ՀՀ ԿԱՌԱՎԱՐՈՒԹՅԱՆ ՈՐՈՇՈՒՄԸ ՀՀ ՇԻՐԱԿԻ ՄԱՐԶԻ ԶՈՒՅԳԱՂԲՅՈՒՐԻ ԵՎ ՀԱՐԹԱՇԵՆԻ ԳՅՈՒՂԱԿԱՆ ՀԱՄԱՅՆՔՆԵՐԻ ՎԱՐՉԱԿԱՆ ՍԱՀՄԱՆՆԵՐԻ ՆԿԱՐԱԳՐԵՐԸ ՀԱՍՏԱՏԵԼՈՒ ՄԱՍԻՆ

Գլխավոր տեղեկություն
Номер
N 836-Ն
Տիպ
Որոշում
Тип
Исходный акт (28.07.2005-24.12.2009)
Статус
Չի գործում
Первоисточник
ՀՀՊՏ 2005.07.27/47.1 Հոդ.912.12
Принят
ՀՀ կառավարություն
Дата принятия
09.06.2005
Подписан
ՀՀ վարչապետ
Дата подписания
27.06.2005
Վավերացնող մարմին
ՀՀ Նախագահ
Վավերացման ամսաթից
29.06.2005
Дата вступления в силу
28.07.2005
Ուժը կորցնելու ամսաթիվ
24.12.2009

 

«Վավերացնում եմ»
Հայաստանի Հանրապետության
Նախագահ Ռ. Քոչարյան
29 հունիսի 2005 թ.

 

ՀԱՅԱՍՏԱՆԻ ՀԱՆՐԱՊԵՏՈՒԹՅԱՆ ԿԱՌԱՎԱՐՈՒԹՅՈՒՆ

 

Ո Ր Ո Շ ՈՒ Մ

9 հունիսի 2005 թվականի N 836-Ն

ՀԱՅԱՍՏԱՆԻ ՀԱՆՐԱՊԵՏՈՒԹՅԱՆ ՇԻՐԱԿԻ ՄԱՐԶԻ ԶՈՒՅԳԱՂԲՅՈՒՐԻ ԵՎ ՀԱՐԹԱՇԵՆԻ ԳՅՈՒՂԱԿԱՆ ՀԱՄԱՅՆՔՆԵՐԻ ՎԱՐՉԱԿԱՆ ՍԱՀՄԱՆՆԵՐԻ ՆԿԱՐԱԳՐԵՐԸ ՀԱՍՏԱՏԵԼՈՒ ՄԱՍԻՆ

 

«Հայաստանի Հանրապետության վարչատարածքային բաժանման մասին» Հայաստանի Հանրապետության օրենքի 6-րդ հոդվածին համապատասխան, ինչպես նաև հաշվի առնելով Հայաստանի Հանրապետության մարզերի և համայնքների վարչական սահմանների նկարագրման աշխատանքների կարգավորման կառավարական հանձնաժողովի եզրակացությունը` Հայաստանի Հանրապետության կառավարությունը որոշում է.

1. Հաստատել`

ա) Հայաստանի Հանրապետության Շիրակի մարզի Զույգաղբյուրի գյուղական համայնքի վարչական սահմանների նկարագիրը` համաձայն NN 1 և 11 հավելվածների.

 բ) Հայաստանի Հանրապետության Շիրակի մարզի Հարթաշենի գյուղական համայնքի վարչական սահմանների նկարագիրը` համաձայն NN 2 և 21 հավելվածների:

2. Սույն որոշման 1-ին կետի «ա» և «բ» ենթակետերին համապատասխան` Հայաստանի Հանրապետության Շիրակի մարզի Հարթաշենի գյուղական համայնքի վարչական սահմաններում գտնվող 3.21 հեկտար գյուղատնտեսական նշանակության արոտներն ընդգրկել Հայաստանի Հանրապետության Շիրակի մարզի Զույգաղբյուրի գյուղական համայնքի վարչական սահմաններում:

 3. Հայաստանի Հանրապետության կառավարությանն առընթեր անշարժ գույքի կադաստրի պետական կոմիտեի նախագահին`

 ա) Հայաստանի Հանրապետության Շիրակի մարզի Զույգաղբյուրի և Հարթաշենի գյուղական համայնքների հողային հաշվեկշիռները և համայնքների վարչական սահմաններում գտնվող` պետական սեփականություն հանդիսացող հողամասերն անհատույց սեփականության իրավունքով համայնքներին փոխանցելուն վերաբերող փաստաթղթերը Հայաստանի Հանրապետության կառավարության քննարկմանը ներկայացնել սույն որոշման 1-ին կետի «ա» և «բ» ենթակետերով սահմանված նկարագրերին համապատասխան.

բ) Հայաստանի Հանրապետության պետական գեոդեզիական ցանցի հավասարակշռման արդյունքների հիման վրա Հայաստանի Հանրապետության վարչատարածքային միավորների սահմանանիշերի կոորդինատների ժողովածուի հրատարակումից հետո հողային ֆոնդի ընթացիկ հաշվառման ժամանակ Հայաստանի Հանրապետության Շիրակի մարզի Զույգաղբյուրի և Հարթաշենի գյուղական համայնքների հողային հաշվեկշիռներում սահմանված կարգով կատարել համապատասխան փոփոխություններ:

4. Սույն որոշումն ուժի մեջ է մտնում պաշտոնական հրապարակմանը հաջորդող օրվանից:

 

Հայաստանի Հանրապետության
վարչապետ

Ա. Մարգարյան

 

2005 թ. հունիսի 27
Երևան

Հավելված N 1
ՀՀ կառավարության 2005 թվականի
հունիսի 9-ի N 836-Ն որոշման

 

ՀԱՅԱՍՏԱՆԻ ՀԱՆՐԱՊԵՏՈՒԹՅԱՆ ՇԻՐԱԿԻ ՄԱՐԶԻ ԶՈՒՅԳԱՂԲՅՈՒՐԻ ԳՅՈՒՂԱԿԱՆ ՀԱՄԱՅՆՔԻ ՎԱՐՉԱԿԱՆ ՍԱՀՄԱՆՆԵՐԻ ՀԱՏԱԿԱԳԻԾԸ

 

Հայաստանի Հանրապետության
կառավարության աշխատակազմի
ղեկավար-նախարար

Մ. Թոփուզյան

 

 

Հավելված N 11
ՀՀ կառավարության 2005 թվականի
հունիսի 9-ի N 836-Ն որոշման

 

 

ՀԱՅԱՍՏԱՆԻ ՀԱՆՐԱՊԵՏՈՒԹՅԱՆ ՇԻՐԱԿԻ ՄԱՐԶԻ ԶՈՒՅԳԱՂԲՅՈՒՐԻ ԳՅՈՒՂԱԿԱՆ ՀԱՄԱՅՆՔԻ ՎԱՐՉԱԿԱՆ ՍԱՀՄԱՆՆԵՐԻ ՆԿԱՐԱԳՐՈՒԹՅՈՒՆԸ

 

Զույգաղբյուր համայնքը գտնվում է մարզի հյուսիսային մասում:

Հեռավորությունը մարզկենտրոն ք. Գյումրիից 37 կմ է:

Համայնքը հյուսիս-արևելքից` «Ա»-«Բ» հատվածով սահմանակից է մարզի համայնքների վարչական սահմաններից դուրս գտնվող հողերին, հարավ-արևելյան «Բ»-«Գ» հատվածով` Հարթաշեն համայնքին, «Գ»-«Դ» հատվածով` Վարդաղբյուր համայնքին, հարավ-արևելյան «Դ»-«Ե» հատվածով` Կարմրավան համայնքին, հյուսիս-արևմուտքից «Ե»-«Ա» հատվածով` Աշոցք համայնքին:

 

ԶՈՒՅԳԱՂԲՅՈՒՐ-ՄԱՐԶԻ ՀԱՄԱՅՆՔՆԵՐԻ ՎԱՐՉԱԿԱՆ ՍԱՀՄԱՆՆԵՐԻՑ ԴՈՒՐՍ ԳՏՆՎՈՂ ՀՈՂԵՐԻ ՍԱՀՄԱՆԱԳԻԾԸ` «Ա»-«Բ»

