ՀԱՅԱՍՏԱՆԻ ՀԱՆՐԱՊԵՏՈՒԹՅԱՆ ԿԱՌԱՎԱՐՈՒԹՅՈՒՆ
Ո Ր Ո Շ ՈՒ Մ
28 օգոստոսի 2008 թվականի N 977-Ն
ԵՐԵՎԱՆ ՔԱՂԱՔԻ ՎԱՐՉԱԿԱՆ ՍԱՀՄԱՆՆԵՐՈՒՄ ԳՏՆՎՈՂ ՈՐՈՇ ՏԱՐԱԾՔՆԵՐՈՒՄ ԻՐԱԿԱՆԱՑՎՈՂ ՔԱՂԱՔԱՇԻՆԱԿԱՆ ԾՐԱԳՐԻ ՆԿԱՏՄԱՄԲ ԲԱՑԱՌԻԿ` ԳԵՐԱԿԱ ՀԱՆՐԱՅԻՆ ՇԱՀ ՃԱՆԱՉԵԼՈՒ ՄԱՍԻՆ
Ղեկավարվելով «Հասարակության և պետության կարիքների համար սեփականության օտարման մասին» Հայաստանի Հանրապետության օրենքի 4-րդ, 5-րդ, 7-րդ ու 18-րդ հոդվածներով և հիմք ընդունելով Երևան քաղաքի գլխավոր հատակագիծն ու դրա հիման վրա առաջացած քաղաքի զարգացման հեռանկարները` Հայաստանի Հանրապետության կառավարությունը որոշում է.
1. Սույն որոշման NN 1, 2 և 3 հավելվածներում նշված տարածքներում իրականացվող քաղաքաշինական ծրագրի նկատմամբ ճանաչել բացառիկ` գերակա հանրային շահ` հետևյալ հիմնավորումներով`
1) նշված ծրագրի իրականացման շահը գերակայում է օտարվող սեփականության սեփականատերերի շահերից, քանի որ`
ա. ծրագրի իրականացմամբ Երևանում կվերանա կիսախարխուլ, ոչ սեյսմակայուն, ոչ բավարար խտությամբ և հիմնականում վթարային բնակելի ֆոնդը, որի փոխարեն նախատեսվում է բազմաֆունկցիոնալ կառուցապատում: Որոշ հատվածներում, կառուցապատման ծրագրերի շրջանակներում, ստեղծվելու են ստորգետնյա ավտոկայանատեղեր, կանաչապատ տարածքներ, խաղահրապարակներ, ինչպես նաև հիմնովին նորացվելու են ինժեներատեխնիկական ենթակառուցվածքները,
բ. համաձայն Երևան քաղաքի գլխավոր հատակագծի և Երևան քաղաքի Կենտրոն թաղային համայնքի տարածքի հաստատված գոտևորման նախագծի` Մյասնիկյան պողոտայի սկզբնամասի երթևեկելի աջ հատվածի վերակառուցումը նախատեսում է տվյալ հատվածի կառուցապատումն առավել ֆունկցիոնալ և համահունչ դարձնել նորովի ձևավորվող ճանապարհային ցանցին, ինչպես նաև հարակից բնական լանդշաֆտին.
2) նշված ծրագրի արդյունավետ իրականացումը չի կարող ապահովվել` առանց նշված սեփականության օբյեկտների օտարման, քանի որ`
ա. վերջիններիս անմիջական հարևանությամբ գտնվող տարածքների համար նախագծվել և մասնակիորեն իրականացվել են համաքաղաքային ենթակառուցվածքների անբաժանելի մաս կազմող հանգույցներ,
բ. անհնար է ապահովել տարածքների ջրամատակարարումը, ջրահեռացումը և քաղաքի համար կենսական նշանակություն ունեցող այլ պայմաններ, որոնք նախատեսված են Երևան քաղաքի գլխավոր հատակագծով,
գ. տարածքներում առկա են տեղական նշանակության հուշարձան շենքեր և շինություններ, որոնք այժմ գտնվում են անմխիթար վիճակում: Կառուցապատման աշխատանքները թույլ կտան մասնավոր ներդրումների հաշվին վերակառուցել և վերականգնել այդ շենքերն ու շինությունները` հին Երևանի ճարտարապետական ոճը համադրելով ներկայումս կառուցվող շենքերի և շինությունների հետ:
2. Սահմանել, որ`
1) սույն որոշման 1-ին կետում նշված տարածքները ձեռք բերող է հանդիսանում Հայաստանի Հանրապետությունը, որի անունից հանդես է գալիս Երևանի քաղաքապետարանը.
2) նախատեսված օտարման գործառույթների իրականացման աշխատանքները համակարգող և իրականացման համար պատասխանատու մարմինը Երևանի քաղաքապետարանն է.
3) այն տարածքների, որոնցում իրականացվող քաղաքաշինական ծրագրի նկատմամբ ճանաչվել է բացառիկ` գերակա հանրային շահ, և դրանցում առկա սեփականության օբյեկտների նկարագրության արձանագրության կազմման և սեփականության օտարման գործառույթներն իրականացնում է Երևանի քաղաքապետը.
4) սեփականության օտարման գործընթացն սկսելու վերջնական ժամկետը 2010 թվականի հունվարի 1-ն է.
5) այն տարածքների, որոնցում իրականացվող քաղաքաշինական ծրագրի նկատմամբ ճանաչվել է բացառիկ` գերակա հանրային շահ, և դրանցում առկա սեփականության օբյեկտների նկարագրության արձանագրության կազմման աշխատանքներն իրականացվում են Հայաստանի Հանրապետության կառավարության 2007 թվականի հունվարի 25-ի N 108-Ն որոշմամբ սահմանված կարգով և որոշմամբ սահմանված նկարագրության արձանագրության օրինակելի ձևով:
3. Լիազորել Երևանի քաղաքապետին`
1) սույն որոշման 1-ին կետում նշված տարածքներում առկա` պետական սեփականություն հանդիսացող անշարժ գույքի` պետության և հասարակության կարիքների համար, համաձայն Հայաստանի Հանրապետության օրենսդրության, գույքի օտարման գործառույթների իրականացման ընթացքում հանդես գալ Հայաստանի Հանրապետության անունից.
2) անցկացնել հասարակության և պետության կարիքների համար օտարվող սեփականությունը ձեռք բերողի հրապարակային սակարկություն` մրցույթ: Ձեռք բերողի ընտրության դեպքում Հայաստանի Հանրապետության կառավարություն ներկայացնել առաջարկություն սույն որոշման մեջ համապատասխան փոփոխություն կատարելու վերաբերյալ.
3) տարածքների պատմամշակութային հողերի և հուշարձանների վաճառքի մասին պայմանագրում սահմանել պարտավորություններ` ղեկավարվելով «Պատմության և մշակույթի անշարժ հուշարձանների ու պատմական միջավայրի պահպանության և օգտագործման մասին» Հայաստանի Հանրապետության օրենքի և Հայաստանի Հանրապետության հողային օրենսգրքի պահանջներով, և այն համաձայնեցնել բնագավառի պետական լիազոր մարմնի հետ.
4) սույն որոշումն ուժի մեջ մտնելուն հաջորդող 7-օրյա ժամկետում որոշումը պատշաճ ձևով ուղարկել օտարվող սեփականության սեփականատերերին և օտարվող սեփականության նկատմամբ պետական գրանցում ունեցող գույքային իրավունքներ ունեցող անձանց:
4. Սույն որոշումն ուժի մեջ է մտնում պաշտոնական հրապարակման օրվան հաջորդող տասներորդ օրը:
|
Հայաստանի Հանրապետության |
Տ. Սարգսյան |
|
2008 թ. սեպտեմբերի 3 Երևան |
|
Հավելված N 1 ՀՀ կառավարության 2008 թվականիօգոստոսի 28-ի N 977-Ն որոշման |
Ց Ա Ն Կ
ԵՐԵՎԱՆ ՔԱՂԱՔԻ ՎԱՐՉԱԿԱՆ ՍԱՀՄԱՆՆԵՐՈՒՄ ԳՏՆՎՈՂ ՈՐՈՇ ՏԱՐԱԾՔՆԵՐԻ, ՈՐՈՆՑՈՒՄ ԻՐԱԿԱՆԱՑՎՈՂ ՔԱՂԱՔԱՇԻՆԱԿԱՆ ԾՐԱԳՐԻ ՆԿԱՏՄԱՄԲ ՃԱՆԱՉՎԵԼ Է ԲԱՑԱՌԻԿ` ԳԵՐԱԿԱ ՀԱՆՐԱՅԻՆ ՇԱՀ
|
NN |
Տարածքում գտնվող հողամասերի, շենքերի և շինությունների հասցեները |
Նկարագրության արձանագրության կազմման ժամկետը |
|
1. |
