ՀԱՅԱՍՏԱՆԻ ՀԱՆՐԱՊԵՏՈՒԹՅԱՆ ԿԱՌԱՎԱՐՈՒԹՅՈՒՆ
Ո Ր Ո Շ ՈՒ Մ
6 մարտի 2025 թվականի N 244-Ն
ՀԱՅԱՍՏԱՆԻ ՀԱՆՐԱՊԵՏՈՒԹՅԱՆ ՇԻՐԱԿԻ ՄԱՐԶԻ ԱՇՈՑՔ ՀԱՄԱՅՆՔԻ ԲԱՎՐԱ ԲՆԱԿԱՎԱՅՐԻ 2-ՐԴ ՓՈՂՈՑԻ N 6 ՀԱՍՑԵԻ ՀՈՂԱՄԱՍԻ ՆԿԱՏՄԱՄԲ ՀԱՆՐՈՒԹՅԱՆ ԳԵՐԱԿԱ ՇԱՀ ՃԱՆԱՉԵԼՈՒ ՄԱՍԻՆ
Ղեկավարվելով «Հանրության գերակա շահերի ապահովման նպատակով սեփականության օտարման մասին» Հայաստանի Հանրապետության օրենքի 4-րդ, 5-րդ ու 7-րդ հոդվածների դրույթներով և հիմք ընդունելով Հայաստանի Հանրապետության կառավարության 2023 թվականի նոյեմբերի 30-ի N 2093-Ն որոշման N 1 հավելվածով սահմանված՝ «Հայաստանի Հանրապետության կառավարության «Մինչև 2026 թվականը կառուցվող, հիմնանորոգվող կամ վերանորոգվող 300 դպրոցներ» ծրագրում ընդգրկված դպրոցների ցանկի 195-րդ կետը՝ Հայաստանի Հանրապետության կառավարությունը որոշում է.
1. Սույն որոշման NN 1 և 2 հավելվածներում նշված տարածքի նկատմամբ ճանաչել հանրության գերակա շահ՝ հետևյալ հիմնավորումներով.
1) Հայաստանի Հանրապետության Շիրակի մարզի Աշոցք համայնքի Բավրա բնակավայրում կրթահամալիրի կառուցման ծրագրի իրականացման շահը գերակայում է օտարվող սեփականության սեփականատիրոջ շահից, քանի որ՝
ա. ծրագրի իրականացումը բխում է հանրակրթության ոլորտում բարեփոխումների Հայաստանի Հանրապետության կառավարության ռազմավարության պահանջներից,
բ. նախատեսվող կրթահամալիրի կառուցման արդյունքում կապահովվի կրթության զարգացումը տվյալ բնակավայրում, էականորեն կբարելավվեն պայմանները, որոնք կնպաստեն ուսումնական գործընթացի կազմակերպման արդյունավետության բարձրացմանը.
2) ծրագրի արդյունավետ իրագործումը չի կարող ապահովվել առանց սույն որոշման NN 1 և 2 հավելվածներում ընդգրկված սեփականության օբյեկտի օտարման, քանի որ այն գտնվում է կրթահամալիրի նախագծով նախատեսված կառուցապատման գոտում, և անհնար է ապահովել ծրագրով նախատեսված միջոցառումների իրականացումն առանց դրա օտարման:
2. Սահմանել, որ՝
1) սույն որոշման 1-ին կետում նշված տարածքի ձեռք բերող է հանդիսանում Հայաստանի Հանրապետությունը՝ ի դեմս Հայաստանի Հանրապետության Շիրակի մարզպետի (այսուհետ՝ մարզպետ)․
2) նախատեսված օտարման գործառույթների իրականացումը համակարգող և պատասխանատու մարմինը հանդիսանում է մարզպետը.
3) սեփականության օտարման գործընթացն սկսելու վերջնական ժամկետ սահմանել մինչև 2025 թվականի դեկտեմբերի 31-ը.
4) սույն որոշմամբ հանրության գերակա շահ ճանաչված տարածքի նկարագրության արձանագրության կազմման գործառույթներն իրականացնում է մարզպետը.