 

«Ա» հանգուցային կետից, սահմանագիծը անցնում է հարավ-արևելյան ուղղությամբ հատելով ձորը անցնելով թիվ 1 սահմանային կետով 816.5 մ հասնում է թիվ 2 կետին, ապա շարունակվում է նույն ուղղությամբ 869.2 մ անցնելով լանջի երկայնքով հասնում է «Բ» հանգուցային կետին, որը հանդիսանում է Զույգաղբյուր, Հարթաշեն համայնքների և մարզի համայնքների վարչական սահմաններից դուրս գտնվող հողերի տարածքների բաժանման կետ:

 

ԶՈՒՅԳԱՂԲՅՈՒՐ-ՀԱՐԹԱՇԵՆ ՍԱՀՄԱՆԱԳԻԾԸ` «Բ»-«Գ»

 

«Բ» հանգուցային կետից, սահմանագիծը անցնելով դեպի հարավ-արևմուտք անցնելով 947.4 մ հասնում է թիվ 1 կետին, ապա շարունակելով անցնել նույն ուղղությամբ թիվ 2 կետով 1611.95 մ հասնում է թիվ 3 կետին: Թիվ 3 կետից սահմանագիծը շարունակելով անցնել նույն ուղղությամբ թիվ 4 կետով 1014.69 մ հասնում է քաղաքացիների սեփականություն համարվող վարելահողերի եզրին գտնվող թիվ 5 կետին: Այնուհետև սահմանագիծը թեքվում է դեպի հարավ-արևելք, անցնելով 101.74 մ, հասնում է թիվ 6 կետին, որտեղից սահմանագիծը ուղղվում է դեպի հարավ-արևմուտք, անցնելով թիվ 7 կետով 898.27 մ, հատելով Զույգաղբյուր-Հարթաշեն միջհամայնքային ճանապարհը, ապա Ղուկասյան գետը` 898.27 մ հասնում է թիվ 8 կետին: Թիվ 8 կետից սահմանագիծը շարունակելով անցնել նույն ուղղությամբ թիվ 9-10 կետերով 1670.33 մ, հասնում է «Գ» հանգուցային կետին, որը հանդիսանում է Զույգաղբյուր, Հարթաշեն և Վարդաղբյուր համայնքների տարածքների բաժանման կետ:

 

ԶՈՒՅԳԱՂԲՅՈՒՐ-ՎԱՐԴԱՂԲՅՈՒՐ ՍԱՀՄԱՆԱԳԻԾԸ` «Գ»-«Դ»

 

«Գ» հանգուցային կետից, որը հանդիսանում է Զույգաղբյուր, Հարթաշեն և Վարդաղբյուր համայնքների տարածքների բաժանման կետ, սահմանագիծը անցնելով դաշտային ճանապարհով դեպի հարավ-արևմուտք` հատելով ձորակը հասնում է թիվ 1 կետին, այնուհետև անցնելով ճանապարհով նույն ուղղությամբ 386.6 մ, հատելով Ղուկասյան գետի ձախակողմյան վտակը 386.6 մ հասնում է թիվ 2 կետին, այդտեղից ճանապարհի եզրով սահմանագիծը անցնելով նույն ուղղությամբ թիվ 3 կետով 514.5 մ, հասնում է դաշտային ճանապարհի և Գյումրի-Միմոցմինդա հանրապետական նշանակության ճանապարհի հատման տեղում գտնվող «Դ» հանգուցային կետին, որը հանդիսանում է Զույգաղբյուր, Վարդաղբյուր և Կարմրավան համայնքների տարածքների բաժանման կետ:

 

ԶՈՒՅԳԱՂԲՅՈՒՐ-ԿԱՐՄՐԱՎԱՆ ՍԱՀՄԱՆԱԳԻԾԸ` «Դ»-«Ե»

 