Մյասնիկյան պող. 4/7, Մյասնիկյան պող. 4/8, Մյասնիկյան պող. 4/9, Մյասնիկյան պող. 4/10, Մյասնիկյան պող. 4/21, Մյասնիկյան պող. 4/22, Մյասնիկյան պող. 2, Մյասնիկյան պող. 14/4, Մյասնիկյան պող. 4/17, Մյասնիկյան պող. 4/12, Մյասնիկյան պող. 4/13 (4/24), Մյասնիկյան պող. 4/14, Մյասնիկյան պող. 4/15, Մյասնիկյան պող. 4/16, Մյասնիկյան պող. 4/19, Մյասնիկյան պող. 4/26, Մյասնիկյան պող. 2 շենք, Մյասնիկյան պող. 4 շենք |
4 ամիս |
|
2. |
Աբովյան 10, Աբովյան 12, Աբովյան 12, բն. 3 և 3ա, Աբովյան 12/3, Բելյակովի 9, Պուշկինի 2, Պուշկինի 4, Պուշկինի 6, Պուշկինի 10 |
4 ամիս |
|
Հայաստանի Հանրապետության կառավարության աշխատակազմի ղեկավար |
Դ. Սարգսյան |
| ՀՀ կառավարության 2008 թվականի |
Ս Խ Ե Մ Ա
ՀԱՍԱՐԱԿՈՒԹՅԱՆ ԵՎ ՊԵՏՈՒԹՅԱՆ ԿԱՐԻՔՆԵՐԻ ՀԱՄԱՐ ՎԵՐՑՎՈՂ ՏԱՐԱԾՔԻ, ՈՐՈՒՄ ԻՐԱԿԱՆԱՑՎՈՂ ՔԱՂԱՔԱՇԻՆԱԿԱՆ ԾՐԱԳՐԻ ՆԿԱՏՄԱՄԲ ՃԱՆԱՉՎԵԼ Է ԲԱՑԱՌԻԿ` ԳԵՐԱԿԱ ՀԱՆՐԱՅԻՆ ՇԱՀ
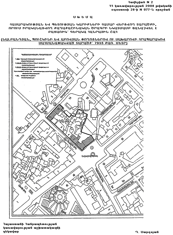
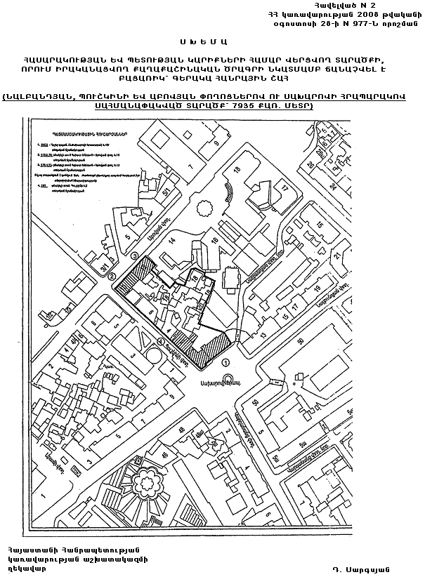
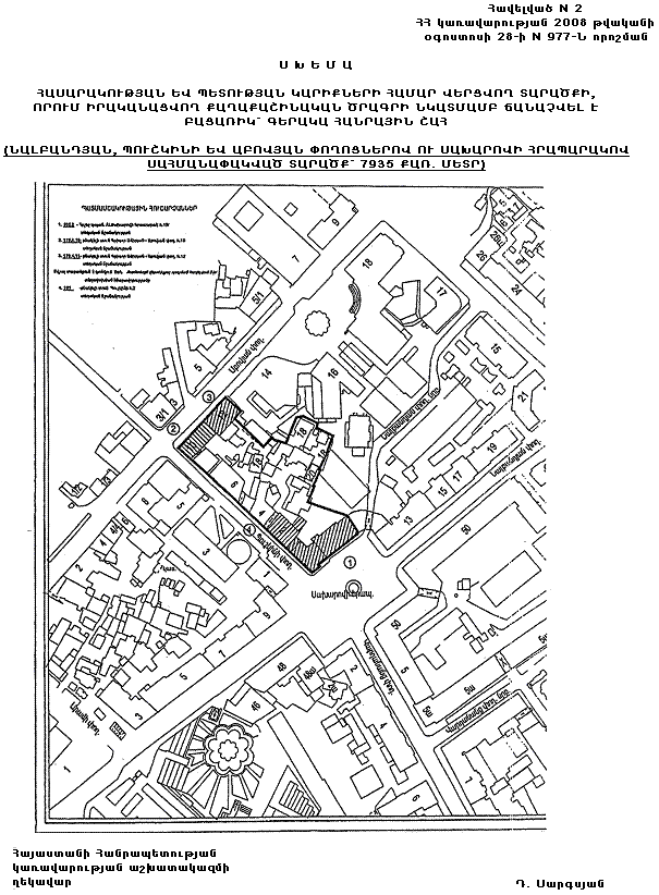
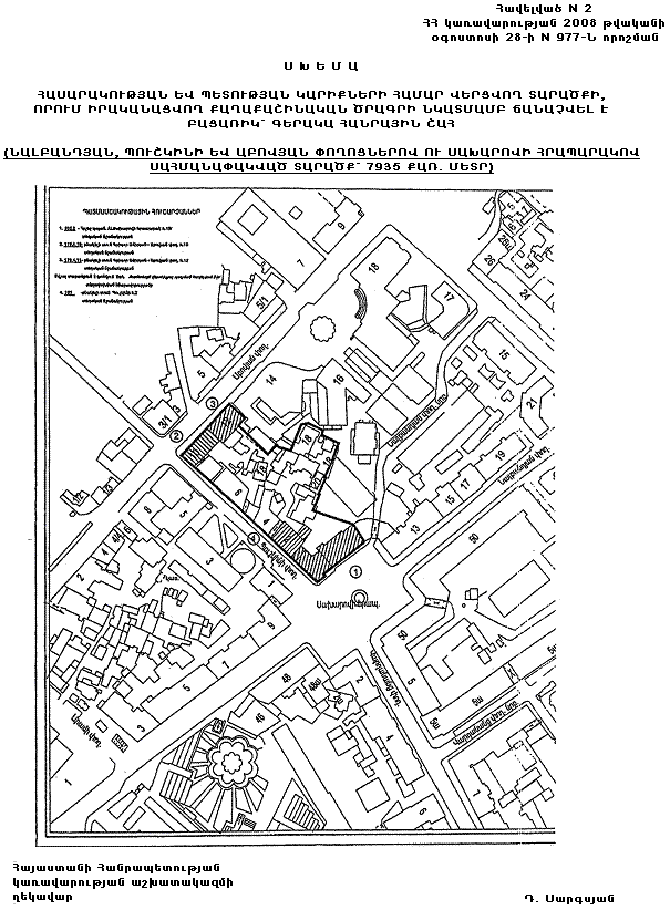
(ՆԱԼԲԱՆԴՅԱՆ, ՊՈՒՇԿԻՆԻ ԵՎ ԱԲՈՎՅԱՆ ՓՈՂՈՑՆԵՐՈՎ ՈՒ ՍԱԽԱՐՈՎԻ ՀՐԱՊԱՐԱԿՈՎ ՍԱՀՄԱՆԱՓԱԿՎԱԾ ՏԱՐԱԾՔ` 7935 ՔԱՌ. ՄԵՏՐ)
|
Հայաստանի Հանրապետության կառավարության աշխատակազմի ղեկավար |
Դ. Սարգսյան |
| ՀՀ կառավարության 2008 թվականի |
Ս Խ Ե Մ Ա
ՀԱՍԱՐԱԿՈՒԹՅԱՆ ԵՎ ՊԵՏՈՒԹՅԱՆ ԿԱՐԻՔՆԵՐԻ ՀԱՄԱՐ ՎԵՐՑՎՈՂ ՏԱՐԱԾՔԻ, ՈՐՈՒՄ ԻՐԱԿԱՆԱՑՎՈՂ ՔԱՂԱՔԱՇԻՆԱԿԱՆ ԾՐԱԳՐԻ ՆԿԱՏՄԱՄԲ ՃԱՆԱՉՎԵԼ Է ԲԱՑԱՌԻԿ` ԳԵՐԱԿԱ ՀԱՆՐԱՅԻՆ ՇԱՀ
(ՄՅԱՍՆԻԿՅԱՆ ՊՈՂՈՏԱՅԻՆ ԵՎ ԱՐՄԵՆԱԿՅԱՆ ՓՈՂՈՑԻՆ ՀԱՐԱԿԻՑ ՏԱՐԱԾՔ` 10400 ՔԱՌ. ՄԵՏՐ)
|
Հայաստանի Հանրապետության կառավարության աշխատակազմի ղեկավար |
Դ. Սարգսյան |