ՀՀ ԿԱՌԱՎԱՐՈՒԹՅԱՆ ՈՐՈՇՈՒՄԸ ՀՀ ՇԻՐԱԿԻ ՄԱՐԶԻ ՄԻ ՇԱՐՔ ԳՅՈՒՂԱԿԱՆ ՀԱՄԱՅՆՔՆԵՐԻ ՎԱՐՉԱԿԱՆ ՍԱՀՄԱՆՆԵՐԻ ՆԿԱՐԱԳԻՐԸ ՀԱՍՏԱՏԵԼՈՒ ՄԱՍԻՆ

Գլխավոր տեղեկություն
Номер
N 776-Ն
Տիպ
Որոշում
Тип
Официальная Инкорпорация (24.12.2009-по сей день)
Статус
Գործում է
Первоисточник
ՀՀՊՏ 2005.07.22/46.1 Հոդ.905.1
Принят
ՀՀ կառավարություն
Дата принятия
25.05.2005
Подписан
ՀՀ վարչապետ
Дата подписания
23.06.2005
Վավերացնող մարմին
ՀՀ Նախագահ
Վավերացման ամսաթից
27.06.2005
Дата вступления в силу
23.07.2005

«Վավերացնում եմ»
Հայաստանի Հանրապետության
Նախագահ Ռ. Քոչարյան
 27 հունիսի 2005 թ.

ՀԱՅԱՍՏԱՆԻ ՀԱՆՐԱՊԵՏՈՒԹՅԱՆ ԿԱՌԱՎԱՐՈՒԹՅՈՒՆ


Ո Ր Ո Շ ՈՒ Մ

25 մայիսի 2005 թվականի N 776-Ն

ՀԱՅԱՍՏԱՆԻ ՀԱՆՐԱՊԵՏՈՒԹՅԱՆ ՇԻՐԱԿԻ ՄԱՐԶԻ ՄԻ ՇԱՐՔ ԳՅՈՒՂԱԿԱՆ ՀԱՄԱՅՆՔՆԵՐԻ ՎԱՐՉԱԿԱՆ ՍԱՀՄԱՆՆԵՐԻ ՆԿԱՐԱԳԻՐԸ ՀԱՍՏԱՏԵԼՈՒ ՄԱՍԻՆ

«Տեղական ինքնակառավարման մասին» և «Հայաստանի Հանրապետության վարչատարածքային բաժանման մասին» Հայաստանի Հանրապետության օրենքների 6-րդ հոդվածներին համապատասխան և հաշվի առնելով Հայաստանի Հանրապետության մարզերի և համայնքների վարչական սահմանների նկարագրման աշխատանքների կարգավորման կառավարական հանձնաժողովի եզրակացությունը` Հայաստանի Հանրապետության կառավարությունը որոշում է.

1. Հաստատել Հայաստանի Հանրապետության Շիրակի մարզի`

1) Այգեբացի գյուղական համայնքի վարչական սահմանների նկարագիրը` համաձայն NN 1 և 11 հավելվածների,

2) Արևիկի գյուղական համայնքի վարչական սահմանների նկարագիրը` համաձայն NN 2 և 21 հավելվածների,

3) (ենթակետն ուժը կորցրել է 03.12.09 N 1418-Ն)

4) (ենթակետն ուժը կորցրել է 03.12.09 N 1418-Ն)

5) Գեղանիստի գյուղական համայնքի վարչական սահմանների նկարագիրը` համաձայն NN 5 և 51 հավելվածների,

6) Գետքի գյուղական համայնքի վարչական սահմանների նկարագիրը` համաձայն NN 6 և 61 հավելվածների,

7) Գետափի գյուղական համայնքի վարչական սահմանների նկարագիրը` համաձայն NN 7 և 71 հավելվածների,

8) Գուսանագյուղի գյուղական համայնքի վարչական սահմանների նկարագիրը` համաձայն NN 8 և 81 հավելվածների,

9) Իսահակյանի գյուղական համայնքի վարչական սահմանների նկարագիրը` համաձայն NN 9 և 91 հավելվածների,

10) Լանջիկի գյուղական համայնքի վարչական սահմանների նկարագիրը` համաձայն NN 10 և 101 հավելվածների,

11) Լուսակերտի գյուղական համայնքի վարչական սահմանների նկարագիրը` համաձայն NN 11 և 111 հավելվածների,

12) Կապսի գյուղական համայնքի վարչական սահմանների նկարագիրը` համաձայն NN 12 և 121 հավելվածների,

13) (ենթակետն ուժը կորցրել է 03.12.09 N 1418-Ն)

14) Հայկավանի գյուղական համայնքի վարչական սահմանների նկարագիրը` համաձայն NN 14 և 141 հավելվածների,

15) (ենթակետն ուժը կորցրել է 03.12.09 N 1418-Ն)

16) Մեղրաշենի գյուղական համայնքի վարչական սահմանների նկարագիրը` համաձայն NN 16 և 161 հավելվածների,

17) (ենթակետն ուժը կորցրել է 03.12.09 N 1418-Ն)

18) (ենթակետն ուժը կորցրել է 03.12.09 N 1418-Ն)

19) Շիրակի գյուղական համայնքի վարչական սահմանների նկարագիրը` համաձայն NN 19 և 191 հավելվածների,

20) Ջաջուռի գյուղական համայնքի վարչական սահմանների նկարագիրը` համաձայն NN 20 և 201 հավելվածների,

21) (ենթակետն ուժը կորցրել է 03.12.09 N 1418-Ն)

22) Սարատակի գյուղական համայնքի վարչական սահմանների նկարագիրը` համաձայն NN 22 և 221 հավելվածների,

23) (ենթակետն ուժը կորցրել է 03.12.09 N 1418-Ն)

24) Վարդաքարի գյուղական համայնքի վարչական սահմանների նկարագիրը` համաձայն NN 24 և 241 հավելվածների,

25) Տուֆաշենի գյուղական համայնքի վարչական սահմանների նկարագիրը` համաձայն NN 25 և 251 հավելվածների,

26) Փանիկի գյուղական համայնքի վարչական սահմանների նկարագիրը` համաձայն NN 26 և 261 հավելվածների,

27) Քարաբերդի գյուղական համայնքի վարչական սահմանների նկարագիրը` համաձայն NN 27 և 271 հավելվածների:

(1-ին կետը փոփ. 03.12.09 N 1418-Ն)

2. Թույլատրել Հայաստանի Հանրապետության կառավարությանն առընթեր անշարժ գույքի կադաստրի պետական կոմիտեի նախագահին Հայաստանի Հանրապետության պետական գեոդեզիական ցանցի հավասարակշռման արդյունքների հիման վրա հողային ֆոնդի ընթացիկ հաշվառման ժամանակ` սույն որոշմամբ սահմանված համայնքների հողային հաշվեկշիռներում սահմանված կարգով կատարել համապատասխան փոփոխություններ:

3. Սույն որոշումն ուժի մեջ է մտնում պաշտոնական հրապարակմանը հաջորդող օրվանից:


Հայաստանի Հանրապետության
վարչապետ

Ա. Մարգարյան


2005 թ. հունիսի 23
Երևան



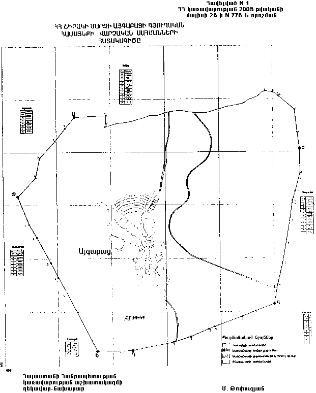
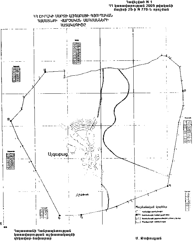
Հավելված N 1
ՀՀ կառավարության 2005 թվականի
մայիսի 25-ի N 776-Ն որոշման


ՀԱՅԱՍՏԱՆԻ ՀԱՆՐԱՊԵՏՈՒԹՅԱՆ ՇԻՐԱԿԻ ՄԱՐԶԻ ԱՅԳԱԲԱՑԻ ԳՅՈՒՂԱԿԱՆ ՀԱՄԱՅՆՔԻ ՎԱՐՉԱԿԱՆ ՍԱՀՄԱՆՆԵՐԻ ՀԱՏԱԿԱԳԻԾԸ



Հավելված N 11
ՀՀ կառավարության 2005 թվականի
մայիսի 25-ի N 776-Ն որոշման

Ներմուծեք նկարագրությունը_9164
Ներմուծեք նկարագրությունը_9165


Հայաստանի Հանրապետության
կառավարության աշխատակազմի
ղեկավար-նախարար
Մ. Թոփուզյան


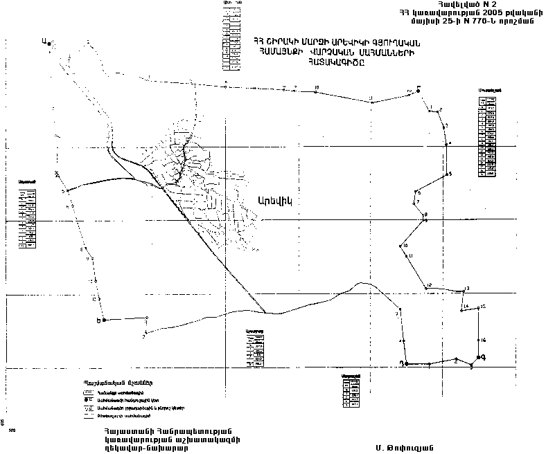
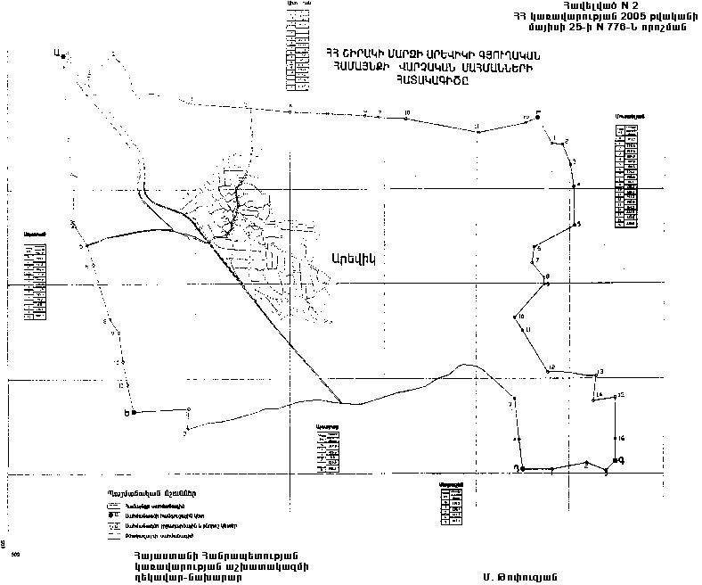
Հավելված N 2
ՀՀ կառավարության 2005 թվականի
մայիսի 25-ի N 776-Ն որոշման


ՀԱՅԱՍՏԱՆԻ ՀԱՆՐԱՊԵՏՈՒԹՅԱՆ ՇԻՐԱԿԻ ՄԱՐԶԻ ԱՐԵՎԻԿԻ ԳՅՈՒՂԱԿԱՆ ՀԱՄԱՅՆՔԻ ՎԱՐՉԱԿԱՆ ՍԱՀՄԱՆՆԵՐԻ ՀԱՏԱԿԱԳԻԾԸ



Հավելված N 21
ՀՀ կառավարության 2005 թվականի
մայիսի 25-ի N 776-Ն որոշման

Ներմուծեք նկարագրությունը_9166
Ներմուծեք նկարագրությունը_9167


Հայաստանի Հանրապետության
կառավարության աշխատակազմի
ղեկավար-նախարար
Մ. Թոփուզյան


Հավելված N 3
ՀՀ կառավարության 2005 թվականի
մայիսի 25-ի N 776-Ն որոշման


ՀԱՅԱՍՏԱՆԻ ՀԱՆՐԱՊԵՏՈՒԹՅԱՆ ՇԻՐԱԿԻ ՄԱՐԶԻ ԱՐԵՎՇԱՏԻ ԳՅՈՒՂԱԿԱՆ ՀԱՄԱՅՆՔԻ ՎԱՐՉԱԿԱՆ ՍԱՀՄԱՆՆԵՐԻ ՀԱՏԱԿԱԳԻԾԸ
(հավելվածն ուժը կորցրել է 03.12.09 N 1418-Ն)



Հավելված N 31
ՀՀ կառավարության 2005 թվականի
մայիսի 25-ի N 776-Ն որոշման


(հավելվածն ուժը կորցրել է 03.12.09 N 1418-Ն)



Հավելված N 4
ՀՀ կառավարության 2005 թվականի
մայիսի 25-ի N 776-Ն որոշման


ՀԱՅԱՍՏԱՆԻ ՀԱՆՐԱՊԵՏՈՒԹՅԱՆ ՇԻՐԱԿԻ ՄԱՐԶԻ ԲԱԳՐԱՎԱՆԻ ԳՅՈՒՂԱԿԱՆ ՀԱՄԱՅՆՔԻ ՎԱՐՉԱԿԱՆ ՍԱՀՄԱՆՆԵՐԻ ՀԱՏԱԿԱԳԻԾԸ
(հավելվածն ուժը կորցրել է 03.12.09 N 1418-Ն)



Հավելված N 41
ՀՀ կառավարության 2005 թվականի
մայիսի 25-ի N 776-Ն որոշման


(հավելվածն ուժը կորցրել է 03.12.09 N 1418-Ն)





Հավելված N 5
ՀՀ կառավարության 2005 թվականի
մայիսի 25-ի N 776-Ն որոշման


ՀԱՅԱՍՏԱՆԻ ՀԱՆՐԱՊԵՏՈՒԹՅԱՆ ՇԻՐԱԿԻ ՄԱՐԶԻ ԳԵՂԱՆԻՍՏԻ ԳՅՈՒՂԱԿԱՆ ՀԱՄԱՅՆՔԻ ՎԱՐՉԱԿԱՆ ՍԱՀՄԱՆՆԵՐԻ ՀԱՏԱԿԱԳԻԾԸ


Հայաստանի Հանրապետության
կառավարության աշխատակազմի
ղեկավար-նախարար
Մ. Թոփուզյան


Հավելված N 51
ՀՀ կառավարության 2005 թվականի
մայիսի 25-ի N 776-Ն որոշման

 

Ներմուծեք նկարագրությունը_9174
Ներմուծեք նկարագրությունը_9175


Հայաստանի Հանրապետության
կառավարության աշխատակազմի
ղեկավար-նախարար
Մ. Թոփուզյան


Հավելված N 6
ՀՀ կառավարության 2005 թվականի
մայիսի 25-ի N 776-Ն որոշման


ՀԱՅԱՍՏԱՆԻ ՀԱՆՐԱՊԵՏՈՒԹՅԱՆ ՇԻՐԱԿԻ ՄԱՐԶԻ ԳԵՏՔԻ ԳՅՈՒՂԱԿԱՆ ՀԱՄԱՅՆՔԻ ՎԱՐՉԱԿԱՆ ՍԱՀՄԱՆՆԵՐԻ ՀԱՏԱԿԱԳԻԾԸ


Հայաստանի Հանրապետության
կառավարության աշխատակազմի
ղեկավար-նախարար
Մ. Թոփուզյան


Հավելված N 61
ՀՀ կառավարության 2005 թվականի
մայիսի 25-ի N 776-Ն որոշման

Ներմուծեք նկարագրությունը_9176
Ներմուծեք նկարագրությունը_9177


Հայաստանի Հանրապետության
կառավարության աշխատակազմի
ղեկավար-նախարար
Մ. Թոփուզյան


Հավելված N 7
ՀՀ կառավարության 2005 թվականի
մայիսի 25-ի N 776-Ն որոշման


ՀԱՅԱՍՏԱՆԻ ՀԱՆՐԱՊԵՏՈՒԹՅԱՆ ՇԻՐԱԿԻ ՄԱՐԶԻ ԳԵՏԱՓԻ ԳՅՈՒՂԱԿԱՆ ՀԱՄԱՅՆՔԻ ՎԱՐՉԱԿԱՆ ՍԱՀՄԱՆՆԵՐԻ ՀԱՏԱԿԱԳԻԾԸ


Հայաստանի Հանրապետության
կառավարության աշխատակազմի
ղեկավար-նախարար
Մ. Թոփուզյան


Հավելված N 71
ՀՀ կառավարության 2005 թվականի
մայիսի 25-ի N 776-Ն որոշման

Ներմուծեք նկարագրությունը_9178
Ներմուծեք նկարագրությունը_9179


Հայաստանի Հանրապետության
կառավարության աշխատակազմի
ղեկավար-նախարար
Մ. Թոփուզյան


Հավելված N 8
ՀՀ կառավարության 2005 թվականի
մայիսի 25-ի N 776-Ն որոշման



ՀԱՅԱՍՏԱՆԻ ՀԱՆՐԱՊԵՏՈՒԹՅԱՆ ՇԻՐԱԿԻ ՄԱՐԶԻ ԳՈՒՍԱՆԱԳՅՈՒՂԻ ԳՅՈՒՂԱԿԱՆ ՀԱՄԱՅՆՔԻ ՎԱՐՉԱԿԱՆ ՍԱՀՄԱՆՆԵՐԻ ՀԱՏԱԿԱԳԻԾԸ


Հայաստանի Հանրապետության
կառավարության աշխատակազմի
ղեկավար-նախարար
Մ. Թոփուզյան


Հավելված N 81
ՀՀ կառավարության 2005 թվականի
մայիսի 25-ի N 776-Ն որոշման

Ներմուծեք նկարագրությունը_9180
Ներմուծեք նկարագրությունը_9181
Ներմուծեք նկարագրությունը_9182


Հայաստանի Հանրապետության
կառավարության աշխատակազմի
ղեկավար-նախարար
Մ. Թոփուզյան


Հավելված N 9
ՀՀ կառավարության 2005 թվականի
մայիսի 25-ի N 776-Ն որոշման


ՀԱՅԱՍՏԱՆԻ ՀԱՆՐԱՊԵՏՈՒԹՅԱՆ ՇԻՐԱԿԻ ՄԱՐԶԻ ԻՍԱՀԱԿՅԱՆԻ ԳՅՈՒՂԱԿԱՆ ՀԱՄԱՅՆՔԻ ՎԱՐՉԱԿԱՆ ՍԱՀՄԱՆՆԵՐԻ ՀԱՏԱԿԱԳԻԾԸ


Հայաստանի Հանրապետության
կառավարության աշխատակազմի
ղեկավար-նախարար
Մ. Թոփուզյան


Հավելված N 91
ՀՀ կառավարության 2005 թվականի
մայիսի 25-ի N 776-Ն որոշման

Ներմուծեք նկարագրությունը_9183
Ներմուծեք նկարագրությունը_9184
Ներմուծեք նկարագրությունը_9185


Հայաստանի Հանրապետության
կառավարության աշխատակազմի
ղեկավար-նախարար
Մ. Թոփուզյան


Հավելված N 10
ՀՀ կառավարության 2005 թվականի
մայիսի 25-ի N 776-Ն որոշման


ՀԱՅԱՍՏԱՆԻ ՀԱՆՐԱՊԵՏՈՒԹՅԱՆ ՇԻՐԱԿԻ ՄԱՐԶԻ ԼԱՆՋԻԿԻ ԳՅՈՒՂԱԿԱՆ ՀԱՄԱՅՆՔԻ ՎԱՐՉԱԿԱՆ ՍԱՀՄԱՆՆԵՐԻ ՀԱՏԱԿԱԳԻԾԸ


Հայաստանի Հանրապետության
կառավարության աշխատակազմի
ղեկավար-նախարար
Մ. Թոփուզյան


Հավելված N 101
ՀՀ կառավարության 2005 թվականի
մայիսի 25-ի N 776-Ն որոշման

Ներմուծեք նկարագրությունը_9186
Ներմուծեք նկարագրությունը_9187


Հայաստանի Հանրապետության
կառավարության աշխատակազմի
ղեկավար-նախարար
Մ. Թոփուզյան


Հավելված N 11
ՀՀ կառավարության 2005 թվականի
մայիսի 25-ի N 776-Ն որոշման


ՀԱՅԱՍՏԱՆԻ ՀԱՆՐԱՊԵՏՈՒԹՅԱՆ ՇԻՐԱԿԻ ՄԱՐԶԻ ԼՈՒՍԱԿԵՐՏԻ ԳՅՈՒՂԱԿԱՆ ՀԱՄԱՅՆՔԻ ՎԱՐՉԱԿԱՆ ՍԱՀՄԱՆՆԵՐԻ ՀԱՏԱԿԱԳԻԾԸ


Հայաստանի Հանրապետության
կառավարության աշխատակազմի
ղեկավար-նախարար
Մ. Թոփուզյան


Հավելված N 111
ՀՀ կառավարության 2005 թվականի
մայիսի 25-ի N 776-Ն որոշման

Ներմուծեք նկարագրությունը_9188
Ներմուծեք նկարագրությունը_9189


Հայաստանի Հանրապետության
կառավարության աշխատակազմի
ղեկավար-նախարար
Մ. Թոփուզյան


Հավելված N 12
ՀՀ կառավարության 2005 թվականի
մայիսի 25-ի N 776-Ն որոշման


ՀԱՅԱՍՏԱՆԻ ՀԱՆՐԱՊԵՏՈՒԹՅԱՆ ՇԻՐԱԿԻ ՄԱՐԶԻ ԿԱՊՍԻ ԳՅՈՒՂԱԿԱՆ ՀԱՄԱՅՆՔԻ ՎԱՐՉԱԿԱՆ ՍԱՀՄԱՆՆԵՐԻ ՀԱՏԱԿԱԳԻԾԸ


Հայաստանի Հանրապետության
կառավարության աշխատակազմի
ղեկավար-նախարար
Մ. Թոփուզյան


Հավելված N 121
ՀՀ կառավարության 2005 թվականի
մայիսի 25-ի N 776-Ն որոշման

Ներմուծեք նկարագրությունը_9190
Ներմուծեք նկարագրությունը_9191


Հայաստանի Հանրապետության
կառավարության աշխատակազմի
ղեկավար-նախարար
Մ. Թոփուզյան


Հավելված N 13
ՀՀ կառավարության 2005 թվականի
մայիսի 25-ի N 776-Ն որոշման


ՀԱՅԱՍՏԱՆԻ ՀԱՆՐԱՊԵՏՈՒԹՅԱՆ ՇԻՐԱԿԻ ՄԱՐԶԻ ՀԱՌԻՃԻ ԳՅՈՒՂԱԿԱՆ ՀԱՄԱՅՆՔԻ ՎԱՐՉԱԿԱՆ ՍԱՀՄԱՆՆԵՐԻ ՀԱՏԱԿԱԳԻԾԸ
(հավելվածն ուժը կորցրել է 03.12.09 N 1418-Ն)



Հավելված N 131
ՀՀ կառավարության 2005 թվականի
մայիսի 25-ի N 776-Ն որոշման


(հավելվածն ուժը կորցրել է 03.12.09 N 1418-Ն)




Հավելված N 14
ՀՀ կառավարության 2005 թվականի
մայիսի 25-ի N 776-Ն որոշման


ՀԱՅԱՍՏԱՆԻ ՀԱՆՐԱՊԵՏՈՒԹՅԱՆ ՇԻՐԱԿԻ ՄԱՐԶԻ ՀԱՅԿԱՎԱՆԻ ԳՅՈՒՂԱԿԱՆ ՀԱՄԱՅՆՔԻ ՎԱՐՉԱԿԱՆ ՍԱՀՄԱՆՆԵՐԻ ՀԱՏԱԿԱԳԻԾԸ


Հայաստանի Հանրապետության
կառավարության աշխատակազմի
ղեկավար-նախարար
Մ. Թոփուզյան


Հավելված N 141
ՀՀ կառավարության 2005 թվականի
մայիսի 25-ի N 776-Ն որոշման

Ներմուծեք նկարագրությունը_9195
Ներմուծեք նկարագրությունը_9196


Հայաստանի Հանրապետության
կառավարության աշխատակազմի
ղեկավար-նախարար
Մ. Թոփուզյան


Հավելված N 15
ՀՀ կառավարության 2005 թվականի
մայիսի 25-ի N 776-Ն որոշման


ՀԱՅԱՍՏԱՆԻ ՀԱՆՐԱՊԵՏՈՒԹՅԱՆ ՇԻՐԱԿԻ ՄԱՐԶԻ ՀՈՌՈՄԻ ԳՅՈՒՂԱԿԱՆ ՀԱՄԱՅՆՔԻ ՎԱՐՉԱԿԱՆ ՍԱՀՄԱՆՆԵՐԻ ՀԱՏԱԿԱԳԻԾԸ
(հավելվածն ուժը կորցրել է 03.12.09 N 1418-Ն)



Հավելված N 151
ՀՀ կառավարության 2005 թվականի
մայիսի 25-ի N 776-Ն որոշման


(հավելվածն ուժը կորցրել է 03.12.09 N 1418-Ն)



Հավելված N 16
ՀՀ կառավարության 2005 թվականի
մայիսի 25-ի N 776-Ն որոշման


ՀԱՅԱՍՏԱՆԻ ՀԱՆՐԱՊԵՏՈՒԹՅԱՆ ՇԻՐԱԿԻ ՄԱՐԶԻ ՄԵՂՐԱՇԵՆԻ ԳՅՈՒՂԱԿԱՆ ՀԱՄԱՅՆՔԻ ՎԱՐՉԱԿԱՆ ՍԱՀՄԱՆՆԵՐԻ ՀԱՏԱԿԱԳԻԾԸ


Հայաստանի Հանրապետության
կառավարության աշխատակազմի
ղեկավար-նախարար
Մ. Թոփուզյան


Հավելված N 161
ՀՀ կառավարության 2005 թվականի
մայիսի 25-ի N 776-Ն որոշման

Ներմուծեք նկարագրությունը_9202
Ներմուծեք նկարագրությունը_9203


Հայաստանի Հանրապետության
կառավարության աշխատակազմի
ղեկավար-նախարար
Մ. Թոփուզյան


Հավելված N 17
ՀՀ կառավարության 2005 թվականի
մայիսի 25-ի N 776-Ն որոշման


ՀԱՅԱՍՏԱՆԻ ՀԱՆՐԱՊԵՏՈՒԹՅԱՆ ՇԻՐԱԿԻ ՄԱՐԶԻ Մ. ՄԱՆԹԱՇԻ ԳՅՈՒՂԱԿԱՆ ՀԱՄԱՅՆՔԻ ՎԱՐՉԱԿԱՆ ՍԱՀՄԱՆՆԵՐԻ ՀԱՏԱԿԱԳԻԾԸ
(հավելվածն ուժը կորցրել է 03.12.09 N 1418-Ն)



Հավելված N 171
ՀՀ կառավարության 2005 թվականի
մայիսի 25-ի N 776-Ն որոշման


(հավելվածն ուժը կորցրել է 03.12.09 N 1418-Ն)



Հավելված N 18
ՀՀ կառավարության 2005 թվականի
մայիսի 25-ի N 776-Ն որոշման


ՀԱՅԱՍՏԱՆԻ ՀԱՆՐԱՊԵՏՈՒԹՅԱՆ ՇԻՐԱԿԻ ՄԱՐԶԻ ՆԱՀԱՊԵՏԱՎԱՆԻ ԳՅՈՒՂԱԿԱՆ ՀԱՄԱՅՆՔԻ ՎԱՐՉԱԿԱՆ ՍԱՀՄԱՆՆԵՐԻ ՀԱՏԱԿԱԳԻԾԸ
(հավելվածն ուժը կորցրել է 03.12.09 N 1418-Ն)



Հավելված N 181
ՀՀ կառավարության 2005 թվականի
մայիսի 25-ի N 776-Ն որոշման


(հավելվածն ուժը կորցրել է 03.12.09 N 1418-Ն)



Հավելված N 19
ՀՀ կառավարության 2005 թվականի
մայիսի 25-ի N 776-Ն որոշման


ՀԱՅԱՍՏԱՆԻ ՀԱՆՐԱՊԵՏՈՒԹՅԱՆ ՇԻՐԱԿԻ ՄԱՐԶԻ ՇԻՐԱԿԻ ԳՅՈՒՂԱԿԱՆ ՀԱՄԱՅՆՔԻ ՎԱՐՉԱԿԱՆ ՍԱՀՄԱՆՆԵՐԻ ՀԱՏԱԿԱԳԻԾԸ


Հայաստանի Հանրապետության
կառավարության աշխատակազմի
ղեկավար-նախարար
Մ. Թոփուզյան


Հավելված N 191
ՀՀ կառավարության 2005 թվականի
մայիսի 25-ի N 776-Ն որոշման

Ներմուծեք նկարագրությունը_9209
Ներմուծեք նկարագրությունը_9210
Ներմուծեք նկարագրությունը_9211