5) սույն որոշմամբ հանրության գերակա շահ ճանաչված տարածքի նկարագրության արձանագրության կազմման աշխատանքներն իրականացվում են Հայաստանի Հանրապետության կառավարության 2007 թվականի հունվարի 25-ի N 108-Ն որոշմամբ սահմանված կարգի և նկարագրության արձանագրության օրինակելի ձևի համաձայն:
3. Հանձնարարել մարզպետին՝ սույն որոշման ուժի մեջ մտնելուն հաջորդող 7-օրյա ժամկետում որոշումը պատշաճ ձևով ուղարկել օտարվող սեփականության սեփականատիրոջը:
4. Սահմանել, որ սեփականատիրոջ վճարային պարտավորությունների հիման վրա հանրային գերակա շահ ճանաչված գույքի նկատմամբ փոխհատուցման տրամադրման պահին արգելանք կիրառված լինելու դեպքում սեփականատիրոջը որպես փոխհատուցում տրամադրվող ֆինանսական միջոցները սահմանված չափով ենթակա են փոխանցման Հարկադիր կատարումն ապահովող ծառայության դեպոզիտ հաշվին՝ արգելադրված հողամասի հետ կապված պարտավորությունները մարելու նպատակով։
5. Սույն որոշումն ուժի մեջ է մտնում պաշտոնական հրապարակման օրվան հաջորդող տասներորդ օրը:
|
Հայաստանի Հանրապետության |
Ն. Փաշինյան |
|
Երևան |
|
07.03.2025 ՀԱՎԱՍՏՎԱԾ Է ԷԼԵԿՏՐՈՆԱՅԻՆ ՍՏՈՐԱԳՐՈՒԹՅԱՄԲ |
|
Հավելված N 1 ՀՀ կառավարության 2025 թվականի մարտի 6-ի N 244-Ն որոշման |
ՀԱՅԱՍՏԱՆԻ ՀԱՆՐԱՊԵՏՈՒԹՅԱՆ ՇԻՐԱԿԻ ՄԱՐԶԻ ԱՇՈՑՔ ՀԱՄԱՅՆՔԻ ԲԱՎՐԱ ԲՆԱԿԱՎԱՅՐԻ ՀԱՆՐՈՒԹՅԱՆ ԳԵՐԱԿԱ ՇԱՀ ՃԱՆԱՉՎՈՂ ՀՈՂԱՄԱՍ
|
Կադաստրային ծածկագիր |
Հասցե |
Նկարագրության արձանագրության կազմման ժամկետը |
|
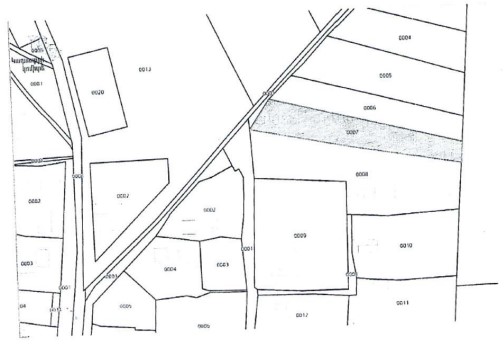
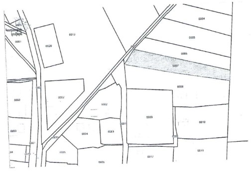
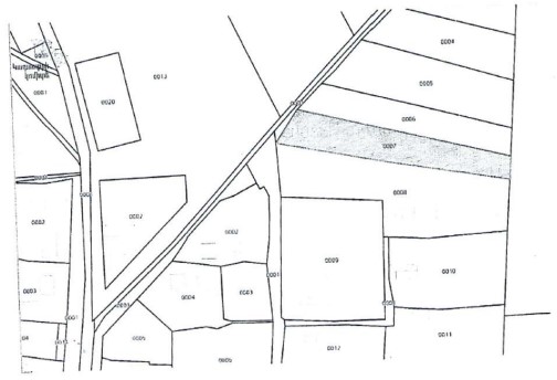
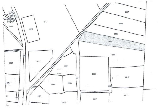
08-026-0009-0007 |
ՀՀ Շիրակի մարզի Աշոցք |
2 ամիս |
|
Հայաստանի Հանրապետության |
Ա. Հարությունյան |
|
07.03.2025 ՀԱՎԱՍՏՎԱԾ Է ԷԼԵԿՏՐՈՆԱՅԻՆ ՍՏՈՐԱԳՐՈՒԹՅԱՄԲ |
|
Հավելված N 2 ՀՀ կառավարության 2025 թվականի մարտի 6-ի N 244-Ն որոշման |
ՍԽԵՄԱ
ՀՀ ՇԻՐԱԿԻ ՄԱՐԶԻ ԱՇՈՑՔ ՀԱՄԱՅՆՔԻ ԲԱՎՐԱ ԲՆԱԿԱՎԱՅՐԻ 2-ՐԴ ՓՈՂՈՑԻ N 6 ՀԱՍՑԵԻ ՀՈՂԱՄԱՍԻ
|
Հայաստանի Հանրապետության |
Ա. Հարությունյան |
|
07.03.2025 ՀԱՎԱՍՏՎԱԾ Է ԷԼԵԿՏՐՈՆԱՅԻՆ ՍՏՈՐԱԳՐՈՒԹՅԱՄԲ |
Պաշտոնական հրապարակման օրը՝ 7 մարտի 2025 թվական: