«Վավերացնում եմ»
Հայաստանի Հանրապետության
Նախագահ Ռ. Քոչարյան
9 հունվարի 2006 թ.
ՀԱՅԱՍՏԱՆԻ ՀԱՆՐԱՊԵՏՈՒԹՅԱՆ ԿԱՌԱՎԱՐՈՒԹՅՈՒՆ
Ո Ր Ո Շ ՈՒ Մ
9 նոյեմբերի 2005 թվականի N 2244-Ն
ՀԱՅԱՍՏԱՆԻ ՀԱՆՐԱՊԵՏՈՒԹՅԱՆ ՏԱՎՈՒՇԻ ՄԱՐԶԻ ԱՂԱՎՆԱՎԱՆՔԻ ԳՅՈՒՂԱԿԱՆ ՀԱՄԱՅՆՔԻ ՎԱՐՉԱԿԱՆ ՍԱՀՄԱՆՆԵՐԻ ՆԿԱՐԱԳԻՐԸ ՀԱՍՏԱՏԵԼՈՒ ԵՎ ԱՂԱՎՆԱՎԱՆՔԻ ԳՅՈՒՂԱԿԱՆ ՀԱՄԱՅՆՔԻ ՎԱՐՉԱԿԱՆ ՍԱՀՄԱՆՆԵՐՈՒՄ ԳՏՆՎՈՂ` ՊԵՏԱԿԱՆ ՍԵՓԱԿԱՆՈՒԹՅՈՒՆ ՀԱՆԴԻՍԱՑՈՂ ՀՈՂԱՄԱՍԵՐՆ ԱՆՀԱՏՈՒՅՑ ՍԵՓԱԿԱՆՈՒԹՅԱՆ ԻՐԱՎՈՒՆՔՈՎ ՀԱՄԱՅՆՔԻՆ ՓՈԽԱՆՑԵԼՈՒ ՄԱՍԻՆ
Հայաստանի Հանրապետության հողային օրենսգրքի 34-րդ ու 56-րդ, «Տեղական ինքնակառավարման մասին» Հայաստանի Հանրապետության օրենքի 6-րդ, 47-րդ ու 84-րդ և «Հայաստանի Հանրապետության վարչատարածքային բաժանման մասին» Հայաստանի Հանրապետության օրենքի 6-րդ հոդվածների պահանջներին համապատասխան` Հայաստանի Հանրապետության կառավարությունը որոշում է.
1. Հաստատել Հայաստանի Հանրապետության Տավուշի մարզի Աղավնավանքի գյուղական համայնքի վարչական սահմանների նկարագիրը` համաձայն NN 1 և 2 հավելվածների:
2. Հայաստանի Հանրապետության Տավուշի մարզի Աղավնավանքի գյուղական համայնքի վարչական սահմաններում գտնվող՝ պետական սեփականություն հանդիսացող 1222.36 հեկտար հողամասերից 492.55 հեկտարը, որից՝ գյուղատնտեսական նշանակության 472.72 հեկտար, բնակավայրերի հողերի՝ 16.36 հեկտար, արդյունաբերության, ընդերքօգտագործման և այլ արտադրական նշանակության օբյեկտների՝ 1.89 հեկտար, էներգետիկայի, տրանսպորտի, կապի և կոմունալ ենթակառուցվածքների օբյեկտների՝ 0.05 հեկտար, հատուկ պահպանվող տարածքների` 1.45 հեկտար, ջրային հողերի` 0.08 հեկտար անհատույց սեփականության իրավունքով փոխանցել Աղավնավանքի գյուղական համայնքին՝ համաձայն NN 3, 4, 5 և 6 հավելվածների:
3. Սահմանել, որ Հայաստանի Հանրապետության հողային օրենսգրքի 60-րդ հոդվածի պահանջներին համապատասխան՝
ա) Հայաստանի Հանրապետության Տավուշի մարզի Աղավնավանքի գյուղական համայնքին անհատույց սեփականության իրավունքով փոխանցվող 492.55 հեկտար հողերից 16.27 հեկտարը մասնավորեցման ենթակա չէ.
բ) Հայաստանի Հանրապետության Տավուշի մարզի Աղավնավանքի գյուղական համայնքի վարչական սահմաններում գտնվող հողերից 729.81 հեկտարը համարվում է պետական սեփականություն՝ համաձայն N 7 հավելվածի:
4. Ընդունել ի գիտություն Հայաստանի Հանրապետության Տավուշի մարզի Աղավնավանքի գյուղական համայնքի հողային ֆոնդի առկայության և բաշխման մասին հաշվետվությունը՝ 2005 թվականի հունվարի 1-ի դրությամբ՝ համաձայն N 8 հավելվածի:
5. Հայաստանի Հանրապետության կառավարությանն առընթեր անշարժ գույքի կադաստրի պետական կոմիտեի նախագահին` սահմանված կարգով ապահովել սկզբնական հաշվառման նյութերի տրամադրումը Հայաստանի Հանրապետության Տավուշի մարզի Աղավնավանքի գյուղական համայնքի ղեկավարին՝ հողերի ընթացիկ հաշվառումն անցկացնելու և համայնքի հողային հաշվեկշիռը կազմելու համար:
6. Թույլատրել Հայաստանի Հանրապետության կառավարությանն առընթեր անշարժ գույքի կադաստրի պետական կոմիտեի նախագահին Հայաստանի Հանրապետության պետական գեոդեզիական ցանցի հավասարակշռման արդյունքների հիման վրա Հայաստանի Հանրապետության վարչատարածքային միավորների սահմանանիշերի կոորդինատների ժողովածուի հրատարակումից հետո հողային ֆոնդի ընթացիկ հաշվառման ժամանակ Հայաստանի Հանրապետության Տավուշի մարզի Աղավնավանքի գյուղական համայնքի հողային հաշվեկշռում սահմանված կարգով կատարել համապատասխան փոփոխություններ:
7. Հայաստանի Հանրապետության Տավուշի մարզպետին՝ Հայաստանի Հանրապետության կառավարության 2000 թվականի հոկտեմբերի 23-ի N 656 որոշմամբ սահմանված կարգով՝ սկզբնական հաշվառման տվյալների հիման վրա ապահովել մարզի տարածքում ընթացիկ հաշվառման աշխատանքների իրականացումը:
8. Սույն որոշումն ուժի մեջ է մտնում պաշտոնական հրապարակմանը հաջորդող օրվանից։
|
Հայաստանի Հանրապետության |
Ա. Մարգարյան |
|
2005 թ. դեկտեմբերի 30 |
|
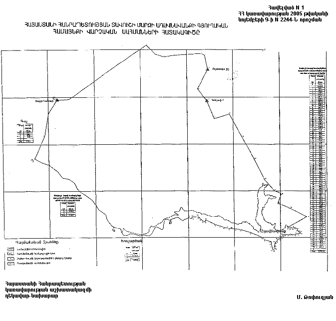
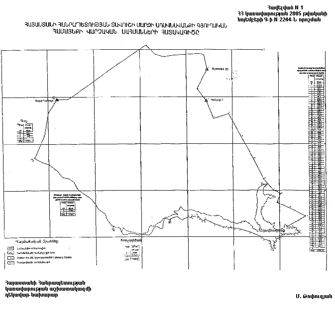
Հավելված N 1 |
ՀԱՅԱՍՏԱՆԻ ՀԱՆՐԱՊԵՏՈՒԹՅԱՆ ՏԱՎՈՒՇԻ ՄԱՐԶԻ ԱՂԱՎՆԱՎԱՆՔԻ ԳՅՈՒՂԱԿԱՆ ՀԱՄԱՅՆՔԻ ՎԱՐՉԱԿԱՆ ՍԱՀՄԱՆՆԵՐԻ ՀԱՏԱԿԱԳԻԾԸ
| Հայաստանի Հանրապետության կառավարության աշխատակազմի ղեկավար-նախարար |
Մ. Թոփուզյան |
|
Հավելված N 2 |
ՀԱՅԱՍՏԱՆԻ ՀԱՆՐԱՊԵՏՈՒԹՅԱՆ ՏԱՎՈՒՇԻ ՄԱՐԶԻ ԱՂԱՎՆԱՎԱՆՔԻ ԳՅՈՒՂԱԿԱՆ ՀԱՄԱՅՆՔԻ ՎԱՐՉԱԿԱՆ ՍԱՀՄԱՆՆԵՐԻ ՆԿԱՐԱԳՐՈՒԹՅՈՒՆԸ
Աղավնավանք գյուղական համայնքը գտնվում է մարզի հարավային մասում։
Հեռավորությունը մարզկենտրոն ք. Իջևանից 35 կմ է։
Համայնքն «Ա»–«Բ» հատվածով սահմանակից է մարզի համայնքների վարչական սահմաններից դուրս գտնվող անտառային հողերին, «Բ»–«Գ» հատվածով՝ Խաչարձան գյուղական համայնքին, «Գ»–«Դ» հատվածով՝ մարզի համայնքների վարչական սահմաններից դուրս գտնվող անտառային հողերին, «Դ»–«Ա» հատվածով Գոշ գյուղական համայնքին։
ԱՂԱՎՆԱՎԱՆՔ - ՄԱՐԶԻ ՀԱՄԱՅՆՔՆԵՐԻ ՎԱՐՉԱԿԱՆ ՍԱՀՄԱՆՆԵՐԻՑ ԴՈՒՐՍ ԳՏՆՎՈՂ ԱՆՏԱՌԱՅԻՆ ՀՈՂԵՐ ՍԱՀՄԱՆԱԳԻԾԸ՝ «Ա»–«Բ»
Աղավնավանք, Գոշ համայնքների տարածքների, մարզի համայնքների վարչական սահմաններից դուրս գտնվող անտառային հողերի բաժանման «Ա» հանգուցային սահմանակետից, որը կոչվում է «Սայրի Կատար» կոչվող եռանկյունաչափական սահմանակետ, սահմանագիծը թեքվում է արևելք, անցնում 251.4մ, հասնում է թիվ 1 սահմանակետը, ապա թեքվում է հյուսիս-արևելք, հատում դաշտային ճանապարհները, բլրի գագաթներով անցնում 2046.0մ, հասնում թիվ 2 սահմանակետը, այնուհետև թեքվում է հարավ-արևելք, թիվ 3 սահմանակետով անցնում 471.9մ, հասնում է դաշտային ճանապարհի վրա գտնվող թիվ 4 սահմանակետը։ Թիվ 4 սահմանակետից սահմանագիծը թեքվում է հյուսիս-արևելք, թիվ 5 սահմանակետով անցնում 807.7մ, հասնում թիվ 6 սահմանակետը, թեքվում է հարավ– արևելք, անցնում 81.1մ, հասնում է թիվ 7 սահմանակետը, ապա թեքվում է հարավ-արևելք, անցնում 308.2մ, հասնում թիվ 8 սահմանակետը, որը համարվում է «Ուչթափա Շիշ» կոչվող եռանկյունաչափական սահմանակետ։ Թիվ 8 սահմանակետից սահմանագիծը թեքվում է հարավ-արևմուտք, անցնում 465.8մ, հատում ճանապարհը, հասնում թիվ 9 սահմանակետը, թեքվում է հարավ-արևելք, անցնում 326.0մ. հասնում է թիվ 10 սահմանակետը, որը համարվում է «Կոնչալի 1» կոչվող եռանկյունաչափական սահմանակետ։ Թիվ 10 սահմանակետից սահմանագիծը թեքվում է հարավ-արևելք, հատում դաշտային ճանապարհը, անցնում 108.9մ, հասնում թիվ 11 սահմանակետը, որտեղից թեքվում է հյուսիս-արևելք, անտառի եզրագծով անցնում 341.9մ, հասնում թիվ 12 սահմանակետը։ Թիվ 12 սահմանակետից սահմանագիծը թեքվում է հարավ-արևելք. հատում դաշտային ճանապարհը և թիվ 13,14 սահմանակետերով անցնելով 1577.9մ` հասնում է թիվ 15 սահմանակետը, որը գտնվում է գետակի վրա, այնուհետև թեքվում է հարավ-արևելք. թիվ 16,17 սահմանակետերով անցնում 489.9մ. հասնում է թիվ 18 սահմանակետը, որը գտնվում է դաշտային ճանապարհի վրա։ Թիվ 18 սահմանակետից սահմանագիծը դաշտային ճանապարհով թեքվում է հարավ-արևմուտք, անցնում 209.7մ, հասնում թիվ 19 սահմանակետը, թեքվում է հարավ-արևելք, թիվ 20 սահմանակետով անցնում 682.6մ. հասնում է թիվ 21 սահմանակետը։ Թիվ 21 սահմանակետից սահմանագիծը թեքվում է հարավ-արևմուտք, անցնում 472.5մ, հասնում է բնակավայրի մոտ գտնվող թիվ 22 սահմանակետը, ապա թեքվում է արևելք, ոլորապտույտ ռելիեֆով շրջանցում բնակավայրը և թիվ 23-39 սահմանակետերով անցնելով 720.8մ՝ հասնում է թիվ 40 սահմանակետը։ Թիվ 40 սահմանակետից սահմանագիծը թեքվում է հարավ-արևմուտք, բնակավայրի սահմանով, թիվ 41-53 սահմանակետերով անցնում 486.1մ, հասնում է թիվ 54 սահմանակետը, ապա թեքվում է հյուսիս-արևմուտք և թիվ 55,56 սահմանակետերով անցնելով 179.6մ՝ հասնում է թիվ 57 սահմանակետը։ Թիվ 57 սահմանակետից սահմանագիծը թեքվում է հյուսիս-արևմուտք, անտառի եզրագծով, թիվ 58-68 սահմանակետերով անցնում 1510.3մ, հասնում է թիվ 69 սահմանակետը։ Թիվ 69 սահմանակետից սահմանագիծը թեքվում է հարավ, անցնում 37,3մ հասնում է թիվ 70 սահմանակետը, ապա թեքվում է հյուսիս-արևմուտք, թիվ 71-73 սահմանակետերով անցնում 208,7մ հասնում թիվ 74 սահմանակետը։ Թիվ 74 սահմանակետից սահմանագիծը թեքվում է արևմուտք, անցնում 117.5մ, հասնում թիվ 75 սահմանակետը, թեքվում է հարավ, անցնում 33,8մ, հասնում թիվ 76 սահմանակետը, ապա թեքվում է արևմուտք, թիվ 77 սահմանակետով անցնում 74.9մ. հասնում է թիվ 78 սահմանակետը, որը գտնվում է Թարսաչայ գետի վրա։ Թիվ 78 սահմանակետից սահմանագիծը գետով՛ հոսանքի ուղղությամբ, անցնում 401.0մ, հասնում է Աղավնավանք, Խաչարձան համայնքների տարածքների, մարզի համայնքների վարչական սահմաններից դուրս գտնվող անտառային հողերի բաժանման «Բ» հանգուցային սահմանակետը;
«Ա»–«Բ» սահմանագծի ընդհանուր երկարությունը՝ 12711.5մ է։
ԱՂԱՎՆԱՎԱՆՔ - ԽԱՉԱՐՁԱՆ ՍԱՀՄԱՆԱԳԻԾԸ` «Բ»–«Գ»
Աղավնավանք, Խաչարձան համայնքների տարածքների, մարզի համայնքների վարչական սահմաններից դուրս գտնվող անտառային հողերի բաժանման «Գ» հանգուցային սահմանակետից, որը գտնվում է Թարսաչայ գետի ափին, սահմանագիծը՝ թեքվում է դեպի արևելք, գետով՝ հոսանքի հակառակ ուղղությամբ, անցնում է 1236.2մ, հասնում գետի ափին գտնվող Աղավնավանք, Խաչարձան համայնքների տարածքների, մարգի համայնքների վարչական սահմաններից դուրս գտնվող անտառային հողերի բաժանման «Բ» հանգուցային սահմանակետը։
«Բ»–«Գ» սահմանագծի ընդհանուր երկարությունը` 1236.2մ է:
ԱՂԱՎՆԱՎԱՆՔ - ՄԱՐԶԻ ՀԱՄԱՅՆՔՆԵՐԻ ՎԱՐՉԱԿԱՆ ՍԱՀՄԱՆՆԵՐԻՑ ԴՈՒՐՍ ԳՏՆՎՈՂ ԱՆՏԱՌԱՅԻՆ ՀՈՂԵՐ ՍԱՀՄԱՆԱԳԻԾԸ՝ «Գ»–«Դ»
Աղավնավանք, Գոշ համայնքների տարածքների մարզի համայնքների վարչական սահմաններից դուրս գտնվող անտառային հողերի բաժանման «Դ» հանգուցային սահմանակետից սահմանագիծը թեքվում է հարավ-արևելք, Թարսաչայ գետով՝ հոսանքի հակառակ ուղղությամբ, անցնում է 2206.0մ, հասնում Աղավնավանք, Խաչարձան համայնքների տարածքների, մարզի համայնքների վարչական սահմաններից դուրս գտնվող անտառային հողերի բաժանման «Գ» հանգուցային սահմանակետը։
«Գ»–«Դ» սահմանագծի ընդհանուր երկարությունը՝ 2206,0մ է։
ԱՂԱՎՆԱՎԱՆՔ - ԳՈՇ ՍԱՀՄԱՆԱԳԻԾԸ՝ «Դ»–«Ա»
Աղավնավանք, Գոշ համայնքների տարածքների, մարզի համայնքների վարչական սահմաններից դուրս գտնվող անտառային հողերի բաժանման «Ա» հանգուցային սահմանակետից, որը կոչվում է «Սայրի Կատար» եռանկյունաչափական սահմանակետ, սահմանագիծը թեքվում է հարավ-արևմուտք, անցնում 328.9մ, հասնում թիվ 1 սահմանակետը, թեքվում է հարավ-արևմուտք, անցնում 1034.8մ, հասնում Աղավնավանք, Գոշ համայնքների տարածքների, մարզի համայնքների վարչական սահմաններից դուրս գտնվող անտառային հողերի բաժանման «Դ» հանգուցային սահմանակետը։
«Դ»–«Ա» սահմանագծի ընդհանուր երկարությունը՝ 1363.7մ է։
|
Հայաստանի Հանրապետության կառավարության աշխատակազմի ղեկավար-նախարար |
Մ. Թոփուզյան |
|
Հավելված N 3 |
ՀԱՅԱՍՏԱՆԻ ՀԱՆՐԱՊԵՏՈՒԹՅԱՆ ՏԱՎՈՒՇԻ ՄԱՐԶԻ ԱՂԱՎՆԱՎԱՆՔԻ ԳՅՈՒՂԱԿԱՆ ՀԱՄԱՅՆՔԻ ՀՈՂԱՇԻՆԱՐԱՐԱԿԱՆ ՀԱՏԱԿԱԳԻԾԸ
|
Հայաստանի Հանրապետության կառավարության աշխատակազմի ղեկավար-նախարար |
Մ. Թոփուզյան |
|
Հավելված N 4 |
Ա Ն Վ Ա Ն Ա Ց Ա Ն Կ
ՀԱՅԱՍՏԱՆԻ ՀԱՆՐԱՊԵՏՈՒԹՅԱՆ ՏԱՎՈՒՇԻ ՄԱՐԶԻ ԱՂԱՎՆԱՎԱՆՔԻ ԳՅՈՒՂԱԿԱՆ ՀԱՄԱՅՆՔԻ ՎԱՐՉԱԿԱՆ ՍԱՀՄԱՆՆԵՐՈՒՄ ԳՏՆՎՈՂ` ՊԵՏԱԿԱՆ ՍԵՓԱԿԱՆՈՒԹՅՈՒՆ ՀԱՆԴԻՍԱՑՈՂ ՀՈՂԵՐԻՑ ԱՂԱՎՆԱՎԱՆՔԻ ԳՅՈՒՂԱԿԱՆ ՀԱՄԱՅՆՔԻՆ ԱՆՀԱՏՈՒՅՑ ՓՈԽԱՆՑՎՈՂ ՀՈՂԵՐԻ
|
|
ՀՈՂԵՐԻ ՆՊԱՏԱԿԱՅԻՆ ՆՇԱՆԱԿՈՒԹՅՈՒՆԸ |
Համայնքի սեփականությունը հանդիսացող հողեր |
Պետական սեփականությունը հանդիսացող հողեր | ||
|
ընդամենը |
որից չմասնավորեցվող | ||||
|
|
Գյուղատնտեսական |
472.72 |
9.03 |
||
|
|
Բնակավայրերի |
16.36 |
5.71 |
0,79 | |
|
|
Արդյունաբերության. ընդերքօգտագործման և այլ արտադրական նշանակության օբյեկտների | 1.89 | |||
|
|
Էներգետիկայի, տրանսպորտի, կապի և կոմունալ ենթակառուցվածքների օբյեկտների |
0.05 |
|
3.78 | |
|
|
Հատուկ պահպանվող տարածքների |
1.45 |
1.45 |
0.01 | |
|
|
Հատուկ նշանակության |
||||
|
|
Անտառային |
719.11 | |||
|
|
Ջրային |
0.08 |
0.08 |
6.12 | |
|
|
Պահուստային |
||||
|
Ընդամենը |
492.55 |
16.27 |
729.31 | ||
|
Հայաստանի Հանրապետության կառավարության աշխատակազմի ղեկավար-նախարար |
Մ. Թոփուզյան |
|
Հավելված N 5 |
Ց Ա Ն Կ
ՀԱՅԱՍՏԱՆԻ ՀԱՆՐԱՊԵՏՈՒԹՅԱՆ ՏԱՎՈՒՇԻ ՄԱՐԶԻ ԱՂԱՎՆԱՎԱՆՔԻ ԳՅՈՒՂԱԿԱՆ ՀԱՄԱՅՆՔԻ ՎԱՐՉԱԿԱՆ ՍԱՀՄԱՆՆԵՐՈՒՄ ԳՏՆՎՈՂ` ՊԵՏԱԿԱՆ ՍԵՓԱԿԱՆՈՒԹՅՈՒՆ ՀԱՆԴԻՍԱՑՈՂ ՀՈՂԵՐԻՑ ԱՂԱՎՆԱՎԱՆՔԻ ԳՅՈՒՂԱԿԱՆ ՀԱՄԱՅՆՔԻՆ ԱՆՀԱՏՈՒՅՑ ՓՈԽԱՆՑՎՈՂ ՀՈՂԵՐԻ
Գյուղատնտեսական նշանակության հողերը Ծանոթագրություն վարելահող պտղատու այգի խաղողի այգի խոտհարք արոտ այլ հողատեսքեր 1 2 3 4 5 6 7 8 101-001-01 142.81 101-001-02 17.05. 101-002 0.94 101-004 0.97 101-005 0.61 101-006 1.33 101-008 0.31 101-013 1.20 101-014 0.68 101-015 0.63 101-016 0.64 101-017 0.65 101–018 0.71 101-019 0.81 101-020 1.50 101-021 0.67 101-022 1.56 101-023 1.56 101-024 1.54 101-025 1.54 102-001-02 12.55 102-004 0.42 102-005 1.05 102-006 059 102-007 0.56 102-008 1.13 103-002 2.24 103-005 0.39 103-006 0.24 103-012 2.04 103-013 2.97 103-016 0.14 103-023 0.30 104-001-01 106.72 104-008 0.98 104-020 0.19 104-021 0.61 104-024 0.37 105-001-01 93.03 105-001-02 3.47 105-010 0.14 105-014 0.20 105-015 0.81 105-016 0.70 105-017 0.55 105-018 0.33 105-020 0.27 105-023 0.18 45.69
Կադաստրային ծածկագիր
105-025
0.81
105-026
1.05
106-001
9.12
106-002
0.73
106-003
0.77
106-007
0.46
106-009
0.19
106-016
5.97
106-017
1.11
106-018
0.28
106-019
0.73
106-020
0.37
106-021
0.33
106-022
0.31
106-026
0.53
106-029
0.14
106-035
9.30
106-035
0.62
106-036
0.63
107-002
3.23
107-003
107-007
107-008
107-011
3.59
108-001-01
10.08
901-001
1.99
դաշտային ճանապարհ
.չմ
902-001
1.35
դաշտային ճանապարհ
.չմ
903-001
0.13
դաշտային ճանապարհ
.չմ
904-001
0.17
դաշտային ճանապարհ
.չմ
905-001
2.35
դաշտային ճանապարհ
.չմ
905-002
0.18
դաշտային ճանապարհ
.չմ
906-001
1.60
դաշտային ճանապարհ
.չմ
907-001
0.75
դաշտային ճանապարհ
.չմ
908-001
0.47
դաշտային ճանապարհ
.չմ
908-002
0.04
դաշտային ճանապարհ
.չմ
Ընդամենը
17.60
400 .40
9.03
|
Հայաստանի Հանրապետության կառավարության աշխատակազմի ղեկավար-նախարար |
Մ. Թոփուզյան |
|
Հավելված N 6 |
Ց Ա Ն Կ
ՀԱՅԱՍՏԱՆԻ ՀԱՆՐԱՊԵՏՈՒԹՅԱՆ ՏԱՎՈՒՇԻ ՄԱՐԶԻ ԱՂԱՎՆԱՎԱՆՔԻ ԳՅՈՒՂԱԿԱՆ ՀԱՄԱՅՆՔԻ ՎԱՐՉԱԿԱՆ ՍԱՀՄԱՆՆԵՐՈՒՄ ԳՏՆՎՈՂ` ՊԵՏԱԿԱՆ ՍԵՓԱԿԱՆՈՒԹՅՈՒՆ ՀԱՆԴԻՍԱՑՈՂ ՀՈՂԵՐԻՑ ԱՂԱՎՆԱՎԱՆՔԻ ԳՅՈՒՂԱԿԱՆ ՀԱՄԱՅՆՔԻՆ ԱՆՀԱՏՈՒՅՑ ՓՈԽԱՆՑՎՈՂ ՀՈՂԵՐԻ (ԸՍՏ ՆՊԱՏԱԿԱՅԻՆ
ՆՇԱՆԱԿՈՒԹՅԱՆ)
|
Կադաստրային ծածկագիր |
II |
III |
IV |
V |
VI |
VII |
VIII |
IX |
Ծանոթա-գրություն |
|
|
Բնակա-վայրերի հողեր |
Արդյունա-բերության. ընդերքօգտա-գործման և այլ արտադրական նշանակության օբյեկտների հողեր |
Էներգետիկայի, տրանսպորտի, կապի և կոմունալ ենթակառուց-վածքների օբյեկտների հողեր |
Հատուկ պահ-պանվող տարածք-ների հողեր |
Հատուկ նշանա-կության հողեր |
Անտա-ռային հողեր |
Ջրային հողեր |
Պահուս-տային հողեր | |||
|
1 |
2 | 3 | 4 | 5 |
6 |
7 | 8 | 9 |
10 | |
| 002-001 | 0.45 | այլ հողեր | ||||||||
| 003-002 | 0.41 | այլ հողեր | ||||||||
| 003-015 | 0.01 | այլ հողեր | ||||||||
| 007-005 | 0.21 | այլ հողեր | ||||||||
| 007-006 | 0.44 | գերեզմանոց | .չմ | |||||||
| 008-001 | 0.86 | այլ հողեր | ||||||||
| 008-003 | 0.03 | այլ հողեր | ||||||||
| 008-005 | 0.01 | այլ հողեր | ||||||||
| 008-006 | 0.04 | այլ հողեր | ||||||||
| 008-008 | 0.57 | արտ. մաս | ||||||||
| 008-009 | 0.65 | արտ. մաս | ||||||||
| 008-010 | 0.25 | արտ. մաս | ||||||||
| 008-011 | 0.001 | արտ. մաս | ||||||||
| 008-021 | 0.01 | այլ հողեր | ||||||||
| 008-022 | 0.02 | այլ հողեր | ||||||||
| 008-023 | 0.01 | խանութ | ||||||||
| 008-032 | 0.05 | այլ հողեր | ||||||||
| 008-036 | 0.02 | այլ հողեր | ||||||||
| 008-037 | 0.001 | այլ հողեր | ||||||||
| 009-001 | 0.04 | այլ հողեր | ||||||||
| 009-003 | 0.02 | այլ հողեր | ||||||||
| 009-007 | 0.03 | այլ հողեր | ||||||||
| 009-010 | 0.10 | խանութ | ||||||||
| 009-014 | 0.09 | այլ հողեր | ||||||||
| 009-016 | 0.004 | այլ հողեր | ||||||||
| 010-003 | 0.02 | այլ հողեր | ||||||||
| 010-006 | 0.01 | այլ հողեր | ||||||||
| 010-011 | 0.29 | այլ հողեր | ||||||||
| 012-001 | 0.01 | այլ հողեր | ||||||||
| 012-005 | 0.01 | այլ հողեր | ||||||||
| 012-009 | 0.06 | այլ հողեր | ||||||||
| 012-011 | 0.07 | այլ հողեր | ||||||||
| 013-003 | 0.02 | այլ հողեր | ||||||||
| 014-001 | 0.17 | այլ հողեր | ||||||||
| 014-004 | 0.12 | այլ հողեր | ||||||||
| 014-006 | 0.01 | այլ հողեր | ||||||||
| 015-001 | 0.10 | այլ հողեր | ||||||||
| 016-001 | 0.03 | այլ հողեր | ||||||||
| 017-001 | 0.21 | այլ հողեր | ||||||||
| 017-002 | 0.23 | արտ. մաս | ||||||||
| 018-001 | 0.34 | այլ հողեր | ||||||||
| 019-001 | 0.84 | այլ հողեր | ||||||||
| 020-003 | 0.36 | այլ հողեր | ||||||||
| 020-006 | 0.26 | գյուղապետարան | .չմ | |||||||
| 020-007 | 0.06 | գյուղապետարան | .չմ | |||||||
| 020-008 | 0.03 | պահեստարան | ||||||||
| 020-009 | 0.01 | գյուղապետարան | .չմ | |||||||
| 020-010 | 0.04 | ակումբ | ||||||||
| 020-010 | 0.43 | այլ հողեր | ||||||||
| 020-011 | 0.05 | արտ. մաս | ||||||||
| 020-012 | 0.05 | բաղնիք | ||||||||
| 021-012 | 0.07 | այլ հողեր | ||||||||
| 021-016 | 0.14 | այլ հողեր | ||||||||
| 023-001 | 0.004 | այլ հողեր | ||||||||
| 024-001 | 0.08 | այլ հողեր | ||||||||
| 024-013 | 0.03 | այլ հողեր | ||||||||
| 024-014 | 0.02 | այլ հողեր | ||||||||
| 024-016 | 0.01 | այլ հողեր | ||||||||
| 024-017 | 0.003 | այլ հողեր | ||||||||
| 024-019 | 0.003 | այլ հողեր | ||||||||
| 024-025 | 0.04 | այլ հողեր | ||||||||
| 024-029 | 0.01 | այլ հողեր | ||||||||
| 024-030 | 0.001 | այլ հողեր | ||||||||
| 025-001 | 0.10 | այլ հողեր | ||||||||
| 025-004 | 0.08 | այլ հողեր | ||||||||
| 025-007 | 0.29 | այլ հողեր | ||||||||
| 025-012 | 0.02 | այլ հողեր | ||||||||
| 025-014 | 0.55 | այլ հողեր | ||||||||
| 026-001 | 0.30 | այլ հողեր | ||||||||
| 027-001 | 0.05 | այլ հողեր | ||||||||
| 027-004 | 0.26 | այլ հողեր | ||||||||
| 028-002 | 0.08 | այլ հողեր | ||||||||
| 029-001 | 0.47 | այլ հողեր | ||||||||
| 029-008 | 0.08 | այլ հողեր | ||||||||
| 029-009 | 0.07 | այլ հողեր | ||||||||
| 030-001 | 0.12 | այլ հողեր | ||||||||
| 030-002 | 0.22 | գերեզմանոց | .չմ | |||||||
| 031-001 | 0.81 | այլ հողեր | ||||||||
| 032-001 | 0.16 | այլ հողեր | ||||||||
| 032-006 | 0.02 | այլ հողեր | ||||||||
| 033-001 | 0.02 | այլ հողեր | ||||||||
| 033-003 | 0.39 | գերեզմանոց | .չմ | |||||||
| 034-001 | 0.71 | այլ հողեր | ||||||||
| 034-007 | 0.01 | այլ հողեր | ||||||||
| 035-001 | 0.01 | այլ հողեր | ||||||||
| 035-003 | 0.01 | այլ հողեր | ||||||||
| 036-002 | 0.03 | այլ հողեր | ||||||||
| 037-001 | 0.36 | այլ հողեր | ||||||||
| 038-001 | 0.07 | այլ հողեր | ||||||||
| 102-002 | 0.11 | արտ. մաս | ||||||||
| 102-003 | 0.25 | գերեզմանոց | .չմ | |||||||
| 106-033 | 0.15 | գերեզմանոց | .չմ | |||||||
| 3003-01 | 0.08 | ներտնտ. ոռոգ. ցանց | .չմ | |||||||
| 3003-02 | 0.11 | փողոց. հրապ. | .չմ | |||||||
| 909-002 | 0.04 | փողոց. հրապ. | .չմ | |||||||
| 909-003 | 0.02 | փողոց. հրապ. | .չմ | |||||||
| 910-001 | 0.33 | փողոց. հրապ. | .չմ | |||||||
| 910-002 | 0.02 | փողոց. հրապ. | .չմ | |||||||
| 910-003 | 0.01 | փողոց. հրապ. | .չմ | |||||||
| 911-001 | 0.05 | փողոց. հրապ. | .չմ | |||||||
| 912-001 | 0.70 | փողոց. հրապ. | .չմ | |||||||
| 912-002 | 0.01 | փողոց. հրապ. | .չմ | |||||||
| 912-003 | 0.01 | փողոց. հրապ. | .չմ | |||||||
| 912-004 | 0.01 | փողոց. հրապ. | .չմ | |||||||
| 912-005 | 0.004 | փողոց. հրապ. | .չմ | |||||||
| 912-006 | 0.03 | փողոց. հրապ. | .չմ | |||||||
| 912-007 | 0.01 | փողոց. հրապ. | .չմ | |||||||
| 912-008 | 0.04 | փողոց. հրապ. | .չմ | |||||||
| 913-001 | 0.06 | փողոց. հրապ. | .չմ | |||||||
| 914-001 | 0.22 | փողոց. հրապ. | .չմ | |||||||
| 915-001 | 0.02 | փողոց. հրապ. | .չմ | |||||||
| 916-001 | 0.10 | փողոց. հրապ. | .չմ | |||||||
| 916-002 | 0.004 | փողոց. հրապ. | .չմ | |||||||
| 917-001 | 0.11 | փողոց. հրապ. | .չմ | |||||||
| 917-002 | 0.07 | փողոց. հրապ. | .չմ | |||||||
| 918-001 | 0.12 | փողոց. հրապ. | .չմ | |||||||
| 919-001 | 0.09 | փողոց. հրապ. | .չմ | |||||||
| 919-002 | 0.01 | փողոց. հրապ. | .չմ | |||||||
| 920-001 | 0.42 | փողոց. հրապ. | .չմ | |||||||
| 920-002 | 0.01 | փողոց. հրապ. | .չմ | |||||||
| 921-001 | 0.08 | փողոց. հրապ. | .չմ | |||||||
| 922-001 | 0.08 | փողոց. հրապ. | .չմ | |||||||
| 923-001 | 0.31 | փողոց. հրապ. | .չմ | |||||||
| 923-002 | 0.02 | փողոց. հրապ. | .չմ | |||||||
| 923-003 | 0.01 | փողոց. հրապ. | .չմ | |||||||
| 923-004 | 0.01 | փողոց. հրապ. | .չմ | |||||||
| 924-001 | 0.02 | փողոց. հրապ. | .չմ | |||||||
| 925-001 | 0.02 | փողոց. հրապ. | .չմ | |||||||
| 926-001 | 0.06 | փողոց. հրապ. | .չմ | |||||||
| 927-001 | 0.03 | փողոց. հրապ. | .չմ | |||||||
| 927-002 | 0.01 | փողոց. հրապ. | .չմ | |||||||
| 927-003 | 1.20 | փողոց. հրապ. | .չմ | |||||||
| 927-004 | 0.05 | փողոց. հրապ. | .չմ | |||||||
| 928-001 | 0.09 | փողոց. հրապ. | .չմ | |||||||
| 929-001 | 0.12 | փողոց. հրապ. | .չմ | |||||||
| 930-001 | 0.19 | փողոց. հրապ. | .չմ | |||||||
| 931-001 | 0.02 | փողոց. հրապ. | .չմ | |||||||
| 932-001 | 0.02 | փողոց. հրապ. | .չմ | |||||||
| 933-002 | 0.05 | փողոց. հրապ. | .չմ | |||||||
| 934-001 | 0.09 | փողոց. հրապ. | .չմ | |||||||
| 938-001 | 0.04 | փողոց. հրապ. | .չմ | |||||||
| 939-001 | 0.10 | փողոց. հրապ. | .չմ | |||||||
| 940-001 | 0.11 | փողոց. հրապ. | .չմ | |||||||
| 941-001 | 0.03 | փողոց. հրապ. | .չմ | |||||||
| Ընդամենը | 16.36 | 1-89 | 0.05 | 1.45 | 0.08 |
|
Հայաստանի Հանրապետության կառավարության աշխատակազմի ղեկավար-նախարար |
Մ. Թոփուզյան |
|
Հավելված N 7 |
Ց Ա Ն Կ
ՀԱՅԱՍՏԱՆԻ ՀԱՆՐԱՊԵՏՈՒԹՅԱՆ ՏԱՎՈՒՇԻ ՄԱՐԶԻ ԱՂԱՎՆԱՎԱՆՔԻ ԳՅՈՒՂԱԿԱՆ ՀԱՄԱՅՆՔԻ ՎԱՐՉԱԿԱՆ ՍԱՀՄԱՆՆԵՐՈՒՄ ԳՏՆՎՈՂ` ՊԵՏԱԿԱՆ ՍԵՓԱԿԱՆՈՒԹՅՈՒՆ ՀԱՆԴԻՍԱՑՈՂ ՀՈՂԵՐԻ (ԸՍՏ ՆՊԱՏԱԿԱՅԻՆ ՆՇԱՆԱԿՈՒԹՅԱՆ)
| Կադաստրային ծածկագիր | II |
III |
IV |
V |
VI |
VII |
VIII |
IX |
Ծանոթագրություն |
| Բնակա-վայրերի հողեր |
Արդյունաբերության, ընդերք-օգտագործման և այլ արտադրական նշանակության օբյեկտների հողեր | Էներգետիկայի, տրանսպորտի, կապի և կոմունալ ենթա-կառուցվածք-ների հողեր | Հատուկ պահ-պանվող տարածք-ների հողեր | Հատուկ նշանա-կության հողեր |
Անտառային հողեր | Ջրային հողեր | Պահուստային հողեր | ||
|
1 |
2 |
3 |
4 |
5 |
6 |
7 |
8 |
9 |
10 |
|
020-005 |
0.79 |
դպրոց | |||||||
|
101-001-03 |
247.04 |
անտառ | |||||||
|
102-001-01 |
160.85 |
անտառ | |||||||
|
103-001 |
135.88 |
անտառ | |||||||
|
104-001-02 |
175.34 |
անտառ | |||||||
|
108-001-02 |
0.01 |
եկեղեցի | |||||||
|
3001-01 |
5.96 |
գետ | |||||||
|
3002-01 |
0.16 |
գետ | |||||||
|
909-001 |
3.38 |
միջպետական ճանապ. | |||||||
|
933-001 |
0.27 |
միջպետական ճանապ. | |||||||
|
937-001 |
0.13 |
միջպետական ճանապ. | |||||||
|
Ընդամենը |
0.79 |
3.78 |
0.01 |
6.12 |
|
Հայաստանի Հանրապետության կառավարության աշխատակազմի ղեկավար-նախարար |
Մ. Թոփուզյան |
|
Հավելված N 8 |
Հ Ա Շ Վ Ե Տ Վ ՈՒ Թ Յ ՈՒ Ն
ՀԱՅԱՍՏԱՆԻ ՀԱՆՐԱՊԵՏՈՒԹՅԱՆ ՏԱՎՈՒՇԻ ՄԱՐԶԻ ԱՂԱՎՆԱՎԱՆՔԻ ԳՅՈՒՂԱԿԱՆ ՀԱՄԱՅՆՔԻ ՀՈՂԱՅԻՆ ՖՈՆԴԻ ԱՌԿԱՅՈՒԹՅԱՆ ԵՎ ԲԱՇԽՄԱՆ ՄԱՍԻՆ
2005 թվականի հունվարի 1-ի դրությամբ
|
Հայաստանի Հանրապետության կառավարության աշխատակազմի ղեկավար-նախարար |
Մ. Թոփուզյան |