Հայաստանի Հանրապետության
կառավարության աշխատակազմի
ղեկավար-նախարար
Մ. Թոփուզյան


Հավելված N 20
ՀՀ կառավարության 2005 թվականի
մայիսի 25-ի N 776-Ն որոշման


ՀԱՅԱՍՏԱՆԻ ՀԱՆՐԱՊԵՏՈՒԹՅԱՆ ՇԻՐԱԿԻ ՄԱՐԶԻ ՋԱՋՈՒՌԻ ԳՅՈՒՂԱԿԱՆ ՀԱՄԱՅՆՔԻ ՎԱՐՉԱԿԱՆ ՍԱՀՄԱՆՆԵՐԻ ՀԱՏԱԿԱԳԻԾԸ


Հայաստանի Հանրապետության
կառավարության աշխատակազմի
ղեկավար-նախարար
Մ. Թոփուզյան


Հավելված N 201
ՀՀ կառավարության 2005 թվականի
մայիսի 25-ի N 776-Ն որոշման

Ներմուծեք նկարագրությունը_9212
Ներմուծեք նկարագրությունը_9266
Ներմուծեք նկարագրությունը_9214
Ներմուծեք նկարագրությունը_9215
Ներմուծեք նկարագրությունը_9216


Հայաստանի Հանրապետության
կառավարության աշխատակազմի
ղեկավար-նախարար
Մ. Թոփուզյան


Հավելված N 21
ՀՀ կառավարության 2005 թվականի
մայիսի 25-ի N 776-Ն որոշման


ՀԱՅԱՍՏԱՆԻ ՀԱՆՐԱՊԵՏՈՒԹՅԱՆ ՇԻՐԱԿԻ ՄԱՐԶԻ ՋՐԱՓԻԻ ԳՅՈՒՂԱԿԱՆ ՀԱՄԱՅՆՔԻ ՎԱՐՉԱԿԱՆ ՍԱՀՄԱՆՆԵՐԻ ՀԱՏԱԿԱԳԻԾԸ
(հավելվածն ուժը կորցրել է 03.12.09 N 1418-Ն)



Հավելված N 211
ՀՀ կառավարության 2005 թվականի
մայիսի 25-ի N 776-Ն որոշման


(հավելվածն ուժը կորցրել է 03.12.09 N 1418-Ն)




Հավելված N 22
ՀՀ կառավարության 2005 թվականի
մայիսի 25-ի N 776-Ն որոշման


ՀԱՅԱՍՏԱՆԻ ՀԱՆՐԱՊԵՏՈՒԹՅԱՆ ՇԻՐԱԿԻ ՄԱՐԶԻ ՍԱՐԱՏԱԿԻ ԳՅՈՒՂԱԿԱՆ ՀԱՄԱՅՆՔԻ ՎԱՐՉԱԿԱՆ ՍԱՀՄԱՆՆԵՐԻ ՀԱՏԱԿԱԳԻԾԸ


Հայաստանի Հանրապետության
կառավարության աշխատակազմի
ղեկավար-նախարար
Մ. Թոփուզյան


Հավելված N 221
ՀՀ կառավարության 2005 թվականի
մայիսի 25-ի N 776-Ն որոշման

Ներմուծեք նկարագրությունը_9220
Ներմուծեք նկարագրությունը_9221


Հայաստանի Հանրապետության
կառավարության աշխատակազմի
ղեկավար-նախարար
Մ. Թոփուզյան


Հավելված N 23
ՀՀ կառավարության 2005 թվականի
մայիսի 25-ի N 776-Ն որոշման


ՀԱՅԱՍՏԱՆԻ ՀԱՆՐԱՊԵՏՈՒԹՅԱՆ ՇԻՐԱԿԻ ՄԱՐԶԻ ՍԱՐԱԼԱՆՋԻ ԳՅՈՒՂԱԿԱՆ ՀԱՄԱՅՆՔԻ ՎԱՐՉԱԿԱՆ ՍԱՀՄԱՆՆԵՐԻ ՀԱՏԱԿԱԳԻԾԸ
(հավելվածն ուժը կորցրել է 03.12.09 N 1418-Ն)



Հավելված N 231
ՀՀ կառավարության 2005 թվականի
մայիսի 25-ի N 776-Ն որոշման


(հավելվածն ուժը կորցրել է 03.12.09 N 1418-Ն)





Հավելված N 24
ՀՀ կառավարության 2005 թվականի
մայիսի 25-ի N 776-Ն որոշման


ՀԱՅԱՍՏԱՆԻ ՀԱՆՐԱՊԵՏՈՒԹՅԱՆ ՇԻՐԱԿԻ ՄԱՐԶԻ ՎԱՐԴԱՔԱՐԻ ԳՅՈՒՂԱԿԱՆ ՀԱՄԱՅՆՔԻ ՎԱՐՉԱԿԱՆ ՍԱՀՄԱՆՆԵՐԻ ՀԱՏԱԿԱԳԻԾԸ


Հայաստանի Հանրապետության
կառավարության աշխատակազմի
ղեկավար-նախարար
Մ. Թոփուզյան


Հավելված N 241
ՀՀ կառավարության 2005 թվականի
մայիսի 25-ի N 776-Ն որոշման

Ներմուծեք նկարագրությունը_9225
Ներմուծեք նկարագրությունը_9226
Ներմուծեք նկարագրությունը_9227


Հայաստանի Հանրապետության
կառավարության աշխատակազմի
ղեկավար-նախարար
Մ. Թոփուզյան


Հավելված N 25
ՀՀ կառավարության 2005 թվականի
մայիսի 25-ի N 776-Ն որոշման


ՀԱՅԱՍՏԱՆԻ ՀԱՆՐԱՊԵՏՈՒԹՅԱՆ ՇԻՐԱԿԻ ՄԱՐԶԻ ՏՈՒՖԱՇԵՆԻ ԳՅՈՒՂԱԿԱՆ ՀԱՄԱՅՆՔԻ ՎԱՐՉԱԿԱՆ ՍԱՀՄԱՆՆԵՐԻ ՀԱՏԱԿԱԳԻԾԸ


Հայաստանի Հանրապետության
կառավարության աշխատակազմի
ղեկավար-նախարար
Մ. Թոփուզյան


Հավելված N 251
ՀՀ կառավարության 2005 թվականի
մայիսի 25-ի N 776-Ն որոշման

Ներմուծեք նկարագրությունը_9010
Ներմուծեք նկարագրությունը_9228
Ներմուծեք նկարագրությունը_9229


Հայաստանի Հանրապետության
կառավարության աշխատակազմի
ղեկավար-նախարար
Մ. Թոփուզյան


Հավելված N 26
ՀՀ կառավարության 2005 թվականի
մայիսի 25-ի N 776-Ն որոշման


ՀԱՅԱՍՏԱՆԻ ՀԱՆՐԱՊԵՏՈՒԹՅԱՆ ՇԻՐԱԿԻ ՄԱՐԶԻ ՓԱՆԻԿԻ ԳՅՈՒՂԱԿԱՆ ՀԱՄԱՅՆՔԻ ՎԱՐՉԱԿԱՆ ՍԱՀՄԱՆՆԵՐԻ ՀԱՏԱԿԱԳԻԾԸ


Հայաստանի Հանրապետության
կառավարության աշխատակազմի
ղեկավար-նախարար
Մ. Թոփուզյան


Հավելված N 261
ՀՀ կառավարության 2005 թվականի
մայիսի 25-ի N 776-Ն որոշման

Ներմուծեք նկարագրությունը_9230
Ներմուծեք նկարագրությունը_9231
Ներմուծեք նկարագրությունը_9232


Հայաստանի Հանրապետության
կառավարության աշխատակազմի
ղեկավար-նախարար
Մ. Թոփուզյան


Հավելված N 27
ՀՀ կառավարության 2005 թվականի
մայիսի 25-ի N 776-Ն որոշման


ՀԱՅԱՍՏԱՆԻ ՀԱՆՐԱՊԵՏՈՒԹՅԱՆ ՇԻՐԱԿԻ ՄԱՐԶԻ ՔԱՐԱԲԵՐԴԻ ԳՅՈՒՂԱԿԱՆ ՀԱՄԱՅՆՔԻ ՎԱՐՉԱԿԱՆ ՍԱՀՄԱՆՆԵՐԻ ՀԱՏԱԿԱԳԻԾԸ


Հայաստանի Հանրապետության
կառավարության աշխատակազմի
ղեկավար-նախարար
Մ. Թոփուզյան


Հավելված N 271
ՀՀ կառավարության 2005 թվականի
մայիսի 25-ի N 776-Ն որոշման

Ներմուծեք նկարագրությունը_9233
Ներմուծեք նկարագրությունը_9140
Ներմուծեք նկարագրությունը_9141


Հայաստանի Հանրապետության
կառավարության աշխատակազմի
ղեկավար-նախարար
Մ. Թոփուզյան

Փոփոխման պատմություն
Փոփոխող ակտ Համապատասխան ինկորպորացիան
03.12.2009, N 1418-Ն 25.05.2005, N 776-Ն
Փոփոխված ակտ
Փոփոխող ակտ Համապատասխան ինկորպորացիան