ՀՀ ԿԱՌԱՎԱՐՈՒԹՅԱՆ ՈՐՈՇՈՒՄԸ ՀՀ ԱՐԱԳԱԾՈՏՆԻ ՄԱՐԶԻ ՄԻ ՇԱՐՔ ԳՅՈՒՂԱԿԱՆ ՀԱՄԱՅՆՔՆԵՐԻ ՎԱՐՉԱԿԱՆ ՍԱՀՄԱՆՆԵՐԻ ՆԿԱՐԱԳՐԵՐԸ ՀԱՍՏԱՏԵԼՈՒ ՄԱՍԻՆ

Գլխավոր տեղեկություն
Համար
N 993-Ն
Տիպ
Որոշում
Ակտի տիպ
Պաշտոնական Ինկորպորացիա (20.11.2010-մինչ օրս)
Կարգավիճակ
Գործում է
Սկզբնաղբյուր
ՀՀՊՏ 2005.09.07/56.1 Հոդ.1095.20
Ընդունող մարմին
ՀՀ կառավարություն
Ընդունման ամսաթիվ
25.05.2005
Ստորագրող մարմին
ՀՀ վարչապետ
Ստորագրման ամսաթիվ
19.06.2005
Վավերացնող մարմին
ՀՀ Նախագահ
Վավերացման ամսաթիվ
27.07.2005
Ուժի մեջ մտնելու ամսաթիվ
08.09.2005

«Վավերացնում եմ»
Հայաստանի Հանրապետության
Նախագահ Ռ. Քոչարյան
 27 հուլիսի 2005 թ.


ՀԱՅԱՍՏԱՆԻ ՀԱՆՐԱՊԵՏՈՒԹՅԱՆ ԿԱՌԱՎԱՐՈՒԹՅՈՒՆ

Ո Ր Ո Շ ՈՒ Մ

25 մայիսի 2005 թվականի N 993-Ն

ՀԱՅԱՍՏԱՆԻ ՀԱՆՐԱՊԵՏՈՒԹՅԱՆ ԱՐԱԳԱԾՈՏՆԻ ՄԱՐԶԻ ՄԻ ՇԱՐՔ ԳՅՈՒՂԱԿԱՆ ՀԱՄԱՅՆՔՆԵՐԻ ՎԱՐՉԱԿԱՆ ՍԱՀՄԱՆՆԵՐԻ ՆԿԱՐԱԳՐԵՐԸ ՀԱՍՏԱՏԵԼՈՒ ՄԱՍԻՆ
 

«Տեղական ինքնակառավարման մասին» և «Հայաստանի Հանրապետության վարչատարածքային բաժանման մասին» Հայաստանի Հանրապետության օրենքների 6-րդ հոդվածների պահանջներին համապատասխան և հաշվի առնելով Հայաստանի Հանրապետության մարզերի ու համայնքների վարչական սահմանների նկարագրման աշխատանքների կարգավորման կառավարական հանձնաժողովի եզրակացությունը` Հայաստանի Հանրապետության կառավարությունը որոշում է.

1. Հաստատել Հայաստանի Հանրապետության Արագածոտնի մարզի`

1) Ագարակի գյուղական համայնքի (Աշտարակի շրջան) վարչական սահմանների նկարագիրը` համաձայն NN 1 և 11 հավելվածների,

2) Ակունքի գյուղական համայնքի վարչական սահմանների նկարագիրը` համաձայն NN 2 և 21 հավելվածների,

3) (ենթակետն ուժը կորցրել է 14.10.10 N 1359-Ն)

4) (ենթակետն ուժը կորցրել է 14.10.10 N 1359-Ն)

5) (ենթակետն ուժը կորցրել է 14.10.10 N 1359-Ն)

6) Արագածոտնի գյուղական համայնքի վարչական սահմանների նկարագիրը` համաձայն NN 6 և 61 հավելվածների,

7) (ենթակետն ուժը կորցրել է 14.10.10 N 1359-Ն)

8) (ենթակետն ուժը կորցրել է 14.10.10 N 1359-Ն)

9) Աղձքի գյուղական համայնքի վարչական սահմանների նկարագիրը` համաձայն NN 9 և 91 հավելվածների,

10) (ենթակետն ուժը կորցրել է 14.10.10 N 1359-Ն)

11) (ենթակետն ուժը կորցրել է 14.10.10 N 1359-Ն)

12) Գառնահովտի գյուղական համայնքի վարչական սահմանների նկարագիրը` համաձայն NN 12 և 121 հավելվածների,

13) Գյալթոյի գյուղական համայնքի վարչական սահմանների նկարագիրը` համաձայն NN 13 և 131 հավելվածների,

14) (ենթակետն ուժը կորցրել է 14.10.10 N 1359-Ն)

15) (ենթակետն ուժը կորցրել է 14.10.10 N 1359-Ն)

16) Դպրեվանքի գյուղական համայնքի վարչական սահմանների նկարագիրը` համաձայն NN 16 և 161 հավելվածների,

17) (ենթակետն ուժը կորցրել է 14.10.10 N 1359-Ն)

18) Զարինջայի գյուղական համայնքի վարչական սահմանների նկարագիրը` համաձայն NN 18 և 181 հավելվածների,

19) Թլիկի գյուղական համայնքի վարչական սահմանների նկարագիրը` համաձայն NN 19 և 191 հավելվածների,

20) (ենթակետն ուժը կորցրել է 14.10.10 N 1359-Ն)

21) Կոշի գյուղական համայնքի վարչական սահմանների նկարագիրը` համաձայն NN 21 և 211 հավելվածների,

22) Կաքավաձորի գյուղական համայնքի վարչական սահմանների նկարագիրը` համաձայն NN 22 և 221 հավելվածների,

23) (ենթակետն ուժը կորցրել է 14.10.10 N 1359-Ն)

24) (ենթակետն ուժը կորցրել է 14.10.10 N 1359-Ն)

25) Հակկոյի գյուղական համայնքի վարչական սահմանների նկարագիրը` համաձայն NN 25 և 251 հավելվածների,

26) (ենթակետն ուժը կորցրել է 14.10.10 N 1359-Ն)

27) (ենթակետն ուժը կորցրել է 14.10.10 N 1359-Ն) 

28) Նոր Արթիկի գյուղական համայնքի վարչական սահմանների նկարագիրը` համաձայն NN 28 և 281 հավելվածների,

29) (ենթակետն ուժը կորցրել է 14.10.10 N 1359-Ն)

30) (ենթակետն ուժը կորցրել է 14.10.10 N 1359-Ն)

31) (ենթակետն ուժը կորցրել է 14.10.10 N 1359-Ն)

32) (ենթակետն ուժը կորցրել է 14.10.10 N 1359-Ն)

33) (ենթակետն ուժը կորցրել է 14.10.10 N 1359-Ն)

34) Ոսկեհատի գյուղական համայնքի վարչական սահմանների նկարագիրը` համաձայն NN 34 և 341 հավելվածների,

35) (ենթակետն ուժը կորցրել է 14.10.10 N 1359-Ն)

36) Սուսերի գյուղական համայնքի վարչական սահմանների նկարագիրը` համաձայն NN 36 և 361 հավելվածների,

37) Սասունիկի գյուղական համայնքի վարչական սահմանների նկարագիրը` համաձայն NN 37 և 371 հավելվածների,

38) (ենթակետն ուժը կորցրել է 14.10.10 N 1359-Ն)

39) (ենթակետն ուժը կորցրել է 14.10.10 N 1359-Ն)

40) (ենթակետն ուժը կորցրել է 14.10.10 N 1359-Ն)

41) (ենթակետն ուժը կորցրել է 14.10.10 N 1359-Ն)

42) (ենթակետն ուժը կորցրել է 14.10.10 N 1359-Ն)

43) (ենթակետն ուժը կորցրել է 14.10.10 N 1359-Ն)

(1-ին կետը փոփ. 14.10.10 N 1359-Ն)

2. Հայաստանի Հանրապետության  կառավարությանն առընթեր անշարժ գույքի կադաստրի պետական կոմիտեի նախագահին` Հայաստանի  Հանրապետության պետական գեոդեզիական ցանցի հավասարակշռման արդյունքների հիման վրա հողային ֆոնդի ընթացիկ հաշվառման ժամանակ, սույն որոշմամբ սահմանված համայնքների հողային հաշվեկշիռներում սահմանված կարգով կատարել համապատասխան փոփոխություններ:

3. Սույն որոշումն ուժի մեջ է մտնում պաշտոնական հրապարակմանը հաջորդող օրվանից։

 

Հայաստանի Հանրապետության
վարչապետ

Ա. Մարգարյան


2005 թ. հունիսի 19
Երևան

 

 

Հավելված N 1
ՀՀ կառավարության 2005 թվականի
մայիսի 25-ի N 993-Ն որոշման

ՀՀ ԱՐԱԳԱԾՈՏՆԻ ՄԱՐԶԻ ԱԳԱՐԱԿԻ ԳՅՈՒՂԱԿԱՆ ՀԱՄԱՅՆՔԻ ՎԱՐՉԱԿԱՆ ՍԱՀՄԱՆՆԵՐԻ ՀԱՏԱԿԱԳԻԾԸ

Հայաստանի Հանրապետության
կառավարության աշխատակազմի
ղեկավար-նախարար
Մ. Թոփուզյան

 

Հավելված N 11
ՀՀ կառավարության 2005 թվականի
մայիսի 25-ի N 993-Ն որոշման

ՀՀ ԱՐԱԳԱԾՈՏՆԻ ՄԱՐԶԻ ԱԳԱՐԱԿԻ ԳՅՈՒՂԱԿԱՆ ՀԱՄԱՅՆՔԻ ՎԱՐՉԱԿԱՆ ՍԱՀՄԱՆՆԵՐԻ ՆԿԱՐԱԳՐՈՒԹՅՈՒՆԸ

Ագարակ համայնքը գտնվում է մարզի հարավային մասում:

Հեռավորությունը մարզկենտրոն ք. Աշտարակից 11 կմ է:

Համայնքը հյուսիսից «Ա»-«Բ» հատվածով սահմանակից է Բյուրական գյուղական համայնքին, հյուսիս-արևելքից «Բ»-«Գ» հատվածով` Բազմաղբյուր համայնքին, արևելքից «Գ»-«Դ» հատվածով` Փարպի գյուղական համայնքին, հարավ-արևելքից «Դ»-«Ե» հատվածով` Ոսկեվազ գյուղական համայնքին, հարավ-արևմուտքից «Ե»-«Զ» հատվածով` Ոսկեհատ գյուղական համայնքին, արևմուտքից «Զ»-«Ա» հատվածով` Աղձք գյուղական համայնքին:

 

ԱԳԱՐԱԿ-ԲՅՈՒՐԱԿԱՆ ՍԱՀՄԱՆԱԳԻԾԸ`«Ա»-«Բ»

 

Ագարակ, Բյուրական և Աղձք գյուղական համայնքների տարածքների բաժանման «Ա» հանգուցային կետից սահմանագիծը ներհամայնքային ոռոգման ցանցով անցնում է դեպի հյուսիս-արևելք, Բյուրական-Ագարակ մարզային ճանապարհի կամրջով հասնում է Ագարակ, Բազմաղբյուր և Բյուրական գյուղական համայնքների տարածքների բաժանման «Բ» հանգուցային կետը:

«Ա»-«Բ» սահմանագծի ընդհանուր երկարությունը 2244.3 մ է:

 

ԱԳԱՐԱԿ-ԲԱԶՄԱՂԲՅՈՒՐ ՍԱՀՄԱՆԱԳԻԾԸ` «Բ»-«Գ»

 

Ագարակ, Բազմաղբյուր և Բյուրական գյուղական համայնքների տարածքների բաժանման «Բ» հանգուցային կետից սահմանագիծը միջհամայնքային ոռոգման ցանցով անցնում է դեպի արևելք, ապա հարավ-արևելք, միանում Ագարակ, Փարպի և Բազմաղբյուր գյուղական համայնքների տարածքների բաժանման «Գ» հանգուցային կետին:

«Բ»-«Գ» սահմանագծի ընդհանուր երկարությունը` 871.7 մ է:

 

ԱԳԱՐԱԿ-ՓԱՐՊԻ ՍԱՀՄԱՆԱԳԻԾԸ` «Գ»-«Դ»

 

Ագարակ, Փարպի և Բազմաղբյուր գյուղական համայնքների տարածքների բաժանման «Գ» հանգուցային կետից սահմանագիծը ոռոգման առվով իջնում է դեպի հարավ, հասնում Ագարակ-Աշտարակ մարզային ճանապարհին, ապա շարունակվելով հասնում է Ագարակ, Փարպի և Ոսկեվազ գյուղական համայնքների տարածքների բաժանման «Դ» հանգուցային կետին:

«Գ»-«Դ» սահմանագծի ընդհանուր երկարությունը` 1162.4 մ է:

 

ԱԳԱՐԱԿ-ՈՍԿԵՎԱԶ ՍԱՀՄԱՆԱԳԻԾԸ` «Դ»-«Ե»

 

Ագարակ, Փարպի և Ոսկեվազ գյուղական համայնքների տարածքների բաժանման «Դ» հանգուցային կետից սահմանագիծը անցնում է հարավ, ապա հարավ-արևմուտք` Փարպի-Փաթրինջի ջրանցքով մինչև Ոսկեվազ- Ագարակ մարզային ճանապարհը, ապա անցնում է արևմուտք, միանում Ոսկեհատ, Ագարակ և Ոսկեվազ գյուղական համայնքների տարածքների բաժանման «Ե» հանգուցային կետին:

«Դ»-«Ե» սահմանագծի ընդհանուր երկարությունը` 2145.3 մ է:

 

ԱԳԱՐԱԿ-ՈՍԿԵՀԱՏ ՍԱՀՄԱՆԱԳԻԾԸ` «Ե»-«Զ»

 

Ագարակ, Աղձք և Ոսկեհատ գյուղական համայնքների տարածքների բաժանման «Զ» հանգուցային կետից սահմանագիծը թեքվում է դեպի արևելք, ոռոգման առվով անցնում և հասնում մինչև Ամբերդ գետը, որը հանդիսանում է Ոսկեհատ, Ագարակ և Ոսկեվազ գյուղական համայնքների տարածքների բաժանման «Ե» հանգուցային կետ:

«Ե»-«Զ» սահմանագծի ընդհանուր երկարությունը` 577.20 մ է:

 

ԱԳԱՐԱԿ-ԱՂՁՔ ՍԱՀՄԱՆԱԳԻԾԸ` «Զ»-«Ա»

 

Ագարակ, Աղձք և Բյուրական գյուղական համայնքների տարածքների բաժանման «Ա» հանգուցային կետից սահմանագիծը ձորով իջնում է հարավ-արևելք, հատելով Աշտարակ-Ագարակ հանրապետական նշանակության ճանապարհը, շարունակում է իջնել հարավ, հատելով ձորեր և ջրամբարներ, անցնելով 2288.51 մ` հասնում է Ագարակ, Աղձք և Ոսկեհատ գյուղական համայնքների տարածքների բաժանման «Զ» հանգուցային կետին:

«Զ»-«Ա» սահմանագծի ընդհանուր երկարությունը` 2288.51 մ է:

 

Հայաստանի Հանրապետության
կառավարության աշխատակազմի
ղեկավար-նախարար
Մ. Թոփուզյան

 

Հավելված N 2
ՀՀ կառավարության 2005 թվականի
մայիսի 25-ի N 993-Ն որոշման

ՀՀ ԱՐԱԳԱԾՈՏՆԻ ՄԱՐԶԻ ԱԿՈՒՆՔԻ ԳՅՈՒՂԱԿԱՆ ՀԱՄԱՅՆՔԻ ՎԱՐՉԱԿԱՆ ՍԱՀՄԱՆՆԵՐԻ ՀԱՏԱԿԱԳԻԾԸ

Հայաստանի Հանրապետության
կառավարության աշխատակազմի
ղեկավար-նախարար
Մ. Թոփուզյան

 

Հավելված N 21
ՀՀ կառավարության 2005 թվականի
մայիսի 25-ի N 993-Ն որոշման

ՀՀ ԱՐԱԳԱԾՈՏՆԻ ՄԱՐԶԻ ԱԿՈՒՆՔԻ ԳՅՈՒՂԱԿԱՆ ՀԱՄԱՅՆՔԻ ՎԱՐՉԱԿԱՆ ՍԱՀՄԱՆՆԵՐԻ ՆԿԱՐԱԳՐՈՒԹՅՈՒՆԸ

Ակունք համայնքը գտնվում է մարզի հարավային մասում:

Հեռավորությունը մարզկենտրոն ք. Աշտարակից 52 կմ է:

Համայնքը հյուսիս-արևելքից «Ա»-«Բ» հատվածով սահմանակից է Ոսկեթաս համայնքին, արևելքից «Բ»-«Գ» հատվածով` Կարմրաշեն համայնքին, հարավից «Գ»-«Դ» հատվածով` Թալին համայնքին, արևմուտքից «Դ»-«Ա» հատվածով` Մաստարա համայնքին:

 

ԱԿՈՒՆՔ-ՈՍԿԵԹԱՍ ՍԱՀՄԱՆԱԳԻԾԸ` «Ա»-«Բ»

 

Ակունք, Մաստարա և Ոսկեթաս համայնքների տարածքների բաժանման «Ա» հանգուցային կետից սահմանագիծն անցնելով հարավ-արևելք, առվով 2550.4 մ, հասնում է թիվ 1 կետին, որից թեքվելով հարավ-արևմուտք, անցնելով 613.1 մ հարթավայրային ռելիեֆով, հատելով դաշտամիջյան ճանապարհները` հասնում է թիվ 2 կետին: Այնուհետև թեքվում հարավ-արևելք, անցնում 652.1 մ, անցնելով թիվ 3 սահմանակետով, հասնում է «Բ» հանգուցային կետին, որը գտնվում է ձորի եզրին:

«Ա»-«Բ» սահմանագծի ընդհանուր երկարությունը 3815.6 մ է:

ԱԿՈՒՆՔ-ԿԱՐՄՐԱՇԵՆ ՍԱՀՄԱՆԱԳԻԾԸ` «Բ»-«Գ»

Ակունք, Ոսկեթաս և Կարմրաշեն համայնքների տարածքների բաժանման «Բ» հանգուցային կետից սահմանագիծը ձորով անցնում է հարավ, հատելով դաշտամիջյան և մարզային նշանակության ճանապարհները, հասնում «Գ» հանգուցային կետին:

«Բ»-«Գ» սահմանագծի ընդհանուր երկարությունը 3406.2 մ է:

 

ԱԿՈՒՆՔ-ԹԱԼԻՆ ՍԱՀՄԱՆԱԳԻԾԸ` «Գ»-«Դ»

 

Ակունք, Մաստարա և Թալին համայնքների տարածքների բաժանման «Դ» հանգուցային կետից սահմանագիծն անցնելով հարավ-արևելք 860.0 մ, հանրապետական նշանակության ճանապարհով հասնում է թիվ 1 կետին, որից հետո թեքվում է հարավ-արևելք, ապա արևելք, անցնելով բարձունքներով, հատելով ջրբաժանները և ձորակները, անցնելով 2-10 սահմանակետերը, հասնում Ակունք, Կարմրաշեն և Թալին համայնքների տարածքների բաժանման «Գ» հանգուցային կետին:

«Գ»-«Դ» սահմանագծի ընդհանուր երկարությունը 5820.6 մ է:

 

ԱԿՈՒՆՔ-ՄԱՍՏԱՐԱ ՍԱՀՄԱՆԱԳԻԾԸ` «Դ»-«Ա»

 

«Ա» հանգուցային կետից սահմանագիծն անցնելով 489.0 մ դեպի արևմուտք, հատելով դաշտային ճանապարհը, հասնում է թիվ 1 կետին, ապա կտրուկ թեքվում հարավ-արևմուտք 1603.8 մ, անցնելով բարձունքներով, հատելով ջրբաժանները և ձորակները, հասնում թիվ 3 կետին, այնուհետև անցնելով ժայռի վրայով 851.9 մ, հասնում 4 կետին, թեքվում է հարավ-արևմուտք, անցնում 3769.5 մ, անցնելով 4-9 սահմանակետերը, հատելով «Օյուխլու թափա» գեոդեզիական կետը, անցնելով 10 կետը, հասնում է Մաստարա, Ակունք և Թալին համայնքների տարածքների բաժանման «Դ» հանգուցային կետին, որը գտնվում է Երևան-Գյումրի ավտոճանապարհի եզրին:

«Դ»-«Ա» սահմանագծի ընդհանուր երկարությունը 6714.2 մ է:


Հայաստանի Հանրապետության
կառավարության աշխատակազմի
ղեկավար-նախարար
Մ. Թոփուզյան

 

Հավելված N 3
ՀՀ կառավարության 2005 թվականի
մայիսի 25-ի N 993-Ն որոշման

ՀԱՅԱՍՏԱՆԻ ՀԱՆՐԱՊԵՏՈՒԹՅԱՆ ԱՐԱԳԱԾՈՏՆԻ ՄԱՐԶԻ ԱՆՏԱՌՈՒՏԻ ԳՅՈՒՂԱԿԱՆ ՀԱՄԱՅՆՔԻ ՍԱՀՄԱՆՆԵՐԻ ՀԱՏԱԿԱԳԻԾԸ
(հավելվածն ուժը կորցրել է 14.10.10 N 1359-Ն)

 

Հավելված N 31
ՀՀ կառավարության 2005 թվականի
մայիսի 25-ի N 993-Ն որոշման

ՀՀ ԱՐԱԳԱԾՈՏՆԻ ՄԱՐԶԻ ԱՆՏԱՌՈՒՏԻ ԳՅՈՒՂԱԿԱՆ ՀԱՄԱՅՆՔԻ ՎԱՐՉԱԿԱՆ ՍԱՀՄԱՆՆԵՐԻ ՆԿԱՐԱԳՐՈՒԹՅՈՒՆԸ
(հավելվածն ուժը կորցրել է 14.10.10 N 1359-Ն)

 

Հավելված N 4
ՀՀ կառավարության 2005 թվականի
մայիսի 25-ի N 993-Ն որոշման


ՀՀ ԱՐԱԳԱԾՈՏՆԻ ՄԱՐԶԻ ԱՐԵԳԻ ԳՅՈՒՂԱԿԱՆ ՀԱՄԱՅՆՔԻ ՎԱՐՉԱԿԱՆ ՍԱՀՄԱՆՆԵՐԻ ՀԱՏԱԿԱԳԻԾԸ
(հավելվածն ուժը կորցրել է 14.10.10 N 1359-Ն)

 

Հավելված N 41
ՀՀ կառավարության 2005 թվականի
մայիսի 25-ի N 993-Ն որոշման

ՀՀ ԱՐԱԳԱԾՈՏՆԻ ՄԱՐԶԻ ԱՐԵԳԻ ԳՅՈՒՂԱԿԱՆ ՀԱՄԱՅՆՔԻ ՎԱՐՉԱԿԱՆ ՍԱՀՄԱՆՆԵՐԻ ՆԿԱՐԱԳՐՈՒԹՅՈՒՆԸ
(հավելվածն ուժը կորցրել է 14.10.10 N 1359-Ն)

 

Հավելված N 5
ՀՀ կառավարության 2005 թվականի
մայիսի 25-ի N 993-Ն որոշման


ՀՀ ԱՐԱԳԱԾՈՏՆԻ ՄԱՐԶԻ ԱՐՈՒՃԻ ԳՅՈՒՂԱԿԱՆ ՀԱՄԱՅՆՔԻ ՎԱՐՉԱԿԱՆ ՍԱՀՄԱՆՆԵՐԻ ՀԱՏԱԿԱԳԻԾԸ
(հավելվածն ուժը կորցրել է 14.10.10 N 1359-Ն)

 

Հավելված N 51
ՀՀ կառավարության 2005 թվականի
մայիսի 25-ի N 993-Ն որոշման

ՀՀ ԱՐԱԳԱԾՈՏՆԻ ՄԱՐԶԻ ԱՐՈՒՃԻ ԳՅՈՒՂԱԿԱՆ ՀԱՄԱՅՆՔԻ ՎԱՐՉԱԿԱՆ ՍԱՀՄԱՆՆԵՐԻ ՆԿԱՐԱԳՐՈՒԹՅՈՒՆԸ
(հավելվածն ուժը կորցրել է 14.10.10 N 1359-Ն)

 

Հավելված N 6
ՀՀ կառավարության 2005 թվականի
մայիսի 25-ի N 993-Ն որոշման


ՀՀ ԱՐԱԳԱԾՈՏՆԻ ՄԱՐԶԻ ԱՐԱԳԱԾՈՏՆԻ ԳՅՈՒՂԱԿԱՆ ՀԱՄԱՅՆՔԻ ՎԱՐՉԱԿԱՆ ՍԱՀՄԱՆՆԵՐԻ ՀԱՏԱԿԱԳԻԾԸ

Հայաստանի Հանրապետության
կառավարության աշխատակազմի
ղեկավար-նախարար
Մ. Թոփուզյան

 

Հավելված N 61
ՀՀ կառավարության 2005 թվականի
մայիսի 25-ի N 993-Ն որոշման

ՀՀ ԱՐԱԳԱԾՈՏՆԻ ՄԱՐԶԻ ԱՐԱԳԱԾՈՏՆԻ ԳՅՈՒՂԱԿԱՆ ՀԱՄԱՅՆՔԻ ՎԱՐՉԱԿԱՆ ՍԱՀՄԱՆՆԵՐԻ ՆԿԱՐԱԳՐՈՒԹՅՈՒՆԸ

Արագածոտն գյուղական համայնքը գտնվում է մարզի հարավային մասում:

Հեռավորությունը մարզկենտրոն ք. Աշտարակից 21 կմ է:

Գյուղական համայնքը հյուսիս-արևմուտքից «Ա»-«Բ» հատվածով սահմանակից է Կոշ գյուղական համայնքին, հյուսիսից «Բ»-«Գ» հատվածով` Ուջան գյուղական համայնքին, արևելքից «Գ»-«Դ» հատվածով` Ոսկեհատ գյուղական համայնքին, հարավ-արևելքից «Դ»-«Ե» հատվածով` Արմավիրի մարզի Աղավնատուն գյուղական համայնքին, հարավից «Ե»-«Զ» հատվածով` Արմավիրի մարզի Արագած գյուղական համայնքին, հարավային «Զ»-«Է» հատվածով` Արմավիրի մարզի համայնքների վարչական սահմաններից դուրս գտնվող անտառային հողերին, հարավ-արևմուտքից «Է»-«Ա» հատվածով` Նոր Եդեսիա գյուղական համայնքին:

ԱՐԱԳԱԾՈՏՆ-ԿՈՇ ՍԱՀՄԱՆԱԳԻԾԸ` «Ա»-«Բ»

Արագածոտն, Նոր Եդեսիա և Կոշ համայնքների տարածքների բաժանման «Ա» հանգուցային սահմանակետից սահմանագիծը հարթավայրային ռելիեֆով անցնում է հյուսիս-արևելք, հատելով դաշտամիջյան ճանապարհը, ուղղությունը փոխում է հյուսիս, հատում ձորը, հասնում դաշտամիջյան ճանապարհի խաչմերուկ, որից ուղղությունը փոխում է արևելք անցնելով 4135.98 մ` հասնում թիվ 1 կետին: Թիվ 1 կետից սահմանագիծը թեքվում է հյուսիս-արևելք, անցնելով 211.8 մ` միանում թիվ 2 կետին, որից ջրբաժանով անցնում է հարավ-արևելք 903.84 մ, միանում թիվ 3 կետին: Թիվ 3 կետից սահմանագիծը թեքվում է հյուսիս-արևելք, անցնելով թիվ 4-5 կետերով 1003.13 մ, բլրային ռելիեֆով միանում թիվ 6 կետին, որից թույլ շեղվում հարավ-արևելք, անցնելով թիվ 7-9 կետերով, միանում թիվ 10 կետին` անցնելով 1646.04 մ: Թիվ 10 կետից կտրուկ թեքվում է հյուսիս, անցնում դաշտամիջյան ճանապարհի խաչմերուկով և ջրբաժանով, անցնում 718.4 մ, թիվ 11 կետով միանում Արագածոտն, Կոշ և Ուջան համայնքների տարածքների բաժանման «Բ» հանգուցային սահմանակետին:

«Ա»-«Բ» սահմանագծի ընդհանուր երկարությունը 8619.17 մ է:

ԱՐԱԳԱԾՈՏՆ-ՈՒՋԱՆ ՍԱՀՄԱՆԱԳԻԾԸ` «Բ»-«Գ»

Արագածոտն, Կոշ և Ուջան համայնքների տարածքների բաժանման «Բ» հանգուցային սահմանակետից սահմանագիծն անցնում է դեպի հյուսիս-արևելք` բարձունքների գագաթներով 188.03 մ, հասնում թիվ 1 սահմանակետին, որից հետո ուղղությունը փոխում է դեպի արևելք, լանջով անցնում է 264.81 մ, հասնում թիվ 3 կետին, ապա թեքվում հյուսիս, անցնում թիվ 4-6 սահմանակետերով 202.83 մ, հասնում թիվ 7 սահմանակետին, հետո թեքվում արևելք մինչև թիվ 10 սահմանակետը անցնելով 170.97 մ, թեքվում է հարավ-արևելք` անցնելով 76.93 մ ու նորից դեպի հյուսիս` 103.7 մ, հասնում թիվ 12 սահմանակետին: Այնուհետև սահմանագիծը շրջվում է հարավ-արևելք ու դաշտային ճանապարհով անցնելով 1175.52 մ, հասնում Արագածոտն, Ուջան և Ոսկեհատ համայնքների տարածքների բաժանման «Գ» հանգուցային սահմանակետին:

«Բ»-«Գ» սահմանագծի ընդհանուր երկարությունը 2182.79 մ է:

ԱՐԱԳԱԾՈՏՆ-ՈՍԿԵՀԱՏ ՍԱՀՄԱՆԱԳԻԾԸ` «Գ»-«Դ»

Արագածոտն, Ուջան և Ոսկեհատ համայնքների տարածքների բաժանման «Գ» հանգուցային սահմանակետից սահմանագիծը ձորով իջնում է դեպի հարավ-արևելք, մինչև ձորի կորը, հասնում Արագածոտն, Արմավիրի մարզի Աղավնատուն, Ոսկեհատ համայնքների տարածքների բաժանման Արագածոտն, Ոսկեհատ և Արմավիրի մարզի Աղավնատուն համայնքների տարածքների բաժանման «Դ» հանգուցային սահմանակետին:

«Գ»-«Դ» սահմանագծի ընդհանուր երկարությունը 1039.87 մ է:

ԱՐԱԳԱԾՈՏՆ-ԱՐՄԱՎԻՐԻ ՄԱՐԶԻ ԱՂԱՎՆԱՏՈՒՆ ՍԱՀՄԱՆԱԳԻԾԸ` «Դ»-«Ե»

Ոսկեհատ, Արագածոտն և Արմավիրի մարզի Աղավնատուն համայնքների տարածքների բաժանման «Դ» հանգուցային սահմանակետից սահմանագիծը անցնում է դեպի հարավ-արևելք, ապա հարավ-արևմուտք` անցնելով լանջերով, հատելով ձորերը թիվ 1-5 կետերով, հասնում թիվ 6 կետին` 2807.34 մ, միանում Արագածոտն, Արմավիրի մարզի Աղավնատուն ու Արագած համայնքների տարածքների բաժանման «Ե» հանգուցային սահմանակետին:

«Դ»-«Ե» սահմանագծի ընդհանուր երկարությունը 3361.98 մ է:

ԱՐԱԳԱԾՈՏՆ-ԱՐՄԱՎԻՐԻ ՄԱՐԶԻ ԱՐԱԳԱԾ ՍԱՀՄԱՆԱԳԻԾԸ` «Ե»-«Զ»

Արագածոտն, Արմավիրի մարզի Աղավնատուն ու Արագած համայնքների տարածքների բաժանման «Ե» հանգուցային սահմանակետից սահմանագիծն անցնում է դեպի արևմուտք, անցնելով 119.96 մ, հասնում թիվ 1 կետին, այնուհետև թեքվում է դեպի հարավ-արևմուտք, ուղիղ գծով անցնելով 1033.88 մ միանում է Արագածոտն, Արմավիրի մարզի Արագած համայնքների տարածքների ու մարզի համայնքների վարչական սահմաններից դուրս գտնվող անտառային հողերի բաժանման «Զ» հանգուցային սահմանակետին:

«Ե»-«Զ» սահմանագծի ընդհանուր երկարությունը 1153.84 մ է:

ԱՐԱԳԱԾՈՏՆ-ԱՐՄԱՎԻՐԻ ՄԱՐԶԻ ՀԱՄԱՅՆՔՆԵՐԻ ՎԱՐՉԱԿԱՆ ՍԱՀՄԱՆՆԵՐԻՑ ԴՈՒՐՍ ԳՏՆՎՈՂ ԱՆՏԱՌԱՅԻՆ ՀՈՂԵՐԻ ՍԱՀՄԱՆԱԳԻԾԸ` «Զ»-«Է»

Արագածոտն, Արմավիրի մարզի Արագած համայնքների տարածքների և մարզի համայնքների վարչական սահմաններից դուրս գտնվող անտառային հողերի բաժանման «Զ» հանգուցային սահմանակետից սահմանագիծն անցնում է դեպի հարավ-արևմուտք, անցնելով լանջով և ձորով` թիվ 1-5 կետերով, անցնելով 2630.02 մ, այնուհետև ուղղվում դեպի արևմուտք, լանջով անցնելով 620.5 մ, միանում Արագածոտն, Նոր Եդեսիա համայնքների տարածքների և Արմավիրի մարզի համայնքների վարչական սահմաններից դուրս գտնվող անտառային հողերի բաժանման «Է» հանգուցային սահմանակետին:

«Զ»-«Է» սահմանագծի ընդհանուր երկարությունը 3250.52 մ է:

ԱՐԱԳԱԾՈՏՆ-ՆՈՐ ԵԴԵՍԻԱ ՍԱՀՄԱՆԱԳԻԾԸ` «Է»-«Ա»

Արագածոտն, Կոշ և Նոր Եդեսիա համայնքների տարածքների բաժանման «Ա» հանգուցային սահմանակետից սահմանագիծն անցնում է հարավ-արևելք, բարձունքի գագաթը, թեքվում է հարավ-արևելք, թիվ 1-3 կետերով, անցնելով 2621.7 մ, միանում է թիվ 4 կետին: Թիվ 4 կետից սահմանագիծը թեքվում է արևելք, անցնելով թիվ 5-6 կետերով, անցնելով 1056.3 մ միանում Արագածոտն, Նոր Եդեսիա և Հայթաղ գյուղական համայնքների տարածքների բաժանման «Է» հանգուցային սահմանակետին:

«Է»-«Ա» սահմանագծի ընդհանուր երկարությունը 3678.0 մ է:

 

Հայաստանի Հանրապետության
կառավարության աշխատակազմի
ղեկավար-նախարար
Մ. Թոփուզյան

 

Հավելված N 7
ՀՀ կառավարության 2005 թվականի
մայիսի 25-ի N 993-Ն որոշման

ՀՀ ԱՐԱԳԱԾՈՏՆԻ ՄԱՐԶԻ ԱՐՏԱՇԱՎԱՆԻ ԳՅՈՒՂԱԿԱՆ ՀԱՄԱՅՆՔԻ ՎԱՐՉԱԿԱՆ ՍԱՀՄԱՆՆԵՐԻ ՀԱՏԱԿԱԳԻԾԸ
(հավելվածն ուժը կորցրել է 14.10.10 N 1359-Ն)


 

Հավելված N 71 
ՀՀ կառավարության 2005 թվականի
մայիսի 25-ի N 993-Ն որոշման

ՀՀ ԱՐԱԳԱԾՈՏՆԻ ՄԱՐԶԻ ԱՐՏԱՇԱՎԱՆԻ ԳՅՈՒՂԱԿԱՆ ՀԱՄԱՅՆՔԻ ՎԱՐՉԱԿԱՆ ՍԱՀՄԱՆՆԵՐԻ ՆԿԱՐԱԳՐՈՒԹՅՈՒՆԸ
(հավելվածն ուժը կորցրել է 14.10.10 N 1359-Ն)

 

Հավելված N 8
ՀՀ կառավարության 2005 թվականի
մայիսի 25-ի N 993-Ն որոշման


ՀՀ ԱՐԱԳԱԾՈՏՆԻ ՄԱՐԶԻ ԱՐՏԵՆԻԻ ԳՅՈՒՂԱԿԱՆ ՀԱՄԱՅՆՔԻ ՎԱՐՉԱԿԱՆ ՍԱՀՄԱՆՆԵՐԻ ՀԱՏԱԿԱԳԻԾԸ
(հավելվածն ուժը կորցրել է 14.10.10 N 1359-Ն)

 

Հավելված N 81
ՀՀ կառավարության 2005 թվականի
մայիսի 25-ի N 993-Ն որոշման

ՀՀ ԱՐԱԳԱԾՈՏՆԻ ՄԱՐԶԻ ԱՐՏԵՆԻԻ ԳՅՈՒՂԱԿԱՆ ՀԱՄԱՅՆՔԻ ՎԱՐՉԱԿԱՆ ՍԱՀՄԱՆՆԵՐԻ ՆԿԱՐԱԳՐՈՒԹՅՈՒՆԸ
(հավելվածն ուժը կորցրել է 14.10.10 N 1359-Ն)


 

Հավելված N 9
ՀՀ կառավարության 2005 թվականի
մայիսի 25-ի N 993-Ն որոշման

ՀՀ ԱՐԱԳԱԾՈՏՆԻ ՄԱՐԶԻ ԱՂՁՔԻ ԳՅՈՒՂԱԿԱՆ ՀԱՄԱՅՆՔԻ ՎԱՐՉԱԿԱՆ ՍԱՀՄԱՆՆԵՐԻ ՀԱՏԱԿԱԳԻԾԸ

Հայաստանի Հանրապետության
կառավարության աշխատակազմի
ղեկավար-նախարար
Մ. Թոփուզյան

 

Հավելված N 91
ՀՀ կառավարության 2005 թվականի
մայիսի 25-ի N 993-Ն որոշման

ՀՀ ԱՐԱԳԱԾՈՏՆԻ ՄԱՐԶԻ ԱՂՁՔԻ ԳՅՈՒՂԱԿԱՆ ՀԱՄԱՅՆՔԻ ՎԱՐՉԱԿԱՆ ՍԱՀՄԱՆՆԵՐԻ ՆԿԱՐԱԳՐՈՒԹՅՈՒՆԸ

Աղձք գյուղական համայնքը գտնվում է մարզի հարավային մասում` ք. Աշտարակից 10 կմ հեռու:

Համայնքը հյուսիս-արևելքից «Ա»-«Բ» հատվածով սահմանակից է Օրգով գյուղական համայնքին, արևելքից «Բ»-«Գ» հատվածով` Բյուրական գյուղական համայնքին, «Գ»-«Դ» հատվածով` Ագարակ գյուղական համայնքին, հարավ-արևելքից «Դ»-«Ե» հատվածով` Ոսկեհատ գյուղական համայնքին, արևմուտքից «Ե»-«Զ» հատվածով` Ուջան գյուղական համայնքին, հյուսիսից` «Զ»-«Է» հատվածով` Ավան գյուղական համայնքին և «Է»-«Ա» հատվածով` Տեղեր գյուղական համայնքին:

ԱՂՁՔ-ՕՐԳՈՎ ՍԱՀՄԱՆԱԳԻԾԸ`«Ա»-«Բ»

Աղձք, Տեղեր և Օրգով գյուղական համայնքների տարածքների բաժանման «Ա» հանգուցային կետից սահմանագիծը գետով անցնում է դեպի հարավ-արևելք` մինչև Ամբերդ գետի հետ հատվելը անցնելով 939.38 մ և հասնում է Աղձք, Օրգով և Բյուրական գյուղական համայնքների տարածքների բաժանման «Բ» հանգուցային կետին:

«Ա»-«Բ» սահմանագծի ընդհանուր երկարությունը 939.38 մ է:

ԱՂՁՔ-ԲՅՈՒՐԱԿԱՆ ՍԱՀՄԱՆԱԳԻԾԸ`«Բ»-«Գ»

Աղձք, Օրգով և Բյուրական գյուղական համայնքների տարածքների բաժանման «Բ» հանգուցային կետից սահմանագիծը թեքվում է հարավ, Ամբերդ գետով անցնելով 3035.93 մ, հասնում է Աղձք, Բյուրական և Ագարակ համայնքների տարածքների բաժանման «Գ» հանգուցային կետին:

«Բ»-«Գ» սահմանագծի ընդհանուր երկարությունը 3035.93 մ է:

ԱՂՁՔ-ԱԳԱՐԱԿ ՍԱՀՄԱՆԱԳԻԾԸ`«Գ»-«Դ»

Աղձք, Բյուրական և Ագարակ գյուղական համայնքների տարածքների բաժանման «Գ» հանգուցային կետից սահմանագիծը ձորով իջնում է հարավ-արևելք, հատելով Աշտարակ-Ագարակ հանրապետական նշանակության ճանապարհը, շարունակում է իջնել հարավ, հատելով ձորեր և ջրբաժաններ, անցնելով 2288.51 մ հասնում է Աղձք, Ագարակ և Ոսկեհատ գյուղական համայնքների տարածքների բաժանման «Դ» հանգուցային կետին:

«Գ»-«Դ» սահմանագծի ընդհանուր երկարությունը 2288.51 մ է:

ԱՂՁՔ-ՈՍԿԵՀԱՏ ՍԱՀՄԱՆԱԳԻԾԸ`«Դ»-«Ե»

Աղձք, Ոսկեհատ և Ուջան գյուղական համայնքների տարածքների բաժանման «Ե» հանգուցային կետից սահմանագիծն անցնում է դեպի արևելք, անցնում թույլ ալիքավոր բլրային ռելիեֆով, հասնում ձորին, այդտեղից շրջվում դեպի հարավ-արևելք, ապա դեպի հյուսիս-արևելք, հետո անցնում լանջերով, հատում ձորեր ու ձորակներ, դաշտային ճանապարհներ` անցնելով 3267.68 մ, հասնում է Աղձք, Ագարակ և Ոսկեհատ գյուղական համայնքների տարածքների բաժանման «Դ» հանգուցային կետին:

«Դ»-«Ե» սահմանագծի ընդհանուր երկարությունը 3267.68 մ է:

ԱՂՁՔ-ՈՒՋԱՆ ՍԱՀՄԱՆԱԳԻԾԸ`«Ե»-«Զ»

Աղձք, Ուջան և Ավան գյուղական համայնքների տարածքների բաժանման «Զ» հանգուցային կետից սահմանագիծն անցնում է դեպի հարավ-արևմուտք, անցնելով 331.32 մ, հասնում թիվ 1 կետին, այդտեղից թեքվում է հարավ-արևելք, անցնելով 1244.91 մ, հասնում թիվ 3 կետին, որը գտնվում է Արզնի-Շամիրամ ջրանցքի եզրին, որից հետո թեքվում է հարավ-արևելք, անցնելով 360.50 մ` հասնում թիվ 4 կետին, որից հետո իջնում է հարավ` 43.04 մ, հասնում թիվ 5 կետին, այնուհետև բնական ռելիեֆով իջնում է դեպի հարավ, հատելով Թալին-Աշտարակ հանրապետական ճանապարհը, անցնելով 2566.60 մ հասնում է թիվ 6 կետին, որից հետո սահմանագիծը նույն ուղղությամբ իջնում է 789.07 մ, հասնում թիվ 8 կետին, որից հետո թեքվում է հարավ-արևելք 701.86 մ, հասնում Աղձք, Ոսկեհատ և Ուջան գյուղական համայնքների տարածքների բաժանման «Ե» հանգուցային կետին:

«Ե»-«Զ» սահմանագծի ընդհանուր երկարությունը 6037.30 մ է:

ԱՂՁՔ-ԱՎԱՆ ՍԱՀՄԱՆԱԳԻԾԸ`«Զ»-«Է»

Աղձք, Ավան և Տեղեր գյուղական համայնքների տարածքների բաժանման «Է» հանգուցային կետից սահմանագիծը` անցնելով լանջերով և ջրբաժանով դեպի հարավ-արևմուտք 201.06 մ, հասնում է ձորին` թիվ 1 կետին, շարունակելով դեպի արևմուտք, հատելով ջրբաժանը, անցնելով 566.12 մ, հասնում է թիվ 2 կետին, այդտեղից թեքվում է հարավ-արևմուտք, հատելով ջրբաժանը և ձորակը, անցնելով 148.01 մ, հասնում է թիվ 3 կետին, այնուհետև թեքվում հյուսիս-արևմուտք, անցնելով 394.75 մ, հասնում Աղձք, Ուջան և Ավան գյուղական համայնքների տարածքների բաժանման «Զ» հանգուցային կետին:

«Զ»-«Է» սահմանագծի ընդհանուր երկարությունը 1309.94 մ է:

ԱՂՁՔ-ՏԵՂԵՐ ՍԱՀՄԱՆԱԳԻԾԸ`«Է»-«Ա»

Աղձք, Օրգով և Տեղեր գյուղական համայնքների տարածքների բաժանման «Ա» հանգուցային կետից սահմանագիծն իջնում է դեպի հարավ-արևմուտք, անցնելով բնական ռելիեֆով 1968.16 մ հասնում է Աղձք, Տեղեր և Ավան գյուղական համայնքների տարածքների բաժանման «Է» հանգուցային կետին:

«Է»-«Ա» սահմանագծի ընդհանուր երկարությունը 1968.16 մ է:

Հայաստանի Հանրապետության
կառավարության աշխատակազմի
ղեկավար-նախարար
Մ. Թոփուզյան

 

Հավելված N 10
ՀՀ կառավարության 2005 թվականի
մայիսի 25-ի N 993-Ն որոշման


ՀՀ ԱՐԱԳԱԾՈՏՆԻ ՄԱՐԶԻ ԱՎԱՆԻ ԳՅՈՒՂԱԿԱՆ ՀԱՄԱՅՆՔԻ ՎԱՐՉԱԿԱՆ ՍԱՀՄԱՆՆԵՐԻ ՀԱՏԱԿԱԳԻԾԸ
(հավելվածն ուժը կորցրել է 14.10.10 N 1359-Ն)

 

Հավելված N 101
ՀՀ կառավարության 2005 թվականի
մայիսի 25-ի N 993-Ն որոշման

ՀՀ ԱՐԱԳԱԾՈՏՆԻ ՄԱՐԶԻ ԱՎԱՆԻ ԳՅՈՒՂԱԿԱՆ ՀԱՄԱՅՆՔԻ ՎԱՐՉԱԿԱՆ ՍԱՀՄԱՆՆԵՐԻ ՆԿԱՐԱԳՐՈՒԹՅՈՒՆԸ
(հավելվածն ուժը կորցրել է 14.10.10 N 1359-Ն)
 

 

Հավելված N 11
ՀՀ կառավարության 2005 թվականի
մայիսի 25-ի N 993-Ն որոշման

ՀՀ ԱՐԱԳԱԾՈՏՆԻ ՄԱՐԶԻ ԱՎԹՈՆԱՅԻ ԳՅՈՒՂԱԿԱՆ ՀԱՄԱՅՆՔԻ ՎԱՐՉԱԿԱՆ ՍԱՀՄԱՆՆԵՐԻ ՀԱՏԱԿԱԳԻԾԸ
(հավելվածն ուժը կորցրել է 14.10.10 N 1359-Ն)

 

Հավելված N 111
ՀՀ կառավարության 2005 թվականի
մայիսի 25-ի N 993-Ն որոշման

ՀՀ ԱՐԱԳԱԾՈՏՆԻ ՄԱՐԶԻ ԱՎԹՈՆԱՅԻ ԳՅՈՒՂԱԿԱՆ ՀԱՄԱՅՆՔԻ ՎԱՐՉԱԿԱՆ ՍԱՀՄԱՆՆԵՐԻ ՆԿԱՐԱԳՐՈՒԹՅՈՒՆԸ
(հավելվածն ուժը կորցրել է 14.10.10 N 1359-Ն)

 

Հավելված N 12
ՀՀ կառավարության 2005 թվականի
մայիսի 25-ի N 993-Ն որոշման


ՀՀ ԱՐԱԳԱԾՈՏՆԻ ՄԱՐԶԻ ԳԱՌՆԱՀՈՎԻՏԻ ԳՅՈՒՂԱԿԱՆ ՀԱՄԱՅՆՔԻ ՎԱՐՉԱԿԱՆ ՍԱՀՄԱՆՆԵՐԻ ՀԱՏԱԿԱԳԻԾԸ

Հայաստանի Հանրապետության
կառավարության աշխատակազմի
ղեկավար-նախարար
Մ. Թոփուզյան

 

Հավելված N 121
ՀՀ կառավարության 2005 թվականի
մայիսի 25-ի N 993-Ն որոշման

ՀՀ ԱՐԱԳԱԾՈՏՆԻ ՄԱՐԶԻ ԳԱՌՆԱՀՈՎԻՏԻ ԳՅՈՒՂԱԿԱՆ ՀԱՄԱՅՆՔԻ ՎԱՐՉԱԿԱՆ ՍԱՀՄԱՆՆԵՐԻ ՆԿԱՐԱԳՐՈՒԹՅՈՒՆԸ

Գառնահովիտ համայնքը գտնվում է մարզի հյուսիս-արևմտյան մասում:

Հեռավորությունը մարզկենտրոն ք. Աշտարակից 71 կմ է:

Համայնքը` արևմուտքից և հյուսիսից «Ա»-«Բ» հատվածով, սահմանակից է Շիրակի մարզի Սառնաղբյուր համայնքին, արևելքից` «Բ»-«Գ» հատվածով, մարզի համայնքների վարչական սահմաններից դուրս գտնվող հողերին, հարավից` «Գ»-«Ա» հատվածով, Զովասար գյուղական համայնքին:

ԳԱՌՆԱՀՈՎԻՏ-ՇԻՐԱԿԻ ՄԱՐԶԻ ՍԱՌՆԱՂԲՅՈՒՐ ՍԱՀՄԱՆԱԳԻԾԸ` «Ա»-«Բ»

Գառնահովիտ, Զովասար և Շիրակի մարզի Սառնաղբյուր համայնքների տարածքների բաժանման «Ա» հանգուցային կետից սահմանագիծն անցնելով լանջով 1536.0 մ դեպի հյուսիս, հասնում է թիվ 4 կետին, ապա թեքվում է հյուսիս-արևելք` անցնելով 3293.2 մ միկրոռելիեֆի բարձունքներով հասնում է 2295.4 մ նիշ ունեցող «Ադիաման» եռանկյունաչափական պունկտին, որը համընկնում է թիվ 14 կետին: Այնուհետև անցնելով բլուրների գագաթներով հասնում է «Բ» կետին:

«Ա»-«Բ» սահմանագծի ընդհանուր երկարությունը 8162.7 մ է:

ԳԱՌՆԱՀՈՎԻՏ-ՄԱՐԶԻ ՀԱՄԱՅՆՔՆԵՐԻ ՎԱՐՉԱԿԱՆ ՍԱՀՄԱՆՆԵՐԻՑ ԴՈՒՐՍ ԳՏՆՎՈՂ ՀՈՂԵՐԻ ՍԱՀՄԱՆԱԳԻԾԸ` «Բ»-«Գ»

Գառնահովիտ, Շիրակի մարզի Սառնաղբյուր համայնքների և մարզի համայնքների վարչական սահմաններից դուրս գտնվող հողերի «Բ» հանգուցային կետից սահմանագիծն անցնելով հարավ 1573.6 մ, հասնում է «Գ» հանգուցային կետին, որը համընկնում է 2545.3 մ նիշով բլրի գագաթին գտնվող եռանկյունաչափական կետի հետ:

«Բ»-«Գ» սահմանագծի ընդհանուր երկարությունը 1573.6 մ է:

ԳԱՌՆԱՀՈՎԻՏ-ՇԻՐԱԿԻ ՄԱՐԶԻ ՍԱՌՆԱՂԲՅՈՒՐ ՍԱՀՄԱՆԱԳԻԾԸ` «Գ»-«Ա»

«Ա» հանգուցային կետից սահմանագիծն առվով անցնում է դեպի արևելք, հասնում թիվ 2 կետին, որից թեքվում է դեպի հյուսիս-արևելք, ձորակով հասնում «Գ» հանգուցային կետին:

«Գ»-«Ա» սահմանագծի ընդհանուր երկարությունը 6384.7 մ է:

Հայաստանի Հանրապետության
կառավարության աշխատակազմի
ղեկավար-նախարար
Մ. Թոփուզյան

 

Հավելված N 13
ՀՀ կառավարության 2005 թվականի
մայիսի 25-ի N 993-Ն որոշման

ՀՀ ԱՐԱԳԱԾՈՏՆԻ ՄԱՐԶԻ ԳՅԱԼԹՈՅԻ ԳՅՈՒՂԱԿԱՆ ՀԱՄԱՅՆՔԻ ՎԱՐՉԱԿԱՆ ՍԱՀՄԱՆՆԵՐԻ ՀԱՏԱԿԱԳԻԾԸ

Հայաստանի Հանրապետության
կառավարության աշխատակազմի
ղեկավար-նախարար
Մ. Թոփուզյան

 

Հավելված N 131
ՀՀ կառավարության 2005 թվականի
մայիսի 25-ի N 993-Ն որոշման

ՀՀ ԱՐԱԳԱԾՈՏՆԻ ՄԱՐԶԻ ԳՅԱԼԹՈՅԻ ԳՅՈՒՂԱԿԱՆ ՀԱՄԱՅՆՔԻ ՎԱՐՉԱԿԱՆ ՍԱՀՄԱՆՆԵՐԻ ՆԿԱՐԱԳՐՈՒԹՅՈՒՆԸ

Գյալթո համայնքը գտնվում է մարզի արևմտյան մասում:

Հեռավորությունը մարզկենտրոն ք. Աշտարակից 74 կմ է:

Հյուսիսից և արևելքից «Ա»-«Բ» հատվածով սահմանակից է Արեգ համայնքին, հարավից «Բ»-«Գ» հատվածով` մարզի համայնքների վարչական սահմաններից դուրս գտնվող հողերին, հարավ-արևմուտքից «Գ»-«Դ» հատվածով` Արագածավան համայնքին, արևմուտքից և հյուսիսից «Դ»-«Ա» հատվածով` Հակկո համայնքին:

ԳՅԱԼԹՈ-ԱՐԵԳ ՍԱՀՄԱՆԱԳԻԾԸ` «Ա»-«Բ»

Գյալթո, Հակկո և Արեգ համայնքների տարածքների բաժանման «Ա» հանգուցային կետից սահմանագիծը 1303.4 մ անցնում է հյուսիս-արևելք, դաշտային ճանապարհով հասնում է թիվ 1 կետին, ապա թեքվում է հարավ-արևմուտք, հասնում թիվ 2 կետին, ապա հարավ-արևելք, անցնում ռելիեֆի թույլ արտահայտված բարձունքներով 2464.6 մ, հասնում է թիվ 4 կետին: Այնուհետև թեքվելով արևելք, հասնում թիվ 5 կետին, թեքվում հարավ-արևելք, 800.8 մ անցնելով ջրբաժանով և հատելով ձորակ, հասնում է «Բ» հանգուցային կետին:

«Ա»-«Բ» սահմանագծի ընդհանուր երկարությունը 4568.8 մ է:

ԳՅԱԼԹՈ-ՄԱՐԶԻ ՀԱՄԱՅՆՔՆԵՐԻ ՎԱՐՉԱԿԱՆ ՍԱՀՄԱՆՆԵՐԻՑ ԴՈՒՐՍ ԳՏՆՎՈՂ ՀՈՂԵՐԻ ՍԱՀՄԱՆԱԳԻԾԸ` «Բ»-«Գ»

Գյալթո, Արեգ համայնքների և մարզի համայնքների վարչական սահմաններից դուրս գտնվող հողերի տարածքների բաժանման «Բ» հանգուցային կետից սահմանագիծն անցնելով ջրբաժանով 4356.5 մ դեպի հարավ-արևմուտք, հասնում է «Գ» հանգուցային կետին, որը գտնվում է 1426.2 մ նիշ ունեցող բարձունքի վրա:

«Բ»-«Գ» սահմանագծի ընդհանուր երկարությունը 4356.6 մ է:

ԳՅԱԼԹՈ-ԱՐԱԳԱԾԱՎԱՆ ՍԱՀՄԱՆԱԳԻԾԸ` «Գ»-«Դ»

Արագածավան, Հակկո և Գյալթո համայնքների տարածքների բաժանման «Դ» հանգուցային կետից սահմանագիծն անցնում է դեպի հարավ-արևելք, հատելով ձորը և ջրբաժանը, հասնում է «Գ» հանգուցային կետին, որը գտնվում է 1426.2 մ նիշի վրա:

«Գ»-«Դ» սահմանագծի ընդհանուր երկարությունը 823.9 մ է:

ԳՅԱԼԹՈ-ՀԱԿԿՈ ՍԱՀՄԱՆԱԳԻԾԸ` «Դ»-«Ա»

«Ա» հանգուցային կետից սահմանագիծն անցնելով 203.0 մ դեպի հարավ, հասնում է թիվ 1 կետին, որից թեքվում է, շեղվում հարավ-արևմուտք, անցնելով բլուրների վրայով 583.4 մ, հասնում է թիվ 2 կետին, ապա թեքվում է արևմուտք, անցնելով դաշտային և մարզային նշանակության ճանապարհներով, հասնում թիվ 4 կետին, որտեղից կտրուկ թեքվում է դեպի հարավ-արևելք, ապա հարավ, անցնելով ջրբաժաններով և հատելով ձորակներ, հասնում «Դ» հանգուցային կետին:

«Դ»-«Ա» սահմանագծի ընդհանուր երկարությունը 6989.9 մ է:

Հայաստանի Հանրապետության
կառավարության աշխատակազմի
ղեկավար-նախարար
Մ. Թոփուզյան

 

Հավելված N 14
ՀՀ կառավարության 2005 թվականի
մայիսի 25-ի N 993-Ն որոշման

ՀՀ ԱՐԱԳԱԾՈՏՆԻ ՄԱՐԶԻ ԴԱՎԹԱՇԵՆԻ ԳՅՈՒՂԱԿԱՆ ՀԱՄԱՅՆՔԻ ՎԱՐՉԱԿԱՆ ՍԱՀՄԱՆՆԵՐԻ ՀԱՏԱԿԱԳԻԾԸ
(հավելվածն ուժը կորցրել է 14.10.10 N 1359-Ն)

 

Հավելված N 141
ՀՀ կառավարության 2005 թվականի
մայիսի 25-ի N 993-Ն որոշման

ՀՀ ԱՐԱԳԱԾՈՏՆԻ ՄԱՐԶԻ ԴԱՎԹԱՇԵՆԻ ԳՅՈՒՂԱԿԱՆ ՀԱՄԱՅՆՔԻ ՎԱՐՉԱԿԱՆ ՍԱՀՄԱՆՆԵՐԻ ՆԿԱՐԱԳՐՈՒԹՅՈՒՆԸ
(հավելվածն ուժը կորցրել է 14.10.10 N 1359-Ն)

 

Հավելված N 15
ՀՀ կառավարության 2005 թվականի
մայիսի 25-ի N 993-Ն որոշման


ՀՀ ԱՐԱԳԱԾՈՏՆԻ ՄԱՐԶԻ ԴԻԱՆԻ ԳՅՈՒՂԱԿԱՆ ՀԱՄԱՅՆՔԻ ՎԱՐՉԱԿԱՆ ՍԱՀՄԱՆՆԵՐԻ ՀԱՏԱԿԱԳԻԾԸ
(հավելվածն ուժը կորցրել է 14.10.10 N 1359-Ն)

 

Հավելված N 151
ՀՀ կառավարության 2005 թվականի
մայիսի 25-ի N 993-Ն որոշման

ՀՀ ԱՐԱԳԱԾՈՏՆԻ ՄԱՐԶԻ ԴԻԱՆԻ ԳՅՈՒՂԱԿԱՆ ՀԱՄԱՅՆՔԻ ՎԱՐՉԱԿԱՆ ՍԱՀՄԱՆՆԵՐԻ ՆԿԱՐԱԳՐՈՒԹՅՈՒՆԸ
(հավելվածն ուժը կորցրել է 14.10.10 N 1359-Ն)

 

Հավելված N 16
ՀՀ կառավարության 2005 թվականի
մայիսի 25-ի N 993-Ն որոշման

ՀՀ ԱՐԱԳԱԾՈՏՆԻ ՄԱՐԶԻ ԴՊՐԵՎԱՆՔԻ ԳՅՈՒՂԱԿԱՆ ՀԱՄԱՅՆՔԻ ՎԱՐՉԱԿԱՆ ՍԱՀՄԱՆՆԵՐԻ ՀԱՏԱԿԱԳԻԾԸ

Հայաստանի Հանրապետության
կառավարության աշխատակազմի
ղեկավար-նախարար
Մ. Թոփուզյան

 

Հավելված N 161
ՀՀ կառավարության 2005 թվականի
մայիսի 25-ի N 993-Ն որոշման

ՀՀ ԱՐԱԳԱԾՈՏՆԻ ՄԱՐԶԻ ԴՊՐԵՎԱՆՔԻ ԳՅՈՒՂԱԿԱՆ ՀԱՄԱՅՆՔԻ ՎԱՐՉԱԿԱՆ ՍԱՀՄԱՆՆԵՐԻ ՆԿԱՐԱԳՐՈՒԹՅՈՒՆԸ

Դպրեվանք համայնքը գտնվում է մարզի հարավային մասում:

Հեռավորությունը մարզկենտրոն ք. Աշտարակից 28 կմ է:

Համայնքը հյուսիսից, արևելքից և հարավից «Ա»-«Բ» հատվածով սահմանակից է Շամիրամ գյուղական համայնքին, արևմուտքից «Բ»-«Ա» հատվածով` Արուճ գյուղական համայնքին:

ԴՊՐԵՎԱՆՔ-ՇԱՄԻՐԱՄ ՍԱՀՄԱՆԱԳԻԾԸ` «Ա»-«Բ»

Դպրեվանք, Արուճ և Շամիրամ գյուղական համայնքների տարածքների բաժանման «Ա» հանգուցային կետից սահմանագիծն անցնում է հարավ-արևելք 393.0 մ, հատելով դաշտային ճանապարհը, հասնում է թիվ 1 շրջադարձային կետին, հետո կտրուկ թեքվում հարավ, ապա հարավ-արևելք, շրջադարձով ջրբաժանային սահմանով անցնելով թիվ 2-8 կետերով, անցնելով 525.1 մ, միանում թիվ 9 կետին, որից թեքվում հարավ-արևմուտք, Կոշ-Արուճ միջհամայնքային ճանապարհով անցնելով 768.1 մ, հասնում է Դպրեվանք, Շամիրամ և Արուճ գյուղական համայնքների տարածքների բաժանման «Բ» հանգուցային կետին:

«Ա»-«Բ» սահմանագծի ընդհանուր երկարությունը 1686.2 մ է:

ԴՊՐԵՎԱՆՔ-ԱՐՈՒՃ ՍԱՀՄԱՆԱԳԻԾԸ` «Բ»-«Ա»

Դպրեվանք, Արուճ և Շամիրամ համայնքների տարածքների բաժանման «Ա» հանգուցային կետից սահմանագիծն անցնում է ձորով դեպի հարավ-արևմուտք, անցնելով 799.5 մ, հասնում է Դպրեվանք, Արուճ և Շամիրամ համայնքների տարածքների բաժանման «Բ» հանգուցային կետին:

«Բ»-«Ա» սահմանագծի ընդհանուր երկարությունը 799.5 մ է:

Հայաստանի Հանրապետության
կառավարության աշխատակազմի
ղեկավար-նախարար
Մ. Թոփուզյան

 

Հավելված N 17
ՀՀ կառավարության 2005 թվականի
մայիսի 25-ի N 993-Ն որոշման

ՀՀ ԱՐԱԳԱԾՈՏՆԻ ՄԱՐԶԻ ԵՂԻՊԱՏՐՈՒՇԻ ԳՅՈՒՂԱԿԱՆ ՀԱՄԱՅՆՔԻ ՎԱՐՉԱԿԱՆ ՍԱՀՄԱՆՆԵՐԻ ՀԱՏԱԿԱԳԻԾԸ
(հավելվածն ուժը կորցրել է 14.10.10 N 1359-Ն)

 

Հավելված N 171
ՀՀ կառավարության 2005 թվականի
մայիսի 25-ի N 993-Ն որոշման

ՀՀ ԱՐԱԳԱԾՈՏՆԻ ՄԱՐԶԻ ԵՂԻՊԱՏՐՈՒՇԻ ԳՅՈՒՂԱԿԱՆ ՀԱՄԱՅՆՔԻ ՎԱՐՉԱԿԱՆ ՍԱՀՄԱՆՆԵՐԻ ՆԿԱՐԱԳՐՈՒԹՅՈՒՆԸ
(հավելվածն ուժը կորցրել է 14.10.10 N 1359-Ն)

 

Հավելված N 18
ՀՀ կառավարության 2005 թվականի
մայիսի 25-ի N 993-Ն որոշման


ՀՀ ԱՐԱԳԱԾՈՏՆԻ ՄԱՐԶԻ ԶԱՐԻՆՋԱՅԻ ԳՅՈՒՂԱԿԱՆ ՀԱՄԱՅՆՔԻ ՎԱՐՉԱԿԱՆ ՍԱՀՄԱՆՆԵՐԻ ՀԱՏԱԿԱԳԻԾԸ

Հայաստանի Հանրապետության
կառավարության աշխատակազմի
ղեկավար-նախարար
Մ. Թոփուզյան

 

Հավելված N 181
ՀՀ կառավարության 2005 թվականի
մայիսի 25-ի N 993-Ն որոշման

ՀՀ ԱՐԱԳԱԾՈՏՆԻ ՄԱՐԶԻ ԶԱՐԻՆՋԱՅԻ ԳՅՈՒՂԱԿԱՆ ՀԱՄԱՅՆՔԻ ՎԱՐՉԱԿԱՆ ՍԱՀՄԱՆՆԵՐԻ ՆԿԱՐԱԳՐՈՒԹՅՈՒՆԸ

Զարինջա համայնքը գտնվում է մարզի արևմտյան մասում:

Հեռավորություն մարզկենտրոն ք. Աշտարակից 70 կմ է:

Համայնքը հյուսիս-արևելքից «Ա»-«Բ» հատվածով սահմանակից է Շիրակի մարզի Ձիթհանքով համայնքին, հարավ-արևելքից «Բ»-«Գ» հատվածով` Մաստարա համայնքին, հարավից «Գ»-«Դ» հատվածով` Հացաշեն համայնքին, հարավ-արևմուտքից «Դ»-«Ե» հատվածով` Ցամաքասար համայնքին, արևմուտքից «Ե»-«Ա» հատվածով` Շիրակի մարզի Սարակապ համայնքին:

ԶԱՐԻՆՋԱ-ՇԻՐԱԿԻ ՄԱՐԶԻ ՁԻԹՀԱՆՔՈՎ ՍԱՀՄԱՆԱԳԻԾԸ` «Ա»-«Բ»

Զարինջա, Շիրակի մարզի Սարակապ և Ձիթհանքով համայնքների տարածքների բաժանման «Ա» հանգուցային կետից սահմանագիծը թեքվում է դեպի հարավ-արևելք, վարելահողերի եզրով անցնում 2413.5 մ, հասնում թիվ 13 կետին, որից հետո թեքվում է հյուսիս-արևելք, անցնում 138.8 մ, հասնում թիվ 12 կետին, ապա թեքվում է հարավ-արևելք, անցնում 170.7 մ` մինչև թիվ 14 կետը: Այստեղից սահմանագիծը շարունակվում է դեպի հարավ-արևելք, անցնում 4052.4 մ` հատելով Զարինջա-Ձիթհանքով և Ձիթհանքով-Մաստարա ավտոճանապարհները, հասնում է «Բ» հանգուցային կետին:

«Ա»-«Բ» սահմանագծի ընդհանուր երկարությունը 6775.4 մ է:

ԶԱՐԻՆՋԱ-ՄԱՍՏԱՐԱ ՍԱՀՄԱՆԱԳԻԾԸ` «Բ»-«Գ»

Զարինջա, Մաստարա և Շիրակի մարզի Ձիթհանքով համայնքների տարածքների բաժանման «Բ» հանգուցային կետից սահմանագիծն անցնում է դեպի հարավ-արևմուտք, միկրո-ռելիեֆի փոքրիկ բարձունքներով, հատելով Զարինջա-Մաստարա մարզային նշանակության, ճանապարհը հասնում է «Գ» հանգուցային կետին:

«Բ»-«Գ» սահմանագծի ընդհանուր երկարությունը 2447.3 մ է:

ԶԱՐԻՆՋԱ-ՀԱՑԱՇԵՆ ՍԱՀՄԱՆԱԳԻԾԸ` «Գ»-«Դ»

Հացաշեն, Ցամաքասար և Զարինջա համայնքների տարածքների բաժանման «Դ» հանգուցային կետից սահմանագիծն անցնում է դեպի հյուսիս-արևելք 1146.4 մ, հասնում թիվ 3 կետին, որը գտնվում է 1724.8 մ նիշ ունեցող «Սարակայա» գագաթին: Այնուհետև շրջվելով դեպի հարավ-արևելք, անցնելով 1049.7 մ, հասնում է «Գ» հանգուցային կետին:

«Գ»-«Դ» սահմանագծի ընդհանուր երկարությունը 2196.2 մ է:

ԶԱՐԻՆՋԱ-ՑԱՄԱՔԱՍԱՐ ՍԱՀՄԱՆԱԳԻԾԸ` «Դ»-«Ե»

Զարինջա, Ցամաքասար և Շիրակի մարզի Սարակապ համայնքների տարածքների բաժանման «Ե» հանգուցային կետից սահմանագիծն անցնում է հարավ-արևելք, այնուհետև թեքվում հարավ, թամբով անցնելով 559.6 մ, հասնում է թիվ 1 կետին, որից շրջվելով դեպի հարավ-արևելք անցնում է 649.2 մ, հասնում թիվ 2 կետին, ապա շրջվում է դեպի արևելք, ապա հարավ-արևելք, անցնելով 3583.0 մ, բարձունքներով և հատելով մարզային նշանակության ճանապարհը, հասնում է Ցամաքասար, Զարինջա և Հացաշեն համայնքների տարածքների բաժանման «Դ» հանգուցային կետ:

«Դ»-«Ե» սահմանագծի ընդհանուր երկարությունը 4792.0 մ է:

ԶԱՐԻՆՋԱ-ՇԻՐԱԿԻ ՄԱՐԶԻ ՍԱՐԱԿԱՊ ՍԱՀՄԱՆԱԳԻԾԸ` «Ե»-«Ա»

«Ա» հանգուցային կետից սահմանագիծն անցնում է դեպի հյուսիս-արևմուտք 250.7 մ, ապա հարավ-արևմուտք` 239.8 մ և հյուսիս-արևմուտք` 358.9 մ, հասնում թիվ 3 կետին: Այնուհետև շրջվում է հարավ, բարձունքներով անցնում 1823.2 մ, հասնում թիվ 9 կետին, որը համընկնում է «Օվալնայա» եռանկյունաչափական կետին, որից հետո շրջվում է հարավ-արևմուտք, բարձունքներով անցնում 1539.7 մ` հասնում «Ե» հանգուցային կետին:

«Ե»-«Ա» սահմանագծի ընդհանուր երկարությունը 4212.3 մ է:


Հայաստանի Հանրապետության
կառավարության աշխատակազմի
ղեկավար-նախարար
Մ. Թոփուզյան

 

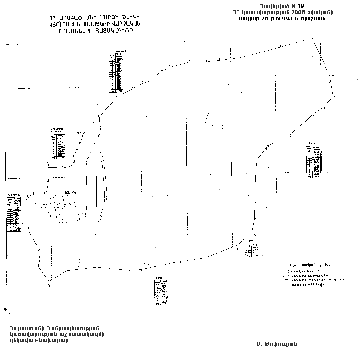
Հավելված N 19
ՀՀ կառավարության 2005 թվականի
մայիսի 25-ի N 993-Ն որոշման

ՀՀ ԱՐԱԳԱԾՈՏՆԻ ՄԱՐԶԻ ԹԼԻԿԻ ԳՅՈՒՂԱԿԱՆ ՀԱՄԱՅՆՔԻ ՎԱՐՉԱԿԱՆ ՍԱՀՄԱՆՆԵՐԻ ՀԱՏԱԿԱԳԻԾԸ

Հայաստանի Հանրապետության
կառավարության աշխատակազմի
ղեկավար-նախարար
Մ. Թոփուզյան

 

Հավելված N 191
ՀՀ կառավարության 2005 թվականի
մայիսի 25-ի N 993-Ն որոշման

ՀՀ ԱՐԱԳԱԾՈՏՆԻ ՄԱՐԶԻ ԹԼԻԿԻ ԳՅՈՒՂԱԿԱՆ ՀԱՄԱՅՆՔԻ ՎԱՐՉԱԿԱՆ ՍԱՀՄԱՆՆԵՐԻ ՆԿԱՐԱԳՐՈՒԹՅՈՒՆԸ

Թլիկ համայնքը գտնվում է մարզի արևմտյան մասում: Հեռավորությունը մարզկենտրոն ք. Աշտարակից 99 կմ է: Համայնքը հյուսիսից «Ա»-«Բ» հատվածով սահմանակից է Նոր Արթիկ համայնքին, արևելքից «Բ»-«Գ» հատվածով` Սորիկ համայնքին, հարավից «Գ»-«Դ» հատվածով` Հակկո համայնքին, «Դ»-«Ե» հատվածով` Գետափ համայնքին, արևմուտքից «Ե»-«Զ» հատվածով` Ախուրյան գետին, հյուսիս- արևմուտքից «Զ»-«Ա» հատվածով` Շիրակի մարզի Անի-Պեմզա համայնքին:

ԹԼԻԿ-ՆՈՐ ԱՐԹԻԿ ՍԱՀՄԱՆԱԳԻԾԸ` «Ա»-«Բ»

Նոր Արթիկ, Թլիկ և Շիրակի մարզի Անի-Պեմզա համայնքների տարածքների բաժանման «Ա» հանգուցային կետից, որը գտնվում է երկաթգծի լիցքային մասից ներքև` կամրջի մոտ, սահմանագիծն անցնում է հյուսիս-արևելք, ապա արևելք: Անցնելով 5707.9 մ` բլուրներով հասնում է թիվ 14 կետին: Այդտեղից թեքվում է հարավ-արևելք, անցնելով 941.6 մ, հատելով դաշտային ճանապարհ` հասնում «Բ» հանգուցային կետին:

«Ա»-«Բ» սահմանագծի երկարությունը 6649.5 մ է:

ԹԼԻԿ-ՍՈՐԻԿ ՍԱՀՄԱՆԱԳԻԾԸ` «Բ»-«Գ»

Թլիկ, Նոր Արթիկ և Սորիկ համայնքների տարածքների բաժանման «Բ» հանգուցային կետից սահմանագիծն անցնելով 474.2 մ հարավ, հասնում է 1531.4 մ նիշով բարձունքին` թիվ 1 կետում, այնուհետև թեքվում է հարավ-արևմուտք 2210.7 մ, անցնելով 1510.7 մ նիշ ունեցող պոլիգոնոմետրիկ կետով և ջրբաժանային բարձունքով հասնում է թիվ 7 կետին, ապա թեքվում է հարավ, անցնում 1625.2 մ, հատելով դաշտային ճանապարհ, հասնում է «Գ» հանգուցային կետին, որը գտնվում է ձորի եզրին:

«Բ»-«Գ» սահմանագծի երկարությունը 4310.1 մ է:

ԹԼԻԿ-ՀԱԿԿՈ ՍԱՀՄԱՆԱԳԻԾԸ` «Գ»-«Դ»

Թլիկ, Սորիկ և Հակկո համայնքների տարածքների բաժանման «Գ» հանգուցային կետից սահմանագիծն անցնում է 442.1 մ հարավ-արևմուտք, հասնում Հակկո, Թլիկ և Գետափ համայնքների տարածքների բաժանման «Դ» հանգուցային կետին:

«Գ»-«Դ» սահմանագծի երկարությունը 442.1 մ է:

ԹԼԻԿ-ԳԵՏԱՓ ՍԱՀՄԱՆԱԳԻԾԸ` «Դ»-«Ե»

Թլիկ, Գետափ համայնքների և Ախուրյան գետի տարածքների բաժանման «Ե» հանգուցային կետից սահմանագիծն անցնում է արևելք 1133.8 մ, հասնում թիվ 2 կետին, հատելով երկաթգիծը և մարզային նշանակության ճանապարհը, որից շարունակվում է դեպի արևելք, անցնում 3179.5 մ միկրոռելիեֆի բարձունքներով, հատելով դաշտամիջյան ճանապարհներ, հասնում «Դ» հանգուցային կետին:

«Դ»-«Ե» սահմանագծի երկարությունը 4312.5 մ է:

ԹԼԻԿ-ԹՈՒՐՔԻԱՅԻ ՀԱՆՐԱՊԵՏՈՒԹՅԱՆ ՍԱՀՄԱՆԱԳԻԾԸ` «Ե»-«Զ»

Թլիկ համայնքի, Ախուրյան գետի և Շիրակի մարզի Անի-Պեմզա համայնքի տարածքների բաժանման «Զ» հանգուցային կետից սահմանագիծն Ախուրյան գետով իջնում է 3030.9 մ դեպի հարավ, հասնում «Ե» հանգուցային կետին: Սահմանագիծը «Ե»-«Զ» հատվածով ամբողջությամբ անցնում է Ախուրյան գետով, որը համընկնում է պետական սահմանի հետ:

«Ե»-«Զ» սահմանագծի երկարությունը 3030.9 մ է:

ԹԼԻԿ-ՇԻՐԱԿԻ ՄԱՐԶԻ ԱՆԻ-ՊԵՄԶԱ ՀԱՄԱՅՆՔՆԵՐԻ ՍԱՀՄԱՆԱԳԻԾԸ` «Զ»-«Ա»

«Ա» հանգուցային կետից սահմանագիծը ձորակով իջնում է դեպի հարավ-արևմուտք, անցնում 1318.4 մ, հատելով Երևան-Գյումրի երկաթգիծը, հասնում Անի-Պեմզա, Թլիկ համայնքների տարածքների բաժանման «Զ» հանգուցային կետին:

«Զ»-«Ա» սահմանագծի երկարությունը 1318.4 մ է:

 

Հայաստանի Հանրապետության
կառավարության աշխատակազմի
ղեկավար-նախարար
Մ. Թոփուզյան

 

Հավելված N 20
ՀՀ կառավարության 2005 թվականի
մայիսի 25-ի N 993-Ն որոշման

ՀՀ ԱՐԱԳԱԾՈՏՆԻ ՄԱՐԶԻ ԻՐԻՆԴԻ ԳՅՈՒՂԱԿԱՆ ՀԱՄԱՅՆՔԻ ՎԱՐՉԱԿԱՆ ՍԱՀՄԱՆՆԵՐԻ ՀԱՏԱԿԱԳԻԾԸ
(հավելվածն ուժը կորցրել է 14.10.10 N 1359-Ն)

 

Հավելված N 201
ՀՀ կառավարության 2005 թվականի
մայիսի 25-ի N 993-Ն որոշման

ՀՀ ԱՐԱԳԱԾՈՏՆԻ ՄԱՐԶԻ ԻՐԻՆԴԻ ԳՅՈՒՂԱԿԱՆ ՀԱՄԱՅՆՔԻ ՎԱՐՉԱԿԱՆ ՍԱՀՄԱՆՆԵՐԻ ՆԿԱՐԱԳՐՈՒԹՅՈՒՆԸ
(հավելվածն ուժը կորցրել է 14.10.10 N 1359-Ն)

 

Հավելված N 21
ՀՀ կառավարության 2005 թվականի
մայիսի 25-ի N 993-Ն որոշման


ՀՀ ԱՐԱԳԱԾՈՏՆԻ ՄԱՐԶԻ ԿՈՇԻ ԳՅՈՒՂԱԿԱՆ ՀԱՄԱՅՆՔԻ ՎԱՐՉԱԿԱՆ ՍԱՀՄԱՆՆԵՐԻ ՀԱՏԱԿԱԳԻԾԸ

Հայաստանի Հանրապետության
կառավարության աշխատակազմի
ղեկավար-նախարար
Մ. Թոփուզյան

 

Հավելված N 211
ՀՀ կառավարության 2005 թվականի
մայիսի 25-ի N 993-Ն որոշման

ՀՀ ԱՐԱԳԱԾՈՏՆԻ ՄԱՐԶԻ ԿՈՇԻ ԳՅՈՒՂԱԿԱՆ ՀԱՄԱՅՆՔԻ ՎԱՐՉԱԿԱՆ ՍԱՀՄԱՆՆԵՐԻ ՆԿԱՐԱԳՐՈՒԹՅՈՒՆԸ

Կոշ գյուղական համայնքը գտնվում է մարզի հարավային մասում:

Հեռավորությունը մարզկենտրոն ք. Աշտարակից 20 կմ է:

Համայնքը հյուսիս-արևմուտքից «Ա»-«Բ» հատվածով սահմանակից է Վ. Սասունիկ գյուղական համայնքին, հյուսիսից և հյուսիս-արևելքից «Բ»-«Գ» հատվածով` Ավան գյուղական համայնքին, արևելքից «Գ»-«Դ» հատվածով` Ուջան գյուղական համայնքին, հարավից «Դ»-«Ե» հատվածով` Արագածոտն գյուղական համայնքին, հարավ-արևմուտքից «Ե»-«Զ» հատվածով` Նոր Եդեսիա գյուղական համայնքին, արևմուտքից «Զ»-«Ա» հատվածով` Շամիրամ գյուղական համայնքին:

ԿՈՇ-Վ. ՍԱՍՈՒՆԻԿ ՍԱՀՄԱՆԱԳԻԾԸ` «Ա»-«Բ»

Կոշ, Վ. Սասունիկ և Շամիրամ գյուղական համայնքների տարածքների բաժանման «Ա» հանգուցային կետից սահմանագիծն անցնում է հյուսիս-արևելք 348.7 մ, հասնում թիվ 1 կետին, ապա թեքվում արևելք, հատում ձորակներ, շրջվում հյուսիս-արևելք, հասնում ջրին, ապա ջրային սահմանով անցնելով 1840.5 մ հասնում է Կոշ, Վ. Սասունիկ և Ավան համայնքների տարածքների բաժանման «Բ» հանգուցային կետին:

«Ա»-«Բ» սահմանագծի ընդհանուր երկարությունը 2189.2 մ է:

ԿՈՇ-ԱՎԱՆ ՍԱՀՄԱՆԱԳԻԾԸ` «Բ»-«Գ»

Կոշ, Վ. Սասունիկ և Ավան համայնքների տարածքների բաժանման «Բ» հանգուցային կետից սահմանագիծը ջրային սահմանով անցնում է արևելք, հատելով ձորը հասնում Վ. Սասունիկ-Կոշ մարզային ճանապարհին, շարունակելով ճանապարհը հյուսիս-արևելք, դարձյալ հատելով փոքր ձորակը, ջրբաժանը, այնուհետև լանջով հասնում ձորին, ձորով շարունակում դեպի հյուսիս, հասնում երկու ձորերի հատման կետին, այնուհետև թեքվում արևելք, անցնելով լանջերով հասնում թիվ 1 կետին` 2419.1 մ: Թիվ 1 կետից թեքվում է հարավ-արևելք, ջրային սահմանով հասնում թիվ 2 կետին, անցնելով 168.9 մ, շարունակելով դեպի հարավ-արևելք, անցնելով լանջերով, այնուհետև ջրբաժանով, հասնում թիվ 3 կետին` 195.2 մ, որտեղից թեքվում արևելք, անցնելով լանջով, հատելով ձորակը, հասնում է ջրբաժանին, այդտեղից շարժվում դեպի հարավ` 384.3 մ, հասնում թիվ 7 կետին, որից հետո սահմանագիծն անցնելով հարավ-արևելք, հատելով ձորը և ջրբաժանը, հասնում է ձորի եզրին, որտեղից սարահարթով անցնելով 1214.1 մ` հասնում է Կոշ, Ավան և Ուջան գյուղական համայնքների տարածքների բաժանման «Գ» հանգուցային կետին:

«Բ»-«Գ» սահմանագծի ընդհանուր երկարությունը 4831.6 մ է:

ԿՈՇ-ՈՒՋԱՆ ՍԱՀՄԱՆԱԳԻԾԸ` «Գ»-«Դ»

Կոշ, Ավան և Ուջան գյուղական համայնքների տարածքների բաժանման «Գ» հանգուցային կետից սահմանագիծը ջրբաժանով իջնում է հարավ, անցնելով թիվ 1 կետով 794.04 մ, հասնում է թիվ 2 կետին, որից հետո թեքվում է հարավ-արևելք` հատելով դաշտային ճանապարհը, անցնելով 321.55 մ միանում թիվ 3 կետին: Թիվ 3 կետից թեքվում է հարավ-արևմուտք 257.38 մ, հասնում թիվ 4 կետին, որից հետո թեքվում է հարավ-արևելք, հատում ջրբաժանը և ձորակը, անցնում թիվ 5-7 կետերով, հասնում Աշտարակ-Ագարակ մարզային նշանակության ճանապարհի թիվ 8 կետը, անցնելով 982.14 մ, թիվ 8 կետից սահմանագիծը նույն ուղղությամբ անցնում է ջրային սահմանով թիվ 9-11 կետերով 2767.43 մ, հասնում է Կոշ, Ուջան և Արագածոտն գյուղական համայնքների տարածքների բաժանման «Դ» հանգուցային կետին:

«Գ»-«Դ» սահմանագծի ընդհանուր երկարությունը 5122.54 մ է:

ԿՈՇ-ԱՐԱԳԱԾՈՏՆ ՍԱՀՄԱՆԱԳԻԾԸ` «Դ»-«Ե»

Կոշ, Նոր Եդեսիա և Արագածոտն համայնքների տարածքների բաժանման «Ե» հանգուցային կետից սահմանագիծը հարթավայրով անցնում է հյուսիս-արևելք, հատելով դաշտամիջյան ճանապարհը, ուղղությունը փոխում է հյուսիս, հատում ձորը, հասնում դաշտամիջյան ճանապարհի խաչմերուկ, որից ուղղությունը փոխում է արևելք, անցնելով 4135.98 մ, հասնում թիվ 1 կետին: Թիվ 1 կետից սահմանագիծը թեքվում է հյուսիս-արևելք, անցնելով 211.8 մ, հասնում թիվ 2 կետին, որից ջրբաժանով անցնում է հարավ-արևելք 903.84 մ, միանում թիվ 3 կետին: Թիվ 3 կետից սահմանագիծը թեքվում է հյուսիս-արևելք, անցնելով թիվ 4-5 կետերով` 1003.13 մ, բլրային ռելիեֆով միանում թիվ 6 կետին, հետո թույլ շեղվում հարավ-արևելք` անցնելով թիվ 7-9 կետերով միանում թիվ 10 կետին` անցնելով 1646.04 մ: Թիվ 10 կետից կտրուկ թեքվում է հյուսիս, անցնում դաշտամիջյան ճանապարհի խաչմերուկով և ջրբաժանով, անցնում 718.4 մ` թիվ 11 կետով, միանում է Կոշ, Արագածոտն և Ուջան համայնքների տարածքների բաժանման «Դ» հանգուցային կետին:

«Դ»-«Ե» սահմանագծի ընդհանուր երկարությունը 8619.17 մ է:

ԿՈՇ-ՆՈՐ ԵԴԵՍԻԱ ՍԱՀՄԱՆԱԳԻԾԸ` «Ե»-«Զ»

Կոշ, Շամիրամ և Նոր Եդեսիա համայնքների տարածքների բաժանման «Զ» հանգուցային կետից սահմանագիծը ձորով իջնում է հարավ, հարավ-արևմուտք, ապա կրկին հարավ, անցնելով 2314.1 մ, հասնում թիվ 1 կետին, որից հարթավայրով թեքվում է հարավ-արևելք, անցնում 411.45 մ, միանում է Կոշ, Նոր Եդեսիա և Արագածոտն համայնքների տարածքների բաժանման «Ե» հանգուցային կետին:

«Ե»-«Զ» սահմանագծի ընդհանուր երկարությունը 2725.55 մ է:

ԿՈՇ-ՇԱՄԻՐԱՄ ՍԱՀՄԱՆԱԳԻԾԸ` «Զ»-«Ա»

Կոշ, Վ. Սասունիկ և Շամիրամ համայնքների տարածքների բաժանման «Ա» հանգուցային կետից սահմանագիծն անցնում է հարավ-արևելք թիվ 1 կետով` 509.0 մ, հասնում թիվ 2 շրջադարձային կետին, որից թեքվում է հարավ` հատելով Կոշ-Առուճ մարզային ճանապարհը, անցնում թիվ 3-4 կետերով 761.09 մ, միանում թիվ 5 շրջադարձային կետին, որից թեքվում հարավ-արևմուտք, հատում դաշտային ճանապարհը, հասնում թիվ 6 կետին, ապա շրջվում հարավ-արևելք` ձորով թիվ 7-14 կետերով անցնելով 2967.51 մ, միանում է թիվ 15 շրջադարձային կետին: Թիվ 15 կետից սահմանագիծը թեքվում է հարավ 930.34 մ, թիվ 16 կետով հասնում թիվ 17 կետին, որից թեքվում է հարավ-արևմուտք` անցնելով 511.61 մ, հասնում Կոշ, Շամիրամ և Նոր Եդեսիա համայնքների տարածքների բաժանման «Զ» հանգուցային կետին:

«Զ»-«Ա» սահմանագծի ընդհանուր երկարությունը 5679.55 մ է:
 

Հայաստանի Հանրապետության
կառավարության աշխատակազմի
ղեկավար-նախարար
Մ. Թոփուզյան

 

Հավելված N 22
ՀՀ կառավարության 2005 թվականի
մայիսի 25-ի N 993-Ն որոշման

ՀՀ ԱՐԱԳԱԾՈՏՆԻ ՄԱՐԶԻ ԿԱՔԱՎԱՁՈՐԻ ԳՅՈՒՂԱԿԱՆ ՀԱՄԱՅՆՔԻ ՎԱՐՉԱԿԱՆ ՍԱՀՄԱՆՆԵՐԻ ՀԱՏԱԿԱԳԻԾԸ

Հայաստանի Հանրապետության
կառավարության աշխատակազմի
ղեկավար-նախարար
Մ. Թոփուզյան

 

Հավելված N 221
ՀՀ կառավարության 2005 թվականի
մայիսի 25-ի N 993-Ն որոշման

ՀՀ ԱՐԱԳԱԾՈՏՆԻ ՄԱՐԶԻ ԿԱՔԱՎԱՁՈՐԻ ԳՅՈՒՂԱԿԱՆ ՀԱՄԱՅՆՔԻ ՎԱՐՉԱԿԱՆ ՍԱՀՄԱՆՆԵՐԻ ՆԿԱՐԱԳՐՈՒԹՅՈՒՆԸ

Կաքավաձոր համայնքը գտնվում է մարզի արևմտյան մասում:

Հեռավորությունը մարզկենտրոն ք. Աշտարակից 38 կմ է:

Համայնքը հյուսիսից «Ա»-«Բ» հատվածով սահմանակից է Ավթոնա համայնքին, հյուսիս-արևելքից «Բ»-«Գ» հատվածով` Բայսզ համայնքին, արևելքից «Գ»-«Դ» հատվածով` Ագարակ համայնքին, հարավից «Դ»-«Ե» հատվածով` Աշտարակի տարածաշրջանի Արուճ համայնքին, հարավ-արևմուտքից «Ե»-«Զ» հատվածով` Ն. Բազմաբերդ համայնքին, հյուսիս-արևմուտքից «Զ»-«Ա» հատվածով` Վ. Բազմաբերդ համայնքին:

ԿԱՔԱՎԱՁՈՐ-ԱՎԹՈՆԱ ՍԱՀՄԱՆԱԳԻԾԸ` «Ա»-«Բ»

Ավթոնա, Վ. Բազմաբերդ և Կաքավաձոր համայնքների տարածքների բաժանման «Ա» հանգուցային կետից սահմանագիծն անցնում է 505.4 մ դեպի հարավ-արևելք, ապա 304.5 մ հյուսիս-արևելք, հատելով ձորեր, դաշտային ճանապարհներ, հասնում է «Բ» հանգուցային կետին:

«Ա»-«Բ» սահմանագծի ընդհանուր երկարությունը 810.0 մ է:

ԿԱՔԱՎԱՁՈՐ-ԲԱՅԱԶ ՍԱՀՄԱՆԱԳԻԾԸ` «Բ»-«Գ»

Կաքավաձոր, Ավթոնա և Բայսզ համայնքների տարածքների բաժանման «Բ» հանգուցային կետից սահմանագիծն անցնելով ջրբաժանով դեպի հարավ-արևելք, հասնում է «Գ» հանգուցային կետին:

«Բ»-«Գ» սահմանագծի ընդհանուր երկարությունը 863.0 մ է:

ԿԱՔԱՎԱՁՈՐ-ԱԳԱՐԱԿ ՍԱՀՄԱՆԱԳԻԾԸ` «Գ»-«Դ»

Կաքավաձոր, Բայսզ և Ագարակ համայնքների տարածքների բաժանման «Գ» հանգուցային կետից սահմանագիծը ձորով իջնում է հարավ, հասնում Կաքավաձոր, Ագարակ և Արուճ համայնքների տարածքների բաժանման «Դ» հանգուցային կետ:

«Գ»-«Դ» սահմանագծի ընդհանուր երկարությունը 6806.4 մ է:

ԿԱՔԱՎԱՁՈՐ-ԱՐՈՒՃ ՍԱՀՄԱՆԱԳԻԾԸ` «Դ»-«Ե»

Ն. Բազմաբերդ, Կաքավաձոր և Արուճ համայնքների տարածքների բաժանման «Ե» հանգուցային կետից սահմանագիծն անցնելով սարահարթային ռելիեֆով դեպի արևելք, հատելով ձորակներ, ջրբաժաններ և մարզային նշանակության ճանապարհ, հասնում է «Դ» հանգուցային կետին:

«Դ»-«Ե» սահմանագծի ընդհանուր երկարությունը 2634.4 մ է:

ԿԱՔԱՎԱՁՈՐ-Ն. ԲԱԶՄԱԲԵՐԴ ՍԱՀՄԱՆԱԳԻԾԸ` «Ե»-«Զ»

Ն. Բազմաբերդ, Վ. Բազմաբերդ և Կաքավաձոր համայնքների տարածքների բաժանման «Զ» հանգուցային կետից սահմանագիծն անցնելով 483.5 մ հարավ-արևելք, հասնում է թիվ 1 կետին, ապա ձորով իջնում է 818.5 մ հարավ` հասնում թիվ 2 կետին, որտեղից թեքվելով հարավ-արևելք` անցնում է 932.1 մ, հատելով ջրբաժաններ և ձոր` հասնում է թիվ 4 կետին, ապա թեքվելով հարավ, անցնում 1437.2 մ հատելով Ն. Բազմաբերդ և Կաքավաձոր մարզային և Երևան-Գյումրի հանրապետական նշանակության ճանապարհները և ձորով իջնում և հասնում է «Ե» հանգուցային կետին:

«Ե»-«Զ» սահմանագծի ընդհանուր երկարությունը 3671.3 մ է:

ԿԱՔԱՎԱՁՈՐ-Վ. ԲԱԶՄԱԲԵՐԴ ՍԱՀՄԱՆԱԳԻԾԸ` «Զ»-«Ա»

«Ա» հանգուցային կետից սահմանագիծն անցնում է 3461.7 մ հարավ` սարահարթով հատելով դաշտային ճանապարհներ, հասնում է թիվ 8 կետին, որտեղից թեքվում է հյուսիս-արևելք անցնում 323.6 մ, հասնում թիվ 9 կետին, որը գտնվում է Կաքավաձոր-Ն. Բազմաբերդ ավտոճանապարհի եզրին, այնուհետև արևելք 230.8 մ, հասնում թիվ 10 կետին, ապա հարավ-արևմուտք` 180.6 մ, հասնում թիվ 11 կետին, թեքվում է հարավ և անցնում 326.9 մ, հասնում թիվ 12 կետին, այստեղից անցնելով 319.2 մ հարավ-արևմուտք, ապա հյուսիս-արևմուտք, հասնում է «Զ» հանգուցային կետին:

«Զ»-«Ա» սահմանագծի ընդհանուր երկարությունը 4842.8 մ է:

II ՀԱՏՎԱԾ

ԿԱՔԱՎԱՁՈՐ-ԱՐՈՒՃ ՍԱՀՄԱՆԱԳԻԾԸ` «Ա»-«Բ»

Կաքավաձոր համայնքի II հատվածի, մարզի համայնքների վարչական սահմաններից դուրս գտնվող հողերի և Արուճ համայնքի տարածքների բաժանման «Ա» հանգուցային կետից սահմանագիծը, որը գտնվում է ձորակում, թեքվում է դեպի արևելք, անցնում 55.94 մ, հասնում թիվ 1 կետին, որից թեքվում է հարավ-արևելք, ջրանցքով իջնում 1316.47 մ մինչև թիվ 4 կետը, ապա թեքվում հարավ-արևմուտք, անցնում 97.97 մ, հասնում Կաքավաձոր, Արուճ և Պարտիզակ համայնքների տարածքների բաժանման «Բ» հանգուցային կետին:

«Ա»-«Բ» սահմանագծի ընդհանուր երկարությունը 1470.37մ է:

ԿԱՔԱՎԱՁՈՐ-ՊԱՐՏԻԶԱԿ ՍԱՀՄԱՆԱԳԻԾԸ` «Բ»-«Գ»

Պարտիզակ, Կաքավաձոր համայնքների, մարզի համայնքների վարչական սահմաններից դուրս գտնվող հողերի տարածքների բաժանման «Գ» հանգուցային կետից, որը գտնվում է ձորակում, սահմանագիծը թեքվում է հարավ-արևելք, ձորակով իջնում 216.1 մ, հասնում թիվ 3 կետին, որից թեքվում է արևելք, ձորակից դուրս գալով անցնում 423.5 մ, հասնում «Բ» հանգուցային կետին:

«Բ»-«Գ» սահմանագծի ընդհանուր երկարությունը 639.6 մ է:

ԿԱՔԱՎԱՁՈՐ-ՄԱՐԶԻ ՀԱՄԱՅՆՔՆԵՐԻ ՎԱՐՉԱԿԱՆ ՍԱՀՄԱՆՆԵՐԻՑ ԴՈՒՐՍ ԳՏՆՎՈՂ ՀՈՂԵՐԻ ՍԱՀՄԱՆԱԳԻԾԸ` «Գ»-«Ա»

«Ա» հանգուցային կետից սահմանագիծը ձորակով իջնում է դեպի հարավ 1225.92 մ, հասնում է «Գ» հանգուցային կետին:

«Գ»-«Ա» սահմանագծի ընդհանուր երկարությունը 1225.92 մ է:

Հայաստանի Հանրապետության
կառավարության աշխատակազմի
ղեկավար-նախարար
Մ. Թոփուզյան

 

Հավելված N 23
ՀՀ կառավարության 2005 թվականի
մայիսի 25-ի N 993-Ն որոշման


ՀՀ ԱՐԱԳԱԾՈՏՆԻ ՄԱՐԶԻ ԿԱԹՆԱՂԲՅՈՒՐԻ ԳՅՈՒՂԱԿԱՆ ՀԱՄԱՅՆՔԻ ՎԱՐՉԱԿԱՆ ՍԱՀՄԱՆՆԵՐԻ ՀԱՏԱԿԱԳԻԾԸ
(հավելվածն ուժը կորցրել է 14.10.10 N 1359-Ն)

 

Հավելված N 231
ՀՀ կառավարության 2005 թվականի
մայիսի 25-ի N 993-Ն որոշման

ՀՀ ԱՐԱԳԱԾՈՏՆԻ ՄԱՐԶԻ ԿԱԹՆԱՂԲՅՈՒՐԻ ԳՅՈՒՂԱԿԱՆ ՀԱՄԱՅՆՔԻ ՎԱՐՉԱԿԱՆ ՍԱՀՄԱՆՆԵՐԻ ՆԿԱՐԱԳՐՈՒԹՅՈՒՆԸ
(հավելվածն ուժը կորցրել է 14.10.10 N 1359-Ն)

 

Հավելված N 24
ՀՀ կառավարության 2005 թվականի
մայիսի 25-ի N 993-Ն որոշման


ՀՀ ԱՐԱԳԱԾՈՏՆԻ ՄԱՐԶԻ ԿԱՐՄՐԱՇԵՆԻ ԳՅՈՒՂԱԿԱՆ ՀԱՄԱՅՆՔԻ ՎԱՐՉԱԿԱՆ ՍԱՀՄԱՆՆԵՐԻ ՀԱՏԱԿԱԳԻԾԸ
(հավելվածն ուժը կորցրել է 14.10.10 N 1359-Ն)

 

Հավելված N 241
ՀՀ կառավարության 2005 թվականի
մայիսի 25-ի N 993-Ն որոշման

ՀՀ ԱՐԱԳԱԾՈՏՆԻ ՄԱՐԶԻ ԿԱՐՄՐԱՇԵՆԻ ԳՅՈՒՂԱԿԱՆ ՀԱՄԱՅՆՔԻ ՎԱՐՉԱԿԱՆ ՍԱՀՄԱՆՆԵՐԻ ՆԿԱՐԱԳՐՈՒԹՅՈՒՆԸ
(հավելվածն ուժը կորցրել է 14.10.10 N 1359-Ն)

 

Հավելված N 25
ՀՀ կառավարության 2005 թվականի
մայիսի 25-ի N 993-Ն որոշման

ՀՀ ԱՐԱԳԱԾՈՏՆԻ ՄԱՐԶԻ ՀԱԿԿՈՅԻ ԳՅՈՒՂԱԿԱՆ ՀԱՄԱՅՆՔԻ ՎԱՐՉԱԿԱՆ ՍԱՀՄԱՆՆԵՐԻ ՀԱՏԱԿԱԳԻԾԸ

Հայաստանի Հանրապետության
կառավարության աշխատակազմի
ղեկավար-նախարար
Մ. Թոփուզյան

 

Հավելված N 251 
ՀՀ կառավարության 2005 թվականի
մայիսի 25-ի N 993-Ն որոշման

ՀՀ ԱՐԱԳԱԾՈՏՆԻ ՄԱՐԶԻ ՀԱԿԿՈՅԻ ԳՅՈՒՂԱԿԱՆ ՀԱՄԱՅՆՔԻ ՎԱՐՉԱԿԱՆ ՍԱՀՄԱՆՆԵՐԻ ՆԿԱՐԱԳՐՈՒԹՅՈՒՆԸ

Հակկո համայնքը գտնվում է մարզի արևմտյան մասում:

Հեռավորությունը մարզկենտրոն ք. Աշտարակից 77 կմ է:

Հյուսիսից «Ա»-«Բ» հատվածով սահմանակից է Սորիկ համայնքին, արևելքից «Բ»-«Գ» հատվածով` Արեգ համայնքին, «Գ»-«Դ» հատվածով` Գյալթո համայնքին, հարավից «Դ»-«Ե» հատվածով` Արագածավան համայնքին, արևմուտքից «Ե»-«Զ» հատվածով` Գետափ համայնքին, հյուսիս-արևմուտքից` «Զ»-«Ա» հատվածով, Թլիկ համայնքին:

ՀԱԿԿՈ-ՍՈՐԻԿ ՍԱՀՄԱՆԱԳԻԾԸ` «Ա»-«Բ»

Հակկո, Թլիկ և Սորիկ համայնքների տարածքների բաժանման «Ա» հանգուցային կետից սահմանագիծն անցնելով ձորակով 1728.1 մ դեպի հյուսիս-արևելք, հասնում է թիվ 1 կետին, ապա թեքվում հարավ-արևելք, անցնելով խիստ արտահայտված ռելիեֆի բարձունքներով` 2525.9 մ, հասնում է թիվ 8 կետին, այնուհետև շրջվում է արևելք, անցնում 1118.6 մ, հատելով ձոր, հասնում է թիվ 10 կետին, որը գտնվում է 1526.9 մ նիշի վրա, որից սահմանագիծը թեքվում է հյուսիս-արևելք` 1106.0 մ, հասնում «Բ» հանգուցային կետին:

«Ա»-«Բ» սահմանագծի ընդհանուր երկարությունը 6478.6 մ է:

ՀԱԿԿՈ-ԱՐԵԳ ՍԱՀՄԱՆԱԳԻԾԸ` «Բ»-«Գ»

Հակկո, Սորիկ և Արեգ համայնքների տարածքների բաժանման «Բ» հանգուցային կետից սահմանագիծն անցնում է հարավ-արևելք 723.9 մ, հատելով մարզային նշանակության ճանապարհ, հասնում է թիվ 1 կետին, այնուհետև թեքվելով հարավ-արևելք հասնում Հակկո, Արեգ և Գյալթո համայնքների տարածքների բաժանման «Գ» հանգուցային կետ:

«Բ»-«Գ» սահմանագծի ընդհանուր երկարությունը 1003.1 մ է:

ՀԱԿԿՈ-ԳՅԱԼԹՈ ՍԱՀՄԱՆԱԳԻԾԸ` «Գ»-«Դ»

Հակկո, Արեգ և Գյալթո համայնքների տարածքների բաժանման «Գ» հանգուցային կետից սահմանագիծն անցնելով 203.0 մ դեպի հարավ, հասնում է թիվ 1 կետին, որից թեքվում է հարավ-արևմուտք, անցնելով բլուրներով 583.4 մ, հասնում է թիվ 2 կետին, ապա թեքվում արևմուտք, անցնելով դաշտային և մարզային նշանակության ճանապարհներով հասնում թիվ 4 կետին, որտեղից կտրուկ թեքվում է դեպի հարավ-արևելք, ապա հարավ, անցնելով ջրբաժաններով և հատելով ձորակներ, հասնում Հակկո, Արեգ և Արագածավան համայնքների տարածքների բաժանման «Դ» հանգուցային կետին:

«Գ»-«Դ» սահմանագծի ընդհանուր երկարությունը 6989.9 մ է:

ՀԱԿԿՈ-ԱՐԱԳԱԾԱՎԱՆ ՍԱՀՄԱՆԱԳԻԾԸ` «Դ»-«Ե»

Հակկո, Արեգ և Արագածավան համայնքների տարածքների բաժանման «Ե» հանգուցային կետից սահմանագիծն անցնում է հարավ-արևելք 1733.9 մ, հասնում թիվ 4 կետին, որը գտնվում է 1423.1 մ նիշի վրա, թեքվում է դեպի արևելք, անցնում 2335.7 մ, հատելով ջրբաժաններ և ձոր, հասնում «Դ» հանգուցային կետին:

«Դ»-«Ե» սահմանագծի ընդհանուր երկարությունը 4069.4 մ է:

ՀԱԿԿՈ-ԳԵՏԱՓ ՍԱՀՄԱՆԱԳԻԾԸ` «Ե»-«Զ»

Հակկո, Գետափ և Թլիկ համայնքների տարածքների բաժանման «Զ» հանգուցային կետից սահմանագիծն անցնելով հարավ, հատելով մարզային նշանակության ճանապարհ, հասնում է Հակկո, Արագածավան և Գետափ համայնքների տարածքների բաժանման «Ե» հանգուցային կետին:

«Ե»-«Զ» սահմանագծի ընդհանուր երկարությունը 3781.5 մ է:

ՀԱԿԿՈ-ԹԼԻԿ ՍԱՀՄԱՆԱԳԻԾԸ` «Զ»-«Ա»

«Ա» հանգուցային կետից սահմանագիծն անցնելով 442.1 մ հարավ-արևմուտք, հասնում է Հակկո, Թլիկ և Գետափ համայնքների տարածքների բաժանման «Զ» հանգուցային կետին:

«Զ»-«Ա» սահմանագծի ընդհանուր երկարությունը 442.1 մ է:

Հայաստանի Հանրապետության
կառավարության աշխատակազմի
ղեկավար-նախարար
Մ. Թոփուզյան

 

Հավելված N 26
ՀՀ կառավարության 2005 թվականի
մայիսի 25-ի N 993-Ն որոշման


ՀՀ ԱՐԱԳԱԾՈՏՆԻ ՄԱՐԶԻ ՄՈՒԼՔԻԻ ԳՅՈՒՂԱԿԱՆ ՀԱՄԱՅՆՔԻ ՎԱՐՉԱԿԱՆ ՍԱՀՄԱՆՆԵՐԻ ՀԱՏԱԿԱԳԻԾԸ
(հավելվածն ուժը կորցրել է 14.10.10 N 1359-Ն)

 

Հավելված N 261
ՀՀ կառավարության 2005 թվականի
մայիսի 25-ի N 993-Ն որոշման

ՀՀ ԱՐԱԳԱԾՈՏՆԻ ՄԱՐԶԻ ՄՈՒԼՔԻԻ ԳՅՈՒՂԱԿԱՆ ՀԱՄԱՅՆՔԻ ՎԱՐՉԱԿԱՆ ՍԱՀՄԱՆՆԵՐԻ ՆԿԱՐԱԳՐՈՒԹՅՈՒՆԸ
(հավելվածն ուժը կորցրել է 14.10.10 N 1359-Ն)

 

Հավելված N 27
ՀՀ կառավարության 2005 թվականի
մայիսի 25-ի N 993-Ն որոշման


ՀՀ ԱՐԱԳԱԾՈՏՆԻ ՄԱՐԶԻ Ն. ԲԱԶՄԱԲԵՐԴԻ ԳՅՈՒՂԱԿԱՆ ՀԱՄԱՅՆՔԻ ՎԱՐՉԱԿԱՆ ՍԱՀՄԱՆՆԵՐԻ ՀԱՏԱԿԱԳԻԾԸ
(հավելվածն ուժը կորցրել է 14.10.10 N 1359-Ն)

 

Հավելված N 271
ՀՀ կառավարության 2005 թվականի
մայիսի 25-ի N 993-Ն որոշման

ՀՀ ԱՐԱԳԱԾՈՏՆԻ ՄԱՐԶԻ Ն. ԲԱԶՄԱԲԵՐԴԻ ԳՅՈՒՂԱԿԱՆ ՀԱՄԱՅՆՔԻ ՎԱՐՉԱԿԱՆ ՍԱՀՄԱՆՆԵՐԻ ՆԿԱՐԱԳՐՈՒԹՅՈՒՆԸ
(հավելվածն ուժը կորցրել է 14.10.10 N 1359-Ն)

 

Հավելված N 28
ՀՀ կառավարության 2005 թվականի
մայիսի 25-ի N 993-Ն որոշման

ՀՀ ԱՐԱԳԱԾՈՏՆԻ ՄԱՐԶԻ ՆՈՐ ԱՐԹԻԿԻ ԳՅՈՒՂԱԿԱՆ ՀԱՄԱՅՆՔԻ ՎԱՐՉԱԿԱՆ ՍԱՀՄԱՆՆԵՐԻ ՀԱՏԱԿԱԳԻԾԸ

Հայաստանի Հանրապետության
կառավարության աշխատակազմի
ղեկավար-նախարար
Մ. Թոփուզյան

 

Հավելված N 281
ՀՀ կառավարության 2005 թվականի
մայիսի 25-ի N 993-Ն որոշման

ՀՀ ԱՐԱԳԱԾՈՏՆԻ ՄԱՐԶԻ ՆՈՐ ԱՐԹԻԿԻ ԳՅՈՒՂԱԿԱՆ ՀԱՄԱՅՆՔԻ ՎԱՐՉԱԿԱՆ ՍԱՀՄԱՆՆԵՐԻ ՆԿԱՐԱԳՐՈՒԹՅՈՒՆԸ

Նոր Արթիկ համայնքը գտնվում է մարզի արևմտյան մասում:

Հեռավորությունը մարզկենտրոն ք. Աշտարակից 73 կմ է:

Համայնքը հյուսիս-արևմուտքից «Ա»-«Բ» հատվածով սահմանակից է Շիրակի մարզի Բագրավան համայնքին, հյուսիսից` «Բ»-«Գ» հատվածով` Շիրակի մարզի Հայկաձոր համայնքին, «Գ»-«Դ» հատվածով` Շիրակի մարզի Սարակապ համայնքին, արևելքից «Դ»-«Ե» հատվածով` Ցամաքասար համայնքին, «Ե»-«Զ» հատվածով` Սուսեր համայնքին, հարավից «Զ»-«Է» հատվածով` Սորիկ համայնքին, «Է»-«Ը» հատվածով` Թլիկ համայնքին, արևմուտքից և հյուսիս-արևմուտքից «Ը»-«Ա» հատվածով` Շիրակի մարզի Անիպեմզա համայնքին:

ՆՈՐ ԱՐԹԻԿ-ՇԻՐԱԿԻ ՄԱՐԶԻ ԲԱԳՐԱՎԱՆ ՍԱՀՄԱՆԱԳԻԾԸ` «Ա»-«Բ»

Նոր Արթիկ, Շիրակի մարզի Անիպեմզա և Բագրավան համայնքների տարածքների բաժանման «Ա» հանգուցային կետից սահմանագիծն անցնելով թիվ 1-5 կետերով դեպի արևելք` 3237.4 մ, հասնում է թիվ 6 կետին, որը համընկնում է «Սև սիրտ» եռանկյունաչափական կետին, որից թեքվում է դեպի հյուսիս, անցնելով թիվ 7-11 կետերը` 4178.6 մ, հասնում թիվ 12 կետին, որտեղից շարժվելով դեպի արևելք 582.9 մ, դաշտային ճանապարհով հասնում է «Բ» հանգուցային կետին:

«Ա»-«Բ» սահմանագծերի ընդհանուր երկարությունը 7998.9 մ է:

ՆՈՐ ԱՐԹԻԿ-ՇԻՐԱԿԻ ՄԱՐԶԻ ՀԱՅԿԱՁՈՐ ՍԱՀՄԱՆԱԳԻԾԸ` «Բ»-«Գ»

Նոր Արթիկ, Շիրակի մարզի Բագրավան և Հայկաձոր համայնքների տարածքների բաժանման «Բ» հանգուցային կետից սահմանագիծն անցնելով 1328.9 մ դեպի հյուսիս-արևելք, դաշտային ճանապարհով հասնում է թիվ 2 կետին, որից հետո շրջվում է հարավ-արևելք, անցնում 354.3 մ, հասնում է Նոր Արթիկ, Շիրակի մարզի Հայկաձոր և Սարակապ համայնքների տարածքների բաժանման «Գ» հանգուցային կետին:

«Բ»-«Գ» սահմանագծերի ընդհանուր երկարությունը 1683.2 մ է:

ՆՈՐ ԱՐԹԻԿ-ՇԻՐԱԿԻ ՄԱՐԶԻ ՍԱՐԱԿԱՊ ՍԱՀՄԱՆԱԳԻԾԸ` «Գ»-«Դ»

Նոր Արթիկ, Շիրակի մարզի Հայկաձոր և Սարակապ համայնքների տարածքների բաժանման «Գ» հանգուցային կետից սահմանագիծն անցնելով բարձունքներով դեպի հարավ-արևելք, հատելով ձորակներ և ջրբաժաններ հասնում է «Դ» հանգուցային կետին:

«Գ»-«Դ» սահմանագծերի ընդհանուր երկարությունը 1705.3 մ է:

ՆՈՐ ԱՐԹԻԿ-ՑԱՄԱՔԱՍԱՐ ՍԱՀՄԱՆԱԳԻԾԸ` «Դ»-«Ե»

Ցամաքասար, Նոր Արթիկ և Շիրակի մարզի Սարակապ համայնքների տարածքների բաժանման «Դ» հանգուցային կետից սահմանագիծն անցնելով հարավ-արևմուտք 540.6 մ, հատելով ձորակ, հասնում է թիվ 1 կետին, որից շարունակվելով նույն ուղղությամբ 429.5 մ, ապա դեպի հարավ-արևելք, անցնելով 454.2 մ, ջրբաժանով հասնում է «Ե» հանգուցային կետին:

«Դ»-«Ե» սահմանագծերի ընդհանուր երկարությունը 1424.3 մ է:

ՆՈՐ ԱՐԹԻԿ-ՍՈՒՍԵՐ ՍԱՀՄԱՆԱԳԻԾԸ` «Ե»-«Զ»

Սուսեր, Նոր Արթիկ և Ցամաքասար համայնքների տարածքների բաժանման «Ե» հանգուցային կետից սահմանագիծն անցնելով 439.0 մ հարավ-արևմուտք, հատելով ձորակ, հասնում է թիվ 1 կետին, ապա դաշտային ճանապարհով հասնում է թիվ 2 կետին, որտեղից թեքվում հարավ, անցնելով 3300.1 մ, հատելով մարզային նշանակության ճանապարհ, դաշտային ճանապարհներ և ձոր, հասնում է 1576.8 մ նիշով բարձունքի վրա գտնվող թիվ 11 կետին, որտեղից թեքվում է հարավ-արևմուտք, ջրբաժանով անցնում 766.0 մ, հասնում «Զ» հանգուցային կետին:

«Ե»-«Զ» սահմանագծերի ընդհանուր երկարությունը 5312.0 մ է:

ՆՈՐ ԱՐԹԻԿ-ՍՈՐԻԿ ՍԱՀՄԱՆԱԳԻԾԸ` «Զ»-«Է»

Նոր Արթիկ, Սորիկ և Թլիկ համայնքների տարածքների բաժանման «Է» հանգուցային կետից սահմանագիծն անցնելով 1228.9 մ արևելք հատելով դաշտային ճանապարհ, հասնում է «Զ» հանգուցային կետին:

«Զ»-«Է» սահմանագծերի ընդհանուր երկարությունը 1228.9 մ է:

ՆՈՐ ԱՐԹԻԿ-ԹԼԻԿ ՍԱՀՄԱՆԱԳԻԾԸ` «Է»-«Ը»

Նոր Արթիկ, Թլիկ և Շիրակի մարզի Անիպեմզա համայնքների տարածքների բաժանման «Ը» հանգուցային կետից, որը գտնվում է երկաթգծի լիցքային մասից ներքև, կամրջի մոտ, սահմանագիծը անցնում է հյուսիս-արևելք, 5707.9 մ, հասնում թիվ 14 կետին, այդտեղից թեքվում է հարավ-արևելք, անցնելով 941.6 մ դաշտային ճանապարհով հասնում «Է» հանգուցային կետին:

«Է»-«Ը» սահմանագծերի ընդհանուր երկարությունը 6649.5 մ է:

ՆՈՐ ԱՐԹԻԿ-ՇԻՐԱԿԻ ՄԱՐԶԻ ԱՆԻՊԵՄԶԱ ՍԱՀՄԱՆԱԳԻԾԸ` «Ը»-«Ա»

«Ա» հանգուցային կետից սահմանագիծն անցնելով հարավ-արևմուտք, բարձունքներով հասնում է թիվ 6 կետին, որը գտնվում է ձորի եզրին, ապա շրջվում է դեպի հարավ 89.7 մ, ձորով հասնում թիվ 7 կետին, այնուհետև կտրուկ թեքվում է արևմուտք, անցնելով դաշտային ճանապարհով 663.5 մ, հասնում թիվ 8 կետին, որը գտնվում է երկաթգծի մոտ, ապա շարունակվում դեպի հարավ` երկաթգծով հասնում «Ը» հանգուցային կետին:

«Ը»-«Ա» սահմանագծերի ընդհանուր երկարությունը 4287.8 մ է:
 

Հայաստանի Հանրապետության
կառավարության աշխատակազմի
ղեկավար-նախարար
Մ. Թոփուզյան

 

Հավելված N 29
ՀՀ կառավարության 2005 թվականի
մայիսի 25-ի N 993-Ն որոշման

ՀՀ ԱՐԱԳԱԾՈՏՆԻ ՄԱՐԶԻ ՆՈՐ ԵԴԵՍԻԱՅԻ ԳՅՈՒՂԱԿԱՆ ՀԱՄԱՅՆՔԻ ՎԱՐՉԱԿԱՆ ՍԱՀՄԱՆՆԵՐԻ ՀԱՏԱԿԱԳԻԾԸ
(հավելվածն ուժը կորցրել է 14.10.10 N 1359-Ն)

 

Հավելված N 291
ՀՀ կառավարության 2005 թվականի
մայիսի 25-ի N 993-Ն որոշման

ՀՀ ԱՐԱԳԱԾՈՏՆԻ ՄԱՐԶԻ ՆՈՐ ԵԴԵՍԻԱՅԻ ԳՅՈՒՂԱԿԱՆ ՀԱՄԱՅՆՔԻ ՎԱՐՉԱԿԱՆ ՍԱՀՄԱՆՆԵՐԻ ՆԿԱՐԱԳՐՈՒԹՅՈՒՆԸ
(հավելվածն ուժը կորցրել է 14.10.10 N 1359-Ն)
 
 

Հավելված N 30
ՀՀ կառավարության 2005 թվականի
մայիսի 25-ի N 993-Ն որոշման

ՀՀ ԱՐԱԳԱԾՈՏՆԻ ՄԱՐԶԻ Ն. ՍԱՍՈՒՆԱՇԵՆԻ ԳՅՈՒՂԱԿԱՆ ՀԱՄԱՅՆՔԻ ՎԱՐՉԱԿԱՆ ՍԱՀՄԱՆՆԵՐԻ ՀԱՏԱԿԱԳԻԾԸ
(հավելվածն ուժը կորցրել է 14.10.10 N 1359-Ն)

 

Հավելված N 301
ՀՀ կառավարության 2005 թվականի
մայիսի 25-ի N 993-Ն որոշման

ՀՀ ԱՐԱԳԱԾՈՏՆԻ ՄԱՐԶԻ Ն. ՍԱՍՈՒՆԱՇԵՆԻ ԳՅՈՒՂԱԿԱՆ ՀԱՄԱՅՆՔԻ ՎԱՐՉԱԿԱՆ ՍԱՀՄԱՆՆԵՐԻ ՆԿԱՐԱԳՐՈՒԹՅՈՒՆԸ
(հավելվածն ուժը կորցրել է 14.10.10 N 1359-Ն)

 

