական առաջընթացը համապատասխան արդիականացման պահանջ են ներկայացնում նաև Աբովյանի զարգացման հիմնական հեռանկարների ընտրությանը: Ինչպես բազմիցս նշվել է` Աբովյանը տարաբնակեցման համակարգում հիմնադրվել և կառուցվել է որպես քաղաք-արբանյակ, առաջատար արդյունաբերական նոր ճյուղերի զարգացման կենտրոն, մայրաքաղաք Երևանի գործառական գերհագեցման ու դրա միջավայրի վատթարացման դեմ ուղղված կանխամիջոց: Աբովյանում ստեղծվել ու գործել են էլեկտրոնիկայի, միկրոէլեկտրոնիկայի և միկրոբիոլոգիայի գիտաարտադրական ձեռնարկություններ, որոնց շնորհիվ Հայաստանը նշանավոր տեղ զբաղեցրեց կարևոր նշանակություն ունեցող խորհրդային ռազմաարդյունաբերական պետական համակարգում: Առաջատար արդյունաբերական ճյուղերի զարգացումը նպաստեց քաղաքային մի շարք այլ բնակավայրերի առաջացմանը և զարգացմանը: Երևանի շրջակայքում բազում քաղաքային բնակավայրերի ու դրանց միջև սոցիալական, տնտեսական ու աշխատանքային կապերի զարգացումը խթան դարձավ Երևանյան ագլոմերացիայի ձևավորման համար:
Սույն քաղաքաշինական ծրագրային փաստաթղթի մշակմամբ կարևոր նշանակություն է տրվում Աբովյանի տարածքային զարգացման հեռանկարներում անցյալի կառուցողական ավանդույթների պահպանմանը, դրանց արդիականացման միջոցով և նոր ժամանակակից մակարդակին հասնելուն նպատակաուղղված առաջատար պրոցեսների առավել զարգացմանը:
Աբովյան քաղաքը պետք է նորովի վերստեղծվի և զարգանա, որպես մաքուր ինովացիոն բարձր տեխնոլոգիաների մշակման բնօրրան: Դրան զուգընթաց պետք է զարգանա քաղաքային տնտեսությունը, ճանապարհային ցանցը, կապի ժամանակակից միջոցները, սոցիալական ոլորտները:
Աբովյան քաղաքի տարածքային զարգացման հնարավորություններն ըստ ՀՀՏԳՆ-ի Ը-4 աղյուսակի ունեն հետևյալ բնութագրերը`
● տարածքի ռելիեֆը հիմնականում հարթ է, արևելյան մասում բլրապատ, միջին բացարձակ նիշը 1450 մ ծ.մ,
● տարածված են կավավազների, կավերի, ավազակավերի, խճերի փոքր (1-5մ) շերտով ծածկված ժայռային ապարներ (բազալտ), սուֆֆոզիոն երևույթներ և մակերեսային ջրերի հոսք: Գրունտային ջրերը տեղադրված են 6 մ-ից խորը: Տարածքի սեյսմիկ գնահատականը 0.2 g: Ինժեներա-երկրաբանական պայմանները բարենպաստ են շինարարության համար,
● բնակավայրի հողերի սահմաններում ռեզերվային տարածքների առկայությունը (քաղաքի հյուսիսային, արևելյան հատվածներում) բարենպաստ է կառուցապատման համար: Քաղաքի կառուցապատումն իրականացվում էր,երբ նախկինում իրականացվել է մանրամասն հատակագծման ու կառուցապատման նախագծերով,
● քաղաքի արդյունաբերական ոլորտներն են` էլեկտրոնային սարքաշինությունը, շինարտադրությունն ու սննդարդյունաբերությունը:
Ըստ ՀՀՏԳՆ-ի Աբովյանի հեռանկարային տարածքային պլանավորման, ենթակառուցվածքների հետագա զարգացման և կառուցապատման համար անհրաժեշտ է նոր գլխավոր հատակագծի մշակում:
ՀՀ անշարժ գույքի կադաստրի պետական կոմիտեի կողմից կազմած Աբովյանի համայնքի վարչական սահմաններում ընդգրկված հողերի հաշվեկշռում ներկայացված են ՀՀ հողային օրենսգրքում ամրագրված հողերի նպատակային նշանակության գրեթե բոլոր տեսակները, բացառությամբ անտառային և պահուստային հողերի: Ընդհանուր 1095.23 հա հողային պաշարներից տարբեր նպատակային նշանակության հողերը ըստ մասնաբաժինների կազմում են (տես աղյուսակ 5.3-1) `
աղյուսակ 5.3-1
|
հհ |
Հողերն ըստ նպատակային նշանակության |
Մասնաբաժին ընդհանուր հողային պաշարներից |
|
1 |
Գյուղատնտեսության |
……………………………… 23.00 % |
|
2 |
Բնակավայրերի |
……………………………… 67.24 % |
|
3 |
Արդյունաբերության |
……………………………… 17.70 % |
|
4 |
Էներգետիկայի |
……………………………… 2.00 % |
|
5 |
Հատուկ պահպանվող տարածքների |
……………………………… 1.70 % |
|
6 |
Հատուկ նշանակության |
……………………………… 2.00 % |
|
7 |
Ջրային |
……………………………… < 0.03 % |
Գյուղատնտեսական նշանակության 39.44 հա հողերից` 13.52 հա ՀՀ իրավաբանական անձանց սեփականության վարելահողեր են: Համայնքային սեփականության հողերից` 25.92 հա վարելահող, 10.93 հա արոտներ և 50.73 հա` այլ հողատեսքեր են կազմում, որոնք ո´չ անհատույց օգտագործման, ո´չ վարձակալությամբ տրված չեն: Սույն գլխավոր հատակագծով տարածքային զարգացման ընթացքում գյուղատնտեսական նշանակության հողերի օտարում կառուցապատման նպատակներով չի նախատեսվում, հատկապես դա վերաբերվում է վարելահողերին: Գյուղատնտեսական հողերի (արոտ, այլ հողատեսքեր) մասնակի նվազումը թույլատրվում է միայն ճանապարհային ցանցի ու ինժեներական ենթակառուցվածքի զարգացման և կատարելագործման նպատակներով:
Բնակավայրերի հողերի գործառական նշանակության առկա բաժանումը թույլ է տալիս առանց արմատական վերափոխումների իրականացնել կառուցապատումից կամ այլ գործառական օգտագործումից զուրկ մնացած տարածքների, ինչպես նաև առկա կիրառման մեջ ընդգրկված տարածքների օգտագործման ինտենսիֆիկացում ու արդիականացում:
Աբովյանի բնակավայրերի հողերի կազմում առկա են` բնակելի, այդ թվում` բազմաբնակարան բազմահարկ և տնամերձ կառուցապատման, հասարակական ու խառը կառուցապատման, ընդհանուր օգտագործման, ինչպես նաև այլ հողերի տարածքներ: Բնակավայրերի հողերը ամբողջովին կազմում են 736.31 հա: Բնակավայրերի հողերի գործառական նշանակության բաժանումը ներկայացված է 5.3-2 աղյուսակում:
աղյուսակ 5.3-2
|
հհ |
Գործառնական նշանակությունը |
Առկա | |
|
հա |
բնակավայրերի հողերի նկատմամբ, % | ||
|
1 |
Բնակելի կառուցապատ, այդ թվում |
335.68 |
45.59 |
|
2 |
տնամերձ |
115.68 |
15.7 |
|
3 |
բազմաբնակարան բազմահարկ |
220.0 |
29.88 |
|
4 |
այգեգործական |
- |
|
|
5 |
Հասարակական կառուցապատում |
94.89 |
12.89 |
|
6 |
Խառը կառուցապատում |
18.16 |
2.46 |
|
7 |
Ընդհանուր օգտագործման |
88.02 |
11.96 |
|
8 |
Այլ հողեր |
199.56 |
27.1 |
|
9 |
Ընդամենը բնակավայրերի հողեր |
736.31 |
100 |
Բնակավայրի տարածքային զարգացման համար քաղաքաշինական նորմերով պահանջվող բնակեցման գոտու տարածքի (բնակելի կառուցապատման, հասարակական կառուցապատման ու ընդհանուր օգտագործման տարածքներ) հաշվարկը կատարված է ՍՆԻՊ 2.07.01-89-ի 2.1 կետին համապատասխան: Ելնելով տարածքների գործառական գոտևորման գոյություն ունեցող պատկերից (տես 5.3-2 աղյուսակ) և կիրառելով վերը նշված գործող նորմատիվ փաստաթղթի ցուցումը` համամասնական հաշվարկի արդյունքում ստացվում է, որ ներկայիս բնակեցման գոտու տարածքում (736.31 հա) կարող է բնակվել 44.7 հազ.մարդ (ըստ Աբովյանի քաղաքապետարանի` 44.45 հազ. մարդ), իսկ բնակչության մինչև 60 հազար աճի դեպքում քաղաքի տարածքային զարգացման համար անհրաժեշտ բնակեցման գոտու ընդհանուր տարածքը պետք է կազմի առնվազն 700.4 հա և բնակչության մինչև 65 հազար աճի դեպքում շուրջ 750 հա: Այստեղից հետևում է, որ տարածքների պլանավորման ընթացքում անհրաժեշտություն է առաջանում կանխատեսել որոշ գոտիների (տարածքների) գործառական նշանակության տրանսֆորմացում, ինչպես նաև առկա տարածքների օգտագործման ինտենսիֆիկացում:
Քաղաքի տարածքային զարգացումը նպատակաուղղված է տարածքների արդյունավետ օգտագործմանն ու ինտենսիֆիկացմանը: Ապագա տարածքային զարգացման համար գոյություն ունեցող պահուստը (ռեզերվը)` 199.56 հա կազմում են այն հողերը, որոնք դեռ առաջին և հաջորդ գլխավոր հատակագծերով նախատեսված են եղել հեռանկարում բնակելի ու հասարակական կառուցապատման, ճանապարհային ցանցի և կանաչապատ տարածքների զարգացման համար: Սույն գլխավոր հատակագծով Աբովյանի բնակեցման գոտին առկա 736.81 հա-ից ընդարձակվելով պետք է ձգտի 740.0 հա-ին (5.3-3 աղյուսակ):
աղյուսակ 5.3-3
|
հհ |
Գործառական նշանակությունը |
Տարածքային զարգացման արդյունքում | ||
|
հա |
% |
աճը, % | ||
|
1 |
Բնակելի կառուցապատման, այդ թվում |
405.48 |
54.89 |
9,21 |
|
2 |
տնամերձ |
135.68 |
|
|
|
3 |
բազմաբնակարան բազմահարկ |
269.80 |
36.5 |
|
|
4 |
Հասարակական կառուցապատում |
178.11 |
24.11 |
11,11 |
|
5 |
Խառը կառուցապատում |
18.16 |
2.45 |
0,00 |
|
6 |
Ընդհանուր օգտագործմ., այդ թվում |
108.03 |
14.6 |
2,64 |
|
7 |
ճանապարհային ցանց |
23.91 |
|
|
|
8 |
զբոսայգիներ, պուրակներ |
84.12 |
|
|
|
9 |
Այլ հողեր |
28.95 |
3.95 |
-23,15 |
|
10 |
Ընդամենը բնակեցման գոտի կամ բնակավայրերի հողեր |
738.72 |
100 |
|
Եզրահանգում
● Քաղաքի տարածքային զարգացումը պետք է իրականացվի հիմնականում պահպանելով հողերի նպատակային նշանակության (կատեգորիա) գոյություն ունեցող հաշվեկշիռը:
● Հատակագծային կառուցվածքի կատարելագործումը պետք է կատարվի տարածքների գործառական գոտևորման արդիականացման միջոցով:
5.4 Հատակագծային կառուցվածքի կատարելագործում
Հատակագծային կառուցվածքը տարածքային համակարգ է` կազմված դասակարգված բազում գործոնների համադրությունից: Հատակագծային կառուցվածքի կատարելագործման պահանջը մարդկային հասարակության զարգացման հատկանիշ է, երբ աճում է համայնքի բնակչության ձգտումն իր բնակեցման միջավայրի բարելավման նկատմամբ: Բնակավայրերի տարածքային զարգացմանը կառուցողական բնույթ հաղորդելու նպատակով կարևոր է ապահովել հատակագծային կառուցվածքի կատարելագործման անընդմեջ գործընթաց:
Քաղաքի հատակագծային կառուցվածքի կատարելագործումը բնակավայրի տարածքային զարգացման տարածական կարգավորման հիմնական միջոցներից է:
Հատակագծային կառուցվածքի ձևավորման ընթացքում կարևոր դեր են կատարում գործառական նշանակության տարածքների կազմն ու բովանդակությունը, տարածումն ու առանձնահատկությունները, տարածքի երկրաչափական ձևն ու ռելիեֆը, նիշերի անկման չափը, տարբեր գործառական նշանակության տարածքների մատչելիությունը, տրանսպորտ և հետիոտն հոսքերի ինտենսիվությունը, անվտանգության, սանիտարական ու էկոլոգիական, ինչպես նաև պատմամշակութային ու բնական ժառանգության պահպանման խնդիրները: Հատակագծային կառուցվածքը վերացական թվացող մի համակարգ է: Այն ձևավորվում, ձևափոխվում և զարգանում է հողերի օգտագործման տեսակների ու սեփականության ձևերի փոփոխման, տրանսպորտի տեսակների ու ճանապարհային ցանցի զարգացման և տարածքային ընդարձակման ազդեցության ներքո: Աբովյանի հատակագծային կառուցվածքը ձևավորվել և զարգացել է Հայաստանում քաղաքաշինության զարգացման համար բարենպաստ ժամանակաշրջանում և, ի տարբերություն քաղաքի կառուցապատման, իրականացվել գլխավոր հատակագծի լուծումներին համապատասխան, որոնք ներկայումս էլ կարող են հիմք ծառայել հատակագծային կառուցվածքի հետագա կատարելագործման համար, դեռ չիրականացված կամ ժամանակին բաց թողած տարրերի որոշակի լրացումներով:
Տարածքների սոցիալ-տնտեսական զարգացումը կապված է բնակչության տարբեր խմբերի և սեփականության տարբեր սուբյեկտների շահերի բավարարման հետ: Այսպես, քաղաքաշինական զարգացման ռազմավարությունը բխում է պետական շահերից, քաղաքների կայուն զարգացումը նպատակաուղղված է տեղի բնակչության շահերի, իսկ առանձին օբյեկտների զարգացումը` ֆիզիկական կամ իրավաբանական անձանց շահերի բավարարմանը: Տարածքային զարգացման ծրագրերի ձևավորումը սովորաբար սկիզբ է առնում դեռ նախագծման մեկնարկային փուլում` բնակչության տարբեր շերտերի, ոչ կառավարական ու հասարակական կազմակերպությունների ներկայացուցիչների հարցումների ժամանակ, այսինքն սոցիալական պատվերի հետ ծանոթացման, դրա վերլուծության և մոդելավորման ընթացքում:
Շինարարական տարբեր մասշտաբների ծրագրերի կամ նախագծերի կոորդինացման ու քաղաքաշինական խնդիրների լուծման համար հարկավոր է համակարգված և համալրված պատկերացումների և ունակությունների դրսևորում:
Տարածքային զարգացման համար կարևոր խթան կարող է հանդիսանալ տարբեր քաղաքաշինական ծրագրերի քննարկումներին հասարակության գործնական մասնակցությունը: Համաշխարհային, հատկապես տնտեսապես զարգացած երկրների փորձը վկայում է, որ տարածքային զարգացման ծրագրերի իրականացումը առավել մեծ հաջողություն է վայելում այն համայնքներում, ուր կազմակերպվում է բնակչության, հասարակական և այլ կազմակերպությունների քննարկումներին ակտիվ մասնակցությունը: Այն նպաստում է տեղական ինքնակառավարման մարմինների քաղաքաշինական ծրագրերի վերաբերյալ առավել հստակ և օբյեկտիվ որոշումների ընդունմանը:
Հարցումներին պետք է մասնակցեն մշտական ու ժամանակավոր բնակչությունը, հանգստացողները, գործարարներն ու ներդրողները, անշարժ գույքի գործակալները, հասարակական և վենչուրային հիմնադրամների ղեկավարները, պետական կառավարման ու տեղական ինքնակառավարման մարմինների ներկայացուցիչները:
Հետազոտումների սկզբնական փուլում կարևոր նշանակություն ունի տարածքային զարգացման հետ կապված բնակչության տարբեր սոցիալական խմբերի շահերի ուսումնասիրությունը: Ուսումնասիրության վերլուծությանը նպաստում է սոցիալական պատվերի և քաղաքաշինական ծրագրերի ձևավորմանն ու հստակեցմանը:
Համալրված արդյունք ստանալու համար, հետազոտումները պետք է կատարվեն քաղաքաշինական գործունեության հիմնական ուղղություններով`
● բնական միջավայրի կենսաբանաէկոլոգիական համակարգի ու դրա ինժեներատեխնիկական հատկությունների բացահայտման,
● հատակագծային և կոմունիկացիոն կառուցվածքի (գործառական գոտիներ, ճանապարհատրանսպորտային ու ինժեներական ենթակառուցվածք) վերլուծության,
● միջավայրի սոցիալական կազմակերպման, պատմամշակութային ու գեղարվեստական արժեքների, դրանց հետաքրքրականության աստիճանի ու արտահայտչականության գնահատման:
Բնակչության տարբեր խմբերի ակտիվ մասնակցությունը, շուկայական մեխանիզմների կառավարումը, օրենքով չարգելված ներդրումների կիրառումը, հասարակական, մասնավոր, կորպորատիվ, մունիցիպալ և այլ, ինչպես նաև վենչուրային ծրագրերի ներդրումը պետական ֆինանսավորման նվազեցման պայմաններում, բնակավայրերի տարածքային պլանավորման (տարածքների հատակագծային զարգացման) առավել նախընտրելի և հեռանկարային ուղղություններից է:
Աբովյանը, որպես քաղաքային բնակավայր, սերտ շաղկապված լինելով Երևանին, ակտիվ ընդգրկվում է Երևանյան ագլոմերացիայի կազմում:
Բնակավայրի տարածքային զարգացման հիմքում պետք է դրվի դրա հատակագծային կառուցվածքը և գործառական գոտևորումը:
Աբովյան քաղաքի տարածքային պլանավորման առաջնային խնդիրներն են՝
● նպաստել համայնքի գլխավոր հատակագծի իրականացմանը՝ ապահովելով հողերի նպատակային օգտագործման և գործառական գոտևորման դրույթները,
● նպաստել համայնքի բնակարանային ֆոնդի արդիականացմանը հասարակական ոլորտների զարգացմանը, կոմունալ և ճանապարհային տնտեսության կատարելագործմանը, ճանապարհամերձ և կանաչապատ գոտիների, ինչպես նաև բակային տարածքների բարեկարգմանը,
● մշակել նոր մոտեցումներ համայնքի տարածքում անավարտ մնացած բնակելի կառուցապատման և առանձին շենքերի վերաշահագործման համար,
● ապահովել համայնքի սոցիալական ոլորտի տարբեր բնագավառների անխափան և նպատակային գործունեությունը, իրականացնել այդ կազմակերպությունների զբաղեցրած շենքերի հիմնանորոգումը և նոր կառույցների շինարարությունը, բարձրացնել համայնքի բնակչությանը մատուցվող ծառայությունների սպասարկման մակարդակն ու որակը,
● զարգացնել և պահպանել համայնքի արտակարգ իրավիճակներում բնակչության փրկարարական աշխատանքների իրականացման ու արտակարգ իրավիճակներում քաղաքային տնտեսության գործունեությունը երաշխավորող համակարգը:
Հատակագծային կառուցվածքի կատարելագործումը նախատեսված է ընդգրկելով քաղաքի տարածքային զարգացման համար կարևորվող գործառական նշանակության գոտիները` արդյունաբերական հանգույցները, բնակեցման գոտին, ճանապարհային և հետիոտն ուղիների ցանցը, լանդշաֆտի կազմակերպումն ու կանաչապատումը, այդ թվում նաև ինժեներական ենթակառուցվածքի զարգացումը:
5.5 Արդյունաբերական հանգույցների հատակագծային կազմակերպում
Աբովյանի հարավային արդյունաբերական հանգույցը հիմնականում պահպանում է ձևավորված ոլորտային ուղղվածությունը: Այստեղ պետք է գործեն և առաջընթաց ապրեն սննդի արտադրության տարբեր ձեռնարկություններ, արդիականացվեն գոյություն ունեցող օբյեկտները: Էներգետիկայի ոլորտին պատկանող, հեռանկարային ոլորտ հանդիսացող ՀՀ տարածքի երկկողմանի գազամատակարարումը, իսկ հետագայում նաև գազամատակարարման միջպետական խոշոր ծրագրերում ընդգրկումը կարող է խթանել ոլորտի զարգացմանը: Հարավային արդյունաբերական հանգույցում գտնվող «Հայռուսգազարդ»-ի տնտեսությունների տարածքներում կարող են ստեղծվել նոր արտադրական հզորություններ, որտեղ հնարավոր կլինի ծավալել գազասարքավորումների արտադրություն: Այդ նպատակների համար Աբովյանի հարավային արդյունաբերական հանգույցը հաստատուն ներուժ է պարունակում:
Հատակագծային զարգացման ընթացքում հարավային արդհանգույցի տարածքը պետք է ենթարկվի արմատական բարեփոխումների, կարգավորելով հատկապես ինժեներական ենթակառուցվածքի, տարածքի ինժեներական պաշտպանության, սանիտարական և էկոլոգիական վիճակի բարելավման միջոցառումների իրականացումը: Հարավային արդհանգույցի ձեռնարկությունների արտադրանքը կարող է լայն սպառում գտնել ինչպես Կոտայքի մարզում, այնպես էլ ամբողջ Հայաստանում ու արտերկրների շուկաներում:
Հարավային արդհանգույցի տրանսպորտային մատակարարումը, ինչպես որ ներկայումս է, կարող է իրականացվել Արամուս - Ակունք - Աբովյան, իսկ հետագայում Երևան - Սևան ավտոմայրուղու կամ Աբովյանի երկաթուղային կայարանի ուղղությամբ, որոնք համապատասխան պահանջի առաջացման դեպքում պետք է արդիականացվեն ըստ աճող տեխնիկական պահանջների:
Աբովյանի հարավային արդհանգույցի տարածքը ներկայումս զբաղեցնում է շուրջ 140 հա, իսկ դրա ենթակառուցվածքներում ընդգրկված, իսկ առանձին տարածք զբաղեցնող արտադրական ձեռնարկությունների հետ միասին` 155 հա*:
Աբովյանի արևմտյան արդհանգույցի` հիմնական քաղաքաստեղծ գործոնի հիմնավորումը ներկայացված է սույն գլխի 5.2 բաժնում «Աբովյանի ավանդական քաղաքաստեղծ գործոնի վերստեղծումն ու արդիականացումը»։
Աբովյանի արևմտյան արդհանգույցի հատակագծային կառուցվածքի բարեփոխումը կատարելու համար նախատեսվում է լրացնել ավտոճանապարհային մոտեցումներ Երևան - Սևան ավտոմայրուղու կողմից` նվազագույնի հասցնելով քաղաքին հարող տարածքում տարանցիկ տրանսպորտի երթևեկությունը (տես համապատասխան գծագրերը):
Աբովյանի արևմտյան արդհանգույցը ներկայումս զբաղեցնում է 207.5 հա* տարածք:
Հարավային, արևմտյան ու արևելյան արդյունաբերական հատվածում գտնվող բոլոր արդյունաբերական ձեռնարկությունների ու կաթսայատների, տարբեր ավտոտրանսպորտային ձեռնարկությունների, որպես օդի աղտոտվածության աղբյուրներ հանդիսացող օբյեկտների վերաբերյալ սույն գլխավոր հատակագծի նախագծի կազմում կատարված են հետազոտություններ և ներկայացված են այն անհրաժեշտ միջոցառումները, որոնք պետք է իրականացվեն արդհանգույցների լիարժեք վերագործարկման պայմաններում (տես Գլուխ 4. Շրջակա միջավայրի վիճակն ու պահպանման խնդիրները և Գլուխ 6. Շրջակա միջավայրի բարելավման և պահպանման միջոցառումները և կանխատեսումային ցուցանիշները):
Սույն գլխավոր հատակագծով հարավային ու արևմտյան արդհանգույցների տարածքի ավելացում չի նախատեսվում: Դրանց տարածքային զարգացումը նախատեսվում է ներքին տարածքային պահուստների` մոտ 19.8 հա ներկայումս չօգտագործվող տարածքների, ներքին այլ տարածքային պահուստների և ամբողջ տարածքի բարեփոխումների ու արդյունավետ օգտագործման հաշվին:
*) արդյունաբերական հանգույցների սահմաններում ներառված են տարբեր նպատակային նշանակության հողեր, որոնք հաշվարկված և ներկայացված են նպատակային ու գործառնական նշանակության հաշվեկշռում:
5.6 Հասարակական սպասարկման և ծառայությունների մատուցման համակարգի տարածքային կազմակերպում
Աբովյանի բնակելի թաղամասերում վերջին տարիներին տարերային կերպով առաջանում է սպասարկման նոր, հիմնականում մանրածախ առևտրի ու հասարակական սննդի համակարգ: Սակայն այն հավասարաչափ բաշխված չէ քաղաքի կառուցապատման բնակելի միավորներում` միկրոշրջաններում: Հիմնական առաջնային պարտադիր սպասարկման օբյեկտներով՝ մանկապարտեզներով, դպրոցներով ապահովված են գրեթե բոլոր միկրոշրջանները, բացառությամբ չորրորդի, որտեղ կառուցապատման նախագծով որոշված օբյեկտներից միայն փոքր մասն է իրականացված: Վեցերորդ միկրոշրջանի կառուցապատումը մոտ 90% չի իրականացվել, չեն կառուցվել ոչ դպրոցը և ոչ մանկապարտեզը:
Այդ համակարգի օբյեկտները անհրաժեշտ է վերագնահատել և վերահաշվարկել, համապատասխան գործող նորմերին: Անհրաժեշտ է նաև վերլուծել նրանց տեղաբաշխման խնդիրը և համապատասխանեցնել գործող նորմերին, հեռանկարային բնակելի ու հասարակական կառուցապատմանն ու բնակչության պահանջին:
Ստորև 5.5-1 աղյուսակում ներկայացված է հասարակական սպասարկման համակարգում ընդգրկվող նվազագույն անհրաժեշտ օբյեկտների և դրանց տարողունակության ցուցանիշները, որտեղ հաշվի է առնված տեղական նշանակության տարաբնակեցման համակարգում ընդգրկվող բնակավայրերի պահանջը, ինչպես նաև գոյություն ունեցող իրավիճակը և հնարավոր փոփոխությունները:
աղյուսակ 5.5-1
|
հհ |
Օբյեկտներ |
Չափ.միավոր |
Տարողություն |
Հողարածք, հա |
|
1 |
Մանկական, նախադպրոցական կազմակերպություններ, այդ թվում` |
տեղ |
4500 |
15.75 |
|
1ա |
մանկապարտեզներ ընդհանուր տեսակի |
|
3000 |
|
|
1բ |
մասնագիտացված |
|
900 |
|
|
1գ |
մարզաառողջարարական |
|
700 |
|
|
2 |
Ծածկած լողավազաններ նախադպրոցական հասակի երեխաների համար |
|
մեկ կամ երկու օբյեկտ |
մինչև 1 |
|
3 |
Հանրակրթական դպրոցներ, այդ թվում |
աշակերտ.տեղ |
10800 |
43.16 |
|
3ա |
1-9-րդ դասարաններում 10-12-րդ դասարաններում |
|
8100 2100 |
|
|
3բ |
Մասնագիտացված |
|
750 |
|
|
3գ |
Միջդպրոցական ուսուցում |
|
860 |
|
|
3դ |
Արտադպրոցական ըստ ոլորտների` -տեխնիկական, գործարարական, բնագիտական -մարզական -գեղագիտական |
|
150 90 100 |
|
|
4 |
Գիշերօթիկ դպրոցներ |
|
225 |
ՆԱ |
|
5 |
Գիշերօթիկ տներ մեծահասակների, այդ թվում վետերանների կամ հաշմանդամների համար |
տեղ |
250 |
ՆԱ |
|
6 |
Առողջապահական ստացիոնար համալիրներ, այդ թվում |
|
|
|
|
6ա |
Հիվանդանոցներ |
մահճակալ |
|
ՆԱ |
|
6բ |
Պոլիկլինիկաներ ու ոչ ստացիոնար բուժծառայություն |
հաճախում |
|
ՆԱ |
|
6գ |
Բժշկական շտապօգնության կայաններ |
ավտոմեքենա |
9 -10 |
0.46 |
|
7 |
Մարզական կառույցներ |
|
|
|
|
7ա |
Ընդհանուր օգտագործման մարզասրահներ |
մ2 |
4800 |
ՆԱ |
|
7բ |
Մարզադահլիճներ |
|
4800-6000 |
ՆԱ |
|
7գ |
Ծածկած լողավազաններ |
|
1500-1900 |
ՆԱ |
|
8 |
Քաղաքային գրադարաններ և համակարգչային կենտրոններ ինտերնետային կապով |
տեղ |
120 -150 |
ՆԱ |
|
9 |
Հյուրանոցներ |
տեղ |
360 |
ՆԱ |
|
10 |
Կոմունալ ծառայություններ |
|
|
|
|
10ա |
Լվացքատներ |
կգ, |
7200 |
0.35-0.4 |
|
10բ |
Քիմմաքրման կետեր |
կգ, |
860 |
0.35-0.4 |
|
10գ |
Քաղաքային բաղնիքային համալիր |
տեղ |
670 |
0.35 |
|
10դ |
Կենցաղսպասարկման ծառայություններ |
աշխատատեղ |
610 |
ՆԱ |
|
11 |
Հրշեջ կայաններ |
հրշեջ ավտոմեքենա |
13 |
0.5 -1.0 |
|
12 |
Կապի հանգույցի ցանց |
օբյեկտ |
2 |
0.56 |
|
13 |
Հանրային զուգարաններ |
կոմպլեկտ սարք |
60 |
|
|
14 |
Հուղարկավորման ծառայություն ու գերեզմանոց |
օբյեկտ |
1 |
14.44 |
|
15 |
Քաղաքային շուկաներ |
վաճառատեղ |
1800 |
1.13 |
|
16 |
Հանրային սննդի ձեռնարկություններ |
տեղ |
2700 |
|
Ծանոթություն` «ՆԱ» պահանջվող հողատարածքը որոշվում է օբյեկտի նախագծման առաջադրանքով
Առաջնային համակարգի օբյեկտների տեղաբաշխումը պետք է իրականացվի ինչպես գոյություն ունեցող, այնպես էլ նախատեսվող, քաղաքի տարածքային զարգացման ընթացքում կառուցվող նոր բնակելի թաղամասերում:
Տարբեր թաղամասերում կամ միկրոշրջաններում մանկապարտեզների կամ դպրոցների տեղաբաշխման համար ընտրված են բնակելի կառուցապատման միջնամասում գտնվող, փողոցներից ու ճանապարհներից հեռու ընկած հատվածներ: Նման տեղաբաշխումը նպատակաուղղված է ապահովել դեպի նշված օբյեկտները ուղղվող հետիոտների անվտանգությունը, նվազեցնել հետիոտն շարժման ուղիների և տրանսպորտային հոսքերի հատումը:
Աբովյանի տարբեր մասերում՝ երրորդ և չորրորդ միկրոշրջանների մոտ և արևմտյան արդհանգույցի եզրին, կառուցված են բուժական տարբեր կազմակերպություններ` հիվանդանոցներ, պոլիկլինիկաներ և ծննդատներ, որոնց շենքերը նախագծված և կառուցված են ըստ իրենց նպատակային նշանակության ու համապատասխան կահավորանքի ու սարքավորումների արդիականացման դեպքում կբավարարեն իրենց ներկայացվող պահանջներին նաև ապագայում: Աբովյանի տարածքում բուժական կազմակերպությունների տեղաբաշխումը բավարարում է մատչելիության պայմաններին:
Շուկայական հարաբերությունների և ազատ տնտեսվարման պայմաններում կարևոր նշանակություն է ձեռք բերում առևտրի և մատուցվող ծառայությունների համակարգի տարածքային տեղաբաշխման կարգավորման պահանջը: Այս խնդրում քաղաքային իշխանությունը պետք է առաջնորդի տարբեր կառուցապատողների ձգտումները քաղաքի տարածքում համապատասխան օբյեկտների տեղադրման գործում: Սույն գլխավոր հատակագծում ներկայացված է «Հասարակական սպասարկման համակարգի տարածքային կազմակերպում» սխեման, որտեղ նշված են այն տարածքները, որոնցում, ելնելով քաղաքի հատակագծային կառուցվածքի առանձնահատկություններից, ցույց են տված նման օբյեկտների տեղադրման համար առավելապես շահեկան գոտիները:
Քաղաքի բնակելի միջավայրի և հասարակական կենտրոնի միջև հատակագծագործառական կապը խթանելու նպատակով առաջին հերթին հարկավոր է համապատասխան հատակագծային ուղղությունների զարգացումը: Կարևորելով այս առանցքների նշանակությունը, որպես հատակագծային կառուցվածքը ձևավորող հիմնական տարրեր և բնակելի թաղամասերի ու հասարակական կենտրոնի միջև կարճ ու հարմարավետ ուղղություններ, առաջարկվում է այդ փողոցների մայթերի հարակից ազատ հողահատվածներում ստեղծել առաջնահերթ սպասարկման և ծառայությունների մատուցման շերտեր (գոտիներ): Քաղաքապետարանը պետք է բարենպաստ պայմաններ առաջարկի կառուցապատողներին, այս տարածքներում իրենց օբյեկտների տեղաբաշխման համար: Այս ճառագայթը բնակելի միջավայրում պետք է առավել ակտիվացվի առևտրի ու առաջնահերթ հասարակական սպասարկման փոքր ու միջին կառույցներով, որոնց հատակագծային տարածումը կբարձրացնի ու կամրապնդի քաղաքի հասարակական կենտրոնի համաքաղաքային նշանակությունը: Քաղաքի հասարակական կենտրոնը կդառնա մարդաշատ և կգործի ամբողջ հզորությամբ:
5.7 Համաքաղաքային նշանակության հասարակական կենտրոնի ձևավորում
Աբովյանի գեղատեսիլ լանդշաֆտի, որն ամֆիթատրոնի ձևով բացվում է դեպի Արայի լեռան ու Արագածի համայնապատկերը, աշխարհագրական կենտրոնի ստորոտում դեռ առաջին գլխավոր հատակագծով, նախատեսվեց քաղաքի հասարակական կենտրոնի տեղը (հեղինակներ ճարտարապետներ՝ Հ.Պողոսյան, Լ.Չերքեզյան, Ա.Թարխանյան, Ս.Խաչիկյան և ուրիշներ): Աբովյանի հասարակական կենտրոնի հատակագծային կառուցվածքի ու ծավալատարածական հորինվածքի լուծումը հիմնվեց այդ ժամանակաշրջանում տարածում գտած «ազատ հատակագծման» սկզբունքի վրա: Նման մոտեցման համաշխարհային ճանաչում ունեցող օրինակներից հարկավոր է հիշատակել Բրազիլիայի Հանրապետության մայրաքաղաքի հասարակական կենտրոնի ճարտարապետա-հատակագծային հորինվածքը (հեղինակներ՝ քաղաքաշինարար Լուսիո Կոստա և ճարտարապետ Օսկար Նիմեյեր): Աբովյանի հասարակական կենտրոնում 70-80-ական թվականների ընթացքում կառուցվեցին մի շարք հասարակական, յուրահատուկ ճարտարապետական լուծումներ ունեցող շենքեր, որոնք իրենց արժանավայել տեղը պետք է զբաղեցնեն քսաներորդ դարի հայկական ճարտարապետության պատմության էջերում: Դրանցից պետք է հիշատակվեն` քաղաքապետարանը, մշակույթի պալատը, թանգարանը, պիոներական պալատը (ճարտարապետ Լևոն Չերքեզյան), «Սիփան» հյուրանոցը (ճարտարապետ Կարեն Ալեքսանյան), ավտոկայանը (ճարտարապետ Աշոտ Մկրտչյան): Միաժամանակ կարևոր է նշել, որ հասարակական շենքերի տեղադրումը թույլ չտվեց հասնել հասարակական կենտրոնի տարածքի ծավալատարածական ու հատակագծագործառական կազմակերպմանը: Աբովյանի հասարակական կենտրոնը իր զարգացման տարիներին անջատ մնաց քաղաքի բնակելի թաղամասերից և ճանաչում չգտավ բնակչություն կողմից: Միայն մասամբ կառուցապատված լինելով` քսաներորդ դարի վերջին քսանմեկերորդ դարի առաջին տասնամյակում հիմնականում այն լքված, անկում ապրող մի տարածքի է վերածվել:
Հաշվի առնելով տարածքում ստեղծված իրողությունը և քաղաքի հիմնական գործառական գոտևորումը՝ սույն գլխավոր հատակագծով խնդիր է դրվում տարածքային պլանավորման միջոցներով նպաստել քաղաքի հասարակական կենտրոնի, բնակելի թաղամասերի ու արտադրական տարածքների միջև գործառահատակագծային կապերի ակտիվացմանը: Սրանով փորձ է արվում ակտիվացնել քաղաքի կենտրոնական մասի օգտագործումը, ինչը թույլ կտա Աբովյան քաղաքին ապահովել տարածահատակագծային և գործառական, արդեն ձևավորված և զարգացման ընթացքում նախատեսվող տարրերի միջև միասնականությունը:
Քաղաքի տարածքային միասնականությանը հասնելու համար, որպես հիմնական հորինվածքային հատակագծային ու գործառական առանցքներ, պետք է ընդունել երկու հիմնական ուղղություններ՝
1. «Դարանի» բարձունքից դեպի Գութանասարի լեռնագագաթ ուղղությամբ (երկայնական առանցք)՝ Էլարի, թիվ 1 միկրոշրջանի ու կենտրոնական տարածքի միջով դեպի վեցերորդ միկրոշրջանի բարձունքը (փողոց):
2. Արագածի ու Արայի լեռան համայնապատկերի ուղղությամբ (լայնական առանցք), որը երրորդ ու չորրորդ միկրոշրջանների միջև անցնող փողոցով, լանջը հատող աստիճաններով, հետիոտն կապով, հասնում է կենտրոն ու հատելով այն ուղղվում է դեպի արևմտյան արդյունաբերական գոտին:
Հիմնական առանցքների ուղղություններով է կազմակերպվում կենտրոնական մասի փողոցային ցանցը:
Քաղաքի կենտրոնական մասը ընդգրկում է տարածքի երկրաչափական կենտրոնը, քաղաքային փոքր աղեղնաձև ավտոմայրուղու միջոցով պարուրվող տարածքն ու մասամբ արևմտյան արտադրական հանգույցի մասը: Աբովյանի տարածքային զարգացման սույն քաղաքաշինական ծրագրային փաստաթղթով նախատեսվող բարեփոխումները նպատակաուղղված են ակտիվացնել քաղաքի հասարակական կենտրոնի նշանակությունը բնակելի թաղամասերի ու արևմտյան արդհանգույցի նկատմամբ, սերտացնելու դրանց միջև հատակագծային և գործառական միասնականությունը:
Քաղաքի կենտրոնական մասից, շուրջ 50.5 հա-ից ներկայումս կառուցապատված է ընդամենը 11 հա կամ 29%: Կառուցապատված հատվածները միասնական չեն, այլ անհավասարաչափ ցրված են տարածքում: Փաստորեն, առ այսօր կենտրոնական մասի 35.9 հա չի օգտագործվում: Եթե տարածքի հարավային մասը քիչ թե շատ շարունակական կառուցապատված է, ապա միջին և հատկապես հյուսիսային մասերը մատնված են չարտոնագրված տարերային «զավթումների»: Սույն գլխավոր հատակագծով նպատակ է դրվում կանոնակարգել կենտրոնական մասի հատակագծա-գործառական կառուցվածքը` տարածքը մասնատելով համապատասխան նշանակության գործառական գոտիների:
Կենտրոնական մասի տարածքը կազմակերպելու են երեք գործառական համալիրներ`
1. Քաղաքի հասարակական կենտրոնի համալիր
2. Բազմաֆունկցիոնալ օգտագործման համալիր
3. Տեխնոպարկի բանական մշակումների համալիր
Քաղաքի հասարակական կենտրոնի գործառական կառուցվածքը նախատեսում է երեք հիմնական գոտիների կազմակերպում`
● համայնքի վարչական կենտրոնի,
● տարածաշրջանի մշակութային կենտրոնի,
● քաղաքի մարզաառողջարարական համալիրի:
Համայնքի վարչական կենտրոնը պետք է զբաղեցնի շուրջ 5.3 հա հարավային հատվածը: Այն նախատեսվում է համայնքի վարչական համակարգերի հեռանկարային զարգացման համար: Գոտու ճարտարապետահատակագծային կազմակերպման հիմնական խնդիրն է` ներկայումս առկա և նոր տեղաբաշխվող կառույցների միջոցով միջավայրի միասնականության ստեղծումը: Այս գոտում տարածքային զարգացման հնարավորություն կա համանման գործառական նշանակության լրակազմող կառուցապատման համար:
Քաղաքապետարանի շենքն ունի զարգացած ծավալատարածական կառուցվածք, ներսի սենյակներն ու սրահները ունեն լայն հարմարավետ մակերեսներ: Քաղաքապետարանի համալիրը ընդգրկում է տարբեր բաժինների ու ծառայությունների պահանջները բավարարող տարածք: Համալիրի կազմում իրականացված է հորինվածքի միջնամասը զբաղեցնող նիստերի դահլիճը և դրան շրջապատող շենքերը` զանգվածային լրատվամիջոցների և այլ ծառայողական նպատակների համար նախատեսված սենյակներով: Քաղաքապետարանի համալիրը իր ներքին բակով, ամփոփվում է շքեղ սյունաշարով, որի առջև, սույն գլխավոր հատակագծով նախատեսվում է «Արվեստների հրապարակ»-ի կազմակերպում: «Արվեստների հրապարակ»-ը կազմելու է քաղաքի մշակութային կենտրոնի կարևոր մասերից մեկը:
Տարածաշրջանի մշակութայն կենտրոնը ընդգրկելու է կենտրոնական մասի արևելյան միջին դիրքում գտնվող հատվածը`մոտ 8.3 հա, որտեղ կառուցված են Մշակույթի պալատն ու Թանգարանի յուրօրինակ ճարտարապետական լուծումով շենքերը: Այստեղ նախատեսվում է Աբովյանի տարածաշրջանի մշակութային կենտրոնի ձևավորումը: Տարածքի ճարտարապետական միջավայրի կիզակետում նախատեսվում է ստեղծել վերը նշված «Արվեստների հրապարակ»-ը: Հրապարակը պետք է կազմի նախատեսվող քաղաքային գլխավոր զբոսայգու միջին մասը: Զբոսայգին, անցնելով արևելքից դեպի արևմուտք պետք է կազմի հասարակական կենտրոնի լայնական հորինվածքային առանցքը, որի արևելյան ավարտը ձևավորելու է հատակագծում սեղանաձև հրապարակը` իր կենտրոնում գոյություն ունեցող երկհարկանի հասարակական կառույցով (ներկայումս կահույքի ցուցասրահ): Պահպանելով շենքի պատկանելիությունը` առաջարկվում է այս կառույցը դարձնել սեփականատիրոջ անվամբ ժամանակակից արվեստների կենտրոն ու քաղաքային պատկերասրահ:
Զբոսայգու լայնությունը` մայթից մայթ, կազմելու է շուրջ 36 մ, որի միջին մասը կզբաղեցնի 16 մ լայնությամբ ու 630 մ երկարությամբ ,մինչև Երևանյան խճուղի ձգվող կանաչապատ պուրակը:
Նոր կառուցապատումը առաջարկվում է իրականացնել պահպանելով գոյություն ունեցող հասարակական շենքերը և լրացնելով նոր շենքերով, որոնց առաջին և երկրորդ հարկերը կարող են զբաղեցնել մշակույթի տարբեր հաստատություններ: Վերին հարկերը կարող են տրամադրվել տարբեր իրավաբանական անձանց, ծառայողական գրասենյակներին, գործակալություններին:
Քաղաքի մարզաառողջարարական համալիրը զբաղեցնելու է կենտրոնական մասի հյուսիսային հատվածը, մոտ 7.4 հա, և նախատեսվում է քաղաքի մարզական համակարգերի տեղաբաշխման համար: Համալիրի հիմնական խնդիրը կայանում է բնակչության առողջարարական կարիքները հոգալու, ակտիվ շարժունակ մարզական ծառայությունների մատուցման համար: Մարզաառողջարարական համալիրի տարածքում պետք է կառուցվեն մի շարք մարզադահլիճներ ու լողավազաններ, որտեղ հանդիսատեսների համար տեղեր են նախատեսվում կամ դրանց թիվը խիստ սահմանափակվում է: Համալիրի հատակագծային կառուցվածքը նախատեսում է կենտրոնական մասում բաց շրջանաձև չմշկահարթակ: Հարթակը ձմռանը կծառայի որպես սահադաշտ, իսկ ամռանը կլինի խաղերի համար: Շրջանաձև հարթակի շուրջը նախատեսվում է երեքից ոչ ավել նստատեղերով կարգեր հիմնական հաճախորդների համար: Վերը նշված մարզական կառույցների տեղադրումը նախատեսվում է կենտրոնական դիրք զբաղեցնող շրջանաձև հարթակի շուրջը: Դրանց կազմում պահպանվելու է պատանիների և դպրոցականների գոյություն ունեցող պալատը, որը հիմնականում կպահպանի իր ներկայիս նշանակությունը: Համալիրը պետք է ծառայի նաև մանկական մարզական, ինչպես նաև հենաշարժային ապարատներով բնակչության համար նրանց առողջարարական և հասարակության մեջ ինտեգրման նպատակներով: Համալիրում չի նախատեսվում մարզական հանդիսատեսային միջոցառումների կազմակերպում:
Քաղաքի հասարակական կենտրոնի արևմտյան սահման է հանդիսանում «Դարանի» բարձունքից դեպի Գութանասարի լեռնագագաթ ուղղությամբ առանցքի կենտրոնով անցնող հատվածը (Պիոներական - Օգոստոսի 23 փողոցներ): Դրան արևմուտքից հարող մոտ 90 մ լայնությամբ և 730 մ երկարությամբ տարածքը նախատեսվում է բազմաֆունկցիոնալ օգտագործման գոտու ստեղծման համար:
Բ. Բազմաֆունկցիոնալ օգտագործման գոտի
Այս գոտու հիմնական նպատակը` բուֆերային շերտի ստեղծումն է արտաքաղաքային, ագլոմերատիվ և զուտ ներքաղաքային գործառույթների տարածքային տարանջատման և միաժամանակ դրանց միջև անհրաժեշտ շփումը տարածքում բևեռացման համար:
Այս գոտուն կարևոր նշանակություն է տրվում: Այստեղ պետք է ապահովվի տեխնոպարկի գործունեության հետ կապված սուբյեկտների համար հարմարավետ միջավայր, որտեղ տեղաբաշխվելու են բարձրակարգ առևտրային և հասարակական սննդի, կենցաղի, հաճախորդների սպասարկման տարբեր ծառայությունների մատուցման օբյեկտներ, տարբեր կարգի հյուրանոցներ, մշտական կամ կարճաժամկետ վարձակալության համար նախատեսված «suite» կարգի բնակարաններով բնակելի շենքեր: Այս գոտում բնակություն կարող են հաստատել Աբովյանում հյուրընկալվող, տեխնոպարկի գործունեության հետ կապված ինչպես հայաստանաբնակ, այնպես էլ արտերկրից ժամանած գործարարներ: Գոտում տեղաբաշխվելու են շուրջօրյա գործող օբյեկտներ` սրճարաններ, բարեր, սրճարաններ, ոչ մեծաքանակ հանդիսատեսի համար նախատեսված հանգստի զվարճալի կազմակերպություններ, համաշխարհային ֆիրմաների խանութ-սրահներ, ժամանակակից հեռակոմունիկացիոն միջոցներով կահավորված տարբեր լրատվական ծառայություններ:
Գոտու տարածքում նախատեսվում է մարդատար անհատական տրանսպորտի միջոցների տարատեսակ կայանատեղեր, դրանց սպասարկման ծառայություններ: Բազմաֆունկցիոնալ օգտագործման գոտին, տեխնոպարկի ու քաղաքի հասարակական կենտրոնի միջև գտնվելով, կապահովի դրանց երկկողմանի համագործակցությունը:
ԱԲՈՎՅԱՆ ՔԱՂԱՔԻ ՏԱՐԱԾՔԻ ԿԵՆՏՐՈՆԱԿԱՆ ՄԱՍԻ ԳՈՏԵՎՈՐՈՒՄՆ ԸՍՏ ՀԻՄՆԱԿԱՆ ԳՈՐԾԱՌՈՒԹՅՈՒՆՆԵՐԻ
5.8 Աբովյանի տեխնոպարկի տարածքային կազմակերպում
Աբովյանի տեխնոպարկի տարածքային կազմակերպումը հիմնվում է տարիներ առաջ ձևավորված իրավիճակի վրա ու առաջնորդվում է ներկայիս տնտեսության առաջադեմ ոլորտների կազմակերպման հրամայականով և դրա առանձնահատկություններով:
Տեխնոպարկի տարածքային կազմակերպումը նախատեսվում է երկու հիմնական մասերից` տեխնոպարկի բանական մշակումների գոտուց և տեխնոպարկի արտադրական փորձարարական մշակումների մասից: Առաջինի տեղաբաշխման համար նախատեսվում է քաղաքի կենտրոնական մասից Երևան - Սևան հին ճանապարհին արևելքից հարող տարածքը: Այն մյուս կողմից հարակից է լինելու 5.7 բաժնում ներկայացված բազմաֆունկցիոնալ օգտագործման գոտուն և զբաղեցնելու է 13 հա: Տեխնոպարկի արտադրական փորձարարական մշակումների գոտին զբաղեցնելու է արևմտյան արդհանգույցի հյուսիսային հատվածը, որտեղ ժամանակին գործել են Հայաստանի էլեկտրոնային ոլորտի առաջատարներ` «Սիրիուս»-ը և այլ գործարաններ: Արևմտյան արդհանգույցի հարավային մասում կարող է զարգանալ մեքենաշինությունը, շինարարական ոլորտը` արտադրամասերով և գործարաններով, ինչպես նաև մեծածախ և մանրածախ առևտրի կազմակերպումը:
Տեխնոպարկի բանական մշակումների գոտում աշխատանքային կահավորմամբ հարմարավետ մակերեսներն ու տարածքը պետք է տրամադրվեն տարբեր, թե մեծ, թե փոքր, կազմակերպություններին, որպես վարձակալներ կամ բաժնետերեր, տարբեր օգտագործողներին կամ կիրառողներին` իրենց գործունեությունը ծավալելու համար: Տեխնոպարկը լավագույն պայմաններ պետք է տրամադրի տարբեր վարձակալներին կամ օգտագործողներին` գիտական, տեխնոլոգիական, դիզայներական և այլ ստեղծագործական աշխատանքների արդյունքում մշակված ծրագրերի, սարքերի-սարքավորումների կամ առարկաների փորձարարական նմուշների պատրաստման ու լրամշակման համար, դրանց կատարելագործումը հասցնելով մինչև բազմաքանակ արտադրության համար պիտանի ապրանքի:
Տեխնոպարկն իր միջավայրով, շենքերով ու շինություններով, հարմարավետ աշխատասենյակներով ու սրահներով, հեռահաղորդակցման սարքերով ու ցանցով, ինժեներական կահավորմամբ, պետք է պատրաստ լինի համապատասխան հնարավորություններ տրամադրել տարբեր հաճախորդներին (վարձակալ, օգտագործող)` ժամանակակից համաշխարհային առաջադեմ փորձը կիրառելու, նորագույն տեղեկատվական (համակարգչային, օպտիկամանրաթելային և այլ արագ և հուսալի կապի միջոցներ) սարքերի ու կահավորանքի տեղադրելու և շահագործելու համար: Այստեղ նշված որոշ օժանդակ ծառայություններ, հանգիստ, հասարակական սնունդ, հանգրվանում, տրանսպորտային, այլ սպասարկում և այլն մատուցելու համար կարող է ծառայել հարակից տարածքում նախատեսված բազմաֆունկցիոնալ օգտագործման գոտին:
Տեխնոպարկի հատկապես բանական մշակումների գոտին պետք է առավելագույնս բարեկարգ ու կանաչապատ լինի, ապահովի կիրառողներին բարենպաստ պայմաններ արդյունավետ աշխատանքի համար:
Տեխնոպարկի երկու գոտիներում պետք է կազմակերպվի տրանսպորտի ոչ տարանցիկ երթևեկություն: Ավտոմեքենաները, որպես կանոն պետք է հանգրվանեն ստորգետնյա կառույցներում, որպեսզի գետնի մակերևույթը ազատ և կանաչապատ լինի: Երկու գոտիների միջև կապը հիմնականում պետք է լինի հետիոտն, դրանց բաժանող ճանապարհի հատումը կատարվի շենքերի երկրորդ հարկի մակարդակով անցնող հետիոտն թեթև կամրջակների կամ երբեմն նաև ստորգետնյա անցումներով: Վերջինները միաժամանակ կարող են ուղղված լինել դեպի ստորգետնյա ավտոկայանատեղեր:
Տեխնոպարկի բանական մշակումների մասի կառուցապատման ճարտարապետական ծավալատարածական հորինվածքի եռաչափ պատկերը ներկայացված է հաջորդ էջերում:
Պատկեր 5.8-1 Երևան-Սևան խճուղու ապագան Աբովյան քաղաքում
Ձախից` շենքի ճակատին արևի մարտկոցներ
Պատկեր 5.8-2 Վաղվա (ձախից) և ներկա (աջից) պատկերների համադրությունը
Պատկեր 5.8-3 Տեխնոպոլիսի ճարտարապետական միջավայրի կազմակերպման օրինակ
Պատկեր 5.8-4 Տեխնոպոլիսի արտադրական մաս.
Շենքի պատերին տեղադրված են արևի մարտկոցներ
Պատկեր 5.8-5 Տեխնոպոլիսի արտադրական մասնաշենքի և դրա մուտքի կազմակերպման օրինակ
Պատկեր 5.8-6 Աբովյանում «Էքսպո-կենտրոնի» միջավայր. առաջարկություն
Պատկեր 5.8-7 Աբովյանում «Էքսպո-կենտրոնի» միջավայր. առաջարկություն
5.9 Բնակելի կառուցապատման տարածքային տեղաբաշխումն ու բնակարանային ֆոնդի տարատեսակների ընդարձակում
Աբովյանի բնակելի կառուցապատման տարածքային զարգացման սկզբունքը հիմնականում պահպանում է նախորդ գլխավոր հատակագծով որոշված հատակագծային կառուցվածքը: Սույն գլխավոր հատակագծով նպատակ է հետապնդվում արդիականացնել բնակարանային ֆոնդը, ընդլայնել տարատեսակների կազմը և ակտիվացնել բնակելի թաղամասերի և հասարակական կենտրոնի կապերը, ինչպես նաև ավելի արտահայտիչ դարձնել քաղաքային լանդշաֆտի բնական գեղատեսիլ բնույթը:
Դեռ նախորդ գլխավոր հատակագծով Աբովյանի բնակելի կառուցապատումը կազմակերպվեց միկրոշրջանների սկզբունքով, որոնք հարավից դեպի արևելք, իսկ հետո դեպի հյուսիս, հյուսիս-արևմուտք շրջանաձև շրջապատում էին քաղաքի հասարակական կենտրոնի տարածքը: Ներկայումս իրականացված են առաջին, երկրորդ, երրորդ և հիմնականում չորրորդ միկրոշրջանները: Դրանք ամբողջացած են բնակելի կառուցապատմամբ, ապահովված են մանկապարտեզների ու դպրոցական շենքերով: Չորրորդ միկրոշրջանի բնակելի կառուցապատումը չի համալրվել: Հինգերորդ միկրոշրջանի տարածքը բացարձակապես կառուցապատված չէ, իսկ վեցերորդում կառուցված է հանրակացարանային բարձրահարկ ու բազմաբնակարան հինգ շենք:
Առաջին միկրոշրջանը զբաղեցնում է 47.76 հա: Այն ձևավորվեց Էլար գյուղին հարակից` դեպի հյուսիս ընկած տարածքում և կառուցապատված է չորս-հինգ հարկանի բազմաբնակարան շենքերով: Աբովյանի առաջին միկրոշրջանը և հարակից «Սարի թաղ» թաղամասը գտնվում են հին Էլար բնակատեղիի հետ հարևանությամբ և հարակից են երկրորդ միկրոշրջանին, որը զբաղեցնում է 52.58 հա: Դրա կառուցապատման նախագիծը մշակվեց «Հայնախագիծ» ինստիտուտում ճարտարապետ Ա. Թարխանյանի ղեկավարությամբ:
Թվարկված խոշոր բնակելի զանգվածները համեմատաբար բարեկարգ են, ունեն կանաչ տարածքներ բազմամյա մեծ ծառերով, ինչն էկոլոգիապես արժեքավոր պետք է համարել:
Առաջին ու երկրորդ միկրոշրջանների միջև անցնող աղեղնաձև համաքաղաքային մայրուղու միջին հատվածում տարերայնորեն առաջացել է մի հավաքատեղի, որը բնակչության համար կատարում է քաղաքի կենտրոնի դերը: Այստեղ գոյացել են առևտրի և հասարակական սննդի մանր ու միջին օբյեկտներ: Այստեղ է նաև միջքաղաքային տրանսպորտի հավաքակայանը, որը միաժամանակ կատարում է ներքաղաքային հասարակական տրանսպորտի դերը:
Աբովյանի երրորդ միկրոշրջանի նախագծումը («Հայնախագիծ», ճարտարապետ Կարեն Ալեքսանյան) և իրականացումը կատարվել է սկսած 1980թ.: Այն զբաղեցնում է 23.9 հա և կառուցապատվում է բնակելի զանգվածը 9 հարկանի շենքերով, ունի առևտրի 2 մեծ հանրախանութ, խանութ-բացվածքներ, դպրոց և մանկապարտեզներ:
Անհրաժեշտ է բարեկարգել միջավայրը և կանաչ գոտիները, ազատել տարածքները տարերայնորեն գոյացած ժամանակավոր կառույցներից` ընդգրկելով նոր միջոցառումներ:
Չկառուցված մանկապարտեզի տարածքը ենթադրվում է հատկացնել անհատական, ցածրահարկ բնակելի տների կառուցման համար: Հարկավոր է վերանայել դպրոցների և մանկապարտեզների հզորությունները :
Աբովյանի 4-րդ միկրոշրջանի նախագծումը («Հայնախագիծ», ճարտարապետ Վահանդուխտ Երեղյան) կատարվել է սկսած 1984թ.-ից և մասնակի իրականացվել է հիմնականում բնակելի զանգվածի կառուցումով: Այն զբաղեցնում է 32.22 հա: Կառուցվել է մանկապարտեզի մեկ շենք, մյուսի մի մասը, վերջին տարիներին պահանջարկի բացակայության պատճառով, հատկացվեց ոչ նպատակային օգտագործման համար: Աբովյանի տարածքային զարգացման ընթացքում առաջարկված է դարձնել շարունակելի այս միկրոշրջանի կառուցապատումը: Այստեղ պետք է կարգի բերվի ոչ միայն ճանապարհային ցանցը` հարակից ավտոմեքենաների համար հատկացված հարթակներով, այլև կառուցապատման նախագծով նախատեսված, բնակիչներին անհրաժեշտ, առևտրի, մշակութային ու կենցաղային սպասարկման օբյեկտների իրականացումը, շինարարական նորմերի պահանջներին մոտեցնելով նշված օբյեկտների մատչելիության շառավիղները, նախադպրոցական և դպրոցական կառույցների ներկայիս ու սպասվող պահանջարկը, ճշտելով, ապահովել դրանց համար պահուստային տարածքները, բարեկարգել միջավայրը, կարգավորել ինժեներական ենթակառուցվածքների շահագործումը, և վերականգնել կանաչապատումն ու ծառապատումը, կառուցել ոռոգման ջրով ապահովման ցանցը:
Աբովյան քաղաքի գեղատեսիլ լանջը, որը բնական ամֆիթատրոնի նման սփռվում է ցածրադիր քաղաքային կենտրոնի շուրջ, հյուսիս-արևելքից երիզվում է հինգերորդ միկրոշրջանով: Այն զբաղեցնում է 23.2 հա: Մինչև 1988-90թթ. կատարվել է միկրոշրջանի կառուցապատման նախագիծ («Հայնախագիծ», ճարտարապետ Վահանդուխտ Երեղյան), որը ամբողջությամբ չի ավարտվել: Հինգերորդ միկրոշրջանի կառուցապատման նախագիծը մշակված է մարդու գործունեության և կյանքի համար բարենպաստ: Նախատեսված էին վեցից յոթ տիպի անհատական տներ, քոթեջներ, բնական թեք լանջերի վրա տեղադրվող «դուպլեքս» բնակարաններով տներ:
Ընդգրկված էին նաև չորս հարկանի բնակելի տներ, որոնց առաջին հարկերը նախատեսված էին բնակչության առաջնահերթ սպասարկման փոքր օբյետների տեղադրման համար: Վերին չորրորդ հարկերում կառուցվելու էին մանսարդային տիպի բնակարաններ: Այս տները, ունենալով ամբողջական մշակված ճարտարապետական ոճայնություն, իրենց մասշտաբով միջավայրը կդարձնեին ավելի ներդաշնակ և էսթեթիկ: Հիմնականում ունենալով 1-2 հարկանի անհատական կառուցապատման գոտիներ, տարածքն իր մեղմ, հանգիստ և խաղաղ միջավայրով, բնակության համար դառնում էր բարենպաստ: Նախատեսվում էին դպրոցներ, այդ թվում երաժշտական` արվեստի զարգացման բաժնով, և մանկապարտեզներ:
Գործելու էին նաև հասարակական, կուլտուր-կենցաղային օբյեկտներ` կից կանաչ գոտիներով:
Ցանկալի է հինգերորդ միկրոշրջանի նախագծում հիմք ընդունած քաղաքաշինական մոտեցումները և լուծումները շարունակել և լրացնել ժամանակակից հարցադրումներով:
Փոփոխման է ենթակա նախադպրոցական և դպրոցական կառույցների տարողունակությունը:
Աբովյանի քաղաքային կենտրոնի նկատմամբ դեպի հյուսիս, ըստ գլխավոր հատակագծի, տարածվում է վեցերորդ միկրոշրջանի տարածքը (41.9 հա), որն իր դիրքով «արևկող» է և առավել բարենպաստ է բնակելի կառուցապատման համար:
Տարածքը, որի նիշերը տատանվում են 1415.9-ից մինչև 1451.5 մ ծ.մ., ոչ մեծ թեքությամբ լանջ է` տեղ-տեղ հարթ հատվածներով: Տարածքի միջնամասով մեղմ, բայց տեղ-տեղ ժայռապատ ափերով, 6-10մ խորությամբ ձորակ է անցնում, որը կառուցապատման համար հարմար չէ և կարող է բարեկարգելուց ու կանաչ գոտի կազմակերպելուց հետո ծառայել բնակչության հանգստի համար:
Հաշվի առնելով ժամանակակից պայմանները, ինչպես նաև տարածքի բարենպաստ երկրաբանական և սեյսմիկ տվյալները, 6-րդ միկրոշրջանը առաջարկվում է կառուցապատել բազմաբնակարան, մասամբ բարձրահարկ (4-16 հարկ) բնակելի շենքերով, համադրելով երեք հարկանի քաղաքային` «թաունհաուս» տեսակի կցաշար կառուցապատմամբ: Գեղատեսիլ լանջերը ենթադրվում է կառուցապատել սակավահարկ անհատական տներով, որոնց գեղագիտական հատկանիշները ավելի կընդգծեն բնական պայմանների հմայքը:
Լանջը ուղղված է դեպի հարավ-արևելք և այդպիսով համապատասխանում է բնակեցման միջավայրի հանդեպ առաջադրվող նորմատիվային պահանջներին:
Վեցերորդ միկրոշրջանը պետք է ունենա դպրոց` իր մարզահրապարակով, և մանկապարտեզով նաև առաջնային սպասարկման կուլտուր-կենցաղային օբյեկտներ:
Գրավելով առանցքային դիրք քաղաքի կենտրոնի նկատմամբ, վեցերորդ միկրոշրջանը հետիոտն վերգետնյա անվտանգ անցումով պետք է կապվի դրա հետ: Այստեղ բնակիչները հնարավորություն կստանան անվտանգ հատելով քաղաքային նշանակության ճանապարհը, օգտվել հասարակական կենտրոնի օբյեկտներից, մասնակցել միջոցառումներին, մշակութային, հանգստի, զվարճալիքների, մարզական և առողջարարական օբյեկտներից:
Պետական բնակարանային շինարարության դադարեցումից հետո, յոթերորդ և ութերորդ միկրոշրջանները 90-ական թվականներին «Հայնախագծում», ճարտարապետ Վ. Բաբայանի կողմից մշակված մանրամասն հատակագծման նախագծով (այսուհետ՝ ՄՀՆ) վերջին տասնամյակում կառուցապատվեցին բնակիչների միջոցներով իրականացված, տնամերձ հողամասերով սակավահարկ տներով: Նշված միկրոշրջաններում չեն կառուցվել փողոցներն ու մայթերը: Ներկայումս միկրոշրջաններում բացակայում է ջրամատակարարման ցանցն ու կոյուղին: ՄՀՆ-ով դպրոցների և մանկապարտեզների համար նախատեսված տարածքները կառուցապատված չեն ըստ նպատակի: Այս միկրոշրջաններում տարածքային ռեզերվներ կան բնակելի կառուցապատման համար:
Ելնելով Աբովյանի կլիմայական, սեյսմիկ և այլ, բնակեցման համար ավելի բարենպաստ, քան Երևանում, պայմանների առկայությամբ, Աբովյան քաղաքի բնակելի կառուցապատման զարգացման հիմնախնդիրներից մեկը կայանում է բնակարանային տիպերի տեսականու լայն հնարավորություն ունեցող շուկայի ստեղծման մեջ: Այս խնդրում առավելապես կարևորվում է Աբովյանում տեխնոպարկի զարգացման պայմաններում, վերջինիս ծառայողական կոնտինգենտի համար բնակարանային պահանջարկի բավարարման համար տարատեսակ ընտրության հնարավորությունների ստեղծումը: Բնակարանային ֆոնդը կամ բնակարանների տեսակները պետք է իրենց կազմում ընդգրկեն լայն ընտրության հնարավորություններ: Բնակարանային տեսակները պետք է համապատասխանեն հիմնականում մտավորական աշխատանքով զբաղված մասնագետների տարատեսակ կազմին և տարաբնույթ պահանջարկին: Բնակելի կառուցապատման տարածքների որոշ մասերում կարող են ձևավորվել նաև մեկուսացված բնակարանային համալիրներ, որոնց մատչելիությունը կարգավորվում է համալիրի բնակչության պահանջներով:
Եզրահանգում
Ա. Աբովյանը քաղաքային բնակեցման համար ավելի բարենպաստ պայմաններ ունի, քան Արարատյան հարթավայրի, Հրազդանի սարահարթի կամ Սևանա լճի ավազանի քաղաքները` բնակլիմայական, քաղաքաշինական, ինժեներական ենթակառուցվածքների հագեցվածությամբ տարածքային ռեսուրսների առկայությամբ, ինչպես նաև բարենպաստ սեյսմիկ պայմաններով:
Բ. Երևանյան ագլոմերացիայի կազմում առաջադեմ զարգացման ռեժիմով բնակավայրի վերստեղծումն ու արդիականացումը համահունչ է նաև Երևանի գերծանրաբեռնվածությունը սահմանափակելու հրամայականին:
Գ. Աբովյանի բնակարանային ֆոնդի հեռանկարային զարգացումը պետք է նպատակաուղղվի ինչպես նոր տարատեսակ բնակարանների ստեղծմանը, այնպես էլ գոյություն ունեցող բնակարանային ֆոնդի արդիականացմանը, վերափոխմանն ու բարելավմանը:
Դ. Բնակեցման համար Աբովյանի գրավչությունը բարձրացնելու համար կպահանջվի քաղաքի բնակարանային շուկայի լայն տեսականու ստեղծում, Երևանի համեմատ բնակարանային շուկայում ավելի նպաստավոր պայմանների կիրառման միջոցով:
Պատկեր 5.9-3 Սակավահարկ կառուցապատման օրինակ - Առաջարկություն
Պատկեր 5.9-4 Բազմաբնակարան կառուցապատման օրինակ - Առաջարկություն
Պատկեր 5.9-5 բարձրակարգ` ներքին սպասարկման ծառայություններով բնակելի համալիր. Առաջարկություն
5.10 Ճանապարհատրանսպորտային ցանցի զարգացում և հետիոտն շարժման ուղիների կազմակերպում
Աբովյանի համաքաղաքային մայրուղային փողոցների ցանցը աղեղնաձև շառավղային է: Երկու օղակաձև փողոցները «հենվում» են Երևան-Սևան հին խճուղուն, որն այժմ շահագործվում է որպես 3-1 հանրապետական նշանակության ճանապարհ, և ունեն աղեղնաձև տեսք:
Քաղաքի մայրուղային փողոցների ցանցը գոյություն ունեցողներից հաջողվածներից է հանրապետությունում: Բավական է միայն նշել, որ օղակներից յուրաքանչյուրը ունի երթևեկության վեց շերտ, լայն մայթերով և բնակելի տարածքներից մեկուսացված լայն ու ծառապատ սիզամարգերով: Կիսաօղակների հատումները շառավղային մայրուղիների հետ իրականացված են շրջանագծային (օղակային) ուրվագծով, ինչը հատկապես խրախուսելի է բնակավայրերում անվտանգ երթևեկության կազմակերպման համար:
2006թ. սեպտեմբերին ինստիտուտը, որը կազմակերպել է քաղաքի մայրուղային փողոցներով տրանսպորտային միջոցների երթևեկության հաշվառում, ինչի արդյունքները բերված են թիվ 1 աղյուսակում:
Թիվ 5.6-1 աղյուսակում բերված տվյալների հիման վրա կարելի է անել այն եզրակացությունը, որ բանուկ են քաղաքի հարավային մասի փողոցները, որոնց բեռնվածության մակարդակը կազմում է 0.32-0.47:
Դա նշանակում է, որ այդ փողոցներն արդեն աշխատում են մասնակի կապակցված ռեժիմով, իսկ տաս տարի անց` 2016-ին, որոշ փողոցներ կաշխատեն բեռնվածության հագեցած ռեժիմով և այդ փողոցների խաչմերուկներում կարող է առաջանան երթևեկության խցանումներ: Թիվ 1 աղյուսակի 8 և 9 սյունակներում բերված է Աբովյան քաղաքի մայրուղային փողոցներով սպասվող անցուդարձը (2016 թ.) երթևեկության տարեկան 10% աճի հաշվարկով: Որոշ փողոցների բեռնվածության մակարդակի աճը կբերի հագեցած ռեժիմով աշխատանքի: Հնարավոր է, որ խցանումներն ավելի շուտ գոյանան, քանի որ ավտոմոբիլացման ներկայիս տեմպերի պարագայում փողոցների աջ շերտերը կզբաղեցնեն կայանած ավտոմոբիլները և փողոցների երթևեկային շերտերը կպակասեն:
Համաքաղաքային նշանակության փողոցային ցանցի գումարային երկարությունը կազմում է 16.45 կմ (գծագրում դրանք նշված են կապույտ գույնով):
Պահպանելով Աբովյան քաղաքի առաջին գլխավոր հատակագծով նախատեսված տարածքային զարգացման ուղղությունը, առաջարկված է քաղաքի նոր թաղամասերը իրականացնել հյուսիսային հատվածներում ներկայումս չօգտագործվող հողերը: Տրանսպորտի աշխատանքի կարգավորման համար հեռանկարում նախատեսվում է ստեղծել լրացնող ճանապարհներ տեխնոպարկի (արևմտյան արդյունաբերական հանգույցի ու գործարար կենտրոնի) սպասարկման և արտաքին կապերը հստակեցնելու համար` դրանով կտրուկ նվազեցնելով աղեղնաձև հին խճուղու հետ կազմող խաչմերուկների սպասվող բեռնվածությունը:
Ներկայումս Աբովյան քաղաքը Մ-4 միջպետական նշանակության մայրուղու հետ կապված է միայն մեկ ուղիով: Ապագայում նախատեսվում է նաև քաղաքի հյուսիսային մասը միացնել այդ մայրուղուն` հանրապետական նշանակության Հ-2 ճանապարհի ուղղությամբ: Եթե հետագայում արտաքին օղակով տրանսպորտի երթևեկությունն ավելի աշխուժանա, հնարավոր է նաև այդ ուղղության Երևան-Սևան երկաթուղու հետ փոխհատման տեղում կառուցել երկմակարդակ գետնանցում: Մեծ աղեղնաձև փողոցի սահմաններում, երկաթուղու աջ եզրով, համապատասխան պահանջի հասունացման պարագայում, առաջարկված է կառուցել բեռնամարդատար ճանապարհ, որը բաշխիչ դեր կկատարի տեխնոպարկի, արևմտյան արդյունաբերական հանգույցի ու գործարարական կենտրոնի սպասարկման և երկաթուղու երկարությամբ դրանց արտաքին կապերը հստակեցնելու համար: Կենտրոնական փողոցներով ավտոտրանսպորտային հոսքերի առկա և կանխատեսելի ցուցանիշները տես 5.9-1 աղյուսակում:
Աղյուսակ 5.9-1
|
Փողոցներ և հատվածներ |
Երկարությունը,մ |
Լայնությունը,մ |
Հոսքերի ցուցանիշներ, մեքենա/ժամ և բեռնվածության աստիճանը | |||||
|
Երթևեկելի |
Մայթ և սիզամարգ |
2006 թ. |
2016 թ. | |||||
|
ավտոմ/ ժամ |
բեռնվ. աստիճ. |
ավտոմ/ ժամ |
բեռնվ. աստիճ. | |||||
|
1 |
I հատված |
600 |
4x3.5 |
2.5 |
792 |
0.33 |
1867 |
0.78 |
|
|
II հատված |
750 |
4x3.5 +1.5 |
5.0 և 6.0 |
620 |
0.31 |
1462 |
0.73 |
|
|
III հատված |
600 |
4x3.5 +1.5 |
6.0 |
522 |
0.26 |
1231 |
0.62 |
|
|
IV հատված |
425 |
4x3.5 +1.5 |
6.0 |
300 |
0.15 |
707 |
0.35 |
|
|
V հատված |
425 |
4x3.5 +1.5 |
6.0 |
144 |
0.07 |
336 |
0.17 |
|
|
VI հատված |
750 |
7.0 և 14.0 |
6.0 |
88 |
0.09 |
208 |
0.21 |
|
|
VII հատված |
520 |
7.0 |
- |
42 |
0.04 |
117 |
0.12 |
|
2 |
I հատված |
360 |
7.0 |
1.0 և 1.5 |
324 |
0.32 |
764 |
0.76 |
|
|
II հատված |
1160 |
7.0 |
1.0 և 1.5 |
216 |
0.22 |
509 |
0.51 |
|
|
III հատված |
740 |
7.0 |
1.0 և 1.5 |
204 |
0.20 |
481 |
0.48 |
|
3 |
I հատված |
570 |
6x3.5 +1.5 |
11.0 |
1068 |
0.36 |
2518 |
0.84 |
|
|
II հատված |
600 |
6x3.5 +1.5 |
11.0 |
852 |
0.28 |
2009 |
0.67 |
|
|
III հատված |
780 |
6x3.5 +1.5 |
11.0 |
1128 |
0.38 |
2660 |
0.89 |
|
|
IV հատված |
750 |
6x3.5 +1.5 |
1.0 |
540 |
0.18 |
1273 |
0.42 |
|
|
V հատված |
1480 |
7.0 և 14.0 |
- |
20 |
0.02 |
47 |
0.05 |
|
4 |
I հատված |
270 |
4x3.5 +1.5 |
5.0 |
433 |
0.22 |
1021 |
0.51 |
|
|
II հատված |
1100 |
4x3.5 |
2.5 |
386 |
0.19 |
910 |
0.46 |
|
5 |
I հատված |
360 |
7.0 |
3.0 և 7.0 |
86 |
0.09 |
203 |
0.20 |
|
|
II հատված |
360 |
7.0 |
3.0 և 7.0 |
468 |
0.47 |
1105 |
1.11 |
|
6 |
I հատված |
360 |
10.0 |
4.0 և 13.0 |
528 |
0.35 |
1245 |
0.83 |
|
|
II հատված |
340 |
7.0 |
1.5 |
82 |
0.08 |
194 |
0.19 |
|
7 |
|
500 |
4x3.5 +1.5 |
7.5 |
540 |
0.27 |
1273 |
0.64 |
|
8 |
|
630 |
6x3.5 +1.5 |
11.0 |
180 |
0.06 |
424 |
0.14 |
|
9 |
|
650 |
14.0 |
5.5 |
288 |
0.14 |
679 |
0.34 |
|
10 |
I հատված |
520 |
6x3.5 +1.5 |
11.0 |
204 |
0.07 |
471 |
0.16 |
|
|
II հատված |
940 |
6x3.5 +1.5 |
11.0 |
156 |
0.05 |
369 |
0.12 |
|
|
III հատված |
430 |
6x3.5 +1.5 |
11.0 |
84 |
0.03 |
198 |
0.07 |
Համաքաղաքային նշանակության փողոցների երկարությունը հետագայում կաճի 4.1 կմ-ով և ընդհանուր առմամբ կկազմի 20.55 կմ:
Ինչպես վերը նշվեց, արդեն 2016 թվականին քաղաքի որոշ փողոցներում տրանսպորտի երթևեկությունը կհասնի առավել թողունակությանը: Այս պատճառով 1-ին, 2-րդ և 3-րդ հանգույցներում նպատակահարմար կլինի կառուցել տարբեր մակարդակներով փոխհատումներ: Փոխհատման ուրվագիծը պետք է ճշտվի այդ հանգույցներում տրանսպորտային հոսքերի ուսումնասիրության հիման վրա:
Աբովյանի ճանապարհատրանսպորտային համակարգի հեռանկարային զարգացման ընթացքում խցանումների և վտանգավոր իրավիճակներից խուսափելու նպատակով առաջարկվում է առաջին հերթին կատարել տարբեր բնույթի տրանսպորտային հոսքերի ճանապարհային ցանի տարաբաշխում:
Այս նյութատար ծավալուն ճանապարհաշինարարական աշխատանքներից խուսափելու համար առաջարկվում է կազմակերպել բեռնատար տրանսպորտի հոսքերն ուղղել արտաքին ճանապարհներից դեպի արևմտյան արդյունաբերական հանգույց` խիստ նվազեցնելով դրանց մուտքը քաղաքի բնակելի գոտի:
Կարևոր նշանակություն ունի քաղաքի տարածքից տարանցիկ և բեռնատար տրանսպորտի հոսքերի նվազեցումը: Հարավային արդհանգույցի բեռնատար տրանսպորտը ու դրանով անցնող մոտակա գյուղական համայնքներից տարանցիկ անցնող տրանսպորտը քաղաքի բնակելի գոտուն որևէ վնաս չի պատճառում: Արևմտյան արդհանգույցի բեռնատար տրանսպորտը, արդյունաբերության վերագործարկման դեպքում, ինչպես արդեն նշվեց, որոշ հանգույցներում վթարային իրավիճակի պատճառ կարող է դառնալ հետագայում:
Այս պատճառներից դրդված, սույն գլխավոր հատակագծի կազմում մշակվեց արևմտյան արդհանգույցի թիկունքային մասում որոշ չափով խտացնել ճանապարհների ցանցը, դրա արտաքին ուղղությունը կապելով Երևան-Սևան Մ-4 միջպետական նշանակության ավտոմայրուղու հետ: Այսպիսով հնարավորություն է ստեղծվում խիստ նվազեցնել բեռնատար տրանսպորտի հոսքերը հին ճանապարհի այն խաչմերուկներում, որոնցից մուտք է կատարվում դեպի քաղաքի բնակեցման գոտի:
Ինչ վերաբերվում է քաղաքի բնակելի գոտուն, ապա այն հիմնականում ունի հարմարավետ հատակագծային լուծում: Համաքաղաքային նշանակության փողոցները ընդգրկում են քաղաքի բոլոր մասերը: Բնակելի կառուցապատման տարածքները նմանապես ունեն տեղական երթևեկության համար ճանապարհներ: Միաժամանակ խնդիր է ծագում որոշ հատվածներում կազմակերպել հորդառատ տեղումներից և ձնհալից առաջացող ջրային զանգվածների հեռացում: Դրա համար հարկավոր է կարգավորել այդ հատվածներում հեղեղատար կոյուղու կառուցումը և խցանումներից պարբերաբար մաքրում:
Նոր կառուցապատման համար նախատեսված թաղամասերում հարկավոր է հատուկ ուշադրություն դարձնել ներքին ճանապարհային ցանցին ու տարածքի ռելիեֆի համապատասխանությանը, որպեսզի ապահովվի մակերևութային ջրերի կազմակերպված ինքնահոս հեռացումը:
Կարևոր նշանակություն ունի քաղաքի տարածքում հետիոտն շարժման ուղիների կազմակերպումը: Տարածքի ռելիեֆն ու տարիներ առաջ ձևավորված ճանապարհահատակագծային կառուցվածքը դրական դեր կատարելով, ավտոտրանսպորտի երթևեկությունը կազմակերպելու համար, որոշակի բարդացնում է բնակելի թաղամասերից համաքաղաքային նշանակության հասարակական կենտրոնի հետիոտն մատչելիությունը: Բնակելի թաղամասերից դեպի համաքաղաքային հասարակական կենտրոն ամենակարճը շառավիղային ուղղություններն են, որոնք հատում են առնվազն մեկ համաքաղաքային նշանակության փոքր աղեղնաձև մայրուղի, որը շրջապատում է հասարակական կենտրոնի տարածքը: Հետիոտն ուղիների ավտոմայրուղու հետ հատումը բացառելու համար, օգտագործելով ռելիեֆի առանձնահատկությունը առաջարկվում է` հասարակական կենտրոնի հարավային մասում կառուցել ստորգետնյա անցումներ, իսկ արևելյան ու հյուսիսային մասերում վերգետնյա թեթև ժամանակակից կոնստրուկցիաներով և դիզայնով հետիոտն կամրջակներ, որոնք ավելի կհարստացնեն քաղաքային միջավայրի ընկալումը, որոշակի ռիթմ ստեղծելով փոքր աղեղնաձև ավտոմայրուղիով երթևեկելիս:
5.11 Լանդշաֆտի կազմակերպումն ու կանաչապատ տարածքների համակարգի ստեղծումը
Աբովյանի տարածքային զարգացման կարևոր խնդիրներին է դասվում կանաչապատ տարածքների վերականգնման և ընդարձակման խնդիրը:
Կանաչ տարածքների` տնկիների, պուրակների, զբոսայգիների, փողոցային ծառատունկերի և տնկարանների խնամքի համար անհրաժեշտ է կատարել` ծառուղիների նորոգում և վերակառուցում, կանաչ տարածությունների ստեղծման, պահպանման և խնամքի համապատասխան միջոցառումների պարբերական կազմակերպում, ոռոգման ցանցի ու վաքերի նորոգում և փոխարինում նորերով, գոյություն ունեցող զբոսայգիներում և այլ տեղերում ծառուղիների ու վաքերի կառուցում, սիզամարգերի ձևավորում ու նորոգում, ծաղկանոցների և վարդանոցների պատրաստում, զբոսայգիներում կանաչ տնկումների վերականգնում, լճակների և առուների մաքրում, լրացուցիչ առուների փորում, ձմեռային սեզոնին սիզամարգերի ձյան փխրեցում և ցրում, փոցխով մաքրում, գարնանային սնուցում, ջրում, քաղհանում, հնձում, ամառային սնուցումներ, աղբի և թափված տերևների հավաքում, ծառուղիների վաղ գարնանային տոփանում սահադաշտով եզրերի խուզում և վաքերի մաքրում, ավլում, ջրցանում, ձյան հեռացում, ավազի ցանում:
Աբովյան քաղաքի կառուցապատված մասերում պահպանվել է նախկինում իրականացված կանաչապատումն ու ծառապատումը, սակայն տարածքի տարբեր մասերում առկա են բաց, չկառուցապատված և չբարեկարգված հողահատվածներ: Առաջարկվում է այդ տեղերում ստեղծել քաղաքային զբոսայգիներ և պուրակներ: Գոյություն ունեցող կանաչապատ համակարգի պահպանման հետ զուգընթաց սույն գլխավոր հատակագծով նախատեսվում է նաև կանաչապատման մեծածավալ տարածքային զարգացում:
Այդ նպատակների համար առաջարկված է օգտագործել`
● Էլար գյուղին հարող մեծ բլուրի շուրջ 35 հա տարածքը, որը նպատակահարմար է դարձնել քաղաքային անտառայգի, անվանելով այն «Դարանի»` հնագույն համանուն բնակատեղիի անունով, որպեսզի այն ծառայի բնակչության կարճատև հանգստի կազմակերպման համար և պահպանի հնագույն անցյալի նկատմամբ տարբեր սերունդների հիշողությունը, որտեղ առկա են ՀՀ պատմության և մշակույթի հուշարձանների պահպանման պետական ցանկում ընդգրկված` «Դարանի» ամրոցը, միջնաբերդն ու դամբարանադաշտերը, բոլորը վերագրվում են Ք.ա 3-1 հազարամյակներին, 1851թ. կառուցած Սբ. Ստեփանոս եկեղեցին ու 19-րդ դ. զանգակատունը, 12-13 դ.դ., խաչքարերն ու 1612 թ. տապանաքարերը, ինչպես նաև 2-րդ աշխարհամարտի ռազմագերիների գերեզմանոցը: Տարածքում առկա պատմամշակութային ժառանգության օբյեկտների, քաղաքի կանաչապատված համակարգում ընդգրկումը, առավելապես կնպաստի դրանց պահպանման խնդիրների լուծմանը: Այսպես քաղաքի հարավային մասում կառաջանա հանգստի, պատմության ու մշակույթի պահպանման կենտրոն, որը միաժամանակ կնպաստի քաղաքի օդի մաքրության պահպանմանն ու շրջակա միջավայրի բարելավմանը:
● հասարակական կենտրոնի տարածքն արևելքից երիզող, 22 հա-ից ավելի զբաղեցնող լանջը, Աբովյան քաղաքի գեղատեսիլ լանդշաֆտի առանձնահատկություններից մեկը, որի հարավային մասում, Գ.Ծառուկյանի հանգանակությամբ, ներկայումս ընթանում է Սբ. Գրիգոր Լուսավորիչ քաղաքային եկեղեցու շինարարությունը:
● քաղաքային գերեզմանոցի ու բնակելի թաղամասի միջև 300 մ լայնությամբ սանիտարապաշտպանիչ գոտու կանաչապատումը կարող է բավարարել հարավարևելյան թաղամասերի բնակչության հանգստի համար կանաչապատ տարածքների նկատմամբ պահանջը,
● քաղաքի սահմաններում առկա ջրհավաքների ու փոքր ձորակների տարածքները, ինչը կնպաստի բուսական ու կենդանական աշխարհի պահպանման համար բարենպաստ պայմանների ապահովմանը:
Աղյուսակ 5.10-1
Կանաչ զանգվածների առկա և հեռանկարային ցուցանիշները
|
հհ |
Կանաչ զանգվածների նշանակությունը |
Ընդհանուր կանաչ զանգված | |||
|
առկա |
հեռանկարային | ||||
|
հա |
մ2/մարդ |
հա |
մ2/մարդ | ||
|
1. |
Ընդհանուր օգտագործման |
8,6 |
1,93 |
84.12 |
14.0 |
|
2. |
Սահմանափակ օգտագործման |
146 |
32,73 |
194 |
32,33 |
|
3. |
Հատուկ նշանակության |
12,4 |
2,75 |
17.36 |
2.89 |
|
|
ԸՆԴԱՄԵՆԸ |
167 |
37,11 |
295.48 |
49.25 |
«Դարանի» պատմամշակութային հուշահամալիրի բարձունքը Պատկեր 5.10-1
5.12 Ինժեներական ենթակառուցվածքներ
Ինժեներական ենթակառուցվածքների ուրվագծերը նախագծելու համար, որպես ելակետային տվյալներ օգտագործվել են`
- Աբովյան քաղաքի ներկայացվող նոր գլխավոր հատակագծի հորինվածքը, կատարված «Հայնախագիծ» ԲԲԸ-ի կողմից
- ՀՀ «Հայջրմուղկոյուղի» ՓԲԸ «հյուսիս-արևմտյան» տարածքային մասնաճյուղի «Աբովյան» տեղամասի տվյալները (20.06.06թ. N 12-06) քաղաքի ջրամատակարարման և ջրահեռացման առկա վիճակի վերաբերյալ
- ՀՀ Էլեկտրական ցանցեր ՓԲԸ «Գեղամա» մասնաճյուղի «Աբովյան» էլեկտրացանցի տվյալները (21.07.06թ. N 533) քաղաքի էլեկտրամատակարարման առկա վիճակի վերաբերյալ
- «Հայռուսգազարդ» ՓԲԸ և «Աբովյան» մասնաճյուղի գլխավոր տվյալները գազամատակարարման և գազաֆիկացման առկա վիճակի վերաբերյալ (14.06.06թ. N ARC-05-15/1807 19.06.062. N 20.12.02/174)
- ՀՀ առողջապահության նախարարության պետական հիգիենիկ և համաճարակային տեսչության Կոտայքի մարզային կենտրոնի գրավոր տվյալները Աբովյան քաղաքի սանիտարահիգիենիկ վիճակի վերաբերյալ (26.06.06թ. N 01- 147):
5.12.1 Ջրամատակարարման նորմերը և հաշվարկային ժամանակաշրջանի ջրապահանջն ու ջրահեռացման քանակը
Ջրամատակարարումը նախատեսվում է բնակչության խմելու, տնտեսակենցաղային, արտադրական այն ձեռնարկությունների համար, որոնց արտադրական կարիքների համար անհրաժեշտ է խմելու որակի ջուր, ինչպես նաև հակահրդեհային կարիքների բավարարման համար: Բնակչության մեկ մարդու միջին օրական ջրապահանջի քանակը ներկայումս ընդունված նորմերի կազմում է 200լ/օր:
Չունենալով արտադրական ձեռնարկությունների արտադրանքի տեսականու և քանակի վերաբերյալ տվյալներ, որոնք հիմնականում չեն գործում, արտադրական կարիքների համար պահանջվող խմելու որակի ջրի քանակը ընդունվում է բնակչության հաշվարկային ջրապահանջի 25%:
Հակահրդեհային կարիքների համար պահանջվող ջրաքանակը հաշվարկված է համաձայն գործող նորմերի պահանջների 50-100 հազ. բնակչությամբ բնակավայրերի համար միաժամանակյա արտաքին հրդեհների քանակը երեք 2x35 լ/վրկ, ներքին հրդեհին 2x2.5լ/վրկ, արտադրական ձեռնարկությունների համար 30լ/վրկ բնակավայրերի ընդհանուր ջրապահանջը:
Հակահրդեհային նպատակների համար ընդհանուր ջրապահանջը կազմում է 2 x 35 + 2 x 2.5 + 30 + 2.5 = 110լ/վրկ: Հրդեհի տևողությունը ընդունվում է երեք ժամ: Q= (110 x 3 x 3600) / 1000 = 1188խմ
Հակահրդեհային ջրաքանակի վերականգնումը Օ.Կ.Ջ.-ում 24 ժամվա ընթացքում, որի համար անհրաժեշտ է Q= (1188 x 1000) / 24x 3600 = 14լ/վրկ: Այդ նպատակով ընդհանուր ջրամատակարարման պահանջարկում հաշվարկված է 14լ/վրկ լրացուցիչ քանակ: Խմելու, տնտեսական, արտադրական ձեռնարկությունների և հակահրդեհային կարիքների համար պահանջվող միջին օրական ջրաքանակի և հեռացման ենթաքանակի հաշվարկը բերվում է ստորև բերվող 5.9.1-1 աղյուսակում:
աղյուսակ 5.9.1-1
|
N |
Ջրասպառողներ |
Ջրասպառողների հաշվարկային քանակ հազ. մարդ |
Ջրասպառման հաշվարկային նորման, լ/օր |
Ջրապահանջ |
Ջրահեռացում | ||
|
Մ3/օր |
լ/վրկ |
մ3/օր |
լ/վրկ | ||||
|
1 |
Բնակչություն |
60.0 |
200 |
12000 |
139 |
10800 |
125 |
|
2 |
Արտադրական ձեռնարկ. |
- |
- |
1200 |
14.0 |
950 |
11.0 |
|
3 |
Հակահրդեհային կարիքներ |
- |
- |
1200 |
14.0 |
- |
- |
|
|
Ընդամենը |
- |
- |
14400 |
167 |
11750 |
136 |
|
4 |
Կորուստներ և չնախատեսվ. ծախսեր |
- |
- |
6171 |
42 |
- |
- |
|
|
ամբողջը |
- |
- |
20571 |
230 |
11750 |
136 |
Արդյունաբերական ձեռնարկությունների պահանջարկը հետագայում կարիք ունի ճշգրտման, քանի որ ներկայումս չեն գործում:
Ըստ կատարված հաշվարկների հեռանկարային ժամանակաշրջանի համար Աբովյան քաղաքի խմելու որակի ջրապահանջը կազմում է 230լ/վրկ (20571 մ3/օր) հեռացման ենթակա կեղտաջրերի քանակը 136 լ/վրկ (11750 մ3/օր) քաղաքի հեռանկարային զարգացման խմելու որակի ջրի պահանջարկը ինչպես այժմ, այնպես էլ հետագայում կբավարարվի ջրամատակարարման գործող համակարգով, Հրազդանի շրջանի «Մաքրավան -4» աղբյուրներից ընդհանուր հզորությունը 400-500լ/վրկ:
Կեղտաջրերը ինչպես ներկայումս կլցվեն «Չարենցավան-Երևան» կոլեկտորը:
5.12.2 Ջրամատակարարման համակարգը և գոտիները
Աբովյան քաղաքի ջրամատակարարման համակարգը կենտրոնացված է բնակչության խմելու, կենցաղային, արտադրական և հակահրդեհային ջրապահանջները բավարարելու մեկ ջրատարով: Քաղաքի կառուցապատված և կառուցապատման տակ դրվող տարածքների նիշերի տարբերությունից և ռելիեֆային պայմաններից, ջրմուղի ցանցում անհրաժեշտ թույլատրելի ճնշում և պահանջվող ջրաքանակ ապահովելու համար քաղաքի ջրամատակարարման գործող ցանցը բաժանված է երկու գոտիների յուրաքանչյուրը իրենց Օ.Ջ.Կ.-ով:
- Առաջին գոտու ջրամբարների ծավալը 4x2000 = 8000մ3, իսկ հատակի նիշը 1557մ:
- Երկրորդ գոտու ջրամբարների ծավալը 3x3000 = 9000մ3, որից մեկը չի գործում:
Այսպիսով գործող ջրամբարների ընդհանուր ծավալը կազմում է 14000 մ3:
Ըստ կատարված հաշվարկների Աբովյան քաղաքի հեռանկարային շուրջօրյա ջրամատակարարման համար պահանջվող ջրաքանակ պաշարելու համար անհրաժեշտ է ունենալ 14300 մ3 ընդհանուր տարողությամբ Օ.Կ.Ջ-ներ:
Կարգավորման ծավալ`Wկ = 20571 x 0.3 = 6171 մ3
Հակահրդեհային պահանջներ` Wհ.հ = 1200 մ3
Վթարային ծավալ` Wվ = (20571 x 8)/24 = 6857 մ3
Պահանջվող ընդհանուր ծավալը` Wընդ. = 6171+1200+6875 = 14228 մ3
Այսպիսով գործող ջրամբարների ծավալները բավարարում են հեռակա զարգացման ժամանակաշրջանի պահանջներին:
5.12.3 Նախագծային առաջարկություններ
- Քաղաքի ջրամատակարարման վիճակը բարելավելու համար հիմնանորգման ենթարկել ներքին բաշխիչ օղակային ցանցը, հիդրավլիկական հաշվարկներով: Ճշգրտել ցանցի պահանջվող անհրաժեշտ ջրաքանակը և տրամագծերը:
- Ջրամատակարարման գլխավոր կառույցների և Օ.Կ.Ջ.-ի սանիտարական գոտիների պահանջվող վերանորոգման և վերակառուցման աշխատանքներ` բարեկարգում և կանաչապատում:
- Անհատական ջրաչափերի տեղադրում բոլոր սպառողների մոտ:
- Ջրի որակի նկատմամբ ամենօրյա լաբորատոր հսկողություն:
- բնակավայր չկոյուղացված տարածքների կոյուղացում N 7-8 միկրոշրջանների և Էլար թաղամասի որոշ հատվածների:
- Գործող կոյուղու ցանցի հիմնանորոգում և վերակառուցում
- Արտադրական ձեռնարկությունների տեխնիկական կեղտաջրերի նախնական մաքրում, որից հետո միայն լցնել քաղաքի կոյուղու ցանցի մեջ:
5.12.4 Էլեկտրական բեռնվածքների հաշվարկը հաշվարկային ժամանակաշրջանի համար
Առավելագույն հզորությունների քանակի որոշման համար հիմք է հանդիսացել ներկայացվող գլխավոր հատակագծի տվյալները, ըստ որոնց Աբովյան քաղաքի բնակչության հեռանկարային ժամանակաշրջանի քանակը 60.0 հազար է:
Հաշվարկային առավելագույն հզորությունը հաշված է որպես հզորությունների գումար`
- կոմունալ-կենցաղային պահանջների, հասարակական, կուլտուր-կենցաղային շինությունների, ինչպես նաև արտաքին լուսավորության:
- արդյունաբերական ձեռնարկությունների բեռնվածությունների, կոմունալ-կենցաղային, հասարակական, կուլտուր-կենցաղային շինությունների, արտաքին լուսավորության, ինչպես նաև ինժեներական ենթակառուցվածքների պահանջարկների հաշվարկը կատարված է համաձայն գործող նորմերի, ըստ որի մեկ մարդուն տարեկան հասանելիք էլեկտրաէներգիայի խոշորացված ցուցանիշով, որը ընդունված է 2000 կՎտ/ժամ, իսկ տարվա ընթացքում օգտագործվող ժամերի քանակը` 5700 ժամ:
- արդյունաբերական ձեռնարկությունների կողմից պահանջվող էլեկտրաէներգիայի քանակը հետագայում կճշտվի, քանի որ հիմնականում չեն գործում, տվյալներ նրանց արտադրանքի, տեսականու, քանակի վերաբերյալ չկան:
Ըստ կատարված նախնական հաշվարկների հեռանկարային զարգացման ժամանակաշրջանի համար պահանջվող էլեկտրաէներգիայի պահանջվող հզորությունը կազմում է. 35.2 ՄՎԱ, որից` կոմունալ-կենցաղային կարիքների համար` 27.3 ՄՎԱ, արտադրական կարիքների համար` 7.9 ՄՎԱ:
Վերը նշված էլեկտրաէներգիայի պահանջարկը կբավարարվի ինչպես ներկայում, այնպես էլ հեռանկարային ժամանակաշրջանի ընթացքում, կբավարարվի գործող «Աբովյան», «Էլար-1», «Էլար-2» և «Գարեջուր» բարձր լարման իջեցնող ենթակայաններից, որոնց ընդհանուր հզորությունը 114.3 ՄՎԱ է:
աղյուսակ 5.9.4-1
Աբովյան քաղաքի էլեկտրաէներգիայի գումարային պահանջարկի հաշվարկը` զարգացման հաշվարկային ժամանակաշրջանի համար
|
հհ |
սպառողները |
քանակ հազ. |
մեկ մարդուն պահանջվող էլ. էներգիայի քանակը կՎտ/ժամ/տ |
էլ. էներգիայի գումարային ծախսը հազ.կՎտ/ժամ/տ |
տարվա մեջ օգտագործ. ժամերը |
մաքսիմալ պահանջվող հզորությունը կՎտ |
|
1. |
բնակչությունը |
60.0 |
2000 |
120000.0 |
5700 |
21000.0 |
|
2. |
կորուստներ, չնախատեսված |
|
|
36000.0 |
|
6300.0 |
|
ընդամենը |
|
|
156000.0 |
|
27300.0 | |
|
3. |
արտադրություն |
|
|
35000.0 |
|
7900.0 |
|
ամբողջը |
|
|
|
191000.0 |
|
35200.0 |
5.12.5 Էլեկտրական նախագծային առաջարկություններ
- Էլեկտրամատակարարման համակարգի արդիականացում, վերազինում ժամանակակից պահանջներին համապատասխան:
- համակարգի համապատասխանեցումը անվտանգության տեխնիկայի պահանջներին:
- էլեկտրաէներգիայի անխափան մատակարարումը ապահովելու համար համակարգում նախատեսվում է իրականացնել բաշխիչ կետերի միջոցով: 10/0. կՎտ լարման ցանցային ենթակայանների անցումը երկտրանսֆորմատորային կայանների:
- կառուցապատման տակ դրվող նոր թաղամասերի համար անհրաժեշտ 10/0. կՎտ ցանցային ենթակայանների և 10 կվ և 0.4 կվ լարման ցանցի կառուցման նախագծանախահաշվարկային կատարում և իրականացում:
- փոխանակման ենթակա հենասյուների և 10 և 0.4 կվ լարման մալուխային գծերը:
- բարձր լարման օդային գծերի տեղափոխումը կառուցապատված և կառուցապատման ենթակա տարածքներից, այդ նպատակի համար հատկացված պահպանիչ գոտիներով:
5.12.6 Գազի ծախսը հաշվարկային ժամանակաշրջանի համար
Գազի ընդհանուր պահանջարկի նախնական հաշվարկները կատարելիս հաշվի է առնված բնական գազով ապահովումը.
- բոլոր բնակելի և հասարակական նշանակության և այլ շենքերի (կրթական, առողջապահական, մշակութային) և ջեռուցման կարիքների պահանջարկի բավարարում:
Բնակչության տաք ջրամատակարարման և սննդի պատրաստման համար անհրաժեշտ պահանջները.
- հասարակական նշանակության օբյեկտների և բնակչության կենցաղային սպասարկման համար անհրաժեշտ պահանջները:
- Արտադրական ձեռնարկությունների ջեռուցման օդափոխության և տեխնոլոգիական կարիքների համար անհրաժեշտ պահանջները:
Ըստ կատարված նախնական հաշվարկների հեռանկարային զարգացման ժամանակաշրջանի համար գազի տարեկան պահանջարկը 32.0 մլն. խ.մ. է, որից`
- կոմունալ-կենցաղային կարիքների համար` 9.0 մլն. խ. մ
- արտադրական ձեռնարկություններինը` 23.0 մլն. խ. մ:
Արտադրական ձեռնարկությունների պահանջարկը կարիք ունի ճշգրտման, քանի որ ներկայումս հիմնականում չի գործում: Գազամատակարարման աղբյուր ինչպես ներկայումս, այնպես էլ հետագայում կլինի «Սևան-Երևան» բարձր ճնշման գազատարը:
5.12.7 Նախագծային առաջարկություններ
Ներկայացվող գլխավոր հատակագծի ուրվագծով քաղաքի բնակչության կենցաղային, տնտեսական, ինչպես նաև արտադրական կարիքների բավարարման համար ջերմային աղբյուր է հանդիսանում բնական գազը:
- գազափոխադրման համակարգի վերակառուցման և վերազինման, միջբակային ցանցի անվտանգ շահագործումը և հուսալիության բարձրացում,
- գազամատակարարման ներտնային ցանցի տեխնիկական վիճակի բարելավման ծխաօդատար ուղիների հաճախակի ստուգումներ,
- ներբնակարանային գազամատակարարումը պետք է ապահովի բաժանորդի հաշվարկային ջերմապահանջը սննդի պատրաստման, տաք ջրամատակարարման և ջեռուցման կարիքները, ինչպես նաև փաստացի գազասպառման ճշգրիտ և թափանցիկ հաշվառում,
- ներկայացվող գլխավոր հատակագծի ուրվագծով նախատեսվում է կառուցապատման տակ դրվող տարածքների գազամատակարարման նախագծանախահաշվարկային փաստաթղթերի կատարում և իրականացում:
5.12.8 Ջերմամատակարարում
Մինչև 1990 թվականը քաղաքում գործել է կենտրոնացված ջերմային համակարգը: Քաղաքի բնակելի թաղամասերի և հասարակական շենքերի ջեռուցման համար գործել են կենտրոնական կաթսայատներ ջերմային կենտրոններով: Ներկայումս քաղաքի կենտրոնացված ջերմային համակարգը, ամբողջ արտաքին անանցանելի բաշխիչ ջերմային ցանցերը, հանգույցները երկար տարիներ չեն գործել, քայքայվել են, շարքից դուրս են եկել, սպառել օգտագործման գերնորմատիվային ժամկետները` գործունեության ընթացքում ջերմային ցանցերում կորուստները հասնում էին 30-40 %-ի և որպեսզի անհրաժեշտ ջերմաստիճանի ջերմություն հասնի սպառողին, հարկավոր էր լրացուցիչ նույնքան ավելի գազ այրել կաթսայատներում, որը իր հերթին բերում էր լրացուցիչ գումարային ծախսի ավելացնելով նաև օդի աղտոտվածությունը:
Եթե անգամ վերականգնվեն ջերմային աղբյուրները, միևնույնն է, ջերմային անանցանելի ցանցերում կորուստները այնքան մեծ են, որ շուկայական հարաբերությունների ժամանակ հնարավոր չէ վերականգնել: Անհրաժեշտ է լրիվ կերպով վերակառուցել ջերմային ցանցերը այն հաշվով, որ ջերմային կորուստները կազմեն մինչև 10%, որը հնարավոր է միայն ինժեներական գծերի, ինչպես նաև ջերմամատակարարման խողովակների համար ստեղծել անցանելի կանալներ, որպեսզի հնարավոր լինի մշտական հսկողություն սահմանել, որը կպահանջի շատ մեծ կապիտալ ներդրումներ և բացի այդ որոշակի տարածք, որը քաղաքի փողոցները և մայթերը չեն կարող ապահովել, քաղաքաշինական նորմերի պահանջները: Աբովյան քաղաքի բազմաբնակարան մինչև հինգ հարկանի շենքերի ջեռուցումը նախատեսվում է կենտրոնացված խումբ շենքերի համար կառուցելով համապատասխան հզորությամբ կաթսայատուն սպասարկվող տարածքի կենտրոնական մասում, արտաքին ջերմային փոքր ցանցերով: Հնարավոր է նաև ջերմության սպառող առանձին շենքերի կտուրներում տեղադրելով փոքր հզորության կաթսայատուն: Տաք ջրի ստացումը իրականացվում է էլեկտրականության կամ գազասարքավորումների միջոցով:
Ցածրահարկ բնակելի շենքերի և առանձնատների ջեռուցումը բնակարանային փոքր հզորությամբ կաթսայատներով կամ գազի վառարաններով, տաք ջրի ստացումը` գազասարքավորումների միջոցով:
5.12.9 Ջերմամատակարարման նախագծային առաջարկություններ
Աբովյան քաղաքում տարածքային զարգացման ընթացքում ջերմամատակարարումը պետք է նախատեսվի տարբերակված համակարգերով`
1. Մինչև հինգհարկանի բազմաբնակարան շենքերի խմբի ջեռուցումը իրականացնել կենտրոնացված` մեկ համապատասխան հզորության կաթսայատնից կարճ, բակային ջերմային ցանցով: Տաք ջրի ստացումը գազի կամ էլեկտրական անհատական սարքերի օգտագործմամբ:
2. Բարձրահարկ, 9-12 և ավելի հարկանի բազմաբնակարան շենքերի ջեռուցումը առաջարկվում է իրականացնել լոկալ համակարգով առանձին շենքերի տանիքներում տեղադրելով համապատասխան հզորության կաթսաներ` բացառելով արտաքին ջերմային ցանցը, կորուստների նվազեցման համար: Տաք ջրի ստացումը` էլեկտրական անհատական սարքերի օգտագործմամբ:
3. Սակավահարկ կառուցապատման թաղամասերում անհատական տների կամ քոթեջների ջեռուցումը` բնակարանային փոքր հզորության կաթսաներով կամ գազավառարաններով, տաք ջրի ստացումը գազի կամ էլեկտրական անհատական սարքերի օգտագործմամբ:
5.12.10 Կապը
Աբովյան քաղաքի հեռախոսային կապը իրականացվում է «Արմենտել» ՓԲԸ «Աբովյան» մասնաճյուղի կողմից, ավտոմատ կայանի հզորությունը 14.0 հազ. համար, որից գործում է 8.0 հազ. համար:
5.12.11 Անձրևաջրերի հեռացում
Անձրևաջրերի արտանետումը նախատեսված է անձրևաջրերի կոյուղուց դեպի գոյություն ունեցող ջրանցք, որի ջրերը նետվում են Հրազդան գետ:
Արտաքին անձրևաջրերի ցանցը նախատեսված է ունենալ փակ տիպի: Մակերևույթից հոսող անձրևաջուրը հավաքվում է ջրահեռացման վաքերում և հատուկ ջրհոր-անձրևաընդունիչների միջոցով մղվում ստորգետնյա ջրահեռացման ցանց:
Անձրևաջրերի կոյուղացման ցանցի հաշվարկը կատարվում է սահմանային ինտենսիվությունների մեթոդով`
ՇՆ և Կ NP- b-b2
y մջ. . A . F
Qp = ----------------------------------- n, որտեղ
(tխտաց.+ tփող.+ tտևողություն)
y - անձրևահոսի միջին գործակից
F - անձրևահոսի հաշվարկային մակերես, հա
t - անձրևահոսքի մակերևութային խտության ժամանակ, հավասար է 10 րոպեի
(համաձայն ՇՆ և Կ II Г 6.-62 § 2.10)
t փողոցային - անձրևաջրերի հոսքի տևողությունը փողոցային վաքից մինչև անձրևաընդունիչ:
t տևողություն - անձրևաջրերի հոսքի ընդհանուր տևողությունը կոլեկտորի հաշվարկային հատվածներում, որն հավասար է
n- պարամետր, որն Աբովյանի համար հավասար է - 0, 55
A = 20n q 20/ I + ClgP /, որտեղ
q 20- տվյալ տեղանքի անձրևի ինտենսիվությունն է
P - անձրևաջրերի հաշվարկային ինտենսիվության միանգամյա գերազանցման պարբերությունն է, արտահայտված տարիներով, հավասար է 1.
C-տարածաշրջանի կլիմայական հատկությունները հաշվի առնող գործակից, հավասար է 0, 85
A= 200,55 x 65/ 1+ 0,85lg1/ = 330,0
P= 330,0
Անձրևահոսքի միջին գործակցի որոշումը
|
Ծածկույթի բնութագիրը |
մակերես հա |
անձրևահոսքի գործակից |
անձրևահոսքի միջին գործակից |
|
Կանաչապատում (սիզամարգ) |
270 |
0,10 |
|
|
ճանապարհային ծածկույթ |
97,5 |
0,9 |
|
|
շենքեր և այլ տարածքներ |
800 |
0,9 |
0,63 |
|
Q հաշվ. / 1 հա = |
0,63 x 330 | = |
0,63 x 330 |
= | 210 |
= 4 K/ վբկ. |
|
200,55 |
5,1 | 5,1 |
Անձրևաջրերի կոյուղացման ցանցը նախատեսված է ունենալ կերամիկական, ասբոցեմենտի և պողպատի խողովակներից` 250 փ 1200 մմ. տրամագծով:
Գ լ ու խ 6
Շրջակա միջավայրի բարելավման ԵՎ պահպանման միջոցառումները ԵՎ կանխատեսումային ցուցանիշները
6.1 Մթնոլորտային օդի պահպանություն
Հեռանկարում մթնոլորտ վնասակար արտանետումների աղբյուրներ են հանդիսանում արտադրական ձեռնարկությունները, ավտոտրանսպորտի և էներգետիկայի օբյեկտները:
Ներկա դրությամբ, օդային ավազանի վիճակով տարածքը գնահատվում է բարենպաստ, անտրոպոգեն ազդեցությամբ գերիշխում են հիմնականում թույլ ազդեցության գոտիները, հիգիենիկ վիճակով՝ օդային ավազանի աղտոտվածությունը որևէ վտանգ չի հարուցում:
Քանի որ քաղաքի տնտեսական զարգացումը հստակ պլանավորված չէ, ապա ընդունված է, որ Աբովյան քաղաքի արդյունաբերական ձեռնարկությունները հեռանկարում կդիտվեն որպես օդային ավազանը աղտոտող աղբյուրներ: Ընդունված է, որ հեռանկարում այդ ձեռնարկությունները կշահագործվեն ունեցած հզորությունների 60-80%-ով: Այդ պատճառով մթնոլորտ արտանետվող վնասակար արտանետումների տարեկան քանակները կավելանան:
Արդյունաբերական ձեռնարկությունների և վնասակար արտանետումների գերակայությունների ցանկը բերված է 6.1-1 և 6.1-2 աղյուսակներում:
Աղյուսակ 6.1-1
|
հհ |
Արդյունաբերական ձեռնարկությունների անվանում |
Համախառն արտանետումներ տ/տարի |
Դասը |
ՍՊԳ, մ |
|
1 |
Կահույքի ֆ-ա |
9,7 |
V |
50 |
|
2 |
«Կոտայք» գարեջրի գ-ն |
25,4 |
V |
50 |
|
3 |
Մեքենաշինական (կարտինգ) |
15,74 |
V |
50 |
|
4 |
Կոշիկի ֆ-ա |
10,51 |
V |
50 |
|
5 |
Երկաթբետոնյա կոնստր. գ-ն |
11,7 |
IV |
100 |
|
6 |
«Թամարա» ՍՊԸ |
6,42 |
V |
50 |
|
7 |
Հացի գործ-ներ |
6,9 |
V |
50 |
|
8 |
Ռադիո գ-ն |
1,71 |
V |
50 |
|
9 |
«Ռ. Օսիպյան» ՍՊԸ Ապակի |
5,04 |
IV |
100 |
|
10 |
«Սիրիուս» գ-ն |
2,57 |
V |
50 |
|
11 |
ԱՏՁ |
10,07 |
V |
50 |
|
12 |
«Դինամո» տրիկոտաժի ֆ-ա |
0,9 |
V |
50 |
|
13 |
«Զորեղ Վարդան» մարզահամալիր |
1,88 |
- |
- |
|
14 |
Կարի ֆաբրիկա |
0,6 |
V |
50 |
|
15 |
Ամինաթթուների արտադրության գ-ն |
0,44 |
V |
50 |
|
16 |
Սրբիչների ֆ-ա |
0,4 |
V |
50 |
|
17 |
«Վյակ» նավթաբազա |
1,42 |
- |
30 |
|
18 |
«Մուլտի Ստոուն» արտ-մաս |
0,07 |
V |
50 |
|
|
Ընդամենը |
111,5 |
|
|
Աղյուսակ 6.1-2
|
հհ |
Գերակայող վնասակար արտանետումների անվանումը |
Արտանետումների տարեկան քանակը, տ |
Վտանգավորության դասը |
|
1 |
Ազոտի օքսիդներ |
10,87 |
2 |
|
2 |
Էթիլացետատ |
10,5 |
4 |
|
3 |
Քսիլոլ |
6,85 |
3 |
|
4 |
Ֆորմալդեհիդ |
1,0 |
2 |
|
5 |
Նատրիումի կարբոնատ |
0,9 |
- |
|
6 |
Բենզին |
0,9 |
4 |
|
7 |
Ավազի փոշի |
10,57 |
3 |
|
8 |
Յուղի աերոզոլներ |
0,79 |
- |
|
9 |
Դեսմոդոտ |
0,015 |
- |
|
10 |
Եռակցման աերոզոլ |
7,0 |
3 |
|
11 |
Երկաթի օքսիդներ |
0,5 |
3 |
|
12 |
Կապարի օքսիդներ |
0,003 |
1 |
|
13 |
Մանգանի օքսիդներ |
0,1 |
2 |
|
14 |
Աբրազիվ և մետաղական փոշի |
4,8 |
3 |
|
15 |
Ածխածնի օքսիդ |
42,79 |
4 |
|
16 |
Հիմքեր |
0,075 |
- |
|
17 |
Փայտափոշի |
4,0 |
3 |
|
18 |
Ցեմենտ |
1,2 |
3 |
|
19 |
Ամմիակ |
0,66 |
4 |
|
20 |
Էթիլ սպիրտ |
5,6 |
4 |
|
21 |
Տոլուոլ |
0,6 |
3 |
|
22 |
Ածխաջրածիններ |
1,2 |
4 |
|
23 |
Դիզվառելիք |
0,43 |
- |
|
24 |
Աղաթթու |
0,054 |
2 |
|
25 |
Քացախաթթու |
0,03 |
3 |
|
26 |
Ծծմբային անհիդրիդ |
0,021 |
3 |
|
|
ԸՆԴԱՄԵՆԸ |
111,5 |
|
Քաղաքի աճին համապատասխան ավելանում է նաև ավտոտրանսպորտի միավորները, դրանց սպասվող արտանետումների քանակը բերված է 6.1-3 աղյուսակում:
Աղյուսակ 6.1-3
|
հհ |
Ավտոտրանսպորտի տեսակների անվանումը |
Աղտոտող նյութերը, տ/տարի | |||
|
Ածխածնի օքսիդ |
Ազոտի օքսիդներ |
Ածխաջրածիններ |
Ընդամենը | ||
|
1 |
Բեռնատար |
524,8 |
46,5 |
118,4 |
689,7 |
|
2 |
Ավտոբուսներ |
352,2 |
15,7 |
43,8 |
411,7 |
|
3 |
Մարդատար |
130,2 |
7,7 |
17,7 |
155,6 |
|
4 |
Ընդամենը |
1007,23 |
69,9 |
179,9 |
1257,0 |
Աբովյան քաղաքում նախկինում գործող կենտրոնացված ջեռուցման համակարգը չի գործում: Ամբողջ ջերմային ցանցերը, հանգույցները երկար տարիներ չգործելու հետևանքով քայքայվել, շարքից դուրս են եկել, սպառել գերնորմատիվային ժամկետները: (Մանրամասը նայել 3.212.4 Ջերմամատակարարում):
Աբովյան քաղաքի ջերմամատակարարումը նախատեսվում է իրականացնել՝
● Ցածր հարկայնությամբ սեփական տներինը՝ անհատական
● Բարձրահարկ շենքերինը՝ երկու կամ երեք շենքերի համար փոքր հզորության ժամանակակից կաթսայատներով:
Քաղաքի օդային ավազանի աղտոտման հիմնական աղբյուրների և տնտեսությանը հասցված վնասի բնութագրերը բերված են աղյուսակ 4-ում:
Աղյուսակ 6.1-4
|
Անվանումը |
Արտանետումներ տ/տարի ներդրման % |
Տնտեսությանը հասցված վնասը, հազ. դրամ/տարի |
|
Արդյունաբերական ձեռնարկություններ |
111,5 / 8,0 |
19706,8 |
|
Ավտոտրանսպորտ |
125,0 / 89,0 |
42018,5 |
|
Կաթսայատներ |
38,3 / 3,0 |
3126,7 |
|
Ընդամենը՝ |
1406,8 / 100 |
64852,0 |
Հեռանկարում նույնպես գերակայող կլինեն կահույքի, գարեջրի, մեքենաշ(կարտինգ) և կոշիկի արտադրությունները:
Արդյունաբերական ձեռնարկություններից սպասվում է տարեկան 111,5տ արտանետումներ, ավտոտրանսպորտից հեռանկարում (ավտոտրանսպորտի ներկա աճի պահպանման դեպքում) կկազմի 1257,0տ:
Կաթսայատներից մթնոլորտ արտանետումների քանակը հեռանկարում կկազմի տարեկան 28,3տ` ի հաշիվ բնակչության և արդյունաբերական ձեռնարկությունների նախատեսված ջերմամատակարարման համակարգի շահագործման:
Ավտոտրանսպորտի արտանետումները կհայտնվեն 1-ին տեղում և կկազմեն ամբողջ արտանետումների 89%-ը, արդյունաբերությունը՝ 8%, կաթսայատներինը՝ 3%: Մթնոլորտ արտանետումներից տնտեսությանը հասցված տնտեսական վնասը կկազմի 6,4մլն. դրամ: Տնտեսական վնասը արդյունաբերությունից և ավտոտրանսպորտից կավելանա 1,3-1,7 անգամ, իսկ կաթսայատներից՝ կնվազի 1,2 անգամ ի հաշիվ նոր, ժամանակակից կաթսայատների շահագործման:
6.2 Մթնոլորտային օդի աղտոտվածության կանխատեսվող մակարդակները
Հեռանկարում քաղաքի տարածքային զարգացմանը զուգահեռ, ավելանում են նաև մթնոլորտ վնասակար արտանետումների աղբյուրները՝ ձեռնարկություններ, ավտոտրանսպորտ, էներգետիկայի օբյեկտներ (կաթսայատներ): Օդային ավազանի վրա սպասվելիք բեռնվածության որոշման և մթնոլորտ արտանետումների հիմնական աղբյուրների (արդյունաբերական ձեռնարկություններ և կաթսայատներ) բացահայտման համար կատարված է մթնոլորտում վնասակար արտանետումների ցրման հաշվարկներ՝ «Ռադուգա» ծրագրով, համաձայն OHD1-84: Վնասակար արտանետումների համար կատարված է նաև R պարամետրի հաշվարկ և համաձայն դրա ցրման հաշվարկներում հաշվի են առնված այն վնասակար նյութերը, որոնց համար R>5 (12,13): Հաշվարկների արդյունքում որոշվում են մթնոլորտի աղտոտվածության մակարդակը ՍԹԿ միավորներով և ցրման արեալները: Ավտոտրանսպորտի արտանետումների համար (ազոտի օքսիդներ, ածխածնի օքսիդ), կատարված է մթնոլորտային օդի աղտոտվածության երկարաժամկետ կանխատեսում համաձայն (20): Հաշվարկների արդյունքները բերված են 6.2-1 աղյուսակում :
Ինչպես երևում է 6.2-1 աղյուսակից, արդյունաբերական ձեռնարկություններից և կաթսայատներից արտանետումների մաքսիմալ մերձգետնյա կոնցենտրացիաները չեն գերազանցում սահմանված նորմերը: Ավտոտրանսպորտի արտանետումներից ածխածնի օքսիդի արտանետումները գերազանցում են սահմանված նորմերը 1,53 անգամ:
Այդ կապակցությամբ սույն գլխավոր հատակագծի նախագծում նախատեսված են մի շարք միջոցառումներ արդյունաբերական ձեռնարկությունների, կաթսայատների և ավտոտրանսպորտի արտանետումների նվազեցման համար:
Աղյուսակ 6.2-1
|
հհ |
Անվանումը |
Մաքսիմալ մերձգետնյա կոնցենտրացիաները ՍԹԿ միավոր | ||
|
Արդյունաբերական ձեռնարկություններ, կաթսայատներ |
Ավտոտրանսպորտ |
Արդ. ձեռնարկություններ, կաթսայատներ, ավտոտրանսպորտ | ||
|
1 |
Գումարային խումբ՝ ընդամենը փոշի |
0,921 0,379 |
- |
0,921 0,379 |
|
2 |
Փոշի |
0,769 0,228 |
- |
0,769 0,228 |
|
3 |
Աբրազիվ և մետաղական փոշի |
0,037 |
- |
0,037 |
|
4 |
Ածխածնի օքսիդ |
0,015 |
1,53 0,76 |
1,545 0,775 |
|
5 |
Ազոտի օքսիդներ |
0.336 0,156 |
0,12 0,06 |
0,456 0,216 |
|
6 |
Ցեմենտի փոշի |
0,126 |
|
0,126 |
|
7 |
Էթիլացետատ |
0,278 |
|
0,278 |
|
8 |
Քսիլոլ |
0,150 |
|
0,150 |
|
9 |
Փայտափոշի |
0,094 |
|
0,094 |
|
10 |
Ամմիակ |
0,46 |
|
0,46 |
|
11 |
Ածխաջրածիններ |
0,14 |
|
0,14 |
|
12 |
Նատրիումի կարբոնատ |
0,64 |
|
0,64 |
6.3 Շրջակա միջավայրի պահպանությանն ուղղված միջոցառումներ
Առաջնահերթ օդապահպանական նպատակներով նախատեսվում են տեխնոլոգիական և սանիտարա-տնտեսական բնույթի միջոցառումներ՝
1. Արդյունաբերական ձեռնարկությունների համար`
● հզորությունների աճին զուգընթաց տեխնոլոգիական հոսքագծերի և սանիտարատեխնիկական արդիականացում
● շինարարական արդյունաբերական ձեռնարկություններում ուժեղացնել հսկողությունը փոշու անկազմակերպ արտանետումների կանխման համար
● ելնելով մթնոլորտային օդի ցրման հատկություններից (աղյուսակ 4) առաջարկվում են զարգացնել էլեկտրոնիկայի, էլեկտրատեխնիկական և այլ ճյուղերի արտադրություններ
● մթնոլորտի աղտոտվածության դիտարկման և վերահսկման համակարգի կատարելագործումը
● նոր արդյունաբերական ձեռնարկությունների համար տարածքի հատկացումը «Աբովյան» արդյունաբերական հանգույցում՝ պահուստային տարածքներից, ելնելով այն հանգամանքից, որ արդյունաբերական ձեռնարկությունների կենտրոնացումը հանգույցում վնասակար թափոնների օգտագործման և վնասազերծման լավ պայմաններ կապահովի:
2. Ավտոտրանսպորտի համար`
● լավացնել ճանապարհների ծածկույթը;
● ավտոմեքենաների տեխնիկական վիճակի վրա վերահսկման ուժեղացում և վառելանյութի որակի վերահսկում
● քաղաքի հասարակական տրանսպորտի համար ֆիքսված կանգառների նախատեսում և դրանց վերահսկում
● ավտոճանապարհների եզրագծով իրականացնել լրացուցիչ անտառատնկում, ավտոտրանսպորտի արտանետումների վնասակար ազդեցության նվազեցման համար: Արտանետումների քանակը նվազում է 50%-ով:
3. Էներգետիկայի օբյեկտների համար`
● քաղաքի բնակելի հատվածում նախատեսել ժամանակակից կաթսայատներ բարձր ՕԳԳ-ով, գազի այրման լավացված ռեժիմով, ինչը կնպաստի վնասակար նյութերի մթնոլորտ արտանետումների նվազեցմանը
● արդյունաբերական ձեռնարկությունների կաթսայատներում հին կաթսաների փոխարինումը նոր արտասահմանյան կաթսաներով: Արդյունքում ազոտի օքսիդների արտանետումները կնվազեն 3 անգամ:
Վնասակար նյութերի մաքսիմալ մերձգետնյա կոնցենտրացիաները օդապահպան միջոցառումներից հետո բերված են նույնպես աղյուսակ 6.2.1-ում - հայտարարում:
Ինչպես երևում է 6.2.1 աղյուսակից, օդապահպան միջոցառումներից, քաղաքի մթնոլորտում աղտոտվածության մակարդակները կկազմեն ՍԹԿ միավոր, ինչը գտնվում է բնակելի գոտու համար սահմանված նորմերում և սանիտարահիգիենիկ նորմատիվներով հիմնականում վտանգ չի հարուցում:
6.4 Մթնոլորտում աղտոտող նյութերի ցրման պայմանների հաշվառումը
Աղտոտման մակարդակների գնահատականը և մթնոլորտում ցրման պայմանների հաշվառումը կատարված է համաձայն (7):
Դրանից ելնելով, հաշվարկված է աղտոտող նյութի մոտավոր քանակը (Mp), որը կարելի է արտանետել (կամ կրճատել) մթնոլորտ: Մթնոլորտային օդի ցրման հատկությունների պահուստը (դեֆիցիտ) (BP) և աղտոտող նյութերի մոտավոր քանակը տրված են 6.4-1 աղյուսակում:
Հիմնականում, բացի փոշուց, մնացած նյութերի համար Mp > M□ հետևաբար այդ նյութերի համար դեռ կարելի է ավելացնել արտանետումների քանակը՝ Mp - M□ չափով:
Աղյուսակ 6.4-1
|
հհ |
Անվանումը |
BP մ3 /վրկ |
Արտանետման մոտավոր արժեքը, Mp գ/վրկ |
Փաստացի արտանետումը MФ գ/վրկ |
Mp - MФ գ/վրկ |
|
1 |
Ազոտի օքսիդներ |
56596 |
2,26 |
1,09 |
1,17 |
|
2 |
Քսիլոլ |
7366 |
1,47 |
0,26 |
1,21 |
|
3 |
Ավազի փոշի |
-3551 |
-0,53 |
0,88 |
0,35 |
|
4 |
Աբրազիվ և մետաղական փոշի |
4739 |
0,71 |
0,1 |
0,61 |
|
5 |
Ածխածնի օքսիդ |
42900 |
128,7 |
3,3 |
125,4 |
|
6 |
Փայտափոշի |
491 |
0,024 |
0,18 |
0,15 |
|
7 |
Էթիլացետատ |
5963 |
0,59 |
0,24 |
0,35 |
Ծանոթություն՝ «-» նշանակում է մթնոլորտային օդի ցրման հատկությունների դեֆիցիտ: Պահանջվում է կրճատել մթնոլորտ արտանետվող նյութի քանակը:
6.5 Տարածքի համալիր էկոլոգիական գնահատականը
Տարածքի համալիր գնահատականը տրված է (2)-ի հիման վրա: Տարածքի համալիր գնահատականը տրված է տեղանքի կլիմայական պայմանների, մթնոլորտային օդի աղտոտվածության մակարդակի, արդյունաբերական պոտենցիալի, բնակչության և ավտոտրանսպորտի խտության ցուցանիշների հաշվառմամբ:
Օդային ավազանի գնահատականը անտրոպոգեն ազդեցությամբ, հիգիենիկ իրավիճակով և տարածքի համալիր գնահատականը բերված է 6.5.1աղյուսակում:
Աղյուսակ 6.5-1
|
Անվանումը |
Գնահատականը |
Աղտոտման մակերեսը բնակելի գոտում, հա | ||
|
Անտրոպոգեն ազդեցությամբ |
Հիգիենիկ իրավիճակով |
Տարածքի համալիր գնահատականը | ||
|
1 գոտի |
Թույլ ազդեցության գոտի |
վտանգ չի հարուցում |
բարենպաստ |
910 |
Անտրոպոգեն ազդեցության թույլ գոտին կազմում է 910 հա:
Հիգիենիկ իրավիճակով տարածքը վտանգ չի հարուցում: Տարածքի համալիր գնահատականը մնում է բարենպաստ:
6.6 Մակերևութային ջրերի պահպանություն
Հեռանկարում Հրազդան գետի աղտոտվածության վրա ազդեցություն կգործեն՝
1. Աբովյան քաղաքի արդյունաբերական ձեռնարկությունները: Հզորությունների աճի հետ մեկտեղ կավելանա Աբովյան քաղաքի տնտեսակենցաղային կոյուղի թափվող արտադրական հոսքաջրերի քանակը՝ 0,3հազ. մ3/օրից դառնալով 1,0 հազ. մ3/օր: Ձեռնարկությունների դասակարգումը ըստ վնասակարության ինդեքսի կստանա գրաֆիկում պատկերված տեսքը: Քանի որ առաջնակարգ տեղերում կգերիշխեն սննդի և դեղորայքի արտադրության ձեռնարկությունները, ապա առանց նախնական մաքրման արտադրական հոսքաջրերի արտահոսքը տնտեսակենցաղային կոյուղու ցանց կգերազանցի կախյալ նյութերի, ԹԿՊ-ի օրգանական նյութերի, ԹԿՊ-ի համար Երևան քաղաքի կենսաբանական մաքրման կայանի պահանջները, ինչը կավելացնի գետի աղտոտվածության մակարդակը Արարատյան հարթավայրի հատվածում:
2. Աբովյան քաղաքի տնտեսակենցաղային հոսքաջրերը:
Բնակչության աճի հետ մեկտեղ ավելանում է նաև հոսքաջրերի քանակը՝ օրական 2,7 հազ. մ3-ից դառնալով 10,8 հազ. մ3:
Քաղաքի անձրևային հոսքաջրերը:
Քանի որ արդյունաբերական ձեռնարկությունների համար նոր տարածքներ չեն ավելանում, ապա ձեռնարկությունների տարածքից Հրազդան գետ թափվող մաքրման ենթակա անձրևաջրերի քանակը կմնա անփոփոխ՝ 697 հազ. մ3/տարի:
Արդյունաբերական ձեռնարկություններում ջրապահպան միջոցառումների բացակայությունը կհանգեցնի Չարենցավան-Երևան կոլեկտոր թափվող աղտոտող նյութերի կանխատեսվող կոնցենտրացիաների ցուցանիշները բերված են աղյուսակ 7.1-ում:
Աղյուսակ 7.1
|
հհ |
Աղտոտող նյութեր |
Երևան քաղաքի մաքրման կայան հոսքաջրերի արտահոսքի պայմանները մգ/լ |
«Չարենցավան-Երևան» կոլեկտոր թափվող աղտոտող նյութերի կոնցենտրացիան մգ/լ |
|
1 |
Կախյալ մասնիկներ |
215 |
201 |
|
2 |
ԹԿՊլրիվ |
240 |
260 |
|
3 |
ԹՔՊ |
360 |
390 |
|
4 |
Քլորիդներ |
350 |
150 |
|
5 |
Սուլֆատներ |
500 |
320 |
|
6 |
Ամոնիակային ազոտ |
- |
20 |
|
7 |
Երկաթ |
0.5 |
1.25 |
|
8 |
Ցինկ |
1 |
0.3 |
|
9 |
Նավթամթերք |
20 |
1.2 |
|
10 |
Մակերևութաակտիվ նյութեր |
20 |
13.4 |
|
11 |
Ճարպեր |
50 |
34.5 |
Ինչպես երևում է աղյուսակից, եթե արդյունաբերական ձեռնարկությունները աշխատեն 60% հզորությամբ, ապա առանց նախնական մաքրման արտադրական հոսքաջրերի արտահոսքը Չարենցավան-Երևան կոլեկտոր կհանգեցնի ԹԿՊլրիվ, ԹՔՊ, երկաթի կոնցենտրացիաների գերազանցմանը Երևանի կեղտաջրերի մաքրման կայանի պահանջներից՝ Cփաստ>CԹՍ
Ձեռնարկությունների բնութագիրը աղտոտվածության ծավալով
| ИВ
կմ3/տարի | |||||||||||
|
0,1 | |||||||||||
|
1 |
0,0087 | ||||||||||
|
2 |
0.0075 | ||||||||||
|
3 |
0.0051 | ||||||||||
|
4 |
0.0048 | ||||||||||
|
5 |
0.00375 | ||||||||||
|
6 |
0.0032 | ||||||||||
|
7 |
0.0029 | ||||||||||
|
8 |
0,001 | ||||||||||
|
9 |
0,00032 | ||||||||||
|
10 |
0,0002 | ||||||||||
|
11 |
| ||||||||||
|
Ջրմուղ կոյուղի |
Գարեջրի «Կոտայք» գործարան |
Ամինաթթուների գործարան |
«Սավա» հյութերի գործարան |
Ավտոբազա |
«Թամարա» գործարան |
Դեղորայքի գործարան |
«Սիրիուս» գործարան |
«Մուլտի Ստոուն» |
Հացի գործարան |
Ապակե տարաների գործարան |
Ձեռն. անվանումը |
6.7 Անձրևաջրերի արտահոսքի հետևանքով Հրազդան գետի աղտոտվածության կանխատեսելի մակարդակը
Անձրևաջրերի արտահոսքն իրականացվում է անձրևային կոյուղու համակարգով:
Անձրևաջրերի ընդհանուր քանակը կազմումէ 697 հազ. մ3/տարի:
Անձրևաջրերի հոսքաջրերի հետ Հրազդան գետ թափվող վնասակար նյութերի տարեկան քանակները կկազմեն՝
կախյալ մասնիկներ - 557,6տ (800մգ/լ)
նավթամթերք - 3,485տ (5մգ/լ)
ԹԿՊ20 - 27,88տ (40 մգՕ2/լ)
Հրազդան գետի աղտոտման հետևանքով տնտեսությանը հասցված վնասը կկազմի տարեկան ~40,9 մլն. դրամ:
Հաշվարկված է անձրևային հոսքաջրերում աղտոտող նյութերի առավելագույն թույլատրելի կոնցենտրացիան՝ Cթսա-ն (18): Ստացվել են հետևյալ տվյալները.
կախյալ մասնիկների համար - 14,5մգ/լ
նավթամթերք - 0,54մգ/լ
ԹԿՊ20 - 17մգ Օ2/լ:
Բոլոր 3 նյութերի համար Cփաստ >Cթսա:
Ստացվածից հետևում է, որ գետի աղտոտվածության կանխարգելման համար անհրաժեշտ է պահպանել Cփաստ=Cթսա հավասարությունը, որը կարելի է իրականացնել ձեռնարկությունների տարածքում անձրևաջրերի լոկալ մաքրման կայանների տեղադրմամբ և շահագործմամբ:
6.8 Ջրային պաշարների պահպանական միջոցառումների վերաբերյալ հիմնական որոշումները
Ջրային պաշարների պահպանության համար Աբովյան քաղաքի զարգացման ընթացքում հարկավոր է իրականացնել հետևյալ միջոցառումներ`
1. Ջրամատակարարման ցանցի վերակառուցումը և հոսակորուստների կրճատումը համապատասխան СНиП2.04.02-81 "Водонабжение: наружные сети и сооружения" պահանջների.
2. Աբովյան քաղաքի արդյունաբերական ձեռնարկություններում տեխնոլոգիական կարիքների համար օգտագործվող խմելու որակի ջրի չափավորումը` առաջնորդվելով տվյալ տեխնոլոգիական գործընթացում օգտագործվող ջրի որակի պահանջներից և հաշվի առնելով "Укрупненные нормы водопотребления и водоотведения для различныx отраслей промышленности" СЭВ ВНИИ ВОДГЕО. Стройиздат. Москва 1982 г.
3. Աբովյան քաղաքի արդյունաբերական ձեռնարկություններում տեխնիկական ջրամատակարարման համակարգի վերականգնումը:
4. Կոյուղու ներքաղաքային ցանցի վերակառուցումը և հոսակորուստների կրճատումը:
5. Արդյունաբերական շրջանի ձեռնարկություններում, ինչպես արտադրական, այնպես էլ անձրևային հոսքաջրերի տեղական մաքրման կայանների շահագործումը: Սահմանված թույլատրելի արտահոսքերի պահպանումը համապատասխան СНиП2.04.02-85.
(Անձրևաջրերի լոկալ մաքրման կայանների ներդրման հաշվին կանխված տնտեսական վնասը կկազմի տարեկան 37 մլն.դրամ: Կապիտալ ներդրումների չափը, ըստ գոյություն ունեցող անձրևաջրերի մաքրման կայանների նախահաշվային արժեքների (~10 ձեռնարկությունների համար) կազմում է ~ 25 մլն.դրամ: Անձրևաջրերի մաքրման կայանների տնտեսական արդյունավետությունը կկազմի 1,5 մլն դրամ/տարի:)
6. Ջրամատակարարման և ջրահեռացման անհատական նորմերի հիման վրա, այն ձեռնարկություններում, որտեղ անհրաժեշտ է շրջանառու ջրամատակարարման համակարգի ներդրումը: Укрупненные нормы водопотребления и водоотведения для различныx отраслей промышленности СЭВ ВНИИ ВОДГЕО. Стройиздат. Москва 1982 г..
7. Արդյունաբերական հանգույցի այն ձեռնարկություններում, որտեղ արտադրական հոսքաջրերում առկա են Երևանի կենսաբանական մաքրման կայանում օքսիդացնող քայքայման չենթարկվող նյութեր, ձեռնարկությունների տնտեսակենցաղային-արտադրական արտահոսքերում ՍԹԿ-ի ցուցանիշների ապահովումը: СНиП2.04.02-85 "Канализация: наружные сети и сооружения"
6.9 Թափոնների կառավարում
6.9.1 Կենցաղային թափոններ
Բնակչության աճի հետ մեկտեղ ավելանում է նաև կենցաղային կոշտ թափոնների քանակը:
Հեռանկարում ԿԿԹ-ների քանակը կկազմի տարեկան 12000 տ. (նորման 1 բնակչի համար կազմում է միջին հաշվով ~ 200 կգ/տարի): Թափոնների կազմը բերված է 6.9.1-1աղյուսակում:
Աղյուսակ 6.9.1-1
Կենցաղային կոշտ թափոնների (ԿԿԹ) կազմը և տարեկան քանակները
|
ԿԿԹ |
Ընդհանուր քանակից բաժնեմասը, %-ով |
Թափոնների քանակը, տ/տարի |
|
Մետաղ |
3.9 |
468 |
|
Պլաստիկ շշեր |
4,4 |
528 |
|
Այլ պլաստիկ իրեր |
6,1 |
732 |
|
Թուղթ |
3.1 |
372 |
|
Այլ թափոններ |
82.5 |
9900 |
|
Ընդամենը |
100 |
12000 |
6.9.2 Արդյունաբերական թափոններ
Օգտագործման ենթակա թափոնները ենթակա են օգտագործման`
● սննդի արդյունաբերության թափոնները օգտագործվում են որպես անասնակեր մոտակա գյուղերի կողմից
● փայտամշակման թափոնները օգտագործվում են անհատական տների բնակիչների կողմից որպես վառելանյութ
● քարի բեկորները և մնացորդները օգտագործվում են ճանապարհաշինարարության և լիցքերի համար
● ապակու թափոնները օգտագործվում են ապակու տարաների արտադրությունում:
Արդյունաբերական թափոնների քանակները բերված են 6.9.2-1 աղյուսակում: Շրջակա միջավայրի վրա քաղաքային թափոնների վնասակար ազդեցության մեղմացման և կանխարգելման համար անհրաժեշտ է
● կենցաղային թափոնների տեղափոխման շարժական և տեխնիկական սարքավորումների նորացում
● նոր աղբավայրում աղբի հարթեցման և հողով ծածկման աշխատանքների պարբերաբար իրականացում:
● նոր աղբավայրում արդյունաբերական ոչ օգտագործելի թափոնների համար հատուկ հողահատկացում
Աղյուսակ 6.9.2-1
|
հհ |
Արդյունաբերական թափոնների բաղադրությունը |
Ընդհանուր քանակը | |
|
տ/տարի |
բաժնեմասը, % | ||
|
1 |
Օգտագործման ենթակա թափոններ` թեփ, փայտատաշեղ, ապակու և քարի մնացորդ |
800 |
27,5 |
|
2 |
Ոչ օգտագործելի թափոններ` շինարարական աղբի հումքի օգտագործումից մնացած տարաներ, այդ թվում՝ ● կենցաղային աղբավայր տեղափոխվող● ՍՀԿ-ի կողմից համաձայնեցված վայր: Դեղորայքի արտադրության թափոններ |
2100 |
72,5 |
|
3 |
Ընդամենը |
2900 |
100 |
6.9.3 Օրգանական ծագման թափոններ
Թափոններ առաջանում են առողջապահության բնագավառի հաստատություններում:
Թափոնները դասակարգվում են (19) հետևյալ կերպ`
1. Ոչ վարակիչ թափոններ: Այս թափոնները կազմում են ընդհանուր թափոնների ~ 90 %-ը: Սրանք իրենց բաղադրությամբ նման են կենցաղային թափոններին, քանի որ վարակի տարածման մանրէներ չեն պարունակում: Այս թափոնների շարքին են պատկանում գրասենյակային աղբը` թուղթ, կարտոն, փաթեթավորման նյութեր, թերթեր և այլն: Տարեկան քանակը կազմում է 0.5-1տ: Այս թափոնները հեռացվում են ՀՀԿ-ի կողմից հատկացված աղբավայր:
2. Վարակիչ թափոններ: Վարակիչ թափոնները դրանք օրգանական ծագման թափոններն են: Ընդհանուր քանակը տատանվում է 20-50 կգ/օր:
Վարակիչ թափոնները դասակարգվում են.
N 1 կարգ - մարդու անատոմիական թափոններ (հյուսվածքներ, օրգաններ, մարմնի մասեր):
N 4 կարգ - առարկաներ և պլաստմասայից թափոններ (ներարկիչներ, ճկափողեր և այլն):
N 6 կարգ - օրգանական նյութերով աղտոտված թափոններ (արյունով և այլ նյութերով աղտոտված բամբակը, բինտը և այլն):
Այս թափոնների հնարավոր վարակազերծումը համարվում է քիմիական վնասազերծումը ֆորմալինի և սպիրտի լուծույթով և խորը թաղումը:
6.9.4 Աղմուկից պաշտպանություն
Հեռանկարում, ի հաշիվ տեղական նշանակության փողոցներով ավտոտրանսպորտի երթևեկության ինտենսիվության ավելացման, սպասվում է աղմուկի մակարդակի բարձրացում: Քաղաքում աղմուկի մակարդակի իջեցման համար նախատեսված է անհրաժեշտ ավտոճանապարհների եզրերին կանաչ գոտիների ավելացում, ինչը կհանգեցնի աղմուկի մակարդակի իջեցմանը` ~ 5-8 դԲԱ-ով:
Հեռանկարում աղմուկի մակարդակը բնակելի գոտում կկազմի`
LAՁժՀ = 75 - 2 - 6 = 67 դԲԱ (նորման 70 դԲԱ)
LAնԽԹ = 75 դԲԱ (տեղական նշանակության ճանապարհներ և փողոցներ)
△LAՐՈր. = 2 դԲԱ
△LAջպս. = 6 դԲԱ
6.9.5 Հողերի պաշտպանություն
Հեռանկարում հողի աղտոտման հիմնական աղբյուրները կմնան արդյունաբերական ձեռնարկությունների փոշեգազային մթնոլորտային արտանետումները և արդյունաբերական ու կենցաղային թափոնների աղբավայրերը:
Քաղաքի հողային տարածքի աղտոտվածության ամփոփիչ ցուցանիշները բերված են 6.9.5-1 աղյուսակում:
Աղյուսակ 6.9.5-1
|
հհ |
Ինգրեդիենտների անվանումը |
Հողի աղտոտում | |
|
տ/հա |
գ/մ2 | ||
|
1. |
Փոշի |
0,028 |
2,8 |
|
2. |
Մանգանի օքսիդներ |
0,0001 |
0,01 |
|
3. |
Կապարի աթրոզոլ |
0,000003 |
0,0003 |
|
4. |
Երկաթի օքսիդներ |
0,00051 |
0,051 |
Դիտարկենք մթնոլորտային օդի աղտոտման արդյունքում բուսածածկույթի և հողերի աղտոտման հնարավոր հետևանքները (20):
Հողը ընդունակ է իր մեջ հավաքել մթնոլորտից հողի վրա նստած աղտոտումները, որոնք էլ փոխում են հողի հատկությունները, ինչի արդյունքում հնարավոր է հողի բերքատվության անկում, բույսերի, մարդկանց ու կենդանիների վրա թունավոր ազդեցություններ: Աբովյան քաղաքի հողի աղտոտման համար վտանգ են ներկայացնում հատկապես ազոտի օքսիդների արտանետումները, որոնք օժտված են բարձր օքսիդացնող ակտիվությամբ: Այս միացությունները իջեցնում են հողի և բույսերի մեջ կալցիումի, մագնեզիումի, կալիումի պարունակությունները, որոնք ծախսվում են ավելցուկ թթվայնության չեզոքացման վրա:
Վտանգ են ներկայացնում նաև փոշու, ինչպես նաև աերոզոլների արտանետումները, որոնք նստելով ծառերի տերևների վրա` առաջացնում են անձրևից չմաքրվող կպչուն միացություններ:
Մթնոլորտային օդի, մակերևութային և ստորգետնյա ջրերի աղտոտվածությունից պահպանման միջոցառումները, քաղաքի կանաչապատումը, թափոնների կառավարումը դասվում են հողի աղտոտման կանխարգելիչ միջոցառումների շարքը:
6.9.6 Կանաչապատում
Աբովյան քաղաքի կանաչապատման համակարգի կայուն զարգացման համար անհրաժեշտ է իրականացնել գործողությունների համալիր ծրագիր, որն իր մեջ կպարունակի ներքոհիշյալ հիմնադրույթները.
● բնագավառի գործունեությունը համակարգող մասնագիտացված կառուցվածքային ստորաբաժանման ստեղծում քաղաքապետարանում,
● վերականգնման աշխատանքների, նոր տարածքների կանաչապատման իրականացում, հստակ նախագծերին և ծրագրերին համապատասխան, ապահովելով հետագա ոռոգումը,
● ոռոգման համակարգի զարգացում և բարեփոխում:
Հատուկ ուշադրություն է դարձվել նաև Աբովյան քաղաքի կանաչապատմանը, որպես օդը մաքրող գործոն:
Աբովյան քաղաքում կանաչ տարածքների չափը ներկա իրավիճակում չի համապատասխանում գործող նորմերին (1 բնակչին՝ 7մ2 ընդհանուր օգտագործման հասարակական կանաչ տարածք և 6մ2 շրջանային նշանակության կանաչ): 44,6 հազար բնակչով քաղաքում կա ընդամենը 8,6 հա հասարակական կանաչ 39,0 հա-ի փոխարեն:
Հեռանկարային տարածքային զարգացման համար, որպես հաշվարկային ցուցանիշ ընդունված, 60 հազար բնակչության համար գլխավոր հատակագծով նախատեսվում է 295.48 հա կանաչապատ տարածքներ, որից 84.12 հա ընդհանուր օգտագործման և 194 հա սահմանափակ օգտագործման: Նախատեսված են քաղաքային զբոսայգիների, կանաչ գոտիով մարզահամալիրներ, շրջանային նշանակության զբոսայգիներ և այլ կանաչ զանգվածների ստեղծում: Բացի դրանից նախագծված են նաև մայրուղիների, գերեզմանոցի, արտադրական օբյեկտների սանիտարապաշպանական գոտիների ստեղծում, ինչպես նաև արևմտյան արդյունաբերական հանգույցում, որպես քաղաքի հեռանկարային սոցիալ-տնտեսական զարգացման խթան առաջարկվող տեխնոպարկի տարածքի բարեկարգում ու կանաչապատում:
Քաղաքի հեռանկարային կանաչ զանգվածների ցուցանիշները բերված են 6.9.6-1 աղյուսակում:
աղյուսակ 6.9.6-1
|
հհ |
Կանաչ զանգվածներ նշանակությունը |
Ընդհանուր կանաչ զանգված | |
|
հա |
մ2/մարդ | ||
|
1. |
Ընդհանուր օգտագործման |
84.12 |
14.0 |
|
2. |
Սահմանափակ օգտագործման |
194 |
32,33 |
|
3. |
Հատուկ նշանակության |
17.36 |
2.89 |
|
|
ԸՆԴԱՄԵՆԸ |
295.48 |
49.25 |
6.9.7 Աբովյան քաղաքի էկոլոգիական ցուցանիշներ
Աղյուսակ 6.9.7
|
NN ը/ն |
Ցուցանիշներ |
Չափման միավոր |
Ցուցանիշներ | |
|
Ներկա իրավիճակը |
Հեռանկար 2020 թ. | |||
|
|
Օդ |
|
|
|
|
1 |
Ձեռնարկություններից արտանետվող վնասակար նյութերի ընդհանուր քանակը, այդ թվում՝ |
տ/տարի |
73,18 |
111,5 |
|
|
Կոշտ, այդ թվում՝ |
տ/տարի |
9,05 |
27,57 |
|
|
Կախյալ մասնիկներ |
տ/տարի |
- |
- |
|
|
Մանգանի օքսիդներ |
տ/տարի |
0,026 |
0,1 |
|
|
Գազանման, այդ թվում՝ |
տ/տարի |
1,42 |
53,68 |
|
|
Ծծմբային անհիդրիդ |
տ/տարի |
0,007 |
0,021 |
|
|
Ածխածնի օքսիդ |
տ/տարի |
40,57 |
42,78 |
|
|
Ազոտի օքսիդներ |
տ/տարի |
10,84 |
10,87 |
|
|
Այլ արտանետումները |
տ/տարի |
12,68 |
30,15 |
|
2 |
Ավտոտրանսպորտից մթնոլորտ արտանետվող վնասակար նյութերի ընդհանուր քանակը, այդ թվում՝ |
տ/տարի |
934,7 |
1257,0 |
|
|
Ածխածնի օքսիդ |
տ/տարի |
748,9 |
1007,2 |
|
|
Ածխաջրածիններ |
տ/տարի |
133,8 |
179,9 |
|
|
Ազոտի օքսիդներ |
տ/տարի |
52,0 |
69,9 |
|
3 |
Ձեռնարկություններից մթնոլորտ արտանետվող գումարային բերված արտանետումները (վնասակարության ինդեքս NBձեռն) |
կմ3/տարի |
589,16 |
1406,8 |
|
4 |
Գումարային բերված արտանետումը ավտոտրանսպորտից (վնասակարության ինդեքս NBտ) |
անգամ |
850,8 |
1143,6 |
|
5 |
ՍԹԿ-ների նորմերին հասնում |
ՍԹԿ միավոր |
|
|
|
|
Կախյալ մասնիկներ (փոշի) |
ՍԹԿ միավոր |
0,6 |
0,2 |
|
|
Ծծմբային անհիդրիդ |
ՍԹԿ միավոր |
0,1 |
0,004 |
|
|
Ազոտի օքսիդներ |
ՍԹԿ միավոր |
0,17 |
1,4/0,5 |
|
|
Մանգանի օքսիդներ |
ՍԹԿ միավոր |
- |
- |
|
6 |
Ձեռնարկությունների արտանետումներից քաղաքի օդային ավազանի աղտոտվածության հետևանքով տնտեսությանը հասցված վնասը |
հազ. դրամ տարի |
45281,7 |
64852,0 |
|
7 |
Նույնը ավտոտրանսպորտի արտանետումներից |
հազ. դրամ տարի |
30491,0 |
42018,5 |
|
|
Հողեր և թափոններ |
|
|
|
|
1 |
Տարածքի կանաչապատում |
հա |
167 |
250,5 |
|
2 |
Քաղաքի ընդհանուր տարածքից կանաչապատման %-ը |
% |
22,68 |
2568 |
|
3 |
Մեկ մարդուն ընկնող կանաչապատ տարածքը |
մ2/մարդ |
37,44 |
41,71 |
|
4 |
Քաղաքի սանիտարական մաքրումը՝ թափոնների հավաքումը և տեղափոխումը |
տ/տարի |
6240 |
12000 |
|
5 |
Արդյունաբերական թափոնների օգտագործումը, ընդամենը |
տ/տարի |
2000 |
2900 |
|
|
Խոշոր տոննայնություն |
տ/տարի |
1199,5 |
2099 |
|
|
Թունավոր |
տ/տարի |
0,5 |
1,0 |
|
|
Վերամշակման ենթակա են թափոններ |
տ/տարի |
- |
800 |
|
|
Անթափոնության մակարդակը (վերամշակված թափոնների՝ առաջացած թափոնների հարաբերությունը) |
տ/տարի |
0 |
0,27 |
|
|
Կապիտալ ներդրումներ |
մլն դրամ տարի |
|
|
|
|
Աղմուկը բնակելի գոտում |
դԲԱ |
45 |
45 |
|
|
Աղմուկը փողոցում |
դԲԱ |
68 |
67 |
Գ լ ու խ 7
Արտակարգ իրավիճակների ԵՎ քաղաքացիական պաշտպանության ինժեներատեխնիկական միջոցառումներ
Ներածություն
Քաղաքի տարածքի ինժեներաերկրաբանական նախապատրաստումը, տարերային և տեխնածին վտանգավոր երևույթներից պաշտպանությունը, ինչպես նաև քաղաքացիական պաշտպանության ինժեներատեխնիկական միջոցառումների իրականացումը նպատակաուղղված են բնակավայրի տարածքում անվտանգ, բարենպաստ, կայուն կենսամիջավայրի ձևավորման ապահովմանը:
Քաղաքացիական պաշտպանության կարևորագույն միջոցառումներից է բնակչության պատսպարումը ապաստարաններում, որոնք ներկայումս քաղաքի տարածքում բացակայում են: Գլխավոր հատակագծում ներկայացված ապաստարանների անհրաժեշտ ծավալները հաշվի առնելով պետք է ստեղծվեն ապաստարաններ, դրանք պահվեն պատրաստ վիճակում և օգտագործվեն առաջին իսկ անհրաժեշտության դեպքում:
Քաղաքի գլխավոր հատակագծում քաղաքացիական պաշտպանության հարցերին լուծումներ տալու համար հիմք են հանդիսացել «Քաղաքացիական պաշտպանության ինժեներատեխնիկական միջոցառումների նախագծման «թՐՈՋՊՈվրՑՐՏռ»-ի Թհծ թԿ - 38-82 և Թհծ թԿ - 38-83 հրահանգները»:
7.1 Ընդհանուր բնութագիր
Աբովյանը սերտորեն կապված է Երևանի հետ, համարվում է քաղաքի հյուսիսային դարպասը և փաստորեն կատարում է արբանյակի դեր:
Աբովյան քաղաքը տրանսպորտային հանգույց է, համեմատաբար զարգացած արդյունաբերությամբ, հատկապես շինանյութերի և գյուղատնտեսական մթերքների արտադրությամբ, գործում են նաև կենցաղ-սպասարկման և սննդի օբյեկտներ:
Աբովյանի արդյունաբերական ձեռնարկությունները հիմնականում տեղակայված են քաղաքի հյուսիսարևմտյան հարթավայրում, իսկ հյուսիսային, արևելյան և հարավային բնակելի միկրոշրջանները ներկայացված են մինչև 14-18 հարկանի շենքերով:
7.2 Տարերային վտանգավոր երևույթներ
Աբովյան քաղաքի տարածքին բնորոշ են մթնոլորտային տեղումների հետևանքով ինտենսիվ մակերեսային ողողումները, ինչպես նաև ուժեղ քամիները, որոնք երբեմն վթարում են, տեղաշարժում կառույցների, շենքերի տանիքները, արմատախիլ անում ծառերը, պատճառում զգալի վնասներ:
Քաղաքի տարածքում շինարարական աշխատանքներ նախագծելիս անհրաժեշտ է ուշադրություն դարձնել առանձին տեղամասերում տարածված յուրահատուկ նստեցումային հատկություններ դրսևորող գրունտների (սպիտակահողերի) առկայության վրա, որոնց անտեսելու դեպքում հնարավոր են կառուցվածքների ձևախախտումներ:
7.3 Տեխնածին վտանգավոր երևույթներ
Աբովյան քաղաքում քիմիական վտանգավոր օբյեկտներ են համարվում ՝
● «Թամարա» սահմանափակ պատասխանատվությամբ ընկերությունը,
● Աբովյանի «Գարեջրի» գործարանը, որտեղ որպես սառեցնող ագենտ կիրառվում է ամոնիակ ուժեղ ներգործող թունավոր նյութը:
Նշված օբյեկտներում հնարավոր վթարի և անբարենպաստ օդերևութաբանական գործոնների առկայության դեպքում ամոնիակի գոլորշիների ամպը կարող է տարածվել մինչև 1,5 կմ հեռավորության վրա և ավելի քան 1300 մարդկանց տարբեր աստիճանի թունավորման պատճառ դառնալ:
Քաղաքում տեխնածին արտակարգ իրավիճակների օջախներ են համարվում՝
● կոմունալ և կենցաղային գազատարները, որոնք կարող են հրդեհների և պայթունների պատճառ դառնալ,
● քաղաքի խմելու ջրագծերը, էներգամատակարարման և կոյուղագծերը, որոնք կարող են բնակչության համար համաճարակներ առաջացնել,
● կամուրջները, որոնք վթարների պատճառ կարող են հանդիսանալ:
Տեխնածին արտակարգ իրավիճակներից խուսափելու համար անհրաժեշտ է՝
● քաղաքի համար կառուցել կենցաղային, կեղտաջրերի կենսաբանական մաքրման կայան և ապահովել դրա արդյունավետ աշխատանքը.
● ապահովել քաղաքի կոմունալ, կենցաղային գազատարների, խմելու ջրագծերի կոյուղագծերի, կամուրջների, էներգամատակարարման գծերի, ճանապարհների անխափան աշխատանքը՝ ժամանակին կատարելով դրանց պլանային նախազգուշական վերանորոգման պրոֆիլակտիկ աշխատանքները.
● բենզագազալցավորման կայանները տեղակայել գոյություն ունեցող նորմաների համաձայն.
● արտակարգ իրավիճակներում քաղաքի բնակչության նվազագույն կարիքները բավարարելու նպատակով ստեղծել խմելու ջրի պահուստային պաշարներ.
● արտակարգ իրավիճակներում բնակչության պաշտպանությունն իրականացնելու նպատակով կառուցել և կահավորել ապաստարաններ.
● բարձրացնել էլեկտրաէներգետիկ համակարգերի հուսալիությունը՝ բացառելով բնակչության էլեկտրամատակարարման երկարատև անջատումները.
● բնակարանների գազով տաքացման համար օգտագործել վառարաններ, որոնք ունեն գազի այրման արգասիքների երաշխավորված հեռացման հնարավորություն.
● քիմիական վտանգավոր օբյեկտներում ապահովել տեխնոլոգիական ռեժիմների նորմալ ընթացքը, ժամանակին կատարել սարքավորումների պլանային նախազգուշական վերանորոգումները, ամոնիակ պարունակող տարողությունների տակ կառուցել թմբապատեր և տեղադրել ջրային վարագույրներ:
7.4 Հիմնական դրույթներ
Քաղաքի բնակչության թվաքանակը՝ 44,6 հազ. մարդ:
Հաշվի առնելով այն հանգամանքը, որ քաղաքը գտնվում է բարձր սեյսմիկ ռիսկի գոտում, նախատեսվում են վտանգավոր օբյեկտների, բնակելի շենքերի և բնակչության կենսապահովման օբյեկտների պաշտպանությանն ուղղված միջոցառումներ:
● Արտակարգ իրավիճակներում քաղաքի տարածքի ռացիոնալ օգտագործման և կենսագործունեության կայունության բարձրացման համար նախագծում նախատեսված է տարբեր ֆունկցիոնալ գոտիների և համայնքի տրանսպորտային ցանցի մանրամասն լուծումներ:
● Մայրուղիների և փողոցների նախագծային լայնությունը, կարմիր գծերում, ընդունված է նվազագույնը 12.0մ, որպեսզի շենքերի և կառույցների փլուզման դեպքում ապահովվի փրկարարական ստորաբաժանումների մոտեցումը:
● Ինժեներական հաղորդակցության ուղիների նախագծման հիմքում դրված է քաղաքի կենսագործունեության հուսալի ապահովումը, ինչպես խաղաղ, այնպես էլ արտակարգ իրավիճակներում:
● Ջրամատակարարման համակարգը կենտրոնացված է, համատեղված է խմելու և հակահրդեհային ծախսերը մեկ ջրատարով:
● Նախատեսվում է քաղաքի ռադիոֆիկացում և հեռախոսաֆիկացում:
Աբովյան քաղաքի ներկայիս հակաճառագայթային թաքստոցները
Աղյուսակ 7.4-1
|
Հ/Հ |
Տեղակայման վայրը |
Կարգը |
Մարդկանց թիվը |
Տեխնիկական վիճակը |
|
1 |
Բնակելի շենք 2/1 |
IV |
600 |
անբավարար |
|
2 |
Բնակելի շենք 2/ 6 |
IV |
360 |
անբավարար |
|
3 |
Բնակելի շենք 2, Միկրո 8 |
IV |
470 |
անբավարար |
|
4 |
Բնակելի շենք 3, Միկրո 13 |
IV |
867 |
անբավարար |
|
5 |
Բնակելի շենք, Ռոսիա 4 |
IV |
650 |
անբավարար |
|
6 |
Բնակելի շենք 4, Միկրո 15 |
IV |
280 |
անբավարար |
|
7 |
Բնակելի շենք 4, Միկրո 36 |
IV |
220 |
անբավարար |
|
8 |
Թիվ 10 դպրոց |
IV |
497 |
անբավարար |
|
9 |
«Սիրիուս» ԲԲԸ |
IV |
700 |
անբավարար |
|
10 |
Թիվ 5 դպրոց |
IV |
2000 |
անբավարար |
|
11 |
Թիվ 7 դպրոց |
IV |
2200 |
անբավարար |
|
12 |
Թիվ 8 դպրոց |
IV |
2103 |
անբավարար |
|
13 |
Թիվ 6 դպրոց |
IV |
550 |
անբավարար |
Աբովյան քաղաքի ներկայիս ապաստարանները
Աղյուսակ 7.4-2
|
հհ |
Տեղակայման վայրը |
Կարգը |
Մարդկանց թիվը |
Տեխնիկական վիճակը |
|
1 |
Չափիչ գործարան |
II |
1250 |
բավարար |
|
2 |
Հաշվիչ գործարան |
III |
300 |
բավարար |
|
3 |
«Գառնի» միավորում |
II |
800 |
անբավարար |
7.5 Քաղաքի բնակչության պատսպարումը
Արտակարգ իրավիճակներում բնակչության պատսպարումը պետք է իրականացվի հետևյալ պաշտպանական կառույցներում`
● ստորգետնյա հատուկ շինություններում` ապաստարաններում, նկուղներում, կիսանկուղներում, խորացված տարածքներում.
● բնակելի ֆոնդի տարածքներում` առաջին հարկի տարածքներ` հարմարեցված որպես ապաստարաններ:
Բնակչության պատսպարման համալիր միջոցառումներն ընդգրկում են`
● պաշտպանական կառույցների վաղօրոք կառուցումը.
● պաշտպանական կառույցների պահպանումը պատրաստի վիճակում.
● պաշտպանական կառույցների նպատակային օգտագործման կազմակերպումը.
● արագ կառուցվող ապաստարանների շինարարության կազմակերպումն ու ապահովումը պատերազմի սպառնալիքի ժամանակ:
Արտակարգ իրավիճակներում քաղաքի կենսագործունեությունն ապահովող ձեռնարկությունների ապաստարաններում պատսպարվում են նշված ձեռնարկությունների աշխատակիցները:
Նկուղային և այլ խորացված տարածքներում, պատսպարման նպատակով նախատեսված շենքերի և շինությունների առաջին հարկերում, պարզագույն թաքստոցներում պատսպարվում է մնացած բնակչությունը:
7.6 Բնակչությանն ապաստարաններով ապահովման հաշվարկ
Աղյուսակ 7.6-1
|
Բնակչության խմբեր |
Ներկա ժամանակահատվածում |
Հաշվարկային ժամկետում | ||
|
Թվաքանակը (հազ. մարդ) |
Ենթակա են պատսպարման (հազ. մարդ) |
Թվաքանակը (հազ. մարդ) |
Ենթակա են պատսպարման(հազ. մարդ) | |
|
Աշխատավայրում գտնվող բնակիչներ |
14,5 |
12,0 |
20,0 |
16,6 |
|
Տանը գտնվող չաշխատող բնակիչներ |
12,2 |
11,2 |
17,5 |
16,0 |
|
Ուսման վայրում գտնվող ուսանողներ, դպրոցականներ, նախադպրոցական երեխաներ |
8,4 |
7,9 |
12,0 |
11,3 |
|
Տնային պայմաններում գտնվող ուսանողներ, դպրոցականներ, նախադպրոցական երեխաներ |
9,5 |
9,4 |
10,5 |
10,4 |
|
Ընդամենը |
44,6 |
40,5 |
60,0 |
54,3 |
7.7 Ապաստարանների ընդհանուր մակերեսների հաշվարկ
Աղյուսակ 7.7-1
|
Բնակչության խմբեր |
Ներկա ժամանակահատվածում |
Հաշվարկային ժամկետում | ||
|
Բնակչության թվաքանակը |
Ապաստարանների անհրաժեշտ մակերեսը, մ2 |
Բնակչության թվաքանակը |
Ապաստարանների անհրաժեշտ մակերեսը, մ2 | |
|
Նախադպրոցական տարիքի երեխաներ` իրենց խնամակալների հետ |
15100 |
18120 |
22000 |
26400 |
|
Քաղաքի մնացած բնակչությունը |
29500 |
22125 |
38000 |
28500 |
|
Ընդամենը |
44600 |
40245 |
60000 |
54900 |
Ծանոթագրություն. - Անհրաժեշտ ծավալով ապաստարանների ընդհանուր մակերեսը հաշվարկվել է գործող նորմաների համաձայն: Նախատեսվող մակերեսների չափերում, հաշվի են առնվել նաև սանիտարական, պահեստային և այլնի համար նախատեսվող անհրաժեշտ օժանդակ մակերեսները:
7.8 Բնակչության իրազեկում և տեղեկացում
Պաշտպանական կառույցներում բնակչության պատսպարումը տեղի է ունենում քաղաքացիական պաշտպանության ազդանշաններով`
● շչակի անընդհատ հնչեցման դեպքում («Օդային տագնապ» ազդանշան) բնակչությունն անմիջապես պատսպարվում է պաշտպանական կառույցներում.
● շչակի անընդհատ հնչեցման դեպքում («Ուշադրություն բոլորին» ազդանշան) բնակչությունը պարտավոր է միացնել հեռուստացույցները և ռադիոընդունիչները, որոնցով փրկարարական պետական մարմինների կողմից տրվում են հաղորդագրություններ տեղանքի քիմիական կամ ճառագայթային վարակի սպառնալիքի կամ դրանց առաջացման և բնակչության գործողությունների մասին ու գործում` համաձայն այդ հաղորդագրությունների:
Ստանալով համապատասխան ազդանշան` պաշտպանական կառույցներն սպասարկող խմբերի և օղակների անձնակազմերը բերվում են պատրաստականության և ժամանելով իրենց աշխատատեղերը, պաշտպանական կառույցները պատրաստում են պատսպարվողների ընդունման համար: Պետական կառավարման տարածքային, տեղական ինքնակառավարման մարմիններն արտակարգ իրավիճակների և քաղաքացիական պաշտպանության մարմինների հետ համատեղ կազմակերպում են բնակչության պատսպարման համալիր միջոցառումներ:
Պաշտպանական կառույցներում բնակչության պատսպարումն իրականացվում է նախապես մշակված և հաստատված պլանների համաձայն:
Աշխատանքային հերթափոխի աշխատողներն ու ծառայողներն օբյեկտների համապատասխան պաշտոնատար անձանց ղեկավարությամբ զբաղեցնում են պաշտպանական կառույցները` համաձայն օբյեկտի արտակարգ իրավիճակների և քաղաքացիական պաշտպանության պետի կողմից նախապես մշակված պլանների, իսկ անհատական բնակարաններում ապրողները՝ իրենց հարմարեցված նկուղները և այլ շինությունները:
7.9 Բնակչության տարահանում
Քաղաքի վրա հակառակորդի անմիջական հարձակման դեպքում բնակչության լրիվ տարահանում չի պլանավորվում: Բնակչության հրատապ վերաբնակեցումը քաղաքի առանձին տարածքներից հնարավոր է հակառակորդի կողմից հարձակման ժամանակակից միջոցների օգտագործման դեպքում, որի ընթացքում կարող են առաջանալ քիմիական, ճառագայթային, մանրէաբանական վարակի օջախներ:
Տարերային աղետներից բնակչության համար առավել մեծ վտանգ են ներկայացնում երկրաշարժերը, որոնց դեպքում որպես պաշտպանության հիմնական ձև հանդիսանում է բնակչության տարահանումը անվտանգ վայրեր:
Աղետից հետո իրականացվում է այն շենքերի բնակիչների տարահանումը, որոնցում բնակվել հնարավոր չէ:
Տեխնածին աղետների դեպքում պաշտպանական հիմնական ձևը բոլոր միջոցներով բնակչության դուրս բերումն է, տարահանումը վարակման օջախից քամու հակառակ ուղղությամբ:
Ներկայումս Աբովյան քաղաքի բնակչության տարահանման պլանը մշակման ընթացքի մեջ է և վերջնական որոշված չեն տարահանման ուղիներն ու բնակավայրերը, որոնք քաղաքից պետք է ունենան առնվազն 20 կմ հեռավորություն: Հարցի լուծման համար պետք է հաշվի առնվեն տարահանման հետևյալ ձևերն ու միջոցները`
● քաղաքի բնակչությունը կարող է տարահանվել հետիոտն շարասյուներով կամ տրանսպորտային միջոցներով` ավտոշարասյուներով.
● առանձին դեպքերում տարահանման համար, Հայաստանի Հանրապետության օրենսդրությամբ սահմանված կարգով, կարող են տրամադրվել նաև օդային տրանսպորտային միջոցներ:
7.10 Արտակարգ իրավիճակների դեպքում քաղաքի կառավարման կազմակերպումը
Աղետի սպառնալիքի կամ առաջացման վտանգի դեպքում կառավարումն իրականացվում է քաղաքի կառավարման կետից (քաղաքապետի աշխատասենյակ) և Աբովյանի մարզային փրկարարական վարչությունից:
Օպերատիվ խումբը ժ+45 րոպեի ընթացքում զբաղեցնում է հիմնական կառավարման կետը և ժ +60 րոպեի ընթացքում կազմակերպում է շուրջօրյա հերթապահություն:
Մարզային փրկարարական վարչության անձնակազմը ժ+45 րոպեի ընթացքում ժամանում է և ժ+60 րոպեի ընթացքում կազմակերպում է շուրջօրյա հերթապահություն և անհրաժեշտ փրկարարական աշխատանքեր:
Աղետի սպառնալիքի կամ առաջացման դեպքում կառավարումը կազմակերպվում է Կոտայքի մարզպետի կողմից և իրականացվում է կառավարման հիմնական կետից: Անհրաժեշտության դեպքում կառավարումն իրականացվում է պահեստային կամ շարժական կառավարման կետերից:
Անհատական պաշտպանության միջոցների (ԱՊՄ) պահանջվող քանակի հաշվարկ` ըստ տարիքային խմբերի
Աղյուսակ 7.10-1
|
հհ |
Բնակչության թվաքանակը` ըստ տարիքային խմբերի |
Ընդամենը (մարդ) |
Պահանջվող ԱՊՄ-ի քանակը (հատ) և մակնիշը | |
|
Քանակը գումարած 10% պահուստ |
Մակնիշը | |||
|
1 |
մինչև 2 տարեկան |
4200 |
4242 |
Մ.Հ |
|
2 |
3-14 տարեկան |
17800 |
19580 |
թկ-5 |
|
3 |
15-18 տարեկան և ավելի |
22000 |
24200 |
թկ-5, թկ-7 |
|
|
Ընդամենը |
44600 |
48022 |
|
Բնակչությանը ԱՊՄ բաշխումը, համաձայն ՀՀ կառավարության 25.10.2000թ. թիվ 679 որոշման` իրականացվում է երկրորդ հերթին: Բաշխումն իրականացվում է ՀՀ կառավարության որոշմամբ, իսկ կազմակերպություններում` տվյալ կազմակերպության ղեկավարի որոշմամբ:
Գ լ ու խ 8
Կոտայքի մարզի Աբովյանի քաղաքային համայնքի Գլխավոր հատակագծի նախագծի հիմնական տեխնիկատնտեսական ցուցանիշներ
Աղյուսակ 8-1
|
Ցուցանիշները |
Չափման միավորը |
Գոյություն ունեցող *) |
Հեռանկարային |
|
1 |
2 |
3 |
4 |
|
Տարածքը | |||
|
Համայնքի վարչական սահմաններում ընդգրկված հողերի ընդհանուր մակերեսը |
|
|
|
|
ընդամենը, այդ թվում՝ |
հա |
1095.3 |
1095.3 |
|
Բնակավայրի հողեր, որից` |
- " - |
733.0 |
735.3 |
|
բնակելի կառուցապատման, այդ թվում |
- " - |
335.0 |
405.5 |
|
տնամերձ |
- " - |
114.1 |
135.7 |
|
հասարակական կառուցապատման |
- " - |
95.1 |
178.1 |
|
խառը կառուցապատման |
- " - |
18.5 |
14.7 |
|
Ընդհանուր օգտագործման տարածքներ, որից. |
- " - |
87.7 |
108.0 |
|
ընդհանուր օգտագործման կանաչապատ տարածքներ |
- " - |
- |
84.12 |
|
Այլ հողեր |
- " - |
196.7 |
29.0 |
|
Արդյունաբերության, ընդերքօգտագործման և այլ արտադրական նշանակության հողեր |
- " - |
194.8 |
192.5 |
|
Արդյունաբերական օբյեկտների |
- " - |
84.9 |
84.9 |
|
գյուղատնտեսական արտադրական օբյեկտների |
- " - |
107.1 |
107.1 |
|
պահեստարանների |
- " - |
- |
- |
|
ընդերքի օգտագործման |
- " - |
2.8 |
0.5 |
|
Էներգետիկայի, կապի, տրանսպորտի կոմունալ ենթակառուցվածքների հողեր, որից` |
- " - |
22.5 |
22.5 |
|
էներգետիկայի |
- " - |
3.8 |
3.8 |
|
կապի |
- " - |
1.8 |
1.8 |
|
տրանսպորտի |
- " - |
12.3 |
12.3 |
|
կոմունալ ենթակառուցվածքների |
- " - |
4.7 |
4.7 |
|
Հատուկ պահպանվող տարածքների հողեր, որից՝ |
- " - |
22.6 |
22.6 |
|
հանգստի համար նախատեսված |
- " - |
3.4 |
3.4 |
|
պատմական և մշակութային |
- " - |
19.1 |
19.1 |
|
Հատուկ նշանակության |
- " - |
22.1 |
22.1 |
|
Գյուղատնտեսական նշանակության հողեր, |
- " - |
99.7 |
99.7 |
|
Անտառային հողեր |
- " - |
- |
- |
|
Ջրային հողեր |
- " - |
0.7 |
0.7 |
|
Պահուստային տարածքներ |
- " - |
- |
- |
|
*) Հողային ֆոնդի առկայության և բաշխվածության հաշվետվությունը 01.07.2006 թ. դրությամբ: | |||
|
Դեմոգրաֆիական տվյալներ | |||
|
բնակչության թիվը |
հազ. մարդ |
44.5 |
60 |
|
բնակչության խտությունը համայնքի սահմաններում նույնը բնակավայրի սահմաններում |
մարդ/հա |
40.6 |
54.8 |
|
բնակչության տարիքային կազմը, այդ թվում՝ |
|
|
|
|
մինչև 15 տարեկան երեխաներ |
հազ. մարդ |
11.8 |
15.9 |
|
ա շխատունակ հասակի բնակչություն |
- " - |
27.8 |
37.48 |
|
թոշակառու բնակչություն |
- " - |
4.9 |
6.62 |
|
Բնակելի ֆոնդը | |||
|
Ընդհանուր բնակելի ֆոնդը, որից. |
հազ. մ2 |
750.0 |
1200.0 |
|
Բնակչության մշակութային և սոցիալական սպասարկման հիմնարկությունների համակարգը | |||
|
մանկական նախադպրոցական հիմնարկներ |
տեղ |
3300 |
4500 |
|
հանրակրթական դպրոցներ |
տեղ |
8000 |
10800 |
|
հիվանդանոցներ |
մահճակալ |
բավարարված է |
|
|
պոլիկլինիկաներ |
հերթափոխում հաճախում |
բավարարված է |
|
|
առողջարանային հանգստի հիմնարկներ |
տեղ |
- |
- |
|
Տրանսպորտային սպասարկումը Ուղևորատար հասարակական տրանսպորտի գծերի երկարությունը, այդ թվում | |||
|
էլեկտրիֆիկացված երկաթուղի |
կմ |
- |
- |
|
մետրոպոլիտեն |
- " - |
- |
- |
|
տրամվայ |
- " - |
- |
- |
|
տրոլեյբուս |
- " - |
- |
- |
|
ավտոբուս |
- " - |
- |
- |
|
ճոպանուղի |
հատ |
- |
- |
|
օդային տրանսպորտ |
- " - |
- |
- |
|
Մայրուղային ճանապարհների և փողոցների երկարությունը (ընդամենը), այդ թվում |
կմ |
34.5 |
43.11 |
|
միջպետական նշանակության ավտոմոբիլային ճանապարհներ |
- " - |
- |
- |
|
հանրապետական նշանակության ավտոմոբիլային ճանապարհներ |
- " - |
- |
- |
|
Փողոցաճանապարհային ցանցի խտությունը |
|
|
|
|
քաղաքային կառուցապատման սահմաններում |
կմ/կմ2 |
4.66 |
5.8 |
|
Կամուրջներ, ուղեկամուրջներ |
հատ |
- |
- |
|
Ինժեներական սարքավորումներ և բարեկարգում | |||
|
Ընդհանուր ջրօգտագործումը |
հազ. մ3/օր |
3.3 |
20.6 |
|
- տնտեսական - խմելու նպատակով |
- " - |
3.0 |
17.2 |
|
- արտադրական կարիքների համար |
- " - |
0.3 |
3.4 |
|
Ջրամատակարարման համակարգի գլխամասային կառույցների հզորությունը |
լ/վրկ |
400-500 |
400-500 |
|
Ջրամատակարարման օգտագործման աղբյուրները |
|
Մաքրավան-4 |
|
|
Մաքուր ջրօգտագործումը |
լ/վրկ |
174 |
230 |
|
այդ թվում տնտեսական-խմելու նպատակով |
- " - |
116 |
153 |
|
Կոյուղի |
|
|
|
|
Կեղտաջրերի ընդհանուր ելքը (ընդամենը), այդ թվում՝ |
հազ.մ3 |
3.0 |
11.7 |
|
կենցաղային կոյուղի |
- " - |
2.7 |
10.75 |
|
արտադրական կոյուղի |
- " - |
0.3 |
0.95 |
|
Կոյուղու մաքրման կայանի արտադրողականությունը |
- " - |
Երևան-Չարենցավան կոլեկտոր |
|
|
Էլեկտրամատակարարում |
|
|
|
|
Էլեկտրաէներգիայի գումարային օգտագործումը այդ թվում՝ |
հազ.կվտ. ժամ/տարի |
38972.0 |
191000.0 |
|
արտադրական օբյեկտների կարիքների համար |
- " - |
22852.0 |
35000.0 |
|
կոմունալ-կենցաղային կարիքների համար |
- " - |
16120.0 |
156000.0 |
|
1 մարդու կողմից տարեկան էլեկտրաէներգիայի օգտագործումը |
կվտ/ժամ տարի |
2000 |
2000 |
|
Էլեկտրաբեռնվածության ծածկման աղբյուրներ, այդ թվում |
ՄՎԱ |
114.3 |
114.3 |
|
Ջերմամատակարարում |
|
|
|
|
Ջերմամատակարարում |
|
չի գործում |
լոկալ համակարգ |
|
Բնակավայրի վառելիքային հաշվեկշռում գազի տեսակարար կշիռը |
տոկոս |
100 |
100 |
|
Գազի օգտագործումը (ընդամենը), այդ թվում |
մլն խմ/տարի |
18.25 |
32.0 |
|
Կոմունալ-կենցաղային կարիքների համար |
- " - |
5.23 |
9.0 |
|
Արտադրական կարիքների համար |
- " - |
12.9 |
23.0 |
|
Տարածքի ինժեներական նախապատրաստումը | |||
|
Հեղեղատարի երկարությունը |
կմ |
|
|
|
Հեղեղապաշտպան պատնեշներ |
հատ |
|
|
|
Գետափերի ամրացում և կարգավորում |
կմ |
|
|
|
Շրջակա միջավայրի պահպանությունը | |||
|
Սանիտարապաշտպանիչ գոտիներ աղտոտվածության աղբյուրներից, աղմուկի ներգործությունից (ընդամենը), այդ թվում՝ |
հա |
|
|
|
Կանաչապատում |
հա |
167 |
295.5 |
|
Մթնոլորտային օդի աղտոտվածության մակարդակը |
% սահմ. թույլատ. խտ.-ից (ՍԹԽ) |
ՍԹԽ-ից ցածր 10-15 % |
ՍԹԽ-ից ցածր 50-60% |
|
Ջրամբարների աղտոտվածության մակարդակը |
- " - |
ՍԹԽ-ից բարձր 10% |
ՍԹԽ-ից ցածր |
|
Հողի և ընդերքի աղտոտվածության մակարդակը |
- " - |
ՍԹԽ-ից բարձր 5-10 % |
ՍԹԽ-ից ցածր |
|
Կենցաղային աղբի ծավալը |
հազ. տ. տարի |
6.180 |
8.2 |
|
Աղմուկի ազդեցության մակարդակը |
դեցիբել (ԴՑԲ) |
66 |
63 |
Գ լ ու խ 9
ԱԲՈՎՅԱՆԻ ՀԻՆԳԵՐՈՐԴ ԵՎ ՎԵՑԵՐՈՐԴ ՄԻԿՐՈՇՐՋԱՆՆԵՐԻ ՏԱՐԱԾՔԻ ԳՈՏԻԱՎՈՐՄԱՆ ՆԱԽԱԳԻԾ
9.1 Գոտիավորման նախագծի նպատակները
9.1.1 Բնակավայրի կայուն զարգացման համար անհրաժեշտ միջոցառումների առաջադրում:
9.1.2 Քաղաքաշինական, տարածական և հատակագծային միասնական լուծումների մշակում, ինչպես նաև հողօգտագործման կանոնակարգում:
9.1.3 Բնակելի և հասարակական նոր կառուցապատման թաղամասերի, դրանց փողոցային ցանցի, ինժեներական ենթակառուցվածքի, կանաչապատման, այլ խնդիրների, «սահմանված գոտի - թույլատրելի օգտագործում» սկզբունքով, կառուցապատման չափորոշիչների սահմանում:
9.2 Գոտիավորման նախագծի իրավազորության տարածումը
Գոտիավորման նախագիծը (այսուհետ Նախագիծ) հանդիսանում է տարածքի քաղաքաշինական կանոնադրություն: Այն սահմանում է տարածքի փաստացի և հեռանկարային օգտագործման ու կառուցապատման նկատմամբ պարտադիր քաղաքաշինական կանոնադրական պահանջները՝ կենսագործունեության համար բարենպաստ միջավայրի ձևավորման նպատակով: Նախագիծը քաղաքաշինական գործունեության և հողօգտագործման ընթացքում առաջացող հարցերի և վեճերի լուծման համար հանդիսանում է հիմնական իրավական միջոց:
Նախագծի իրավական հիմքերն են.
9.2.1 ՀՀ քաղաքացիական օրենսգիրքը:
9.2.2 «Քաղաքաշինության մասին» Հայաստանի Հանրապետության օրենքը (լրացումներով և փոփոխություններով):
9.2.3 Հայաստանի Հանրապետության հողային օրենսգիրքը:
9.2.4 ՀՀ կառավարության 14.05.01 թ. «Բնակավայրերի տարածքների գոտիավորման նախագծերի մշակման, փորձաքննության, համաձայնեցման, հաստատման և փոփոխման կարգը հաստատելու մասին» N 408 որոշումը, ինչպես նաև խնդրին առնչվող այլ օրենսդրական ակտերն ու նորմատիվային փաստաթղթերը:
9.2.5 «Քաղաքաշինություն. Քաղաքային և գյուղական բնակավայրերի հատակագծման և կառուցապատում» շինարարական նորմեր և կարգեր. СНиП 2.07.01-89:
9.2.6 Աբովյանի քաղաքային համայնքի (բնակավայրի) գլխավոր հատակագիծ. «Հայնախագիծ» 2007 թ:
9.2.7 ՀՀ կառավարությանն առընթեր անշարժ գույքի կադաստրի պետական կոմիտեի կազմած կադաստրային քարտեզները:
9.2.8 Աբովյանի քաղաքային համայնքի տարածքի սեյսմամիկրոշրջանացման քարտեզը` մշակված «Գեոռիսկ» գիտական բաժնետիրական ընկերությունում` «Հայնախագիծ» ԲԲԸ-ի պատվերով (հաստատված է ՍՊԱԾ-ի կողմից):
9.2.9 ՀՀ Կոտայքի մարզպետարանի, Աբովյանի համայնքին վերաբերող ելակետային նյութերը, որոշումները, ծրագրային փաստաթղթերը:
Նախագծի տարածքային իրավազորությունը պարփակվում է գրաֆիկական մասում նշված տարածքային սահմաններում:
9.3 Նախագծի հիմնարար սկզբունքները
9.3.1 Կայուն զարգացման պահանջներին համապատասխանող բնակեցման ու կենսագործունեության ժամանակակից միջավայրի ստեղծում և պահպանում:
9.3.2 Բնակելի միջավայրի համար անվտանգ տրանսպորտային երթևեկության և հետիոտն շարժման, ինժեներական ենթակառուցվածքի ստեղծում և գործունեության կազմակերպում, կանաչապատ տարածքների ընդարձակում, սանիտարահիգիենիկ և բնապահպանական պահանջների պահպանում:
9.3.3 Բնակելի ու հասարակական կառուցապատման ճարտարապետական համալիրների, տարածքի ուրույն դիմագծի ստեղծում, ավանդույթների զարգացում:
9.4 Նախագծի կիրառման բնագավառը
Նախագծի դրույթների, նորմերի և պահանջների իրագործումը պարտադիր է՝ հողերի և տարածքների, առանձին հողամասերի ու օբյեկտների նպատակային օգտագործման և շահագործման ընթացքում. կառուցապատման և հողամասերի օգտագործման ինտենսիվության, շենքերի և շինությունների հարկայնության, ճակատների ձևավորման, ճանապարհային ու ինժեներական ենթակառուցվածքի ցանցերի ու կառույցների, ճարտարապետական փոքր ձևերի տեղադրման, տարածքի բարեկարգման ու կանաչապատման համար:
9.5 Նախագծի կապը քաղաքի գլխավոր հատակագծի հետ
Աբովյան քաղաքի գլխավոր հատակագծի նախագիծը սույն Նախագծի համար հիմնական ծրագրային քաղաքաշինական փաստաթուղթ է հանդիսանում:
Նախագիծը անմիջականորեն բխում է, կապված և համաձայնեցված է Աբովյան քաղաքի գլխավոր հատակագծի նախագծի հիմնադրույթներից և գլխավոր հատակագծի իրականացման համար տրամաբանական հաջորդ փուլ է հանդիսանում, հողերի նպատակային օգտագործման, տարածքների գործառական նշանակության, կառուցապատման, բարեկարգման և կանաչապատման չափորոշիչների սահմանման, ինչպես նաև բնակչության, ուսումնադաստիարակչական, առևտրի ու կենցաղային սպասարկման համակարգերի տարածքային կազմակերպման առումով:
9.6 Նախագծի կազմը
Նախագիծը բաղկացած է տեքստային ու գրաֆիկական մասերից:
Տեքստային մասը բաց փաստաթուղթ է և կարող է մատչելի լինել բոլորի համար: Տեքստային մասի մեջ զետեղվում են գրաֆիկական մասի պատկերներ, նախագծային լուծումների դրույթները հասարակության տարբեր խմբերի համար մատչելի դարձնելու համար:
Տեքստային մասը կարող է պարբերաբար հրապարակվել և յուրաքանչյուր շահագրգիռ անձ իրավունք ունի իրազեկ լինել տեղում ձեռնարկվող քաղաքաշինական գործողության ծրագրերին: Պարբերական հրապարակումը իրականացնում է նախագծի պատվիրատուն կամ հիմնական կիրառողը:
Գրաֆիկական մասի կազմում ներկայացված են`
9.6.1 Տարածքի առկա օգտագործման (հենակետային) հատակագիծը` Մ 1:2000,
9.6.2 Գործառական գոտևորման հատակագիծը` Մ 1:2000,
9.6.3 Փողոցային ցանցի ու կարմիր գծերի կոորդինատային նշահարման հատակագիծը Մ 1:2000,
9.6.4 Ինժեներական ենթակառուցվածքի մայրուղային ցանցերի ուրվագիծը:
9.7 Տարածքի բնութագիրը
Դիրքը, սահմանները, չափերը, մակերևույթը
Տարածքը գտնվում է քաղաքի միջին մասում, մեծ և փոքր աղեղաձև համաքաղաքային նշանակության մայրուղիների միջև, կենտրոնական մասից դեպի հյուսիս-արևելք: Դեռ նախորդ գլխավոր հատակագծով նախատեսվել էր հինգերորդ և վեցերորդ միկրոշրջանների կառուցապատման համար: Միկրոշրջանների տարածքի նախագծային սահմանները ներկայացված են գրաֆիկական մասում, դրանք անցնում են շրջապատող ճանապարհային ցանցի եզրագծերով չներառելով դրանց մայթերը, կանաչապատ շերտերն ու երթևեկելի մասը:
Տարածքները ներկայումս կառուցապատումից ազատ են և կազմում են 22.38 և 41.37 հա, հյուսիսից-հարավ ձգվում են 710 և 730 մ, արևմուտքից-արևելք 540 և 950մ: Միայն վեցերորդ միկրոշրջանի մեկ հատվածում կառուցված են ինը հարկանի հանրակացարանային շենքեր:
Ռելիեֆը բարենպաստ է կառուցապատման համար, մեղմ թեքությամբ և ուղղված է դեպի հարավ-արևմուտք, նեղ լանջերով բաժանված է դարավանդների: Տարածքի եզրամասերի ռելիեֆը մասնակի խախտված է աղեղաձև մայրուղիների շինարարության ընթացքում:
Լանդշաֆտը լեռնատափաստանային է, բուսականությունը` ցածր խոտ է, ամռան կեսից չորացած վիճակում:
Առկա հողօգտագործմամբ` տարածքը համայնքի հողային պաշարների հաշվեկշռով ընդգրկված է բնակավայրերի հողերի կազմում. այլ հողեր գործառական նշանակությամբ:
Սույն գլխավոր հատակագծով նախատեսվում է բնակելի բազմաբնակարան կառուցապատման համար:
Ինժեներաերկրաբանական և սեյսմատեկտոնական պայմաններ
Ինժեներաերկրաբանական պայմանները բարենպաստ են, գրունտների արագացումը հիմնականում կազմում է 0.25g մինչև 0.35 g: Բարենպաստ է զանգվածային բնակելի կառուցապատման համար:
Կլիման բնորոշվում է չափավոր ցուրտ ձմեռով և տաք ամառով: Տեղումների տարեկան միջին քանակը կազմում է 480-ից 520 մմ: Առաջին ձյունը տեղում է դեկտեմբերի վերջին տասնօրյակին և մնում է մինչև մարտ: Քամիների գերակշռող ուղղությունը հյուսիս-արևելքից դեպի հարավ-արևմուտք է:
9.8 Տարածքի նախագծային հատակագծային կառուցվածքը
Նախատեսվում է բնակելի կառուցապատման տեղաբաշխում համապատասխան տարածքի բնական ռելիեֆի նվազագույն փոփոխման պայմանով:
Տարածքի հիմնական մասը օգտագործվելու է բնակելի բազմաբնակարան շենքեր տեղադրելու համար:
Երկու միկրոշրջանների կանաչապատումը նախատեսվում է տարածքի երկայնքով հյուսիսից-հարավ ուղղությամբ անցնող ձորակով և լանջով:
Հանրակրթական դպրոցի տեղաբաշխում նախատեսվում է վեցերորդ միկրոշրջանի տարածքում, ինչպես նաև չորրորդ ու հինգերորդ միկրոշրջաններին հարակից մասում, գլխավոր հատակագծով նախատեսված տարածքում, պահպանելով նշված միկրոշրջանների համար դպրոցի նկատմամբ հասանելիության նորմերը:
Մանկապարտեզի տեղադրումը նախատեսված է նախագծվող տարածքների միջնամասերում:
Բնակչության կենցաղային սպասարկման և առևտրի ձեռնարկությունների տեղաբաշխումը նախատեսվում է չորրորդ և հինգերորդ միկրոշրջանների միջև տեղական նշանակության ճառագայթային ուղղությամբ նախատեսվող փողոցի ու մեծ աղեղաձև մայրուղու երկայնքով և վեցերորդ միկրոշրջանի միջին մասում և եզրերով: Հինգերորդ և վեցերորդ միկրոշրջանների միջև ընկած ձորակից արևելք նախատեսված է ճառագայթային ուղղությամբ համաքաղաքային մայրուղի, որն ուղղվում է դեպի յոթերորդ և ութերորդ միկրոշրջանները:
Ներքին փողոցները նախատեսվում են բնական ռելիեֆին նվազագույն միջամտությամբ և միանում են տեղական նշանակության ճանապարհներին, բացառելով համաքաղաքային նշանակության փողոցներին անմիջական միացումը:
Նախագծով առանձնացվում են հետևյալ հիմնական գոտիները.
աղյուսակ 9.8
|
|
Հիմնական գոտիներ |
Միկրոշրջանների տարածք, հա | |
|
Հինգերորդ |
Վեցերորդ | ||
|
9.8.1 |
Բնակելի կառուցապատման |
14.54 |
23.35 |
|
9.8.2 |
Ուսումնադաստիարակչական |
0.49 |
3.56 |
|
9.8.3 |
Կենցաղային սպասարկման և առևտրի |
0.8 |
1.63 |
|
9.8.4 |
Ներքին փողոցային ցանց |
4.15 |
4.85 |
|
9.8.5 |
Կանաչապատ և մարզական |
2.4 |
7.5 |
Տարածքում առկա է ինժեներական ենթակառուցվածքի ծառայությանը վերաբերվող «ՀայՌուսգազարդի» Աբովյանը մասնաճյուղի գրասենյակը, որը զբաղեցնում է 0.53 հա:
9.9 Ինժեներական ենթակառուցվածք
9.9.1 Ջրամատակարարում և կոյուղի
Հինգերորդ և վեցերորդ միկրոշրջանների ջրամատակարարումը ու կոյուղին Աբովյանի ջրամատակարարման և կոյուղու ենթակառուցվածքի մասն են կազմելու: Դրանց խմելու, տնտեսական և հակահրդեհային կարիքների համար պահանջվող ջրամատակարարումը կատարվելու է ջրամատակարարման քաղաքային մայրուղային ցանցից, որի մասին տեղեկությունը ներկայացված է 5.12 բաժնում և գրաֆիկական մասի ուրվագծերում:
Հինգերորդ միկրոշրջանի խմելու, տնտեսական և հակահրդեհային կարիքների համար պահանջվող միջին օրական ջրաքանակի և հեռացման ենթաքանակի հաշվարկը բերվում է ստորև ներկայացված 9.9.1-1 աղյուսակում:
աղյուսակ 9.9.1-1
|
N |
Ջրասպառողներ |
Ջրասպառողների հաշվարկային քանակ հազ. մարդ |
Ջրասպառման հաշվարկային նորման, լ/օր |
Ջրապահանջ |
Ջրահեռացում | ||
|
մ3/օր |
լ/վրկ |
մ3/օր |
լ/վրկ | ||||
|
1 |
Բնակչություն |
3.6 |
200 |
740 |
9.5 |
700 |
8 |
|
2 |
Արտադրական ձեռնարկ. |
- |
- |
- |
- |
- |
- |
|
3 |
Հակահրդեհային կարիքներ |
- |
- |
75 |
1.0 |
- |
- |
|
|
Ընդամենը |
- |
- |
815 |
10.5 |
|
|
|
4 |
Կորուստներ և չնախատեսվ. ծախսեր |
- |
- |
350 |
3.0 |
- |
- |
|
|
ամբողջը |
- |
- |
1165 |
13.5 |
700 |
8 |
Վեցերորդ միկրոշրջանի խմելու, տնտեսական և հակահրդեհային կարիքների համար պահանջվող միջին օրական ջրաքանակի և հեռացման ենթաքանակի հաշվարկը բերվում է ստորև ներկայացված 9.9.1-2 աղյուսակում:
աղյուսակ 9.9.1-2
|
N |
Ջրասպառողներ |
Ջրասպառողների հաշվարկային քանակ հազ. մարդ |
Ջրասպառման հաշվարկային նորման, լ/օր |
Ջրապահանջ |
Ջրահեռացում | ||
|
մ3/օր |
լ/վրկ |
մ3/օր |
լ/վրկ | ||||
|
1 |
Բնակչություն |
5.4 |
200 |
1100 |
14 |
1000 |
12 |
|
2 |
Արտադրական ձեռնարկ. |
- |
- |
- |
- |
- |
- |
|
3 |
Հակահրդեհային կարիքներ |
- |
- |
110 |
1.5 |
- |
- |
|
|
Ընդամենը |
- |
- |
1210 |
15.5 |
1000 |
12 |
|
4 |
Կորուստներ և չնախատեսվ. ծախսեր |
- |
- |
520 |
4.5 |
- |
- |
|
|
ամբողջը |
- |
- |
1730 |
20 |
1000 |
12 |
9.9.2 Մակերևութային ջրերի հեռացում
Տարածքի ռելիեֆի և թեքությունների օգտագործմամբ մթնոլորտային տեղումներից և ձնհալից առաջացող ջրահոսքերի հեռացումը նախատեսվում է կատարել մասամբ ճանապարհային ցանցի մակերեսով դեպի համաքաղաքային նշանակության մայրուղիներով նախատեսված հեղեղատար կոյուղու ցանցով: Կազմակերպված հեռացվող մակերևութային ջրերը պետք է ենթարկվեն մաքրման և դրանից հետո բաց թողնվեն դեպի Հրազդան գետը (տես 6.7 բաժինը):
9.9.3 Էլեկտրամատակարարում
Հինգերորդ միկրոշրջանի էլեկտրաէներգիայի գումարային պահանջարկի հաշվարկը ներկայացված է 9.9.3-1 աղյուսակում:
աղյուսակ 9.9.3-1
|
հհ |
սպառողները |
քանակ հազ. |
մեկ մարդուն պահանջվող էլ. էներգիայի քանակը կՎտ/ժամ/տ |
էլ. էներգիայի գումարային ծախսը հազ.կՎտ/ժամ/տ |
տարվա մեջ օգտագործ. ժամերը |
մաքսիմալ պահանջվող հզորությունը կՎտ |
|
1. |
բնակչությունը |
5.4 |
2000 |
10800 |
5700 |
1890 |
|
2. |
կորուստներ և չնախատեսված |
|
|
3240 |
|
567 |
|
ընդամենը |
|
|
14040 |
|
2500 | |
Վեցերորդ միկրոշրջանի էլեկտրաէներգիայի գումարային պահանջարկի հաշվարկը ներկայացված է 9.9.3-2 աղյուսակում:
աղյուսակ 9.9.3-2
|
հհ |
սպառողները |
քանակ հազ. |
մեկ մարդուն պահանջվող էլ. էներգիայի քանակը կՎտ/ժամ/տ |
էլ. էներգիայի գումարային ծախսը հազ.կՎտ/ժամ/տ |
տարվա մեջ օգտագործ. ժամերը |
մաքսիմալ պահանջվող հզորությունը կՎտ |
|
1. |
բնակչությունը |
3.6 |
2000 |
7200 |
5700 |
1260 |
|
2. |
կորուստներ և չնախատեսված |
|
|
2160 |
|
378 |
|
ընդամենը |
|
|
9360 |
|
1638 | |
9.9.4 Գազամատակարարում
Հինգերորդ և վեցերորդ միկրոշրջանի բազմաբնակարան շենքերի ջեռուցումը նախատեսվում է կենտրոնացված` խմբավորված շենքերի համար կառուցելով համապատասխան հզորությամբ կաթսայատուն սպասարկվող տարածքի կենտրոնական մասում, արտաքին ջերմային փոքր ցանցերով: Հնարավոր է նաև ջերմության սպառող առանձին շենքերի կտուրներում տեղադրելով փոքր հզորության կաթսայատուն: Տաք ջրի ստացումը իրականացվում է էլեկտրականության կամ գազասարքավորումների միջոցով:
Վեցերորդ միկրոշրջանի ցածրահարկ բնակելի շենքերի և առանձնատների ջեռուցումը բնակարանային փոքր հզորությամբ կաթսայատներով կամ գազի վառարաններով, տաք ջրի ստացումը` գազասարքավորումների միջոցով:
9.10 Շրջակա միջավայրի պահպանություն
Շրջակա միջավայրի պահպանությանը վերաբերվող հարցերը մանրամասն ներկայացվում են 6-րդ գլխում:
9.11 Տարածքների օգտագործման ձևեր և սահմանափակումների հիմնավորումներ
9.11.1 Բնակելի կառուցապատման ձևեր
Հիմնական օգտագործման ձևերն են՝
9.11.1.1 Բազմաբնակարան շենքեր
9.11.1.2 Սակավահարկ մենատներ
9.11.2 Հյուրանոցային ծառայություն տարածքում չի նախատեսվում
9.11.3 Կրթական և նախադպրոցական հիմնարկություններ
Հիմնական օգտագործման ձևերն են՝
9.11.3.1 Մանկապարտեզներ, մանկամսուրներ, այդ թվում մասնավոր նախաձեռնությամբ բնակելի շենքերի առաջին հարկերում սանիտարական նորմերի պահպանումով
9.11.4 Բուժական հիմնարկություններ
Հիմնական օգտագործման ձևերն են՝
9.11.4.1 Բուժական կաբինետներ, մասնավոր նախաձեռնությամբ բնակելի շենքերի առաջին հարկերում սանիտարական նորմերի պահպանումով
9.11.5 Վարչական, ֆինանսական կազմակերպությունների և ծառայությունների տեղաբաշխում չի նախատեսվում:
9.11.6 Կենցաղ սպասարկման առաջնային ծառայություններ
Հիմնական օգտագործման ձևերն են՝
9.11.6.1 Վարսավիրանոցներ, գեղեցկության սրահներ
9.11.6.2 Կենցաղային օգտագործման իրերի, հագուստի քիմիական մաքրման ընդունման կետեր,
9.11.6.3 Հագուստի, կոշիկի, և կենցաղային այլ իրերի ու տեխնիկայի նորոգման արհեստանոցներ։
9.11.7 Պաշտամունքային հիմնարկությունների տեղաբաշխում չի նախատեսվում
9.11.8 Մշակութային և մարզական կազմակերպություններ
Հիմնական օգտագործման ձևերն են՝
9.11.8.1 Գրադարաններ, համակարգչային սրահներ
9.11.8.2 Մարզասրահներ առանց հանդիսատեսների համար նախատեսված մշտական նստատեղերի
9.11.8.3 Խաղահրապարակներ,
9.11.8.4 Մանկական լողավազաններ, բաց կամ ծածկված
9.11.9 Առևտրական հաստատություններ
Հիմնական օգտագործման ձևերն են՝
9.11.9.1 Մանրածախ առևտրի խանութներ, տաղավարներ, կրպակներ
9.11.10 Հասարակական սննդի օբյեկտներ
Հիմնական օգտագործման ձևերն են՝
9.11.10.1 Սրճարաններ, բարեր, խորտկարաններ, այդ թվում բացօթյա, ճաշարաններ, ռեստորաններ, խոհարարական ծառայությունների և արագ սննդի կետեր,
11. Արտադրական ձեռնարկությունների տեղաբաշխում, որոնց գործարկումը չի վատթարացնում բնակեցման պայմանները:
Հիմնական օգտագործման ձևերն են՝
● Բնակչության ամենօրյա օգտագործման մթերքի արտադրություն
● Արհեստագործական արհեստանոցներ
12. Ավտոծառայություններ և տրանսպորտային կառույցներ
Հիմնական օգտագործման ձևերն են՝
● Ավտոկայանատեղեր (վերգետնյա և ստորգետնյա մինչև 25 ավտոմեքենա)։
● Ավտոկանգառներ բացօթյա (մինչև 10 ավտոմեքենա)
13. Գյուղատնտեսական ձեռնարկություններ չի նախատեսվում
14.Ոչ հիմնական շինություններ
Հիմնական օգտագործման ձևերն են՝
● Կրպակներ,
● Տաղավարներ,
● Պարտեզային նստարաններ, շվաքարաններ։
15.Գոտիներում թույլատրելի օգտագործումների (կառուցապատումների) սահմանափակումների հիմքն են ծառայել՝
● «Քաղաքաշինության մասին» ՀՀ օրենքի հոդված 14-ում սահմանված պահանջները
● Աբովյանի գլխավոր հատակագծի նախագծում նախատեսվող հողօգտագործումը, տարածքի գործառական ու հատակագծային կառուցվածքը
● Քաղաքաշինական, բնապահպանական, պատմամշակութային, ինժեներաերկրաբանական և այլ բնույթի սահմանափակումները,
● Հողամասերի գործառական նշանակությունը, առանձին հողատեսքերին և ընդունված թույլատրելի օգտագործումներին ներկայացվող ճարտարապետահատակագծային պահանջները
● Հիմնական և օժանդակ գոտիներն առանձնացվել են հաշվի առնելով հողամասերի նպատակային նշանակությունը,
9.12 Հիմնական գոտիներ
Նախագծվող տարածքը մասնատված է առանձին հատվածների` հիմնական գոտիների, որտեղ մեկ տարածքային միավորին կարող է համապատասխանել միայն մեկ հիմնական գոտի:
Հիմնական գոտիներն են`
9.12.1 Բնակելի կառուցապատման
9.12.2 Ուսումնադաստիարակչական
9.12.3 Առևտրի, հանրային սննդի և կենցաղային սպասարկման
9.12.4 Կանաչապատ
9.12.5 Մարզական
9.12.6 Ինժեներական ենթակառուցվածքի
9.12.7 Ճանապարհատրանսպորտային
Որոշ գոտիների վրա կարող են տարածվել լրացուցիչ սահմանափակումներ, կապված` համապատասխանաբար պատմաճարտարապետական հուշարձանների պահպանման և առավելագույն ընկալման հնարավորությունների բացահայտման, սանիտարահիգիենիկ կամ բնապահպանական պահանջների բավարարման, բնական լանդշաֆտի արժեքավոր ձևերի վերականգնման, էկոհամակարգերի տարբեր խախտումների փոխհատուցման գործընթացների կանոնակարգման, ինժեներական նախապատրաստման համալիր միջոցառումների պարտադիր իրականացման ապահովման հետ պայմանավորված կառուցապատման սահմանափակումների, սանպահպանման կամ օտարման գոտիների ապահովման պահանջների հետ։
Կոմունալ և ինժեներական ենթակառուցվածքներն ու սարքավորումները տեղակայվում են հատուկ առանձնացված տարածքներում` նորմերով պահանջվող պաշտպանիչ կամ սանիտարապաշտպանիչ գոտիներով:
9.13 Հավելյալ գոտիներ (հավելագոտիներ)
աղյուսակ 9.13
|
Մակնիշ |
Հավելագոտիների բնութագիրը |
|
«ԲՖ» |
Բազմաֆունկցիոնալ գոտի` հասարակական ներքին և արտաքին տրանսպորտի կանգառների ու հետիոտն ինտենսիվ հոսքերի տիրույթ |
|
«ԿՀ» |
Բնակելի միջավայրում հետիոտն կապի ուղիներ, պուրակների ու ծառուղիներ` կանաչապատման համակարգ |
|
«Առ» |
Առաջնահերթ իրացման հողակտորներ |
|
«ԱՎ» |
Ամբողջական վերակառուցման գոտիներ` առկա բնակֆոնդի քանդում և նորի կառուցում |
|
«Մոդ» |
Արդիականացման գոտիներ |
|
«Բար» |
Բարեփոխումների գոտի` որակյալ բնակարանային ֆոնդի առկայությամբ բարեկարգում պահանջող տարածք |
|
«Գեր» |
Գերակա զարգացման գոտի` առաջնահերթ միջամտություն պահանջող ռազմավարական կարևորություն ունեցող |
|
«ԽԿ» |
Կառուցապատման կարգավորման խիստ ռեժիմով գոտի` համաքաղաքային կարևոր նշանակություն ունեցող տարածք կամ կառույց |
|
«ՈչՀ» |
Ոչ հարմար տարածքներ` բնական փլուզումների, խախտված և վերականգնողական միջոցառումներ պահանջող հետագայում սահմանափակ օգտագործմամբ |
|
«ՀԿ» |
Հատուկ կարգավիճակ ունեցող միավոր` հատուկ լիազորություններով օժտված գործակալի հսկողությամբ կատարվող անշարժ գույքի նկատմամբ որևէ փոփոխություն |
Տարածքներում հավելյալ գոտիներ չեն նախատեսվում:
9.14 Տարածքի գոտիավորման նախագծային հաշվեկշիռ
աղյուսակ 9.14
|
Գոտիներ |
Տարբերակող նշաններ |
Տարածք, հա | |
|
|
|
5-րդ միկրոշրջան |
6-րդ միկրոշրջան |
|
Բնակելի կառուցապատման |
ԲԿ |
14.54 |
23.35 |
|
Ուսումնադաստիարակչական |
ՈւԴ |
0.49 |
3.56 |
|
Կանաչապատ, հանգստի և մարզական |
ԿՀ և Մ |
2.4 |
7.5 |
|
Առևտրի և կենցաղային սպասարկման |
ԱԿ |
0.8 |
1.63 |
|
Ճանապարհատրանսպորտային |
ՃՏ |
4.15 |
4.85 |
|
Ինժեներական ենթակառուցվածքի |
ԻԵ |
- |
0.53 |
9.15 Թույլատրված օգտագործման ձևեր
աղյուսակ 9.15
|
հհ |
Օգտագործման ձևեր |
ԲԿ |
ՈւԴ |
ԿՀ |
Մ |
ԱԿ |
ՃՏ |
ԻԵ |
|
9.15.1 |
Բազմաբնակարան շենքեր |
Թ |
|
|
|
|
|
|
|
9.15.2 |
Սակավահարկ մենատներ |
Թ |
|
|
|
|
|
|
|
9.15.3 |
Մանկապարտեզներ, մանկամսուրներ |
|
Թ |
|
|
|
|
|
|
9.15.4 |
Միջնակարգ դպրոցներ, քոլեջներ |
|
Թ |
|
|
|
|
|
|
9.15.5 |
Բուժական կաբինետներ |
Թ |
|
|
|
|
|
|
|
9.15.6 |
Պոլիկլինիկաներ |
Թ |
|
|
|
|
|
|
|
9.15.7 |
Կոմունալ ծառայությունների գրասենյակներ |
|
|
|
|
Թ |
|
Թ |
|
9.15.8 |
Անհատական գրասենյակներ (օֆիսներ) |
Թ |
|
|
|
Թ |
|
|
|
9.15.9 |
Դրամափոխանակման ծառայություն |
|
|
Թ |
|
Թ |
|
|
|
9.15.10 |
Կապի բաժանմունքներ |
|
|
|
|
Թ |
|
|
|
9.15.11 |
Ոստիկանական տեղամասեր |
|
|
|
|
|
|
Թ |
|
9.15.12 |
Կենցաղային սպասարկման առաջնային ծառայություններ |
|
|
|
|
Թ |
|
|
|
9.15.13 |
Վարսավիրանոցներ |
Թ |
|
|
|
Թ |
|
|
|
9.15.14 |
Քիմմաքրման ընդունման կետեր |
|
|
|
|
Թ |
|
Թ |
|
9.15.15 |
Լվացքատներ |
|
|
|
|
Թ |
|
Թ |
|
9.15.16 |
Մանկական և դիաբետիկ սննդի խոհանոցներ |
|
|
|
|
Թ |
|
|
|
9.15.17 |
Մարզասրահներ առանց հանդիսատեսների համար նախատեսված մշտական նստատեղերի |
|
|
|
Թ |
|
|
|
|
9.15.18 |
Մանկական լողավազաններ, բաց կամ ծածկված |
|
|
|
Թ |
|
|
|
|
9.15.19 |
Խաղահրապարակներ, մարզահրապարակներ |
Թ |
|
|
Թ |
|
|
|
|
9.15.20 |
Գրադարաններ, համակարգչային սրահներ |
|
|
|
|
|
|
|
|
9.15.21 |
Բնակելի թաղամասերի զբոսայգիներ, պուրակներ |
|
|
Թ |
|
|
|
|
|
9.15.22 |
Անաղմուկ ժամանցի համալիրներ |
|
|
Թ |
|
Թ |
|
|
|
9.15.23 |
Մանրածախ առևտրի խանութներ, տաղավարներ, կրպակներ |
|
|
|
|
Թ |
|
|
|
9.15.24 |
Ավտոպահեստամասերի վաճառք |
|
|
|
|
Թ |
|
Թ |
|
9.15.25 |
Խորտկարաններ, ճաշարաններ |
|
|
|
|
Թ |
|
|
|
9.15.26 |
Ռեստորաններ, սրճարաններ, բարեր |
|
|
|
|
Թ |
|
|
|
9.15.27 |
Տնայնագործական արտադրություն |
|
|
|
|
|
|
Թ |
|
9.15.28 |
Արհեստագործական արհեստանոցներ |
|
|
|
|
|
|
Թ |
|
9.15.29 |
Ավտոկանգառներ |
|
|
|
|
|
Թ |
|
|
9.15.30 |
Ստորգետնյա և վերգետնյա ավտոկայանատեղեր |
Թ |
|
|
|
|
|
|
|
9.15.31 |
Կրպակներ |
Թ |
|
|
|
|
|
|
|
9.15.32 |
Տաղավարներ |
Թ |
|
|
|
|
|
|
|
9.15.33 |
ճարտարապետական փոքր ձևեր |
Թ |
Թ |
Թ |
Թ |
Թ |
Թ |
Թ |
9.16 Կառուցապատման չափորոշիչներ
9.16.1 Բազմաբնակարան շենքերով կառուցապատում
տես աղյուսակ 9.15, կետ 9.15.1
9.16.1-1 Շենքերի և շինությունների տակ զբաղեցված տարածք, ոչ ավելի - 40%
9.16.1-2 Կոշտ ծածկույթով տարածք, ոչ ավելի - 20%
9.16.1-3 Հողամասի կանաչ ծածկույթ, նվազագույն - 40%
9.16.1-4 Նվազագույն լայնություն - 12 մ
9.16.1-5 Երկարությունը - ըստ հողամասի
9.16.1-6 Առավելագույն հարկայնությունը - 16 հարկ
9.16.1-7 Նվազագույն բարձրությունը - 15 մ
9.16.2 Սակավահարկ մենատներ
տես աղյուսակ 9.15, կետ 9.15.2
9.16.2-1 Կառուցապատման մակերեսը, ոչ ավելի -120 մ2
9.16.2-2 Կոշտ ծածկույթով տարածք , ոչ ավելի - 40 մ2
9.16.2-3 Հողամասի կանաչ ծածկույթ, նվազագույն - 100 մ2
9.16.2-4 Առավելագույն հարկայնությունը - երեք հարկ
9.16.3 Բնակելի միջավայրում տեղադրման համար թույլատրվող շենքեր կամ շինություններ
տես աղյուսակ 9.15
9.15 աղյուսակի 9.15.3-ից 9.15.33 բերված տարբեր նշանակության շենքերի չափորոշիչներ են`
9.16.3-1 Հարկայնությունը .....................................մինչև երկու հարկ,
9.16.3-2 Բարձրությունը ........................................մինչև 8 մ,
9.16.3-3 Շենքերի, շինությունների տակ ոչ ավելի 60%
9.16.3-4 Կանաչապատման և բարեկարգման մասը ոչ պակաս 25%
9.16.3-5 Անցուղիներ, ճանապարհներ, հարթակներ մինչև 15%
9.16.4 Հավելյալ սահմանափակումներ
9.16.4-1 Կարմիր գծերին հարող բազմաբնակարան շենքերի առաջին հարկերը պետք է նախատեսվեն ոչ բնակելի գործառույթների տակ օգտագործելու համար (տես աղյուսակ 9.15-ի` 9.15.5, 9.15.6, 9.15.8, 9.15.13, 9.15.20 և 9.15.23 կետեր):
9.16.4-2 Կարմիր գծին հարող շենքերի և 9.16.4-1 կետում նշված առաջին հարկում տեղադրվող կազմակերպությունների ու ձեռնարկությունների մուտքի կազմակերպումը (շքամուտք, աստիճաններ) չպետք է նվազեցնի հարակից մայթի նորմատիվ լայնությունը:
9.16.4-3 Աղյուսակ 9.15-ի 9.15.3-ից 9.15.32 կետերում (բացառությամբ 9.15.21-ի) բերված օբյեկտների առջև պետք է նախատեսվեն ոչ պակաս երեք մարդատար ավտոմեքենաների համար ավտոկայանատեղեր:
9.17 Կառուցապատման կանոններ
Կանոնները պարտադիր են կիրառման համար նախագծվող տարածքի սահմաններում նախատեսված բոլոր գոտիների համար։ Կանոնները կոնկրետ տարածքի պայմաններից ելնելով կարգավորում են դրա սահմաններում նախատեսված գոտիների գործառական կիրառումը, կառուցապատման և շահագործման ընթացքում առաջացող խնդիրները:
9.17.1 Կանոնների հիմնական սկզբունքներն են`
9.17.1-1 Գոտևորման նախագծով ներկայացված պահանջների իրականացում:
9.17.1-2 Միջավայրին անհարիր կառույցների վերափոխման մեխանիզմների կիրառում:
9.17.1-3 Բնապահպանական, սանիտարական, հակահրդեհային, տեխնիկական և այլ` բնակեցման համար հուսալի, որակյալ և կայուն զարգացող միջավայրի ստեղծմանն ուղղված միջոցառումների հետևողական իրականացում:
9.17.2 Շինարարական գործընթաց
9.17.2-1 Շինարարական բոլոր օբյեկտները, ինչպես հիմնական, այդպես էլ ոչ հիմնական կառույցները, պետք է կառուցվեն գործող կարգերին համապատասխանող քաղաքաշինական փաստաթղթերի առկայության պայմանով:
9.17.2-2 Շինարարական գործընթացը պետք է իրականացվի գործող կարգերին համապատասխան քաղաքաշինական վերահսկողության ներքո
9.17.2-3 Շինարարական հրապարակում պետք է պահպանվեն` բնապահպանական, սանիտարական, հակահրդեհային, տեխնիկական անվտանգության բոլոր պահանջները:
9.17.3 Ստորգետնյա տարածքների օգտագործում
9.17.3-1 Բազմաբնակարան կառուցապատման գոտիներում, որպես կանոն պետք է նախատեսվեն ստորգետնյա. շենքերի տակ կամ կիսաստորգետնյա ավտոկայանատեղեր բնակիչների անձնական օգտագործման մարդատար ավտոմեքենաների համար:
9.17.3-2 Կիսաստորգետնյա կայանատեղերի կառույցի վերգետնյա հատվածը տարածքի օգտագործման հաշվեկշռում հաշվարկվում է որպես շենքերի, շինությունների տակ ընկած (կառուցապատված) մաս:
9.17.3-3 Բոլոր շենքերի կիսանկուղների պատուհանների գոգերը մայթից պետք է առնվազն 0.3 մ բարձր լինեն:
9.17.3-4 Հասարակական նշանակության կառույցների (անկախ սեփականության ձևերի) համար նախատեսվում են միայն վերգետնյա կայանահարթակներ:
9.17.4 Շենքերի ճակատներին, շքամուտքերին, դրանց աստիճաններին և տանիքներին ներկայացվող պահանջներ
9.17.4-1 Շենքերի ճակատների հարդարանքը պետք է կատարվի գործող կարգերին համապատասխան համաձայնեցված, հաստատված նախագծային փաստաթղթերով:
9.17.4-2 Շենքերի շքամուտքերն ու դրանց աստիճանները պետք է դրվեն կարմիր գծից ներս, չպետք է զբաղեցնեն փողոցի մայթերի ու անցուղիների մասը:
9.17.4-3 Շենքերը կարող են ունենալ ինչպես հարթ, այնպես լանջավոր տանիք: Դրանք կարող են լինեն նաև օգտագործելի:
9.17.4-4 Շենքերի նախագծային լուծումն ու դրա շինարարական կատարումը պետք է ապահովի տեխնիկական, սանիտարական, էկոլոգիական և հակահրդեհային բոլոր պահանջները:
9.17.5 Գովազդամիջոցներին, ցուցանակներին, անվանատախտակներին և փողոցների լուսավորմանը ներկայացվող պահանջներ
9.17.5-1 Փողոցներում տեղադրվող գովազդային վահանակները պետք է տեղադրվեն մոտակա կարգավորվող խաչմերուկից առնվազն 50 մ հեռավորության վրա:
9.17.5-2 Բնակելի կառուցապատման միջավայրում ձայնային գովազդ չի նախատեսվում, այդ թվում նաև տարբեր տեսակի ձայնային երաժշտական կրիչների վաճառքի դեպքում:
9.17.5-3 Բնակելի շենքերի պատուհանների կողմ ուղղված լուսային գովազդի տեղադրում
9.17.5-4 չի նախատեսվում:
9.17.5-5 Բնակելի շենքերի ճակատներին գովազդի տեղադրում չի նախատեսվում:
9.17.5-6 Փողոցների անվանատախտակները պետք է տեղադրվեն ստանդարտ չափերով 50 x 15 սմ՝ միասնական հատուկ նախագծի համաձայն:
9.17.5-7 Շենքերի համարների չափերը պետք է ընդունվեն՝ լուսավորումով` տրամագիծը -0.3 մ, առանց լուսավորման` 0.15 x 0.15 մ:
9.17.5-8 Կազմակերպությունների անվանատախտակները և բնակիչների անվանատախտակները կցվում են միայն շքամուտքերի դռներին:
9.17.5-9 Փողոցների լուսավորումը պետք է կազմակերպվի պատի աշտարակներով:
9.17.6 Հասարակական տրանսպորտի կանգառներ
Հասարակական տրանսպորտի կանգառները պետք է տեղավորվեն միկրոշրջանների տարածքը շրջապատող մայրուղիների ու փողոցների մայթերին հարակից մասում, միասնական նախագծով մշակված, ոչ հիմնական, թեթև կոնստրուկցիաներից կառուցված, թափանցիկ պատերով: Առավելագույն չափերը՝ երկարությունը - 6.0 մ, լայնությունը - 2.4 մ, բարձրությունը - 2.2 մ:
9.17.7 Բնակելի շենքերի, առանձնատների ու հասարակական սպասարկման կառույցների միջև հեռավորությունը
Բնակելի և հասարակական շենքերի միջև թույլատրվող հեռավորությունը կարգավորվում է գործող նորմերին համապատասխան։
9.17.8 Աղմուկի թույլատրելի մակարդակը
Բոլոր գոտիներում որտեղ թույլատրված է բնակելի կառուցապատման համար սահմանված աղմուկի թույլատրելի մակարդակ, որը չպետք է գերազանցի 55 դԲԱ (ցերեկը) և 45 դԲԱ (գիշերը):
9.17.9 Գոտիավորման նախագծին չհամապատասխանող շինությունների կարգավորում
Գոտիավորմանը չհամապատասխանող բոլոր տեսակի օրինական համարվող օգտագործման ձևերը կամ շենքերը` որոնք գոյությունը պահպանել են մինչև սույն նախագծի հաստատման տարեթիվը`
9.17.9.1 Այսուհետև պետք է կարգավորվեն միայն սույն կանոնների պահանջներին համապատասխան:
9.17.9.2 Վեց ամսից ավելի լքված և չօգտագործվող կառույցների հետագա օգտագործման ձևը պետք է համապատասխանեցվի իր գտնվելու հիմնական գոտու թույլատրելի օգտագործումներին:
9.17.9.3 Կարող են նորոգվել, եթե բոլոր կառուցվածքային փոփոխումները կատարվում են գործող քաղաքաշինական օրենսդրությանը համաձայն:
|
Հայաստանի Հանրապետության կառավարության աշխատակազմի ղեկավար-նախարար |
Մ. Թոփուզյան |
Օգտագործած ղեկավար փաստաթղթեր և գրականություն
1. «Հայաստանի Հանրապետության վարչատարածքային բաժանման տեղեկատու ատլաս», Երևան, 2004 թ.:
2. Сборник материалов международного семинара "Демография Армении на стыке тысячалетия" (Дилижанские чтения, 2000 г.)
3. Конвенция ОВОС, ЭСПО, Финляндия, 25.02.1991 г., 10.09.1997 г.
4. «ՄԱԿ-ի լրատու», 2003 թ.:
5. «Հայաստանի սոցիալական միտումները», տեղեկատվական-վերլուծական պարբերական, Երևան, 2002 թ.:
6. «Ռազմավարական էկոլոգիական գնահատման մասին» ՄԱԿ-ի Եվրոպական տնտեսական հանձնաժողովի արձանագրություն, Երևան, 2004 թ. 30 մարտի:
7. «Ռազմավարական էկոլոգիական գնահատման ոլորտում հզորությունների ստեղծումը Հայաստանում»:
8. «Հայաստանում անապատացման դեմ պայքարի գործունեությունների ազգային ծրագիր», ՀՀ բնապահպանության նախարարություն, Երևան, 2002 թ.:
9. "О состоянии окружающей среды Армении в 2002 году. Национальный доклад. Министерство охраны природы Республики Апмения.
10. «Հայաստանի Հանրապետության 2001 թ. մարդահամարի արդյունքները», ՀՀ 2001 թվականի մարդահամարի կազմակերպման և անցկացման հանրապետական հանձնաժողով, Երևան, 2003 թ.:
11. Եվրոպական լանդշաֆտի կոնվենցիա և աշխատանքային զեկույց. Ստրասբուրգ, 2000 թ.:
12. «ՀՀ բնակավայրերի ատլաս», Երևան, 2001 թ.:
13. «Քաղաքաշինության մասին» ՀՀ օրենք, ՀՕ-217:
14. «Բնակավայրերի տարածքների գոտևորման նախագծերի մշակման, փորձաքննության, համաձայնեցման և փոփոխման կարգ», N-408, 14.05.2001 թ.:
15. «ՀՀ քաղաքային և գյուղական համայնքների գլխավոր հատակագծերի մշակման, փորձաքննության, համաձայնեցման և փոփոխման կարգ», N -609-Ն, 02.05.2003 թ.:
16. СНиП 2.07.01-89, Госстрой СССР, Москва, 1989 г.
17. «Քաղաքաշինական փաստաթղթերի փորձաքննության կարգ», N -96, 02.02.2002 թ.:
18. "Ландшафт и архитектура", Дж. Саймондс, Москва, 1965 г.
19. Ландшафтоведение. Эстетика и дизайн. В. А. Николаев. "Аспект и дизайн", М., 2003
20. "Город, человек, окружающая среда. Проблемы рекреации в градостроительстве". Будапешт, 1981 г.
21. "Руководство по комплексной оценке и функциональному зонированию территорий", Москва, 1979 г.
22. "Санитарная охрана окружающей среды современного города", Г. Новиков, Москва, 1978 г.
23. Указания по расчету рассеивания в атмосфере вредных веществ, содержащихся в выбросах предприятий, СН 369-74.
24. "Рациональное использование территорий городов", И. Я. Конторович, А. Б. Ривкин, Москва, 1985 г.
25. Руководство по составлению раздела "Охрана природы и улучшение окружающей среды градостроительными средствами", Москва, 1982 г.
26. "Взаимодействие природных факторов и результатов градостроительной деятельности в формировании среды городов, Москва, 1974 г.
27. "Руководство по составлению раздела "Охрана природы н улучшение окружающей среды градостроительными средствами" в проектах планировки и застройки городов, поселков и сельский населенных пунктов. ЦНИИП градостроительства Госгражданстроя. Москва, 1982.
28. Руководство по охране окружающей среды в районной планировке. ЦНИИП градостроительства Госгражданстроя. Москва, 1980 г.
29. Указания по расчету рассеивания в атмосфере вредных веществ, содержащихся в выбросах предприятий. СН 369-74. Госстрой СССР. Москва, 1975 г.
30. Иструкция о составе, порядке разработки, согласования и утверждения раздела инженерно-технических мероприятий гражданской обороны в схемах и проектах районной планировки и застройки городов, поселков и сельских населенных пунктов. ВСН ГО 38-83. Госгражданстрой. Москва, 1984 г.
31. Охрана природы. Гидросфера. Общие требования охраны поверхностных и подземных вод от загрязнения минеральными удобрениями. ГОСТ 17.13.11-84 (СТ СЭВ 4035-83). Государственный комитет СССР по стандартам. Москва, 1984 г.
32. Информация о высоком и экстремально высоком загрязнении природной среды в феврале 1986 года на территории деятельности Армянского УГКС. Государственный комитет СССР по гидрометрологии и контролю природной среды. Армянское республиканское управление по гидрометерологии и контролю природной среды. Ереван. 1988 г.
33. Санитарная охрана окружающей среды современного города. Г. В. Новиков. А. Я. Дударев. Ленинград. 1978 г.
Շրջակա միջավայրի պահպանության բաժիններում օգտագործված փաստաթղթերի ու գրականության ցանկ
34. Руководство по составлению раздела "Охрана природы н улучшение окружающей среды градостроительными средствами" в проектах планировки и застройки городов, поселков и сельских населенных пунктов. М., 1982.
35. Рекомендации по охране окружающей среды в районной планировке. М. 1986 г.
36. Письмо центра мониторинга за N 68 от 19.07.20005 г.
37. Строительная климатология. Ереван, 1996 г.
38. Предложения по разработке отраслевой классификации источников выброса вредных веществ в атмосфере. Гидрометеоиздат, 1982 г.
39. Данные 2ТП-воздух, проекты предельно-допустимых выбросов (ПДВ), данные мерии, министерства торговли и экономического развития, местной СЭС.
40. Сборник законодательных нормативных и методических документов для экспертизы воздухоохранных мероприятий. Л., Гидрометеоиздат, 1986 г.
41. Сборник методик по расчету выбросов в атмосферу загрязняющих веществ различными производствами. Л. Гидрометеоиздат, 1986 г.
42. СН 245-71. Санитарные нормы проектирования промышленных предприятий.
43. Методические указания по расчету выбросов вредных веществ автомобильным транспортом. М., Гидрометеоиздат, 1983 г.
44. Временная типовая методика определения экономической эффективности осуществления природоохранных мероприятий и оценки экономического ущерба, причиняемого народному хозяйству загрязнением окружающей среды.
45. Методика расчета концентраций в атмосферном воздухе вредных веществ, содержащихся в выбросах предприятий, ОНД-86. Л., Гидрометеоиздат, 1987 г.
46. Иструкция о порядке рассмотрения, согласования и экспертизы воздухоохранных мероприятий и выдачи разрешения на выброс загрязняющих веществ в атмосферу по проектным решениям (ОНД 1-84).
47. Методические рекомендации обработки данных, характеризующие состояние водных объектов. Минздрав РСФСР. Москва. 1983 г.
48. Методические рекомендации оценки гигиенической эффективности водоохранных мероприятий Минздрав РСФСР. Москва. 1989 г.
49. Атлас Армянской ССР. Ереван. 1961 г.
50. СНиП II-12-77. Защита от шума. М., 1978 г.
51. Методика расчета предельно-допустимых сбросов (ПДС) веществ в водные объекты со сточными водами. Харьков. 1990 г.
52. Управление больничными отходами. Руководство для учреждений здравоохранения. Волгоград. 2001 г.
53. Долгосрочное прогнозирование уровня и возможных отрицательных последствий загрязнения атмосферы. Гидрометеоиздат, 1984 г.
54. Հայաստանի սոցիալական միտումները. տեղեկատվական-վերլուծական պարբերականի (ՀՍՍՄ)
Քաղաքացիական պաշտպանության ինժեներատեխնիկական միջոցառումների բաժնում օգտագործված նորմատիվային փաստաթղթերի ցանկ
55. «Արտակարգ իրավիճակներում բնակչության պաշտպանության մասին» Հայաստանի Հանրապետության օրենք, 02.12.1998 թ.
56. «Քաղաքացիական պաշտպանության մասին» Հայաստանի Հանրապետության օրենք, 05.03.2002 թ.
57. ՀՀ կառավարության 13.12.1999 թ. «Վտանգավոր տարածքից բնակչության տարահանման կարգը հաստատելու մասին» թիվ 746 որոշում.
58. ՀՀ կառավարության 28.09.2000 թ. «Բնակչության պատսպարման կարգը հաստատելու մասին» թիվ 592 որոշում.
59. ՀՀ կառավարության 25.10.2000թ. «Բնակչությանն անհատական պաշտպանության միջոցներով ապահովելու կարգը հաստատելու մասին» թիվ 679 որոշում.
60. ՀՀ կառավարության 16.10.2003 թ. «ՀՀ տարածքում արտակարգ իրավիճակների առաջացման մասին տեղեկատվության ստացման և ազդարարման կարգը հաստատելու մասին» թիվ 1304-Ն որոշում.
61. СНиП II-II-77 Нормы проектирования Защитные сооружения гражданской обороны.
62. Руководство по составлению раздела инженерно-технических мероприятий гражданской обороны в проектах генеральных планов городов, проектах планировки и застройки городов и населенных пунктов. 1985 г.
63. ВСН ГО 38-82, ВСН ГО 38-83 Гражданстрой.
ԿՈՏԱՅՔԻ ՄԱՐԶԻ ԱԲՈՎՅԱՆԻ ՔԱՂԱՔԱՅԻՆ ՀԱՄԱՅՆՔԻ (ԲՆԱԿԱՎԱՅՐԻ) ԳԼԽԱՎՈՐ ՀԱՏԱԿԱԳԻԾ 1, 2, 3, 4, 5, 6, 7, 8, 9, 10, 11, 12, 13, 14, 15, 16, 17
| Փոփոխող ակտ | Համապատասխան ինկորպորացիան | |
|---|---|---|
| 10.04.2025, N 391-Ն | 09.08.2007, N 1036-Ն |
| Փոփոխող ակտ | Համապատասխան ինկորպորացիան |
|---|