ՀԱՅԱՍՏԱՆԻ ՀԱՆՐԱՊԵՏՈՒԹՅԱՆ ԿԱՌԱՎԱՐՈՒԹՅՈՒՆ
Ո Ր Ո Շ ՈՒ Մ
25 սեպտեմբերի 2015 թվականի N 1246-Ն
«ԵՐԵՎԱՆԻ ՄԽԻԹԱՐ ՀԵՐԱՑՈՒ ԱՆՎԱՆ ՊԵՏԱԿԱՆ ԲԺՇԿԱԿԱՆ ՀԱՄԱԼՍԱՐԱՆ» ՀԻՄՆԱԴՐԱՄԻՆ ԱՄՐԱԿՑՎԱԾ ՀՈՂԱՄԱՍԸ ՄԱՍՆԱԿԻ ՀԵՏ ՎԵՐՑՆԵԼՈՒ ԵՎ ՓՈԽԱՆԱԿԵԼՈՒ ԵՎ ՀԱՅԱՍՏԱՆԻ ՀԱՆՐԱՊԵՏՈՒԹՅԱՆ ԿԱՌԱՎԱՐՈՒԹՅԱՆ 2014 ԹՎԱԿԱՆԻ ՆՈՅԵՄԲԵՐԻ 27-Ի N 1407-Ն ՈՐՈՇՄԱՆ ՄԵՋ ՓՈՓՈԽՈՒԹՅՈՒՆՆԵՐ ԿԱՏԱՐԵԼՈՒ ՄԱՍԻՆ
Ղեկավարվելով Հայաստանի Հանրապետության քաղաքացիական օրենսգրքի 163-րդ ու 589-րդ, Հայաստանի Հանրապետության հողային օրենսգրքի 61-րդ ու 66-րդ հոդվածներով, «Պետական ոչ առևտրային կազմակերպությունների մասին» Հայաստանի Հանրապետության օրենքի 5-րդ հոդվածով և Հայաստանի Հանրապետության կառավարության 2001 թվականի ապրիլի 12-ի N 286 որոշմամբ հաստատված կարգի 31-րդ կետով՝ Հայաստանի Հանրապետության կառավարությունը որոշում է.
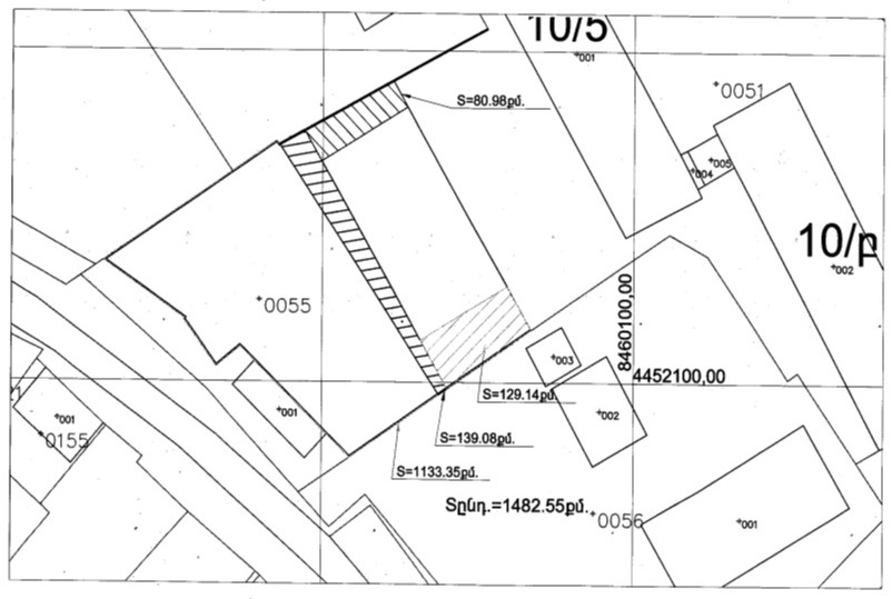
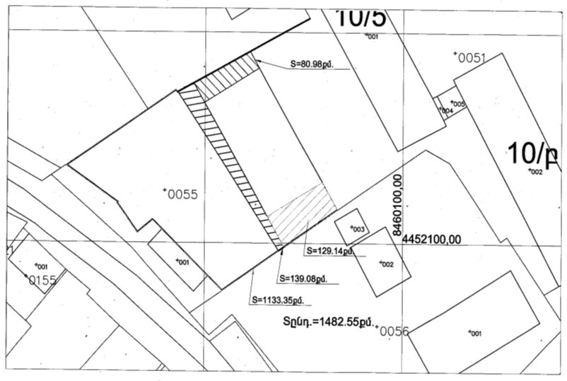
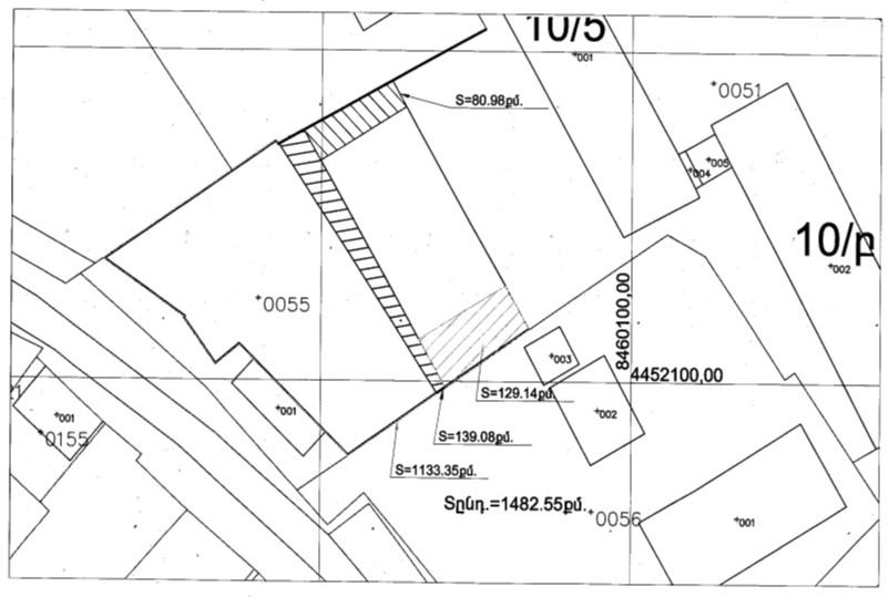
1. Երևանի քաղաքային համայնքի վարչական սահմաններում գտնվող՝ Հայաստանի Հանրապետության սեփականությունը հանդիսացող՝ «Երևանի Մխիթար Հերացու անվան պետական բժշկական համալսարան» հիմնադրամին անհատույց օգտագործման իրավունքով պատկանող՝ Երևան քաղաքի Դավիթ Անհաղթի N 10 հասցեում գտնվող՝ 0.69803 հեկտար հողամասից (վկայական՝ N 20032014-01-0037, տրված՝ 2014 թվականի մարտի 20-ին) 1482.55 քառ. մետր մակերեսով հողամասը՝ համաձայն N 1 հավելվածի, հետ վերցնել:
2. Հայաստանի Հանրապետության կառավարության 2014 թվականի նոյեմբերի 27-ի «Երևանի Մխիթար Հերացու անվան պետական բժշկական համալսարան» պետական ոչ առևտրային կազմակերպությունը «Երևանի Մխիթար Հերացու անվան պետական բժշկական համալսարան» հիմնադրամի վերակազմավորելու և գույք տրամադրելու մասին» N 1407-Ն որոշման մեջ կատարել հետևյալ փոփոխությունները՝