Հավելված N 31
ՀՀ կառավարության 2005 թվականի
մայիսի 25-ի N 993-Ն որոշման


ՀՀ ԱՐԱԳԱԾՈՏՆԻ ՄԱՐԶԻ ՆՈՐ ԱՄԱՆՈՍԻ ԳՅՈՒՂԱԿԱՆ ՀԱՄԱՅՆՔԻ ՎԱՐՉԱԿԱՆ ՍԱՀՄԱՆՆԵՐԻ ՀԱՏԱԿԱԳԻԾԸ
(հավելվածն ուժը կորցրել է 14.10.10 N 1359-Ն)

 

Հավելված N 311
ՀՀ կառավարության 2005 թվականի
մայիսի 25-ի N 993-Ն որոշման

ՀՀ ԱՐԱԳԱԾՈՏՆԻ ՄԱՐԶԻ ՆՈՐ ԱՄԱՆՈՍԻ ԳՅՈՒՂԱԿԱՆ ՀԱՄԱՅՆՔԻ ՎԱՐՉԱԿԱՆ ՍԱՀՄԱՆՆԵՐԻ ՆԿԱՐԱԳՐՈՒԹՅՈՒՆԸ
(հավելվածն ուժը կորցրել է 14.10.10 N 1359-Ն)

 

Հավելված N 32
ՀՀ կառավարության 2005 թվականի
մայիսի 25-ի N 993-Ն որոշման


ՀՀ ԱՐԱԳԱԾՈՏՆԻ ՄԱՐԶԻ ՇՂԱՐՇԻԿԻ ԳՅՈՒՂԱԿԱՆ ՀԱՄԱՅՆՔԻ ՎԱՐՉԱԿԱՆ ՍԱՀՄԱՆՆԵՐԻ ՀԱՏԱԿԱԳԻԾԸ
(հավելվածն ուժը կորցրել է 14.10.10 N 1359-Ն)

 

Հավելված N 321
ՀՀ կառավարության 2005 թվականի
մայիսի 25-ի N 993-Ն որոշման

ՀՀ ԱՐԱԳԱԾՈՏՆԻ ՄԱՐԶԻ ՇՂԱՐՇԻԿԻ ԳՅՈՒՂԱԿԱՆ ՀԱՄԱՅՆՔԻ ՎԱՐՉԱԿԱՆ ՍԱՀՄԱՆՆԵՐԻ ՆԿԱՐԱԳՐՈՒԹՅՈՒՆԸ
(հավելվածն ուժը կորցրել է 14.10.10 N 1359-Ն)

 

Հավելված N 33
ՀՀ կառավարության 2005 թվականի
մայիսի 25-ի N 993-Ն որոշման


ՀՀ ԱՐԱԳԱԾՈՏՆԻ ՄԱՐԶԻ ՈՍԿԵԹԱՍԻ ԳՅՈՒՂԱԿԱՆ ՀԱՄԱՅՆՔԻ ՎԱՐՉԱԿԱՆ ՍԱՀՄԱՆՆԵՐԻ ՀԱՏԱԿԱԳԻԾԸ
(հավելվածն ուժը կորցրել է 14.10.10 N 1359-Ն)

 

Հավելված N 331
ՀՀ կառավարության 2005 թվականի
մայիսի 25-ի N 993-Ն որոշման

ՀՀ ԱՐԱԳԱԾՈՏՆԻ ՄԱՐԶԻ ՈՍԿԵԹԱՍԻ ԳՅՈՒՂԱԿԱՆ ՀԱՄԱՅՆՔԻ ՎԱՐՉԱԿԱՆ ՍԱՀՄԱՆՆԵՐԻ ՆԿԱՐԱԳՐՈՒԹՅՈՒՆԸ
(հավելվածն ուժը կորցրել է 14.10.10 N 1359-Ն)

 


Հավելված N 34
ՀՀ կառավարության 2005 թվականի
մայիսի 25-ի N 993-Ն որոշման


ՀՀ ԱՐԱԳԱԾՈՏՆԻ ՄԱՐԶԻ ՈՍԿԵՀԱՏԻ ԳՅՈՒՂԱԿԱՆ ՀԱՄԱՅՆՔԻ ՎԱՐՉԱԿԱՆ ՍԱՀՄԱՆՆԵՐԻ ՀԱՏԱԿԱԳԻԾԸ

Հայաստանի Հանրապետության
կառավարության աշխատակազմի
ղեկավար-նախարար
Մ. Թոփուզյան

 

Հավելված N 341
ՀՀ կառավարության 2005 թվականի
մայիսի 25-ի N 993-Ն որոշման

ՀՀ ԱՐԱԳԱԾՈՏՆԻ ՄԱՐԶԻ ՈՍԿԵՀԱՏԻ ԳՅՈՒՂԱԿԱՆ ՀԱՄԱՅՆՔԻ ՎԱՐՉԱԿԱՆ ՍԱՀՄԱՆՆԵՐԻ ՆԿԱՐԱԳՐՈՒԹՅՈՒՆԸ

Ոսկեհատ գյուղական համայնքը գտնվում է մարզի հարավային մասում:

Հեռավորությունը մարզկենտրոն ք. Աշտարակից 10 կմ է:

Համայնքը հյուսիս-արևմուտքից «Ա»-«Բ» հատվածով սահմանակից է Ուջան համայնքին, հյուսիսից «Բ»-«Գ» հատվածով` Աղձք համայնքին, հյուսիս-արևելքից «Գ»-«Դ» հատվածով` Ագարակ համայնքին, արևելքից «Դ»-«Ե» հատվածով` Ոսկեվազ համայնքին, հարավից «Ե»-«Զ» հատվածով` Արմավիրի մարզի Ամբերդ համայնքին, արևմուտքից «Զ»-«Է» հատվածով` Լեռնամերձ համայնքին, «Է»-«Ը» հատվածով` Աղավնատուն համայնքին և հարավ-արևմուտքից «Ը»-«Ա» հատվածով` Արագածոտն մարզի Արագածոտն համայնքին:

ՈՍԿԵՀԱՏ-ՈՒՋԱՆ ՍԱՀՄԱՆԱԳԻԾԸ` «Ա»-«Բ»

Արագածոտն, Ոսկեհատ և Ուջան համայնքների տարածքների բաժանման «Ա» հանգուցային կետից, որը գտնվում է ձորակով անցնող դաշտային ճանապարհի վրա, սահմանագիծը ձգվում է հյուսիս-արևելք` 85.58 մ հեռավորության վրա գտնվող բլրի թիվ 1 կետը, այնուհետև նույն ուղղությամբ անցնում է 183.57 մ, հասնում դաշտային ճանապարհի և առվի հատման կետում գտնվող Ոսկեհատ, Ուջան և Աղձք գյուղական համայնքների տարածքների բաժանման «Բ» հանգուցային կետին:

«Ա»-«Բ» սահմանագծի ընդհանուր երկարությունը 269.15 մ է:

ՈՍԿԵՀԱՏ-ԱՂՁՔ ՍԱՀՄԱՆԱԳԻԾԸ` «Բ»-«Գ»

Աղձք, Ոսկեհատ և Ուջան համայնքների տարածքների բաժանման «Բ» հանգուցային կետից սահմանագիծն անցնում է դեպի արևելք, հասնում ձորին, այդտեղից շրջվում դեպի հարավ-արևելք, ապա դեպի հյուսիս-արևելք, հետո անցնում լանջերով, հատում ձորեր ու ձորակներ, դաշտային ճանապարհներ, անցնելով 3267.68 մ, հասնում է Աղձք, Ոսկեհատ և Ագարակ համայնքների տարածքների բաժանման «Գ» հանգուցային կետին:

«Բ»-«Գ» սահմանագծի ընդհանուր երկարությունը 3267.68 մ է:

ՈՍԿԵՀԱՏ-ԱԳԱՐԱԿ ՍԱՀՄԱՆԱԳԻԾԸ` «Գ»-«Դ»

Աղձք, Ոսկեհատ և Ագարակ համայնքների տարածքների բաժանման «Գ» հանգուցային կետից սահմանագիծը թեքվում է դեպի արևելք, ոռոգման առվով անցնում և հասնում է մինչև Ամբերդ գետի ափին գտնվող Ոսկեհատ-Ագարակ և Ոսկեվազ համայնքների տարածքների բաժանման «Դ» հանգուցային կետը:

«Գ»-«Դ» սահմանագծի ընդհանուր երկարությունը 577.20 մ է:

ՈՍԿԵՀԱՏ-ՈՍԿԵՎԱԶ ՍԱՀՄԱՆԱԳԻԾԸ` «Դ»-«Ե»

Ոսկեհատ, Ագարակ և Ոսկեվազ գյուղական համայնքների տարածքների բաժանման «Դ» հանգուցային կետից սահմանագիծն անցնում է Շահվերդ գետով 3935.72 մ, հասնում Ոսկեհատ, Ոսկեվազ և Արմավիրի մարզի Ամբերդ համայնքների տարածքների բաժանման «Ե» հանգուցային կետին:

«Դ»-«Ե» սահմանագծի ընդհանուր երկարությունը 3935.72 մ է:

ՈՍԿԵՀԱՏ-ԱՐՄԱՎԻՐԻ ՄԱՐԶԻ ԱՄԲԵՐԴ ՀԱՄԱՅՆՔԻ ՍԱՀՄԱՆԱԳԻԾԸ` «Ե»-«Զ»

Ոսկեհատ, Արմավիրի մարզի Ամբերդ և Լեռնամերձ համայնքների տարածքների բաժանման «Զ» հանգուցային կետից սահմանագիծն անցնում է դեպի արևելք 543.38 մ, հասնում թիվ 1 կետին, շարունակվելով 201.55 մ և հատելով դաշտային ճանապարհը, հասնում թիվ 3 կետին, այնուհետև թեքվում է դեպի հյուսիս-արևելք 189.37 մ, հասնում Ամբերդ գետի ափին գտնվող Ոսկեհատ, Ոսկեվազ և Արմավիրի մարզի Ամբերդ համայնքների տարածքների բաժանման «Ե» հանգուցային կետին:

«Ե»-«Զ» սահմանագծի ընդհանուր երկարությունը 934.3 մ է:

ՈՍԿԵՀԱՏ-ԱՐՄԱՎԻՐԻ ՄԱՐԶԻ ԼԵՌՆԱՄԵՐՁ ՀԱՄԱՅՆՔԻ ՍԱՀՄԱՆԱԳԻԾԸ` «Զ»-«Է»

Ոսկեհատ, Արմավիրի մարզի Աղավնատուն և Լեռնամերձ համայնքների տարածքների բաժանման «Է» հանգուցային կետից սահմանագիծն իջնում է հարավ 164.86 մ, հասնում թիվ 1 կետին, որից հետո թեքվում է հարավ-արևմուտք 119.59 մ, հասնում է թիվ 2 կետին, որը գտնվում է ոռոգման առվի եզրին, այնուհետև ոռոգման առվով իջնում հարավ, հատում դաշտային ճանապարհը, անցնելով 1173.39 մ, հասնում է Ոսկեհատ, Արմավիրի մարզի Ամբերդ և Լեռնամերձ համայնքների տարածքների բաժանման «Զ» հանգուցային կետին:

«Զ»-«Է» սահմանագծի ընդհանուր երկարությունը 1457.84 մ է:

ՈՍԿԵՀԱՏ- ԱՐՄԱՎԻՐԻ ՄԱՐԶԻ ԱՂԱՎՆԱՏՈՒՆ ՀԱՄԱՅՆՔԻ ՍԱՀՄԱՆԱԳԻԾԸ` «Է»-«Ը»

Արագածոտն, Ոսկեհատ և Արմավիրի մարզի Աղավնատուն համայնքների տարածքների բաժանման «Ը» հանգուցային կետից, որը գտնվում է ձորակով անցնող դաշտային ճանապարհի եզրին, սահմանագիծը իջնում է հարավարևելյան ուղղությամբ 482.49 մ, հասնում թիվ 1 կետին, ապա թեքվում հյուսիս-արևելք 294.51 մ` մինչև թիվ 2 կետը, հետո քիչ թեքվում է արևելք, լանջով անցնում 397.17 մ, հասնում թիվ 3 կետին, այնուհետև նույն ուղղությամբ 298.61 մ, հասնում է բարձունքի թիվ 4 կետը: Թիվ 4 կետից սահմանագիծը թեքվում է հյուսիս-արևելք, անցնում բլրի գագաթով թիվ 5 կետով մինչև դաշտային ճանապարհի եզրի թիվ 6 կետը` անցնելով 303.38 մ: Այնուհետև լանջով անցնում է 321.91 մ, հասնում թիվ 7 կետին, թեքվում հարավ-արևելք 118.81 մ, հասնում թիվ 8 կետին, որից հետո աստիճանաբար թեքվում  հարավ-արևելք, անցնելով 350.85 մ, հասնում Ոսկեհատ, Արմավիրի մարզի Աղավնատուն և Լեռնամերձ համայնքների տարածքների բաժանման «Է» հանգուցային կետը:

«Է»-«Ը» սահմանագծի ընդհանուր երկարությունը 2443.85 մ է:

ՈՍԿԵՀԱՏ-ԱՐԱԳԱԾՈՏՆ ՍԱՀՄԱՆԱԳԻԾԸ` «Ը»-«Ա»

Արագածոտն, Ուջան, Ոսկեհատ համայնքների տարածքների բաժանման «Ա» հանգուցային կետից սահմանագիծը ձորով իջնում է դեպի հարավ-արևելք, մինչև ձորի շրջադարձը, հասնում Արագածոտն, Ոսկեհատ և Արմավիրի մարզի Աղավնատուն գյուղական համայնքների տարածքների բաժանման «Ը» հանգուցային կետին:

«Ը»-«Ա» սահմանագծի ընդհանուր երկարությունը 1039.87 մ է:

Հայաստանի Հանրապետության
կառավարության աշխատակազմի
ղեկավար-նախարար
Մ. Թոփուզյան

 

Հավելված N 35
ՀՀ կառավարության 2005 թվականի
մայիսի 25-ի N 993-Ն որոշման

ՀՀ ԱՐԱԳԱԾՈՏՆԻ ՄԱՐԶԻ ՊԱՐՏԻԶԱԿԻ ԳՅՈՒՂԱԿԱՆ ՀԱՄԱՅՆՔԻ ՎԱՐՉԱԿԱՆ ՍԱՀՄԱՆՆԵՐԻ ՀԱՏԱԿԱԳԻԾԸ
(հավելվածն ուժը կորցրել է 14.10.10 N 1359-Ն)

 

Հավելված N 351 
ՀՀ կառավարության 2005 թվականի
մայիսի 25-ի N 993-Ն որոշման

ՀՀ ԱՐԱԳԱԾՈՏՆԻ ՄԱՐԶԻ ՊԱՐՏԻԶԱԿԻ ԳՅՈՒՂԱԿԱՆ ՀԱՄԱՅՆՔԻ ՎԱՐՉԱԿԱՆ ՍԱՀՄԱՆՆԵՐԻ ՆԿԱՐԱԳՐՈՒԹՅՈՒՆԸ
(հավելվածն ուժը կորցրել է 14.10.10 N 1359-Ն)

 

Հավելված N 36
ՀՀ կառավարության 2005 թվականի
մայիսի 25-ի N 993-Ն որոշման


ՀՀ ԱՐԱԳԱԾՈՏՆԻ ՄԱՐԶԻ ՍՈՒՍԵՐԻ ԳՅՈՒՂԱԿԱՆ ՀԱՄԱՅՆՔԻ ՎԱՐՉԱԿԱՆ ՍԱՀՄԱՆՆԵՐԻ ՀԱՏԱԿԱԳԻԾԸ

Հայաստանի Հանրապետության
կառավարության աշխատակազմի
ղեկավար-նախարար
Մ. Թոփուզյան

 

Հավելված N 361
ՀՀ կառավարության 2005 թվականի
մայիսի 25-ի N 993-Ն որոշման

ՀՀ ԱՐԱԳԱԾՈՏՆԻ ՄԱՐԶԻ ՍՈՒՍԵՐԻ ԳՅՈՒՂԱԿԱՆ ՀԱՄԱՅՆՔԻ ՎԱՐՉԱԿԱՆ ՍԱՀՄԱՆՆԵՐԻ ՆԿԱՐԱԳՐՈՒԹՅՈՒՆԸ

Սուսեր համայնքը գտնվում է մարզի արևմտյան մասում:

Հեռավորությունը մարզկենտրոն ք. Աշտարակից 90 կմ է:

Համայնքը արևելքից «Ա»-«Բ» հատվածով սահմանակից է Ցամաքասար համայնքին, հարավից «Բ»-«Գ» հատվածով` Արեգ համայնքին, հարավ-արևմուտքից` «Գ»-«Դ» հատվածով` Սորիկ համայնքին, արևմուտքից «Դ»-«Ա» հատվածով` Նոր Արթիկ համայնքին:

ՍՈՒՍԵՐ-ՑԱՄԱՔԱՍԱՐ ՍԱՀՄԱՆԱԳԻԾԸ` «Ա»-«Բ»

Սուսեր, Նոր Արթիկ և Ցամաքասար համայնքների տարածքների բաժանման «Ա» հանգուցային կետից սահմանագիծն անցնելով բարձունքներով դեպի հարավ-արևելք 760.9 մ, հասնում է թիվ 2 կետին, որը գտնվում է 1659.6 մ նիշ ունեցող բարձունքի վրա, ապա շարունակվում է նույն ուղղությամբ, անցնում 1883.2 մ, հատելով ձոր և մարզային նշանակության ճանապարհ, լանջով բարձրանում, հասնում թիվ 5 կետին, որը գտնվում է «Ավդուտեպե» բարձունքի վրա: Այնուհետև շեղվում է հարավ-արևմուտք, ապա հարավ, անցնելով 6034.4 մ դաշտային ճանապարհով, ձորակով, հատելով դաշտային ճանապարհ ու ջրբաժան ` հասնում «Բ» հանգուցային կետին:

«Ա»-«Բ» սահմանագծի ընդհանուր երկարությունը 8679.1 մ է:

ՍՈՒՍԵՐ-ԱՐԵԳ ՍԱՀՄԱՆԱԳԻԾԸ` «Բ»-«Գ»

Սուսեր, Արեգ և Սորիկ համայնքների տարածքների բաժանման «Գ» հանգուցային կետից սահմանագիծը ձորով անցնում է դեպի հարավ-արևելք, ապա հյուսիս-արևելք` հասնում «Բ» հանգուցային կետին:

«Բ»-«Գ» սահմանագծի ընդհանուր երկարությունը 920.0 մ է:

ՍՈՒՍԵՐ-ՍՈՐԻԿ ՍԱՀՄԱՆԱԳԻԾԸ` «Գ»-«Դ»

Սորիկ, Նոր Արթիկ և Սուսեր համայնքների տարածքների բաժանման «Դ» հանգուցային կետից սահմանագիծն անցնելով 1690.2 մ հարավ-արևելք, բարձունքներով անցնում է թիվ 1-4 կետերով, հասնում է կետին, որը գտնվում է դաշտային ճանապարհի և ձորակի հատման տեղում, այնուհետև շարունակվելով 702.6 մ դաշտային ճանապարհով, հասնում է թիվ 9 կետին, թեքվում է արևելք, անցնում է 55.6 մ հարավ` 90.4 մ, դարձյալ արևելք` 280.9 մ և հասնում թիվ 12 կետին, որը գտնվում է լեռան ստորոտում, ապա թեքվում է հարավ-արևելք, շրջանցում 1564.2 մ նիշ ունեցող բարձունքին, դաշտային ճանապարհով անցնում 606.1 մ, հասնում ճանապարհների խաչմերուկում գտնվող թիվ 13 կետին: Այստեղից շրջվում է դեպի հարավ-արևմուտք, անցնում 97.5 մ, այնուհետև հարավ-արևելք` 483.4 մ, հասնում «Գ» հանգուցային կետին, որը գտնվում է ձորի եզրին Սուսեր, Արեգ և Սորիկ համայնքների տարածքների բաժանման կետում:

«Գ»-«Դ» սահմանագծի ընդհանուր երկարությունը 4006.6 մ է:

ՍՈՒՍԵՐ-ՆՈՐ ԱՐԹԻԿ ՍԱՀՄԱՆԱԳԻԾԸ` «Դ»-«Ա»

«Ա» հանգուցային կետից սահմանագիծն անցնելով 439.0 մ հարավ-արևմուտք, հատելով ձորակ, հասնում է թիվ 1 կետին, ապա շարունակվելով դաշտային ճանապարհով հասնում թիվ 2 կետին, որտեղից թեքվելով հարավ, անցնելով 3300.1 մ, հատելով մարզային նշանակության դաշտային ճանապարհներ և ձոր, հասնում է 1576.8 մ նիշով բարձունքի վրա գտնվող թիվ 11 կետին, այնուհետև թեքվում է հարավ-արևմուտք, ջրբաժանով անցնում է 766.0 մ, հասնում «Դ» հանգուցային կետին` Սորիկ, Նոր Արթիկ և Սուսեր համայնքների տարածքների բաժանման կետին:

«Դ»-«Ա» սահմանագծի ընդհանուր երկարությունը 5312.0 մ է:

 

Հայաստանի Հանրապետության
կառավարության աշխատակազմի
ղեկավար-նախարար
Մ. Թոփուզյան

 

Հավելված N 37
ՀՀ կառավարության 2005 թվականի
մայիսի 25-ի N 993-Ն որոշման


ՀՀ ԱՐԱԳԱԾՈՏՆԻ ՄԱՐԶԻ ՍԱՍՈՒՆԻԿԻ ԳՅՈՒՂԱԿԱՆ ՀԱՄԱՅՆՔԻ ՎԱՐՉԱԿԱՆ ՍԱՀՄԱՆՆԵՐԻ ՀԱՏԱԿԱԳԻԾԸ

Հայաստանի Հանրապետության
կառավարության աշխատակազմի
ղեկավար-նախարար
Մ. Թոփուզյան

 

Հավելված N 371
ՀՀ կառավարության 2005 թվականի
մայիսի 25-ի N 993-Ն որոշման

ՀՀ ԱՐԱԳԱԾՈՏՆԻ ՄԱՐԶԻ ՍԱՍՈՒՆԻԿԻ ԳՅՈՒՂԱԿԱՆ ՀԱՄԱՅՆՔԻ ՎԱՐՉԱԿԱՆ ՍԱՀՄԱՆՆԵՐԻ ՆԿԱՐԱԳՐՈՒԹՅՈՒՆԸ

Սասունիկ գյուղական համայնքը գտնվում է մարզի հարավային մասում:

Հեռավորությունը մարզկենտրոն ք. Աշտարակից 3 կմ է:

Համայնքը հյուսիսից «Ա»-«Բ» հատվածով սահմանակից է Աշտարակ քաղաքային համայնքին, հյուսիս-արևելքից «Բ»-«Գ» հատվածով` Կոտայքի մարզի Պռոշյան գյուղական համայնքին, հարավ-արևելքից «Գ»-«Դ» հատվածով` ք. Երևանին, հարավից «Դ»-«Ե» հատվածով` Արմավիրի մարզի Մերձավան գյուղական համայնքին, «Ե»-«Զ» հատվածով` Արմավիրի մարզի Բաղրամյան գյուղական համայնքին, «Զ»-«Է» հատվածով` Արմավիրի մարզի Նորակերտ գյուղական համայնքին, հարավ-արևմուտքից «Է»-«Ը» հատվածով` Արմավիրի մարզի Շահումյան գյուղական համայնքին, «Ը»-«Թ» հատվածով` Արմավիրի մարզի Դաշտ գյուղական համայնքին, հյուսիս-արևմուտքից «Թ»-«Ա» հատվածով` Օշական գյուղական համայնքին:

ՍԱՍՈՒՆԻԿ-ԱՇՏԱՐԱԿ ՍԱՀՄԱՆԱԳԻԾԸ` «Ա»-«Բ»

Սասունիկ, Օշական և Աշտարակ համայնքների տարածքների բաժանման «Ա» հանգուցային կետից սահմանագիծը հատելով ջրբաժանը` անցնում է հյուսիս-արևելք, ապա լանջով թեքվում է արևելք թիվ 1-10 կետերով անցնելով 1350.7 մ միանում է թիվ 11 շրջադարձային կետին: Թիվ 11 կետից սահմանագիծը հատելով դաշտային ճանապարհներ, անցնում է հարավ-արևմուտք թիվ 12-18 կետերով` 571.6 մ, հասնում թիվ 19 կետին, թեքվում հարավ, անցնելով թիվ 20 կետով 238.9 մ, հասնում թիվ 21 կետին, ապա շրջադարձերով անցնում հարավ-արևելք` թիվ 22-28 կետերով 822.2 մ, միանում թիվ 29 կետին: Թիվ 29 կետից սահմանագիծն անցնում է արևելք, միանում թիվ 31 կետին, հետո հատելով ձորը, թեքվում է հարավ-արևելք, ապա հյուսիս-արևելք, անցնելով թիվ 32-33 կետերով 2195.8 մ, միանում թիվ 34 կետին, որից հետո լանջով թեքվելով հյուսիս-արևելք, անցնելով ջրբաժանով, թիվ 35 կետով, անցնելով 1050.5 մ, միանում Սասունիկ, Աշտարակ և Կոտայքի մարզի Պռոշյան գյուղական համայնքների տարածքների բաժանման «Բ» հանգուցային սահմանակետին:

«Ա»-«Բ» սահմանագծի ընդհանուր երկարությունը 6229.7 մ է:

ՍԱՍՈՒՆԻԿ-ԿՈՏԱՅՔԻ ՄԱՐԶԻ ՊՌՈՇՅԱՆ ՍԱՀՄԱՆԱԳԻԾԸ` «Բ»-«Գ»

Սասունիկ, Աշտարակ և Կոտայքի մարզի Պռոշյան գյուղական համայնքների տարածքների բաժանման «Բ» հանգուցային կետից սահմանագիծը ձորով անցնում է հարավ-արևմուտք, ապա արևելք` մինչև ձորերի հատման խաչմերուկ, ապա թեքվում հարավ, անցնում 776.5 մ, հասնում թիվ 1 կետին: Թիվ 1 կետից նույն ուղղությամբ անցնելով թիվ 2-4 կետերով 368.0 մ, միանում թիվ 5 կետին: Թիվ 5 կետից անցնում է հարավ-արևելք, ապա հարավ-արևմուտք, մինչև դաշտային ճանապարհի հետ հատվելը, որից թեքվում է հարավ-արևելք, անցնելով 2461.8 մ, միանում Սասունիկ, Կոտայքի մարզի Պռոշյան գյուղական համայնքների և ք. Երևանի տարածքների բաժանման «Գ» հանգուցային սահմանակետին:

«Բ»-«Գ» սահմանագծի ընդհանուր երկարությունը 3606.3 մ է:

ՍԱՍՈՒՆԻԿ-Ք.ԵՐԵՎԱՆ ՍԱՀՄԱՆԱԳԻԾԸ` «Գ»-«Դ»

Սասունիկ, Կոտայքի մարզի Պռոշյան և ք. Երևանի տարածքների բաժանման «Գ» հանգուցային կետից սահմանագիծն անցնում է լանջերի վրայով հարավ-արևմուտք, թիվ 1-2 կետերով միանում Սասունիկ, ք. Երևան և Արմավիրի մարզի Մերձավան գյուղական համայնքների տարածքների բաժանման «Դ» հանգուցային սահմանակետին:

«Գ»-«Դ» սահմանագծի ընդհանուր երկարությունը 926.99 մ է:

ՍԱՍՈՒՆԻԿ-ԱՐՄԱՎԻՐԻ ՄԱՐԶԻ ՄԵՐՁԱՎԱՆ ՍԱՀՄԱՆԱԳԻԾԸ` «Դ»-«Ե»

Սասունիկ, Արմավիրի մարզի Մերձավան և Բաղրամյան գյուղական համայնքների տարածքների բաժանման «Ե» հանգուցային կետից սահմանագիծն անցնում է հյուսիս-արևելք 209.78 մ, հասնում թիվ 1 կետին, ապա անցնում է արևելք, ճանապարհին հատելով ջրբաժաններ, ձորեր, թիվ 2-6 կետերով անցնելով 1596.44 մ, հասնում է Սասունիկ, Արմավիրի մարզի Մերձավան գյուղական համայնքների և ք. Երևանի տարածքների բաժանման «Դ» հանգուցային սահմանակետին:

«Դ»-«Ե» սահմանագծի ընդհանուր երկարությունը 1806.22 մ է:

ՍԱՍՈՒՆԻԿ-ԱՐՄԱՎԻՐԻ ՄԱՐԶԻ ԲԱՂՐԱՄՅԱՆ ՍԱՀՄԱՆԱԳԻԾԸ` «Ե»-«Զ»

Բաղրամյան, Սասունիկ և Նորակերտ գյուղական համայնքների տարածքների բաժանման «Զ» հանգուցային կետից սահմանագիծն անցնում է լանջով դեպի հարավ-արևելք, 684.16 մ, հասնում է թիվ 2 կետին, որից թեքվում է հյուսիս, անցնելով 284.91 մ, միանում թիվ 3 կետին, այնուհետև թեքվում է հարավ-արևելք, թիվ 4-10 կետերով անցնելով 2004.68 մ, հասնում է թիվ 11 կետին, որտեղից թեքվում է արևելք 313.03 մ, միանում Սասունիկ, Արմավիրի մարզի Բաղրամյան ու Մերձավան գյուղական համայնքների տարածքների բաժանման «Ե» հանգուցային սահմանակետին:

«Ե»-«Զ» սահմանագծի ընդհանուր երկարությունը 3286.78 մ է:

ՍԱՍՈՒՆԻԿ-ԱՐՄԱՎԻՐԻ ՄԱՐԶԻ ՆՈՐԱԿԵՐՏ ՍԱՀՄԱՆԱԳԻԾԸ` «Զ»-«Է»

Սասունիկ, Արմավիրի մարզի Նորակերտ և Շահումյան գյուղական համայնքների տարածքների բաժանման «Է» հանգուցային կետից սահմանագիծն անցնում է հյուսիս-արևելք թիվ 1-3 կետերով, հատելով ջրբաժանը, դաշտամիջյան ճանապարհներ և ձորը, անցնում 1335.36 մ, միանում թիվ 4 շրջադարձային կետին, որից թեքվում է արևելք, հասնում թիվ 5 կետ` 1396.68 մ, հատելով ձորեր` հասնում Սասունիկ, Արմավիրի մարզի Նորակերտ և Բաղրամյանի գյուղական համայնքների տարածքների բաժանման «Զ» հանգուցային սահմանակետին:

«Զ»-«Է» սահմանագծի ընդհանուր երկարությունը 2732.04 մ է:

ՍԱՍՈՒՆԻԿ-ԱՐՄԱՎԻՐԻ ՄԱՐԶԻ ՇԱՀՈՒՄՅԱՆ ՍԱՀՄԱՆԱԳԻԾԸ` «Է»-«Ը»

Սասունիկ, Արմավիրի մարզի Շահումյան և Դաշտ գյուղական համայնքների տարածքների բաժանման «Ը» հանգուցային կետից սահմանագիծն անցնում է հարավարևելյան ուղղությամբ թիվ 1 կետով, հասնում Սասունիկ, Արմավիրի մարզի Շահումյան և Նորակերտ գյուղական համայնքների տարածքների բաժանման «Է» հանգուցային սահմանակետին:

«Է»-«Ը» սահմանագծի ընդհանուր երկարությունը 683.96 մ է:

ՍԱՍՈՒՆԻԿ-ԱՐՄԱՎԻՐԻ ՄԱՐԶԻ ԴԱՇՏ ՍԱՀՄԱՆԱԳԻԾԸ` «Ը»-«Թ»

Սասունիկ, Օշական և Արմավիրի մարզի Դաշտ գյուղական համայնքների տարածքների բաժանման «Թ» հանգուցային կետից սահմանագիծն անցնելով հարավ-արևելք, հատում է դաշտամիջյան ճանապարհը, հասնում թիվ 1 կետին, նույն ուղղությամբ հատելով ջրբաժանը, հասնում է Սասունիկ, Արմավիրի մարզի Դաշտ և Շահումյան գյուղական համայնքների տարածքների բաժանման «Ը» հանգուցային սահմանակետին:

«Ը»-«Թ» սահմանագծի ընդհանուր երկարությունը 903.25 մ է:

ՍԱՍՈՒՆԻԿ-ՕՇԱԿԱՆ ՍԱՀՄԱՆԱԳԻԾԸ` «Թ»-«Ա»

Սասունիկ, Օշական և Աշտարակ գյուղական համայնքների տարածքների բաժանման «Ա» հանգուցային կետից սահմանագիծն անցնում է հարավ-արևմուտք ջրբաժանով, ապա հատելով Օշական-Երևան մարզային ճանապարհը, անցնելով 2652.3 մ, հասնում է թիվ 1 կետին, որից թեքվում արևմուտք, անցնում է 595.8 մ, հասնում թիվ 2 կետին, ապա թեքվում հյուսիս-արևմուտք, անցնում 710.0 մ թիվ 3 կետով, դաշտային ճանապարհով միանում է թիվ 4 շրջադարձային կետին: Թիվ 4 կետից սահմանագիծը թեքվում է հարավ-արևմուտք դաշտամիջյան ճանապարհով, անցնելով 961.5 մ, միանում Սասունիկ, Օշական և Արմավիրի մարզի Դաշտ գյուղական համայնքների տարածքների բաժանման «Թ» հանգուցային սահմանակետին:

«Թ»-«Ա» սահմանագծի ընդհանուր երկարությունը 4919.7 մ է:

Հայաստանի Հանրապետության
կառավարության աշխատակազմի
ղեկավար-նախարար
Մ. Թոփուզյան

 

Հավելված N 38
ՀՀ կառավարության 2005 թվականի
մայիսի 25-ի N 993-Ն որոշման


ՀՀ ԱՐԱԳԱԾՈՏՆԻ ՄԱՐԶԻ ՍԱՂՄՈՍԱՎԱՆԻ ԳՅՈՒՂԱԿԱՆ ՀԱՄԱՅՆՔԻ ՎԱՐՉԱԿԱՆ ՍԱՀՄԱՆՆԵՐԻ ՀԱՏԱԿԱԳԻԾԸ
(հավելվածն ուժը կորցրել է 14.10.10 N 1359-Ն)

 

Հավելված N 381
ՀՀ կառավարության 2005 թվականի
մայիսի 25-ի N 993-Ն որոշման

ՀՀ ԱՐԱԳԱԾՈՏՆԻ ՄԱՐԶԻ ՍԱՂՄՈՍԱՎԱՆԻ ԳՅՈՒՂԱԿԱՆ ՀԱՄԱՅՆՔԻ ՎԱՐՉԱԿԱՆ ՍԱՀՄԱՆՆԵՐԻ ՆԿԱՐԱԳՐՈՒԹՅՈՒՆԸ
(հավելվածն ուժը կորցրել է 14.10.10 N 1359-Ն)

 

Հավելված N 39
ՀՀ կառավարության 2005 թվականի
մայիսի 25-ի N 993-Ն որոշման

ՀՀ ԱՐԱԳԱԾՈՏՆԻ ՄԱՐԶԻ Վ. ՍԱՍՈՒՆԱՇԵՆԻ ԳՅՈՒՂԱԿԱՆ ՀԱՄԱՅՆՔԻ ՎԱՐՉԱԿԱՆ ՍԱՀՄԱՆՆԵՐԻ ՀԱՏԱԿԱԳԻԾԸ
(հավելվածն ուժը կորցրել է 14.10.10 N 1359-Ն)

 

Հավելված N 391
ՀՀ կառավարության 2005 թվականի
մայիսի 25-ի N 993-Ն որոշման

ՀՀ ԱՐԱԳԱԾՈՏՆԻ ՄԱՐԶԻ Վ. ՍԱՍՈՒՆԱՇԵՆ ԳՅՈՒՂԱԿԱՆ ՀԱՄԱՅՆՔԻ ՎԱՐՉԱԿԱՆ ՍԱՀՄԱՆՆԵՐԻ ՆԿԱՐԱԳՐՈՒԹՅՈՒՆԸ
(հավելվածն ուժը կորցրել է 14.10.10 N 1359-Ն)
 
 

Հավելված N 40
ՀՀ կառավարության 2005 թվականի
մայիսի 25-ի N 993-Ն որոշման

ՀՀ ԱՐԱԳԱԾՈՏՆԻ ՄԱՐԶԻ Վ. ԲԱԶՄԱԲԵՐԴԻ ԳՅՈՒՂԱԿԱՆ ՀԱՄԱՅՆՔԻ ՎԱՐՉԱԿԱՆ ՍԱՀՄԱՆՆԵՐԻ ՀԱՏԱԿԱԳԻԾԸ
(հավելվածն ուժը կորցրել է 14.10.10 N 1359-Ն)

 

Հավելված N 401
ՀՀ կառավարության 2005 թվականի
մայիսի 25-ի N 993-Ն որոշման

ՀՀ ԱՐԱԳԱԾՈՏՆԻ ՄԱՐԶԻ Վ. ԲԱԶՄԱԲԵՐԴԻ ԳՅՈՒՂԱԿԱՆ ՀԱՄԱՅՆՔԻ ՎԱՐՉԱԿԱՆ ՍԱՀՄԱՆՆԵՐԻ ՆԿԱՐԱԳՐՈՒԹՅՈՒՆԸ
(հավելվածն ուժը կորցրել է 14.10.10 N 1359-Ն)

 

Հավելված N 41
ՀՀ կառավարության 2005 թվականի
մայիսի 25-ի N 993-Ն որոշման


ՀՀ ԱՐԱԳԱԾՈՏՆԻ ՄԱՐԶԻ Վ. ՍԱՍՈՒՆԻԿԻ ԳՅՈՒՂԱԿԱՆ ՀԱՄԱՅՆՔԻ ՎԱՐՉԱԿԱՆ ՍԱՀՄԱՆՆԵՐԻ ՀԱՏԱԿԱԳԻԾԸ
(հավելվածն ուժը կորցրել է 14.10.10 N 1359-Ն)

 

Հավելված N 411
ՀՀ կառավարության 2005 թվականի
մայիսի 25-ի N 993-Ն որոշման

ՀՀ ԱՐԱԳԱԾՈՏՆԻ ՄԱՐԶԻ Վ. ՍԱՍՈՒՆԻԿԻ ԳՅՈՒՂԱԿԱՆ ՀԱՄԱՅՆՔԻ ՎԱՐՉԱԿԱՆ ՍԱՀՄԱՆՆԵՐԻ ՆԿԱՐԱԳՐՈՒԹՅՈՒՆԸ
(հավելվածն ուժը կորցրել է 14.10.10 N 1359-Ն)

 

Հավելված N 42
ՀՀ կառավարության 2005 թվականի
մայիսի 25-ի N 993-Ն որոշման

ՀՀ ԱՐԱԳԱԾՈՏՆԻ ՄԱՐԶԻ ՎԱՐԴԵՆՈՒՏԻ ԳՅՈՒՂԱԿԱՆ ՀԱՄԱՅՆՔԻ ՎԱՐՉԱԿԱՆ ՍԱՀՄԱՆՆԵՐԻ ՀԱՏԱԿԱԳԻԾԸ
(հավելվածն ուժը կորցրել է 14.10.10 N 1359-Ն)

 

Հավելված N 421
ՀՀ կառավարության 2005 թվականի
մայիսի 25-ի N 993-Ն որոշման

ՀՀ ԱՐԱԳԱԾՈՏՆԻ ՄԱՐԶԻ ՎԱՐԴԵՆՈՒՏԻ ԳՅՈՒՂԱԿԱՆ ՀԱՄԱՅՆՔԻ ՎԱՐՉԱԿԱՆ ՍԱՀՄԱՆՆԵՐԻ ՆԿԱՐԱԳՐՈՒԹՅՈՒՆԸ
(հավելվածն ուժը կորցրել է 14.10.10 N 1359-Ն)

 

Հավելված N 43
ՀՀ կառավարության 2005 թվականի
մայիսի 25-ի N 993-Ն որոշման


ՀՀ ԱՐԱԳԱԾՈՏՆԻ ՄԱՐԶԻ ՈԻՇԻԻ ԳՅՈՒՂԱԿԱՆ ՀԱՄԱՅՆՔԻ ՎԱՐՉԱԿԱՆ ՍԱՀՄԱՆՆԵՐԻ ՀԱՏԱԿԱԳԻԾԸ
(հավելվածն ուժը կորցրել է 14.10.10 N 1359-Ն)

 

Հավելված N 431
ՀՀ կառավարության 2005 թվականի
մայիսի 25-ի N 993-Ն որոշման

ՀՀ ԱՐԱԳԱԾՈՏՆԻ ՄԱՐԶԻ ՈԻՇԻԻ ԳՅՈՒՂԱԿԱՆ ՀԱՄԱՅՆՔԻ ՎԱՐՉԱԿԱՆ ՍԱՀՄԱՆՆԵՐԻ ՆԿԱՐԱԳՐՈՒԹՅՈՒՆԸ
(հավելվածն ուժը կորցրել է 14.10.10 N 1359-Ն)