Զույգաղբյուր, Կարմրավան և Աշոցք համայնքների տարածքների բաժանման «Ե» հանգուցային կետը գտնվում է Գյումրի-Աշոցք միջհամայնքային ճանապարհի եզրին, սահմանագիծը ճանապարհով անցնում է հարավ-արևելք հատում է Զույգաղբյուրի ճանապարհը, ապա Աշոցք-Զույգաղբյուր միջհամայնքային ճանապարհը, այնուհետև «Ղուկասյան» գետը անցնելով թիվ 1-9 կետերով 4387.02 մ միջհամայնքային ճանապարհով հասնում է ճանապարհի եզրին գտնվող «Դ» հանգուցային կետին, որը հանդիսանում է Զույգաղբյուր, Վարդաղբյուր և Կարմրավան համայնքների տարածքների բաժանման կետ:

 

ԶՈՒՅԳԱՂԲՅՈՒՐ-ԱՇՈՑՔ ՍԱՀՄԱՆԱԳԻԾԸ` «Ե»-«Ա»

 

«Ա» հանգուցային կետից, որը հանդիսանում է Զույգաղբյուր, Աշոցք համայնքների և մարզի համայնքների վարչական սահմաններից դուրս գտնվող հողերի տարածքների բաժանման կետ, սահմանագիծը անցնում է դեպի հարավ-արևմուտք թիվ 1, 2 կետերով 1007.2 մ, հասնում է թիվ 3 կետին, որտեղից սահմանագիծը կտրուկ թեքվելով արևմուտք, անցնելով ձորին զուգահեռ լանջով, թիվ 4-5 կետերով 1006.2 մ, հասնում է 2611.3 մ նիշ ունեցող գագաթի թիվ 6 կետին, ապա սահմանագիծը ուղղվելով դեպի հարավ-արևմուտք լանջերով և ջրբաժանով անցնելով թիվ 7-8 կետերով 1491.9 մ հասնում է թիվ 10 կետին, որտեղից անցնելով թիվ 11-14 կետերով 1935.0 մ, հասնում թիվ 15 կետին, ապա սահմանագիծը կտրուկ թեքվում է դեպի հյուսիս-արևմուտք անցնելով 209.02 մ հասնում է Զույգաղբյուրի բնակավայրի եզրին գտնվող թիվ 16 կետին: Թիվ 16 կետից այնուհետև սահմանագիծը չփոխելով ուղղությունը, անցնելով բնակավայրի եզրին գտնվող թիվ 17-22 կետերով 668.18 մ, հասնում է բնակավայրի եզրին գտնվող թիվ 23 կետին: Թիվ 23 կետից սահմանագիծը կտրուկ թեքվում է դեպի հարավ-արևմուտք անցնելով բնակավայրի եզրին գտնվող թիվ 24-25 կետերով 396.83 մ, հասնում է Աշոցք-Գյումրի միջհամայնքային ճանապարհի եզրին գտնվող թիվ 26 կետին, որից հետո սահմանագիծը կտրուկ թեքվում է դեպի հարավ-արևմուտք` անցնելով թիվ 27 կետով 707.62 մ, հասնում է Աշոցք-Գյումրի միջհամայնքային ճանապարհի եզրին գտնվող «Ե» հանգուցային կետին, որը հանդիսանում է Զույգաղբյուր, Կարմրավան և Աշոցք համայնքների տարածքների բաժանման կետ:

 

Հայաստանի Հանրապետության
կառավարության աշխատակազմի
ղեկավար-նախարար

Մ. Թոփուզյան

 

 

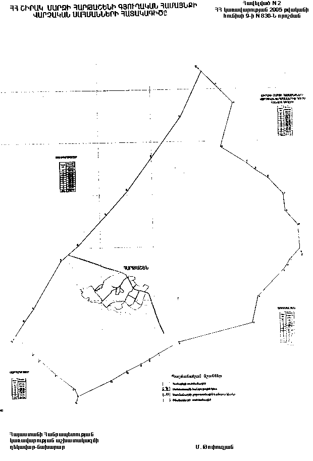
Հավելված N 2
ՀՀ կառավարության 2005 թվականի
հունիսի 9-ի N 836-Ն որոշման

 

ՀԱՅԱՍՏԱՆԻ ՀԱՆՐԱՊԵՏՈՒԹՅԱՆ ՇԻՐԱԿԻ ՄԱՐԶԻ ՀԱՐԹԱՇԵՆԻ ԳՅՈՒՂԱԿԱՆ ՀԱՄԱՅՆՔԻ ՎԱՐՉԱԿԱՆ ՍԱՀՄԱՆՆԵՐԻ ՀԱՏԱԿԱԳԻԾԸ

 