1) որոշման N 2 հավելվածի 12-րդ կետի 11-րդ սյունակում 0,69803 թիվը փոխարինել 0,54978 թվով.
2) որոշման N 3 հավելվածի 9-րդ կետի 11-րդ սյունակում 0,69803 թիվը փոխարինել 0,54978 թվով:
3. Առաջարկել Երևանի քաղաքապետին՝
1) սույն որոշումն ուժի մեջ մտնելուց հետո սույն որոշման 1-ին կետում նշված՝ 1482.55 քառ. մետր մակերեսով հողամասը փոխանակել «Երիտասարդական նախաձեռնություններ» հիմնադրամին սեփականության իրավունքով պատկանող՝ Երևան քաղաքի Պարոնյան փողոցի N 40/2 հասցեում գտնվող՝ 868.5 քառ. մետր մակերեսով հողամասի հետ (վկայական՝ N 2282943, տրված՝ 2010 թվականի հունվարի 14-ին).
2) հողամասերի փոխանակությունից հետո Երևան քաղաքի Պարոնյան փողոցի N 40/2 հասցեում գտնվող՝ 868.5 քառ. մետր մակերեսով հողամասից 300 քառ. մետր մակերեսով հողամասը՝ համաձայն N 2 հավելվածի, Հայաստանի Հանրապետության օրենսդրությամբ սահմանված կարգով ուղղակի վաճառքի ձևով, կադաստրային արժեքով օտարել «Ի ԷՄ ՍԻ» փակ բաժնետիրական ընկերությանը.
3) ապահովել հողամասերի սահմանների ճշտման, գույքային իրավունքների պետական գրանցման աշխատանքների կատարումը` դրանց հետ կապված ծախսերն իրականացնելով «Ի ԷՄ ՍԻ» փակ բաժնետիրական ընկերության միջոցների հաշվին:
|
Հայաստանի Հանրապետության |
Հ. Աբրահամյան |
|
|
|
Հավելված N 1 ՀՀ կառավարության 2015 թվականի սեպտեմբերի 25-ի N 1246-Ն որոշման |
|
Հայաստանի Հանրապետության |
Դ. Հարությունյան |
|
Հավելված N 2 ՀՀ կառավարության 2015 թվականի սեպտեմբերի 25-ի N 1246-Ն որոշման |
|
Հայաստանի Հանրապետության |
Դ. Հարությունյան |