«Վավերացնում եմ»
Հայաստանի Հանրապետության
Նախագահ Ռ. Քոչարյան
28 մարտի 2005 թ.
ՀԱՅԱՍՏԱՆԻ ՀԱՆՐԱՊԵՏՈՒԹՅԱՆ ԿԱՌԱՎԱՐՈՒԹՅՈՒՆ
Ո Ր Ո Շ ՈՒ Մ
3 մարտի 2005 թվականի N 294-Ն
ՀԱՅԱՍՏԱՆԻ ՀԱՆՐԱՊԵՏՈՒԹՅԱՆ ՇԻՐԱԿԻ ՄԱՐԶԻ ՄԻ ՇԱՐՔ ԳՅՈՒՂԱԿԱՆ ՀԱՄԱՅՆՔՆԵՐԻ ՎԱՐՉԱԿԱՆ ՍԱՀՄԱՆՆԵՐԻ ՆԿԱՐԱԳԻՐԸ ՀԱՍՏԱՏԵԼՈՒ ՄԱՍԻՆ
«Տեղական ինքնակառավարման մասին» Հայաստանի Հանրապետության օրենքի 6-րդ և «Հայաստանի Հանրապետության վարչատարածքային բաժանման մասին» Հայաստանի Հանրապետության օրենքի 6-րդ հոդվածներին համապատասխան, ինչպես նաև հաշվի առնելով Հայաստանի Հանրապետության մարզերի և համայնքների սահմանների նկարագրման աշխատանքների կարգավորման կառավարական հանձնաժողովի եզրակացությունը` Հայաստանի Հանրապետության կառավարությունը որոշում է.
1. Հաստատել Հայաստանի Հանրապետության Շիրակի մարզի նշված համայնքների վարչական սահմանների նկարագիրը`
ա) Առափիի գյուղական համայնք` համաձայն NN 1 և 1ա հավելվածների.
բ) (ենթակետն ուժը կորցրել է 03.12.09 N 1418-Ն)
գ) Ազատանի գյուղական համայնք` համաձայն NN 3 և 3ա հավելվածների.
դ) Հացիկի գյուղական համայնք` համաձայն NN 4 և 4ա հավելվածների.
ե) Հովունու գյուղական համայնք` համաձայն NN 5 և 5ա հավելվածների.
զ) Կարմրաքարի գյուղական համայնք` համաձայն NN 6 և 6ա հավելվածների.
է) Կրաշենի գյուղական համայնք` համաձայն NN 7 և 7ա հավելվածների.
ը) Լեռնուտի գյուղական համայնք` համաձայն NN 8 և 8ա հավելվածների.
թ) (ենթակետն ուժը կորցրել է 03.12.09 N 1418-Ն)
ժ) (ենթակետն ուժը կորցրել է 03.12.09 N 1418-Ն)
ժա) (ենթակետն ուժը կորցրել է 03.12.09 N 1418-Ն)
ժբ) Քեթիի գյուղական համայնք` համաձայն NN 12 և 12ա հավելվածների.
ժգ) Վահրամաբերդի գյուղական համայնք` համաձայն NN 13 և 13ա հավելվածների.
ժդ) Դարիբջանյանի գյուղական համայնք` համաձայն NN 14 և 14ա հավելվածների:
(1-ին կետը փոփ. 03.12.09 N 1418-Ն)
2. Հայաստանի Հանրապետության կառավարությանն առընթեր անշարժ գույքի կադաստրի պետական կոմիտեի նախագահին`
ա) Հայաստանի Հանրապետության տարածքի պետական բարձունքային ցանցի ստեղծման, գեոիդի մոդելի հաշվարկման, ծանրաչափական դիտարկումների ամփոփման և Հայաստանի Հանրապետության պետական գեոդեզիական ցանցի ամբողջական հավասարակշռման աշխատանքների ավարտից հետո հրատարակել Հայաստանի Հանրապետության վարչատարածքային միավորների սահմանանիշերի կոորդինատների ժողովածուն.
բ) եռամսյա ժամկետում սահմանել քարտեզագրական և հողաշինարարական աշխատանքներում սխալների ուղղման և փոփոխությունների իրականացման մասին կարգ.
գ) Հայաստանի Հանրապետության պետական գեոդեզիական ցանցի հավասարակշռման արդյունքների հիման վրա, հողային ֆոնդի ընթացիկ հաշվառման ժամանակ, սույն որոշման մեջ նշված համայնքների հողային հաշվեկշիռներում սահմանված կարգով կատարել համապատասխան փոփոխություններ:
3. Սույն որոշումն ուժի մեջ է մտնում պաշտոնական հրապարակմանը հաջորդող օրվանից:
|
Հայաստանի Հանրապետության |
Ա. Մարգարյան |
|
|
|
Հավելված N 1 |
|
ՀԱՅԱՍՏԱՆԻ ՀԱՆՐԱՊԵՏՈՒԹՅԱՆ ՇԻՐԱԿԻ ՄԱՐԶԻ ԱՌԱՓԻ ՀԱՄԱՅՆՔԻ ՎԱՐՉԱԿԱՆ ՍԱՀՄԱՆՆԵՐԻ ՀԱՏԱԿԱԳԻԾԸ |
|
Հայաստանի Հանրապետության |
Մ. Թոփուզյան |
|
Հավելված N 1ա |
ՇԻՐԱԿԻ ՄԱՐԶԻ ԱՌԱՓԻ ՀԱՄԱՅՆՔԻ ՎԱՐՉԱԿԱՆ ՍԱՀՄԱՆՆԵՐԻ ՆԿԱՐԱԳՐՈՒԹՅՈՒՆԸ
Առափի համայնքը գտնվում է մարզի արևմտյան մասում:
Հեռավորությունը մարզկենտրոն ք. Գյումրիից մոտավորապես 4 կմ է:
Համայնքի ընդհանուր տարածությունը՝ 1528.01հա:
Համայնքը հյուսիս-արևելքից՝ «Ա»-«Բ» հատվածով սահմանակից է Մարմաշեն համայնքին, արևելքից՝ «Բ»-«Գ» հատվածով` Գյումրի քաղաքին և «Գ»-«Դ» հատվածով Ղարիբջանյան համայնքին, արևմտյան՝ «Դ»-«Ե» հատվածով Ոսկեհասկ համայնքին և «Ե»-«Ա» հատվածով՝ Հայկավան համայնքին:
|
ԱՌԱՓԻ ԵՎ ՄԱՐՄԱՇԵՆ ՀԱՄԱՅՆՔՆԵՐԻ ՄԻՋՀԱՄԱՅՆՔԱՅԻՆ ՍԱՀՄԱՆՆԵՐԻ ՆԿԱՐԱԳՐՈՒԹՅՈՒՆԸ՝ «Ա»-«Բ» |
Ախուրյան գետի եզրին գտնվող «Ա» հանգուցային կետից, որը հանդիսանում է Առափի-Մարմաշեն և Հայկավան համայնքների տարածքների բաժանման կետ, սահմանագիծը Ախուրյան գետով իջնում է դեպի հարավ-արևելք և անցնելով 900.0մ հասնում է «Բ» հանգուցային կետին, որը հանդիսանում է Առափի, Մարմաշեն համայնքների և Գյումրի քաղաքի տարածքների բաժանման հանգուցային կետ:
|
ԱՌԱՓԻ ՀԱՄԱՅՆՔԻ ԵՎ ԳՅՈՒՄՐԻ ՔԱՂԱՔԻ ՄԻՋԵՎ ՍԱՀՄԱՆՆԵՐԻ ՆԿԱՐԱԳՐՈՒԹՅՈՒՆԸ «Բ»-«Գ» |
Ախուրյան գետի եզրին գտնվող «Բ» հանգուցային կետից, սահմանագիծը գետով անցնելով դեպի հարավ-արևելք 2017.3մ հասնում է Ախուրյան գետի և նախկին ջրաղացի առվի հատման տեղում գտնվող թիվ 1 կետին, այնուհետև քիչ թեքվելով արևելք, սահմանագիծը թափվածքի եզրով անցնելով թիվ 1 կետից մինչև թիվ 14 կետը 799.27մ հասնում է Ախուրյան գետի եզրին գտնվող թիվ 15 կետին: Շարունակվելով Ախուրյան գետով անցնելով 488.0մ հասնում է գետի եզրին գտնվող թիվ 16 կետին: Այնուհետև, թեքվելով հյուսիս-արևելք, անցնելով 149.1մ հասնում է թիվ 17 կետին, որից հետո նորից թեքվելով հարավ-արևելք՝ անցնելով թիվ 18, 19 կետերով 160.37մ հասնում է թիվ 20 կետին: Այդտեղից սահմանագիծը քիչ թեքվելով դեպի արևելք 41.87մ հասնում է առվի եզրին գտնվող թիվ 21 կետին, նորից կտրուկ թեքվելով դեպի հարավ անցնելով առվով և Առափիի նոր բնակավայրի եզրով 1632.8մ հասնում է թիվ 22 կետին: Այդտեղից սահմանագիծը կտրուկ թեքվելով դեպի արևմուտք անցնելով 150.8մ հասնում է թիվ 23 կետին և նորից կտրուկ թեքվելով դեպի հարավ 96.2մ հասնում է թիվ 24 կետին, որը գտնվում է զինվորական տեղամասի սահմանի եզրին: Այնուհետև շարունակվելով թեքվել արևմուտք զինվորական տեղամասի պարսպով անցնելով 439.8մ հատում է նոր գյուղատեղից դուրս եկող ճանապարհը հասնում է Ախուրյան գետի եզրին գտնվող թիվ 25 կետին, որից հետո գետով շարունակվում է դեպի հարավ-արևմուտք՝ անցնելով 863.0մ հասնում է գետի վրա գտնվող կամրջի թիվ 26 կետին: Այնուհետև, կտրուկ թեքվելով դեպի արևելք Գյումրի-Առափի խճուղով անցնելով թիվ 27 կետից մինչև թիվ 31 կետերով 221.43մ հասնում է Գյումրի- Ախուրիկ միջհամայնքային ճանապարհի եզրին գտնվող թիվ 32 կետին, ապա սահմանագիծն ուղղվելով նույն ուղղությամբ հատելով միջհամայնքային ճանապարհը, անցնելով թիվ 33, 34 կետերով 392.17մ հասնում է խճուղու եզրին գտնվող թիվ 35 կետին, որից հետո նորից թեքվելով դեպի հարավ, անցնելով վարելահողերի և Գյումրի քաղաքի կառուցապատված տարածքի եզրով 294.6մ, հասնում է թիվ 36 կետին, այնուհետև, թեքվելով արևելք և անցնելով 93.5մ հասնում է թիվ 37 կետին, որը գտնվում է թռչնաբուծական ֆաբրիկայի պարսպի տակ: Այնուհետև, պարսպով և վարելահողերի եզրով շարունակվելով դեպի հարավ անցնելով թիվ 38, 39 կետերով 399.1մ հասնում է առվի եզրին գտնվող «Գ» հանգուցային կետին, որը հանդիսանում է Առափի, Ղարիբջանյան համայնքների և Գյումրի քաղաքի տարածքների բաժանման կետ:
|
ԱՌԱՓԻ ԵՎ ՂԱՐԻԲՋԱՆՅԱՆ ՀԱՄԱՅՆՔՆԵՐԻ ՄԻՋՀԱՄԱՅՆՔԱՅԻՆ ՍԱՀՄԱՆՆԵՐԻ ՆԿԱՐԱԳՐՈՒԹՅՈՒՆԸ՝ «Գ»-«Դ» |
Առվի եզրին գտնվող հանգուցային «Գ» կետից սահմանագիծը սահմանային առվով անցնելով թիվ 1, 2, 3, 4, 5 կետերով 778.8մ դեպի հարավ-արևմուտք, վարելահողերի եզրով, հատելով դաշտային ճանապարհը հասնում է թիվ 6 կետին, որը գտնվում է կոյուղու և ճանապարհի հատման տեղում: Այնուհետև, կտրուկ թեքվելով դեպի արևմուտք, անցնելով կոյուղու վրայով 97.1մ հասնում է ճանապարհի և կոյուղու հետ հատվող թիվ 7 կետին, որից հետո թեքվելով նորից հյուսիս-արևմուտք անցնելով վարելահողերի եզրով 303.8մ հասնում է Գյումրի քաղաքին պատկանող արտադրական մասի և ճանապարհի եզրին գտնվող թիվ 8 կետին: Սահմանագիծը շարունակվելով դեպի արևմուտք՝ անցնելով դաշտային ճանապարհով 316.3մ հասնում է Ախուրյան գետի եզրին գտնվող թիվ 9 կետին: Սահմանագիծը թեքվելով դեպի հարավ-արևմուտք և անցնելով Ախուրյան գետով թիվ 10 կետից մինչև թիվ 18 կետերով 1302.3մ հասնում է գետի եզրին գտնվող «Դ» հանգուցային կետին, որը հանդիսանում է Առափի, Ղարիբջանյան և Ոսկեհասկ համայնքների հանգուցային կետ:
|
ԱՌԱՓԻ ԵՎ ՈՍԿԵՀԱՍԿ ՀԱՄԱՅՆՔՆԵՐԻ ՄԻՋՀԱՄԱՅՆՔԱՅԻՆ ՍԱՀՄԱՆՆԵՐԻ ՆԿԱՐԱԳՐՈՒԹՅՈՒՆԸ՝ «Դ»-«Ե» |
Ճանապարհի եզրին գտնվող «Ե» հանգուցային կետից սահմանագիծը կտրուկ թեքվում է դեպի արևելք և անցնելով 70.0մ հասնում է նույն ճանապարհի եզրին գտնվող թիվ 1 կետին, այնուհետև, թեքվելով դեպի հարավ, անցնելով դաշտային ճանապարհով 243.0մ, հասնում է ճանապարհների հատման տեղում գտնվող թիվ 2 կետին, որից հետո ճանապարհով թեքվելով դեպի արևելք՝ անցնելով 27.65մ հասնում ճանապարհի եզրի թիվ 3 կետին: Թիվ 3 կետից սահմանագիծն անցնելով դեպի հարավ-արևելք և անցնելով թիվ 4 կետով 461.27մ հասնում է թիվ 5 կետին, այնուհետև, սահմանագիծը շարունակվում է դեպի հարավ և անցնելով 1072.5մ վարելահողերի եզրով հասնում է թիվ 6 կետին: Սահմանագիծը թեքվելով դեպի հարավ-արևելք, հատելով դաշտային ճանապարհը, և անցնելով 484.1մ հասնում է թիվ 7 կետին, որից հետո թեքվելով հարավ - արևելք և անցնելով 405.6մ հասնում է թիվ 8 կետին: Սահմանագիծը շարունակվելով բարձունքի եզրով դեպի հարավ-արևելք և անցնելով 508.06մ հասնում է թիվ 9 կետին, այնուհետև, նորից թեքվելով հարավ-արևելք՝ անցնելով 429.63մ հասնում է թիվ 10 կետին: Ապա թեքվելով դեպի հյուսիս-արևելք՝ անցնելով 203.1մ հասնում է թիվ 11 կետին, որից հետո թեքվելով հարավ-արևելք՝ անցնելով 169.0մ հասնում է Ախուրիկ-Գյումրի միջհամայնքային ճանապարհի եզրին գտնվող թիվ 12 կետին, կտրուկ թեքվելով դեպի հարավ-արևմուտք՝ անցնելով ճանապարհով 127.5մ հասնում է ճանապարհի եզրին գտնվող թիվ 13 կետին: Թիվ 13 կետից նորից կտրուկ թեքվելով հարավ-արևելք, հատելով Ախուրիկ-Գյումրի միջհամայնքային ճանապարհը և անցնելով 216.3մ հասնում է թիվ 14 կետին, որից հետո քիչ թեքվելով դեպի արևելք՝ անցնելով 24.6մ հասնում է թիվ 15 կետին, որը գտնվում է առվի եզրին: Այնուհետև սահմանագիծը թեքվելով դեպի հարավ-արևմուտք՝ անցնելով առվի դամբայով մինչև վարելահողերի հատման կետը 440.0մ ու նորից կտրուկ թեքվելով դեպի արևելք՝ անցնելով 82.0մ հասնում է Ախուրյան գետի եզրին գտնվող «Դ» հանգուցային կետին:
|
ԱՌԱՓԻ ԵՎ ՀԱՅԿԱՎԱՆ ՀԱՄԱՅՆՔՆԵՐԻ ՄԻՋՀԱՄԱՅՆՔԱՅԻՆ ՍԱՀՄԱՆՆԵՐԻ ՆԿԱՐԱԳՐՈՒԹՅՈՒՆԸ՝ «Ե»-«Ա» |
Ախուրյան գետի ափին գտնվող «Ա» հանգուցային կետից սահմանագիծը ձորով բարձրանալով դեպի հարավ-արևմուտք՝ անցնելով 1348.35մ հասնում է դաշտային ճանապարհի և ձորի հատման տեղում գտնվող թիվ 1 կետին: Ապա սահմանագիծը թեքվելով դեպի արևմուտք՝ անցնելով դաշտային ճանապարհով թիվ 2 կետով 196.91մ հասնում է դաշտային ճանապարհի եզրին գտնվող թիվ 3 կետին: Այնուհետև, սահմանագիծը կտրուկ թեքվելով դեպի հարավ-արևելք, հատելով դաշտային ճանապարհը, անցնելով 513.34մ հասնում է թիվ 4 կետին, որը գտնվում է Հայկավանի նոր գյուղատեղի կողքին: Որից հետո սահմանագիծը թեքվելով դեպի արևելք՝ անցնելով 21.97մ հասնում է դաշտային ճանապարհի եզրին գտնվող թիվ 5 կետին: Թիվ 5 կետից սահմանագիծը, հատելով դաշտային ճանապարհը, անցնելով 250.76մ հասնում է առվի եզրին գտնվող թիվ 6 կետին: Այդ կետից սահմանագիծը չփոխելով ուղղությունը, հատելով առուն, անցնելով թիվ 7, 8, 9 կետերով 222.67մ հասնում է Հայկավան-Գյումրի միջհամայնքային ճանապարհի եզրին գտնվող թիվ 10 կետին: Ապա սահմանագիծը հատելով միջհամայնքային ճանապարհը, թեքվելով դեպի հարավ-արևելք, անցնելով թիվ 11, 12, 13, 14, 15 կետերով 1773.77մ հասնում է «Ե» հանգուցային կետին, որը հանդիսանում է Առափի, Հայկավան և Ոսկեհասկ համայնքների տարածքների բաժանման կետ:
|
Հայաստանի Հանրապետության |
Մ. Թոփուզյան |
|
Հավելված N 2 |
ՀԱՅԱՍՏԱՆԻ ՀԱՆՐԱՊԵՏՈՒԹՅԱՆ ՇԻՐԱԿԻ ՄԱՐԶԻ ԱԽՈՒՐՅԱՆ ՀԱՄԱՅՆՔԻ ՎԱՐՉԱԿԱՆ ՍԱՀՄԱՆՆԵՐԻ ՀԱՏԱԿԱԳԻԾԸ
(հավելվածն ուժը կորցրել է 03.12.09 N 1418-Ն)
|
Հավելված N 2ա |
|
ՇԻՐԱԿԻ ՄԱՐԶԻ ԱԽՈՒՐՅԱՆ ՀԱՄԱՅՆՔԻ ՎԱՐՉԱԿԱՆ ՍԱՀՄԱՆՆԵՐԻ ՆԿԱՐԱԳՐՈՒԹՅՈՒՆԸ |
|
Հավելված N 3 |
ՀԱՅԱՍՏԱՆԻ ՀԱՆՐԱՊԵՏՈՒԹՅԱՆ ՇԻՐԱԿԻ ՄԱՐԶԻ ԱԶԱՏԱՆ ՀԱՄԱՅՆՔԻ ՎԱՐՉԱԿԱՆ ՍԱՀՄԱՆՆԵՐԻ ՀԱՏԱԿԱԳԻԾԸ
|
Հայաստանի Հանրապետության |
Մ. Թոփուզյան |
|
Հավելված N 3ա |
|
ՇԻՐԱԿԻ ՄԱՐԶԻ ԱԶԱՏԱՆ ՀԱՄԱՅՆՔԻ ՎԱՐՉԱԿԱՆ ՍԱՀՄԱՆՆԵՐԻ ՆԿԱՐԱԳՐՈՒԹՅՈՒՆԸ |
Ազատան համայնքը գտնվում է մարզի հարավ-արևմտյան մասում:
Համայնքի հեռավորությունը մարզկենտրոն ք. Գյումրիից մոտավորապես 9 կմ է:
Համայնքի ընդհանուր տարածությունը կազմում է 3856.9 հա:
Ազատան համայնքը հյուսիս-արևելքից «Ա»-«Բ» հատվածով սահմանակից է Ախուրյան համայնքին, արևելյան «Բ»-«Գ» հատվածով` Արևիկ համայնքին, հարավ-արևելյան «Գ»-«Դ» հատվածով` Այգաբաց համայնքին, հարավային «Դ»-«Ե» հատվածով` Սարատակ համայնքին, «Ե»-«Զ» հատվածով` Բենիամին համայնքին, հարավ-արևմտյան «Զ»-«Է» հատվածով` Բայանդուր համայնքին, արևմտյան «Է»-«Ը» հատվածով` Գետք համայնքին և հյուսիս-արևմտյան «Ը»-«Թ» հատվածով` Ղարիբջանյան համայնքին, «Թ»-«Ա» հատվածով` Գյումրի քաղաքին:
|
ԱԶԱՏԱՆ ԵՎ ԱԽՈՒՐՅԱՆ ՀԱՄԱՅՆՔՆԵՐԻ ՄԻՋՀԱՄԱՅՆՔԱՅԻՆ ՍԱՀՄԱՆՆԵՐԻ ՆԿԱՐԱԳՐՈՒԹՅՈՒՆԸ՝ «Ա»-«Բ» |
Գյումրի-Արթիկ երկաթուղու և Ջաջուռ գետի հատման տեղում գտնվող «Ա» հանգուցային կետը, որը հանդիսանում է Ազատան, Ախուրյան համայնքների և Գյումրի քաղաքի տարածքների բաժանման կետ, սահմանագիծը Գյումրի-Արթիկ երկաթգծով, անցնելով 1997.2մ դեպի հարավ-արևելք հասնում է երկաթգծի եզրի հանգուցային «Բ» կետին, որը հանդիսանում է Ազատան, Ախուրյան և Արևիկ համայնքների տարածքների բաժանման կետ:
|
ԱԶԱՏԱՆ ԵՎ ԱՐԵՎԻԿ ՀԱՄԱՅՆՔՆԵՐԻ ՄԻՋՀԱՄԱՅՆՔԱՅԻՆ ՍԱՀՄԱՆՆԵՐԻ ՆԿԱՐԱԳՐՈՒԹՅՈՒՆԸ՝ «Բ»-«Գ» |
Հանգուցային «Բ» կետից սահմանագիծն իջնելով դեպի հարավ՝ անցնելով թիվ 1 կետը 1238.3մ հասնում է ջրագծի եզրին գտնվող թիվ 2 կետին, այնուհետև, ջրագծով անցնելով նույն ուղղությամբ հատելով դաշտային ճանապարհը և անցնելով 563.7մ հասնում է թիվ 3 կետին, որը գտնվում է դաշտային ճանապարհի եզրին, հետո քիչ թեքվելով հարավ-արևելք և անցնելով թիվ 4 կետով 284.5մ հասնում է Արևիկ-Ազատան միջհամայնքային ճանապարհի եզրին գտնվող թիվ 5 կետին: Որից հետո շարունակվելով դեպի հարավ՝ հատելով Ազատան-Արևիկ ճանապարհը և անցնելով թիվ 6,7 կետերով 823.0մ հասնում է թիվ 8 կետին, այնուհետև, թիվ 8 կետից թեքվելով հարավ-արևելք՝ անցնելով 172.0մ հասնում է թիվ 9 կետին, որից հետո սահմանագիծը թեքվելով հարավ, հատելով ջրագիծը, անցնելով թիվ 10,11 կետերով 841.2մ հասնում է «Գ» հանգուցային կետին, որը հանդիսանում է Ազատան, Արևիկ և Այգաբաց համայնքների տարածքների բաժանման կետ:
|
ԱԶԱՏԱՆ ԵՎ ԱՅԳԱԲԱՑ ՀԱՄԱՅՆՔՆԵՐԻ ՄԻՋՀԱՄԱՅՆՔԱՅԻՆ ՍԱՀՄԱՆՆԵՐԻ ՆԿԱՐԱԳՐՈՒԹՅՈՒՆԸ՝ «Գ»-«Դ» |
Հանգուցային «Գ» կետից սահմանագիծն անցնելով դեպի հարավ-արևմուտք, հատելով Գյումրի-Արթիկ միջհամայնքային ճանապարհը, անցնելով թիվ 1, 2 կետերով 1012.6մ հասնում է թիվ 3 կետին, որը գտնվում է բլրի գագաթին: Բլրի գագաթից սահմանագիծը թեքվելով դեպի հարավ՝ անցնելով 386.2մ հասնում է թիվ 4 կետին ու կրկին թեքվելով հարավ-արևմուտք՝ անցնելով 491.5մ, հատելով ոռոգման ջրագիծը հասնում է «Դ» հանգուցային կետին, որը հանդիսանում է Ազատան-Այգաբաց-Սարատակ համայնքների տարածքների բաժանման կետ:
|
ԱԶԱՏԱՆ ԵՎ ՍԱՐԱՏԱԿ ՀԱՄԱՅՆՔՆԵՐԻ ՄԻՋՀԱՄԱՅՆՔԱՅԻՆ ՍԱՀՄԱՆՆԵՐԻ ՆԿԱՐԱԳՐՈՒԹՅՈՒՆԸ՝ «Դ»-«Ե» |
Սահմանագիծը սկսելով Ազատան-Սարատակ և Բենիամին համայնքների տարածքների բաժանման «Ե» հանգուցային կետից, որի բարձրության նիշը կազմում է 1625.5մ «Շիշտեպե» կոչվող եռանկյունաչափական կետից թեքվում է դեպի հյուսիս-արևելք և անցնելով 516.1մ հասնում է թիվ 1 կետին: Այնուհետև, սահմանագիծը թեքվելով քիչ հյուսիս՝ անցնելով 383.2մ հատելով դաշտային ճանապարհը հասնում է թիվ 2 կետին, ապա թեքվելով դեպի արևելք՝ հատելով դաշտային ճանապարհը, անցնելով 282.9մ հասնում է թիվ 3 կետին: Թիվ 3 կետից թեքվում է դեպի հյուսիս-արևելք՝ անցնելով 627.3մ հասնում է «Դ» հանգուցային կետին:
|
ԱԶԱՏԱՆ ԵՎ ԲԵՆԻԱՄԻՆ ՀԱՄԱՅՆՔՆԵՐԻ ՄԻՋՀԱՄԱՅՆՔԱՅԻՆ ՍԱՀՄԱՆՆԵՐԻ ՆԿԱՐԱԳՐՈՒԹՅՈՒՆԸ՝ «Ե»-«Զ» |
Հանգուցային «Զ» կետը, որը հանդիսանում է Ազատան, Բենիամին և Բայանդուր համայնքների տարածքների բաժանման կետ, սահմանագիծն անցնելով դեպի հյուսիս-արևելք և անցնելով 453.0մ հասնում է թիվ 1 կետին, որից հետո թեքվելով դեպի հյուսիս և անցնելով 295.0մ հասնում է ջրագծի եզրին: Որից հետո թեքվելով դեպի հյուսիս-արևելք՝ ջրագծով անցնելով 923.8մ հասնում է ջրագծի եզրի թիվ 2 կետին և կտրուկ թեքվելով դեպի հյուսիս՝ անցնելով 858.6մ հասնում է թիվ 3 կետին, այնուհետև, կտրուկ թեքվելով դեպի արևելք և անցնելով թիվ 4 կետով 902.9մ, հատում է Երևան-Գյումրի հանրապ. նշ. ճանապարհը, հասնում է բլրի գագաթի թիվ 5 կետին: Շարունակելով և քիչ թեքվելով դեպի հյուսիս-արևելք՝ անցնելով 6,7,8 կետերով 1958.8մ հասնում է 1625.5մ նիշ ունեցող «Շիշտեպե» եռանկյունաչափական «Ե» հանգուցային կետին:
|
ԱԶԱՏԱՆ ԵՎ ԲԱՅԱՆԴՈՒՐ ՀԱՄԱՅՆՔՆԵՐԻ ՄԻՋՀԱՄԱՅՆՔԱՅԻՆ ՍԱՀՄԱՆՆԵՐԻ ՆԿԱՐԱԳՐՈՒԹՅՈՒՆԸ` «Զ»-«Է» |
Հանգուցային «Է» կետը, որը հանդիսանում է Ազատան-Բայանդուր և Գետք համայնքների տարածքների բաժանման կետ, սահմանագիծն անցնելով հարավ-արևմուտք՝ 740.0մ հասնում է թիվ 1 կետին: Այնուհետև կտրուկ թեքվելով հարավ-արևելք, հատելով դաշտային ճանապարհը, անցնելով գագաթների վրայով 936.5մ հասնում է թիվ 2 կետին: Սահմանագիծը թեքվելով դեպի հարավ՝ անցնելով 446.6մ հասնում է թիվ 3 կետին և նորից թեքվելով դեպի արևելք՝ անցնելով 323.2մ հասնում է թիվ 4 կետին ու կրկին կտրուկ թեքվելով դեպի հարավ, հատելով ջրագիծը, անցնելով 340.0մ հասնում է «Զ» հանգուցային կետին:
ԱԶԱՏԱՆ ԵՎ ԳԵՏՔ ՀԱՄԱՅՆՔՆԵՐԻ ՄԻՋՀԱՄԱՅՆՔԱՅԻՆ ՍԱՀՄԱՆՆԵՐԻ ՆԿԱՐԱԳՐՈՒԹՅՈՒՆԸ՝ «Է»-«Ը»
Հանգուցային «Ը» կետը հանդիսանում է Ազատան, Գետք և Ղարիբջանյան համայնքների տարածքների բաժանման կետ, որը գտնվում է Կարկաչան գետի եզրին՝ անցնելով հարավ-արևելք, հատելով Երևան-Գյումրի երկաթգիծը, անցնելով 2620.0մ հասնում է գետի և Ազատան-Գուսանագյուղ միջհամայնքային ճանապարհի հատման տեղը: Սահմանագիծը թեքվելով հարավ-արևմուտք՝ անցնելով ճանապարհով 1423.87մ հասնում է «Է» հանգուցային կետին:
ԱԶԱՏԱՆ ԵՎ ՂԱՐԻԲՋԱՆՅԱՆ ՀԱՄԱՅՆՔՆԵՐԻ ՄԻՋՀԱՄԱՅՆՔԱՅԻՆ ՍԱՀՄԱՆՆԵՐԻ ՆԿԱՐԱԳՐՈՒԹՅՈՒՆԸ` «Ը»-«Թ»
Հանգուցային «Թ» կետը, որը հանդիսանում է Ազատան-Ղարիբջանյան համայնքների և Գյումրի քաղաքի տարածքների բաժանման կետ, սահմանագիծն անցնելով դեպի արևմուտք, հատելով երկաթգիծը, անցնելով 325.4մ հասնում է թիվ 1 կետին: Այնուհետև թեքվելով հարավ-արևմուտք՝ անցնելով թիվ 2, 3, 4, 5, 6, 7 կետերով 2072.25մ, հատելով երկաթգիծը, հասնում է Ղարիբջանյան-Ազատան միջհամայնքային ճանապարհի եզրին գտնվող թիվ 8 կետին, որից հետո սահմանագիծը չփոխելով ուղղությունը, հատելով ճանապարհը, անցնելով թիվ 9, 10 կետերով 912.28մ հասնում է առվի եզրին գտնվող թիվ 11 կետին, ապա սահմանագիծը թեքվելով դեպի հարավ-արևելք, հատելով առուն, անցնելով 219.24մ հասնում է «Ը» հանգուցային կետին:
ԱԶԱՏԱՆ ՀԱՄԱՅՆՔԻ ԵՎ ԳՅՈՒՄՐԻ ՔԱՂԱՔԻ ՄԻՋԵՎ ՍԱՀՄԱՆՆԵՐԻ ՆԿԱՐԱԳՐՈՒԹՅՈՒՆԸ՝ «Թ»-«Ա»
Հանգուցային «Ա» կետը, որը գտնվում է Գյումրի-Արթիկ երկաթուղու եզրին սահմանագիծն ուղղվելով հարավ-արևմուտք՝ անցնելով 122.1մ հասնում է Գյումրի - Արթիկ միջհամայնքային ճանապարհի եզրին գտնվող թիվ 1 կետին, ապա կտրուկ թեքվում է դեպի հյուսիս-արևմուտք՝ անցնելով ճանապարհով 159.0մ հասնում է ճանապարհի եզրին գտնվող թիվ 2 կետին, այնուհետև, սահմանագիծը թեքվում է դեպի հարավ-արևմուտք՝ անցնում է Գյումրի քաղաքի եզրով թիվ 3,4,5 կետերով հատում է ջրագիծը, այնուհետև, թիվ 6 կետով 611.5մ հասնում է թիվ 7 կետին, ապա փոխում է ուղղությունը դեպի հարավ-արևելք, անցնում է 72.0մ հասնում է թիվ 8 կետին, որից հետո նորից կտրուկ թեքվում է դեպի հարավ-արևմուտք, անցնում է 255.1մ հասնում է թիվ 9 կետին, սահմանագիծը քիչ թեքվելով դեպի արևմուտք, անցնելով 25.1մ հասնում է թիվ 10 կետին, այդտեղից փոխում է ուղղությունը դեպի հարավ-արևմուտք՝ անցնում է 195.9մ հասնում է թիվ 11 կետին: Թիվ 11 կետից թեքվում է դեպի հարավ-արևելք անցնում է թիվ 12 կետով 95.9մ հասնում է Ազատան - Ախուրյան միջհամայնքային ճանապարհի եզրին գտնվող թիվ 13 կետին, որից հետո թեքվում է դեպի հյուսիս-արևելք անցնում է միջհամայնքային ճանապարհով 321.6մ հասնում է նույն ճանապարհի եզրին գտնվող թիվ 14 կետին, ապա հատում է այդ ճանապարհը, ուղղվում դեպի հարավ-արևելք անցնում օդանավակայանի բանավանի եզրով 112.5մ հասնում է թիվ 15 կետին, որից հետո անցնելով բանավանի եզրով թիվ 16,17 կետերով 158.1մ հասնում է թիվ 18 կետին: Այդտեղից թեքվում է դեպի հյուսիս-արևելք անցնում Շիրակ օդանավակայանի եզրով թիվ 19,20,21,22 կետերով 778.0մ հասնում է Գյումրի-Արթիկ միջհամայնքային ճանապարհի եզրին գտնվող թիվ 23 կետին, ապա անցնում է այդ ճանապարհով դեպի հարավ-արևելք 299.2մ հասնում է այդ ճանապարհի եզրին գտնվող թիվ 24 կետին, որից հետո կտրուկ թեքվում է դեպի հարավ-արևմուտք անցնում է թիվ 25,26,27,28,29,30 կետերով օդանավակայանի եզրով 4050.8մ հասնում է թիվ 31 կետին, ապա թեքվում է դեպի արևմուտք անցնում է 64.0մ հասնում է թիվ 32 կետին, այդտեղից թեքվում դեպի հարավ-արևմուտք անցնում 270.4մ հասնում է թիվ 33 կետին, նորից սահմանագիծը թեքվում է դեպի արևմուտք, ապա հարավ անցնում թիվ 34,35,36 կետերով 519.6մ հասնում է թիվ 37 կետին: Թիվ 37 կետից սահմանագիծը թեքվում է դեպի արևմուտք անցնում 134.9մ հասնում է թիվ 38 կետին: Այդտեղից կտրուկ թեքվում է սահմանագիծը դեպի հյուսիս-արևելք, ապա թեքվում հյուսիս-արևմուտք անցնում օդանավակայանի եզրով թիվ 39 մինչև թիվ 61 կետերով 3059.1մ հասնում է Գյումրի-օդանավակայան գնացող ճանապարհի եզրին գտնվող թիվ 62 կետին, որից հետո սահմանագիծն անցնելով այդ ճանապարհով դեպի հյուսիս-արևելք թիվ 63,64,65 կետերով 321.3մ հասնում է նույն ճանապարհի եզրին գտնվող թիվ 66 կետին, ապա հատում է այդ ճանապարհը նորից անցնում է օդանավակայանի եզրով դեպի հյուսիս թիվ 66 մինչև թիվ 82 կետերով 1784.7մ հասնում է Ազատան-Ախուրյան միջհամայնքային ճանապարհի եզրին գտնվող թիվ 83 կետին, որից հետո սահմանագիծը կտրուկ թեքվում է դեպի հարավ-արևմուտք անցնում միջհամայնքային ճանապարհով թիվ 84 մինչև թիվ 88 կետերով 475.5մ հասնում է միջհամայնքային ճանապարհի եզրին գտնվող թիվ 89 կետին, ապա սահմանագիծը ուղղվում է դեպի հյուսիս-արևմուտք, հատում է երկաթգիծը, անցնում է թիվ 90 կետով 221.6մ հասնում է Գյումրի քաղաքի եզրին գտնվող թիվ 91 կետին: Թիվ 91 կետից սահմանագիծը կտրուկ թեքվում է դեպի հարավ-արևմուտք անցնում է Գյումրի քաղաքի եզրով թիվ 91 մինչև թիվ 99 կետերով 1531.7մ հասնում է շինբազայի եզրին գտնվող 100 կետին, որից հետո կտրուկ թեքվում է դեպի հյուսիս-արևմուտք հատում է Երևան-Գյումրի հանրապ. նշ. ունեցող ճանապարհը, ապա Երևան-Գյումրի երկաթգիծը, անցնում թիվ 101 կետով 218.6մ հասնում է երկաթգծի եզրին գտնվող թիվ 102 կետին, այնուհետև, սահմանագիծը կտրուկ թեքվում դեպի հարավ-արևմուտք՝ անցնում երկաթգծով 620.7մ հասնում է երկաթգծի եզրին գտնվող «Թ» հանգուցային կետին:
|
Հայաստանի Հանրապետության |
Մ. Թոփուզյան |
|
Հավելված N 4 |
ՀԱՅԱՍՏԱՆԻ ՀԱՆՐԱՊԵՏՈՒԹՅԱՆ ՇԻՐԱԿԻ ՄԱՐԶԻ ՀԱՑԻԿ ՀԱՄԱՅՆՔԻ ՎԱՐՉԱԿԱՆ ՍԱՀՄԱՆՆԵՐԻ ՀԱՏԱԿԱԳԻԾԸ
|
Հայաստանի Հանրապետության |
Մ. Թոփուզյան |
|
Հավելված N 4ա |
ՇԻՐԱԿԻ ՄԱՐԶԻ ՀԱՑԻԿ ՀԱՄԱՅՆՔԻ ՎԱՐՉԱԿԱՆ ՍԱՀՄԱՆՆԵՐԻ ՆԿԱՐԱԳՐՈՒԹՅՈՒՆԸ
Հացիկ համայնքը գտնվում է մարզի հյուսիս-արևելյան մասում:
Հեռավորությունը մարզկենտրոն ք. Գյումրիից մոտ 8 կմ է:
Համայնքի ընդհանուր տարածությունը 1212.0 հա:
Համայնքը հյուսիսից «Ա»-«Բ» հատվածով սահմանակից է Կարմրաքար համայնքին, արևելքից «Բ»-«Գ» հատվածով` Շիրակ համայնքին, հարավից և արևմուտքից «Գ»-«Դ» հատվածով` Գյումրի քաղաքին, արևմուտքից «Դ»-«Ա» հատվածով` Մայիսյան համայնքին:
ՀԱՑԻԿ ԵՎ ԿԱՐՄՐԱՔԱՐ ՀԱՄԱՅՆՔՆԵՐԻ ՄԻՋՀԱՄԱՅՆՔԱՅԻՆ ՍԱՀՄԱՆՆԵՐԻ ՆԿԱՐԱԳՐՈՒԹՅՈՒՆԸ՝ «Ա»-«Բ»
Հացիկ, Կարմրաքար և Մայիսյան համայնքների տարածքների բաժանման «Ա» հանգուցային կետից սահմանագիծը 352.7մ անցնելով դեպի արևելք, հասնում է թիվ 1 կետին, որից հետո թեքվում է հյուսիս-արևելք և անցնելով 459.5մ հասնում է թիվ 2 կետին, այնուհետև, թեքվելով հարավ-արևելք և անցնելով 164.0մ հասնում է 1850մ նիշ ունեցող թիվ 3 գագաթը, շարունակվելով ևս 393.8մ նույն ուղղությամբ հարավ - արևելք հասնում է թիվ 4 կետին, որից հետո կտրուկ թեքվելով արևելք, անցնելով թիվ 5 կետի վրայով, շարունակվելով նույն ուղղությամբ, հատելով Հացիկ-Կարմրաքար միջհամայնքային ճանապարհը, այնուհետև, կրակադաշտն ու ձորակը և անցնելով 910.8մ հասնում է թիվ 6 կետին, որը գտնվում է գագաթի վրա: Կրկին շարունակվելով նույն ուղղությամբ դեպի արևելք, հատելով ձորը և անցնելով 430.5մ հասնում է թիվ 7 կետը, որից հետո քիչ թեքվելով դեպի հյուսիս-արևելք և անցնելով 197.3մ հասնում է թիվ 8 կետին, շարունակվելով նույն ուղղությամբ և անցնելով 185.0մ հասնում է թիվ 9 կետը: Այդտեղից սահմանագիծը թեքվելով դեպի հարավ-արևելք, անցնելով 90.3մ հասնում է «Բ» հանգուցային կետին, որը հանդիսանում է Հացիկ, Կարմրաքար և Շիրակ համայնքների տարածքների բաժանման կետ:
ՀԱՑԻԿ ԵՎ ՇԻՐԱԿ ՀԱՄԱՅՆՔՆԵՐԻ ՄԻՋՀԱՄԱՅՆՔԱՅԻՆ ՍԱՀՄԱՆՆԵՐԻ ՆԿԱՐԱԳՐՈՒԹՅՈՒՆԸ՝ «Բ»-«Գ»
Հանգուցային «Բ» կետից սահմանագիծն իջնելով դեպի հարավ-արևմուտք 116.2մ հասնում է թիվ 1 կետին: Շարունակվելով նույն ուղղությամբ և հատելով երկաթգիծը անցնելով 329.4մ հասնում է երկաթգծի եզրի թիվ 2 կետին, որից հետո նույն ուղղությամբ անցնելով թիվ 3 կետով 610.6մ հատում է Ջիր ջրանցքը և հասնում Շիրակ-Հացիկ միջհամայնքային ճանապարհի եզրին գտնվող թիվ 4 կետին: Սահմանագիծը շարունակելով նույն ուղղությամբ անցնելով 609.0մ հասնում է թիվ 5 կետին, որից հետո նույն ուղղությամբ անցնելով թիվ 6,7,8 կետերով 1385.9մ հասնում է թիվ 9 կետին թեքվելով հարավ-արևմուտք՝ անցնելով թիվ 10,11,12,13,14,15 կետերով հատելով Գյումրի-Ախուրյան շրջանցող ճանապարհը, շարունակելով անցնել թիվ 16,17,18 կետերով 1331.9մ հասնում է ձորի եզրին գտնվող թիվ 19 կետին: Այդտեղից կտրուկ թեքվելով հարավ՝ անցնելով թիվ 20 կետով 208.0մ միանում է խճուղու եզրի «Գ» հանգուցային կետին, որը հանդիսանում է Հացիկ և Շիրակ համայնքների, Գյումրի քաղաքի և Կրաշեն համայնքի II հատվածի տարածքների բաժանման կետ:
ՀԱՑԻԿ ՀԱՄԱՅՆՔԻ ԵՎ ԳՅՈՒՄՐԻ ՔԱՂԱՔԻ ՄԻՋԵՎ ՍԱՀՄԱՆՆԵՐԻ ՆԿԱՐԱԳՐՈՒԹՅՈՒՆԸ՝ «Գ»-«Դ»
Առվի եզրին գտնվող «Դ» հանգուցային կետից, որը հանդիսանում է Հացիկ, Մայիսյան համայնքների և Գյումրի քաղաքի տարածքների բաժանման կետ: Սահմանագիծն իջնելով դեպի հարավ անցնելով 255.2մ հասնում է թիվ 1 կետին, քիչ թեքվելով հարավ-արևելք, անցնելով 374.5մ հասնում է սահմանային առվի եզրին գտնվող թիվ 2 կետին, որից հետո կտրուկ թեքվելով արևելք, առվով անցնելով 1550.0մ հասնում է Գյումրի-Սպիտակ երկաթուղուն, հատում այն, այնուհետև, շարունակվելով նույն ուղղությամբ, հատում Գյումրի-Հացիկ միջհամայնքային ճանապարհը և անցնելով 1160.0մ հասնում է «Գ» հանգուցային կետին:
ՀԱՑԻԿ ԵՎ ՄԱՅԻՍՅԱՆ ՀԱՄԱՅՆՔՆԵՐԻ ՄԻՋՀԱՄԱՅՆՔԱՅԻՆ ՍԱՀՄԱՆՆԵՐԻ ՆԿԱՐԱԳՐՈՒԹՅՈՒՆԸ՝ «Դ»-«Ա»
«Ա» հանգուցային կետից սահմանագիծը թեքվելով հարավ-արևմուտք և անցնելով 321.6մ հասնում է բարձունքին գտնվող թիվ 1 կետին, այնուհետև, կտրուկ թեքվելով հարավ, հատում է Գյումրի-Թբիլիսի երկաթուղին, ապա Շիրակի ջրանցքը, այնուհետև, Հացիկ-Մայիսյան միջհամայնքային ճանապարհը և անցնելով 1112.0մ հասնում է Հացիկ-Մայիսյան միջհամայնքային ճանապարհի եզրին գտնվող թիվ 2 կետին: Շարունակվելով նույն ուղղությամբ հատում է Թբիլիսի-Գյումրի երկաթուղին, անցնելով թիվ 3,4,5 կետերով 1324.8մ հասնում է թիվ 6 կետին, որից հետո շարունակվելով նույն ուղղությամբ և հատելով Գյումրի քաղաքի նոր կառուցվող շրջանցող ճանապարհը, անցնելով 421.5մ հասնում է թիվ 7 կետին ու նորից քիչ թեքվելով հարավ-արևմուտք՝ անցնելով 533.9մ հասնում է առվի եզրին գտնվող «Դ» հանգուցային կետին:
|
Հայաստանի Հանրապետության |
Մ. Թոփուզյան |
|
Հավելված N 5 |
ՀԱՅԱՍՏԱՆԻ ՀԱՆՐԱՊԵՏՈՒԹՅԱՆ ՇԻՐԱԿԻ ՄԱՐԶԻ ՀՈՎՈՒՆԻ ՀԱՄԱՅՆՔԻ ՎԱՐՉԱԿԱՆ ՍԱՀՄԱՆՆԵՐԻ ՀԱՏԱԿԱԳԻԾԸ
|
Հայաստանի Հանրապետության |
Մ. Թոփուզյան |
|
Հավելված N 5ա |
ՇԻՐԱԿԻ ՄԱՐԶԻ ՀՈՎՈՒՆԻ ՀԱՄԱՅՆՔԻ ՎԱՐՉԱԿԱՆ ՍԱՀՄԱՆՆԵՐԻ ՆԿԱՐԱԳՐՈՒԹՅՈՒՆԸ
Հովունի համայնքը գտնվում է մարզի հյուսիս-արևմտյան մասում:
Հեռավորությունը մարզկենտրոն ք. Գյումրիից մոտավորապես 8.0 կմ է:
Համայնքի ընդհանուր տարածությունը 1143.87 հա:
Հովունի համայնքը բաղկացած է երկու հատվածից, որոնք գտնվում են իրարից 2.5 կմ հեռավորության վրա:
Հովունի համայնքը հյուսիսից «Ա»-«Բ» հատվածով սահմանակից է Հողմիկ համայնքին, արևելքից «Բ»-«Գ» հատվածով` Մայիսյան համայնքին, հարավից «Գ»-«Դ» հատվածով` Մարմաշեն համայնքին, հարավից և արևմուտքից «Դ»-«Ե» հատվածով` Վահրամաբերդ համայնքին, հյուսիս-արևմուտքից «Ե»-«Զ» հատվածով` Կապս համայնքին, «Զ»-«Ա» հատվածով` Ջրաձոր համայնքին:
Հողօգտագործության II հատվածը հյուսիսից «Է»-«Ը» հատվածով` սահմանակից է Մարմաշեն համայնքին, հյուսիսային և արևելյան «Ը»-«Թ» հատվածով` Մայիսյան համայնքին, հարավային «Թ»-«Ժ» հատվածով` Գյումրի քաղաքին, արևմտյան «Ժ»-«Է» հատվածով` Վահրամաբերդ համայնքի II հատվածին:
ՀՈՎՈՒՆԻ ԵՎ ՀՈՂՄԻԿ ՀԱՄԱՅՆՔՆԵՐԻ ՄԻՋՀԱՄԱՅՆՔԱՅԻՆ ՍԱՀՄԱՆՆԵՐԻ ՆԿԱՐԱԳՐՈՒԹՅՈՒՆԸ՝ «Ա»-«Բ»
Հովունի, Հողմիկ և Ջրաձոր համայնքների տարածքների բաժանման «Ա» հանգուցային կետից սահմանագիծը թեքվելով դեպի հարավ-արևելք՝ անցնելով սարի գագաթի թիվ 1 կետով 536.0մ հասնում է սարի գագաթի վրա գտնվող թիվ 2 կետին: Այդտեղից կտրուկ թեքվելով հյուսիս-արևելք՝ անցնելով 466.7մ հասնում է «Բ» հանգուցային կետին, որը հանդիսանում է Հովունի, Հողմիկ և Մայիսյան համայնքների տարածքների բաժանման կետ:
ՀՈՎՈՒՆԻ ԵՎ ՄԱՅԻՍՅԱՆ ՀԱՄԱՅՆՔՆԵՐԻ ՄԻՋՀԱՄԱՅՆՔԱՅԻՆ ՍԱՀՄԱՆՆԵՐԻ ՆԿԱՐԱԳՐՈՒԹՅՈՒՆԸ՝ «Բ»-«Գ»
Հյուսիս-արևելյան «Բ» հանգուցային կետից սահմանագիծը ձորով անցնելով հարավ 1879.5մ հասնում է թիվ 1 կետին, այնուհետև, թեքվելով դեպի հարավ-արևելք՝ հատելով ձորը և անցնելով 278.7մ հասնում է թիվ 2 կետին, որից հետո կտրուկ թեքվելով դեպի հարավ՝ անցնելով 402.6մ հասնում է ձորի եզրի թիվ 3 կետին, ձորով նույն ուղղությամբ շարունակվելով և հատելով Կապսի ջրանցքը, անցնելով 2152.1մ հասնում է Հովունի-Մայիսյան միջհամայնքային ճանապարհի և ձորի եզրին գտնվող թիվ 4 կետին ու նորից թեքվելով դեպի արևմուտք՝ ճանապարհով անցնելով 43.2մ հասնում է թիվ 5 կետին, որից հետո թեքվելով դեպի հյուսիս-արևմուտք՝ ճանապարհով անցնելով 242.3մ հասնում է ճանապարհի եզրի թիվ 6 կետին, այնուհետև, կտրուկ թեքվելով դեպի արևմուտք և անցնելով 255.9մ հասնում է թիվ 7 կետին, շարունակվելով թեքվել դեպի հարավ և անցնելով 109.0մ հասնում է «Գ» հանգուցային կետին, որը հանդիսանում է Հովունի, Մայիսյան համայնքների և Մարմաշեն համայնքի II հատվածի տարածքների բաժանման կետ:
ՀՈՎՈՒՆԻ ԵՎ ՄԱՐՄԱՇԵՆ ՀԱՄԱՅՆՔՆԵՐԻ ՄԻՋՀԱՄԱՅՆՔԱՅԻՆ ՍԱՀՄԱՆՆԵՐԻ ՆԿԱՐԱԳՐՈՒԹՅՈՒՆԸ՝ «Գ»-«Դ»
ՀՈՎՈՒՆԻ ԵՎ ՎԱՀՐԱՄԱԲԵՐԴ ՀԱՄԱՅՆՔՆԵՐԻ ՄԻՋՀԱՄԱՅՆՔԱՅԻՆ ՍԱՀՄԱՆՆԵՐԻ ՆԿԱՐԱԳՐՈՒԹՅՈՒՆԸ՝ «Դ»-«Ե»
ՀՈՎՈՒՆԻ ԵՎ ԿԱՊՍ ՀԱՄԱՅՆՔՆԵՐԻ ՄԻՋՀԱՄԱՅՆՔԱՅԻՆ ՍԱՀՄԱՆՆԵՐԻ ՆԿԱՐԱԳՐՈՒԹՅՈՒՆԸ՝ «Ե»-«Զ»
ՀՈՎՈՒՆԻ ԵՎ ՋՐԱՁՈՐ ՀԱՄԱՅՆՔՆԵՐԻ ՄԻՋՀԱՄԱՅՆՔԱՅԻՆ ՍԱՀՄԱՆՆԵՐԻ ՆԿԱՐԱԳՐՈՒԹՅՈՒՆԸ՝ «Զ»-«Ա»
ՀՈՎՈՒՆԻ ՀԱՄԱՅՆՔԻ II ՀԱՏՎԱԾԻ ԵՎ ՄԱՐՄԱՇԵՆ ՀԱՄԱՅՆՔԻ ՄԻՋՀԱՄԱՅՆՔԱՅԻՆ ՍԱՀՄԱՆՆԵՐԻ ՆԿԱՐԱԳՐՈՒԹՅՈՒՆԸ՝ «Է»-«Ը»
ՀՈՎՈՒՆԻ ՀԱՄԱՅՆՔԻ II ՀԱՏՎԱԾԻ ԵՎ ՄԱՅԻՍՅԱՆ ՀԱՄԱՅՆՔԻ ՄԻՋԵՎ ՍԱՀՄԱՆՆԵՐԻ ՆԿԱՐԱԳՐՈՒԹՅՈՒՆԸ՝ «Ը»-«Թ»
ՀՈՎՈՒՆԻ ՀԱՄԱՅՆՔԻ II ՀԱՏՎԱԾԻ ԵՎ ԳՅՈՒՄՐԻ ՔԱՂԱՔԻ ՄԻՋԵՎ ՍԱՀՄԱՆՆԵՐԻ ՆԿԱՐԱԳՐՈՒԹՅՈՒՆԸ՝ «Թ»-«Ժ»
ՀՈՎՈՒՆԻ ԵՎ ՎԱՀՐԱՄԱԲԵՐԴ ՀԱՄԱՅՆՔՆԵՐԻ II ՀԱՏՎԱԾՆԵՐԻ ՄԻՋԵՎ ՍԱՀՄԱՆՆԵՐԻ ՆԿԱՐԱԳՐՈՒԹՅՈՒՆԸ՝ «Ժ»-«Է»
|
Հայաստանի Հանրապետության |
Մ. Թոփուզյան |
|
|
ՀԱՅԱՍՏԱՆԻ ՀԱՆՐԱՊԵՏՈՒԹՅԱՆ ՇԻՐԱԿԻ ՄԱՐԶԻ ԿԱՐՄՐԱՔԱՐ ՀԱՄԱՅՆՔԻ ՎԱՐՉԱԿԱՆ ՍԱՀՄԱՆՆԵՐԻ ՀԱՏԱԿԱԳԻԾԸ
|
|
Մ. Թոփուզյան |
|
|
ՇԻՐԱԿԻ ՄԱՐԶԻ ԿԱՐՄՐԱՔԱՐ ՀԱՄԱՅՆՔԻ ՎԱՐՉԱԿԱՆ ՍԱՀՄԱՆՆԵՐԻ ՆԿԱՐԱԳՐՈՒԹՅՈՒՆԸ
Համայնքի հեռավորությունը մարզկենտրոն ք. Գյումրիից 10.0 կմ է:
Համայնքի ընդհանուր տարածությունը կազմում է 971.9 հա:
Համայնքը բաղկացած է երկու հատվածից:
Համայնքը հյուսիսից «Ա»-«Բ» հատվածով սահմանակից է Արփենի համայնքին, արևելքից «Բ»-«Գ» հատվածով՝ Մեծ Սարիար համայնքին, «Գ»-«Դ» հատվածով` Լեռնուտ համայնքին, հարավ-արևելքից «Դ»-«Ե» հատվածով՝ Շիրակ համայնքին, հարավից «Ե»-«Զ» հատվածով` Հացիկ համայնքին, արևմուտքից «Զ»-«Է» հատվածով՝ Մայիսյան համայնքին, «Է»-«Ը» հատվածով` Քեթի համայնքին, հյուսիս-արևմուտքից «Ը»-«Ա» հատվածով՝ Փոքրաշեն համայնքին:
Հողօգտագործության II հատվածը հյուսիս-արևելքից «Թ»-«Ժ» հատվածով՝ Մայիսյան համայնքին, հարավից «Ժ»-«Ի» հատվածով՝ Գյումրի քաղաքին, արևմուտքից «Ի»-«Թ» հատվածով՝ Քեթի համայնքի II հատվածին:
ԿԱՐՄՐԱՔԱՐ ԵՎ ԱՐՓԵՆԻ ՀԱՄԱՅՆՔՆԵՐԻ ՄԻՋՀԱՄԱՅՆՔԱՅԻՆ ՍԱՀՄԱՆՆԵՐԻ ՆԿԱՐԱԳՐՈՒԹՅՈՒՆԸ՝ «Ա»-«Բ»
Կարմրաքար, Արփենի և Փոքրաշեն համայնքների տարածքների բաժանման «Ա» հանգուցային կետից սահմանագիծը ջրբաժանով ուղղվում է հարավ-արևելք՝ անցնելով 487.3մ հասնում է լեռան վրա գտնվող Կարմրաքար, Արփենի և Մեծ Սարիար համայնքների տարածքների բաժանման «Բ» հանգուցային կետին:
ԿԱՐՄՐԱՔԱՐ ԵՎ ՄԵԾ ՍԱՐԻԱՐ ՀԱՄԱՅՆՔՆԵՐԻ ՄԻՋՀԱՄԱՅՆՔԱՅԻՆ ՍԱՀՄԱՆՆԵՐԻ ՆԿԱՐԱԳՐՈՒԹՅՈՒՆԸ՝ «Բ»-«Գ»
ԿԱՐՄՐԱՔԱՐ ԵՎ ԼԵՌՆՈՒՏ ՀԱՄԱՅՆՔՆԵՐԻ ՄԻՋՀԱՄԱՅՆՔԱՅԻՆ ՍԱՀՄԱՆՆԵՐԻ ՆԿԱՐԱԳՐՈՒԹՅՈՒՆԸ՝ «Գ»-«Դ»
ԿԱՐՄՐԱՔԱՐ ԵՎ ՇԻՐԱԿ ՀԱՄԱՅՆՔՆԵՐԻ ՄԻՋՀԱՄԱՅՆՔԱՅԻՆ ՍԱՀՄԱՆՆԵՐԻ ՆԿԱՐԱԳՐՈՒԹՅՈՒՆԸ՝ «Դ»-«Ե»
ԿԱՐՄՐԱՔԱՐ ԵՎ ՀԱՑԻԿ ՀԱՄԱՅՆՔՆԵՐԻ ՄԻՋՀԱՄԱՅՆՔԱՅԻՆ ՍԱՀՄԱՆՆԵՐԻ ՆԿԱՐԱԳՐՈՒԹՅՈՒՆԸ՝ «Ե»-«Զ»
ԿԱՐՄՐԱՔԱՐ ԵՎ ՄԱՅԻՍՅԱՆ ՀԱՄԱՅՆՔՆԵՐԻ ՄԻՋՀԱՄԱՅՆՔԱՅԻՆ ՍԱՀՄԱՆՆԵՐԻ ՆԿԱՐԱԳՐՈՒԹՅՈՒՆԸ՝ «Զ»-«Է»
ԿԱՐՄՐԱՔԱՐ ԵՎ ՔԵԹԻ ՀԱՄԱՅՆՔՆԵՐԻ ՄԻՋՀԱՄԱՅՆՔԱՅԻՆ ՍԱՀՄԱՆՆԵՐԻ ՆԿԱՐԱԳՐՈՒԹՅՈՒՆԸ՝ «Է»-«Ը»
ԿԱՐՄՐԱՔԱՐ ԵՎ ՓՈՔՐԱՇԵՆ ՀԱՄԱՅՆՔՆԵՐԻ ՄԻՋՀԱՄԱՅՆՔԱՅԻՆ ՍԱՀՄԱՆՆԵՐԻ ՆԿԱՐԱԳՐՈՒԹՅՈՒՆԸ՝ «Ը»-«Ա»
ԿԱՐՄՐԱՔԱՐ ՀԱՄԱՅՆՔԻ II ՀԱՏՎԱԾԻ ԵՎ ՄԱՅԻՍՅԱՆ ՀԱՄԱՅՆՔԻ ՄԻՋԵՎ ՍԱՀՄԱՆՆԵՐԻ ՆԿԱՐԱԳՐՈՒԹՅՈՒՆԸ՝ «Թ»-«Ժ»
ԿԱՐՄՐԱՔԱՐ ՀԱՄԱՅՆՔԻ II ՀԱՏՎԱԾԻ ԵՎ ԳՅՈՒՄՐԻ ՔԱՂԱՔԻ ՄԻՋԵՎ ՍԱՀՄԱՆՆԵՐԻ ՆԿԱՐԱԳՐՈՒԹՅՈՒՆԸ՝ «Ժ»-«Ի»
ԿԱՐՄՐԱՔԱՐ ԵՎ ՔԵԹԻ ՀԱՄԱՅՆՔՆԵՐԻ II ՀԱՏՎԱԾՆԵՐԻ ՄԻՋԵՎ ՍԱՀՄԱՆՆԵՐԻ ՆԿԱՐԱԳՐՈՒԹՅՈՒՆԸ՝ «Ի»-«Թ»
|
Հայաստանի Հանրապետության |
Մ. Թոփուզյան |
|
|
ՀԱՅԱՍՏԱՆԻ ՀԱՆՐԱՊԵՏՈՒԹՅԱՆ ՇԻՐԱԿԻ ՄԱՐԶԻ ԿՐԱՇԵՆ ՀԱՄԱՅՆՔԻ ՎԱՐՉԱԿԱՆ ՍԱՀՄԱՆՆԵՐԻ ՀԱՏԱԿԱԳԻԾԸ
|
Հայաստանի Հանրապետության |
Մ. Թոփուզյան |
|
Հավելված N 7ա |
ՇԻՐԱԿԻ ՄԱՐԶԻ ԿՐԱՇԵՆ ՀԱՄԱՅՆՔԻ ՎԱՐՉԱԿԱՆ ՍԱՀՄԱՆՆԵՐԻ ՆԿԱՐԱԳՐՈՒԹՅՈՒՆԸ
Կրաշեն համայնքը գտնվում է մարզի հյուսիս-արևելյան մասում:
Հեռավորությունը մարզկենտրոն ք. Գյումրիից 16 կմ է:
Կրաշեն համայնքն ունի երկու հատված:
Կրաշեն համայնքը և Կրաշեն համայնքի II հատվածը գտնվում են իրարից 14 կմ հեռավորության վրա: Համայնքի ընդհանուր տարածությունը կազմում է 1376.8 հա:
Համայնքը հյուսիս-արևելքից «Ա»-«Բ» հատվածով սահմանակից է Փ. Սարիար համայնքին, արևելյան «Բ»-«Գ» հատվածով` Կաքավասար համայնքին, արևելյան և հարավային «Գ»-«Դ» հատվածով` Ջաջուռ համայնքին, արևմտյան և հյուսիսային «Դ»-«Ե» հատվածով` Մ. Սարիար համայնքին, «Ե»-«Զ» հատվածով` Ջաջուռ Կայարան համայնքին, արևմտյան և հյուսիսային «Զ»-«Ա» հատվածով` Մ. Սարիար համայնքին:
Հողօգտագործության համայնքի II հատվածը հյուսիս-արևելքից «Է»-«Ը» հատվածով սահմանակից է Շիրակ համայնքին, հարավ-արևելքից «Ը»-«Թ» հատվածով` Ջաջուռ համայնքի II հատվածին, հարավ-արևմուտքից «Թ»-«Ժ» հատվածով` Լեռնուտ համայնքի II հատվածին, հյուսիս-արևմուտքից «Ժ»-«Է» հատվածով` Գյումրի քաղաքին:
ԿՐԱՇԵՆ ԵՎ Փ. ՍԱՐԻԱՐ ՀԱՄԱՅՆՔՆԵՐԻ ՄԻՋՀԱՄԱՅՆՔԱՅԻՆ ՆԿԱՐԱԳՐՈՒԹՅՈՒՆԸ՝ «Ա»-«Բ»
«Ա» հանգուցային կետը, որը հանդիսանում է Կրաշեն, Փ. Սարիար և Մ. Սարիար համայնքների տարածքների բաժանման կետ, սահմանագիծն անցնելով 58.7մ դեպի արևելք հասնում է թիվ 1 կետին, որից հետո քիչ թեքվելով հարավ-արևելք՝ անցնելով 307.9մ հասնում է թիվ 2 կետին, կտրուկ թեքվելով դեպի հարավ՝ անցնելով թիվ 3 կետով 282.7մ հասնում է թիվ 4 կետին, այնուհետև, շարունակվելով անցնելով դեպի արևելք թիվ 5 կետով 464.5մ հասնում է «Բ» հանգուցային կետին, որը հանդիսանում է Կրաշեն, Փ. Սարիար և Կաքավասար համայնքների տարածքների բաժանման կետ:
ԿՐԱՇԵՆ ԵՎ ԿԱՔԱՎԱՍԱՐ ՀԱՄԱՅՆՔՆԵՐԻ ՄԻՋՀԱՄԱՅՆՔԱՅԻՆ ՍԱՀՄԱՆՆԵՐԻ ՆԿԱՐԱԳՐՈՒԹՅՈՒՆԸ՝ «Բ»-«Գ»
«Բ» հանգուցային կետից սահմանագիծն անցնելով դեպի հարավ 219.0մ հասնում է «Գ» հանգուցային կետին, որը հանդիսանում է Կրաշեն, Կաքավասար և Ջաջուռ համայնքների տարածքների բաժանման կետ:
ԿՐԱՇԵՆ ԵՎ ՋԱՋՈՒՌ ՀԱՄԱՅՆՔՆԵՐԻ ՄԻՋՀԱՄԱՅՆՔԱՅԻՆ ՍԱՀՄԱՆՆԵՐԻ ՆԿԱՐԱԳՐՈՒԹՅՈՒՆԸ՝ «Գ»-«Դ»
«Գ» հանգուցային կետից սահմանագիծն իջնելով դեպի հարավ՝ անցնելով 245.0մ հասնում է թիվ 1 կետին, որը գտնվում է սարի գագաթին, այնուհետև, թեքվելով հարավ-արևելք և անցնելով թիվ 2 կետով 465.5մ հասնում է թիվ 3 կետին, նորից թեքվելով հարավ և անցնելով 338.5մ հատելով դաշտային ճանապարհը հասնում է թիվ 4 կետին: Թիվ 4 կետից սահմանագիծը կտրուկ թեքվելով հարավ-արևմուտք՝ անցնելով 350.4մ հասնում է թիվ 5 կետին: Թիվ 5 կետից սահմանագիծը թեքվելով դեպի արևմուտք՝ անցնելով 207.8մ հասնում է «Մարալդագ» կոչվող թիվ 6 եռանկյունաչափական կետին, որից հետո քիչ թեքվելով հարավ-արևմուտք՝ անցնելով 72.0մ հասնում է թիվ 7 կետին, նորից թեքվելով դեպի հարավ-արևմուտք և անցնելով 365.0մ հասնում է թիվ 8 կետին: Այնուհետև կտրուկ թեքվելով դեպի հարավ՝ անցնելով թիվ 9 կետով 605.5մ հասնում է թիվ 10 կետին, քիչ թեքվելով դեպի հարավ-արևելք՝ անցնելով 90.3մ հասնում է թիվ 11 կետին, նորից թեքվելով դեպի հարավ՝ անցնելով թիվ 12 կետով 603.2մ հասնում է թիվ 13 կետին, որը գտնվում է Գյումրի-Սպիտակ հանրապետական նշանակության ճանապարհի եզրին: Այդ կետից սահմանագիծն անցնում է Գյումրի-Սպիտակ հանրապետական նշանակության ճանապարհով 627.5մ դեպի արևմուտք հասնում է ձորի և ճանապարհի հատման թիվ 14 կետին: Այնուհետև ձորով սահմանագիծն իջնում է դեպի հարավ 343.0մ հասնում է ձորի և Գյումրի-Սպիտակ հանրապետական նշանակության ճանապարհի հատման տեղում թիվ 15 կետին: Թիվ 15 կետից սահմանագիծը թեքվելով արևմուտք և անցնելով Գյումրի-Սպիտակ հանրապետական նշանակության ճանապարհով հատելով Գյումրի-Սպիտակ երկաթգիծը և ձորը 2354.1մ հասնում է թիվ 16 կետին: Այնուհետև, թեքվելով հյուսիս-արևմուտք՝ անցնելով 165.6մ հասնում է թիվ 17 կետին, որից հետո սահմանագիծը քիչ թեքվելով և անցնելով նույն ուղղությամբ հատելով միջգյուղյա ճանապարհները և ձորը անցնելով թիվ 18 կետով 1168.9մ հասնում է ձորի եզրին գտնվող թիվ 19 կետին: Ապա թեքվելով դեպի հյուսիս՝ անցնելով ձորով 293.2մ հատելով Գյումրի-Սպիտակ երկաթգիծը հասնում է «Դ» հնագուցային կետին, որը հանդիսանում է Կրաշեն, Ջաջուռ և Մ. Սարիար համայնքների տարածքների բաժանման կետ:
ԿՐԱՇԵՆ ԵՎ Մ. ՍԱՐԻԱՐ ՀԱՄԱՅՆՔՆԵՐԻ ՄԻՋՀԱՄԱՅՆՔԱՅԻՆ ՍԱՀՄԱՆՆԵՐԻ ՆԿԱՐԱԳՐՈՒԹՅՈՒՆԸ՝ «Դ»-«Ե»
«Ե» հանգուցային կետը, որը հանդիսանում է Կրաշեն, Մ. Սարիար և Ջաջուռ Կայարան համայնքների տարածքների բաժանման կետ, սահմանագիծն այդտեղից թեքվելով դեպի արևմուտք և երկաթգծով անցնելով 400.7մ հասնում է «Դ» հանգուցային կետին:
ԿՐԱՇԵՆ ԵՎ ՋԱՋՈՒՌ ԿԱՅԱՐԱՆ ՀԱՄԱՅՆՔՆԵՐԻ ՄԻՋՀԱՄԱՅՆՔԱՅԻՆ ՍԱՀՄԱՆՆԵՐԻ ՆԿԱՐԱԳՐՈՒԹՅՈՒՆԸ՝ «Ե»-«Զ»
«Զ» հանգուցային կետը, որը հանդիսանում է Կրաշեն, Ջաջուռ Կայարան և Մ. Սարիար համայնքների տարածքների բաժանման կետ, սահմանագիծը թեքվելով դեպի հարավ՝ անցնելով բնակավայրի եզրով հատելով Գյումրի-Սպիտակ երկաթգիծը, դաշտային ճանապարհները, ապա թեքվելով դեպի արևմուտք՝ անցնելով պահուստային վարելահողերի և բնակավայրի եզրով թեքվելով հյուսիս, նորից հատելով Գյումրի-Սպիտակ երկաթգիծը և անցնում է 2960.0մ հասնում է «Ե» հանգուցային կետին, որը գտնվում է երկաթգծի եզրին:
ԿՐԱՇԵՆ ԵՎ Մ. ՍԱՐԻԱՐ ՀԱՄԱՅՆՔՆԵՐԻ ՄԻՋՀԱՄԱՅՆՔԱՅԻՆ ՍԱՀՄԱՆՆԵՐԻ ՆԿԱՐԱԳՐՈՒԹՅՈՒՆԸ՝ «Զ»-«Ա»
«Ա» հանգուցային կետից, սահմանագիծը թեքվելով դեպի արևմուտք՝ անցնելով 568.0մ հասնում է թիվ 1 կետին, որը գտնվում է սարի գագաթին, որից հետո քիչ թեքվելով հյուսիս-արևմուտք և անցնելով թիվ 2 կետով 549.1մ հասնում է թիվ 3 կետին: Թիվ 3 կետից սահմանագիծը թեքվելով դեպի արևմուտք՝ անցնելով թիվ 4 կետով բարձունքների վրայով 402.9մ հասնում է թիվ 5 կետին, այնուհետև, թեքվելով հյուսիս-արևմուտք և անցնելով թիվ 6 կետով 644.1մ հասնում է թիվ 7 կետին: Որից հետո թեքվում է դեպի արևմուտք և անցնելով թիվ 8 կետով 727.2մ հասնում է թիվ 9 կետին, որը գտնվում է կրի հանքեր գնացող ճանապարհի եզրին: Այդտեղից սահմանագիծը ճանապարհով թեքվելով դեպի հարավ և անցնելով 1850.0մ հատվում է ձորին, այնուհետև, ձորով շարունակվելով նույն ուղղությամբ հատելով կրի հանքեր գնացող գրունտային ճանապարհն անցնելով 1989.6մ հասնում է «Զ» հանգուցային կետին:
ԿՐԱՇԵՆ ՀԱՄԱՅՆՔԻ II ՀԱՏՎԱԾԻ ԵՎ ՇԻՐԱԿ ՀԱՄԱՅՆՔԻ ՄԻՋԵՎ ՍԱՀՄԱՆՆԵՐԻ ՆԿԱՐԱԳՐՈՒԹՅՈՒՆԸ՝ «Է»-«Ը»
Գյումրի-Սպիտակ հանրապետական նշանակության ճանապարհի և ձորի հատման տեղում գտնվող «Է» հանգուցային կետը, որը հանդիսանում է Կրաշեն համայնքի II հատվածի, Շիրակ համայնքի և Գյումրի քաղաքի տարածքների բաժանման կետ, սահմանագիծը թեքվելով հարավ-արևելք և անցնելով 624.5մ հասնում է «Սալվինազ» գետի եզրին գտնվող «Ը» հանգուցային կետին, որը հանդիսանում է Կրաշեն համայնքի II հատվածի, Շիրակ համայնքի և Ջաջուռ համայնքի II հատվածի տարածքների բաժանման կետ:
ԿՐԱՇԵՆ ԵՎ ՋԱՋՈՒՌ ՀԱՄԱՅՆՔՆԵՐԻ II ՀԱՏՎԱԾՆԵՐԻ ՄԻՋԵՎ ՍԱՀՄԱՆՆԵՐԻ ՆԿԱՐԱԳՐՈՒԹՅՈՒՆԸ՝ «Ը»-«Թ»
«Թ» հանգուցային կետից սահմանագիծը «Սալվինազ» գետով անցնելով դեպի հյուսիս-արևելք 322.4մ հասնում է «Ը» հանգուցային կետին:
ԿՐԱՇԵՆ ԵՎ ԼԵՌՆՈՒՏ ՀԱՄԱՅՆՔՆԵՐԻ II ՀԱՏՎԱԾՆԵՐԻ ՄԻՋԵՎ ՍԱՀՄԱՆՆԵՐԻ ՆԿԱՐԱԳՐՈՒԹՅՈՒՆԸ՝ «Թ»-«Ժ»
Գյումրի-Սպիտակ հանրապետական նշանակության ճանապարհի եզրին գտնվող «Ժ» հանգուցային կետը, որը հանդիսանում է Կրաշեն, Լեռնուտ համայնքների II հատվածների և Գյումրի քաղաքի տարածքների բաժանման կետ, սահմանագիծն անցնում է դեպի հարավ-արևելք 769.0մ հասնում է «Թ» հանգուցային կետին, որը հանդիսանում է Կրաշեն, Լեռնուտ և Ջաջուռ համայնքների II հատվածների տարածքների բաժանման կետ:
ԿՐԱՇԵՆ ՀԱՄԱՅՆՔԻ II ՀԱՏՎԱԾԻ ԵՎ ԳՅՈՒՄՐԻ ՔԱՂԱՔԻ ՄԻՋԵՎ ՍԱՀՄԱՆՆԵՐԻ ՆԿԱՐԱԳՐՈՒԹՅՈՒՆԸ՝ «Ժ»-«Է»
Ձորի և Գյումրի-Սպիտակ հանրապետական նշանակության ճանապարհի եզրի «Է» հանգուցային կետից սահմանագիծը ճանապարհով 319.6մ անցնելով դեպի հարավ-արևմուտք հասնում է «Ժ» հանգուցային կետին:
|
Հայաստանի Հանրապետության |
Մ. Թոփուզյան |
|
Հավելված N 8 |
ՀԱՅԱՍՏԱՆԻ ՀԱՆՐԱՊԵՏՈՒԹՅԱՆ ՇԻՐԱԿԻ ՄԱՐԶԻ ԼԵՌՆՈՒՏ ՀԱՄԱՅՆՔԻ ՎԱՐՉԱԿԱՆ ՍԱՀՄԱՆՆԵՐԻ ՀԱՏԱԿԱԳԻԾԸ
|
Հայաստանի Հանրապետության |
Մ. Թոփուզյան |
|
|
ՇԻՐԱԿԻ ՄԱՐԶԻ ԼԵՌՆՈՒՏ ՀԱՄԱՅՆՔԻ ՎԱՐՉԱԿԱՆ ՍԱՀՄԱՆՆԵՐԻ ՆԿԱՐԱԳՐՈՒԹՅՈՒՆԸ
Լեռնուտ համայնքը գտնվում է մարզի հյուսիսային մասում:
Համայնքի հեռավորությունը մարզկենտրոն ք. Գյումրիից մոտավորապես 20կմ է:
Համայնքը բաղկացած է երկու հատվածից:
Համայնքի ընդհանուր տարածությունը կազմում է 886.4 հա:
Համայնքը հյուսիս-արևելքից «Ա»-«Բ» հատվածով սահմանակից է Մ. Սարիար համայնքին, արևելքից «Բ»-«Գ» հատվածով` Ջաջուռ համայնքին, հարավային «Գ»-«Դ» հատվածով` Շիրակ համայնքին, հարավ-արևմուտքից և արևմուտքից «Դ»-«Ա» հատվածով` Կարմրաքար համայնքին: Լեռնուտ համայնքի II հատվածը հյուսիս-արևելքից «Ե»-«Զ» հատվածով սահմանակից է Կրաշեն համայնքի II հատվածին, հարավ-արևելքից «Զ»-«Է» հատվածով` Ջաջուռ համայնքի II հատվածին, «Է»-«Ը» հատվածով` Ախուրյան համայնքին, արևմուտքից «Ը»-«Թ» հատվածով` Սարիար համայնքի II հատվածին, հյուսիսից «Թ»-«Ե» հատվածով` Գյումրի քաղաքին:
ԼԵՌՆՈՒՏ ԵՎ ՄԵԾ ՍԱՐԻԱՐ ՀԱՄԱՅՆՔՆԵՐԻ ՄԻՋՀԱՄԱՅՆՔԱՅԻՆ ՍԱՀՄԱՆՆԵՐԻ ՆԿԱՐԱԳՐՈՒԹՅՈՒՆԸ՝ «Ա»-«Բ»
ԼԵՌՆՈՒՏ ԵՎ ՋԱՋՈՒՌ ՀԱՄԱՅՆՔՆԵՐԻ ՄԻՋՀԱՄԱՅՆՔԱՅԻՆ ՍԱՀՄԱՆՆԵՐԻ ՆԿԱՐԱԳՐՈՒԹՅՈՒՆԸ՝ «Բ»-«Գ»
ԼԵՌՆՈՒՏ ԵՎ ՇԻՐԱԿ ՀԱՄԱՅՆՔՆԵՐԻ ՄԻՋՀԱՄԱՅՆՔԱՅԻՆ ՍԱՀՄԱՆՆԵՐԻ ՆԿԱՐԱԳՐՈՒԹՅՈՒՆԸ՝ «Գ»-«Դ»
ԼԵՌՆՈՒՏ ԵՎ ԿԱՐՄՐԱՔԱՐ ՀԱՄԱՅՆՔՆԵՐԻ ՄԻՋՀԱՄԱՅՆՔԱՅԻՆ ՍԱՀՄԱՆՆԵՐԻ ՆԿԱՐԱԳՐՈՒԹՅՈՒՆԸ՝ «Դ»-«Ա»
ԼԵՌՆՈՒՏ ԵՎ ԿՐԱՇԵՆ ՀԱՄԱՅՆՔՆԵՐԻ II ՀԱՏՎԱԾՆԵՐԻ ՄԻՋՀԱՄԱՅՆՔԱՅԻՆ ՍԱՀՄԱՆՆԵՐԻ ՆԿԱՐԱԳՐՈՒԹՅՈՒՆԸ՝ «Ե»-«Զ»
Գյումրի-Սպիտակ խճուղու եզրին գտնվող հյուսիս-արևելյան «Ե» հանգուցային կետից, որը հանդիսանում է Լեռնուտ, Կրաշեն համայնքների II հատվածների և Գյումրի քաղաքի տարածքների բաժանման կետ, սահմանագիծը 796.0մ անցնելով դեպի հարավ-արևելք հասնում է «Զ» հանգուցային կետին, որը հանդիսանում է Լեռնուտ, Կրաշեն և Ջաջուռ համայնքների II հատվածների տարածքների բաժանման կետ:
ԼԵՌՆՈՒՏ ԵՎ ՋԱՋՈՒՌ ՀԱՄԱՅՆՔՆԵՐԻ II ՀԱՏՎԱԾՆԵՐԻ ՄԻՋԵՎ ՍԱՀՄԱՆՆԵՐԻ ՆԿԱՐԱԳՐՈՒԹՅՈՒՆԸ՝ «Զ»-«Է»
Հանգուցային «Է» կետը, որը հանդիսանում է Լեռնուտ, Ջաջուռ համայնքների II հատվածների և Ախուրյան համայնքի տարածքների բաժանման կետ, սահմանագիծն անցնելով 174.7մ դեպի հյուսիս-արևելք միանում է «Զ» հանգուցային կետին:
ԼԵՌՆՈՒՏ ՀԱՄԱՅՆՔԻ II ՀԱՏՎԱԾԻ ԵՎ ԱԽՈՒՐՅԱՆ ՀԱՄԱՅՆՔԻ ՄԻՋԵՎ ՍԱՀՄԱՆՆԵՐԻ ՆԿԱՐԱԳՐՈՒԹՅՈՒՆԸ՝ «Է»-«Ը»
«Ը» հանգուցային կետը, որը հանդիսանում է Լեռնուտ, Մ. Սարիար համայնքների II հատվածների և Ախուրյան համայնքի տարածքների բաժանման կետ, սահմանագիծը թեքվում է հյուսիս-արևելք՝ անցնելով թիվ 1 կետով 127.9մ միանում է «Է» հանգուցային կետին:
ԼԵՌՆՈՒՏ ԵՎ ՄԵԾ ՍԱՐԻԱՐ ՀԱՄԱՅՆՔՆԵՐԻ II ՀԱՏՎԱԾՆԵՐԻ ՄԻՋԵՎ ՍԱՀՄԱՆՆԵՐԻ ՆԿԱՐԱԳՐՈՒԹՅՈՒՆԸ՝ «Ը»-«Թ»
«Թ» հանգուցային կետը, որը հանդիսանում է Լեռնուտ, Մ. Սարիար համայնքների II հատվածների և Գյումրի քաղաքի տարածքների բաժանման կետ, սահմանագիծը թեքվելով հարավ-արևելք՝ անցնելով թիվ 1,2,3 կետերով 823.1մ հասնում է «Ը» հանգուցային կետին:
ԼԵՌՆՈՒՏ ՀԱՄԱՅՆՔԻ II ՀԱՏՎԱԾԻ ԵՎ ԳՅՈՒՄՐԻ ՔԱՂԱՔԻ ՄԻՋԵՎ ՍԱՀՄԱՆՆԵՐԻ ՆԿԱՐԱԳՐՈՒԹՅՈՒՆԸ՝ «Թ»-«Ե»
Հանգուցային «Ե» կետից սահմանագիծը թեքվելով հարավ-արևմուտք Գյումրի-Սպիտակ միջմարզային ճանապարհը՝ անցնելով 293.6մ հասնում է «Թ» հանգուցային կետին:
|
Հայաստանի Հանրապետության |
Մ. Թոփուզյան |
|
Հավելված N 9 |
ՀԱՅԱՍՏԱՆԻ ՀԱՆՐԱՊԵՏՈՒԹՅԱՆ ՇԻՐԱԿԻ ՄԱՐԶԻ ՄԵԾ ՍԱՐԻԱՐ ՀԱՄԱՅՆՔԻ ՎԱՐՉԱԿԱՆ ՍԱՀՄԱՆՆԵՐԻ ՀԱՏԱԿԱԳԻԾԸ
Հավելված N 9ա
(հավելվածն ուժը կորցրել է 03.12.09 N 1418-Ն)
ՀՀ կառավարության 2005 թվականի
մարտի 3-ի N 294-Ն որոշման
ՇԻՐԱԿԻ ՄԱՐԶԻ Մ. ՍԱՐԻԱՐ ՀԱՄԱՅՆՔԻ ՎԱՐՉԱԿԱՆ ՍԱՀՄԱՆՆԵՐԻ ՆԿԱՐԱԳՐՈՒԹՅՈՒՆԸ
(հավելվածն ուժը կորցրել է 03.12.09 N 1418-Ն)
|
Հավելված N 10 |
ՀԱՅԱՍՏԱՆԻ ՀԱՆՐԱՊԵՏՈՒԹՅԱՆ ՇԻՐԱԿԻ ՄԱՐԶԻ ՄԱՅԻՍՅԱՆ ՀԱՄԱՅՆՔԻ ՎԱՐՉԱԿԱՆ ՍԱՀՄԱՆՆԵՐԻ ՀԱՏԱԿԱԳԻԾԸ
(հավելվածն ուժը կորցրել է 03.12.09 N 1418-Ն)
|
Հավելված N 10ա |
ՇԻՐԱԿԻ ՄԱՐԶԻ ՄԱՅԻՍՅԱՆ ՀԱՄԱՅՆՔԻ ՎԱՐՉԱԿԱՆ ՍԱՀՄԱՆՆԵՐԻ ՆԿԱՐԱԳՐՈՒԹՅՈՒՆԸ
(հավելվածն ուժը կորցրել է 03.12.09 N 1418-Ն)
|
|
ՀԱՅԱՍՏԱՆԻ ՀԱՆՐԱՊԵՏՈՒԹՅԱՆ ՇԻՐԱԿԻ ՄԱՐԶԻ ՄԱՐՄԱՇԵՆ ՀԱՄԱՅՆՔԻ ՎԱՐՉԱԿԱՆ ՍԱՀՄԱՆՆԵՐԻ ՀԱՏԱԿԱԳԻԾԸ
(հավելվածն ուժը կորցրել է 03.12.09 N 1418-Ն)
|
|
ՇԻՐԱԿԻ ՄԱՐԶԻ ՄԱՐՄԱՇԵՆ ՀԱՄԱՅՆՔԻ ՎԱՐՉԱԿԱՆ ՍԱՀՄԱՆՆԵՐԻ ՆԿԱՐԱԳՐՈՒԹՅՈՒՆԸ
(հավելվածն ուժը կորցրել է 03.12.09 N 1418-Ն)
|
Հավելված N 12 |
ՀԱՅԱՍՏԱՆԻ ՀԱՆՐԱՊԵՏՈՒԹՅԱՆ ՇԻՐԱԿԻ ՄԱՐԶԻ ՔԵԹԻ ՀԱՄԱՅՆՔԻ ՎԱՐՉԱԿԱՆ ՍԱՀՄԱՆՆԵՐԻ ՀԱՏԱԿԱԳԻԾԸ
|
Հայաստանի Հանրապետության |
Մ. Թոփուզյան |
|
Հավելված N 12ա |
ՇԻՐԱԿԻ ՄԱՐԶԻ ՔԵԹԻ ՀԱՄԱՅՆՔԻ ՎԱՐՉԱԿԱՆ ՍԱՀՄԱՆՆԵՐԻ ՆԿԱՐԱԳՐՈՒԹՅՈՒՆԸ
Քեթի համայնքը գտնվում է մարզի հյուսիսային մասում:
Հեռավորությունը մարզկենտրոն ք. Գյումրիից 8 կմ է:
Համայնքի ընդհանուր տարածությունը կազմում է 1793.02 հա:
Քեթի համայնքը բաղկացած է երկու հատվածից, որոնք գտնվում են իրարից 3 կմ հեռավորության վրա:
Համայնքը հյուսիսից` «Ա»-«Բ» հատվածով սահմանակից է Հողմիկ համայնքին, «Բ»-«Գ» հատվածով` Գոգհովիտ համայնքին, հյուսիս-արևելքից «Գ»-«Դ» հատվածով` Թորոսգյուղ համայնքին, արևելքից «Դ»-«Ե» հատվածով` Փոքրաշեն համայնքին, հարավ-արևելքից «Ե»-«Զ» հատվածով` Կարմրաքար համայնքին, հարավից և արևմուտքից «Զ»-«Ա» հատվածով Մայիսյան համայնքին:
Հողօգտագործության I հատվածն արևմուտքից, հյուսիսից և արևելքից «Է»-«Ը» հատվածով սահմանակից է Մայիսյան համայնքին, արևելքից «Ը»-«Թ» հատվածով՝ Կարմրաքար համայնքին, հարավից և արևմուտքից «Թ»-«Է» հատվածով Գյումրի քաղաքին:
ՔԵԹԻ ԵՎ ՀՈՂՄԻԿ ՀԱՄԱՅՆՔՆԵՐԻ ՄԻՋՀԱՄԱՅՆՔԱՅԻՆ ՍԱՀՄԱՆՆԵՐԻ ՆԿԱՐԱԳՐՈՒԹՅՈՒՆԸ՝ «Ա»-«Բ»
«Ա» հանգուցային կետը, որը հանդիսանում է Հողմիկ, Քեթի և Մայիսյան համայնքների տարածքների բաժանման կետ, սահմանագիծն ուղղվելով դեպի արևելք՝ անցնելով բարձունքներով 239.9մ հասնում է 2010.3մ նիշ ունեցող թիվ 1 կետին, ապա թեքվելով հյուսիս-արևելք՝ անցնելով 306.1մ հասնում է թիվ 2 կետին, որից հետո շարունակվելով նույն ուղղությամբ անցնելով 463.3մ հասնում է գագաթին գտնվող թիվ 3 կետին: Թիվ 3 կետից սահմանագիծն անցնելով դեպի արևելք՝ գագաթների վրա գտնվող թիվ 4, 5, 6 կետերով 841.3մ հասնում է թիվ 7 կետին: Սահմանագիծը շարունակվելով դեպի հյուսիս-արևելք և անցնելով 134.0մ հասնում է գագաթին գտնվող «Բ» հանգուցային կետին:
ՔԵԹԻ ԵՎ ԳՈԳՀՈՎԻՏ ՀԱՄԱՅՆՔՆԵՐԻ ՄԻՋՀԱՄԱՅՆՔԱՅԻՆ ՍԱՀՄԱՆՆԵՐԻ ՆԿԱՐԱԳՐՈՒԹՅՈՒՆԸ՝ «Բ»-«Գ»
Քեթի, Գոգհովիտ և Հողմիկ համայնքների տարածքների «Բ» հանգուցային կետից սահմանագիծն ուղղվելով դեպի արևելք՝ ջրբաժանների վրայով անցնելով թիվ 1 կետով 345.9մ հասնում է թիվ 2 կետին, ապա լանջով բարձրանալով 328.5մ մինչև 2130.0մ բարձրություն նիշ ունեցող լեռան գագաթին տեղադրված «Չաթալսար» կոչվող եռանկյունաչափական թիվ 3 կետին, որտեղից սահմանագիծը շրջվելով արևելք՝ անցնելով լանջերով ու բարձրություններով թիվ 4, 5, 6 կետերով 843.2մ հասնում է բարձունքի վրա գտնվող թիվ 7 կետին: Այնուհետև, սահմանագիծը թեքվելով հյուսիս-արևելք՝ անցնելով թեք լանջով թիվ 8, 9, 10 կետերով 1000.5մ հասնում է թիվ 11 կետին, ապա թեքվելով դեպի հյուսիս՝ անցնելով 243.7մ հասնում է ջրբաժանի վրա գտնվող թիվ 12 կետին, որից հետո քիչ թեքվելով հյուսիս-արևելք՝ հատում է ձորն անցնելով 251.2մ հասնում է «Գ» հանգուցային կետին:
ՔԵԹԻ ԵՎ ԹՈՐՈՍԳՅՈՒՂ ՀԱՄԱՅՆՔՆԵՐԻ ՄԻՋՀԱՄԱՅՆՔԱՅԻՆ ՍԱՀՄԱՆՆԵՐԻ ՆԿԱՐԱԳՐՈՒԹՅՈՒՆԸ՝ «Գ»-«Դ»
Քեթի, Թորոսգյուղ և Գոգհովիտ համայնքների տարածքների բաժանման «Գ» հանգուցային կետից ջրբաժանով սահմանագիծն անցնելով հարավ-արևելք 196.5 մ հասնում է բլրի գագաթին գտնվող թիվ 1 կետին, ապա ջրբաժանով իջնելով նույն ուղղությամբ անցնելով թիվ 2 կետով 615.9 մ հասնելով բլրի գագաթին գտնվող թիվ 3 կետին: Այդտեղից կտրուկ թեքվելով հյուսիս-արևելք և անցնելով 215.8 մ հասնում է բարձունքի վրա գտնվող թիվ 4 կետին, և նորից թեքվելով հարավ-արևելք՝ անցնելով 225.1 մ հասնում է «Դ» հանգուցային կետին, որը հանդիսանում է Քեթի, Թորոսգյուղ և Փոքրաշեն համայնքների տարածքների բաժանման կետ:
ՔԵԹԻ ԵՎ ՓՈՔՐԱՇԵՆ ՀԱՄԱՅՆՔՆԵՐԻ ՄԻՋՀԱՄԱՅՆՔԱՅԻՆ ՍԱՀՄԱՆՆԵՐԻ ՆԿԱՐԱԳՐՈՒԹՅՈՒՆԸ՝ «Դ»-«Ե»
«Դ» հանգուցային կետից սահմանագիծն անցնելով դեպի արևմուտք թիվ 1, 2 սահմանային կետերով 724.1մ հասնում է ձորի եզրին գտնվող թիվ 3 կետին: Շարունակվելով անցնել նույն ուղղությամբ ձորով հատելով Գյումրի-Աշոցք հանրապետական նշանակության ճանապարհը 2181.0մ հասնում է թիվ 4 կետին: Այնուհետև, սահմանագիծն անցնելով դեպի հարավ 314.8 մ հասնում է թիվ 5 կետին, այդտեղից սահմանագիծը կտրուկ թեքվելով դեպի հարավ-արևելք և անցնելով 359.5 մ հասնում է «Ե» հանգուցային կետին, որը հանդիսանում է Քեթի, Փոքրաշեն և Կարմրաքար համայնքների տարածքների բաժանման կետ:
ՔԵԹԻ ԵՎ ԿԱՐՄՐԱՔԱՐ ՀԱՄԱՅՆՔՆԵՐԻ ՄԻՋՀԱՄԱՅՆՔԱՅԻՆ ՍԱՀՄԱՆՆԵՐԻ ՆԿԱՐԱԳՐՈՒԹՅՈՒՆԸ՝ «Ե»-«Զ»
«Ե» հանգուցային կետից սահմանագիծը թեքվում է դեպի հարավ անցնելով 352.0մ հասնում է թիվ 1 կետին, ապա քիչ թեքվելով դեպի հարավ-արևմուտք՝ անցնելով թիվ 2, 3 սահմանային կետերով 1342.1մ հասնում է «Զ» հանգուցային կետին, որը հանդիսանում է Քեթի, Կարմրաքար և Մայիսյան համայնքների տարածքների բաժանման կետ:
ՔԵԹԻ ԵՎ ՄԱՅԻՍՅԱՆ ՀԱՄԱՅՆՔՆԵՐԻ ՄԻՋՀԱՄԱՅՆՔԱՅԻՆ ՍԱՀՄԱՆՆԵՐԻ ՆԿԱՐԱԳՐՈՒԹՅՈՒՆԸ՝ «Զ»-«Ա»
Սահմանագիծը «Ա» հանգուցային կետից ձորով իջնելով 2790.0մ դեպի հարավ հասնում է թիվ 1 կետին, քիչ թեքվելով հարավ-արևելք՝ անցնելով 252.3մ հասնում է թիվ 2 կետին, շարունակվելով նույն ուղղությամբ անցնելով 487.5մ հասնում է թիվ 3 կետին, որտեղից կտրուկ թեքվելով դեպի արևելք՝ անցնելով թիվ 4, 5, 6, 7 կետերով 1451.7մ հասնում է Գյումրի-Աշոցք միջհամայնքային ճանապարհի եզրին գտնվող թիվ 8 կետին, անցնելով հատելով միջհամայնքային ճանապարհը, թեքվելով հարավ-արևելք՝ անցնելով 304.1մ հասնում է թիվ 9 կետին, քիչ թեքվելով հարավ-արևելք՝ անցնելով թիվ 10, 11 կետերով 507.9մ հասնում է թիվ 12 կետին, շարունակվելով նույն ուղղությամբ և անցնելով 253.7մ հասնում է թիվ 13 կետին, ապա անցնելով 244.0մ միանում է ձորի հատման տեղում գտնվող կետին, այդտեղից սահմանագիծը թեքվելով հյուսիս-արևելք՝ ձորով անցնելով 600.0մ հասնում է թիվ 14 կետին, շարունակվելով նույն ուղղությամբ 283.4մ բարձրանում է հասնում «Զ» հանգուցային կետին:
ՔԵԹԻ ՀԱՄԱՅՆՔԻ II ՀԱՏՎԱԾԻ ԵՎ ՄԱՅԻՍՅԱՆ ՀԱՄԱՅՆՔԻ ՄԻՋԵՎ ՍԱՀՄԱՆՆԵՐԻ ՆԿԱՐԱԳՐՈՒԹՅՈՒՆԸ՝ «Է»-«Ը»
Գյումրի-Աշոցք միջհամայնքային ճանապարհի եզրին գտնվող «Է» հանգուցային կետը, որը հանդիսանում է Քեթի համայնքի II հատվածի, Մայիսյան համայնքի և Գյումրի քաղաքի տարածքների բաժանման կետ, սահմանագիծն ուղղվելով դեպի հյուսիս-արևելք՝ միջհամայնքային ճանապարհով 617.4մ հասնում է միջհամայնքային ճանապարհի եզրին գտնվող թիվ 1 կետին: Որից հետո սահմանագիծը կտրուկ թեքվելով դեպի հարավ-արևելք՝ անցնելով 291.5մ հասնում է ձորի եզրին գտնվող թիվ 2 կետին: Թիվ 2 կետից սահմանագիծն անցնելով նույն ուղղությամբ, հատելով ձորը, անցնելով 354.0մ հասնում է թիվ 3 կետին: Այնուհետև, սահմանագիծը կտրուկ թեքվելով դեպի հարավ՝ անցնելով 230.5մ հասնում է թիվ 4 կետին: Ապա սահմանագիծը քիչ թեքվելով դեպի հարավ-արևմուտք՝ անցնելով թիվ 5, 6, 7 կետերով 478.0մ հասնում է ձորի եզրին գտնվող «Ը» հանգուցային կետին, որը հանդիսանում է Քեթի և Կարմրաքար համայնքների II հատվածների և Մայիսյան համայնքի տարածքների բաժանման կետ:
ՔԵԹԻ ԵՎ ԿԱՐՄՐԱՔԱՐ ՀԱՄԱՅՆՔՆԵՐԻ II ՀԱՏՎԱԾՆԵՐԻ ՄԻՋԵՎ ՍԱՀՄԱՆՆԵՐԻ ՆԿԱՐԱԳՐՈՒԹՅՈՒՆԸ՝ «Ը»-«Թ»
«Ը» հանգուցային կետից սահմանագիծն ուղղվելով դեպի հարավ-արևմուտք՝ անցնելով ձորով թիվ 1, 2, 3, 4, 5, 6 կետերով 615.4մ հասնում է Գյումրի քաղաքի եզրին գտնվող «Թ» հանգուցային կետին:
ՔԵԹԻ ՀԱՄԱՅՆՔԻ II ՀԱՏՎԱԾԻ ԵՎ ԳՅՈՒՄՐԻ ՔԱՂԱՔԻ ՄԻՋԵՎ ՍԱՀՄԱՆՆԵՐԻ ՆԿԱՐԱԳՐՈՒԹՅՈՒՆԸ՝ «Թ»-«Է»
«Է» հանգուցային կետը, որը գտնվում է Աշոցք-Գյումրի միջհամայնքային ճանապարհի եզրին, սահմանագիծն ուղղվելով դեպի արևելք՝ անցնելով 30.0մ հասնում է թիվ 1 կետին: Թիվ 1 կետից սահմանագիծը կտրուկ թեքվելով դեպի հարավ-արևմուտք անցնելով Գյումրի քաղաքի եզրով թիվ 2, 3, 4, 5 կետերով 988.3մ հասնում է թիվ 6 կետին: Այդտեղից սահմանագիծը փոխելով ուղղությունը դեպի արևելք՝ նորից անցնելով Գյումրի քաղաքի եզրով և թիվ 7 կետով 216.3մ հասնում է թիվ 8 կետին: Թիվ 8 կետից սահմանագիծը կտրուկ թեքվում է դեպի հյուսիս՝ անցնելով 141.4մ հասնում է թիվ 9 կետին, ապա սահմանագիծը փոխելով ուղղությունը դեպի արևելք՝ անցնելով 50.4մ հասնում է թիվ 10 կետին: Որից հետո սահմանագիծը կտրուկ թեքվելով դեպի հարավ՝ անցնելով թիվ 11 կետով 58.2մ հասնում է թիվ 12 կետին: Այնուհետև, սահմանագիծը կտրուկ թեքվելով դեպի արևելք՝ նորից անցնելով Գյումրի քաղաքի եզրով 54.8մ հասնում է «Թ» հանգուցային կետին, որը հանդիսանում է Քեթի և Կարմրաքար համայնքների II հատվածների և Գյումրի քաղաքի տարածքների բաժանման կետ:
|
Հայաստանի Հանրապետության |
Մ. Թոփուզյան |
|
Հավելված N 13 |
ՀԱՅԱՍՏԱՆԻ ՀԱՆՐԱՊԵՏՈՒԹՅԱՆ ՇԻՐԱԿԻ ՄԱՐԶԻ ՎԱՀՐԱՄԱԲԵՐԴ ՀԱՄԱՅՆՔԻ ՎԱՐՉԱԿԱՆ ՍԱՀՄԱՆՆԵՐԻ ՀԱՏԱԿԱԳԻԾԸ
|
Հայաստանի Հանրապետության |
Մ. Թոփուզյան |
|
Հավելված N 13ա |
ՇԻՐԱԿԻ ՄԱՐԶԻ ՎԱՀՐԱՄԱԲԵՐԴ ՀԱՄԱՅՆՔԻ ՎԱՐՉԱԿԱՆ ՍԱՀՄԱՆՆԵՐԻ ՆԿԱՐԱԳՐՈՒԹՅՈՒՆԸ
Վահրամաբերդ համայնքը գտնվում է մարզի հյուսիս-արևմտյան մասում:
Հեռավորությունը մարզկենտրոն ք. Գյումրիից 9 կմ է:
Համայնքի ընդհանուր տարածությունը կազմում է 962.4 հա:
Վահրամաբերդ համայնքը բաղկացած է 2 հատվածից, որոնք գտնվում են 3.3 կմ հեռավորության վրա:
Համայնքն արևելքից «Ա»-«Բ» հատվածով սահմանակից է Հովունի համայնքին, «Բ»-«Գ» հատվածով` Մարմաշեն համայնքին, հարավ-արևմուտքից «Գ»-«Դ» հատվածով` Ողջի համայնքին, արևմտյան «Դ»-«Ե» հատվածով` Գյուլլիբուլաղ համայնքին, հյուսիս-արևմուտքից «Ե»-Ա» հատվածով` Կապս համայնքին:
Համայնքի II հատվածն արևելքից «Զ»-«Է» հատվածով սահմանակից է Հովունի համայնքի II հատվածին, հարավից և արևմուտքից «Է»-«Ը» հատվածով՝ Գյումրի քաղաքին, արևմուտքից և հյուսիսից «Ը»-«Զ» հատվածով` Մարմաշեն համայնքին:
ՎԱՀՐԱՄԱԲԵՐԴ ԵՎ ՀՈՎՈՒՆԻ ՀԱՄԱՅՆՔՆԵՐԻ ՄԻՋՀԱՄԱՅՆՔԱՅԻՆ ՍԱՀՄԱՆՆԵՐԻ ՆԿԱՐԱԳՐՈՒԹՅՈՒՆԸ՝ «Ա»-«Բ»
Ձորի եզրին գտնվող «Ա» հանգուցային կետը, որը հանդիսանում է Վահրամաբերդ, Հովունի և Կապս համայնքների տարածքների բաժանման կետ, սահմանագիծը ձորով ուղղվելով դեպի հարավ, հատելով Կապսի ջրանցքը, անցնելով 1700.0մ հասնում է ձորի եզրի թիվ 1 կետին, այնուհետև, քիչ թեքվելով դեպի հարավ-արևելք և անցնելով 67.5մ հասնում է թիվ 2 կետին ու կրկին թեքվելով հարավ և անցնելով 413.2մ հասնում է ձորի եզրին գտնվող թիվ 3 կետին: Շարունակվելով ձորով նույն ուղղությամբ և քիչ թեքվելով դեպի արևմուտք՝ անցնելով 370.8մ հասնում է Վահրամաբերդ-Հովունի գնացող ճանապարհի եզրի թիվ 4 կետին, որից հետո կտրուկ թեքվելով դեպի արևելք և անցնելով նույն ճանապարհով 342.9մ հասնում է ճանապարհի եզրի «Բ» հանգուցային կետին, որը հանդիսանում է Վահրամաբերդ, Հովունի և Մարմաշեն համայնքների տարածքների բաժանման կետ:
ՎԱՀՐԱՄԱԲԵՐԴ ԵՎ ՄԱՐՄԱՇԵՆ ՀԱՄԱՅՆՔՆԵՐԻ ՄԻՋՀԱՄԱՅՆՔԱՅԻՆ ՍԱՀՄԱՆՆԵՐԻ ՆԿԱՐԱԳՐՈՒԹՅՈՒՆԸ՝ «Բ»-«Գ»
Ճանապարհի եզրին գտնվող «Բ» հանգուցային կետից սահմանագիծն անցնելով դեպի հարավ-արևմուտք 824.0մ հասնում է դաշտային ճանապարհի եզրին գտնվող թիվ 1 կետին: Որից հետո կտրուկ թեքվելով դեպի հարավ-արևելք՝ անցնելով դաշտային ճանապարհով 711.5մ հասնում է ճանապարհի եզրի թիվ 2 կետին, այնուհետև, նորից կտրուկ թեքվելով հարավ 211.4մ հասնում է դամբայի վրայի թիվ 3 կետին և նորից սահմանագիծը թեքվելով արևմուտք՝ անցնելով դամբայի վրայով 770.0մ հասնում է դամբայի և «Կամխուտ» Կրակադաշտ գնացող ճանապարհի հատման տեղում գտնվող թիվ 4 կետին, քիչ թեքվելով հարավ-արևմուտք 194.2մ հասնում է Շիրակի ջրանցքի վրա գտնվող թիվ 5 կետին, այդտեղից կտրուկ թեքվելով արևմուտք՝ Շիրակի ջրանցքով 423.2մ հասնում է ջրանցքի եզրին գտնվող թիվ 6 կետին և նորից սահմանագիծը թեքվելով հարավ-արևմուտք և անցնելով 641.6մ հասնում է Գյումրի-Ամասիա խճուղու եզրին գտնվող թիվ 7 կետին: Այնուհետև շարունակվելով նույն ուղղությամբ հատում է Գյումրի-Ամասիա խճուղին անցնելով 629.4մ սեփականաշնորհված վարելահողերի և անտառաշերտի եզրով հասնում է դաշտային ճանապարհի եզրին գտնվող թիվ 8 կետին, որից հետո շարունակվելով նույն ուղղությամբ ժայռի վրայով իջնում է 209.0մ և հասնում է ավազահանքի մեջ գտնվող թիվ 9 կետին: Այդտեղից սահմանագիծը թեքվելով հարավ-արևմուտք՝ անցնելով ավազահանքով 297.2մ հասնում է թիվ 10 կետին, որից հետո նորից քիչ թեքվելով դեպի հարավ-արևմուտք՝ անցնելով 164.3մ հասնում է Ախուրյան գետի ափին գտնվող «Գ» հանգուցային կետին, որը հանդիսանում է Վահրամաբերդ, Մարմաշեն և Ողջի համայնքների տարածքների բաժանման կետ:
ՎԱՀՐԱՄԱԲԵՐԴ ԵՎ ՈՂՋԻ ՀԱՄԱՅՆՔՆԵՐԻ ՄԻՋՀԱՄԱՅՆՔԱՅԻՆ ՍԱՀՄԱՆՆԵՐԻ ՆԿԱՐԱԳՐՈՒԹՅՈՒՆԸ՝ «Գ»-«Դ»
Ախուրյան գետի վրա գտնվող «Դ» հանգուցային կետը, որը միաժամանակ հանդիսանում է Վահրամաբերդ, Ողջի և Գյուլլիբուլաղ համայնքների տարածքների բաժանման կետ, սահմանագիծն Ախուրյան գետով իջնելով դեպի հարավ-արևելք՝ անցնելով 958.3մ հասնում է Ախուրյան գետի եզրին գտնվող «Գ» հանգուցային կետին, որը հանդիսանում է Վահրամաբերդ, Ողջի և Մարմաշեն համայնքների տարածքների բաժանման կետ:
ՎԱՀՐԱՄԱԲԵՐԴ ԵՎ ԳՅՈՒԼԼԻԲՈՒԼԱՂ ՀԱՄԱՅՆՔՆԵՐԻ ՄԻՋՀԱՄԱՅՆՔԱՅԻՆ ՍԱՀՄԱՆՆԵՐԻ ՆԿԱՐԱԳՐՈՒԹՅՈՒՆԸ՝ «Դ»-Ե»
Ախուրյան գետի ափին գտնվող «Ե» հանգուցային կետը, որը հանդիսանում է Վահրամաբերդ, Կապս և Գյուլլիբուլաղ համայնքների տարածքների բաժանման կետ, սահմանագիծն Ախուրյան գետով իջնելով հարավ 2175.0մ հասնում է «Դ» հանգուցային կետին:
ՎԱՀՐԱՄԱԲԵՐԴ ԵՎ ԿԱՊՍ ՀԱՄԱՅՆՔՆԵՐԻ ՄԻՋՀԱՄԱՅՆՔԱՅԻՆ ՍԱՀՄԱՆՆԵՐԻ ՆԿԱՐԱԳՐՈՒԹՅՈՒՆԸ՝ «Ե»-«Ա»
Ձորի եզրին գտնվող «Ա» հանգուցային կետից սահմանագիծը թեքվում է դեպի հարավ-արևմուտք՝ գագաթների վրայով անցնելով թիվ 1 կետով 668.4մ հասնում է ձորի եզրին գտնվող թիվ 2 կետին, շարունակվելով ձորով դեպի հարավ՝ անցնելով թիվ 3, 4, 5, 6, 7 կետերով 847.12մ հատելով Կապսի ջրանցքը, հասնում ձորի մյուս եզրին գտնվող թիվ 8 կետին, նույն ուղղությամբ սահմանագիծը շարունակվելով դեպի հարավ և անցնելով 560.2մ հասնում է թիվ 9 կետին: Կտրուկ թեքվելով դեպի արևմուտք և անցնելով 136.7մ հասնում է թիվ 10 կետին ու նորից կտրուկ թեքվելով հյուսիս՝ անցնելով վարելահողերի եզրով 554.29մ հասնում է թիվ 11 կետին: Որից հետո թեքվելով հարավ-արևմուտք՝ անցնելով թիվ 12 կետով 1687.0մ հասնում է Գյումրի-Ամասիա խճուղու եզրին գտնվող թիվ 13 կետին: Շարունակվելով նույն ուղղությամբ հատում է Գյումրի-Ամասիա միջհամայնքային ճանապարհը, կիսելով «Լենգես» ավան բնակավայրի տարածքը, անցնում է 336.1մ հասնում է թիվ 14 կետին, որից հետո թեքվելով դեպի հյուսիս-արևմուտք՝ անցնելով «Լենգես» ավանի բնակավայրի միջով և անցնելով 176.4մ հասնում է բնակավայրի մեջ գտնվող թիվ 15 կետին և նորից կտրուկ թեքվելով դեպի արևմուտք հատում է ժայռը և իջնում Կապսի ձոր, անցնելով թիվ 16 կետով 256.34մ հասնում է Ախուրյան գետի եզրին գտնվող «Ե» հանգուցային կետին, որը հանդիսանում է Վահրամաբերդ, Կապս և Գյուլլիբուլաղ համայնքների տարածքների բաժանման կետ:
ՎԱՀՐԱՄԱԲԵՐԴ ԵՎ ՀՈՎՈՒՆԻ ՀԱՄԱՅՆՔՆԵՐԻ II ՀԱՏՎԱԾՆԵՐԻ ՄԻՋԵՎ ՍԱՀՄԱՆՆԵՐԻ ՆԿԱՐԱԳՐՈՒԹՅՈՒՆԸ՝ «Զ»-«Է»
Շիրակի ջրանցքի եզրին գտնվող «Զ» հանգուցային կետից սահմանագիծը դաշտային ճանապարհով իջնում է դեպի հարավ-արևելյան ուղղությամբ՝ անցնելով 1521.3մ հասնում է ճանապարհի եզրի թիվ 1 կետին, կտրուկ թեքվելով դեպի արևելք, հատելով թիվ 2 կետը և անցնելով 879.6մ հասնում է թիվ 3 կետին, այնուհետև, թեքվելով դեպի հարավ՝ անցնելով թիվ 4 կետով 665.3մ հասնում է «Է» հանգուցային կետին, որը հանդիսանում է Վահրամաբերդ և Հովունի համայնքների II հատվածների և Գյումրի քաղաքի տարածքների բաժանման կետ:
ՎԱՀՐԱՄԱԲԵՐԴ ՀԱՄԱՅՆՔԻ II ՀԱՏՎԱԾԻ ԵՎ ԳՅՈՒՄՐԻ ՔԱՂԱՔԻ ՄԻՋԵՎ ՍԱՀՄԱՆՆԵՐԻ ՆԿԱՐԱԳՐՈՒԹՅՈՒՆԸ՝ «Է»-«Ը»
Ձորի եզրին գտնվող «Ը» հանգուցային կետը, որը հանդիսանում է Վահրամաբերդ համայնքի II հատվածի, Մարմաշեն համայնքի և Գյումրի քաղաքի տարածքների բաժանման կետ, սահմանագիծն անցնելով հարավ-արևելք դամբայի վրա գտնվող թիվ 1 կետով 948.2մ հասնում է դաշտային ճանապարհի եզրին գտնվող թիվ 2 կետին, որից հետո շարունակելով նույն ուղղությամբ, անցնելով դաշտային ճանապարհի եզրով 913.4մ հասնում է թիվ 3 կետին, այնուհետև, կտրուկ թեքվում է դեպի հյուսիս - արևելք ու նորից անցնելով դաշտային ճանապարհի եզրով թիվ 4 կետից մինչև թիվ 9 կետերով 390.4մ հասնում է սեփականաշնորհված վարելահողի եզրին գտնվող թիվ 10 կետին, ապա կտրուկ թեքվելով դեպի հարավ-արևելք՝ սեփականաշնորհված վարելահողի և Գյումրի քաղաքի սահմանով անցնելով 212.2մ հասնում է «Է» հանգուցային կետին:
ՎԱՀՐԱՄԱԲԵՐԴ ՀԱՄԱՅՆՔԻ II ՀԱՏՎԱԾԻ ԵՎ ՄԱՐՄԱՇԵՆ ՀԱՄԱՅՆՔԻ ՄԻՋԵՎ ՍԱՀՄԱՆՆԵՐԻ ՆԿԱՐԱԳՐՈՒԹՅՈՒՆԸ՝ «Ը»-«Զ»
Շիրակի ջրանցքի եզրին գտնվող «Զ» հանգուցային կետը, որը միևնույն ժամանակ հանդիսանում է Վահրամաբերդ, Հովունի համայնքների II հատվածների և Մարմաշեն համայնքի տարածքների բաժանման կետ, սահմանագիծը Շիրակի ջրանցքով 688.8մ անցնում է դեպի արևմուտք և հասնում Շիրակի ջրանցքի և ձորի հատման տեղում գտնվող թիվ 1 կետին, այնուհետև, ձորով թեքվելով դեպի հարավ և անցնելով թիվ 2 կետից մինչև թիվ 8 կետերով 1196.1մ հասնում է ձորի եզրին գտնվող «Ը» հանգուցային կետին:
|
Հայաստանի Հանրապետության |
Մ. Թոփուզյան |
|
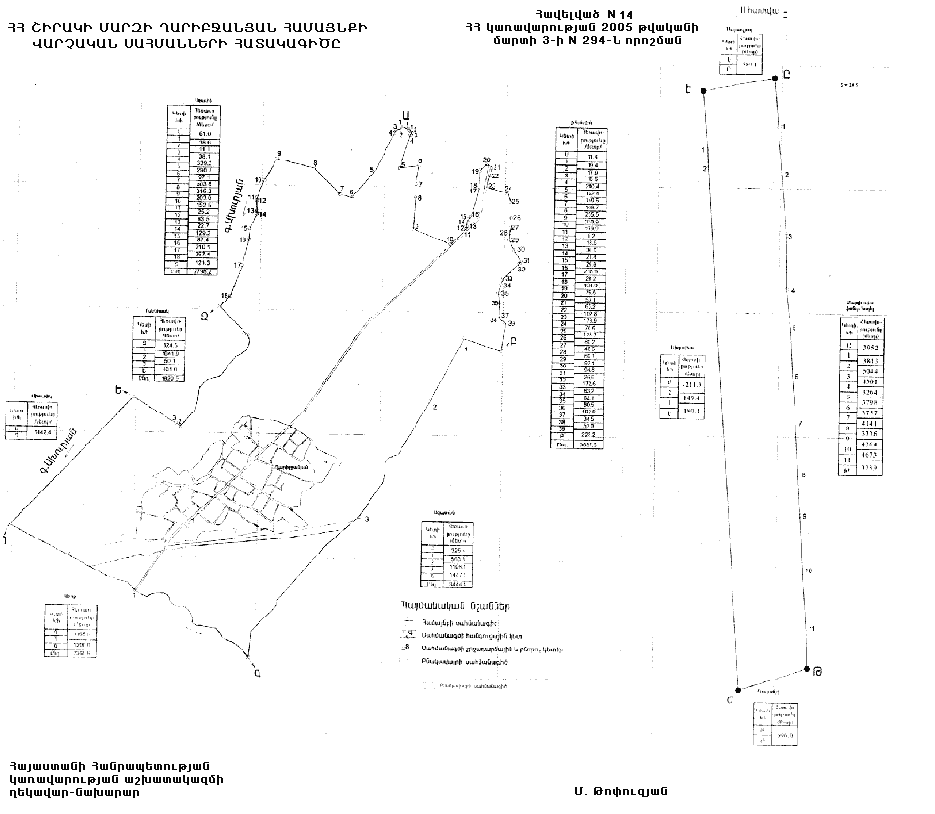
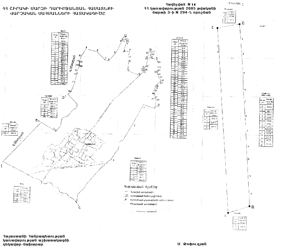
Հավելված N 14 |
ՀԱՅԱՍՏԱՆԻ ՀԱՆՐԱՊԵՏՈՒԹՅԱՆ ՇԻՐԱԿԻ ՄԱՐԶԻ ՂԱՐԻԲՋԱՆՅԱՆ ՀԱՄԱՅՆՔԻ ՎԱՐՉԱԿԱՆ ՍԱՀՄԱՆՆԵՐԻ ՀԱՏԱԿԱԳԻԾԸ
|
Հայաստանի Հանրապետության |
Մ. Թոփուզյան |
|
Հավելված N 14ա |
ՇԻՐԱԿԻ ՄԱՐԶԻ ՂԱՐԻԲՋԱՆՅԱՆ ՀԱՄԱՅՆՔԻ ՎԱՐՉԱԿԱՆ ՍԱՀՄԱՆՆԵՐԻ ՆԿԱՐԱԳՐՈՒԹՅՈՒՆԸ
Ղարիբջանյան համայնքը գտնվում է մարզի հարավ-արևմտյան մասում:
Հեռավորությունը մարզկենտրոն ք. Գյումրիից մոտավորապես 10.0կմ:
Համայնքը բաղկացած է երկու հատվածից:
Համայնքի ընդհանուր տարածությունը՝ 1031.62 հա:
Ղարիբջանյան համայնքը հյուսիս-արևելյան «Ա»-«Բ» հատվածով սահմանակից է Գյումրի քաղաքին, հարավ-արևելյան «Բ»-«Գ» հատվածով` Ազատան համայնքին, հարավ-արևմտյան «Գ»-«Դ» հատվածով` Գետք համայնքին, հյուսիս-արևմտյան «Դ»-«Ե» հատվածով` Ախուրիկ համայնքին, «Ե»-«Զ» հատվածով` Ոսկեհասկ համայնքին, հյուսիս-արևմտյան «Զ»-«Ա» հատվածով` Առափի համայնքին:
Հողօգտագործության II հատվածը մարզկենտրոն ք. Գյումրիից հեռու է մոտավորապես 68.0 կմ:
Հյուսիսից «Է»-«Ը» հատվածով սահմանակից է Սարագյուղ համայնքին, արևելքից «Ը»-«Թ» հատվածով` մարզի պահուստային հողերին, հարավից «Թ»-«Ժ» հատվածով` Ղազանչի համայնքին, արևմուտքից «Ժ»-«Է» հատվածով` Սիզավետ համայնքին:
ՂԱՐԻԲՋԱՆՅԱՆ ՀԱՄԱՅՆՔԻ ԵՎ ԳՅՈՒՄՐԻ ՔԱՂԱՔԻ ՄԻՋԵՎ ՍԱՀՄԱՆՆԵՐԻ ՆԿԱՐԱԳՐՈՒԹՅՈՒՆԸ՝ «Ա»-«Բ»
Գյումրի քաղաքի սահմանին գտնվող «Ա» հանգուցային կետը, որը հանդիսանում է Ղարիբջանյան համայնքի, Գյումրի քաղաքի և Առափի համայնքի տարածքների բաժանման կետ, սահմանագիծն ուղղվելով դեպի հարավ-արևելք՝ անցնելով թիվ 1, 2, 3 կետերով 65.3մ հասնում է թիվ 4 կետին, այնուհետև, կտրուկ թեքվելով դեպի հարավ-արևմուտք և անցնելով 280.4մ հասնում է թիվ 5 կետին, որից հետո կտրուկ թեքվելով դեպի արևելք և անցնելով 162.4մ հասնում է թիվ 6 կետին, ապա թիվ 6 կետից սահմանագիծը կտրուկ փոխելով ուղղությունը դեպի հարավ՝ անցնելով քաղաքի եզրով թիվ 7, 8 կետերով 514.8մ հասնում է թիվ 9 կետին: Այնուհետև, սահմանագիծը նորից թեքվելով դեպի հարավ-արևելք՝ անցնելով 330.9մ հասնում է Գյումրի-Ղարիբջանյան ճանապարհի եզրին գտնվող թիվ 10 կետին, ապա սահմանագիծն անցնելով ճանապարհով դեպի հյուսիս-արևելք 179.8մ հասնում է նույն ճանապարհի եզրին գտնվող թիվ 11 կետին: Այդտեղից սահմանագիծն ուղղվում է դեպի հյուսիս՝ անցնելով թիվ 12 կետից մինչև թիվ 19 կետերով 571.3մ հասնում է Գյումրի-Ղարիբջանյան միջհամայնքային ճանապարհի եզրին գտնվող թիվ 20 կետին, թիվ 20 կետից սահմանագիծը թեքվելով դեպի արևելք՝ հատելով միջհամայնքային ճանապարհը, անցնելով 50.1մ հասնում է թիվ 21 կետին, որից հետո սահմանագիծը փոխում է ուղղությունը դեպի հարավ անցնելով թիվ 22 կետով 168.0մ հասնում է միջհամայնքային ճանապարհի եզրին գտնվող թիվ 23 կետին, այնուհետև, փոխում է ուղղությունը դեպի արևելք՝ անցնելով 178.9մ հասնում է առվի եզրին գտնվող թիվ 24 կետին, ապա սահմանագիծը կտրուկ փոխում է ուղղությունը դեպի հարավ՝ անցնելով առվով թիվ 25 կետից մինչև թիվ 38 կետերով 1089.6մ հասնում է Շին բազայի եզրին գտնվող թիվ 39 կետին, որից հետո սահմանագիծն անցնելով նույն ուղղությամբ 228.2մ հասնում է «Բ» հանգուցային կետին:
ՂԱՐԻԲՋԱՆՅԱՆ ԵՎ ԱԶԱՏԱՆ ՀԱՄԱՅՆՔՆԵՐԻ ՄԻՋՀԱՄԱՅՆՔԱՅԻՆ ՍԱՀՄԱՆՆԵՐԻ ՆԿԱՐԱԳՐՈՒԹՅՈՒՆԸ՝ «Բ»-«Գ»
Հանգուցային «Բ» կետը, որը հանդիսանում է Ղարիբջանյան, Ազատան համայնքների և Գյումրի քաղաքի տարածքների բաժանման կետ, սահմանագիծն անցնելով դեպի արևմուտք՝ հատելով երկաթգիծը, անցնելով 325.4մ հասնում է թիվ 1 կետին: Այնուհետև թեքվելով հարավ-արևմուտք՝ անցնելով թիվ 2, 3, 4, 5, 6, 7 կետերով 2072.25մ հատելով երկաթգիծը հասնում է Ղարիբջանյան-Ազատան միջհամայնքային ճանապարհի եզրին գտնվող թիվ 8 կետին, որից հետո սահմանագիծը չփոխելով ուղղությունը հատելով ճանապարհը՝ անցնելով թիվ 9, 10 կետերով 912.28մ հասնում է առվի եզրին գտնվող թիվ 11 կետին, ապա սահմանագիծը թեքվելով դեպի հարավ-արևելք՝ հատելով առուն անցնելով 219.24մ հասնում է «Գ» հանգուցային կետին:
ՂԱՐԻԲՋԱՆՅԱՆ ԵՎ ԳԵՏՔ ՀԱՄԱՅՆՔՆԵՐԻ ՄԻՋՀԱՄԱՅՆՔԱՅԻՆ ՍԱՀՄԱՆՆԵՐԻ ՆԿԱՐԱԳՐՈՒԹՅՈՒՆԸ՝ «Գ»-«Դ»
Ախուրյան գետի եզրին գտնվող հանգուցային «Դ» կետը, որը հանդիսանում է Ղարիբջանյան, Գետք և Ախուրիկ համայնքների տարածքների բաժանման կետ, սահմանագիծը թեքվելով դեպի հարավ-արևելք հատում է Գյումրի-Ղարս երկաթգիծը և անցնելով թիվ 1, 2 կետերով 1172.52մ հասնում «Կարկաչան» գետի և Արմավիր-Գյումրի ճանապարհի եզրին գտնվող թիվ 3 կետին, այնուհետև, գետով շարունակվելով նույն ուղղությամբ և անցնելով 1192.98մ հասնում է գետի եզրին գտնվող «Գ» հանգուցային կետին, որը հանդիսանում է Ղարիբջանյան, Գետք և Ազատան համայնքների տարածքների բաժանման կետ:
ՂԱՐԻԲՋԱՆՅԱՆ ԵՎ ԱԽՈՒՐԻԿ ՀԱՄԱՅՆՔՆԵՐԻ ՄԻՋՀԱՄԱՅՆՔԱՅԻՆ ՍԱՀՄԱՆՆԵՐԻ ՆԿԱՐԱԳՐՈՒԹՅՈՒՆԸ՝ «Դ»-«Ե»
Հանգուցային «Ե» կետը, որը գտնվում է Ախուրյան գետի եզրին, սահմանագիծը գետով անցնելով հարավ-արևմուտք 1442.4մ հասնում է գետի եզրին գտնվող «Դ» հանգուցային կետին:
ՂԱՐԻԲՋԱՆՅԱՆ ԵՎ ՈՍԿԵՀԱՍԿ ՀԱՄԱՅՆՔՆԵՐԻ ՄԻՋՀԱՄԱՅՆՔԱՅԻՆ ՍԱՀՄԱՆՆԵՐԻ ՆԿԱՐԱԳՐՈՒԹՅՈՒՆԸ՝ «Ե»-«Զ»
Ախուրյան գետի եզրին գտնվող «Զ» հանգուցային կետից, սահմանագիծն անցնելով հարավ-արևելյան ուղղությամբ 324.5մ հասնում է Ախուրյան գետի հին հունի եզրին գտնվող թիվ 1 կետին: Ապա կտրուկ փոխելով ուղղությունը դեպի հարավ-արևելք՝ անցնելով գետի հին հունով 1010.5մ հասնում է Ախուրյան գետի հին հունի եզրին գտնվող թիվ 2 կետին: Թիվ 2 կետից սահմանագիծը կտրուկ փոխելով ուղղությունը դեպի հյուսիս-արևմուտք՝ անցնելով թիվ 3 կետով անցնելով 454.1մ հասնում է Ախուրյան գետի եզրին գտնվող «Ե» հանգուցային կետին, որը հանդիսանում է Ղարիբջանյան, Ոսկեհասկ և Ախուրիկ համայնքների տարածքների բաժանման կետ:
ՂԱՐԻԲՋԱՆՅԱՆ ԵՎ ԱՌԱՓԻ ՀԱՄԱՅՆՔՆԵՐԻ ՄԻՋՀԱՄԱՅՆՔԱՅԻՆ ՍԱՀՄԱՆՆԵՐԻ ՆԿԱՐԱԳՐՈՒԹՅՈՒՆԸ՝ «Զ»-«Ա»
Առվի եզրին գտնվող հանգուցային «Ա» կետից սահմանագիծը սահմանային առվով անցնելով թիվ 1, 2, 3, 4, 5 կետերով 778.8մ դեպի հարավ-արևմուտք՝ վարելահողերի եզրով հատելով դաշտային ճանապարհը հասնում է թիվ 6 կետին, որը գտնվում է կոյուղու և ճանապարհի հատման տեղում: Այնուհետև կտրուկ թեքվելով դեպի արևմուտք՝ անցնելով կոյուղու վրայով 97.1մ հասնում է ճանապարհի և կոյուղու հետ հատվող թիվ 7 կետին: Որից հետո թեքվելով նորից հյուսիս-արևմուտք՝ անցնելով վարելահողերի եզրով 303.8մ հասնում է Գյումրի քաղաքին պատկանող արտադրական մասի և ճանապարհի եզրին գտնվող թիվ 8 կետին: Սահմանագիծը շարունակվելով դեպի արևմուտք՝ անցնելով դաշտային ճանապարհով 316.3մ հասնում է Ախուրյան գետի եզրին գտնվող թիվ 9 կետին: Թիվ 9 կետից սահմանագիծը թեքվելով դեպի հարավ-արևմուտք և անցնելով Ախուրյան գետով թիվ 10 կետից մինչև թիվ 18 կետերով 1302.3մ հասնում է գետի եզրին, գտնվող «Զ» հանգուցային կետին, որը հանդիսանում է Ղարիբջանյան, Առափի և Ոսկեհասկ համայնքների տարածքների բաժանման կետ:
ՂԱՐԻԲՋԱՆՅԱՆ ՀԱՄԱՅՆՔԻ II ՀԱՏՎԱԾԻ ԵՎ ՍԱՐԱԳՅՈՒՂ ՀԱՄԱՅՆՔԻ ՄԻՋԵՎ ՍԱՀՄԱՆՆԵՐԻ ՆԿԱՐԱԳՐՈՒԹՅՈՒՆԸ՝ «Է»-«Ը»
«Է» հանգուցային կետը, որը հանդիսանում է Ղարիբջանյան համայնքի II հատվածի, Սարագյուղ և Սիզավետ համայնքների տարածքների բաժանման կետ, սահմանագիծն անցնելով դեպի արևելք՝ ջրբաժանով 589.1մ հասնում է «Ը» հանգուցային կետին, որը հանդիսանում է Ղարիբջանյան համայնքի II հատվածի, Սարագյուղ համայնքի և մարզի պահուստային հողերի տարածքների բաժանման կետ:
ՂԱՐԻԲՋԱՆՅԱՆ ՀԱՄԱՅՆՔԻ II ՀԱՏՎԱԾԻ ԵՎ ՄԱՐԶԻ ՊԱՀՈՒՍՏԱՅԻՆ ՀՈՂԵՐԻ ՄԻՋԵՎ ՍԱՀՄԱՆՆԵՐԻ ՆԿԱՐԱԳՐՈՒԹՅՈՒՆԸ՝ «Ը»-«Թ»
«Ը» հանգուցային կետից սահմանագիծն ուղղվելով դեպի հարավ-արևելք՝ անցնելով թիվ 1-ից մինչև թիվ 11 կետերով 4771.2մ հասնում է «Թ» հանգուցային կետին:
ՂԱՐԻԲՋԱՆՅԱՆ ՀԱՄԱՅՆՔԻ II ՀԱՏՎԱԾԻ ԵՎ ՂԱԶԱՆՉԻ ՀԱՄԱՅՆՔԻ ՄԻՋԵՎ ՍԱՀՄԱՆՆԵՐԻ ՆԿԱՐԱԳՐՈՒԹՅՈՒՆԸ՝ «Թ»-«Ժ»
«Ժ» հանգուցային կետը, որը գտնվում է ջրբաժանի վրա, սահմանագիծն անցնելով ջրբաժանով դեպի հյուսիս-արևելք 596.1մ հասնում է «Թ» հանգուցային կետին, որը հանդիսանում է Ղարիբջանյան համայնքի II հատվածի, Ղազանչի համայնքի և մարզի պահուստային հողերի տարածքների բաժանման կետ:
ՂԱՐԻԲՋԱՆՅԱՆ ՀԱՄԱՅՆՔԻ II ՀԱՏՎԱԾԻ ԵՎ ՍԻԶԱՎԵՏ ՀԱՄԱՅՆՔԻ ՄԻՋԵՎ ՍԱՀՄԱՆՆԵՐԻ ՆԿԱՐԱԳՐՈՒԹՅՈՒՆԸ՝ «Ժ»-«Է»
«Է» հանգուցային կետից, սահմանագիծն ուղղվելով դեպի հարավ՝ լանջով անցնելով թիվ 1 կետով 629.8մ հասնում է թիվ 2 կետին, շարունակվելով նույն ուղղությամբ հատելով դաշտային ճանապարհը, այնուհետև, գետն անցնելով 4211.9մ հասնում է «Ժ» հանգուցային կետին, որը հանդիսանում է Ղազանչի համայնքի II հատվածի, Սիզավետ և Ղազանչի համայնքների տարածքների բաժանման կետ:
|
Հայաստանի Հանրապետության |
Մ. Թոփուզյան |