Հայաստանի Հանրապետության
կառավարության աշխատակազմի
ղեկավար-նախարար

Մ. Թոփուզյան

 

 

Հավելված N 21
ՀՀ կառավարության 2005 թվականի
հունիսի 9-ի N 836-Ն որոշման

 

 

ՀԱՅԱՍՏԱՆԻ ՀԱՆՐԱՊԵՏՈՒԹՅԱՆ ՇԻՐԱԿԻ ՄԱՐԶԻ ՀԱՐԹԱՇԵՆԻ ԳՅՈՒՂԱԿԱՆ ՀԱՄԱՅՆՔԻ ՎԱՐՉԱԿԱՆ ՍԱՀՄԱՆՆԵՐԻ ՆԿԱՐԱԳՐՈՒԹՅՈՒՆԸ

 

Հարթաշեն համայնքը գտնվում է մարզի հյուսիսային մասում:

Հեռավորությունը մարզկենտրոն ք. Գյումրիից 34 կմ է:

Համայնքը հյուսիս-արևելքից «Ա»-«Բ» հատվածով` սահմանակից է մարզի համայնքների վարչական սահմաններից դուրս գտնվող հողերին, հարավ-արևելքից և հարավից «Բ»-«Գ» հատվածով` Մուսաելյան համայնքին, հարավ-արևմուտքից «Գ»-«Դ» հատվածով` Վարդաղբյուր համայնքին, հյուսիս-արևմուտքից «Դ»-«Ա» հատվածով` Զույգաղբյուր համայնքին:

 

ՀԱՐԹԱՇԵՆ-ՄԱՐԶԻ ՀԱՄԱՅՆՔՆԵՐԻ ՎԱՐՉԱԿԱՆ ՍԱՀՄԱՆՆԵՐԻՑ ԴՈՒՐՍ ԳՏՆՎՈՂ ՀՈՂԵՐԻ ՍԱՀՄԱՆԱԳԻԾԸ` «Ա»-«Բ»

 

Հարթաշեն, Զույգաղբյուր համայնքների և մարզի համայնքների վարչական սահմաններից դուրս գտնվող հողերի բաժանման «Ա» հանգուցային կետից, սահմանագիծը անցնելով հարավ-արևելք թիվ 1 կետով 830.1 մ, հասնում է ջրբաժանի եզրին գտնվող թիվ 2 կետին, ապա ջրբաժանով թեքվելով հարավ անցնելով 880.0 մ հասնում է թիվ 3 կետին: Թիվ 3 կետից սահմանագիծը թեքվում է դեպի հարավ-արևելք հատում է ձորը, որից հետո բարձրանում հակառակ լանջով անցնելով թիվ 4, 5, 6 կետերով 1487.0 մ, հասնում է ջրբաժանի եզրին գտնվող թիվ 7 կետին: Ապա թեքվելով հարավ անցնելով 330.4 մ, հասնում է թիվ 8 կետին: Թիվ 8 կետից սահմանագիծը թեքվելով հարավ-արևելք, հատելով դաշտային ճանապարհը, անցնելով 357.0 մ հասնում է քաղաքացիների սեփականություն համարվող հողերի մոտ գտնվող թիվ 9 կետին, որտեղից լանջով թեքվում է դեպի հարավ, հատում ձորը, անցնելով 449.4 մ հասնում է «Բ» հանգուցային կետին, որը հանդիսանում է Հարթաշեն, Մուսայելյան և մարզի համայնքների վարչական սահմաններից դուրս գտնվող հողերի բաժանման կետ:

 

ՀԱՐԹԱՇԵՆ-ՄՈՒՍԱՅԵԼՅԱՆ ՍԱՀՄԱՆԱԳԻԾԸ` «Բ»-«Գ»

 

Հարթաշեն, Մուսայելյան և մարզի համայնքների վարչական սահմաններից դուրս գտնվող հողերի բաժանման «Բ» հանգուցային կետից, սահմանագիծը ուղղվելով դեպի հարավ-արևմուտք, հատելով դաշտային ճանապարհը, անցնելով թիվ 1-3 կետերով 1208.7 մ հասնում է թիվ 4 կետին, ապա թեքվում է դեպի հարավ, հատելով միջհամայնքային ճանապարհը, քաղաքացիների սեփականություն համարվող վարելահողերի եզրով, անցնելով 510.2 մ հասնում է թիվ 5 կետին: Թիվ 5 կետից սահմանագիծը թեքվում է դեպի հարավ-արևմուտք հատում ձորը, փոքրիկ լճակը, ապա միջհամայնքային ճանապարհը, անցնելով 1423.5 մ հասնում է թիվ 6 կետին: Թիվ 6 կետից սահմանագիծը հատելով միջհամայնքային ճանապարհը, ապա գետը, դաշտային ճանապարհը անցնելով թիվ 7-11 կետերով 2181.8 մ, հասնում է «Գ» հանգուցային կետին, որը հանդիսանում է Հարթաշեն, Մուսայելյան և Վարդաղբյուր համայնքների տարածքների բաժանման կետ:

 

ՀԱՐԹԱՇԵՆ-ՎԱՐԴԱԲԼՈՒՐ ՍԱՀՄԱՆԱԳԻԾԸ` «Գ»-«Դ»

 

Հարթաշեն, Վարդաղբյուր և Զույգաղբյուր համայնքների տարածքների բաժանման «Դ» հանգուցային կետը, որը գտնվում է դաշտային ճանապարհի եզրին, սահմանագիծը ուղղվելով դեպի հարավ-արևելք քաղաքացիների սեփականություն համարվող վարելահողերի եզրով անցնելով թիվ 1, 2 կետերով 1054.1 մ հասնում է թիվ 3 կետին, շարունակելով նույն ուղղությամբ անցնելով 430.3 մ հասնում է թիվ 4 կետին, ապա թեքվելով հարավ, անցնելով 153.5 մ հասնում է «Գ» հանգուցային կետին, որը հանդիսանում է Հարթաշեն, Մուսայելյան և Վարդաղբյուր համայնքների տարածքների բաժանման կետ:

 

ՀԱՐԹԱՇԵՆ-ԶՈՒՅԳԱՂԲՅՈՒՐ ՍԱՀՄԱՆԱԳԻԾԸ` «Դ»-«Ա»

 

Հարթաշեն, Զույգաղբյուր համայնքների և մարզի համայնքների վարչական սահմաններից դուրս գտնվող հողերի բաժանման «Ա» հանգուցային կետից, սահմանագիծը ուղղվելով լանջով դեպի հարավ-արևմուտք անցնելով 947.4 մ հասնում է թիվ 1 կետին, ապա անցնելով նույն ուղղությամբ թիվ 2 կետով 1611.95 մ, հասնում է թիվ 4 կետով 1014.69 մ, հասնում է քաղաքացիների սեփականություն համարվող վարելահողերի եզրին գտնվող թիվ 5 կետին: Այնուհետև սահմանագիծը թեքվում է դեպի հարավ-արևելք, անցնելով 101.74 մ, հասնում է թիվ 6 կետին, որտեղից սահմանագիծը ուղղվում է դեպի հարավ-արևմուտք, անցնելով թիվ 7 կետով 898.27 մ գետը հասնում է թիվ 8 կետին, որից հետո սահմանագիծը շարունակելով անցնել նույն ուղղությամբ թիվ 9-10 կետերով 1670.33 մ, հասնում է «Դ» հանգուցային կետին, որը հանդիսանում է Հարթաշեն, Վարդաղբյուր և Զույգաղբյուր համայնքների տարածքների բաժանման կետ:


Հայաստանի Հանրապետության
կառավարության աշխատակազմի

ղեկավար-նախարար

Մ. Թոփուզյան

Փոփոխման պատմություն
Փոփոխող ակտ Համապատասխան ինկորպորացիան
03.12.2009, N 1418-Ն 09.06.2005, N 836-Ն
Փոփոխված ակտ
Փոփոխող ակտ Համապատասխան ինկորպորացիան